Dexmedetomidine Protects Rat Liver against Ischemia-Reperfusion Injury Partly by the α2A-Adrenoceptor Subtype and the Mechanism Is Associated with the TLR4/NF-κB Pathway
Abstract
:1. Introduction
2. Results
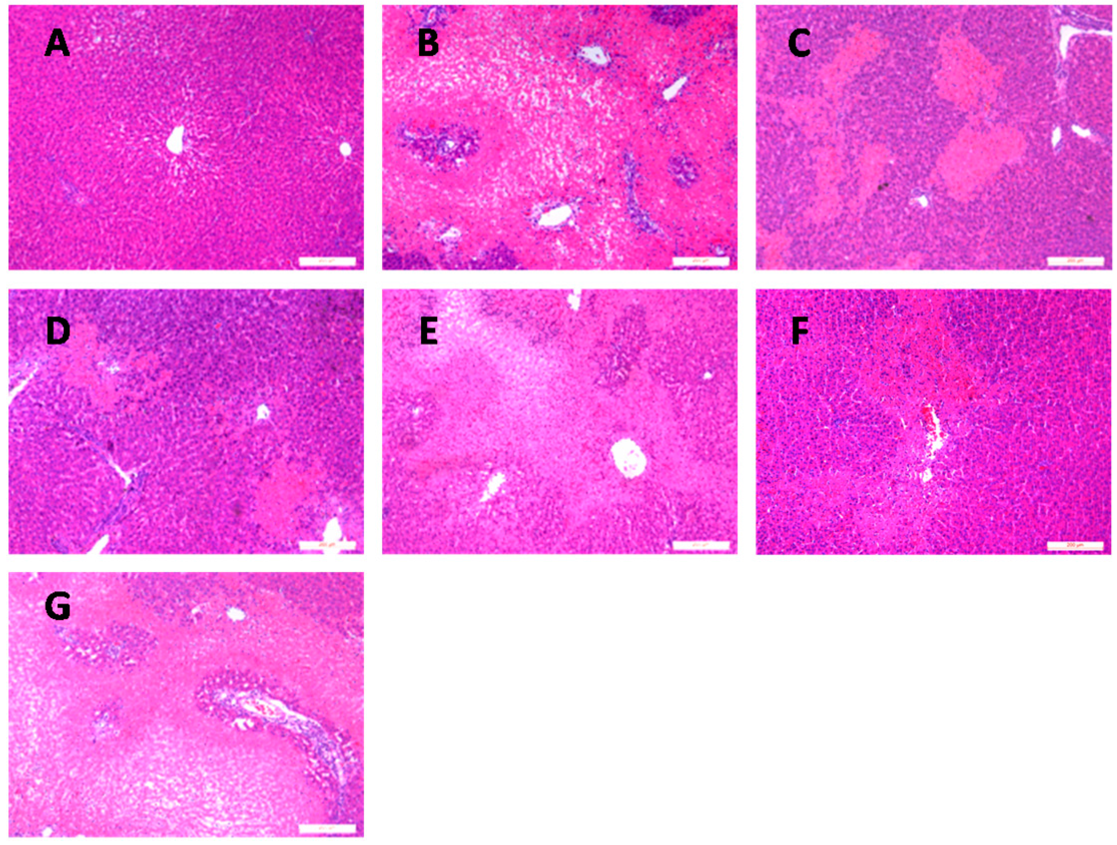
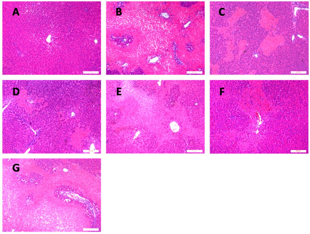
2.1. Dexmedetomidine Reduces Pathological Liver Damage in Rats Undergoing Orthotopic Autologous Liver Transplantation (OALT)
2.2. Dexmedetomidine Improves Liver Function in Rats Undergoing OALT
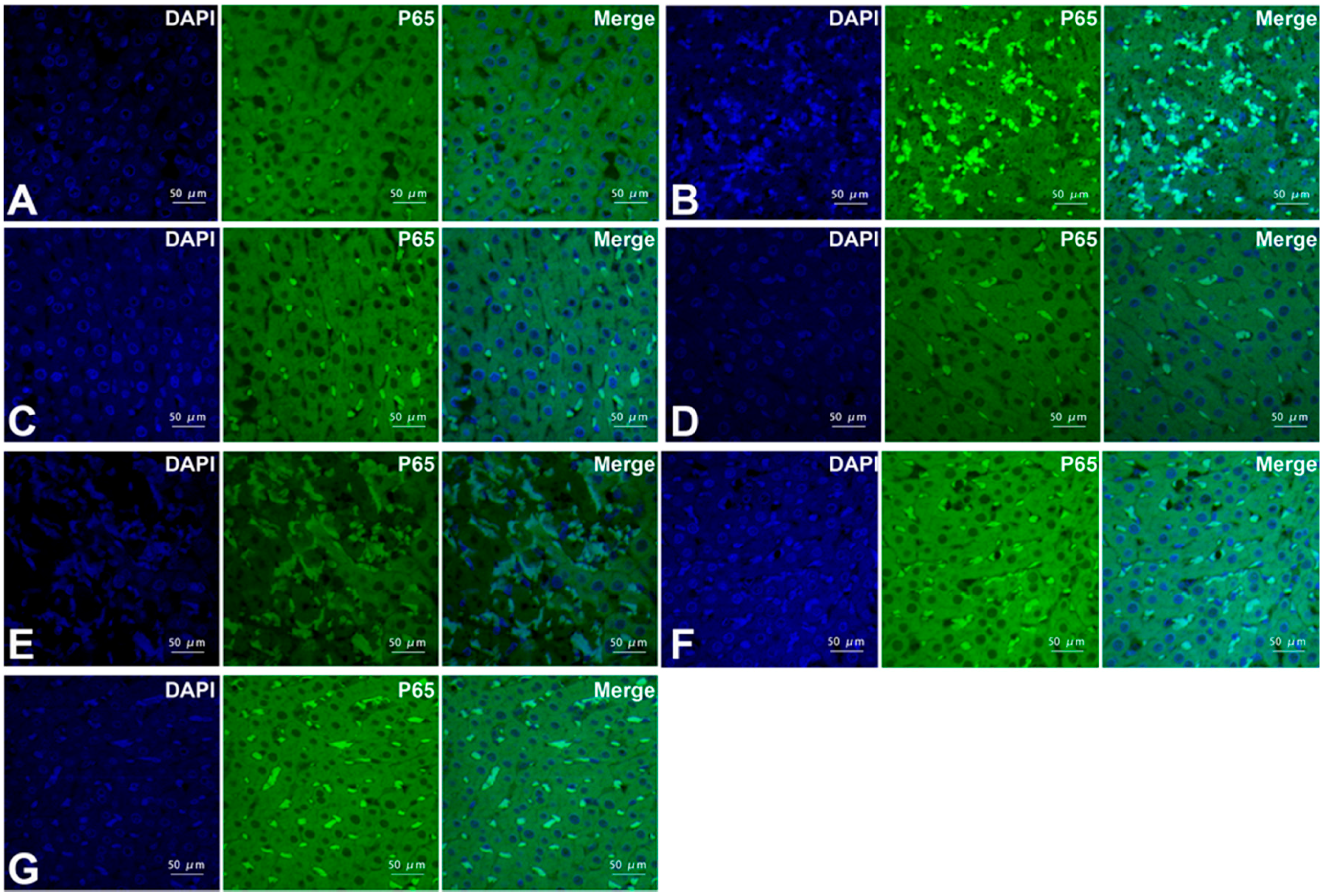
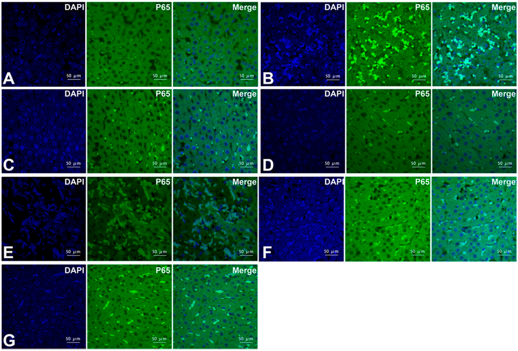
2.3. Dexmedetomidine Down-Regulates the Expression of the TLR4 and NF-κB Proteins in Liver Tissue
2.4. Dexmedetomidine Inhibits Neutrophil Infiltration and Pro-Inflammatory Cytokine Release during OALT
3. Discussion
4. Materials and Methods
4.1. Animals and Surgical Procedure
4.2. Grouping and Drug Treatment
- (1)
- Sham group (group S) rats subjected to abdomen dissection and isolation of the hepatic peripheral vessels without occlusion;
- (2)
- Model group (group M) rats underwent the OALT procedure as described above, and no drug was utilized;
- (3)
- Low-dose Dex group (group D1) and high-dose Dex group (group D2) rats received 10 or 50 μg/kg Dex (Hengrui Pharmaceutical Co., Ltd., Nanjing, China), respectively, via intraperitoneal injection 30 min before the operation; and
- (4)
- Atipamezole + high-dose Dex group (group B1), ARC-239 + high-dose Dex group (group B2), and BRL-44408 + high-dose Dex group (group B3) rats received 500 μg/kg atipamezole (a nonspecific α2 receptor blocker, Sigma-Aldrich, St. Louis., MO, USA), 50 μg/kg ARC239 (a specific α2B/C receptor blocker, Santa Cruz Biotechnology, Santa Cruz, CA, USA), or 1.5 mg/kg BRL-44408 (a specific α2A receptor blocker, Sigma-Aldrich), respectively, via intraperitoneal injection 10 min before receiving 50 μg/kg Dex 30 min prior to the OALT.
4.3. Histological Evaluation
4.4. Serum Alanine Aminotransferase Detection
4.5. Western Blot Analysis
4.6. Immunofluorescence Assay
4.7. Enzyme-Linked Immunosorbent Assay (ELISA)
4.8. Myeloperoxidase (MPO) Activity
4.9. Statistical Analysis
5. Conclusions
Acknowledgments
Author Contributions
Conflicts of Interest
Abbreviations
| α2-AR | α2-adrenoceptor |
| α2A-KO | α2A-adrenoceptor knockout |
