Development of a Lentiviral Reporter System for In Vitro Reprogramming of Astrocytes to Neuronal Precursors
Simple Summary
Abstract
1. Introduction
2. Materials and Methods
2.1. Isolation and Culture of Primary Astrocytes
2.2. Construction of Viral Vectors
2.2.1. Tet-O-FUW-OSK (OSK)
2.2.2. pLenti-pSyn1-FLEX-mScarlet-V5 (Syn1-Scarlet Reporter)
2.2.3. pLenti-pNestin-FLEX-EmGFP (Nestin-EmGFP Reporter)
2.2.4. pGFAP-BFP-T2A-iCre
2.3. Lentiviral Production
2.4. Multiplicity of Infection Testing
2.5. Reprogramming Experiments and Tetracycline Induction
2.6. Immunocytochemistry and Imaging
| Antibody | Target | Dilution | Species | Company |
|---|---|---|---|---|
| HA-tag | HA-tag | 1:250 | Rabbit | Cell Signaling (Danvers, MA, USA) |
| GFP | GFP | 1:400 | Sheep | Bio-Rad (Hercules, CA, USA) |
| GFAP | Astroglia | 1:1000 | Mouse | Millipore (Sigma-Aldrich, St. Louis, MO, USA) |
| GLAST | Astroglia | 1:250 | Guinea pig | Millipore (Sigma-Aldrich, St. Louis, MO, USA) |
| Sox9 | Astroglia | 1:1500 | Rabbit | Abcam (Cambridge, UK) |
| S100b | Astroglia | 1:100 | Rabbit | Sigma-Aldrich (St. Louis, MO, USA) |
| Iba-1 | Microglia | 1:500 | Rabbit | Invitrogen (Thermo Fisher Scientific, Waltham, MA, USA) |
| NeuN | Neurons | 1:500 1:100 | Rabbit Mouse | Millipore (Sigma-Aldrich, St. Louis, MO, USA) Millipore (Sigma-Aldrich, St. Louis, MO, USA) |
| Syn11 | Neurons | 1:200 | Rabbit | Invitrogen(Thermo Fisher Scientific, Waltham, MA, USA) |
| β-Tubulin III | Neurons | 1:100 | Mouse | Sigma Aldrich St. Louis, MO, USA) |
| Nestin | NPCs | 1:200 1:250 | Mouse Rabbit Rabbit | Millipore Novus (Sigma-Aldrich, St. Louis, MO, USA) Abcam (Cambridge, UK) |
| DCX | NPCs | 1:200 | Rabbit | Invitrogen (Thermo Fisher Scientific, Waltham, MA, USA) |
| Olig2 | Oligodendrocytes | 1:200 | Rabbit | Millipore (Sigma-Aldrich, St. Louis, MO, USA) |
2.7. Image Analysis and Cell Quantification
2.8. Statistical Analysis
3. Results
3.1. Design of the Reporter System
3.2. Validation of Bona Fide Primary Astrocytes
3.3. Determining the Optimal Multiplicity of Infection
3.4. Conversion of Astrocytes to Neurons or Neuronal Precursors
3.4.1. Morphological Changes
3.4.2. Marker Expression
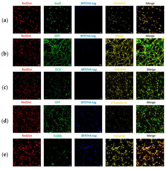
3.4.3. Reporter System and Corresponding Marker Expression
- ○
- EmGFP/Nestin: 82.8% (69.09% EmGFP/Nestin + 13.74% EmGFP/Nestin/HA-tag) of EmGFP-positive cells stained for Nestin; 84.8% (70.73% Nestin/EmGFP + 14.06% Nestin/EmGFP/HA-tag) of Nestin-positive cells expressed EmGFP (Figure 9c,f).
- ○
- mScarlet/Syn1: 82.9% (34.08% Syn1/mScarlet + 48.80% Syn1/mScarlet/HA-tag) of Syn1-positive cells expressed mScarlet; 73.7% (30.30% mScarlet/Syn1 + 43.39% mScarlet/Syn1/HA-tag) of mScarlet-positive cells stained for Syn1 (Figure 9e,h).
