Cellular Antioxidant Properties of Ischnoderma Resinosum Polysaccharide
Abstract
1. Introduction
2. Results
2.1. FT-IR Analysis of IRP
2.2. UV Spectroscopic Analysis
2.3. Congo Red Analysis
2.4. Monosaccharide Composition Analysis
2.5. Determination of the Ability of IRP to Scavenge ABTS, Hydroxyl, DPPH, and Superoxide Anion Radicals
2.6. Evaluation of Antioxidant Activity Using the AAPH-Induced Erythrocyte Model
2.6.1. The Inhibitory Effect of IRP on AAPH-Induced Erythrocyte Hemolysis
2.6.2. Effects of IRP on AAPH-Induced Changes in ROS Level of Erythrocytes
2.6.3. Influence of IRP on AAPH-Induced Antioxidant Enzyme Activity in Erythrocytes
2.6.4. Effects of IRP on AAPH-Induced Changes in LDH and MDA Level of Erythrocytes
2.7. Evaluation of Antioxidant Activity Using a Model of H2O2-Induced Oxidative Damage in HepG2 Cells
2.7.1. Effect of Different Concentrations of IRP on HepG2 Cells
2.7.2. Effect of Different Concentrations of H2O2 on HepG2 Cells
2.7.3. Protective Effect of IRP on H2O2-Induced Oxidative Damage in a Model of HepG2 Cells
2.7.4. Effect of IRP on ROS in a Model of H2O2-Induced Oxidative Damage in HepG2 Cells
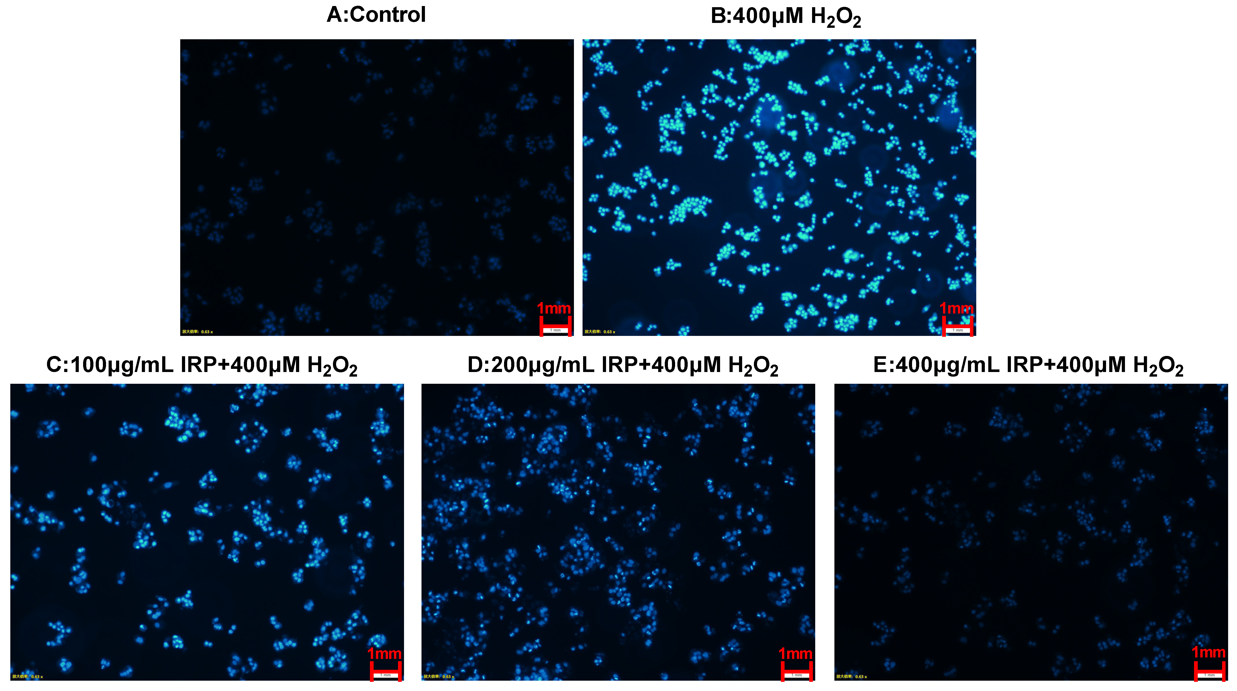
2.7.5. Effect of IRP on Cell Nucleus in H2O2-Induced Oxidative Damage Model of HepG2 Cells by DAPI Staining
2.7.6. The Effect of IRP on Apoptosis in H2O2-Induced Oxidative Damage Model of HepG2 Cells
3. Materials and Methods
3.1. Materials
3.2. Extraction and Purification of IRP
3.3. Structural Analysis
3.3.1. FT-IR Analysis of IRP
3.3.2. Ultraviolet Spectroscopic Analysis
3.3.3. Congo Red Analysis
3.3.4. Monosaccharide Composition Analysis
3.4. Determination of the Ability of IRP to Scavenge Hydroxyl, Superoxide Anion, ABTS, and DPPH Radicals
3.5. Evaluation of Antioxidant Activity Using the AAPH-Treated Erythrocyte Model
3.5.1. AAPH-Treated Erythrocyte Hemolysis Assay
3.5.2. Determination of ROS Generation
3.5.3. Analysis of Intracellular SOD, GSH-Px, CAT, LDH, and MDA
3.6. Evaluation of Antioxidant Activity Using a Model of H2O2-Induced Oxidative Damage in HepG2 Cells
3.6.1. Cell Cultures
3.6.2. Effect of IRP on Cell Viability
3.6.3. Screening of H2O2 Action Concentrations
3.6.4. Preventive Protection of IRP against H2O2-Induced Oxidative Damage in HepG2 cells
3.6.5. Determination of ROS Generation
3.6.6. DAPI Staining for Morphological Changes in Cell Nuclei
3.6.7. Detection of Apoptosis by Flow Cytometry
3.7. Statistical Analysis
4. Discussion
5. Conclusions
Author Contributions
Funding
Institutional Review Board Statement
Informed Consent Statement
Data Availability Statement
Acknowledgments
Conflicts of Interest
Sample Availability
References
- Zhang, Y.; Wang, D.; Chen, Y.; Liu, T.; Zhang, S.; Fan, H.; Liu, H.; Li, Y. Healthy function and high valued utilization of edible fungi. Food Sci. Hum. Wellness 2021, 10, 408–420. [Google Scholar] [CrossRef]
