Next Article in Journal
Impact of Heat Input on the Cladding of Super Austenitic Stainless Steel Through the Gas Tungsten Arc Welding Process on ASTM A516 Grade 70 Steel
Previous Article in Journal
Wear Behavior of TiAlN/DLC Coating on Tools in Milling Copper–Beryllium Alloy AMPCOLOY® 83
 
 
Font Type:
Arial Georgia Verdana
Font Size:
Aa Aa Aa
Line Spacing:
Column Width:
Background:
Article

Research on the Preparation of Dry Mixed Mortar Using Waste Incineration Fly Ash

1
School of Materials Science and Engineering, Jingdezhen Ceramic University, Jingdezhen 333403, China
2
Jiangxi Mortar Technology Co., Ltd., Jingdezhen 333414, China
3
School of Chemistry and Environmental Sciences, Shang Rao Normal University, Shang Rao 334001, China
*
Author to whom correspondence should be addressed.
Coatings 2024, 14(11), 1355; https://doi.org/10.3390/coatings14111355
Submission received: 13 September 2024 / Revised: 16 October 2024 / Accepted: 21 October 2024 / Published: 24 October 2024

Abstract

This study investigated the effect of water-washed municipal solid waste incineration fly ash (MSWI FA) as an admixture on the performance of dry mixed mortar and used X-ray diffraction (XRD) and scanning electron microscope (SEM) detection methods to conduct microscopic analysis. The experiment investigated the effects of the amount and water content of washed municipal solid waste incineration fly ash, cement, additives, sand and gravel, and curing time on the compressive flexural strength of dry mixed mortar at 28 days. The results show that when the content of water-washed MSWI FA is 9.80%, the content of sand and gravel is 73.50%, the content of ordinary Portland cement (PO42.5) is 16.66%, the content of water-reducing agent is 1.47‰, the content of cellulose is 0.03‰, the content of the expansion agent is 0.49‰, the addition of water is 130–160 mL/kg, the consistency of the sample can reach 91.8 mm, and the water retention rate can reach 93.6%. The flexural strength of the sample at 28 days can reach 7.5 MPa, and the compressive strength at 28 days can reach 28.30 MPa. Metal ions, such as Pb2+ and Gd2+ in MSWI FA, under the combined action of silicate cement in dry mixed mortar and fibers in cellulose, crisscross and form a solidified material, which will not be leached out. This quality meets the requirements of dry mixed mortar for ordinary plastering and masonry mortar (GB-T 25181-2019), and the leaching toxicity of the sample meets the “Identification Standard for Hazardous Waste” (GB5085.3-2007). This work provides a meaningful exploration of the resource utilization of water-washed MSWI FA.