- ○
- BFP/HA-tag/GFAP: lower co-localization—56.2% (6.21% HA-tag/GFAP + 50.00% HA-tag/GFAP/EmGFP) of HA-tag-positive cells stained for GFAP; only 30.6% (3.38% GFAP/HA-tag + 27.21% GFAP/HA-tag/EmGFP) of GFAP-positive cells expressed the HA-tag (Figure 9d,g).
4. Discussion
4.1. Reporter System
4.1.1. Evaluation of Reporter and Endogenous Marker Co-Localization
4.1.2. Interpretation of Reporter–Marker Co-Localizations
- HA-tag+, mScarlet+, Synapsin-1+ cells likely represent converted cells retaining some astrocytic characteristics while acquiring neuronal features.
- HA-tag+, Synapsin-1+ cells did not co-express mScarlet, suggesting partial reporter uptake or incomplete conversion.
- mScarlet+, Synapsin-1+ cells lacked HA-tag expression, indicating potential conversion with diminished GFAP promoter activity.
- Synapsin-1+ cells alone lacked reporter expression, suggesting incomplete co-transduction of the reporter system.
4.1.3. Relevance of EmGFP/Nestin as a Reporter for Cell Conversion
4.2. Conversion
4.2.1. Trends in Marker Expression
4.2.2. How Effective Was the Reprogramming?
4.3. Translation to In Vivo Models of TBI
5. Conclusions
Author Contributions
Funding
Institutional Review Board Statement
Informed Consent Statement
Data Availability Statement
Conflicts of Interest
References
- Capizzi, A.; Woo, J.; Verduzco-Gutierrez, M. Traumatic Brain Injury. Med. Clin. N. Am. 2020, 104, 213–238. [Google Scholar] [CrossRef] [PubMed]
- Eapen, B.C.; Cifu, D.X. (Eds.) Rehabilitation After Traumatic Brain Injury; Elsevier: St. Louis, MO, USA, 2018. [Google Scholar]
- Dixon, K.J. Pathophysiology of Traumatic Brain Injury. Phys. Med. Rehabil. Clin. N. Am. 2017, 28, 215–225. [Google Scholar] [CrossRef]
- Cernak, I. Animal Models of Head Trauma. Neurotherapeutics 2005, 2, 410–422. [Google Scholar] [CrossRef] [PubMed]
- Greer, J.E.; McGinn, M.J.; Povlishock, J.T. Diffuse Traumatic Axonal Injury in the Mouse Induces Atrophy, c-Jun Activation, and Axonal Outgrowth in the Axotomized Neuronal Population. J. Neurosci. 2011, 31, 5089–5105. [Google Scholar] [CrossRef]
- Greer, J.E.; Hånell, A.; McGinn, M.J.; Povlishock, J.T. Mild Traumatic Brain Injury in the Mouse Induces Axotomy Primarily within the Axon Initial Segment. Acta Neuropathol. 2013, 126, 59–74. [Google Scholar] [CrossRef]
- Takahashi, K.; Yamanaka, S. A Decade of Transcription Factor-Mediated Reprogramming to Pluripotency. Nat. Rev. Mol. Cell Biol. 2016, 17, 183–193. [Google Scholar] [CrossRef] [PubMed]
- Takahashi, K.; Yamanaka, S. Induction of Pluripotent Stem Cells from Mouse Embryonic and Adult Fibroblast Cultures by Defined Factors. Cell 2006, 126, 663–676. [Google Scholar] [CrossRef]
- Corti, S.; Nizzardo, M.; Simone, C.; Falcone, M.; Donadoni, C.; Salani, S.; Rizzo, F.; Nardini, M.; Riboldi, G.; Magri, F.; et al. Direct Reprogramming of Human Astrocytes into Neural Stem Cells and Neurons. Exp. Cell Res. 2012, 318, 1528–1541. [Google Scholar] [CrossRef]
