Sign in to use this feature.

Years

Between: -

Subjects

remove_circle_outline
remove_circle_outline
remove_circle_outline
remove_circle_outline
remove_circle_outline
remove_circle_outline
remove_circle_outline

Journals

Article Types

Countries / Regions

remove_circle_outline
remove_circle_outline
remove_circle_outline
remove_circle_outline

Search Results (155)

Search Parameters:
Keywords = azoospermia

Order results
Result details
Results per page
Select all
Export citation of selected articles as:
22 pages, 13863 KB  
Article
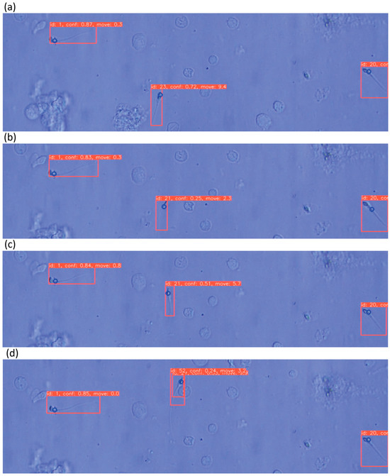
AI-Based Augmented Reality Microscope for Real-Time Sperm Detection and Tracking in Micro-TESE
by Mahmoud Mohamed, Ezaki Yuriko, Yuta Kawagoe, Kazuhiro Kawamura and Masashi Ikeuchi
Bioengineering 2026, 13(1), 102; https://doi.org/10.3390/bioengineering13010102 - 15 Jan 2026
Viewed by 189
Abstract
Non-obstructive azoospermia (NOA) is a severe male infertility condition characterized by extremely low or absent sperm production. In microdissection testicular sperm extraction (Micro-TESE) procedures for NOA, embryologists must manually search through testicular tissue under a microscope for rare sperm, a process that can [...] Read more.
Non-obstructive azoospermia (NOA) is a severe male infertility condition characterized by extremely low or absent sperm production. In microdissection testicular sperm extraction (Micro-TESE) procedures for NOA, embryologists must manually search through testicular tissue under a microscope for rare sperm, a process that can take 1.8–7.5 h and impose significant fatigue and burden. This paper presents an augmented reality (AR) microscope system with AI-based image analysis to accelerate sperm retrieval in Micro-TESE. The proposed system integrates a deep learning model (YOLOv5) for real-time sperm detection in microscope images, a multi-object tracker (DeepSORT) for continuous sperm tracking, and a velocity calculation module for sperm motility analysis. Detected sperm positions and motility metrics are overlaid in the microscope’s eyepiece view via a microdisplay, providing immediate visual guidance to the embryologist. In experiments on seminiferous tubule sample images, the YOLOv5 model achieved a precision of 0.81 and recall of 0.52, outperforming previous classical methods in accuracy and speed. The AR interface allowed an operator to find sperm faster, roughly doubling the sperm detection rate (66.9% vs. 30.8%). These results demonstrate that the AR microscope system can significantly aid embryologists by highlighting sperm in real time and potentially shorten Micro-TESE procedure times. This application of AR and AI in sperm retrieval shows promise for improving outcomes in assisted reproductive technology. Full article
(This article belongs to the Special Issue Artificial Intelligence-Based Medical Imaging Processing)
Show Figures

Graphical abstract

21 pages, 560 KB  
Review
Male Infertility: A Comprehensive Review of Urological Causes and Contemporary Management
by Biagio Barone, Ugo Amicuzi, Simone Tammaro, Michelangelo Olivetta, Marco Stizzo, Michele Musone, Luigi Napolitano, Luigi De Luca, Pasquale Reccia, Federico Capone, Arturo Lecce, Giovanni Pagano, Silvestro Imperatore, Stefano Chianese, Salvatore Papi, Giampiero Della Rosa, Fabrizio Dinacci, Mariano Coppola, Antonio Madonna, Marco Grillo, Dante Di Domenico, Francesco Del Giudice, Vincenzo Francesco Caputo, Dario Del Biondo, Roberto Falabella and Felice Crocettoadd Show full author list remove Hide full author list
J. Clin. Med. 2026, 15(1), 397; https://doi.org/10.3390/jcm15010397 - 5 Jan 2026
Viewed by 566
Abstract
Male infertility is a prevalent global health issue, with urological disorders representing some of the most common and correctable causes. Key conditions such as varicocele, obstructive azoospermia, erectile dysfunction and Peyronie’s disease impair fertility through distinct pathophysiological mechanisms, including disrupted spermatogenesis, reproductive tract [...] Read more.
Male infertility is a prevalent global health issue, with urological disorders representing some of the most common and correctable causes. Key conditions such as varicocele, obstructive azoospermia, erectile dysfunction and Peyronie’s disease impair fertility through distinct pathophysiological mechanisms, including disrupted spermatogenesis, reproductive tract obstruction and failed sperm delivery. The effective management of these conditions hinges on a systematic diagnostic evaluation, which integrates clinical history, physical examination, semen analysis and specialized imaging. Modern management follows a logical progression, beginning with foundational lifestyle modifications, advancing to targeted medical or surgical interventions, and culminating, when necessary, in assisted reproductive technologies. Treatment strategies are therefore highly targeted, ranging from medical management and surgical correction—such as varicocelectomy or microsurgical reconstruction—to sperm retrieval techniques. Furthermore, evidence-based lifestyle modifications and a multidisciplinary clinical approach are fundamental to optimizing reproductive outcomes for affected couples. A comprehensive understanding of these urological etiologies is therefore essential for guiding appropriate intervention and improving the prospects of achieving pregnancy. Full article
(This article belongs to the Special Issue Latest Research on Male Infertility)
Show Figures

