Comparative Study of Interactions between Human cGAS and Inhibitors: Insights from Molecular Dynamics and MM/PBSA Studies
Abstract
1. Introduction
2. Results and Discussion
2.1. Structural Analysis
2.2. Binding Free Energy
2.3. Energy Decomposition Analysis
2.4. Single Residue Energy Analysis
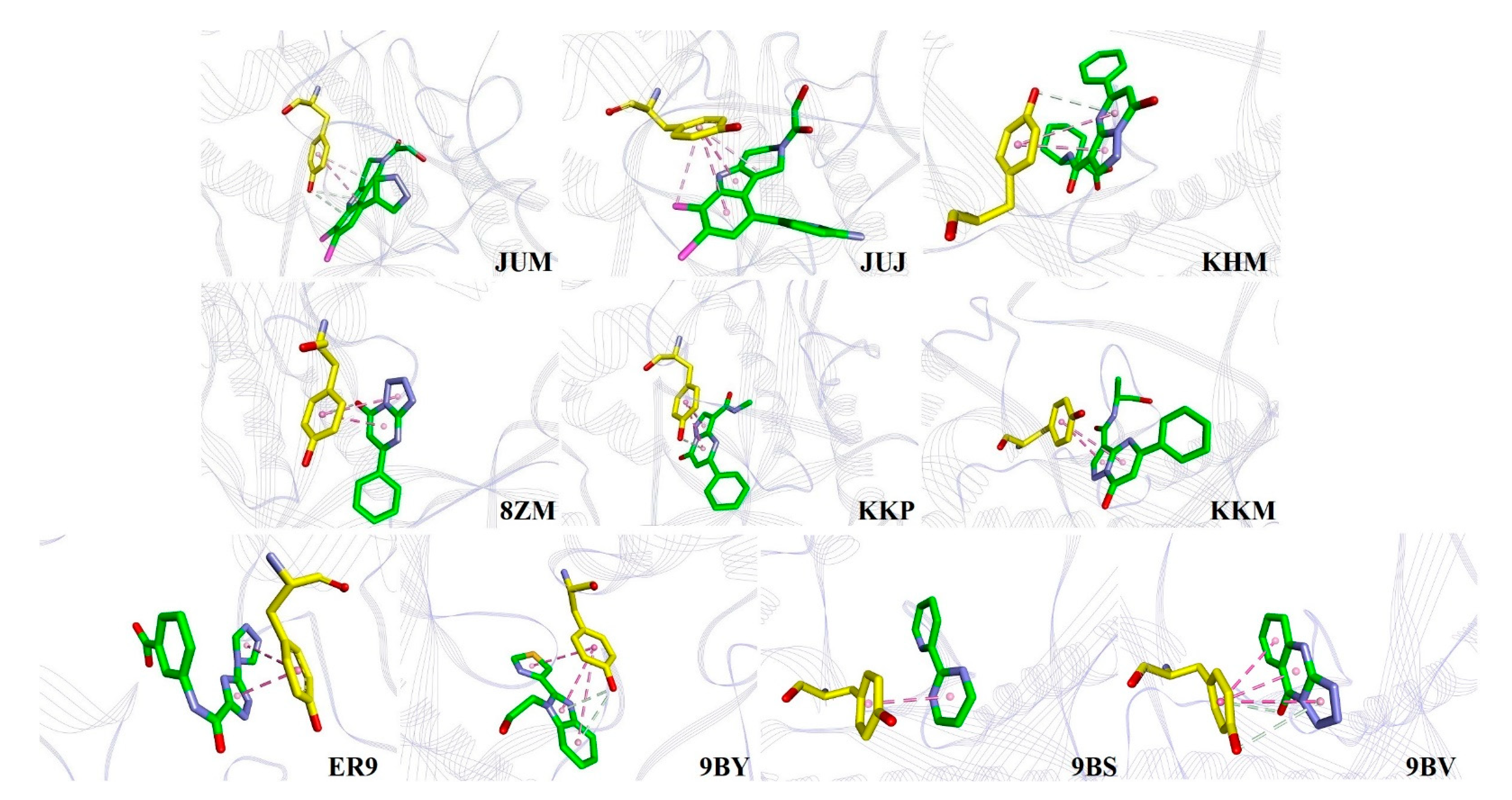
2.5. Binding Modes of the Inhibitors with hcGAS
2.5.1. Role of K362
2.5.2. Role of R376
2.5.3. Role of Y436
2.5.4. Role of K439
2.5.5. Analysis of the Sandwiched Structure
2.5.6. Binding Mechanics
3. Materials and Computational Methods
3.1. Systems
3.2. MD Simulations
3.3. MM/PBSA Calculations
4. Conclusions
Supplementary Materials
Author Contributions
Funding
Institutional Review Board Statement
Informed Consent Statement
Data Availability Statement
Conflicts of Interest
References
- Zhang, B.; Davidson, M.M.; Hei, T.K. Mitochondria regulate DNA damage and genomic instability induced by high LET radiation. Life Sci. Space Res. 2014, 1, 80–88. [Google Scholar] [CrossRef] [PubMed]
- Gao, P.; Ascano, M.; Wu, Y.; Barchet, W.; Gaffney, B.L.; Zillinger, T.; Serganov, A.A.; Liu, Y.; Jones, R.A.; Hartmann, G. Cyclic [G (2′, 5′) pA (3′, 5′) p] is the metazoan second messenger produced by DNA-activated cyclic GMP-AMP synthase. Cell 2013, 153, 1094–1107. [Google Scholar] [CrossRef]
- Kato, K.; Ishii, R.; Goto, E.; Ishitani, R.; Tokunaga, F.; Nureki, O. Structural and Functional Analyses of DNA-Sensing and Immune Activation by Human cGAS. PLoS ONE 2013, 8, e76983. [Google Scholar] [CrossRef] [PubMed]
- Li, X.; Shu, C.; Yi, G.; Chaton, C.T.; Shelton, C.L.; Diao, J.; Zuo, X.; Kao, C.C.; Herr, A.B.; Li, P. Cyclic GMP-AMP Synthase Is Activated by Double-Stranded DNA-Induced Oligomerization. Immunity 2013, 39, 1019–1031. [Google Scholar] [CrossRef] [PubMed]
- Cai, X.; Chiu, Y.-H.; Chen, Z.J. The cGAS-cGAMP-STING Pathway of Cytosolic DNA Sensing and Signaling. Mol. Cell 2014, 54, 289–296. [Google Scholar] [CrossRef] [PubMed]
- Pisetsky, D.S. Anti-DNA antibodies—quintessential biomarkers of SLE. Nat. Rev. Rheumatol. 2016, 12, 102–110. [Google Scholar] [CrossRef] [PubMed]
- Crow, Y.J.; Hayward, B.E.; Parmar, R.; Robins, P.; Leitch, A.; Ali, M.; Black, D.N.; van Bokhoven, H.; Brunner, H.G.; Hamel, B.C.; et al. Mutations in the gene encoding the 3′-5′ DNA exonuclease TREX1 cause Aicardi-Goutières syndrome at the AGS1 locus. Nat. Genet. 2006, 38, 917–920. [Google Scholar] [CrossRef]