- Niu, W.; Zang, T.; Zou, Y.; Fang, S.; Smith, D.K.; Bachoo, R.; Zhang, C.-L. In Vivo Reprogramming of Astrocytes to Neuroblasts in the Adult Brain. Nat. Cell Biol. 2013, 15, 1164–1175. [Google Scholar] [CrossRef]
- Berninger, B.; Costa, M.R.; Koch, U.; Schroeder, T.; Sutor, B.; Grothe, B.; Götz, M. Functional Properties of Neurons Derived from In Vitro Reprogrammed Postnatal Astroglia. J. Neurosci. 2007, 27, 8654–8664. [Google Scholar] [CrossRef]
- Puls, B.; Ding, Y.; Zhang, F.; Pan, M.; Lei, Z.; Pei, Z.; Jiang, M.; Bai, Y.; Forsyth, C.; Metzger, M.; et al. Regeneration of Functional Neurons After Spinal Cord Injury via in Situ NeuroD1-Mediated Astrocyte-to-Neuron Conversion. Front. Cell Dev. Biol. 2020, 8, 591883. [Google Scholar] [CrossRef] [PubMed]
- Burda, J.E.; Bernstein, A.M.; Sofroniew, M.V. Astrocyte Roles in Traumatic Brain Injury. Exp. Neurol. 2016, 275, 305–315. [Google Scholar] [CrossRef]
- Frik, J.; Merl-Pham, J.; Plesnila, N.; Mattugini, N.; Kjell, J.; Kraska, J.; Gómez, R.M.; Hauck, S.M.; Sirko, S.; Götz, M. Cross-talk between Monocyte Invasion and Astrocyte Proliferation Regulates Scarring in Brain Injury. EMBO Rep. 2018, 19, e45294. [Google Scholar] [CrossRef]
- Muñoz-Ballester, C.; Robel, S. Astrocyte-mediated Mechanisms Contribute to Traumatic Brain Injury Pathology. WIREs Mech. Dis. 2023, 15, e1622. [Google Scholar] [CrossRef]
- Burda, J.E.; Sofroniew, M.V. Reactive Gliosis and the Multicellular Response to CNS Damage and Disease. Neuron 2014, 81, 229–248. [Google Scholar] [CrossRef]
- Yu, G.; Zhang, Y.; Ning, B. Reactive Astrocytes in Central Nervous System Injury: Subgroup and Potential Therapy. Front. Cell. Neurosci. 2021, 15, 792764. [Google Scholar] [CrossRef]
- Yang, H.; Liu, C.; Fan, H.; Chen, B.; Huang, D.; Zhang, L.; Zhang, Q.; An, J.; Zhao, J.; Wang, Y.; et al. Sonic Hedgehog Effectively Improves Oct4-Mediated Reprogramming of Astrocytes into Neural Stem Cells. Mol. Ther. J. Am. Soc. Gene Ther. 2019, 27, 1467–1482. [Google Scholar] [CrossRef] [PubMed]
- Imura, T.; Nakano, I.; Kornblum, H.I.; Sofroniew, M.V. Phenotypic and Functional Heterogeneity of GFAP-Expressing Cells In Vitro: Differential Expression of LeX/CD15 by GFAP-Expressing Multipotent Neural Stem Cells and Non-Neurogenic Astrocytes. Glia 2006, 53, 277–293. [Google Scholar] [CrossRef] [PubMed]
- Noisa, P.; Urrutikoetxea-Uriguen, A.; Li, M.; Cui, W. Generation of Human Embryonic Stem Cell Reporter Lines Expressing GFP Specifically in Neural Progenitors. Stem Cell Rev. Rep. 2010, 6, 438–449. [Google Scholar] [CrossRef]
- Feng, Y.Q.; Lorincz, M.C.; Fiering, S.; Greally, J.M.; Bouhassira, E.E. Position Effects Are Influenced by the Orientation of a Transgene with Respect to Flanking Chromatin. Mol. Cell Biol. 2001, 21, 298–309. [Google Scholar] [CrossRef]