Figure 1

14 pages, 1016 KB  
Review
Anti-Müllerian Hormone as a Biomarker for Predicting Testicular Sperm Extraction Outcomes in Azoospermic Patients: A Comprehensive Systematic Review and Meta-Analysis
by Dragoș Puia, Marius Ivănuță, Mihaela Corlade-Andrei, Ovidiu Daniel Bîcă, Bogdan Doroftei and Cătălin Pricop
Int. J. Mol. Sci. 2025, 26(23), 11643; https://doi.org/10.3390/ijms262311643 - 1 Dec 2025
Viewed by 578
Abstract
Male infertility represents a major clinical and societal issue, with azoospermia being one of its most severe forms. Anti-Müllerian Hormone (AMH) has been proposed as a potential biomarker for predicting testicular sperm extraction (TESE) outcomes in men with non-obstructive azoospermia (NOA). This study [...] Read more.
Male infertility represents a major clinical and societal issue, with azoospermia being one of its most severe forms. Anti-Müllerian Hormone (AMH) has been proposed as a potential biomarker for predicting testicular sperm extraction (TESE) outcomes in men with non-obstructive azoospermia (NOA). This study aimed to systematically evaluate the association between AMH levels and sperm retrieval success. We included studies on men with NOA reporting TESE outcomes by AMH level, excluding those without full text or with insufficient data. When cohorts overlapped, the most complete study was used, following PICO criteria focused on AMH measurements and sperm retrieval rates (SRR). A comprehensive search identified 133 potentially relevant publications. Of these, 11 studies published between 2006 and 2023, including 1280 patients, met the inclusion criteria. Pooled analyses were performed using random-effects models. This meta-analysis was recorded in the PROSPERO database (registration ID: CRD420251065256). Reported SRRs ranged from 30.35% to 76.27%. Meta-analysis of nine studies assessing serum AMH concentrations revealed significant heterogeneity (I2 = 88%). Elevated serum AMH was negatively associated with SRR (standardized mean difference [SMD] = −2.58; 95% CI: −4.73 to −0.44; p < 0.00001). In contrast, seminal plasma AMH levels (two studies) showed no significant association with SRR (I2 = 82%). Similarly, preoperative FSH levels (nine studies) did not demonstrate a consistent association with SRR, despite higher mean concentrations in patients with successful TESE (p = 0.02; SMD = −4.86; 95% CI: −9.07 to −0.66). Serum AMH levels are significantly associated with TESE outcomes in men with NOA. However, the predictive value of AMH and other hormonal markers is limited by high inter-individual variability and overlapping values between successful and unsuccessful cases. These findings underscore the complexity of NOA and highlight the need to interpret hormonal markers within a broader clinical and biochemical context. Full article
(This article belongs to the Section Molecular Endocrinology and Metabolism)
Show Figures

