Sign in to use this feature.

Years

Between: -

Subjects

remove_circle_outline
remove_circle_outline
remove_circle_outline
remove_circle_outline
remove_circle_outline
remove_circle_outline
remove_circle_outline
remove_circle_outline
remove_circle_outline

Journals

Article Types

Countries / Regions

Search Results (189)

Search Parameters:
Keywords = ship lightweight

Order results
Result details
Results per page
Select all
Export citation of selected articles as:
26 pages, 20666 KB  
Article
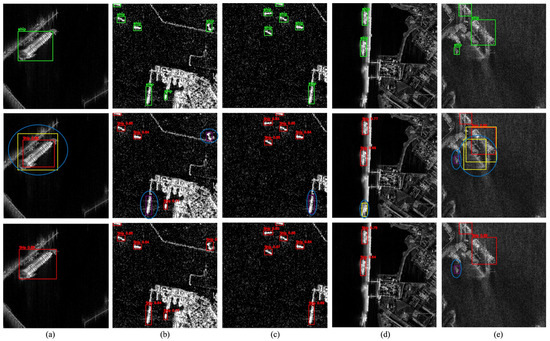
DRC2-Net: A Context-Aware and Geometry-Adaptive Network for Lightweight SAR Ship Detection
by Abdelrahman Yehia, Naser El-Sheimy, Ashraf Helmy, Ibrahim Sh. Sanad and Mohamed Hanafy
Sensors 2025, 25(22), 6837; https://doi.org/10.3390/s25226837 - 8 Nov 2025
Viewed by 175
Abstract
Synthetic Aperture Radar (SAR) ship detection remains challenging due to background clutter, target sparsity, and fragmented or partially occluded ships, particularly at small scales. To address these issues, we propose the Deformable Recurrent Criss-Cross Attention Network (DRC2-Net), a lightweight and [...] Read more.
Synthetic Aperture Radar (SAR) ship detection remains challenging due to background clutter, target sparsity, and fragmented or partially occluded ships, particularly at small scales. To address these issues, we propose the Deformable Recurrent Criss-Cross Attention Network (DRC2-Net), a lightweight and efficient detection framework built upon the YOLOX-Tiny architecture. The model incorporates two SAR-specific modules: a Recurrent Criss-Cross Attention (RCCA) module to enhance contextual awareness and reduce false positives and a Deformable Convolutional Networks v2 (DCNv2) module to capture geometric deformations and scale variations adaptively. These modules expand the Effective Receptive Field (ERF) and improve feature adaptability under complex conditions. DRC2-Net is trained on the SSDD and iVision-MRSSD datasets, encompassing highly diverse SAR imagery including inshore and offshore scenes, variable sea states, and complex coastal backgrounds. The model maintains a compact architecture with 5.05 M parameters, ensuring strong generalization and real-time applicability. On the SSDD dataset, it outperforms the YOLOX-Tiny baseline with AP@50 of 93.04% (+0.9%), APs of 91.15% (+1.31%), APm of 88.30% (+1.22%), and APl of 89.47% (+13.32%). On the more challenging iVision-MRSSD dataset, it further demonstrates improved scale-aware detection, achieving higher AP across small, medium, and large targets. These results confirm the effectiveness and robustness of DRC2-Net for multi-scale ship detection in complex SAR environments, consistently surpassing state-of-the-art detectors. Full article
Show Figures