- Zmitrovich, I.; Arefyev, S.; Bondartseva, M.; Belova, N.; Khimich, Y.; Isaeva, L.; Kapitonov, V.; Vlasenko, V.; Volobuev, S.; Ezhov, O.; et al. Profiles of Little-Known Medicinal Polypores: Haploporus odorus (Agaricomycetes). Int. J. Med. Mushrooms 2019. [Google Scholar] [CrossRef] [PubMed]
- Mendoza, L. Dictionary of the Fungi, ninth edition, by P.M. Kirk, P.F. Cannon, J.C. David, and J.A. Stalpers, 2001, CAB International. Mycopathologia 2002, 155, 179–180. [Google Scholar] [CrossRef]
- M A Fitra, Z.T.S.E. The potency of mushrooms as food alternative in the forest park of Pocut Meurah Intan, Saree, Aceh Besar. Electrochem. Soc. 2019. [Google Scholar] [CrossRef]
- Mittler, R. ROS Are Good. Trends Plant Sci. 2017, 22, 11–19. [Google Scholar] [CrossRef]
- Liu, Z.; Ren, Z.; Zhang, J.; Chuang, C.; Kandaswamy, E.; Zhou, T.; Zuo, L. Role of ROS and Nutritional Antioxidants in Human Diseases. Front. Physiol. 2018, 9. [Google Scholar] [CrossRef]
- Xu, X.; Li, S.; Zhang, R.; Le, W. Neuroprotective effects of naturally sourced bioactive polysaccharides: An update. Neural Regen. Res. 2022, 17, 1907. [Google Scholar] [CrossRef]
- Furger, C. Live Cell Assays for the Assessment of Antioxidant Activities of Plant Extracts. Antioxidants 2021, 10, 944. [Google Scholar] [CrossRef]
- Gulcin, İ. Antioxidants and antioxidant methods: An updated overview. Arch. Toxicol. 2020, 94, 651–715. [Google Scholar] [CrossRef]
- Wang, Z.J.; Xie, J.H.; Nie, S.P.; Xie, M.Y. Review on cell models to evaluate the potential antioxidant activity of polysaccharides. Food Funct. 2017, 8, 915–926. [Google Scholar] [CrossRef]
- Ye, B.O.; Ji, Y.; Yuan, Q.; Zhang, G.R.; Fan, Q.; Wei, G.; Yin, Z.; Tao, L. Sevoflurane inhibits the antioxidant capacity of erythrocytes. Exp. Ther. Med. 2016, 11, 650–654. [Google Scholar] [CrossRef][Green Version]
- Xu, J.; Zhang, Y.; Ren, G.; Yang, R.; Chen, J.; Xiang, X.; Qin, H.; Chen, J. Inhibitory Effect of Delphinidin on Oxidative Stress Induced by H2O2 in HepG2 Cells. Oxid. Med. Cell. Longev. 2020, 2020, 1–12. [Google Scholar] [CrossRef]
- Huang, S.; Huang, G. Extraction, structural analysis, and activities of rice bran polysaccharide. Chem. Biol. Drug Des. 2021, 98, 631–638. [Google Scholar] [CrossRef]
- Zhao, T.; Mao, G.; Feng, W.; Mao, R.; Gu, X.; Li, T.; Li, Q.; Bao, Y.; Yang, L.; Wu, X. Isolation, characterization and antioxidant activity of polysaccharide from Schisandra sphenanthera. Carbohyd. Polym. 2014, 105, 26–33. [Google Scholar] [CrossRef]
- Lin, D.; Xu, C.; Liu, Y.; Zhou, Y.; Xiong, S.; Wu, H.; Deng, J.; Yi, Y.; Qiao, M.; Xiao, H.; et al. Chemical Structures and Antioxidant Activities of Polysaccharides from Carthamus tinctorius L. Polymers 2022, 14, 3510. [Google Scholar] [CrossRef]