1. Introduction

According to the China Urban Construction Statistical Yearbook (2020), the domestic urban waste treatment capacity was 235.2 million tons in 2020, including 234.52 million tons of harmless treatment and 146.8 million tons of incineration treatment, accounting for 62.29% of the total harmless treatment capacity [1]. In municipal solid waste incineration (MSWI), the generated MSWI FA is about 3%–5% of the urban incineration amount. Due to the presence of dioxins, various heavy metals, and other toxic substances in the MSWI FA generated by combustion, stricter safety measures must be taken to ensure environmental safety. In the early days, the “Pollution Control Standard for Domestic Waste Incineration” (GB 18485-2001) clearly stated that MSWI FA is hazardous waste, and therefore, effective measures must be taken to control it [2]. On 1 September 2024, the “Standard for Pollution Control on the Landfill Site of Municipal Solid Waste “ (GB16889-2024) was introduced, requiring that, under specific conditions, the incinerated MSWI FA of domestic garbage be safely placed in the landfill to reduce pollution. Even so, due to the massive amount of MSWI FA generated by incineration in China, it will still occupy a large amount of land resources if it enters domestic waste landfills [3].
The harm of MSWI FA is mainly reflected in the presence of organic pollutants such as benzopyrene, benzo anthracene, and dioxins, as well as trace heavy metals such as mercury (Hg), chromium (Cr), cadmium (Cd), and lead (Pb). Once it enters the soil, surface water, and groundwater, it not only causes ecological pollution but also accumulates in organisms through the food chain, causing serious harm to human health.
Therefore, in recent years, the resource utilization technology of MSWI FA has begun to enter the public’s vision, with the main destination being a building material, such as MSWI FA for sand production, as well as the more popular technology involving the collaborative disposal of MSWI FA in cement kilns.
The resource utilization of MSWI FA is in the production of cement mortar and concrete mixtures [4,5], as well as the production of ceramic particles [6,7] and foam glass [8,9]. After high-temperature melting treatment of household waste incineration MSWI FA and cooling of the slag, stable glass bodies can be formed. Research has shown that the glass produced by MSWI FA melting has good mechanical and thermal properties and can be used to produce microcrystalline glass [10].
In recent years, dry mixed mortar, as an emerging building material, has received widespread attention from the construction industry [11,12]. This study reveals that the compressive strength and resilient modulus of a 20% MSWI FA treatment sample increased to 0.86 MPa and 213 MPa, respectively, depicting an increase of 150% and 240% compared to the control clay specimen. Applying MSWI FA as a ground treatment for expansive clays can reduce the consumption of natural resources, promoting a ‘‘zero landfill’’ policy [13]. It not only meets the requirements of energy conservation and emission reduction but also effectively protects the environment, ensures the quality of buildings, improves the modernization level of buildings, and fully utilizes existing technological resources, making a considerable contribution to promoting civilized construction and a technological revolution in the construction industry [14].
There are potential unpredictable risks in using MSWI FA as a cement additive, so this project focuses more on the resource utilization of MSWI FA and the preparation of dry mixed mortar using MSWI FA for masonry and plastering in ordinary mortar [15]. This work mainly studies the proportioning experiment of preparing dry mixed mortar with washed MSWI FA to seek the optimal proportion of MSWI FA and other materials to meet the basic properties of ordinary masonry mortar.
Landfilling of MSWI FA after cement curing is a common method of MSWI FA disposal, which wastes cement and takes up land resources. If MSWI FA is used in dry mixed mortar, the cement can solidify heavy metals such as lead and cadmium in the MSWI FA, thereby reducing environmental pollution. This technology can not only effectively process MSWI FA but also reduce the consumption of non-renewable resources, decrease the land demand for MSWI FA landfills, and achieve waste utilization and environmental protection. This paper studies the addition of a water-reducing agent, expansion agent, cellulose, and MSWI FA to mortar and focuses on a new way to introduce this area through the conducted research, thereby reducing environmental pollution. This technology can not only effectively process MSWI fly ash but also reduce the consumption of nonrenewable resources, decrease the demand for land for MSWI FA landfills, and achieve waste utilization and environmental protection.

2. Materials and Methods

2.1. Materials

(1) The MSWI FA used in this experiment was obtained from an MSWI power plant (circulating fluidized bed boiler) in Jiangxi province. The particle size of the fly ash is less than 100 mesh, with an apparent gray color and a density of 1.82 g/cm3. The method described in [16] was used to dry the MSWI FA after three stages of countercurrent rinsing, resulting in a washed MSWI FA with a 1.70 g/cm3 density. The cement is Xin Shan Cement’s PO42.5 ordinary Portland cement, and the fly ash was obtained from State Power Investment Corporation Jiangxi Electric Power Co., Ltd. Jingdezhen Power Plant (Jingdezhen, China). The aggregate came from Jiangxi Technology Co., Ltd.’s limestone machine-made sand, and the main component of the machine-made sand (1#) is calcium carbonate.
(2) Admixtures water-reducing agent: Shanghai Xiaoshuo Chemical Co., Ltd. (Shanghai, China); expanding agent: Tangshan Polar Bear Building Materials Co., Ltd. (Tangshan, China); cellulose: Jinzhou Fuqiang Fine Chemical Co., Ltd. (Jinzhou, China). All experimental water was tap water, and deionized water was self-made in the laboratory.

2.2. Instruments and Equipment

The following intruments were used: self-leveling mortar fluidity test mold (Xinxing Instrument), water retention rate test mold (100X25GB/T3183, Zhejiang Shaoxing Yinayi Instrument Manufacturing Co., Ltd., Shaoxing, China), cement mortar mixer (JJ-20S, Zhejiang Lixian Testing Instrument Manufacturing Co., Ltd., Hangzhou, China), cement flexural and compressive all-in-one machine (YAM-300D, Zhejiang Yiyu Instrument Equipment Co., Ltd.), cement mortar compaction table (JJ-20LX, Zhejiang Lixian Testing Instrument Manufacturing Co., Ltd.), digital sand slurry consistency meter (SC-145, Tianjin Zhenhui Construction Instrument Co., Ltd., Tianjin, China), cement concrete constant temperature and humidity standard curing box (SHBY-40B, Zhejiang Jiyi Instrument and Meter Co., Ltd., Ningbo, China), cement mortar test mold (40 × forty × 160 mm, Wuxi Zhongke Construction Instrument Co., Ltd., Wuxi, China), X-ray analyzer (XRD, DX-2700B, Dandong Fangyuan Instrument Co., Ltd., Dandong, China), cold field emission scanning electron microscope (SEM, JSM-6700F, Japan Electronics Tokyo Metropolis, Japan), and plasma mass spectrometer (ICP-MS7700, Agilent Technology Co., Ltd., CA, USA).

