Cytotoxic Effects of Bifora testiculata (L.) Spreng. Essential Oil and Its Main Component on Cancer Cell Lines
Abstract
1. Introduction
2. Results and Discussion
2.1. Chemical Composition of Bt
| Taxa | Origin, Parts | Compounds | Ref. |
|---|---|---|---|
| B. radians Bieb. | Turkey, ap | trans-2-tridecenal (47.2), trans-2-tetradecenal (23.4), tridecanal (5.9), trans-2-dodecenal (5.8) | [21] |
| B. radians Bieb. | Cultivated, ap | trans-2-tridecenal (66.4), trans-2-tetradecenal (14.6), trans-2-dodecenal (10.7) | [22] |
| B. radians Bieb. | Turkey, ap | trans-2-tridecenal (52.9), trans-2-tetradecenal (24.6) | [23] |
| B. testiculata (L.) Spreng. | Greece, ap | trans-2-dodecenal (56.3), trans-2-tridecenal (16.1), heptadecanal (14.0), dodecanal (4.0) | [20] |
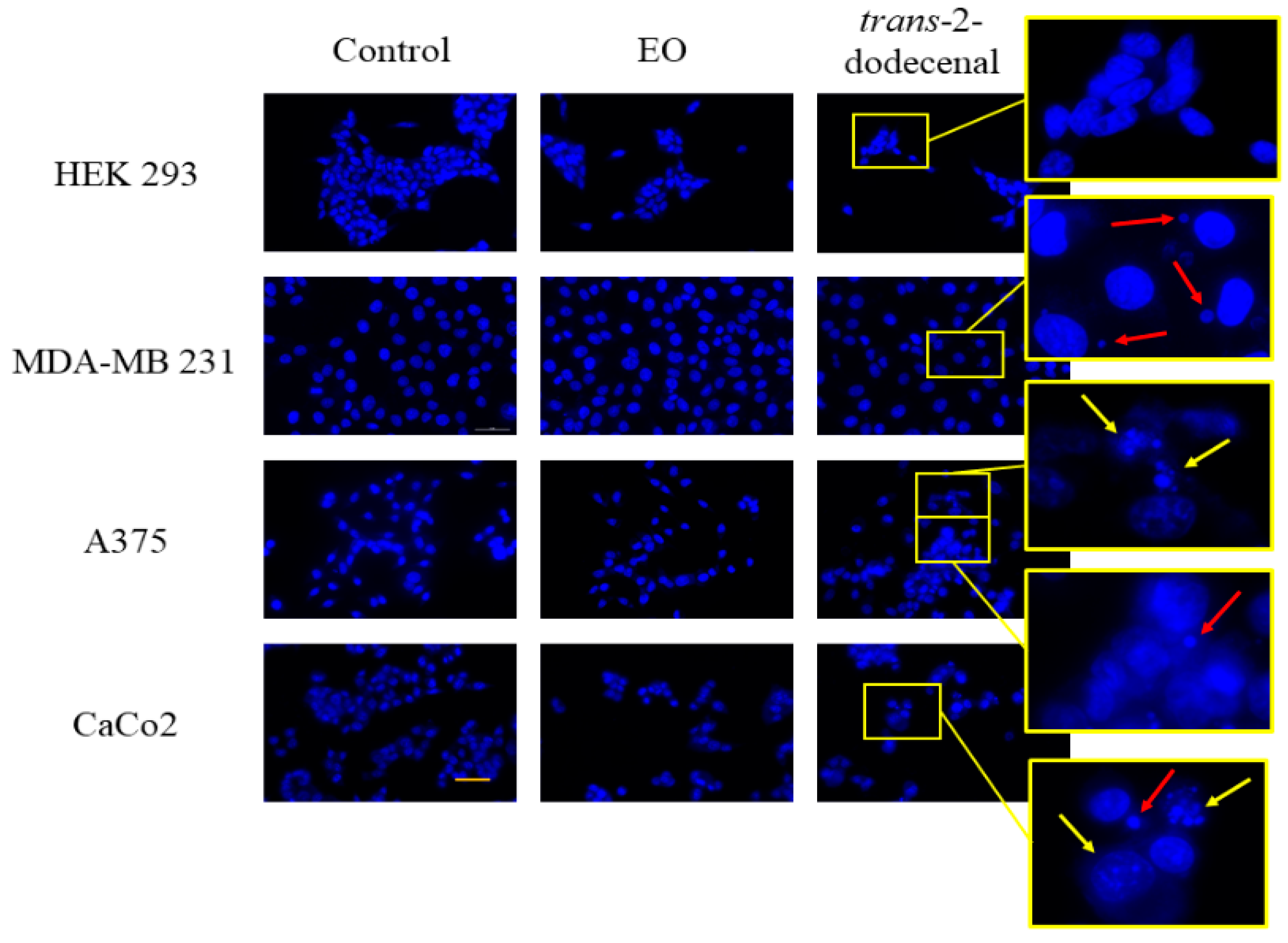
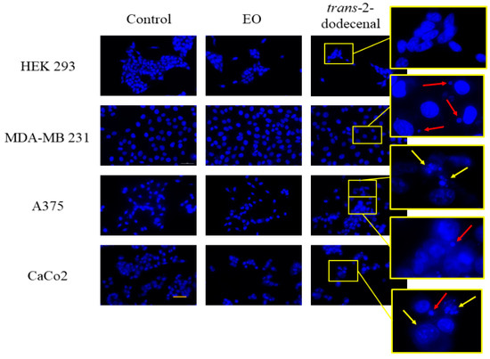
2.2. Effects of Bt on Tumor Cell Viability
3. Materials and Methods
3.1. Plant Materials
3.2. Isolation of EO
3.3. GC-MS Analysis
3.4. Cell Culture
3.5. MTT Assay
3.6. Acridine Orange and Ethidium Bromide Staining
3.7. Hoechst Nuclear Staining
3.8. Statistical Analysis
4. Conclusions
Author Contributions
Funding
Data Availability Statement
Conflicts of Interest
References
- Terentieva, E.I.; Valiejo-Roman, C.M.; Samigullin, T.H.; Pimenov, M.G.; Tilney, P.M. Molecular phylogenetic and morphological analyses of the traditional tribe Coriandreae (Umbelliferae-Apioideae). Phytotaxa 2015, 195, 251–271. [Google Scholar] [CrossRef][Green Version]
- POWO. Plants of the World Online. Available online: https://powo.science.kew.org/taxon/urn:lsid:ipni.org:names:331401-2 (accessed on 25 March 2015).
- Ozdemir, E.; Alpinar, K. The wild edible plants of western Nigde Aladaglar mountains (Central Turkey). J. Pharm. Istanbul Univ. 2010, 41, 66–74. [Google Scholar]
- Baytop, T. Türkiye’de Bitkiler ile Tedavi. Geçmişte ve Bugün, 2nd ed.; Nobel Tıp Kitabevleri: İstanbul, Turkey, 1999; pp. 151–152. [Google Scholar]
- Hedge, I.C.; Lamond, J.M. Bifora Hoffm. In Flora of Turkey and the East Aegean Islands; Davis, P.H., Ed.; Edinburgh University Press: Scotland, UK, 1972; Volume 4, pp. 332–333. [Google Scholar]
- Oran, S.A.; Al-Eisawi, D.M. Medicinal plants in the high mountains of northern Jordan. Int. J. Biodiv. Conserv. 2014, 6, 436–443. [Google Scholar] [CrossRef][Green Version]