Figure 1

21 pages, 1585 KB  
Article
MSG-GCN: Multi-Semantic Guided Graph Convolutional Network for Human Overboard Behavior Recognition in Maritime Drone Systems
by Ruijie Hang, Guiqing He and Liheng Dong
Drones 2025, 9(11), 768; https://doi.org/10.3390/drones9110768 - 6 Nov 2025
Viewed by 206
Abstract
Drones are increasingly being used in maritime engineering for ship maintenance, emergency rescue, and safety monitoring tasks. In these tasks, action recognition is important for human–drone interaction and for detecting abnormal situations such as falls or distress signals. However, the maritime environment is [...] Read more.
Drones are increasingly being used in maritime engineering for ship maintenance, emergency rescue, and safety monitoring tasks. In these tasks, action recognition is important for human–drone interaction and for detecting abnormal situations such as falls or distress signals. However, the maritime environment is highly challenging, with illumination variations, water spray, and dynamic backgrounds often leading to ambiguity between similar actions. To address this issue, we propose MSG-GCN, a multi-semantic guided graph convolutional network for human action recognition. Specifically, MSG-GCN integrates structured prior semantic information and further introduces a textual–semantic alignment mechanism to improve the consistency and expressiveness of multimodal features. Benefiting from its lightweight hierarchical design, our model offers excellent deployment flexibility, making it well suited for resource-constrained UAV applications. Experimental results on large-scale benchmark datasets, including NTU60, NTU120 and UAV-human, demonstrate that MSG-GCN surpasses state-of-the-art methods in both classification accuracy and computational efficiency. Full article
Show Figures

Figure 1

22 pages, 13163 KB  
Article
LW-MS-LFTFNet: A Lightweight Multi-Scale Network Integrating Low-Frequency Temporal Features for Ship-Radiated Noise Recognition
by Yu Feng, Zhangxin Chen, Yixuan Chen, Ziqin Xie, Jiale He, Jiachang Li, Houqian Ding, Tao Guo and Kai Chen
J. Mar. Sci. Eng. 2025, 13(11), 2073; https://doi.org/10.3390/jmse13112073 - 31 Oct 2025
Viewed by 332
Abstract
Ship-radiated noise (SRN) recognition is vital for underwater acoustics, with applications in both military and civilian fields. Traditional manual recognition by sonar operators is inefficient and error-prone, motivating the development of automated recognition systems. However, most existing deep learning approaches demand high computational [...] Read more.
Ship-radiated noise (SRN) recognition is vital for underwater acoustics, with applications in both military and civilian fields. Traditional manual recognition by sonar operators is inefficient and error-prone, motivating the development of automated recognition systems. However, most existing deep learning approaches demand high computational resources, limiting their deployment on resource-constrained edge devices. To overcome this challenge, we propose LW-MS-LFTFNet, a lightweight model informed by time-frequency analysis of SRN that highlights the critical role of low-frequency components. The network integrates a multi-scale depthwise separable convolutional backbone with CBAM attention for efficient spectral representation, along with two LSTM-based modules to capture temporal dependencies in low-frequency bands. Experiments on the DeepShip dataset show that LW-MS-LFTFNet achieves 75.04% accuracy with only 0.85 M parameters, 0.38 GMACs, and 3.27 MB of storage, outperforming representative lightweight architectures. Ablation studies further confirm that low-frequency temporal modules contribute complementary gains, improving accuracy by 2.64% with minimal overhead. Guided by domain-specific priors derived from time-frequency pattern analysis, LW-MS-LFTFNet achieves efficient and accurate SRN recognition with strong potential for edge deployment. Full article
(This article belongs to the Section Ocean Engineering)
Show Figures