| α2B-KO | α2B-adrenoceptor knockout |
| α2C-KO | α2C-adrenoceptor knockout |
| CNS | central nervous system |
| DAMPs | damage-associated molecular patterns |
| DAPI | 4,6-diamidino-2-phenylindole |
| Dex | dexmedetomidine |
| HA | hepatic artery |
| HMGB1 | high-mobility group protein B1 |
| IHVC | inferior hepatic vena cava |
| LSCM | laser scanning confocal microscopy |
| MPO | myeloperoxidase |
| NF-κB | nuclear factor kappa B |
| OALT | orthotopic autologous liver transplantation |
| PV | portal vein |
| sALT | serum alanine aminotransferase |
| SHVC | super-hepatic vena cava |
| TLR | toll-like receptor |
| TLR4 | toll-like receptor 4 |
References
- Farmer, D.G.; Amersi, F.; Kupiec-Weglinski, J.W.; Busuttil, R.W. Current status of ischemia and reperfusion injury in the liver. Transplant. Rev. 2000, 14, 106–126. [Google Scholar] [CrossRef]
- Abu-Amara, M.; Yang, S.Y.; Tapuria, N.; Fuller, B.; Davidson, B.; Seifalian, A. Liver ischemia/reperfusion injury: Processes in inflammatory networks—A review. Liver Transplant. 2010, 16, 1016–1032. [Google Scholar] [CrossRef] [PubMed]
- Henderson, J.M. Liver transplantation and rejection: An overview. Hepatogastroenterology 1999, 46, 1482–1484. [Google Scholar] [PubMed]
- Roberts, M.S.; Angus, D.C.; Bryce, C.L.; Valenta, Z.; Weissfeld, L. Survival after liver transplantation in the United States: A disease-specific analysis of the UNOS database. Liver Transplant. 2004, 10, 886–897. [Google Scholar] [CrossRef] [PubMed]
- Bahde, R.; Spiegel, H.U. Hepatic ischaemia-reperfusion injury from bench to bedside. Br. J. Surg. 2010, 97, 1461–1475. [Google Scholar] [CrossRef] [PubMed]
- Shen, X.D.; Ke, B.; Zhai, Y.; Gao, F.; Busuttil, R.W.; Cheng, G.; Kupiec-Weglinski, J.W. Toll-like receptor and heme oxygenase-1 signaling in hepatic ischemia/reperfusion injury. Am. J. Transplant. 2005, 5, 1793–1800. [Google Scholar] [CrossRef] [PubMed]
- Sabroe, I.; Parker, L.C.; Dower, S.K.; Whyte, M.K. The role of TLR activation in inflammation. J. Pathol. 2008, 214, 126–135. [Google Scholar] [CrossRef] [PubMed]
- Faure, E.; Equils, O.; Sieling, P.A. Bacterial lipopolysaccharide activates NF-κB through toll-like receptor 4 (TLR-4) in cultured human dermal endothelial cells. Differential expression of TLR-4 and TLR-2 in endothelial cells. J. Biol. Chem. 2000, 275, 11058–11063. [Google Scholar] [CrossRef] [PubMed]