Figure 1

12 pages, 1543 KB  
Article
Natural Reproductive Management in Sarda Sheep: Use of Cryptorchids to Induce a Ram-Effect in Ewes Destined for Artificial Insemination
by Charbel Nassif, Laura Mara, Fabrizio Chessa, Marilia Gallus, Federico Melis, Ignazio Cossu, Antonello Ledda, Antonello Cannas and Maria Dattena
Animals 2025, 15(23), 3444; https://doi.org/10.3390/ani15233444 - 28 Nov 2025
Viewed by 336
Abstract
Cryptorchidism is a genital defect in which ram testicles fail to descend, causing azoospermia, while maintaining normal behavior towards females. We investigated whether cryptorchid rams can induce a ram-effect in ewes that would then be subjected to artificial insemination (AI). Therefore, ewes were [...] Read more.
Cryptorchidism is a genital defect in which ram testicles fail to descend, causing azoospermia, while maintaining normal behavior towards females. We investigated whether cryptorchid rams can induce a ram-effect in ewes that would then be subjected to artificial insemination (AI). Therefore, ewes were isolated from any contact with rams for 6 weeks, then exposed to cryptorchid rams for 14 days. From day 15 to day 24, estrus was checked using a cryptorchid teaser four times daily (at 08:00, 12:00, 16:00, 20:00). Ewes detected in estrus were inseminated 24 h later. Experiment 1 included ewes (n = 31) all exposed to the cryptorchid ram-effect (CRE): 70.9% showed estrus, lambing rate after AI was 45.5%, and prolificacy was 1.40. Experiment 2 compared CRE (n = 80) with a control group with no prior exposure to males (n = 39). Estrus occurrence differed significantly (75.0% vs. 23.1%, respectively, p ≤ 0.001). Lambing rate from AI was 44.1% and prolificacy 1.27. These results show that cryptorchid rams effectively induce and synchronize estrus in Sarda ewes. AI fertility results on natural estrus following CRE yields outcomes comparable to those previously reported after hormonal synchronization for this breed. Full article
(This article belongs to the Special Issue Recent Advances in Reproductive Biotechnologies—Second Edition)
Show Figures

Figure 1

60 pages, 604 KB  
Review
Sperm-Derived Extracellular Vesicles (Sperm-EVs), Emerging Biomarkers and Functional Modulators in Male Infertility and Assisted Reproduction
by Charalampos Voros, Fotios Chatzinikolaou, Georgios Papadimas, Spyridon Polykalas, Despoina Mavrogianni, Aristotelis-Marios Koulakmanidis, Diamantis Athanasiou, Vasiliki Kanaka, Maria Kanaka, Kyriakos Bananis, Antonia Athanasiou, Aikaterini Athanasiou, Ioannis Papapanagiotou, Dimitrios Vaitsis, Charalampos Tsimpoukelis, Maria Anastasia Daskalaki, Marianna Theodora, Nikolaos Thomakos, Panagiotis Antsaklis, Dimitrios Loutradis and Georgios Daskalakisadd Show full author list remove Hide full author list
Genes 2025, 16(12), 1400; https://doi.org/10.3390/genes16121400 - 22 Nov 2025
Viewed by 1542
Abstract
Background/Objectives: Approximately 50% of infertility cases are attributable to male factors; yet conventional semen examination can not identify the molecular abnormalities that hinder sperm functionality. Extracellular vesicles (EVs) derived from sperm, such as testicular EVs, prostasomes, and epididymosomes, have become important modulators of [...] Read more.
Background/Objectives: Approximately 50% of infertility cases are attributable to male factors; yet conventional semen examination can not identify the molecular abnormalities that hinder sperm functionality. Extracellular vesicles (EVs) derived from sperm, such as testicular EVs, prostasomes, and epididymosomes, have become important modulators of oocyte activation, sperm maturation, capacitation, acrosome stability, motility, and early embryonic development. This study aimed to evaluate the potential diagnostic and translational uses of sperm-associated extracellular vesicles (EVs) in male infertility and assisted reproduction, while also consolidating recent insights on their origins, composition, and functional significance. Methods: A focused narrative search of PubMed (2000–2025) was conducted using backward and forward citation tracking. Studies that qualified included human clinical cohorts, functional sperm extracellular vesicle tests, and omics analyses using MISEV-aligned extracellular vesicle isolation and characterisation methodologies. When human mechanistic understanding was constrained, knowledge from animal research was selectively integrated. Results: The cargo signatures specific to the source identified in sperm-derived and seminal EVs encompass proteins, small RNAs, lipids, and enzymatic modules that govern sperm maturation, capacitation, acrosome reaction, redox balance, calcium signalling, zona binding, and DNA integrity. Density-resolved seminal extracellular vesicle subfractions (EV-H/EV-M/EV-L) have unique functional and proteomic characteristics linked to progesterone-induced hyperactivation, oxidative stress, and motility. Asthenozoospermia and oligoasthenoteratozoospermia are associated with changes in extracellular vesicle composition, reduced embryonic developmental potential, compromised oocyte activation (related to PLCζ), and increased sperm DNA fragmentation. Numerous EV-related miRNA and protein signatures may predict TESE results, identify functional sperm anomalies not recognised by conventional semen analysis, and differentiate between obstructive and non-obstructive azoospermia. Conclusions: The available findings indicate that sperm-derived extracellular vesicles are significant functional regulators of sperm physiology and may serve as valuable non-invasive indicators for male infertility. The standardisation of EV isolation, characterisation, and clinical validation is essential prior to widespread use; nonetheless, their integration into liquid biopsy methods and assisted reproductive technology processes represents a significant improvement. Full article
(This article belongs to the Section Human Genomics and Genetic Diseases)
19 pages, 574 KB  
Review
Bridging Andrology and Oncology: Prognostic Indicators of Cancer Among Infertile Men
by Athanasios Zachariou, Efthalia Moustakli, Athanasios Zikopoulos, Maria Filiponi, Anastasios Potiris, Nikolaos Kathopoulis, Themos Grigoriadis, Maria Tzeli, Nikolaos Machairiotis, Ekaterini Domali, Nikolaos Thomakos and Sofoklis Stavros
Curr. Issues Mol. Biol. 2025, 47(11), 930; https://doi.org/10.3390/cimb47110930 - 8 Nov 2025
Viewed by 873
Abstract
Approximately 7% of males globally suffer from male infertility, which is becoming more widely acknowledged as a clinical indicator of potential health hazards as well as a cause of reproductive failure. Among these, cancer has become a significant worry due to mounting evidence [...] Read more.
Approximately 7% of males globally suffer from male infertility, which is becoming more widely acknowledged as a clinical indicator of potential health hazards as well as a cause of reproductive failure. Among these, cancer has become a significant worry due to mounting evidence that spermatogenesis impairment is associated with increased risk of prostate, testicular, and other cancers. Male infertility may be an early clinical manifestation of systemic genomic instability due to shared biological pathways, such as Y-chromosome microdeletions (AZF regions), germline DNA repair defects, mutations in tumor suppressor genes (e.g., BRCA1/2, TP53), mismatch repair gene mutations (e.g., MLH1, MSH2), and dysregulated epigenetic profiles. This narrative review covers the most recent research on prognostic markers of cancer in infertile men. These include molecular biomarkers such as genetic, epigenetic, and proteomic signatures; endocrine and hormonal profiles; and clinical predictors such as azoospermia, severe oligozoospermia, and a history of cryptorchidism. The possibility of incorporating these indicators into risk stratification models for precision medicine and early cancer surveillance is highlighted. For this high-risk group, bridging the domains of andrology and oncology may allow for better counseling, earlier detection, and focused therapies. Full article
Show Figures