- Gökçe, A.; Isaacs, R.; Whalon, M.E. Behavioural response of Colorado potato beetle (Leptinotarsa decemlineata) larvae to selected plant extracts. Pest Manag. Sci. 2006, 62, 1052–1057. [Google Scholar] [CrossRef] [PubMed]
- Alkan, M.; Gökçe, A.; Kara, K. Contact toxicity of six plant extracts to different larval stages of Colorado potato beetle (Leptinotarsa decemlineata Say (col: Chrysomelidae). J. Agric. Sci. 2017, 23, 309–316. [Google Scholar] [CrossRef]
- Gökçe, A.; Stelinski, L.L.; Isaacs, R.; Whalon, M.E. Behavioural and electrophysiological responses of grape berry moth (Lep., Tortricidae) to selected plant extracts. J. Appl. Entomol. 2006, 130, 509–514. [Google Scholar] [CrossRef]
- Gökçe, A.; Isaacs, R.; Whalon, M.E. Ovicidal, larvicidal and anti-ovipositional activities of Bifora radians and other plant extracts on the grape berry moth Paralobesia viteana (Clemens). J. Pest Sci. 2011, 84, 487–493. [Google Scholar] [CrossRef]
- Gökçe, A.; Stelinski, L.L.; Whalon, M.E.; Gut, L.J. toxicity and antifeedant activity of selected plant extracts against larval Obliquebanded Leafroller, Choristoneura rosaceana (Harris). Open Entomol. J. 2009, 3, 30–36. [Google Scholar]
- Köroğlu, A.; Hürkul, M.M.; Özbay, Ö. Antioxidant capacity and total phenol contents of Bifora radians Bieb. Fabad J. Pharm. Sci. 2012, 37, 123–127. [Google Scholar]
- Ozçelik, B.; Kusmenoglu, Ş.; Turkoz, S.; Abbasoglu, U. Antimicrobial activities of plants from the Apicaceae. Pharm. Biol. 2004, 42, 526–528. [Google Scholar] [CrossRef]
- Sampson, B.J.; Tabanca, N.; Kirimer, N.; Demirci, B.; Başer, K.H.C.; Khan, I.A.; Spiers, J.M.; Wedge, D.E. Insecticidal activity of 23 essential oils and their major compounds against adult Lipaphis pseudobrassicae (Davis) (Aphididae: Homoptera). Pest Manag. Sci. 2005, 61, 1122–1128. [Google Scholar] [CrossRef]
- Tutin, T.G.; Heywood, V.H.; Burges, N.A.; Moore, D.M.; Valentine, D.H.; Walters, S.M.; Webb, D.A. Flora Europea; Cambridge University Press: Cambridge, UK, 1981; Volume 2. [Google Scholar]
- Vaglica, A.; Maggio, A.; Badalamenti, N.; Bruno, M.; Lauricella, M.; D’Anneo, A. Seseli bocconei Guss. and S. tortuosum subsp. maritimum Guss. essential oils inhibit colon cancer cell viability. Fitoterapia 2023, 170, 105672. [Google Scholar] [CrossRef]