- Schwabe, R.F.; Seki, E.; Brenner, D.A. Toll-like receptor signaling in the liver. Gastroenterology 2006, 130, 1886–1900. [Google Scholar] [CrossRef] [PubMed]
- Suetsugu, H.; Iimuro, Y.; Uehara, T.; Nishio, T.; Harada, N.; Yoshida, M.; Hatano, E.; Son, G.; Fujimoto, J.; Yamaoka, Y. Nuclear factor κB inactivation in the rat liver ameliorates short term total warm ischaemia/reperfusion injury. Gut 2005, 54, 835–842. [Google Scholar] [CrossRef] [PubMed]
- Huang, H.F.; Zeng, Z.; Wang, K.H.; Zhang, H.Y.; Wang, S.; Zhou, W.X.; Wang, Z.B.; Xu, W.G.; Duan, J. Heme oxygenase-1 protects rat liver against warm ischemia/reperfusion injury via TLR2/TLR4-triggered signaling pathways. World J. Gastroenterol. 2015, 21, 2937–2948. [Google Scholar] [CrossRef] [PubMed]
- Ben-Ari, Z.; Avlas, O.; Fallach, R.; Schmilovitz-Weiss, H.; Chepurko, Y.; Pappo, O.; Hochhauser, E. Ischemia and reperfusion liver injury is reduced in the absence of Toll-like receptor 4. Cell. Physiol. Biochem. 2012, 30, 489–498. [Google Scholar] [CrossRef] [PubMed]
- Chi, X.; Wei, X.; Gao, W.; Guan, J.; Yu, X.; Wang, Y.; Li, X.; Cai, J. Dexmedetomidine ameliorates acute lung injury following orthotopic autologous liver transplantation in rats probably by inhibiting Toll-like receptor 4-nuclear factor κB signaling. J. Transl. Med. 2015, 13, 190. [Google Scholar] [CrossRef] [PubMed]
- Yao, H.; Chi, X.; Jin, Y.; Wang, Y.; Huang, P.; Wu, S.; Xia, Z.; Cai, J. Dexmedetomidine inhibits TLR4/NF-κB activation and reduces acute kidney injury after orthotopic autologous liver transplantation in rats. Sci. Rep. 2015, 5, 16849. [Google Scholar] [CrossRef] [PubMed]
- Wu, Y.; Liu, Y.; Huang, H.; Zhu, Y.; Zhang, Y.; Lu, F.; Zhou, C.; Huang, L.; Li, X.; Zhou, C. Dexmedetomidine inhibits inflammatory reaction in lung tissues of septic rats by suppressing TLR4/NF-κB pathway. Mediat. Inflamm. 2013, 2013, 562154. [Google Scholar] [CrossRef] [PubMed]
- Gu, J.; Sun, P.; Zhao, H.; Watts, H.R.; Sanders, R.D.; Terrando, N.; Xia, P.; Maze, M.; Ma, D. Dexmedetomidine provides renoprotection against ischemia-reperfusion injury in mice. Crit. Care 2011, 15, R153. [Google Scholar] [CrossRef] [PubMed]