- Guo, X.; Kang, J.; Xu, Z.; Guo, Q.; Zhang, L.; Ning, H.; Cui, S.W. Triple-helix polysaccharides: Formation mechanisms and analytical methods. Carbohyd. Polym. 2021, 262, 117962. [Google Scholar] [CrossRef]
- Guo, Y.; Chen, X.; Gong, P. Classification, structure and mechanism of antiviral polysaccharides derived from edible and medicinal fungus. Int. J. Biol. Macromol. 2021, 183, 1753–1773. [Google Scholar] [CrossRef]
- Al-Oqail, M.M.; Farshori, N.N.; Al-Sheddi, E.S.; Al-Massarani, S.M.; Siddiqui, M.A.; Al-Khedhairy, A.A. Petroselinum sativum protects HepG2 cells from cytotoxicity and oxidative stress induced by hydrogen peroxide. Mol. Biol. Rep. 2020, 47, 2771–2780. [Google Scholar] [CrossRef]
- Zhao, Y.; Liu, S.; Sheng, Z.; Li, X.; Chang, Y.; Dai, W.; Chang, S.K.; Liu, J.; Yang, Y. Effect of pinolenic acid on oxidative stress injury in HepG2 cells induced by H2O2. Food Sci. Nutr. 2021, 9, 5689–5697. [Google Scholar] [CrossRef]
- Xie, D.; Yuan, P.; Wang, D.; Jin, H.; Chen, H. Effects of naringin on the expression of miR-19b and cell apoptosis in human hepatocellular carcinoma. Oncol. Lett. 2017, 14, 1455–1459. [Google Scholar] [CrossRef][Green Version]
- Xu, N.; Sun, Y.H.; Guo, X.L.; Liu, C.; Mao, Q.; Hou, J.M. Optimization of ultrasonic-microwave synergistic extraction of polysaccharides fromMorchella conica. J. Food Process. Pres. 2017, 42, e13423. [Google Scholar] [CrossRef]
- Dubois, M.; Gilles, K.A.; Hamilton, J.K.; Rebers, P.T.; Smith, F. Colorimetric Method for Determination of Sugars. Anal. Chem. 1956, 3, 350–356. [Google Scholar] [CrossRef]
- Liu, Y.; Mo, X.; Tang, X.; Li, J.; Hu, M.; Yan, D.; Peng, W.; Wu, C. Extraction Optimization, Characterization, and Bioactivities of Polysaccharides from Pinelliae Rhizoma Praeparatum Cum Alumine Employing Ultrasound-Assisted Extraction. Molecules 2017, 22, 965. [Google Scholar] [CrossRef] [PubMed]
- Miao, Y.; Lin, Q.; Cao, Y.; He, G.; Qiao, D.; Cao, Y. Extraction of water-soluble polysaccharides (WSPS) from Chinese truffle and its application in frozen yogurt. Carbohyd. Polym. 2011, 86, 566–573. [Google Scholar] [CrossRef]
- Jahanbin, K.; Abbasian, A.; Ahang, M. Isolation, purification and structural characterization of a new water-soluble polysaccharide from Eremurus stenophyllus (boiss. & buhse) baker roots. Carbohyd. Polym. 2017, 178, 386–393. [Google Scholar] [CrossRef]
- Ouerfelli, M.; Bettaieb Ben Kâab, L.; Almajano, M. Radical Scavenging and Antioxidant Activity of Anthyllis Vulneraria Leaves and Flowers. Molecules 2018, 23, 1657. [Google Scholar] [CrossRef]
- Gong, J.; Huang, J.; Xiao, G.; Chen, F.; Lee, B.; Ge, Q.; You, Y.; Liu, S.; Zhang, Y. Antioxidant Capacities of Fractions of Bamboo Shaving Extract and Their Antioxidant Components. Molecules 2016, 21, 996. [Google Scholar] [CrossRef]