2.3. Orthogonal Experimental Design

The L8 (27) orthogonal table experimental method was used to obtain the final optimal formula. Based on the literature review and single-factor exploration experiments, it can be seen that most studies focus on MSWI FA with a content between 10% and 15%. Introducing high MSWI FA content can easily lead to excessive chloride ion content, which cannot truly achieve the resource utilization of MSWI FA. Based on preliminary experiments, it was determined that the dosage of PO42.5 cement was between 15% and 17%, the dosage of water-reducing agent was between 0.15% and 0.18%, the dosage of cellulose was between 0.003% and 0.005%, and the dosage of expansion agent was between 0.03% and 0.05%. Seven main factors were investigated, and two levels were selected for each. The selected factors and levels are shown in Table 1.

2.4. Preparation Process

(1) Take 1000 g of each formula experiment, weigh various experimental materials according to the experimental design plan, add 260–320 mL of water to the container, and then homogenize it.
(2) Measure its consistency and water retention. Perform the test according to JGJ/T 70-2009 steps, record the data, and calculate the results.
(3) Then, pour 1000 g of mortar into 40 × 40 × 160 mm mold, compact and vibrate to eliminate as many bubbles as possible in the mortar, and shape it. Then, place it in a ventilated place with a temperature of around 25 °C and let it stand for 24 h. After forming, demold it and obtain 2 identical samples for each sample.
(4) After the trial mold is removed, place it into a curing box for curing until its age. After the expiration age, take out an instrument to measure the flexural and compressive strength of two samples at 7, 14, 21, and 28 d; take the average value; and record the data.
(5) Based on the optimal results obtained from orthogonal experiments, verify and measure its consistency, water retention, 28 d compressive strength, flexural strength, etc., and conduct XRD and SEM (EDS) analysis on the optimal sample for determining its leaching toxicity. HJ/T 300-2007 solid waste leaching toxicity was used. The leaching method for leaching toxicity was the acetic acid buffer solution method. This method used acetic acid buffer solution as the leaching agent, with a leaching time of 18 ± 2 h, and filtered to determine the heavy metal content in the filtrate [17].

3. Result and Discussion

3.1. Machine-Made Sand (1 #) Particle Size Composition

This experiment used two types of sand with different particle sizes for comparison. One group is machine-made sand (#1) (the particle size composition listed in Table 2 and was directly washed with MSWI FA. The other group is machine-made sand (#2), which has a fine particle size of less than 100 mesh and is replaced with washed MSWI FA.
The fineness modulus calculated according to JGJ 52-2006 “Standard for Quality and Inspection Methods of Sand and Stone for Ordinary Concrete” is 2.88.
We can calculate the fineness modulus ( M X ) of sand according to Equation (1):
M X = A 2 + A 3 + A 4 + A 5 + A 6 5 A 1 100 A 1
In the formula, MX—the cumulative sieve residue rate, %.
A1, A2, A3, A4, A5, A6—the accumulated percentages of 4.75 mm, 2.36 mm, 1.18 mm, 0.6 mm, 0.3 mm, and 0.15 mm sieves, respectively.
M X = A 2 + A 3 + A 4 + A 5 + A 6 5 A 1 100 A 1 = 9.52 + 38.55 + 58.68 + 80.93 + 100.00 5 × 0 100 0 = 2.88
The calculation result shows that the fineness modulus of sand #1 is 2.88, ranging from 2.3 to 3.0, which is medium sand.