- Sezer, A.; Memiş, D.; Usta, U.; Sut, N. The effect of dexmedetomidine on liver histopathology in a rat sepsis model: An experimental pilot study. Ulus Travma Acil Cerrahi Derg 2010, 16, 108–112. [Google Scholar] [PubMed]
- Arslan, M.; Metin Çomu, F.; Küçük, A.; Öztürk, L.; Yaylak, F. Dexmedetomidine protects against lipid peroxidation and erythrocyte deformability alterations in experimental hepatic ischemia reperfusion injury. Libyan. J. Med. 2012, 7. [Google Scholar] [CrossRef] [PubMed]
- Tüfek, A.; Tokgöz, O.; Aliosmanoglu, I.; Alabalik, U.; Evliyaoglu, O.; Çiftçi, T.; Güzel, A.; Yıldırım, Z.B. The protective effects of dexmedetomidine on the liver and remote organs against hepatic ischemia reperfusion injury in rats. Int. J. Surg. 2013, 11, 96–100. [Google Scholar] [CrossRef] [PubMed]
- Brede, M.; Philipp, M.; Knaus, A.; Muthig, V.; Hein, L. α2-adrenergic receptor subtypes—Novel functions uncovered in gene-targeted mouse models. Biol. Cell 2004, 96, 343–348. [Google Scholar] [CrossRef] [PubMed]
- Hunter, J.C.; Fontana, D.J.; Hedley, L.R.; Jasper, J.R.; Lewis, R.; Link, R.E.; Secchi, R.; Sutton, J.; Eglen, R.M. Assessment of the role of α2-adrenoceptor subtypes in the antinociceptive, sedative and hypothermic action of dexmedetomidine in transgenic mice. Br. J. Pharmacol. 1997, 122, 1339–1344. [Google Scholar] [CrossRef] [PubMed]
- Ma, D.; Hossain, M.; Rajakumaraswamy, N.; Arshad, M.; Sanders, R.D.; Franks, N.P.; Maze, M. Dexmedetomidine produces its neuroprotective effect via the α2A-adrenoceptor subtype. Eur. J. Pharmacol. 2004, 502, 87–97. [Google Scholar] [CrossRef] [PubMed]
- Paris, A.; Mantz, J.; Tonner, P.H.; Hein, L.; Brede, M.; Gressens, P. The effects of dexmedetomidine on perinatal excitotoxic brain injury are mediated by the α2A-adrenoceptor subtype. Anesth. Analg. 2006, 102, 456–461. [Google Scholar] [CrossRef] [PubMed]
- Liu, B.; Qian, J.; Wang, Q.; Wang, F.; Ma, Z.; Qiao, Y. Butyrate protects rat liver against total hepatic ischemia reperfusion injury with bowel congestion. PLoS ONE 2014, 9, e106184. [Google Scholar] [CrossRef] [PubMed]
- Dahmani, S.; Paris, A.; Jannier, V.; Hein, L.; Rouelle, D.; Scholz, J.; Gressens, P.; Mantz, J. Dexmedetomidine increases hippocampal phosphorylated extracellular signal-regulated protein kinase 1 and 2 content by an α2-adrenoceptor-independent mechanism: Evidence for the involvement of imidazoline I1 receptors. Anesthesiology 2008, 108, 457–466. [Google Scholar] [CrossRef] [PubMed]