- Sadeghi, S.; Davoodvandi, A.; Pourhanifeh, M.H.; Sharifi, N.; ArefNezhad, R.; Sahebnasagh, R.; Moghadam, S.A.; Sahebkar, A.; Mirzaei, H. Anti-cancer effects of cinnamon: Insights into its apoptosis effects. Eur. J. Med. Chem. 2019, 178, 131–140. [Google Scholar] [CrossRef] [PubMed]
- Hong, S.-H.; Ismail, I.A.; Kang, S.-M.; Han, D.C.; Kwon, B.-M. Cinnamaldehydes in Cancer Chemotherapy. Phytother Res. 2016, 30, 754–767. [Google Scholar] [CrossRef]
- Venancio, A.N.; Silva, M.J.; Parreira, L.A.; Júlio, A.A.; Souza, G.R.; Conceição Santos, M.F.; Menini, L. Citronellal: A natural aldehyde with important properties. Nat. Prod. Res. 2025, 39, 1199–1212. [Google Scholar] [CrossRef] [PubMed]
- Evergetis, E.; Koulocheri, S.D.; Haroutounian, S.A. Exploitation of Apiaceae Family plants as valuable renewable source of essential oils containing crops for the production of fine chemicals: Part II. Ind. Crops Prod. 2015, 64, 59–67. [Google Scholar] [CrossRef]
- Başer, K.H.C.; Demirçakmak, B.; Ermin, N.; Demirci, F.; Boydag, I. The essential oil of Bifora radians Bieb. J. Essent. Oil Res. 1998, 10, 451–452. [Google Scholar] [CrossRef]
- Latrasse, A.; Sémon, E.; Le Quéré, J.L. Composition and major odorous compounds of the essential oil of Bifora radians, an aldehyde-producing weed. J. High Resol. Chromatogr. 1991, 14, 549–553. [Google Scholar] [CrossRef]
- Özkirim, A.; Keskin, N.; Kürkçüğlu, M.; Başer, K.H.C. Evaluation of some essential oils as alternative antibiotics against American foulbrood agent Paenibacillus larvae on honey bees Apis mellifera L. J. Essent. Oil Res. 2012, 24, 465–470. [Google Scholar] [CrossRef]
- Indrayanto, G.; Putra, G.S.; Suhud, F. Chapter Six—Validation of in-vitro bioassay methods: Application in herbal drug research. In Profiles of Drug Substances, Excipients and Related Methodology; Al-Majed, A.A., Ed.; Academic Press: Cambridge, MA, USA, 2021; Volume 46, pp. 273–307. [Google Scholar] [CrossRef]
- Daniel-Jambun, D.; Dwiyanto, J.; Lim, Y.Y.; Tan, J.B.L.; Muhamad, A.; Yap, S.W.; Lee, S.M. Investigation on the antimicrobial activities of gingers (Etlingera coccinea (Blume) S.Sakai & Nagam and Etlingera sessilanthera R.M.Sm.) endemic to Borneo. J. Appl. Microbiol. 2017, 123, 810–818. [Google Scholar] [CrossRef] [PubMed]
- Kubo, I.; Fujita, K.; Nihei, K.; Kubo, A. Anti-Salmonella activity of (2E)-alkenals. J. Appl. Microbiol. 2004, 96, 693–699. [Google Scholar] [CrossRef] [PubMed]