Graphical abstract

11 pages, 1259 KB  
Article
Is the TEX11-.652del237bp Exonic In-Frame Deletion Variant Associated with Azoospermia? The Results of an In Vitro and In Silico Study
by Morgane Le Beulze, Dorothée Poidatz, Marie Francisco, François-Xavier Madec, Pierre-Henri Benetti, Gabriel Livera and François Vialard
Genes 2025, 16(11), 1270; https://doi.org/10.3390/genes16111270 - 28 Oct 2025
Viewed by 612
Abstract
Background: In 2015, it was discovered that mutations in the TEX11 gene are associated with azoospermia in general and meiotic maturation arrest in particular. TEX11 is a component of the ZZS complex (comprising Zip2-, Zip4- and Spo16 and originally described in Saccharomyces cerevisiae [...] Read more.
Background: In 2015, it was discovered that mutations in the TEX11 gene are associated with azoospermia in general and meiotic maturation arrest in particular. TEX11 is a component of the ZZS complex (comprising Zip2-, Zip4- and Spo16 and originally described in Saccharomyces cerevisiae). During meiosis, this complex is required for the promotion of double-strand break (DSB) repair and thus the maintenance of genomic integrity. Since the initial discovery, several variants and deletions in TEX11 have been reported in patients with spermatogenesis defects. However, many of these new variants have not been functionally validated, which makes it difficult to confirm their direct impact on meiosis. The exonic in-frame deletion TEX11-c.652del237bp has been recurrently identified in infertile men. However, mice models carrying this deletion remain fertile—suggesting that these models may not faithfully replicate human meiotic phenotypes. To address this discrepancy, we functionally validated the TEX11-c.652del237bp variant in vitro. Methods: After amplification in Escherichia Coli DH5α, the pIRES2-EGFP plasmid containing either the wild-type TEX11 sequence or the TEX11-c.652del237bp sequence was transfected into the HEK293 human embryonic kidney cell line. qPCR and Western blot analyses were then used to evaluate the presence and expression levels of TEX11 mRNA and TEX11 protein. Results: The qPCR and Western blot analyses showed that truncated mRNA and protein were produced in cells transfected with the c.652del237bp variant. Hence, the deletion probably leads to the transcription and translation of TEX11 in human testis. Furthermore, in silico modeling suggested that the deletion does not have a significant impact on the ZZS complex. Conclusions: Our in vitro and in silico data demonstrate that the c.652del237bp in-frame deletion results in a truncated TEX11 protein and thus question the deletion’s pathogenic role in human meiosis. However, the absence of a meiotic phenotype in the corresponding mouse model is suggestive of species-specific differences in TEX11 endogenous function. Further studies (such as co-immunoprecipitation experiments with other ZZS complex proteins) are needed to fully assess the functional impact of TEX11-c.652del237bp. These experiments might also provide novel insights into the specific role of the TEX11 SPO22 domain in human spermatogenesis. Full article
(This article belongs to the Section Genetic Diagnosis)
Show Figures