3.2. Changes in Chemical Composition of MSWI FA Before and After Water Washing

It is necessary to detect the composition of MSWI FA to study the changes in its chemical composition before and after water washing. Table 3 shows the analysis results of the main chemical components of MSWI FA before and after water washing.
The results in Table 3 show that MSWI FA is a product of the CaO-SiO2-Al2O3 system formed under high-temperature conditions. It has certain similarities in composition with MSWI FA and slag and, therefore, has particular volcanic activity. However, unlike general MSWI FA, its SO3 content is relatively high [18].
After washing with MSWI FA, the removal rate of chloridion reached 91.68%. The chlorine ions in MSWI FA were also effectively removed, similar to the results obtained by Yun [19] and Mao [20] and others in the pre-treatment of MSWI FA with water washing and dechlorination, where the removal rate of chlorine reached over 90%. Water washing with dechlorination means removing chlorine (soluble chloride salts) in soluble form. The removal of soluble components from solid substances can generally be divided into two physical processes: dissolution and desorption. Metal oxides such as K2O and Na2O were also partially removed, and heavy metal oxides were also removed to a certain extent, with a removal rate of 30%–60%, similar to what was reported in the literature [21,22]. Removing heavy metals from the water washing solution follows the same principle as water washing dechlorination. Heavy metals’ desorption and dissolution processes play a similar role, so their removal process is more complex than that of chloride ions. The removal behavior is related to multiple factors, such as the pH value of the washing solution, ion strength, heavy metal salts’ solubility, and MSWI FA’s adsorption capacity. These factors have a comprehensive effect on the removal of heavy metals. This results in a high concentration of specific heavy metal ions in the washing solution, so it is necessary to treat it before it can be discharged [23]. At the same time, the increased content of SiO2, Al2O3, and CaO in MSWI FA washed with water is beneficial for improving the performance of dry mixed mortar [24].

3.3. Leaching Toxicity of MSWI FA Before and After Water Washing

The results of toxicity testing before and after washing MSWI FA with water are shown in Table 4. In Table 4, the leaching toxicity of MSWI FA itself includes zinc, cadmium, and lead, with leaching concentrations of 70.7 mg/L, 2.37 mg/L, and 0.94 mg/L, respectively, which are higher than the Standard for Pollution Control on the Landfill Site of Municipal Solid Waste GB16889-2024 (Table 1 standards) for landfills. Therefore, MSWI FA cannot be directly placed in a sanitary landfill and requires pre-treatment, such as chelation, before landfilling.
The leaching toxicity of MSWI fly ash itself includes zinc, cadmium, and lead, with leaching concentrations of 70.7 mg/L, 2.37 mg/L, and 0.94 mg/L, respectively, which are higher than the pollution control standard GB16889-2024 (Table 1 standards) for domestic waste landfills. Therefore, MSWI FA cannot be directly placed in a sanitary landfill and requires pre-treatment, such as chelation, before landfilling.
The leaching toxicity results of washed MSWI FA show that the detected heavy metals, including cadmium, chromium, lead, copper, and zinc, are significantly lower than those in the MSWI fly ash leaching solution. The leaching toxicity concentration of cadmium, chromium, and copper is lower than the requirements of the “Standard for Pollution Control on the Landfill Site of Municipal Solid Waste” (GB 16889-2024), but the leaching toxicity concentration of zinc is 1.39 mg/L, and the leaching toxicity concentration of lead is 0.283 mg/L, higher than the requirements of 0.15 mg/L and 0.25 mg/L in the GB 16889-2008. This indicates that MSWI fly ash cannot be placed in a sanitary landfill after washing. The research results are like those reported in the literature [27], and further pre-treatment solidification or resource utilization solidification must be carried out on the product.

3.4. XRD Analysis of MSWI Fly Ash Before and After Water Washing

Figure 1 shows the XRD pattern of MSWI FA before and after leaching. The lower part shows the washed MSWI FA, while the upper part shows the original MSWI FA. It can be seen that the main mineral phases in the original MSWI FA are halite (NaCl and KCl), dolomite (CaCO3•MgCO3), calcite (CaCO3), calcium sulfate (CaSO4), obsidian (SiO2) (the main component), and ettringite (3CaO•Al₂O3•3CaSO₄•32H₂O). This is due to the use of semi-dry deacidification and lime slurry spraying in the waste incineration flue gas purification system. The XRD diffraction pattern shows many small and wavy burrs, indicating that the MSWI FA contains many amorphous substances. In most cases, heavy metals in the MSWI FA are enriched in the amorphous phase and rarely distributed in the crystalline phase [28]. No crystalline phase of heavy metals was detected in the MSWI FA, as the heavy metal content in the MSWI FA is very low and often exists in an amorphous state. At the same time, it is readily encapsulated in the lattice by silicate or aluminosilicate substances [29]. After washing with water, the diffraction peaks of rock salt KCl and NaCl in MSWI FA disappear, indicating that soluble chloride salts have been removed. After being washed with deionized water, MSWI FA exhibits a significant Ca(OH)2 (calcium hydroxide) diffraction peak with low water solubility, where the reaction of alkaline oxides such as CaO with water may take place.