- Hein, L. Adrenoceptors and signal transduction in neurons. Cell Tissue Res. 2006, 326, 541–551. [Google Scholar] [CrossRef] [PubMed]
- Matsumoto, M.; Zornow, M.H.; Rabin, B.C.; Mase, M. The α2 adrenergic agonist, dexmedetomidine, selectively attenuates ischemia-induced increases in striatal norepinephrine concentrations. Brain Res. 1993, 627, 325–329. [Google Scholar] [CrossRef]
- Miksa, M.; Wu, R.; Zhou, M.; Wang, P. Sympathetic excitotoxicity in sepsis: Pro-inflammatory priming of macrophages by norepinephrine. Front. Biosci. 2005, 10, 2217–2229. [Google Scholar] [CrossRef] [PubMed]
- Yang, S.; Koo, D.J.; Zhou, M.; Chaudry, I.H.; Wang, P. Gut-derived norepinephrine plays a critical role in producing hepatocellular dysfunction during early sepsis. Am. J. Physiol. Gastrointest. Liver Physiol. 2000, 279, G1274–G1281. [Google Scholar] [CrossRef] [PubMed]
- Miksa, M.; Das, P.; Zhou, M.; Wu, R.; Dong, W.; Ji, Y.; Goyert, S.M.; Ravikumar, T.S.; Wang, P. Pivotal role of the α2A-adrenoceptor in producing inflammation and organ injury in a rat model of sepsis. PLoS ONE 2009, 4, e5504. [Google Scholar] [CrossRef] [PubMed]
- Zhang, F.; Wu, R.; Qiang, X.; Zhou, M.; Wang, P. Antagonism of α2A-adrenoceptor: A novel approach to inhibit inflammatory responses in sepsis. J. Mol. Med. (Berl.) 2010, 88, 289–296. [Google Scholar] [CrossRef] [PubMed]
- Ji, M.H.; Zhu, X.L.; Liu, F.F.; Li, G.M.; Tian, M.; Wu, J.; Fan, Y.X.; Li, N.; Yang, J.J. α2A-Adrenoreceptor blockade improves sepsis-induced acute lung injury accompanied with depressed high mobility group box-1 levels in rats. Cytokine 2012, 60, 639–645. [Google Scholar] [CrossRef] [PubMed]
- Zádori, Z.S.; Shujaa, N.; Brancati, S.B.; Hein, L.; Gyires, K. Both α2B- and α2C-adrenoceptor subtypes are involved in the mediation of centrally induced gastroprotection in mice. Eur. J. Pharmacol. 2011, 669, 115–120. [Google Scholar] [CrossRef] [PubMed]
- Khan, Z.P.; Ferguson, C.N.; Jones, R.M. α-2 and imidazoline receptor agonists: Their pharmacology and therapeutic role. Anaesthesia 1999, 54, 146–165. [Google Scholar] [CrossRef] [PubMed]