- Liu, K.; Liu, P.C.; Liu, R.; Wu, X. Dual AO/EB staining to detect apoptosis in osteosarcoma cells compared with flow cytometry. Med. Sci. Monit. Basic Res. 2015, 21, 15–20. [Google Scholar] [CrossRef]
- Krupina, K.; Goginashvili, A.; Cleveland, D.W. Causes and consequences of micronuclei. Curr. Opin. Cell Biol. 2021, 70, 91–99. [Google Scholar] [CrossRef] [PubMed]
- LoPachin, R.M.; Gavin, T. Molecular mechanisms of aldehyde toxicity: A chemical perspective. Chem. Res. Toxicol. 2014, 27, 1081–1091. [Google Scholar] [CrossRef]
- Vijayraghavan, S.; Saini, N. Aldehyde-Associated Mutagenesis—Current State of Knowledge. Chem. Res. Toxicol. 2023, 36, 983–1001. [Google Scholar] [CrossRef]
- Schwöbel, J.A.H.; Koleva, Y.K.; Enoch, S.J.; Bajot, F.; Hewitt, M.; Madden, J.C.; Roberts, D.W.; Schultz, T.W.; Cronin, M.T.D. Measurement and estimation of electrophilic reactivity for predictive toxicology. Chem. Rev. 2011, 111, 2562–2596. [Google Scholar] [CrossRef] [PubMed]
- Xie, M.Z.; Shoulkamy, M.I.; Salem, A.M.H.; Oba, S.; Goda, M.; Nakano, T.; Ide, H. Aldehydes with high and low toxicities inactivate cells by damaging distinct cellular targets. Mutat. Res. 2016, 786, 41–51. [Google Scholar] [CrossRef]
- Esterbauer, H.; Schaur, R.J.; Zollner, H. Chemistry and biochemistry of 4-hydroxynonenal, malonaldehyde and related aldehydes. Free Radic. Biol. Med. 1991, 11, 81–128. [Google Scholar] [CrossRef]
- Stepanenko, A.A.; Dmitrenko, V.V. HEK293 in cell biology and cancer research: Phenotype, karyotype, tumorigenicity, and stress-induced genome-phenotype evolution. Gene. 2015, 569, 182–190. [Google Scholar] [CrossRef]
- Csala, M.; Kardon, T.; Legeza, B.; Lizák, B.; Mandl, J.; Margittai, E.; Puskás, F.; Száraz, P.; Szelényi, P.; Bánhegyi, G. On the role of 4-hydroxynonenal in health and disease. Biochim. Biophys. Acta. 2015, 1852, 826–838. [Google Scholar] [CrossRef] [PubMed]
- European Pharmacopoeia. Determination of Essential Oils in Herbal Drugs; European Pharmacopoeia: Strasbourg, France, 2020; Chapter 2.8.12; p. 307. [Google Scholar]
- Vaglica, A.; Porrello, A.; Badalamenti, N.; Ilardi, V.; Bruno, M. The chemical composition of the aerial parts essential oil of Stachys ocymastrum L. Briq. (Lamiaceae) growing in Sicily (Italy). Nat. Prod. Res. 2024, 39, 195–201. [Google Scholar] [CrossRef] [PubMed]