3.5. Scanning Electron Microscopy Analysis of Water-Washed MSWI Fly Ash

The scanning electron microscopy of MSWI fly ash before (a) and after (b) water washing is shown in Figure 2. The particle size of the original MSWI FA varies greatly, and the difference is relatively small, below 100 μm. The surface is rough polygonal, with spherical, flaky, and some irregular agglomerations. At the same time, the cohesion of the washed MSWI FA is relatively high, and smaller particles are adsorbed on the large particles. The adhesion and bonding of the large and small particles are relatively tight and pile into clusters. Comparing the scanning electron microscopy images of the original MSWI FA with that of the washed MSWI FA, it can be found that there are fewer small particles in the washed MSWI FA and fewer attachments on the large particles, indicating that some fine particles have been removed after the MSWI FA is washed.

3.6. Analysis of L8 (27) Orthogonal Experimental Results

Partial orthogonal experimental physical samples of dry mixed mortar after 28 days of curing are shown in Figure 3. The results of compressive and flexural strength of mortar samples prepared with washed MSWI fly ash at 7, 14, and 28 d are shown in Table 2. By analyzing the experimental results on days 7, 14, and 28, due to the need to consider compressive and flexural factors in this experiment, it was decided to comprehensively analyze the experimental results of the orthogonal experiment by adding the compressive and flexural strength of the experimental results. The result of the sum of compressive and flexural strength is recorded as the comprehensive strength of the evaluation indicator. The calculated comprehensive strength (CCS) is 0.3 × (7-day FS + CS) + 0.3 (14-day FS + CS) + 0.4 (28-day FS + CS).
The analysis of L8 (27) orthogonal experimental and calculation results are shown in Table 2. The intuitive analysis of factor levels is shown in Figure 2, and the flexural, compressive strength of the mortar using 170 g of cement with 500 g of ingredient is more robust than that of the dry mixed mortar using 150 g of cement. The reason is that the cement content impacts the consistency and air content of the mortar. The higher the cement content, the lower the air content, and the higher the mortar strength [30]. Using retained fine-grained sand and gravel can obtain mortar with higher flexural and compressive strength because the dry mixed mortar made of retained fine-grained sand and gravel has smaller voids, a better filling rate, and denser strength. The effect of 100 g of water-washed MSWI FA is higher than that of 150 g of water. This indicates that in the case of directly using sand and gravel without sieving out the fine particles in the sand and gravel, the more the water-washed MSWI FA ash, the better. If there are too many fine particles in the ingredients, the particle size distribution of the ingredients cannot be guaranteed, which is unfavorable for providing dry mixed mortar strength. The relationship between factors and indicators is indicated in Figure 4.
Given the range R results of the L8 (27) orthogonal experiment in Table 5, the primary and secondary relationships of factors affecting the flexural and compressive comprehensive strength of dry mixed mortar are B (fly ash) > E (water-reducing agent) > D (water-washed MSWI FA) > F (cellulose) > C (sand and gravel) > A (P.O42.5 cement) > G (expansion agent). Under the premise of only considering the flexural and compressive comprehensive strength, A2B1C2D1E1F1G2 is the optimal combination for the orthogonal experiment, with a large amount of PO42.5 cement used. When a low dosage is selected for other conditions, the bending and compressive strength are high. That is, the optimal combination for orthogonal experiments is 170 g of cement (weight ratio of 16.66%), 750 g of original sand and gravel (weight ratio of 73.50%), 100 g of parts of washed MSWI fly ash (weight ratio of 9.8%), 1.5 g of additional water-reducing agent (weight ratio of 0.147%), 0.03 g of cellulose (weight ratio of 0.003%), and 0.3 g of expansion agent (weight ratio of 0.029%). This research result has not been reported yet.
The results of the variance analysis of the orthogonal experiment are shown in Table 5. It can be seen in the table that factors B (fly ash) and E (water educating agent) have a significant impact on the indicators, while factors D (water-washed MSWI fly ash) and F (cellulose) have a more significant impact on the indicators. The contribution rates to the indicators are 37.01%, 32.99%, 9.37%, and 8.72%, respectively. Based on the results of range and variance analysis, it can be determined that the repeatability of the range and variance analysis results is good, and factors B (fly ash) and E (water-reducing agent) are the main factors affecting the compressive and flexural strength of dry mixed mortar. (See Table 6).
Admixtures are a vital link in dry mixed mortar, and the type and quantity of admixtures and the adaptability between admixtures are related to the quality and performance of dry mixed mortar [31]. They are used to increase the workability and bonding strength of dry mixed mortar, improve its crack resistance, reduce permeability, and make it unsuitable for bleeding and separation, thereby improving the construction performance of dry mixed mortar and reducing production costs [32].
Water-reducing agents reduce water consumption and improve fluidity; an expansion agent is used to improve the compactness of concrete. Cellulose can improve the water retention of mortar, enhance the bonding performance of mortar, and appropriately increase the tensile elongation and shear strength, improving the construction effect.
Cellulose is a natural polymer compound that can form chemical bonds with cement and sand, forming a network structure, thereby increasing the bonding strength of mortar. This bonding force can make the mortar firmer and less prone to cracking and detachment. Cellulose can improve the tensile strength of mortar, which is easily affected by tensile force during construction. Without sufficient tensile strength, cracking and fracture may occur. Adding cellulose can also increase the toughness and elasticity of mortar, thereby improving its tensile strength and reducing the risk of cracking and fracture. Mortar is easily affected by environmental factors such as water, wind, and sunlight during long-term use. Adding cellulose can make mortar more durable and less susceptible to these environmental factors, extending its service life. Therefore, adding cellulose is a practical construction method that can improve the quality and performance of mortar and ensure the safety and stability of the building [33].
By using the optimal formula composition for verification, the consistency of the sample can reach 91.8 mm, and the water retention rate can reach 93.6%. The flexural strength of the sample at 28 days can reach 7.5 MPa, and the compressive strength at 28 days can reach 28.30 MPa, meeting the requirements of dry mixed mortar for ordinary plastering and masonry mortar (GB-T25181-2019) [34].