- Ohnishi, K.; Semi, K.; Yamamoto, T.; Shimizu, M.; Tanaka, A.; Mitsunaga, K.; Okita, K.; Osafune, K.; Arioka, Y.; Maeda, T.; et al. Premature Termination of Reprogramming In Vivo Leads to Cancer Development through Altered Epigenetic Regulation. Cell 2014, 156, 663–677. [Google Scholar] [CrossRef] [PubMed]
- Abad, M.; Mosteiro, L.; Pantoja, C.; Cañamero, M.; Rayon, T.; Ors, I.; Graña, O.; Megías, D.; Domínguez, O.; Martínez, D.; et al. Reprogramming In Vivo Produces Teratomas and iPS Cells with Totipotency Features. Nature 2013, 502, 340–345. [Google Scholar] [CrossRef]
- Chiche, A.; Le Roux, I.; Von Joest, M.; Sakai, H.; Aguín, S.B.; Cazin, C.; Salam, R.; Fiette, L.; Alegria, O.; Flamant, P.; et al. Injury-Induced Senescence Enables In Vivo Reprogramming in Skeletal Muscle. Cell Stem Cell 2017, 20, 407–414.e4. [Google Scholar] [CrossRef]
- Hofmann, J.W.; Zhao, X.; De Cecco, M.; Peterson, A.L.; Pagliaroli, L.; Manivannan, J.; Hubbard, G.B.; Ikeno, Y.; Zhang, Y.; Feng, B.; et al. Reduced Expression of MYC Increases Longevity and Enhances Healthspan. Cell 2015, 160, 477–488. [Google Scholar] [CrossRef]
- Senís, E.; Mosteiro, L.; Wilkening, S.; Wiedtke, E.; Nowrouzi, A.; Afzal, S.; Fronza, R.; Landerer, H.; Abad, M.; Niopek, D.; et al. AAVvector-Mediated In Vivo Reprogramming into Pluripotency. Nat. Commun. 2018, 9, 1–14. [Google Scholar] [CrossRef] [PubMed]
- Rand, T.A.; Sutou, K.; Tanabe, K.; Jeong, D.; Nomura, M.; Kitaoka, F.; Tomoda, E.; Narita, M.; Nakamura, M.; Nakamura, M.; et al. MYC Releases Early Reprogrammed Human Cells from Proliferation Pause via Retinoblastoma Protein Inhibition. Cell Rep. 2018, 23, 361–375. [Google Scholar] [CrossRef] [PubMed]
- Shimshek, D.R.; Kim, J.; Hübner, M.R.; Spergel, D.J.; Buchholz, F.; Casanova, E.; Stewart, A.F.; Seeburg, P.H.; Sprengel, R. Codon-improved Cre Recombinase (iCre) Expression in the Mouse. Genesis 2002, 32, 19–26. [Google Scholar] [CrossRef]
- Masserdotti, G.; Kempf, J.; Knelles, K.; Hersbach, B.A.; Petrik, D.; Riedemann, T.; Bednarova, V.; Janjic, A. Heterogeneity of Neurons Reprogrammed from Spinal Cord Astrocytes by the Proneural Factors Ascl1 and Ll Heterogeneity of Neurons Reprogrammed from Spinal Cord Astrocytes by the Proneural Factors Ascl1 and Neurogenin2. Cell Rep. 2021, 36, 109409. [Google Scholar] [CrossRef]
- Liu, M.-L.; Zang, T.; Zou, Y.; Chang, J.C.; Gibson, J.R.; Huber, K.M.; Zhang, C.-L. Small Molecules Enable Neurogenin 2 to Efficiently Convert Human Fibroblasts into Cholinergic Neurons. Nat. Commun. 2013, 4, 2183. [Google Scholar] [CrossRef]
- Bankhead, P.; Loughrey, M.B.; Fernández, J.A.; Dombrowski, Y.; McArt, D.G.; Dunne, P.D.; McQuaid, S.; Gray, R.T.; Murray, L.J.; Coleman, H.G.; et al. QuPath: Open Source Software for Digital Pathology Image Analysis. Sci. Rep. 2017, 7, 16878. [Google Scholar] [CrossRef]
- Marshall, C.A.G.; Novitch, B.G.; Goldman, J.E. Olig2 Directs Astrocyte and Oligodendrocyte Formation in Postnatal Subventricular Zone Cells. J. Neurosci. 2005, 25, 7289–7298. [Google Scholar] [CrossRef] [PubMed]