Figure 1

32 pages, 66366 KB  
Article
EISD-YOLO: Efficient Infrared Ship Detection with Param-Reduced PEMA Block and Dynamic Task Alignment
by Siyu Wang, Yunsong Feng, Huifeng Tao, Juan Chen, Wei Jin, Liping Liu and Changqi Zhou
Photonics 2025, 12(11), 1044; https://doi.org/10.3390/photonics12111044 - 22 Oct 2025
Viewed by 437
Abstract
Ship detection is critical for maritime traffic management, as infrared imaging in complex marine environments encounters significant challenges, such as strong background interference and weak target features. Thus, we propose EISD-YOLO (Efficient Infrared Ship Detection-YOLO), a high-performance lightweight algorithm specifically designed for infrared [...] Read more.
Ship detection is critical for maritime traffic management, as infrared imaging in complex marine environments encounters significant challenges, such as strong background interference and weak target features. Thus, we propose EISD-YOLO (Efficient Infrared Ship Detection-YOLO), a high-performance lightweight algorithm specifically designed for infrared ship detection. The algorithm aims to improve detection accuracy while simultaneously reducing model parameters and enhancing computational efficiency. It integrates three core architectural innovations: first, we optimized the backbone C3k2 module by replacing the traditional bottleneck with a PEMA block to significantly reduce the parameter count; second, we integrated a lightweight DS_ADNet module, using depth-wise separable convolution to reduce parameters and alleviate computational load while maintaining robust feature representation; and third, we adopted the DyTAHead detection head, which integrates classification and localization features through dynamic task alignment, thereby achieving robust performance in complex infrared ship detection scenarios. The experimental results on the IRShip dataset demonstrate that, compared with YOLOv11n, EISD-YOLO reduced the parameters by 48.83%, while mAP@0.50, precision, and recall all increased by 1.2%. This breaks the traditional rule that lightweight models inevitably lead to reduced accuracy. Additionally, the model size reduced from 10.1 MB to 5.7 MB, which highlights its enhanced computational efficiency and practical applicability in maritime deployment scenarios. Full article
(This article belongs to the Special Issue Technologies and Applications of Optical Imaging)
Show Figures

Figure 1

22 pages, 7434 KB  
Article
A Lightweight Image-Based Decision Support Model for Marine Cylinder Lubrication Based on CNN-ViT Fusion
by Qiuyu Li, Guichen Zhang and Enrui Zhao
J. Mar. Sci. Eng. 2025, 13(10), 1956; https://doi.org/10.3390/jmse13101956 - 13 Oct 2025
Viewed by 319
Abstract
Under the context of “Energy Conservation and Emission Reduction,” low-sulfur fuel has become widely adopted in maritime operations, posing significant challenges to cylinder lubrication systems. Traditional oil injection strategies, heavily reliant on manual experience, suffer from instability and high costs. To address this, [...] Read more.
Under the context of “Energy Conservation and Emission Reduction,” low-sulfur fuel has become widely adopted in maritime operations, posing significant challenges to cylinder lubrication systems. Traditional oil injection strategies, heavily reliant on manual experience, suffer from instability and high costs. To address this, a lightweight image retrieval model for cylinder lubrication is proposed, leveraging deep learning and computer vision to support oiling decisions based on visual features. The model comprises three components: a backbone network, a feature enhancement module, and a similarity retrieval module. Specifically, EfficientNetB0 serves as the backbone for efficient feature extraction under low computational overhead. MobileViT Blocks are integrated to combine local feature perception of Convolutional Neural Networks (CNNs) with the global modeling capacity of Transformers. To further improve receptive field and multi-scale representation, Receptive Field Blocks (RFB) are introduced between the components. Additionally, the Convolutional Block Attention Module (CBAM) attention mechanism enhances focus on salient regions, improving feature discrimination. A high-quality image dataset was constructed using WINNING’s large bulk carriers under various sea conditions. The experimental results demonstrate that the EfficientNetB0 + RFB + MobileViT + CBAM model achieves excellent performance with minimal computational cost: 99.71% Precision, 99.69% Recall, and 99.70% F1-score—improvements of 11.81%, 15.36%, and 13.62%, respectively, over the baseline EfficientNetB0. With only a 0.3 GFLOP and 8.3 MB increase in model size, the approach balances accuracy and inference efficiency. The model also demonstrates good robustness and application stability in real-world ship testing, with potential for further adoption in the field of intelligent ship maintenance. Full article
(This article belongs to the Section Ocean Engineering)
Show Figures