- Gray, E.E.; Treuting, P.M.; Woodward, J.J.; Stetson, D.B. Cutting Edge: cGAS Is Required for Lethal Autoimmune Disease in the Trex1-Deficient Mouse Model of Aicardi–Goutières Syndrome. J. Immunol. 2015, 195, 1939. [Google Scholar] [CrossRef]
- Gao, D.; Li, T.; Li, X.-D.; Chen, X.; Li, Q.-Z.; Wight-Carter, M.; Chen, Z.J. Activation of cyclic GMP-AMP synthase by self-DNA causes autoimmune diseases. Proc. Natl. Acad. Sci. USA 2015, 112, E5699. [Google Scholar] [CrossRef]
- Hall, J.; Ralph, E.C.; Shanker, S.; Wang, H.; Byrnes, L.J.; Horst, R.; Wong, J.; Brault, A.; Dumlao, D.; Smith, J.F.; et al. The catalytic mechanism of cyclic GMP-AMP synthase (cGAS) and implications for innate immunity and inhibition. Protein Sci. 2017, 26, 2367–2380. [Google Scholar] [CrossRef]
- Hall, J.; Brault, A.; Vincent, F.; Weng, S.; Wang, H.; Dumlao, D.; Aulabaugh, A.; Aivazian, D.; Castro, D.; Chen, M.; et al. Discovery of PF-06928215 as a high affinity inhibitor of cGAS enabled by a novel fluorescence polarization assay. PLoS ONE 2017, 12, e0184843. [Google Scholar] [CrossRef] [PubMed]
- Lama, L.; Adura, C.; Xie, W.; Tomita, D.; Kamei, T.; Kuryavyi, V.; Gogakos, T.; Steinberg, J.I.; Miller, M.; Ramos-Espiritu, L.; et al. Development of human cGAS-specific small-molecule inhibitors for repression of dsDNA-triggered interferon expression. Nat. Commun. 2019, 10, 2261. [Google Scholar] [CrossRef] [PubMed]
- Zhao, W.; Xiong, M.; Yuan, X.; Li, M.; Sun, H.; Xu, Y. In Silico Screening-Based Discovery of Novel Inhibitors of Human Cyclic GMP–AMP Synthase: A Cross-Validation Study of Molecular Docking and Experimental Testing. J. Chem. Inf. Model. 2020, 60, 3265–3276. [Google Scholar] [CrossRef] [PubMed]
- Vincent, J.; Adura, C.; Gao, P.; Luz, A.; Lama, L.; Asano, Y.; Okamoto, R.; Imaeda, T.; Aida, J.; Rothamel, K.; et al. Small molecule inhibition of cGAS reduces interferon expression in primary macrophages from autoimmune mice. Nat. Commun. 2017, 8, 750. [Google Scholar] [CrossRef] [PubMed]
- Genheden, S.; Ryde, U. The MM/PBSA and MM/GBSA methods to estimate ligand-binding affinities. Expert Opin. Drug Discov. 2015, 10, 449–461. [Google Scholar] [CrossRef] [PubMed]