- Ohayon, D.; Aguirrebengoa, M.; Escalas, N.; Jungas, T.; Soula, C. Transcriptome Profiling of the Olig2-Expressing Astrocyte Subtype Reveals Their Unique Molecular Signature. iScience 2021, 24, 102806. [Google Scholar] [CrossRef] [PubMed]
- Hulsen, T.; De Vlieg, J.; Alkema, W. BioVenn—A Web Application for the Comparison and Visualization of Biological Lists Using Area-Proportional Venn Diagrams. BMC Genom. 2008, 9, 488. [Google Scholar] [CrossRef]
- Antoniou, M.N.; Skipper, K.A.; Anakok, O. Optimizing Retroviral Gene Expression for Effective Therapies. Hum. Gene Ther. 2013, 24, 363–374. [Google Scholar] [CrossRef]
- Wang, L.; Serrano, C.; Wang, L.; Serrano, C.; Zhong, X.; Ma, S.; Zou, Y.; Zhang, C. Article Revisiting Astrocyte to Neuron Conversion with Lineage Tracing In Vivo Article Revisiting Astrocyte to Neuron Conversion with Lineage Tracing In Vivo. Cell 2021, 184, 5465–5481.e16. [Google Scholar] [CrossRef] [PubMed]
- Chiu, F.C.; Goldman, J.E. Synthesis and Turnover of Cytoskeletal Proteins in Cultured Astrocytes. J. Neurochem. 1984, 42, 166–174. [Google Scholar] [CrossRef]
- Wei, L.-C.; Shi, M.; Chen, L.-W.; Cao, R.; Zhang, P.; Chan, Y.S. Nestin-Containing Cells Express Glial Fibrillary Acidic Protein in the Proliferative Regions of Central Nervous System of Postnatal Developing and Adult Mice. Dev. Brain Res. 2002, 139, 9–17. [Google Scholar] [CrossRef]
- Kálmán, M.; Ajtai, B.M. A Comparison of Intermediate Filament Markers for Presumptive Astroglia in the Developing Rat Neocortex: Immunostaining against Nestin Reveals More Detail, than GFAP or Vimentin. Int. J. Dev. Neurosci. 2001, 19, 101–108. [Google Scholar] [CrossRef]
- Sergent-Tanguy, S.; Michel, D.C.; Neveu, I.; Naveilhan, P. Long-lasting Coexpression of Nestin and Glial Fibrillary Acidic Protein in Primary Cultures of Astroglial Cells with a Major Participation of Nestin+/GFAP− Cells in Cell Proliferation. J. Neurosci. Res. 2006, 83, 1515–1524. [Google Scholar] [CrossRef]
- Nakamura, T.; Miyamoto, O.; Auer, R.N.; Nagao, S.; Itano, T. Delayed Precursor Cell Markers Expression in Hippocampus Following Cold-Induced Cortical Injury in Mice. J. Neurotrauma 2004, 21, 1747–1755. [Google Scholar] [CrossRef]
- Krum, J.M.; Rosenstein, J.M. Transient Coexpression of Nestin, GFAP, and Vascular Endothelial Growth Factor in Mature Reactive Astroglia Following Neural Grafting or Brain Wounds. Exp. Neurol. 1999, 160, 348–360. [Google Scholar] [CrossRef] [PubMed]
- Lee, H.; Lee, H.Y.; Lee, B.E.; Gerovska, D.; Park, S.Y.; Zaehres, H.; Araúzo-Bravo, M.J.; Kim, J.-I.; Ha, Y.; Schöler, H.R.; et al. Sequentially Induced Motor Neurons from Human Fibroblasts Facilitate Locomotor Recovery in a Rodent Spinal Cord Injury Model. eLife 2020, 9, e52069. [Google Scholar] [CrossRef]
- Zeng, P.; Hua, Q.; Gong, J.; Shi, C.; Pi, X.; Xie, X.; Zhang, R. Neonatal Cortical Astrocytes Possess Intrinsic Potential in Neuronal Conversion in Defined Media. Acta Pharmacol. Sin. 2021, 42, 1757–1768. [Google Scholar] [CrossRef] [PubMed]