Figure 1

23 pages, 23535 KB  
Article
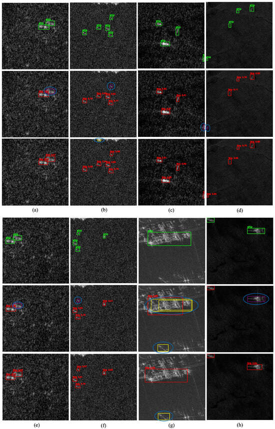
FANT-Det: Flow-Aligned Nested Transformer for SAR Small Ship Detection
by Hanfu Li, Dawei Wang, Jianming Hu, Xiyang Zhi and Dong Yang
Remote Sens. 2025, 17(20), 3416; https://doi.org/10.3390/rs17203416 - 12 Oct 2025
Viewed by 509
Abstract
Ship detection in synthetic aperture radar (SAR) remote sensing imagery is of great significance in military and civilian applications. However, two factors limit detection performance: (1) a high prevalence of small-scale ship targets with limited information content and (2) interference affecting ship detection [...] Read more.
Ship detection in synthetic aperture radar (SAR) remote sensing imagery is of great significance in military and civilian applications. However, two factors limit detection performance: (1) a high prevalence of small-scale ship targets with limited information content and (2) interference affecting ship detection from speckle noise and land–sea clutter. To address these challenges, we propose a novel end-to-end (E2E) transformer-based SAR ship detection framework, called Flow-Aligned Nested Transformer for SAR Small Ship Detection (FANT-Det). Specifically, in the feature extraction stage, we introduce a Nested Swin Transformer Block (NSTB). The NSTB employs a two-level local self-attention mechanism to enhance fine-grained target representation, thereby enriching features of small ships. For multi-scale feature fusion, we design a Flow-Aligned Depthwise Efficient Channel Attention Network (FADEN). FADEN achieves precise alignment of features across different resolutions via semantic flow and filters background clutter through lightweight channel attention, further enhancing small-target feature quality. Moreover, we propose an Adaptive Multi-scale Contrastive Denoising (AM-CDN) training paradigm. AM-CDN constructs adaptive perturbation thresholds jointly determined by a target scale factor and a clutter factor, generating contrastive denoising samples that better match the physical characteristics of SAR ships. Finally, extensive experiments on three widely used open SAR ship datasets demonstrate that the proposed method achieves superior detection performance, outperforming current state-of-the-art (SOTA) benchmarks. Full article
Show Figures

Figure 1

18 pages, 4521 KB  
Article
Lightweight Design and Research of Electric Towing Winch Based on Kriging-NSGA-III-TOPSIS Multi-Objective Optimization Technology
by Quanliang Liu, Lu Feng, Ya Wang, Ji Lin and Linsen Zhu
Machines 2025, 13(10), 922; https://doi.org/10.3390/machines13100922 - 6 Oct 2025
Viewed by 379
Abstract
To address the challenges of weight redundancy, low material utilization, and excessive performance margins in the design of electric cable-hauling machines, this study proposes a novel multi-objective optimization framework. The framework integrates Latin hypercube experimental design, Kriging surrogate modeling, a Non-dominated Sorting Genetic [...] Read more.
To address the challenges of weight redundancy, low material utilization, and excessive performance margins in the design of electric cable-hauling machines, this study proposes a novel multi-objective optimization framework. The framework integrates Latin hypercube experimental design, Kriging surrogate modeling, a Non-dominated Sorting Genetic Algorithm III (NSGA-III), and a coupled TOPSIS (Technique for Order Preference by Similarity to Ideal Solution) approach. A high-fidelity finite element model based on extreme operating conditions was established to simulate the performance of the electric towing winch. The Kriging model was employed to replace time-consuming finite element calculations, significantly improving computational efficiency. The NSGA-III algorithm was then utilized to search for the Pareto front, identifying a set of optimal solutions that balance multiple design objectives. Finally, the TOPSIS method was applied to select the most preferable solution from the Pareto front. The results demonstrate a 7.32% reduction in the overall mass of the towing winch, a 7.34% increase in the safety factor, and a 4.57% reduction in maximum structural deformation under extreme operating conditions. These findings validate the effectiveness of the proposed Kriging-NSGA-III-TOPSIS strategy for lightweight design of ship deck winch machinery. Full article
(This article belongs to the Section Machine Design and Theory)
Show Figures