3.7. XRD, SEM, and EDS Analysis of Samples

XRD and sample images of dry mixed mortar samples after 28 days of curing are shown in Figure 5. The XRD of the dry mixed mortar sample after 28 days of curing is mainly composed of calcite CaCO3 and dolomite MgCa(CO3)2. Due to the small amount of water-washed MSWI fly ash used in dry mixed mortar, most of the chlorine and other metals are removed during the washing process, so XRD cannot detect the crystal composition containing intermediate metals formed by cement solidification.
Figure 6 shows the SEM image of the dry mixed mortar after 28 days of curing. Observing Figure 6a × from 1k, many crisscrossing fibrous substances intersect with particulate matter. In Figure 6b × from 5k, it can be seen that these fibers should be added to the ingredients, which have a promoting effect on improving the water retention and bonding properties of the mortar, as well as improving the flexural and compressive strength and improving the construction effect. In Figure 6c × from 10k and Figure 6d × from 20k, it can be seen that solid particles are relatively tightly bound together, and there are many rod-shaped, needle-shaped, and sheet-shaped crystals. These are the morphology types of the main crystal phase calcite crystals in dry mixed mortar, which help to increase the bonding force between solids, thereby enhancing the flexural and compressive strength of the mortar sample.
From a macro perspective, mortar includes cement, machine-made sand, and micro aggregates. Micro aggregates mainly refer to ultrafine admixtures, pores, and water. From a microscopic perspective, cement mortar contains hydrated products, hydrated cement particles, and capillary pores, and hydrated products include crystals, gel, and gel pores. Therefore, dry mixed mortar is a porous body with different pores. In this porous body, the number of pores and gel is crucial in determining the mortar’s strength and durability. The fewer the pores, the denser the mortar, and the better the durability. On the contrary, the worse the mortar, the worse the gel. The higher the strength of the mortar, the lower the strength of the gel [35].
The dry mixed mortar adopts a low water–cement ratio, and the number of pores is significantly reduced after hardening. The superfine admixtures can also improve the grading of the powder aggregate and significantly reduce the number of pores so that the dry mixed mortar can form a highly dense microstructure. In addition, the superfine admixtures are highly active and reactive, consume many crystals, and produce many gels, which significantly contribute to the strength [36].
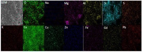
Figure 7 shows the EDS analysis results of dry mixed mortar samples after 28 days of curing, while Table 7 shows the local EDS analysis results (wt. %) of dry mixed mortar samples after 28 days of curing. The random points (1, 2, and 3) of the dense body in Figure 7 of dry mixed mortar are mainly composed of Ca, Al, Si, and O, which are the primary constituent elements of dry mixed mortar, similar to the composition of washed MSWI fly ash, cement, and sand used in the formula.
In Table 7, it can be seen that the content of the main elements is relatively close, with little difference. The average value of the highest O element is 38.244% (mol.61.98%), followed by Ca, at 26.939% (mol.17.45%), and Si, at 7.609% (mol.7.05%), indicating that the composition is relatively uniform. At the same time, a certain amount of iron, titanium, lead, cadmium, and other elements are present, with an average value of 9.61% (mol.1.20%) for Pb and 2.103% (mol.0.26%) for Cd. The agglomerated particles of heavy metal elements such as Pb and Cd have been embedded in the network structure of the dry mixed mortar, with a dense structure. Compared to Table 3, the leaching toxicity of Cu, Zn, Cd, and Pb in the sample is very low, indicating that these heavy metals have been solidified well into the dry mixed mortar and have not been leached out. This is because there is a small amount of washed MSWI fly ash, cement, and well-graded limestone sand (fineness modulus 2.88) in the formula of dry mixed mortar, as well as the composite interaction of additives such as cellulose, water-reducing agent, and expansion agent, which makes the dry mixed mortar have a good heavy metal stabilization effect. The research results are like the literature [37].
As listed in Table 8, due to the small amount of water-washed MSWI fly ash used in dry mixed mortar, the leaching solution of the dry mixed mortar sample after 28 days of curing contains a small amount of Cu, Zn, Cd, Pb, etc. The heavy metal leaching concentration in the sample of dry mixed mortar after 28 days was obviously lower than that in the water-washed MSWI fly ash and MSWI fly ash, indicating that the produced dry mixed mortar has high resistance to acid leaching. Due to the low amount of water-washed MSWI fly ash, the leaching toxicity of the sample is very low, and it is inferred that a small proportion of heavy metals in the raw materials was incorporated into the cement phase during the concrete-curing process and was effectively solidified. In addition, compared with the concentration limit of heavy metals in the leaching solution in standard GB5085.3-2007 and the EPA Land Disposal Limit (LDR) [38], the leaching concentration of heavy metals in dry mixed mortar is considerably lower than the limit value. This way, the threat of heavy metals to both human health and the environment was significantly reduced.