- Rao, Z.; Wang, R.; Li, S.; Shi, Y.; Mo, L.; Han, S.; Yuan, J.; Jing, N.; Cheng, L. Molecular Mechanisms Underlying Ascl1-Mediated Astrocyte-to-Neuron Conversion. Stem Cell Rep. 2021, 16, 534–547. [Google Scholar] [CrossRef] [PubMed]
- Masserdotti, G.; Gillotin, S.; Sutor, B.; Drechsel, D.; Irmler, M.; Jørgensen, H.F.; Sass, S.; Theis, F.J.; Beckers, J.; Berninger, B.; et al. Transcriptional Mechanisms of Proneural Factors and REST in Regulating Neuronal Reprogramming of Astrocytes. Cell Stem Cell 2015, 17, 74–88. [Google Scholar] [CrossRef]
- Qian, H.; Kang, X.; Hu, J.; Zhang, D.; Liang, Z.; Meng, F.; Zhang, X.; Xue, Y.; Maimon, R.; Dowdy, S.F.; et al. Reversing a Model of Parkinson’s Disease with in Situ Converted Nigral Neurons. Nature 2020, 582, 550–556. [Google Scholar] [CrossRef]
- Nakajima-Koyama, M.; Lee, J.; Ohta, S.; Yamamoto, T.; Nishida, E. Induction of Pluripotency in Astrocytes through a Neural Stem Cell-like State. J. Biol. Chem. 2015, 290, 31173–31188. [Google Scholar] [CrossRef]
- Huang, X.; Wang, C.; Zhou, X.; Wang, J.; Xia, K.; Yang, B.; Gong, Z.; Ying, L.; Yu, C.; Shi, K.; et al. Overexpression of the Transcription Factors OCT4 and KLF4 Improves Motor Function after Spinal Cord Injury. CNS Neurosci. Ther. 2020, 26, 940–951. [Google Scholar] [CrossRef]
- Zarei-Kheirabadi, M.; Hesaraki, M.; Kiani, S.; Baharvand, H. In Vivo Conversion of Rat Astrocytes into Neuronal Cells through Neural Stem Cells in Injured Spinal Cord with a Single Zinc-Finger Transcription Factor. Stem Cell Res. Ther. 2019, 10, 380. [Google Scholar] [CrossRef]
- Lu, Y.; Brommer, B.; Tian, X.; Krishnan, A.; Meer, M.; Wang, C.; Vera, D.L.; Zeng, Q.; Yu, D.; Bonkowski, M.S.; et al. Reprogramming to Recover Youthful Epigenetic Information and Restore Vision. Nature 2020, 588, 124–129. [Google Scholar] [CrossRef]
- Su, Z.; Niu, W.; Liu, M.-L.; Zou, Y.; Zhang, C.-L. In Vivo Conversion of Astrocytes to Neurons in the Injured Adult Spinal Cord. Nat. Commun. 2014, 5, 3338. [Google Scholar] [CrossRef] [PubMed]
- Choudhury, S.R.; Hudry, E.; Maguire, C.A.; Sena-Esteves, M.; Breakefield, X.O.; Grandi, P. Viral Vectors for Therapy of Neurologic Diseases. Neuropharmacology 2017, 120, 63–80. [Google Scholar] [CrossRef] [PubMed]
- Mattugini, N.; Bocchi, R.; Scheuss, V.; Russo, G.L.; Torper, O.; Lao, C.L.; Götz, M. Inducing Different Neuronal Subtypes from Astrocytes in the Injured Mouse Cerebral Cortex. Neuron 2019, 103, 1086–1095.e5. [Google Scholar] [CrossRef] [PubMed]
- Puglisi, M.; Lao, C.L.; Wani, G.; Masserdotti, G.; Bocchi, R.; Götz, M. Comparing Viral Vectors and Fate Mapping Approaches for Astrocyte-to-Neuron Reprogramming in the Injured Mouse Cerebral Cortex. Cells 2024, 13, 1408. [Google Scholar] [CrossRef]
- Zhang, L.; Lei, Z.; Guo, Z.; Pei, Z.; Chen, Y.; Zhang, F.; Cai, A.; Mok, G.; Lee, G.; Swaminathan, V.; et al. Development of Neuroregenerative Gene Therapy to Reverse Glial Scar Tissue Back to Neuron-Enriched Tissue. Front. Cell. Neurosci. 2020, 14, 594170. [Google Scholar] [CrossRef]