Figure 1

21 pages, 5777 KB  
Article
S2M-Net: A Novel Lightweight Network for Accurate Small Ship Recognition in SAR Images
by Guobing Wang, Rui Zhang, Junye He, Yuxin Tang, Yue Wang, Yonghuan He, Xunqiang Gong and Jiang Ye
Remote Sens. 2025, 17(19), 3347; https://doi.org/10.3390/rs17193347 - 1 Oct 2025
Viewed by 535
Abstract
Synthetic aperture radar (SAR) provides all-weather and all-day imaging capabilities and can penetrate clouds and fog, playing an important role in ship detection. However, small ships usually contain weak feature information in such images and are easily affected by noise, which makes detection [...] Read more.
Synthetic aperture radar (SAR) provides all-weather and all-day imaging capabilities and can penetrate clouds and fog, playing an important role in ship detection. However, small ships usually contain weak feature information in such images and are easily affected by noise, which makes detection challenging. In practical deployment, limited computing resources require lightweight models to improve real-time performance, yet achieving a lightweight design while maintaining high detection accuracy for small targets remains a key challenge in object detection. To address this issue, we propose a novel lightweight network for accurate small-ship recognition in SAR images, named S2M-Net. Specifically, the Space-to-Depth Convolution (SPD-Conv) module is introduced in the feature extraction stage to optimize convolutional structures, reducing computation and parameters while retaining rich feature information. The Mixed Local-Channel Attention (MLCA) module integrates local and channel attention mechanisms to enhance adaptation to complex backgrounds and improve small-target detection accuracy. The Multi-Scale Dilated Attention (MSDA) module employs multi-scale dilated convolutions to fuse features from different receptive fields, strengthening detection across ships of various sizes. The experimental results show that S2M-Net achieved mAP50 values of 0.989, 0.955, and 0.883 on the SSDD, HRSID, and SARDet-100k datasets, respectively. Compared with the baseline model, the F1 score increased by 1.13%, 2.71%, and 2.12%. Moreover, S2M-Net outperformed other state-of-the-art algorithms in FPS across all datasets, achieving a well-balanced trade-off between accuracy and efficiency. This work provides an effective solution for accurate ship detection in SAR images. Full article
Show Figures

Figure 1

26 pages, 11189 KB  
Article
DSEE-YOLO: A Dynamic Edge-Enhanced Lightweight Model for Infrared Ship Detection in Complex Maritime Environments
by Siyu Wang, Yunsong Feng, Wei Jin, Liping Liu, Changqi Zhou, Huifeng Tao and Lei Cai
Remote Sens. 2025, 17(19), 3325; https://doi.org/10.3390/rs17193325 - 28 Sep 2025
Viewed by 625
Abstract
Complex marine infrared images, which suffer from background interference, blurred features, and indistinct contours, hamper detection accuracy. Meanwhile, the limited computing power, storage, and energy of maritime devices require target detection models suitable for real-time detection. To address these issues, we propose DSEE-YOLO [...] Read more.
Complex marine infrared images, which suffer from background interference, blurred features, and indistinct contours, hamper detection accuracy. Meanwhile, the limited computing power, storage, and energy of maritime devices require target detection models suitable for real-time detection. To address these issues, we propose DSEE-YOLO (Dynamic Ship Edge-Enhanced YOLO), an efficient lightweight infrared ship detection algorithm. It integrates three innovative modules with pruning and self-distillation: the C3k2_MultiScaleEdgeFusion module replaces the original bottleneck with a MultiEdgeFusion structure to boost edge feature expression; the lightweight DS_ADown module uses DSConv (depthwise separable convolution) to reduce parameters while preserving feature capability; and the DyTaskHead dynamically aligns classification and localization features through task decomposition. Redundant structures are pruned via LAMP (Layer-Adaptive Sparsity for the Magnitude-Based Pruning), and performance is optimized via BCKD (Bridging Cross-Task Protocol Inconsistency for Knowledge Distillation) self-distillation, yielding a lightweight, efficient model. Experimental results show the DSEE-YOLO outperforms YOLOv11n when applied to our self-constructed IRShip dataset by reducing parameters by 42.3% and model size from 10.1 MB to 3.5 MB while increasing mAP@0.50 by 2.8%, mAP@0.50:0.95 by 3.8%, precision by 2.3%, and recall by 3.0%. These results validate its high-precision detection capability and lightweight advantages in complex infrared scenarios, offering an efficient solution for real-time maritime infrared ship monitoring. Full article
Show Figures