- Hou, T.; Wang, J.; Li, Y.; Wang, W. Assessing the performance of the MM/PBSA and MM/GBSA methods. 1. The accuracy of binding free energy calculations based on molecular dynamics simulations. J. Chem. Inf. Model. 2011, 51, 69–82. [Google Scholar] [CrossRef] [PubMed]
- Wang, E.; Sun, H.; Wang, J.; Wang, Z.; Liu, H.; Zhang, J.Z.H.; Hou, T. End-Point Binding Free Energy Calculation with MM/PBSA and MM/GBSA: Strategies and Applications in Drug Design. Chem. Rev. 2019, 119, 9478–9508. [Google Scholar] [CrossRef]
- Spiliotopoulos, D.; Spitaleri, A.; Musco, G. Exploring PHD Fingers and H3K4me0 Interactions with Molecular Dynamics Simulations and Binding Free Energy Calculations: AIRE-PHD1, a Comparative Study. PLoS ONE 2012, 7, e46902. [Google Scholar] [CrossRef]
- Verma, S.; Grover, S.; Tyagi, C.; Goyal, S.; Jamal, S.; Singh, A.; Grover, A. Hydrophobic Interactions Are a Key to MDM2 Inhibition by Polyphenols as Revealed by Molecular Dynamics Simulations and MM/PBSA Free Energy Calculations. PLoS ONE 2016, 11, e0149014. [Google Scholar] [CrossRef]
- Genheden, S.; Nilsson, I.; Ryde, U. Binding Affinities of Factor Xa Inhibitors Estimated by Thermodynamic Integration and MM/GBSA. J. Chem. Inf. Model. 2011, 51, 947–958. [Google Scholar] [CrossRef]
- Hou, T.; Wang, J.; Li, Y.; Wang, W. Assessing the performance of the molecular mechanics/Poisson Boltzmann surface area and molecular mechanics/generalized Born surface area methods. II. The accuracy of ranking poses generated from docking. J. Comput. Chem. 2011, 32, 866–877. [Google Scholar] [CrossRef] [PubMed]
- Sun, H.; Li, Y.; Tian, S.; Xu, L.; Hou, T. Assessing the performance of MM/PBSA and MM/GBSA methods. 4. Accuracies of MM/PBSA and MM/GBSA methodologies evaluated by various simulation protocols using PDBbind data set. Phys. Chem. Chem. Phys. 2014, 16, 16719–16729. [Google Scholar] [CrossRef] [PubMed]
- Kumari, R.; Kumar, R.; Lynn, A. g_mmpbsa—A GROMACS Tool for High-Throughput MM-PBSA Calculations. J. Chem. Inf. Model. 2014, 54, 1951–1962. [Google Scholar] [CrossRef] [PubMed]
- Homeyer, N.; Gohlke, H. Free Energy Calculations by the Molecular Mechanics Poisson—Boltzmann Surface Area Method. Mol. Inform. 2012, 31, 114–122. [Google Scholar] [CrossRef] [PubMed]
- Dougherty, D.A. Cation-π Interactions Involving Aromatic Amino Acids. J. Nutr. 2007, 137, 1504S–1508S. [Google Scholar] [CrossRef] [PubMed]