Figure 1

20 pages, 1024 KB  
Review
Chromosomal Roadblocks in Male Fertility: Mechanisms, Risk Factors and Syndromes
by Achilleas G. Mitrakas, Christina-Angelika Alexiadi, Sofia Gargani, Triantafyllos Alexiadis, Sofia-Panagiota Alexopoulou, Olga Pagonopoulou and Maria Lambropoulou
Medicina 2025, 61(10), 1864; https://doi.org/10.3390/medicina61101864 - 16 Oct 2025
Cited by 1 | Viewed by 2244
Abstract
Male infertility affects nearly 15% of couples worldwide, with chromosomal abnormalities representing a major underlying cause. This review explores how numerical and structural chromosomal anomalies, along with environmental exposures, lifestyle factors, and age-related genetic changes, disrupt spermatogenesis and contribute to infertility. It synthesizes [...] Read more.
Male infertility affects nearly 15% of couples worldwide, with chromosomal abnormalities representing a major underlying cause. This review explores how numerical and structural chromosomal anomalies, along with environmental exposures, lifestyle factors, and age-related genetic changes, disrupt spermatogenesis and contribute to infertility. It synthesizes findings from cytogenetic, molecular, and clinical studies, with particular focus on mechanisms such as meiotic nondisjunction, spindle assembly checkpoint dysfunction, and alterations in cohesin and synaptonemal complex proteins. Chromosomal abnormalities, both numerical and structural, emerge as key contributors to male infertility by impairing chromosomal segregation and recombination, often leading to azoospermia or oligospermia. Meiotic checkpoint failures and recombination errors further exacerbate the production of aneuploid sperm. Environmental toxins, oxidative stress, and poor nutrition disrupt hormonal balance and chromatin integrity, while advancing paternal age is associated with increased sperm aneuploidy and impaired meiotic control, with implications for assisted reproduction. Specific syndromes, including AZF deletions, Kallmann syndrome, and 46,XX testicular DSD, exemplify the direct genetic impact on male fertility. Overall, chromosomal abnormalities are central to the pathophysiology of male infertility, arising from intrinsic meiotic errors as well as extrinsic environmental and lifestyle factors. Integrating cytogenetic diagnostics, genetic counseling, and lifestyle interventions is essential for comprehensive fertility assessment and management. Further research into molecular biomarkers and targeted therapies could enhance diagnosis, improve treatment strategies, and lead to better reproductive outcomes. Full article
(This article belongs to the Special Issue From Conception to Birth: Embryonic Development and Disease)
Show Figures

Figure 1

11 pages, 865 KB  
Article
Semen Quality in Rams Is Severely but Temporarily Affected by Bluetongue Virus Serotype 3 Infection
by Ludovic Martinelle, Sophie Egyptien, Lola Dechene, Marielle Somville, Frédéric Derkenne and Stéfan Deleuze
Viruses 2025, 17(10), 1371; https://doi.org/10.3390/v17101371 - 13 Oct 2025
Viewed by 2311
Abstract
Bluetongue virus serotype 3 (BTV-3) emerged in northwestern Europe in 2023–2024, raising concerns about its potential reproductive impact on rams, similar to previous outbreaks with BTV-8. This study assessed the effect of natural BTV-3 infection on the semen quality of 49 rams in [...] Read more.
Bluetongue virus serotype 3 (BTV-3) emerged in northwestern Europe in 2023–2024, raising concerns about its potential reproductive impact on rams, similar to previous outbreaks with BTV-8. This study assessed the effect of natural BTV-3 infection on the semen quality of 49 rams in Belgium using two cross-sectional sampling sessions during the 2024 outbreak. Semen and blood were tested for BTV RNA via RT-qPCR, and a composite semen quality score (SQS) was established based on key sperm parameters. On the first sampling date, 75% of rams were viremic, and 19% presented azoospermia. Rams with BTV RNA detectable in both semen and blood had significantly lower SQS and sperm concentrations than those with viral RNA in blood only or none at all. By the second sampling, 53 days later, semen quality had improved markedly, indicating a transient effect of infection. These findings confirm that BTV-3 can severely but temporarily impair ram fertility, particularly when viral replication occurs in the reproductive tract. Given the seasonal overlap between vector activity and breeding programs, these results underscore the importance of integrating reproductive health monitoring into outbreak response strategies. Full article
Show Figures