- Wang, Y.; Xia, H.; Yu, X.; Lu, T.; Chi, X.; Cai, J. Hemin protects against hippocampal damage following orthotopic autologous liver transplantation in adult rats. Life Sci. 2015, 135, 27–34. [Google Scholar] [CrossRef] [PubMed]
- Suzuki, S.; Toledo-Pereyra, L.H.; Rodriguez, F.J.; Cejalvo, D. Neutrophil infiltration as an important factor in liver ischemia and reperfusion injury. Modulating effects of FK506 and cyclosporine. Transplantation 1993, 55, 1265–1272. [Google Scholar] [PubMed]
- Jaeschke, H.; Farhood, A. Neutrophil and Kupffer cell-induced oxidant stress and ischemia-reperfusion injury in rat liver. Am. J. Physiol. 1991, 260, G355–G362. [Google Scholar] [PubMed]







© 2016 by the authors; licensee MDPI, Basel, Switzerland. This article is an open access article distributed under the terms and conditions of the Creative Commons Attribution (CC-BY) license (http://creativecommons.org/licenses/by/4.0/).
Share and Cite
Wang, Y.; Wu, S.; Yu, X.; Zhou, S.; Ge, M.; Chi, X.; Cai, J. Dexmedetomidine Protects Rat Liver against Ischemia-Reperfusion Injury Partly by the α2A-Adrenoceptor Subtype and the Mechanism Is Associated with the TLR4/NF-κB Pathway. Int. J. Mol. Sci. 2016, 17, 995. https://doi.org/10.3390/ijms17070995
Wang Y, Wu S, Yu X, Zhou S, Ge M, Chi X, Cai J. Dexmedetomidine Protects Rat Liver against Ischemia-Reperfusion Injury Partly by the α2A-Adrenoceptor Subtype and the Mechanism Is Associated with the TLR4/NF-κB Pathway. International Journal of Molecular Sciences. 2016; 17(7):995. https://doi.org/10.3390/ijms17070995
Chicago/Turabian StyleWang, Yiheng, Shan Wu, Xiaofang Yu, Shaoli Zhou, Mian Ge, Xinjin Chi, and Jun Cai. 2016. "Dexmedetomidine Protects Rat Liver against Ischemia-Reperfusion Injury Partly by the α2A-Adrenoceptor Subtype and the Mechanism Is Associated with the TLR4/NF-κB Pathway" International Journal of Molecular Sciences 17, no. 7: 995. https://doi.org/10.3390/ijms17070995
APA StyleWang, Y., Wu, S., Yu, X., Zhou, S., Ge, M., Chi, X., & Cai, J. (2016). Dexmedetomidine Protects Rat Liver against Ischemia-Reperfusion Injury Partly by the α2A-Adrenoceptor Subtype and the Mechanism Is Associated with the TLR4/NF-κB Pathway. International Journal of Molecular Sciences, 17(7), 995. https://doi.org/10.3390/ijms17070995