The main products of cement hydration were C-S–H gels, Ca(OH)2, ettringite, C3AH6, C4AH13, etc., among which C-S–H gels had a highly disordered layer structure and strong ion-adsorption and -exchange ability. Therefore, C-S–H gels could stabilize many heavy metals such as Pb, Cd, Cr, Hg, Cu, Zn, Ni, and so on by means of physical adsorption, chemical adsorption, symbiosis, and interlayer chemical replacement [39]. Ettringite was also a typical layered structure of LDH consisting of a positively charged [Ca2Al(OH)6]+ layered structure and negatively charged interlayer anion X [40]. Therefore, the structure of ettringite was adjustable, and the interlayer ions were exchangeable; for example, Ca2+ could be replaced by Pb2+, Cd2+, Zn2+, and Ni2+; Al3+ could be replaced by Cr 3+ and Mn3+; and SO42− could be replaced by Cl, CrO42−, AsO42−, and SeO42−. In addition, Ca(OH)2 could also stabilize some heavy metal ions such as Cd, Ni, and Pb via a precipitation reaction [41].
It can be concluded that the solidification forms of heavy metal ions in cement-based materials were as follows: (1) the formation of hydroxide or alkaline double salt deposited in an alkaline environment; (2) adsorption on the surface of hydrated C–S–H gels; (3) chemically bonded by replacing the corresponding ions in hydrated products such as C–S–H gels or ettringite.
Zhu [42] reported that in the solidification system, the waste components in MSWI fly ash react with the cement-solidification system in the following ways (or more): adsorption, chemical absorption, precipitation, ion exchange, passivation, surface coordination (coordination), encapsulation, and combination with hydration products. He [43] believed that in the process of cement solidification of MSWI fly ash, reducing the leaching concentration of heavy metals was mainly due to the physical coating and adsorption of C-S-H gel on heavy metals, the double decomposition precipitation reaction of heavy metals in an alkaline environment, and the isomorphous replacement of silicate minerals on heavy metals. Hevenin and Pera [44] found that the solidification of Pb is mainly due to the following reasons:
Adsorption: C-S-H + Pb ification
Homomorphic substitution: C-S-H + Pb is mainly
Precipitation reaction: Pb + OH + Ca + SO42− double salt → Pb(OH)2 + PbSO4
Kumarathasan [45] and Kwangwoo [46] found that ettringite (3CaO•Al2O3•3CaSO4•32H2O) was formed in the hydration products of cement‚ and CrO42− becomes an isomorphic substitute for SO42− in ettringite. As a result, Cr is solidified in the lattice.
Lan and Wang’s [47] research on the synthesis of lead-containing ettringite indicates that ettringite can accommodate Pb(II) in its lattice when sulfate is present, thus giving rise to chemical entrapment. C-S-H has a high capacity to adsorb lead at higher pH values. According to the chemical changes in lead-containing cement slurry, the precipitations of lead hydroxide and sulfate make a great contribution to the solidification of lead in cement.
Metal ions, such as Pb2+ and Cd2+ in fly ash, under the combined action of silicate cement in dry mixed mortar and fibers in cellulose (see the Figure 6b), crisscross and form a solidified material, which is not leached out.
The above effects are present in the slag MSWI FA system. In addition, zeolite minerals such as hydrated calcium aluminosilicate produced after slag hydration also constrain the heavy metals in MSWI FA through adsorption and cation exchange, reducing their heavy metal leaching concentration; this may also be the main reason why the solidified MSWI FA of slag binder is superior to cement.
The hydration reaction products of MSWI FA solidification mainly include Ca(OH)2 ettringite, poorly crystallized hydrated calcium silicate, and hydrated calcium aluminosilicate. These hydration products stabilize heavy metals through adsorption, precipitation, ion exchange, surface coordination (complexation), physical encapsulation, and other forms, thus reducing the leaching concentration of heavy metals.
Most of the middle metals in washed MSWI FA are solidified into dry mixed mortar products, so even if used under long-term rainy season conditions, the leaching solution of this sample will not have adverse effects on the surface water and groundwater environment and is safe. As a joint dry mixed mortar used in construction projects, it will not cause harm to the environment and human health. These research results can provide a reliable basis for the resource utilization of MSWI FA.