Figure 1

26 pages, 7513 KB  
Review
Advances in the Diagnosis of Reproductive Disorders in Male Camelids
by Abdelmalek Sghiri, Muhammad Salman Waqas, Michela Ciccarelli, Abelhaq Anouassi and Ahmed Tibary
Animals 2025, 15(19), 2931; https://doi.org/10.3390/ani15192931 - 9 Oct 2025
Viewed by 1239
Abstract
Male fertility is important to ensure herd health and productivity. The camelid male breeding soundness examination (BSE) is strongly recommended because natural mating remains the primary breeding method due to the challenges in semen cryopreservation and artificial insemination. Guidelines for the BSE have [...] Read more.
Male fertility is important to ensure herd health and productivity. The camelid male breeding soundness examination (BSE) is strongly recommended because natural mating remains the primary breeding method due to the challenges in semen cryopreservation and artificial insemination. Guidelines for the BSE have been proposed but not adopted in practice. The investigation of male reproductive failure includes history, general health examination, examination of the genitalia, semen evaluation, and testing for contagious diseases. Difficulties in ejaculate collection and semen viscosity are challenges in camelid male fertility investigation. This review summarizes the outcomes of BSE in our practice on South American camelids (SACs) and camels. The results and discussion are presented under four main categories: congenital defects, impotentia coeundi, impotentia generandi, and male reproductive emergencies. There is a difference between camels and SACs in the incidence of various disorders. Congenital defects are common in SACs in particular cryptorchidism, testicular hypoplasia and rete testis cysts. Orchitis is more common in camels, particularly in areas where brucellosis is prevalent. Testicular degeneration occurs in all camelids and has been associated with heat stress, aging, systemic diseases and overuse of anabolic steroids. Precise diagnosis of fertility impairment may require disease testing, testicular biopsy, cytogenetics and endocrine evaluation. A significant proportion of males are referred because of reproductive emergencies, due to poor management, which results in loss of genetic potential. Implementation of regular BSE is possible in SACs but can be difficult in dromedaries because of the large variation in breed characteristics and management systems. Full article
(This article belongs to the Special Issue Advances in Camelid Reproduction)
Show Figures

Figure 1

23 pages, 2029 KB  
Review
Cystic Fibrosis and Male Infertility: From Genetics to Future Perspectives in Assisted Reproductive Technologies
by Aris Kaltsas
Genes 2025, 16(9), 994; https://doi.org/10.3390/genes16090994 - 25 Aug 2025
Cited by 3 | Viewed by 3859
Abstract
Background/Objectives: Male infertility is a prevalent and often underrecognized manifestation of cystic fibrosis (CF), primarily caused by congenital bilateral absence of the vas deferens (CBAVD) due to CFTR gene mutations. With improved life expectancy in CF patients, reproductive counseling and fertility management [...] Read more.
Background/Objectives: Male infertility is a prevalent and often underrecognized manifestation of cystic fibrosis (CF), primarily caused by congenital bilateral absence of the vas deferens (CBAVD) due to CFTR gene mutations. With improved life expectancy in CF patients, reproductive counseling and fertility management have gained clinical relevance. Methods: This narrative review synthesizes current evidence on the genetic underpinnings, diagnostic evaluation, and reproductive management of male infertility in CF and CFTR-related disorders. It also highlights recent advances in assisted reproductive technologies (ART), the role of CFTR modulators, and emerging molecular research. Results: Most men with CF or CBAVD have intact spermatogenesis but present with obstructive azoospermia. Diagnosis relies on clinical examination, semen analysis, genetic testing, and imaging. Sperm retrieval combined with in vitro fertilization (IVF) and intracytoplasmic sperm injection (ICSI) achieves high success rates. Genetic counseling is essential to assess reproductive risks and guide partner screening. New therapies—particularly CFTR modulators—have improved systemic health and fertility potential. Future directions include gene therapy, microfluidics-based sperm selection, and personalized molecular strategies. Conclusions: Male infertility in CF represents a treatable consequence of a systemic disease. Advances in reproductive medicine and precision genetics now offer affected men viable paths to biological parenthood while also emphasizing the broader health implications of male infertility. Full article
(This article belongs to the Section Human Genomics and Genetic Diseases)
Show Figures