- Kumar, K.; Woo, S.M.; Siu, T.; Cortopassi, W.A.; Duarte, F.; Paton, R.S. Cation–π interactions in protein–ligand binding: Theory and data-mining reveal different roles for lysine and arginine. Chem. Sci. 2018, 9, 2655–2665. [Google Scholar] [CrossRef]
- Berman, H.M.; Westbrook, J.; Feng, Z.; Gilliland, G.; Bhat, T.N.; Weissig, H.; Shindyalov, I.N.; Bourne, P.E. The Protein Data Bank. Nucleic Acids Res. 2000, 28, 235–242. [Google Scholar] [CrossRef]
- Sali, A.; Blundell, T.L. Comparative Protein Modelling by Satisfaction of Spatial Restraints. J. Mol. Biol 1993, 234, 779–815. [Google Scholar] [CrossRef]
- Pettersen, E.F.; Goddard, T.D.; Huang, C.C.; Couch, G.S.; Greenblatt, D.M.; Meng, E.C.; Ferrin, T.E. UCSF Chimera—A visualization system for exploratory research and analysis. J. Comput. Chem. 2004, 25, 1605–1612. [Google Scholar] [CrossRef]
- Anandakrishnan, R.; Aguilar, B.; Onufriev, A.V. H++ 3.0: Automating pK prediction and the preparation of biomolecular structures for atomistic molecular modeling and simulations. Nucleic Acids Res. 2012, 40, W537–W541. [Google Scholar] [CrossRef]
- Frisch, M.J.; Trucks, G.W.; Schlegel, H.B.; Scuseria, G.E.; Robb, M.A.; Cheeseman, J.R.; Scalmani, G.; Barone, V.; Petersson, G.A.; Nakatsuji, H.; et al. Gaussian 16 Rev. C.01; Gaussian, Inc.: Wallingford, CT, USA, 2016. [Google Scholar]
- Case, D.A.; Belfon, K.; Ben-Shalom, I.Y.; Brozell, S.R.; Cerutti, D.S.; Cheatham III, T.E.; Cruzeiro, V.W.D.; Darden, T.A.; Duke, R.E.; Giambasu, G.; et al. AMBER 2020; University of California: San Francisco, CA, USA, 2020. [Google Scholar]
- Wang, J.; Wolf, R.M.; Caldwell, J.W.; Kollman, P.A.; Case, D.A. Development and testing of a general amber force field. J. Comput. Chem. 2004, 25, 1157–1174. [Google Scholar] [CrossRef] [PubMed]
- Jorgensen, W.L.; Chandrasekhar, J.; Madura, J.D.; Impey, R.W.; Klein, M.L. Comparison of simple potential functions for simulating liquid water. J. Chem. Phys. 1983, 79, 926–935. [Google Scholar] [CrossRef]
- Maier, J.A.; Martinez, C.; Kasavajhala, K.; Wickstrom, L.; Hauser, K.E.; Simmerling, C. ff14SB: Improving the Accuracy of Protein Side Chain and Backbone Parameters from ff99SB. J. Chem. Theory Comput. 2015, 11, 3696–3713. [Google Scholar] [CrossRef] [PubMed]
- Bussi, G.; Donadio, D.; Parrinello, M. Canonical sampling through velocity rescaling. J. Chem. Phys. 2007, 126, 014101. [Google Scholar] [CrossRef] [PubMed]