- Wang, Q.; Luo, J.; Liu, H.; Brennan, C.S.; Liu, J.; Zou, X. Protective effects of the flavonoid fraction obtained from pomelo fruitlets through ultrasonic-associated microwave extraction against AAPH-induced erythrocyte hemolysis. RSC Adv. 2019, 9, 16007–16017. [Google Scholar] [CrossRef]
- Yu, D.; Zha, Y.; Zhong, Z.; Ruan, Y.; Li, Z.; Sun, L.; Hou, S. Improved detection of reactive oxygen species by DCFH-DA: New insight into self-amplification of fluorescence signal by light irradiation. Sens. Actuators B Chem. 2021, 339, 129878. [Google Scholar] [CrossRef]
- Long, X.; Hu, X.; Pan, C.; Xiang, H.; Chen, S.; Qi, B.; Liu, S.; Yang, X. Antioxidant Activity of Gracilaria lemaneiformis Polysaccharide Degradation Based on Nrf-2/Keap-1 Signaling Pathway in HepG2 Cells with Oxidative Stress Induced by H2O2. Mar. Drugs 2022, 20, 545. [Google Scholar] [CrossRef]
- Zhang, J.; Gao, H.; Zhu, L.; Yuan, X.; Yang, X.; Xu, M.; Yang, Y. The Protective Effect of Trichosanthes kirilowii Peel Polysaccharide on the Oxidative Damaged HepG2 and HUASMC Cells. Genet Res (Camb) 2022, 2022, 1792977. [Google Scholar] [CrossRef]
- Li, X.; Bau, T.; Bao, H. FPOA induces apoptosis in HeLa human cervical cancer cells through a caspase-mediated pathway. Oncol. Lett. 2018, 15, 8357–8362. [Google Scholar] [CrossRef]
- Varışlı, B.; Darendelioğlu, E.; Caglayan, C.; Kandemir, F.M.; Ayna, A.; Genç, A.; Kandemir, Ö. Hesperidin Attenuates Oxidative Stress, Inflammation, Apoptosis, and Cardiac Dysfunction in Sodium Fluoride-Induced Cardiotoxicity in Rats. Cardiovasc. Toxicol. 2022, 22, 727–735. [Google Scholar] [CrossRef]
- Kucukler, S.; Benzer, F.; Yildirim, S.; Gur, C.; Kandemir, F.M.; Bengu, A.S.; Ayna, A.; Caglayan, C.; Dortbudak, M.B. Protective Effects of Chrysin Against Oxidative Stress and Inflammation Induced by Lead Acetate in Rat Kidneys: A Biochemical and Histopathological Approach. Biol. Trace Elem. Res. 2021, 199, 1501–1514. [Google Scholar] [CrossRef]
- Barbosa, J.R.; Carvalho Junior, R.N.D. Occurrence and possible roles of polysaccharides in fungi and their influence on the development of new technologies. Carbohyd. Polym. 2020, 246, 116613. [Google Scholar] [CrossRef]
- Wang, H.; Ma, J.; Zhou, M.; Si, J.; Cui, B. Current advances and potential trends of the polysaccharides derived from medicinal mushrooms sanghuang. Front. Microbiol. 2022, 13. [Google Scholar] [CrossRef]
- Mu, S.; Yang, W.; Huang, G. Antioxidant activities and mechanisms of polysaccharides. Chem. Biol. Drug Des. 2021, 97, 628–632. [Google Scholar] [CrossRef]
- Wang, Q.; Wang, F.; Xu, Z.; Ding, Z. Bioactive Mushroom Polysaccharides: A Review on Monosaccharide Composition, Biosynthesis and Regulation. Molecules 2017, 22, 955. [Google Scholar] [CrossRef]