- Walter, J.; Kovalenko, O.; Younsi, A.; Grutza, M.; Unterberg, A.; Zweckberger, K. The CatWalk XT® is a valid tool for objective assessment of motor function in the acute phase after controlled cortical impact in mice. Behav Brain Res. 2020, 392, 112680. [Google Scholar] [CrossRef]









| Cell Culture Media | |
|---|---|
| Astrocyte culture medium | DMEM + 4.5 g/L glucose (Gibco, Carlsbad, CA, USA) 10% FBS (Gibco, Carlsbad, CA, USA) 1% penicillin/streptomycin (Thermo Fisher Scientific, Waltham, MA, USA) |
| Serum-free astrocyte medium | DMEM/F12 (Gibco, Carlsbad, CA, USA) 1% G5 (Gibco, Carlsbad, CA, USA) 1% penicillin/streptomycin (Thermo Fisher Scientific, Waltham, MA, USA) |
| NSC medium [18] | DMEM/F12 (Gibco, Carlsbad, CA, USA) 1% N2 (Gibco, Carlsbad, CA, USA) 25 ng/mL basic fibroblast growth factor (Sigma-Aldrich, St. Louis, MO, USA) 20 ng/mL epidermal growth factor (Sigma-Aldrich, St. Louis, MO, USA) 1% penicillin/streptomycin (Thermo Fisher Scientific, Waltham, MA, USA) |
Disclaimer/Publisher’s Note: The statements, opinions and data contained in all publications are solely those of the individual author(s) and contributor(s) and not of MDPI and/or the editor(s). MDPI and/or the editor(s) disclaim responsibility for any injury to people or property resulting from any ideas, methods, instructions or products referred to in the content. |
© 2025 by the authors. Licensee MDPI, Basel, Switzerland. This article is an open access article distributed under the terms and conditions of the Creative Commons Attribution (CC BY) license (https://creativecommons.org/licenses/by/4.0/).
Share and Cite
Schnaubelt, A.; Zheng, G.; Hatami, M.; Tödt, J.; Wang, H.; Skutella, T.; Unterberg, A.; Zweckberger, K.; Younsi, A. Development of a Lentiviral Reporter System for In Vitro Reprogramming of Astrocytes to Neuronal Precursors. Biology 2025, 14, 817. https://doi.org/10.3390/biology14070817
Schnaubelt A, Zheng G, Hatami M, Tödt J, Wang H, Skutella T, Unterberg A, Zweckberger K, Younsi A. Development of a Lentiviral Reporter System for In Vitro Reprogramming of Astrocytes to Neuronal Precursors. Biology. 2025; 14(7):817. https://doi.org/10.3390/biology14070817
Chicago/Turabian StyleSchnaubelt, Anna, Guoli Zheng, Maryam Hatami, Johannes Tödt, Hao Wang, Thomas Skutella, Andreas Unterberg, Klaus Zweckberger, and Alexander Younsi. 2025. "Development of a Lentiviral Reporter System for In Vitro Reprogramming of Astrocytes to Neuronal Precursors" Biology 14, no. 7: 817. https://doi.org/10.3390/biology14070817
APA StyleSchnaubelt, A., Zheng, G., Hatami, M., Tödt, J., Wang, H., Skutella, T., Unterberg, A., Zweckberger, K., & Younsi, A. (2025). Development of a Lentiviral Reporter System for In Vitro Reprogramming of Astrocytes to Neuronal Precursors. Biology, 14(7), 817. https://doi.org/10.3390/biology14070817