- Berendsen, H.J.C.; Postma, J.P.M.; van Gunsteren, W.F.; DiNola, A.; Haak, J.R. Molecular dynamics with coupling to an external bath. J. Chem. Phys. 1984, 81, 3684–3690. [Google Scholar] [CrossRef]
- Parrinello, M.; Rahman, A. Polymorphic transitions in single crystals: A new molecular dynamics method. J. Appl. Phys. 1981, 52, 7182–7190. [Google Scholar] [CrossRef]
- Nosé, S.; Klein, M.L. Constant pressure molecular dynamics for molecular systems. Mol. Phys. 1983, 50, 1055–1076. [Google Scholar] [CrossRef]
- Miyamoto, S.; Kollman, P.A. Settle: An analytical version of the SHAKE and RATTLE algorithm for rigid water models. J. Comput. Chem. 1992, 13, 952–962. [Google Scholar] [CrossRef]
- Andersen, H.C. Rattle: A “velocity” version of the shake algorithm for molecular dynamics calculations. J. Comput Phys. 1983, 52, 24–34. [Google Scholar] [CrossRef]
- Darden, T.; York, D.; Pedersen, L. Particle mesh Ewald: An N⋅log(N) method for Ewald sums in large systems. J. Chem Phys. 1993, 98, 10089–10092. [Google Scholar] [CrossRef]
- Abraham, M.J.; Murtola, T.; Schulz, R.; Páll, S.; Smith, J.C.; Hess, B.; Lindahl, E. GROMACS: High performance molecular simulations through multi-level parallelism from laptops to supercomputers. SoftwareX 2015, 1–2, 19–25. [Google Scholar] [CrossRef]
- Wang, C.; Greene, D.A.; Xiao, L.; Qi, R.; Luo, R. Recent Developments and Applications of the MMPBSA Method. Front. Mol. Biosci. 2018, 4. [Google Scholar] [CrossRef] [PubMed]
- Baker, N.A.; Sept, D.; Joseph, S.; Holst, M.J.; McCammon, J.A. Electrostatics of nanosystems: Application to microtubules and the ribosome. Proc. Natl. Acad. Sci. USA 2001, 98, 10037–10041. [Google Scholar] [CrossRef] [PubMed]
- Sitkoff, D.; Sharp, K.A.; Honig, B. Accurate Calculation of Hydration Free Energies Using Macroscopic Solvent Models. J. Phys. Chem. 1994, 98, 1978–1988. [Google Scholar] [CrossRef]
- Wang, X.; Zhang, H.; Li, W. DNA-binding Mechanisms of Human and Mouse cGAS: A Comparative MD and MM/GBSA Study. Phys. Chem. Chem. Phys. 2020, 22, 26390–26401. [Google Scholar] [CrossRef]
- Yang, B.; Zhu, Y.; Wang, Y.; Chen, G. Interaction identification of Zif268 and TATAZF proteins with GC-/AT-rich DNA sequence: A theoretical study. J. Comput. Chem. 2011, 32, 416–428. [Google Scholar] [CrossRef]