Figure 1

27 pages, 4021 KB  
Article
Research on Water Surface Object Detection Method Based on Image Fusion
by Yihong Chen, Xiaoyi Ma, Qi Wang, Yunqian He and Shuo Xie
J. Mar. Sci. Eng. 2025, 13(9), 1832; https://doi.org/10.3390/jmse13091832 - 22 Sep 2025
Cited by 1 | Viewed by 491
Abstract
Accurate and rapid detection of surface targets is a key technology for autonomous navigation of intelligent and unmanned ships. Faced with complex maritime environments and ever-changing maritime targets, it is impossible to consistently obtain accurate target detection results based on a single sensor. [...] Read more.
Accurate and rapid detection of surface targets is a key technology for autonomous navigation of intelligent and unmanned ships. Faced with complex maritime environments and ever-changing maritime targets, it is impossible to consistently obtain accurate target detection results based on a single sensor. Infrared and visible light have strong complementarity. By fusing infrared and visible images, a more comprehensive and prominent fused image can be obtained, effectively improving the accuracy of target detection. This article constructs a lightweight convolutional neural network image fusion model based on the fusion framework of convolutional neural networks and then uses the constructed water surface dataset for comprehensive experimental testing of image fusion and object detection. The test results show that the object detection model trained using fused images has better detection performance than the object detection model trained using infrared and visible light images alone. So, integrating two types of images can provide better results for object detection and help promote the development of related technologies. Full article
(This article belongs to the Special Issue The Control and Navigation of Autonomous Surface Vehicles)
Show Figures

Figure 1

16 pages, 17338 KB  
Article
MSRS-DETR: End-to-End Object Detection for Multi-Scale Remote Sensing
by Jie Yuan, Shuyi Feng and Hao Han
Sensors 2025, 25(18), 5734; https://doi.org/10.3390/s25185734 - 14 Sep 2025
Viewed by 1062
Abstract
Remote sensing imagery (RSI) object detection is critical to many applications, yet mainstream detectors analyse only spatial features and, because of spectral bias, fail to learn high-frequency information adequately, resulting in performance bottlenecks under cluttered backgrounds, distractors, and multi-scale targets, especially small ones. [...] Read more.
Remote sensing imagery (RSI) object detection is critical to many applications, yet mainstream detectors analyse only spatial features and, because of spectral bias, fail to learn high-frequency information adequately, resulting in performance bottlenecks under cluttered backgrounds, distractors, and multi-scale targets, especially small ones. To break these limitations, we propose MSRS-DETR, an end-to-end framework that deeply fuses spatial and frequency cues. The approach introduces three key innovations: (1) C2fFATNET, a frequency-attention-enhanced lightweight residual backbone that provides richer dual-domain features with fewer parameters; (2) an Entanglement Transformer Block (ETB) in the encoder that refines deep semantics via cross-domain frequency–spatial interaction and suppresses background interference; and (3) S2-CCFF, a shallow-feature-extended bidirectional fusion path that markedly improves the retention and utilisation of fine details for small objects. Experiments on HRSC2016 and ShipRSImageNet demonstrate the effectiveness and generalisation of this spatial–frequency paradigm: relative to the baseline, MSRS-DETR reduces parameters by 29.1%, boosts inference speed by 12.4% and 8.4%, and raises mAP50-95 by 1.69% and 2.16%, respectively. Full article
(This article belongs to the Special Issue Advanced Pattern Recognition: Intelligent Sensing and Imaging)
Show Figures

