Synergistic Titanium Intercalation in WO3 Architectures to Enhance Electrochromic Performance for Smart Windows
Abstract
1. Introduction
2. Experimental Section
2.1. Reagents and Materials
2.2. Preparation of Ti-Integrated WO3 Films
2.3. Electrochromic Device Fabrication
3. Sample Characterization and Electrochemical Measurements
4. Results and Discussion
4.1. XRD Elucidation
4.2. XPS Elucidation
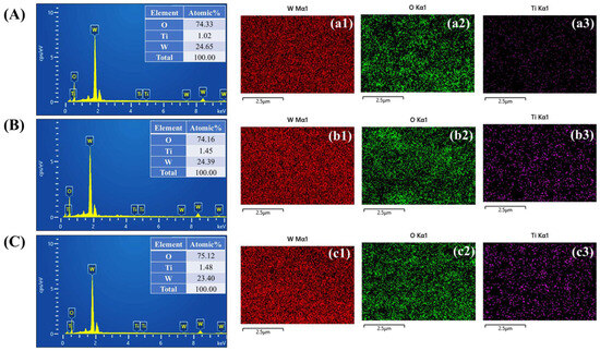
4.3. Morphological and Elemental Compositional Characteristics
5. Electrochromic Analysis
6. Electrochromic Device Performance
7. Conclusions
Author Contributions
Funding
Institutional Review Board Statement
Informed Consent Statement
Data Availability Statement
Acknowledgments
Conflicts of Interest
References
- Kodam, P.M.; Ghadage, P.A.; Nadargi, D.Y.; Shinde, K.; Mulla, I.S.; Park, J.; Suryavanshi, S.S. Ru, Pd doped WO3 nanomaterials: A synergistic effect of noble metals to enhance the acetone response properties. Ceram. Int. 2022, 48, 17923–17933. [Google Scholar] [CrossRef]
- Tian, Y.; Cong, S.; Su, W.; Chen, H.; Li, Q.; Geng, F.; Zhao, Z. Synergy of W18O49 and polyaniline for smart supercapacitor electrode integrated with energy level indicating functionality. Nano Lett. 2014, 14, 2150–2156. [Google Scholar] [CrossRef] [PubMed]
- Rai, V.; Singh, R.S.; Blackwood, D.J.; Zhili, D. A review on recent advances in electrochromic devices: A material approach. Adv. Eng. Mater. 2020, 22, 2000082. [Google Scholar] [CrossRef]
- Inamdar, A.I.; Kim, Y.; Jang, B.; Im, H.; Jung, W.; Kim, D.-Y.; Kim, H. Effects of oxygen stoichiometry on electrochromic properties in amorphous tungsten oxide films. Thin Solid Films 2012, 520, 5367–5371. [Google Scholar] [CrossRef]
- Wen, R.-T.; Granqvist, C.G.; Niklasson, G.A. Eliminating degradation and uncovering ion-trapping dynamics in electrochromic WO3 thin films. Nat. Mater. 2015, 14, 996–1001. [Google Scholar] [CrossRef]
- Morankar, P.J.; Amate, R.U.; Chavan, G.T.; Teli, A.M.; Dalavi, D.S.; Jeon, C.-W. Improved electrochromic performance of potentiostatically electrodeposited nanogranular WO3 thin films. J. Alloys Compd. 2023, 945, 169363. [Google Scholar] [CrossRef]
- Chavan, H.S.; Hou, B.; Ahmed, A.T.A.; Kim, J.; Jo, Y.; Cho, S.; Park, Y.; Pawar, S.M.; Inamdar, A.I.; Cha, S.N.; et al. Ultrathin Ni-Mo oxide nanoflakes for high-performance supercapacitor electrodes. J. Alloys Compd. 2018, 767, 782–788. [Google Scholar] [CrossRef]
- Zhang, S.; Cao, S.; Zhang, T.; Fisher, A.; Lee, J.Y. Al3+ intercalation/de-intercalation-enabled dual-band electrochromic smart windows with a high optical modulation, quick response, and long cycle life. Energy Environ. Sci. 2018, 11, 2884–2892. [Google Scholar] [CrossRef]
- Teli, A.M.; Beknalkar, S.A.; Satale, V.V.; Morankar, P.J.; Yewale, M.A.; Shin, J.C. Exploring the synergistic effect of palladium-doped molybdenum phosphate as an electrode material for high-performance asymmetric supercapacitor device. Surf. Interfaces 2023, 40, 103149. [Google Scholar] [CrossRef]