- Ximenes, V.F.; Lopes, M.G.; Petrônio, M.S.; Regasini, L.O.; Siqueira Silva, D.H.; Da Fonseca, L.M. Inhibitory Effect of Gallic Acid and Its Esters on 2,2′-Azobis(2-amidinopropane)hydrochloride (AAPH)-Induced Hemolysis and Depletion of Intracellular Glutathione in Erythrocytes. J. Agr. Food Chem. 2010, 58, 5355–5362. [Google Scholar] [CrossRef]
- Qin, B.; Yang, K.; Cao, R. Synthesis and Antioxidative Activity of Piperine Derivatives Containing Phenolic Hydroxyl. J. Chem. 2020, 2020, 1–9. [Google Scholar] [CrossRef]
- Huchzermeyer, B.; Menghani, E.; Khardia, P.; Shilu, A. Metabolic Pathway of Natural Antioxidants, Antioxidant Enzymes and ROS Providence. Antioxidants 2022, 11, 761. [Google Scholar] [CrossRef] [PubMed]
- Zheng, L.; Dong, H.; Su, G.; Zhao, Q.; Zhao, M. Radical scavenging activities of Tyr-, Trp-, Cys- and Met-Gly and their protective effects against AAPH-induced oxidative damage in human erythrocytes. Food Chem. 2016, 197, 807–813. [Google Scholar] [CrossRef] [PubMed]
- Zhang, Y.; Li, W.; Zhang, X.; Yan, Y.; Nie, S.; Gong, D.; Tang, X.; He, M.; Xie, M. Ganoderma atrum polysaccharide ameliorates anoxia/reoxygenation-mediated oxidative stress and apoptosis in human umbilical vein endothelial cells. Int. J. Biol. Macromol. 2017, 98, 398–406. [Google Scholar] [CrossRef]
- Han, K. Relationships among alcoholic liver disease, antioxidants, and antioxidant enzymes. World J. Gastroentero. 2016, 22, 37. [Google Scholar] [CrossRef] [PubMed]
- He, J.; Zhu, J.; Yin, S.; Yang, X. Bioaccessibility and intracellular antioxidant activity of phloretin embodied by gliadin/sodium carboxymethyl cellulose nanoparticles. Food Hydrocolloid. 2022, 122, 107076. [Google Scholar] [CrossRef]
- Guang Wang, Z.L.Q.Z.; Hui Wu, F.L. Enrichment of Caffeic Acid in Peanut Sprouts and Evaluation of Its In Vitro. Food Chem. 2016. [Google Scholar] [CrossRef]
- Chen, W.; Ma, J.; Gong, F.; Xi, H.; Zhan, Q.; Li, X.; Wei, F.; Wu, H.; Lai, F. Two novel polysaccharides from the torus of Saussurea laniceps protect against AAPH-induced oxidative damage in human erythrocytes. Carbohyd. Polym. 2018, 200, 446–455. [Google Scholar] [CrossRef]
- Tan, J.; Li, P.; Xue, H.; Li, Q. Cyanidin-3-glucoside prevents hydrogen peroxide (H2O2)-induced oxidative damage in HepG2 cells. Biotechnol. Lett. 2020, 42, 2453–2466. [Google Scholar] [CrossRef]
- Chang, X.; Dong, S.; Bai, W.; Di, Y.; Gu, R.; Liu, F.; Zhao, B.; Wang, Y.; Liu, X. Methylated Metabolites of Chicoric Acid Ameliorate Hydrogen Peroxide (H2O2)-Induced Oxidative Stress in HepG2 Cells. J. Agr. Food Chem. 2021, 69, 2179–2189. [Google Scholar] [CrossRef]