Figure 1

24 pages, 7813 KB  
Article
YOLO-LFVM: A Lightweight UAV-Based Model for Real-Time Fishing Vessel Tracking and Dimension Measurement
by Zhuofan Hui, Penglong Li, Shujiang Miao, Yinfu Li, Lie Shen and Hui Shen
J. Mar. Sci. Eng. 2025, 13(9), 1739; https://doi.org/10.3390/jmse13091739 - 10 Sep 2025
Viewed by 536
Abstract
This study proposes a lightweight real-time fishing vessel tracking and size measurement model based on a UAV. In view of the problems faced by the current fishing port management department, such as low efficiency of fishing vessel size measurement methods and difficulty in [...] Read more.
This study proposes a lightweight real-time fishing vessel tracking and size measurement model based on a UAV. In view of the problems faced by the current fishing port management department, such as low efficiency of fishing vessel size measurement methods and difficulty in updating the size information of large quantities of fishing vessels in time, this paper proposes a lightweight real-time fishing vessel tracking and size measurement model based on a UAV. (YOLO-LFVM). The model incorporates lightweight modules, such as MobileNetV3, AKConv, and C2f, and utilizes Python scripts in conjunction with OpenCV to measure vessel size in pixels. The findings indicate that, compared to the original model, the YOLO-LFVM model’s accuracy rate, recall rate, and mAP@0.5 decrease by only 0.7%, 0.2%, and 0.3%, respectively, while mAP@0.95 increases by 1.7%. Additionally, the model’s parameters decrease by 65%, and GFLOPs decrease by 69%. When comparing the model’s output with actual vessel data, the average relative error for total length is 2.67%, and for width, it is 3.28%. The research shows that the YOLO-LFVM model is effective in ship identification, ship tracking statistics, and measurement. Through the integration with UAV remote sensing technology, it is conducive to the timely updating of large-scale fishing vessel size information. Finally, the model can assist the daily management and law enforcement of the fishing port management department and can be applied to other equipment with limited computing power to perform target detection and object size measurement tasks. Full article
(This article belongs to the Section Ocean Engineering)
Show Figures

Figure 1

23 pages, 3467 KB  
Article
YOLO-LDFI: A Lightweight Deformable Feature-Integrated Detector for SAR Ship Detection
by Wendong Bao, Shuoying Chen, Jiansen Zhao and Xinyue Lin
J. Mar. Sci. Eng. 2025, 13(9), 1724; https://doi.org/10.3390/jmse13091724 - 6 Sep 2025
Cited by 1 | Viewed by 671
Abstract
A lightweight enhanced detection model named YOLO-LDFI is proposed in this study for ship target detection in SAR images, aiming to improve detection accuracy and deployment efficiency under complex maritime environments. Based on YOLOv11n, the model incorporates four architectural improvements in a progressive [...] Read more.
A lightweight enhanced detection model named YOLO-LDFI is proposed in this study for ship target detection in SAR images, aiming to improve detection accuracy and deployment efficiency under complex maritime environments. Based on YOLOv11n, the model incorporates four architectural improvements in a progressive manner: linear deformable convolution (LDConv), deformable context-aware attention mechanism (DCAM), frequency-adaptive dilated convolution detection head (FAHead), and Inner-EIoU. Experiments conducted on the public SAR ship detection dataset HRSID demonstrate that the proposed model achieves an AP50 of 90.7% and an F1 score of 87.0%, with only 2.63 M parameters and a computational complexity of 6.7 GFLOPs. Ablation experiments validate the contribution of each component to improved feature alignment, reduced background interference, and more accurate target localization. Overall, the results indicate that the proposed model offers a reasonable trade-off between detection performance and computational efficiency in SAR ship detection tasks. Full article
Show Figures