- Morankar, P.J.; Amate, R.U.; Teli, A.M.; Chavan, G.T.; Beknalkar, S.A.; Dalavi, D.S.; Ahir, N.A.; Jeon, C.-W. Surfactant integrated nanoarchitectonics for controlled morphology and enhanced functionality of tungsten oxide thin films in electrochromic supercapacitors. J. Energy Storage 2023, 73, 109095. [Google Scholar] [CrossRef]
- Yu, C.; Ma, D.; Wang, Z.; Zhu, L.; Guo, H.; Zhu, X.; Wang, J. Solvothermal growth of Nb2O5 films on FTO coated glasses and their electrochromic properties. Ceram. Int. 2021, 47, 9651–9658. [Google Scholar]
- Ouendi, S.; Arico, C.; Blanchard, F.; Codron, J.-L.; Wallart, X.; Taberna, P.-L.; Roussel, P.; Clavier, L.; Simon, P.; Lethien, C. Synthesis of T-Nb2O5 thin-films deposited by atomic layer deposition for miniaturized electrochemical energy storage devices. Energy Storage Mater. 2019, 16, 581–588. [Google Scholar]
- Lu, H.-C.; Zydlewski, B.Z.; Tandon, B.; Shubert-Zuleta, S.A.; Milliron, D.J. Understanding the role of charge storage mechanisms in the electrochromic switching kinetics of metal oxide nanocrystals. Chem. Mater. 2022, 34, 5621–5633. [Google Scholar]
- Come, J.; Augustyn, V.; Kim, J.W.; Rozier, P.; Taberna, P.-L.; Gogotsi, P.; Long, J.W.; Dunn, B.; Simon, P. Electrochemical kinetics of nanostructured Nb2O5 electrodes. J. Electrochem. Soc. 2014, 161, A718. [Google Scholar] [CrossRef]
- Dong, W.; Lv, Y.; Xiao, L.; Fan, Y.; Zhang, N.; Liu, X. Bifunctional MoO3–WO3/Ag/MoO3–WO3 films for efficient ITO-free electrochromic devices. ACS Appl. Mater. Interfaces 2016, 8, 33842–33847. [Google Scholar]
- Morankar, P.J.; Amate, R.U.; Teli, A.M.; Beknalkar, S.A.; Jeon, C.-W. Unveiling nanogranular advancements in nickel-doped tungsten oxide for superior electrochromic performance. Coatings 2024, 14, 320. [Google Scholar] [CrossRef]
- Cai, G.; Wang, X.; Cui, M.; Darmawan, P.; Wang, J.; Eh, A.L.-S.; Lee, P.S. Electrochromo-supercapacitor based on direct growth of NiO nanoparticles. Nano Energy 2015, 12, 258–267. [Google Scholar]
- Amate, R.U.; Morankar, P.J.; Chavan, G.T.; Teli, A.M.; Desai, R.S.; Dalavi, D.S.; Jeon, C.-W. Bi-functional electrochromic supercapacitor based on hydrothermal-grown 3D Nb2O5 nanospheres. Electrochim. Acta 2023, 459, 142522. [Google Scholar] [CrossRef]
- Cai, G.-F.; Wang, X.-L.; Zhou, D.; Zhang, J.-H.; Xiong, Q.-Q.; Gu, C.-D.; Tu, J.-P. Hierarchical structure Ti-doped WO3 film with improved electrochromism in visible-infrared region. RSC Adv. 2013, 3, 6896–6905. [Google Scholar] [CrossRef]
- Peng, M.-D.; Zhang, Y.-Z.; Song, L.-X.; Wu, L.-N.; Zhang, Y.-L.; Hu, X.-F. Electrochemical stability properties of titanium-doped WO3 electrochromic thin films. Surf. Eng. 2017, 33, 305–309. [Google Scholar]
- Peng, M.-D.; Zhang, Y.-Z.; Song, L.-X.; Yin, X.-F.; Wang, P.-P.; Wu, L.-N.; Hu, X.-F. Structure and electrochromic properties of titanium-doped WO3 thin film by sputtering. J. Inorg. Mater. 2017, 32, 287–292. [Google Scholar]