Figure 1

22 pages, 2225 KB  
Case Report
Comprehensive Fertility Management After Pituitary Adenoma Surgery: Lessons from a Rural Japanese Case and Practical Review
by Daisuke Numahata, Kosuke Kojo, San-e Ishikawa, Takumi Kuramae, Ayumi Nakazono, Kaoru Yanagida, Hiroyuki Nishiyama and Tatsuya Takayama
Reports 2025, 8(3), 144; https://doi.org/10.3390/reports8030144 - 15 Aug 2025
Viewed by 2248
Abstract
Background and Clinical Significance: Pituitary adenomas, also termed pituitary neuroendocrine tumors, pose a significant risk of hypogonadotropic hypogonadism (HH) after surgical resection, with profound consequences for fertility and sexual function in young patients. Case Presentation: We present the case of a 29-year-old man [...] Read more.
Background and Clinical Significance: Pituitary adenomas, also termed pituitary neuroendocrine tumors, pose a significant risk of hypogonadotropic hypogonadism (HH) after surgical resection, with profound consequences for fertility and sexual function in young patients. Case Presentation: We present the case of a 29-year-old man from rural Japan who developed severe HH and azoospermia following two transsphenoidal resections for a large pituitary adenoma. Despite early engagement with neurosurgery teams, fertility management was delayed by the absence of on-site endocrinology expertise and limited local oncofertility resources. After comprehensive endocrine evaluation and counseling, the patient began combined human chorionic gonadotropin and recombinant follicle-stimulating hormone therapy, resulting in full recovery of sexual function and normalization of semen parameters, ultimately leading to spontaneous conception and the birth of a healthy child. Building on this real-world case, we provide a narrative review of current practical management strategies for HH after pituitary surgery, including the utility of hormone-stimulation tests, Japanese guideline-based subsidy systems, and best-practice approaches to hormonal replacement. Conclusions: This case underscores not only the necessity for early, interdisciplinary collaboration and preoperative counseling but also highlights a rare instance in which a patient with a benign tumor received care that did not address his fertility-related needs, emphasizing that such considerations should be integrated into preoperative counseling even for non-malignant conditions. Strengthening regional oncofertility networks and improving healthcare providers’ awareness of fertility-preservation options remain essential for improving outcomes. Full article
(This article belongs to the Section Oncology)
Show Figures

Figure 1

15 pages, 701 KB  
Article
Fertility Preservation in Pediatric Oncology: A 10-Year Single-Center Experience in Northern Spain
by Anabel Carmona-Nunez, Maria Begoña Prieto Molano, Alba Gonzalez Lopez, Itziar Astigarraga and Ricardo Lopez-Almaraz
J. Clin. Med. 2025, 14(16), 5762; https://doi.org/10.3390/jcm14165762 - 14 Aug 2025
Viewed by 874
Abstract
Background/Objectives: The aim of this study is to describe fertility preservation (FP) techniques performed over the last 10 years at a tertiary hospital in northern Spain in patients under 18 diagnosed with cancer. Methods: A retrospective medical record review was conducted [...] Read more.
Background/Objectives: The aim of this study is to describe fertility preservation (FP) techniques performed over the last 10 years at a tertiary hospital in northern Spain in patients under 18 diagnosed with cancer. Methods: A retrospective medical record review was conducted for patients aged 0 to 18 years diagnosed between January 2014 and December 2023 in the Pediatric Oncology Unit at a university hospital. We evaluated patient characteristics, the timing of FP procedures, and potential risk factors for ovarian insufficiency and early azoospermia. Additionally, we assessed the agreement between two gonadotoxicity risk classifications. Results: In our center, FP is more frequently offered to pubertal patients (12 to 16 years old), prior to treatment in those at high risk of subsequent gonadotoxicity (>80%), and after treatment in those at low risk (<20%). Additionally, the increased provision of FP over the last five years of the study suggests improved clinician uptake of this long-term effect of cancer treatment. Our study found weak agreement between available gonadotoxicity risk classifications, complicating the identification of FP candidates. Long-term follow-up of survivors allowed for the detection of ovarian insufficiency (1.2%) and early azoospermia (0.7%), enabling hormone replacement therapy when necessary. Hematopoietic stem cell transplantation (HSCT) emerged as a predictor of early infertility. Conclusions: Our study highlights the prevalence of gonadotoxicity in pediatric cancer patients at our center and the increasing access to FP techniques. The findings emphasize the importance of personalized medicine, tailored FP strategies based on individual risk, and long-term follow-up to assess fertility status. Full article
(This article belongs to the Section Oncology)
Show Figures