- Sun, H.; Pan, P.; Tian, S.; Xu, L.; Kong, X.; Li, Y.; Dan, L.; Hou, T. Constructing and Validating High-Performance MIEC-SVM Models in Virtual Screening for Kinases: A Better Way for Actives Discovery. Sci. Rep. 2016, 6, 24817. [Google Scholar] [CrossRef]









| Inhibitor Name | hcGAS | Inhibitor | Zinc-Thumb | Whole | PDB ID |
|---|---|---|---|---|---|
| JUM | 0.243 ± 0.023 | 0.097 ± 0.044 | 0.021 ± 0.009 | 0.243 ± 0.023 | 6MJU |
| JUJ | 0.250 ± 0.021 | 0.070 ± 0.018 | 0.027 ± 0.009 | 0.250 ± 0.021 | 6MJW |
| KHM | 0.239 ± 0.028 | 0.065 ± 0.017 | 0.051 ± 0.028 | 0.243 ± 0.027 | 6NAO |
| 8ZM | 0.256 ± 0.019 | 0.037 ± 0.027 | 0.035 ± 0.014 | 0.256 ± 0.019 | 5V8O |
| KKP | 0.243 ± 0.029 | 0.046 ± 0.020 | 0.028 ± 0.010 | 0.243 ± 0.029 | 6NFG |
| KKM | 0.241 ± 0.023 | 0.069 ± 0.021 | 0.033 ± 0.014 | 0.241 ± 0.023 | 6NFO |
| ER9 | 0.253 ± 0.020 | 0.116 ± 0.056 | 0.041 ± 0.017 | 0.266 ± 0.032 | 6LRL |
| 9BY | 0.244 ± 0.025 | 0.089 ± 0.029 | 0.017 ± 0.012 | 0.245 ± 0.023 | 5VDW |
| 9BS | 0.274 ± 0.030 | 0.017 ± 0.046 | 0.025 ± 0.009 | 0.275 ± 0.030 | 5VDU |
| 9BV | 0.242 ± 0.024 | 0.014 ± 0.049 | 0.033 ± 0.010 | 0.242 ± 0.024 | 5VDV |
| Inhibitor | ∆EvdW | ∆Eele | ∆Gpb/solv | ∆Gnp/solv | ∆Gpb | ∆Gnp | ∆Gbind | IC50 (μM) | Kd (μM) |
|---|---|---|---|---|---|---|---|---|---|
| JUM | −150.2 ± 2.2 | −40.5 ± 9.6 | 134.6 ± 9.8 | −17.3 ± 0.2 | 94.1 ± 9.7 | −167.5 ± 1.2 | −73.4 ± 5.3 | 0.0275 [12] | − |
| JUJ | −159.0 ± 3.0 | −56.6 ± 8.5 | 130.2 ± 8.5 | −18.4 ± 0.2 | 73.7 ± 8.5 | −177.4 ± 1.6 | −103.8 ± 5.5 | 0.0102 [12] | − |
| KHM | −155.7 ± 3.5 | −144.0 ± 10.3 | 164.1 ± 8.9 | −16.5 ± 0.3 | 20.1 ± 9.6 | −172.2 ± 1.9 | −152.2 ± 5.5 | 2.0/4.9 [11] | 0.2 [11] |
| 8ZM | −124.1 ± 2.2 | −26.7 ± 4.5 | 68.6 ± 5.2 | −12.0 ± 0.1 | 41.9 ± 4.8 | −136.1 ± 1.1 | −94.3 ± 3.4 | 78 [11] | 171 [11] |
| KKP | −145.6 ± 2.7 | −52.9 ± 6.2 | 92.6 ± 6.4 | −14.8 ± 0.2 | 39.7 ± 6.3 | −160.3 ± 1.5 | −120.6 ± 5.6 | 69/125 [11] | 78 [11] |
| KKM | −147.6 ± 4.1 | −87.6 ± 10.1 | 129.6 ± 7.0 | −15.5 ± 0.3 | 42.0 ± 8.5 | −163.1 ± 2.2 | −121.2 ± 6.5 | 8.1/17.5 [11] | 2.7 [11] |
| ER9 | −134.0 ± 3.2 | −81.8 ± 5.7 | 176.1 ± 7.4 | −13.8 ± 0.2 | 94.3 ± 6.6 | −147.9 ± 1.7 | −53.8 ± 4.9 | 13.1 [13] | − |
| 9BY | −132.6 ± 2.8 | −117.4 ± 5.5 | 148.8 ± 6.0 | −12.7 ± 0.2 | 31.4 ± 5.8 | −145.3 ± 1.5 | −114.1 ± 4.3 | − | 236 ± 19 [10] |