- Zhan, Y.; Tan, M.R.J.; Cheng, X.; Tan, W.M.A.; Cai, G.-F.; Chen, J.W.; Kumar, V.; Magdassi, S.; Lee, P.S. Ti-doped WO3 synthesized by a facile wet bath method for improved electrochromism. J. Mater. Chem. C 2017, 5, 9995–10000. [Google Scholar]
- Xie, S.; Bi, Z.; Chen, Y.; He, X.; Guo, X.; Gao, X.; Li, X. Electrodeposited Mo-doped WO3 film with large optical modulation and high areal capacitance toward electrochromic energy-storage applications. Appl. Surf. Sci. 2018, 459, 774–781. [Google Scholar]
- Luo, G.; Shen, L.; Zheng, J.; Xu, C. A europium ion doped WO3 film with the bi-functionality of enhanced electrochromic switching and tunable red emission. J. Mater. Chem. C 2017, 5, 3488–3494. [Google Scholar]
- Wang, C.-K.; Sahu, D.; Wang, S.-C.; Huang, J.-L. Electrochromic Nb-doped WO3 films: Effects of post annealing. Ceram. Int. 2012, 38, 2829–2833. [Google Scholar]
- Houweling, Z.S.; Geus, J.W.; Schropp, R.E. Synthesis of WO3 nanogranular thin films by hot-wire CVD. Chem. Vap. Depos. 2010, 16, 179–184. [Google Scholar]
- More, A.; Patil, R.; Dalavi, D.; Mali, S.; Hong, C.; Gang, M.; Kim, J.; Patil, P. Electrodeposition of nano-granular tungsten oxide thin films for smart window application. Mater. Lett. 2014, 134, 298–301. [Google Scholar] [CrossRef]
- Poongodi, S.; Kumar, P.S.; Mangalaraj, D.; Ponpandian, N.; Meena, P.; Masuda, Y.; Lee, C. Electrodeposition of WO3 nanostructured thin films for electrochromic and H2S gas sensor applications. J. Alloys Compd. 2017, 719, 71–81. [Google Scholar] [CrossRef]
- Dalavi, D.S.; Devan, R.S.; Patil, R.A.; Patil, R.S.; Ma, Y.-R.; Sadale, S.B.; Kim, I.; Kim, J.-H.; Patil, P.S. Efficient electrochromic performance of nanoparticulate WO3 thin films. J. Mater. Chem. C 2013, 1, 3722–3728. [Google Scholar] [CrossRef]
- Dalavi, D.S.; Devan, R.S.; Patil, R.S.; Ma, Y.-R.; Kang, M.-G.; Kim, J.-H.; Patil, P.S. Electrochromic properties of dandelion flower-like nickel oxide thin films. J. Mater. Chem. A 2013, 1, 1035–1039. [Google Scholar]
- Lee, S.H.; Deshpande, R.; Parilla, P.A.; Jones, K.M.; To, B.; Mahan, A.H.; Dillon, A.C. Crystalline WO3 nanoparticles for highly improved electrochromic applications. Adv. Mater. 2006, 18, 763–766. [Google Scholar] [CrossRef]
- Shim, H.-S.; Kim, J.W.; Sung, Y.-E.; Kim, W.B. Electrochromic properties of tungsten oxide nanowires fabricated by electrospinning method. Sol. Energy Mater. Sol. Cells 2009, 93, 2062–2068. [Google Scholar] [CrossRef]
- Deepa, M.; Srivastava, A.; Sood, K.; Agnihotry, S. Nanostructured mesoporous tungsten oxide films with fast kinetics for electrochromic smart windows. Nanotechnology 2006, 17, 2625. [Google Scholar] [CrossRef]
- Venugopal, R.; Dinakaran, A.; Nair, M.C.; Balachandran, A.C.; Madhavan, N.D.; Deb, B. Electrochromic properties of MnO2/WO3 bilayered electrodes for enhanced charge storage and superior stability. RSC Appl. Interfaces 2024, 1, 1382–1394. [Google Scholar] [CrossRef]