- Hurrell, T.; Ellero, A.A.; Masso, Z.F.; Cromarty, A.D. Characterization and reproducibility of HepG2 hanging drop spheroids toxicology in vitro. Toxicol. In Vitro 2018, 50, 86–94. [Google Scholar] [CrossRef]
- Hack, C.T.; Buck, T.; Bagnjuk, K.; Eubler, K.; Kunz, L.; Mayr, D.; Mayerhofer, A. A Role for H2O2 and TRPM2 in the Induction of Cell Death: Studies in KGN Cells. Antioxidants 2019, 8, 518. [Google Scholar] [CrossRef]
- Su, M.; Yu, T.; Zhang, H.; Wu, Y.; Wang, X.; Li, G. The Antiapoptosis Effect of Glycyrrhizate on HepG2 Cells Induced by Hydrogen Peroxide. Oxid. Med. Cell. Longev. 2016, 2016, 1–9. [Google Scholar] [CrossRef]
- Naka, K.; Muraguchi, T.; Hoshii, T.; Hirao, A. Regulation of Reactive Oxygen Species and Genomic Stability in Hematopoietic Stem Cells. Antioxid. Redox Sign. 2008, 10, 1883–1894. [Google Scholar] [CrossRef]
- Temple, M.D.; Perrone, G.G.; Dawes, I.W. Complex cellular responses to reactive oxygen species. Trends Cell Biol. 2005, 15, 319–326. [Google Scholar] [CrossRef]
- Kuang, H.; Jiao, Y.; Wang, W.; Wang, F.; Chen, Q. Characterization and antioxidant activities of intracellular polysaccharides from Agaricus bitorquis (QueL.) Sacc. Chaidam ZJU-CDMA-12. Int. J. Biol. Macromol. 2020, 156, 1112–1125. [Google Scholar] [CrossRef]
- Liu, J.; Lin, J.; Huang, Z.; Zheng, Q.; Lin, F.; Wu, L. Chemical characterization ofTianshan green tea polysaccharides and its protective effects on cell oxidative injury. J. Food Biochem. 2022, 46, e14000. [Google Scholar] [CrossRef]
















Publisher’s Note: MDPI stays neutral with regard to jurisdictional claims in published maps and institutional affiliations. |
© 2022 by the authors. Licensee MDPI, Basel, Switzerland. This article is an open access article distributed under the terms and conditions of the Creative Commons Attribution (CC BY) license (https://creativecommons.org/licenses/by/4.0/).
Share and Cite
Liao, C.; Wu, L.; Zhong, W.; Zheng, Q.; Tan, W.; Feng, K.; Feng, X.; Meng, F. Cellular Antioxidant Properties of Ischnoderma Resinosum Polysaccharide. Molecules 2022, 27, 7717. https://doi.org/10.3390/molecules27227717
Liao C, Wu L, Zhong W, Zheng Q, Tan W, Feng K, Feng X, Meng F. Cellular Antioxidant Properties of Ischnoderma Resinosum Polysaccharide. Molecules. 2022; 27(22):7717. https://doi.org/10.3390/molecules27227717
Chicago/Turabian StyleLiao, Caiyu, Liyan Wu, Wenting Zhong, Qinhua Zheng, Weijian Tan, Kexin Feng, Xiaolin Feng, and Fanxin Meng. 2022. "Cellular Antioxidant Properties of Ischnoderma Resinosum Polysaccharide" Molecules 27, no. 22: 7717. https://doi.org/10.3390/molecules27227717
APA StyleLiao, C., Wu, L., Zhong, W., Zheng, Q., Tan, W., Feng, K., Feng, X., & Meng, F. (2022). Cellular Antioxidant Properties of Ischnoderma Resinosum Polysaccharide. Molecules, 27(22), 7717. https://doi.org/10.3390/molecules27227717