Figure 1

22 pages, 17218 KB  
Article
Exploring Attention Placement in YOLOv5 for Ship Detection in Infrared Maritime Scenes
by Ruian Zhu, Junchao Zhang, Degui Yang, Dongbo Zhao, Jiashu Chen and Zhengliang Zhu
Technologies 2025, 13(9), 391; https://doi.org/10.3390/technologies13090391 - 1 Sep 2025
Viewed by 574
Abstract
With the rapid expansion of global maritime transportation, infrared ship detection has become increasingly critical for ensuring navigational safety, enhancing maritime monitoring, and supporting environmental protection. To address the limitations of conventional methods in handling small-scale targets and complex background interference, in this [...] Read more.
With the rapid expansion of global maritime transportation, infrared ship detection has become increasingly critical for ensuring navigational safety, enhancing maritime monitoring, and supporting environmental protection. To address the limitations of conventional methods in handling small-scale targets and complex background interference, in this paper, we propose an improved approach by embedding the convolutional block attention module (CBAM) into different components of the YOLOv5 architecture. Specifically, three enhanced models are constructed: the YOLOv5n-H (CBAM embedded in the head), the YOLOv5n-N (CBAM embedded in the neck), and the YOLOv5n-HN (CBAM embedded in both the neck and head). The comprehensive experiments are conducted on a publicly available infrared ship dataset to evaluate the impact of attention placement on detection performance. The results demonstrate that the YOLOv5n-HN achieves the best overall performance, attaining the mAP@0.5 of 86.83%, significantly improving the detection of medium- and large-scale maritime targets. The YOLOv5n-N exhibits superior performance for small-scale target detection. Furthermore, the incorporation of the attention mechanism substantially enhances the model’s robustness against background clutter and its discriminative capacity. This work offers practical guidance for the development of lightweight and robust infrared ship detection models. Full article
Show Figures

Figure 1

28 pages, 5782 KB  
Article
Design of a Shipping Container-Based Home: Structural, Thermal, and Acoustic Conditioning
by Javier Pinilla-Melo, Jose Ramón Aira-Zunzunegui, Giuseppe La Ferla, Daniel de la Prida and María Ángeles Navacerrada
Buildings 2025, 15(17), 3127; https://doi.org/10.3390/buildings15173127 - 1 Sep 2025
Viewed by 2336
Abstract
The construction of buildings using shipping containers (SCs) is a way to extend their useful life. They are constructed by modifying the structure, thermal, and acoustic conditioning by improving the envelope and creating openings for lighting and ventilation purposes. This study explores the [...] Read more.
The construction of buildings using shipping containers (SCs) is a way to extend their useful life. They are constructed by modifying the structure, thermal, and acoustic conditioning by improving the envelope and creating openings for lighting and ventilation purposes. This study explores the architectural adaptation of SCs to sustainable residential housing, focusing on structural, thermal, and acoustic performance. The project centers on a case study in Madrid, Spain, transforming four containers into a semi-detached, multilevel dwelling. The design emphasizes modular coordination, spatial flexibility, and structural reinforcement. The retrofit process includes the integration of thermal insulation systems in the ventilated façades and sandwich roof panels to counteract steel’s high thermal conductivity, enhancing energy efficiency. The acoustic performance of the container-based dwelling was assessed through in situ measurements of façade airborne sound insulation and floor impact noisedemonstrating compliance with building code requirements by means of laminated glazing, sealed joints, and floating floors. This represents a novel contribution, given the scarcity of experimental acoustic data for residential buildings made from shipping containers. Results confirm that despite the structure’s low surface mass, appropriate design strategies can achieve the required sound insulation levels, supporting the viability of this lightweight modular construction system. Structural calculations verify the building’s load-bearing capacity post-modification. Overall, the findings support container architecture as a viable and eco-efficient alternative to conventional construction, while highlighting critical design considerations such as thermal performance, sound attenuation, and load redistribution. The results offer valuable data for designers working with container-based systems and contribute to a strategic methodology for the sustainable refurbishment of modular housing. Full article
Show Figures

Figure 1

Back to TopTop