- Gu, H.; Tan, M.; Wang, T.; Sun, J.; Du, J.; Ma, R.; Wang, W.; Hu, D. Boosting the electrochromic performance of P-doped WO3 films via electrodeposition for smart window applications. RSC Adv. 2024, 14, 10298–10303. [Google Scholar] [CrossRef]
- Guo, J.; Jia, H.; Shao, Z.; Jin, P.; Cao, X. Fast-switching WO3-based electrochromic devices: Design, fabrication, and applications. Acc. Mater. Res. 2023, 4, 438–447. [Google Scholar] [CrossRef]
- Wang, L.; Zhang, X.; Li, Y. A novel method for performance rejuvenation of WO3//NiO electrochromic devices: Lithium ion kinetic behavior with variable cycling temperature and switching voltage. ACS Sustain. Chem. Eng. 2023, 11, 13566–13573. [Google Scholar] [CrossRef]











| Sample Code | Charge Intercalation (Qi) (C/cm2) | Charge Deintercalation (Qdi) (C/cm2) | Reversibility (%) | Coloration Time (sec) (tC) | Bleaching Time (sec) (tb) | Tb % | TC % | Optical Modulation (ΔT600nm%) | Optical Density (ΔOD) Density (ΔOD) | Coloration Efficiency (cm2/C) |
|---|---|---|---|---|---|---|---|---|---|---|
| WTi-1 | 0.11 | 0.10 | 90.90 | 11.7 | 4.1 | 92.90 | 22.40 | 70.50 | 2.84 | 25.81 |
| WTi-3 | 0.096 | 0.091 | 95.61 | 15.1 | 11.4 | 94.22 | 9.22 | 85 | 4.64 | 51.55 |
| WTi-5 | 0.12 | 0.11 | 91.66 | 14.3 | 9.5 | 85.81 | 11.24 | 74.57 | 4.06 | 33.83 |
Disclaimer/Publisher’s Note: The statements, opinions and data contained in all publications are solely those of the individual author(s) and contributor(s) and not of MDPI and/or the editor(s). MDPI and/or the editor(s) disclaim responsibility for any injury to people or property resulting from any ideas, methods, instructions or products referred to in the content. |
© 2025 by the authors. Licensee MDPI, Basel, Switzerland. This article is an open access article distributed under the terms and conditions of the Creative Commons Attribution (CC BY) license (https://creativecommons.org/licenses/by/4.0/).
Share and Cite
Amate, R.U.; Morankar, P.J.; Ahir, N.A.; Jeon, C.-W. Synergistic Titanium Intercalation in WO3 Architectures to Enhance Electrochromic Performance for Smart Windows. Coatings 2025, 15, 422. https://doi.org/10.3390/coatings15040422
Amate RU, Morankar PJ, Ahir NA, Jeon C-W. Synergistic Titanium Intercalation in WO3 Architectures to Enhance Electrochromic Performance for Smart Windows. Coatings. 2025; 15(4):422. https://doi.org/10.3390/coatings15040422
Chicago/Turabian StyleAmate, Rutuja U., Pritam J. Morankar, Namita A. Ahir, and Chan-Wook Jeon. 2025. "Synergistic Titanium Intercalation in WO3 Architectures to Enhance Electrochromic Performance for Smart Windows" Coatings 15, no. 4: 422. https://doi.org/10.3390/coatings15040422
APA StyleAmate, R. U., Morankar, P. J., Ahir, N. A., & Jeon, C.-W. (2025). Synergistic Titanium Intercalation in WO3 Architectures to Enhance Electrochromic Performance for Smart Windows. Coatings, 15(4), 422. https://doi.org/10.3390/coatings15040422