Figure 1

16 pages, 3565 KB  
Article
Non-Obstructive Azoospermia: Influence of PRP on Proliferation, Apoptosis, and Growth Factors of Male Germ Cells
by Grigory Demyashkin, Vladimir Shchekin, Maya Epifanova, Tatyana Borovaya, Matvey Vadyukhin, Konstantin Gotovtsev, Petr Shegay and Andrey Kaprin
Medicina 2025, 61(8), 1450; https://doi.org/10.3390/medicina61081450 - 12 Aug 2025
Viewed by 3627
Abstract
Background and Objectives: Currently, infertility is one of the major problems affecting up to 12% of couples worldwide, with more than a quarter of cases being male-related. It is assumed that Leukocyte-poor platelet-rich plasma (LP-PRP) can improve the function of germ cells and [...] Read more.
Background and Objectives: Currently, infertility is one of the major problems affecting up to 12% of couples worldwide, with more than a quarter of cases being male-related. It is assumed that Leukocyte-poor platelet-rich plasma (LP-PRP) can improve the function of germ cells and serve as a regenerative substrate as a source of biologically active substances that play an important role in the process of spermatogenesis in infertile men. We aimed to evaluate the proliferation, apoptosis, and growth factors of germ cells after the administration of LP-PRP in patients with non-obstructive azoospermia. Materials and Methods: The study used archival material (paraffin blocks of testicular biopsies) of patients with non-obstructive azoospermia aged 21–34 years (n = 41; associated diagnosis: varicocele). We confirm that no interventions or biopsies were performed as part of the study itself. They were injected bilaterally into the spermatic cord and in the region of the lower pole of the testis under ultrasound control were injected with PRP once a week for 6 weeks. Biopsies were immunohistochemical reactions with antibodies to Ki-67, Bcl-2, caspase 3 and p53, IGF-1, TGF-β, and VEGF-A. Results: Immunohistochemical study of testicular biopsies after LP-PRP injection revealed an increase in the number of cells stained for proliferation proteins (Ki-67) and anti-apoptosis (Bcl-2), IGF-1, TGF-β, VEGF-A; decrease caspase-3- and p53-positive cells. Conclusions: In LP-PRP, platelet α-granule growth factors, which are key regulators of the cell cycle of germ cells, demonstrate restoration of the proliferative-apoptotic balance, confirmed by the expression levels of Ki-67, Bcl-2, caspase 3, and p53 in patients with non-obstructive azoospermia. In human testicular biopsies, the administration of LP-PRP led to an exponential release of numerous growth factors from platelet α-granules, which, based on their regenerative properties, improved the morphological and immunohistochemical picture of the germinal epithelium in non-obstructive azoospermia. Full article
(This article belongs to the Section Urology & Nephrology)
Show Figures

Figure 1

22 pages, 884 KB  
Article
Mitochondrial Dysregulation in Male Infertility: A Preliminary Study for Infertility-Specific lncRNA Variants
by Georgios Stamatellos, Maria-Anna Kyrgiafini, Aris Kaltsas and Zissis Mamuris
DNA 2025, 5(3), 38; https://doi.org/10.3390/dna5030038 - 5 Aug 2025
Viewed by 2042
Abstract
Background/Objectives: Male infertility is a major health concern with a complex etiopathology, yet a substantial proportion of cases remain idiopathic. Mitochondrial dysfunction and non-coding RNA (ncRNA) deregulation have both been implicated in impaired spermatogenesis, but their interplay remains poorly understood. This study aimed [...] Read more.
Background/Objectives: Male infertility is a major health concern with a complex etiopathology, yet a substantial proportion of cases remain idiopathic. Mitochondrial dysfunction and non-coding RNA (ncRNA) deregulation have both been implicated in impaired spermatogenesis, but their interplay remains poorly understood. This study aimed to identify infertility-specific variants in ncRNAs that affect mitochondrial dynamics and homeostasis and to explore their roles. Methods: Whole-genome sequencing (WGS) was performed on genomic DNA samples from teratozoospermic, asthenozoospermic, oligozoospermic, and normozoospermic men. Variants uniquely present in infertile individuals and mapped to ncRNAs that affect mitochondrial dynamics were selected and prioritized using bioinformatics tools. An independent transcriptomic validation was conducted using RNA-sequencing data from testicular biopsies of men with non-obstructive azoospermia (NOA) to determine whether the ncRNAs harboring WGS-derived variants were transcriptionally altered. Results: We identified several infertility-specific variants located in lncRNAs known to interact with mitochondrial regulators, including GAS5, HOTAIR, PVT1, MEG3, and CDKN2B-AS1. Transcriptomic analysis confirmed significant deregulation of these lncRNAs in azoospermic testicular samples. Bioinformatic analysis also implicated the disruption of lncRNA–miRNA–mitochondria networks, potentially contributing to mitochondrial membrane potential loss, elevated reactive oxygen species (ROS) production, impaired mitophagy, and germ cell apoptosis. Conclusions: Our integrative genomic and transcriptomic analysis highlights lncRNA–mitochondrial gene interactions as a novel regulatory layer in male infertility, while the identified lncRNAs hold promise as biomarkers and therapeutic targets. However, future functional studies are warranted to elucidate their mechanistic roles and potential for clinical translation in reproductive medicine. Full article
Show Figures

Figure 1

Back to TopTop