| 9BS | −92.9 ± 2.7 | −35.1 ± 4.1 | 73.3 ± 5.0 | −10.5 ± 0.2 | 38.2 ± 4.6 | −103.4 ± 1.5 | −65.3 ± 3.6 | − | 64 ± 3 [10] |
| 9BV | −110.1 ± 1.9 | −14.3 ± 4.5 | 94.9 ± 4.4 | −9.9 ± 0.2 | 80.6 ± 4.5 | −120.0 ± 1.0 | −39.2 ± 3.6 | − | 80 ± 4 [10] |
| Inhibitor | ∆Gexp | 0–4ns | 4–8ns | 8–12ns | 12–16ns | 16–20ns |
|---|---|---|---|---|---|---|
| JUM | NA a | −51.8 | −73.5 | −73.2 | −76.7 | −84.5 |
| JUJ | NA a | −89.9 | −90.1 | −117.0 | −114.7 | −110.4 |
| KHM | −38.5 | −155.1 | −140.8 | −165.9 | −160.8 | −150.9 |
| 8ZM | −21.6 | −94.1 | −93.6 | −96.0 | −89.8 | −95.3 |
| KKP | −23.6 | −132.2 | −124.8 | −107.5 | −120.3 | −106.6 |
| KKM | −32.0 | −115.4 | −124.3 | −121.7 | −122.4 | −120.2 |
| ER9 | NA a | −49.4 | −52.9 | −64.0 | −58.7 | −49.9 |
| 9BY | −20.8 | −119.1 | −114.4 | −116.0 | −120.5 | −110.8 |
| 9BS | −24.1 | −62.4 | −67.2 | −64.9 | −57.6 | −66.8 |
| 9BV | −23.5 | −29.9 | −35.5 | −46.2 | −41.0 | −45.1 |
| Pearson’s r | 0.52 | 0.53 | 0.70 | 0.62 | 0.67 | |
| Spearman’s ρ | 0.32 | 0.50 | 0.46 | 0.46 | 0.46 |
Publisher’s Note: MDPI stays neutral with regard to jurisdictional claims in published maps and institutional affiliations. |
© 2021 by the authors. Licensee MDPI, Basel, Switzerland. This article is an open access article distributed under the terms and conditions of the Creative Commons Attribution (CC BY) license (http://creativecommons.org/licenses/by/4.0/).
Share and Cite
Wang, X.; Li, W. Comparative Study of Interactions between Human cGAS and Inhibitors: Insights from Molecular Dynamics and MM/PBSA Studies. Int. J. Mol. Sci. 2021, 22, 1164. https://doi.org/10.3390/ijms22031164
Wang X, Li W. Comparative Study of Interactions between Human cGAS and Inhibitors: Insights from Molecular Dynamics and MM/PBSA Studies. International Journal of Molecular Sciences. 2021; 22(3):1164. https://doi.org/10.3390/ijms22031164
Chicago/Turabian StyleWang, Xiaowen, and Wenjin Li. 2021. "Comparative Study of Interactions between Human cGAS and Inhibitors: Insights from Molecular Dynamics and MM/PBSA Studies" International Journal of Molecular Sciences 22, no. 3: 1164. https://doi.org/10.3390/ijms22031164
APA StyleWang, X., & Li, W. (2021). Comparative Study of Interactions between Human cGAS and Inhibitors: Insights from Molecular Dynamics and MM/PBSA Studies. International Journal of Molecular Sciences, 22(3), 1164. https://doi.org/10.3390/ijms22031164