- Arunachalam, K.; Sreeja, P.S. MTT Assay Protocol. In Advanced Cell and Molecular Techniques. Springer Protocols Handbooks; Humana: New York, NY, USA, 2025; pp. 271–276. [Google Scholar] [CrossRef]
- Mosmann, T. Rapid colorimetric assay for cellular growth and survival: Application to proliferation and cytotoxicity assays. J. Immunol. Methods 1983, 65, 55–63. [Google Scholar] [CrossRef] [PubMed]
- Quassinti, L.; Lupidi, G.; Maggi, F.; Sagratini, G.; Papa, F.; Vittori, S.; Bianco, A.; Bramucci, M. Antioxidant and antiproliferative activity of Hypericum hircinum L. subsp. majus (Aiton) N. Robson essential oil. Nat. Prod. Res. 2013, 27, 862–868. [Google Scholar] [CrossRef] [PubMed]
- Cotter, T.G.; Martin, S.G. Techniques in Apoptosis: A Use’s Guide; Portland Press Ltd.: London, UK, 1996; pp. 7–9. [Google Scholar]






| No. | Compounds a | KI b | KI c | Area (%) d |
|---|---|---|---|---|
| 1 | trans-2-Hexenal | 852 | 855 | 0.13 |
| 2 | Octanal | 1002 | 1006 | 0.06 |
| 3 | p-Cymene | 1020 | 1022 | 0.01 |
| 4 | Sylvestrene | 1025 | 1028 | 0.01 |
| 5 | (E)-β-Ocimene | 1048 | 1050 | 0.02 |
| 6 | trans-3-Undecene | 1086 | 1088 | 0.04 |
| 7 | Nonanal | 1102 | 1102 | 0.07 |
| 8 | cis-4-Decenal | 1192 | 1193 | 0.03 |
| 9 | trans-4-Decenal | 1195 | 1197 | 0.08 |
| 10 | Decanal | 1205 | 1207 | 1.95 |
| 11 | cis-2-Decenal | 1253 | 1255 | 3.25 |
| 12 | trans-2-Decenal | 1257 | 1263 | 0.17 |
| 13 | 2-Octylfuran | 1280 | 1284 | 0.11 |
| 14 | n-Tridecane | 1295 | 1300 | 0.14 |
| 15 | Undecanal | 1303 | 1310 | 0.14 |
| 16 | cis-2-Undecenal | 1347 | 1350 | 0.03 |
| 17 | trans-2-Undecenal | 1360 | 1361 | 0.42 |
| 18 | trans-4-Undecenal | 1396 | - | 3.38 |
| 19 | Dodecanal | 1408 | 1412 | 4.50 |
| 20 | cis-2-Dodecenal | 1460 | 1464 | 2.91 |
| 21 | trans-2-Dodecenal | 1465 | 1472 | 67.49 |
| 22 | trans-2-Tridecenal | 1550 | 1553 | 0.79 |
| 23 | Dodecanoic acid | 1564 | 1567 | 0.83 |
| 24 | 13-Tetradecenal | 1602 | 1608 | 0.32 |
| 25 | Tetradecanal | 1604 | 1613 | 0.38 |
| 26 | trans-2-Dodecenoic acid | 1631 | - | 4.55 |
| Monoterpene hydrocarbons | 0.04 | |||
| Hydrocarbons | 0.18 | |||
| Aldehydes | 86.10 | |||
| Aliphatic acids | 5.38 | |||
| Other | 0.11 | |||
| Total | 91.81 |
| Cell line (IC50 µg/mL) a | ||||
|---|---|---|---|---|
| MDA-MB 231 b | A375 c | CaCo2 d | HEK293 e | |
| EO | 10.46 | 7.93 | 14.41 | 10.43 |
| 95% C.I. f | 9.75–11.22 | 7.36–8.56 | 13.41–15.48 | 8.72–12.48 |
| SI g | 0.99 | 1.31 | 0.72 | |
| trans-2-dodecenal | 2.66 (14.59) *** | 5.29 (29.02) *** | 4.74 (26.00) *** | 1.88 (10.31) *** |
| 95% C.I. | 2.56–2.76 | 5.02–5.57 | 4.36–5.16 | 1.69–2.08 |
| SI | 0.71 | 0.36 | 0.40 | |
| Positive control | ||||
| Cisplatin | 3.45 (11.50) *** | 0.55 (1.83) *** | 3.28 (10.93) *** | 0.32 (1.07) *** |
| 95% C.I. | 2.73–3.64 | 0.49–0.63 | 2.33–3.75 | 0.29–0.36 |
| SI | 0.09 | 0.58 | 0.097 | |
Disclaimer/Publisher’s Note: The statements, opinions and data contained in all publications are solely those of the individual author(s) and contributor(s) and not of MDPI and/or the editor(s). MDPI and/or the editor(s) disclaim responsibility for any injury to people or property resulting from any ideas, methods, instructions or products referred to in the content. |
© 2025 by the authors. Licensee MDPI, Basel, Switzerland. This article is an open access article distributed under the terms and conditions of the Creative Commons Attribution (CC BY) license (https://creativecommons.org/licenses/by/4.0/).
Share and Cite
Vaglica, A.; Porrello, A.; Badalamenti, N.; Ilardi, V.; Bruno, M.; Maggi, F.; Bramucci, M.; Quassinti, L. Cytotoxic Effects of Bifora testiculata (L.) Spreng. Essential Oil and Its Main Component on Cancer Cell Lines. Plants 2025, 14, 2408. https://doi.org/10.3390/plants14152408
Vaglica A, Porrello A, Badalamenti N, Ilardi V, Bruno M, Maggi F, Bramucci M, Quassinti L. Cytotoxic Effects of Bifora testiculata (L.) Spreng. Essential Oil and Its Main Component on Cancer Cell Lines. Plants. 2025; 14(15):2408. https://doi.org/10.3390/plants14152408
Chicago/Turabian StyleVaglica, Alessandro, Antonella Porrello, Natale Badalamenti, Vincenzo Ilardi, Maurizio Bruno, Filippo Maggi, Massimo Bramucci, and Luana Quassinti. 2025. "Cytotoxic Effects of Bifora testiculata (L.) Spreng. Essential Oil and Its Main Component on Cancer Cell Lines" Plants 14, no. 15: 2408. https://doi.org/10.3390/plants14152408
APA StyleVaglica, A., Porrello, A., Badalamenti, N., Ilardi, V., Bruno, M., Maggi, F., Bramucci, M., & Quassinti, L. (2025). Cytotoxic Effects of Bifora testiculata (L.) Spreng. Essential Oil and Its Main Component on Cancer Cell Lines. Plants, 14(15), 2408. https://doi.org/10.3390/plants14152408