4. Conclusions

(1) The main components in washed MSWI FA are calcium oxide CaO, silica SiO2, alumina Al2O3, calcium carbonate CaCO3, calcium magnesium carbonate (dolomite) CaMg (CO3)2, etc. After washing, the content of heavy metals and chloride ions in MSWI FA is significantly reduced. After calculation, the MSWI FA’s chloride ion removal rate after water washing reaches 90.64%.
(2) The optimal formula for this experiment was determined through orthogonal experiments: 16.6% cement, 73.5% sand and gravel, 9.8% washed MSWI FA, 0.147% water-reducing agent, 0.003% cellulose, and 0.049% expansion agent. The consistency of the validation sample can reach 91.8 mm, and the water retention rate can reach 93.6%. The flexural strength of the sample after 28 days can reach 7.5 MPa, and the compressive strength after 28 days can reach 28.30 MPa. The sample’s XRD analysis indicated that its main components are calcite CaCO3, dolomite MgCa(CO3), etc. The scanning electron microscope image found that many calcite crystals were formed, including those that were rod-shaped, needle-shaped, and sheet-shaped.
(3) Due to the small amount of washed MSWI FA used in dry mixed mortar, leaching toxicity analysis was conducted on the samples after 28 days of curing, and it was found that the primary heavy metal pollutants were copper, zinc, cadmium, and lead. The leaching concentration is much lower than the “Identification Standard for Hazardous Waste” (GB 5085.3-2007). Metal ions, such as Pb2+ and Cd2+ in fly ash, under the combined action of silicate cement in dry mixed mortar and fibers in cellulose, crisscross and form a solidified material, which is not leached out. Therefore, even under long-term rainy season conditions, when used as ordinary dry mixed mortar in construction projects, the toxicity of the leaching solution of this sample will not have adverse effects on the surface water and groundwater environment. It is feasible, and meaningful exploration has been conducted to determine the resource utilization of MSWI FA.
(4) By utilizing MSWI FA resources, the demand for landfills can be effectively reduced, and the pressure on land resources can be lowered. It can reduce environmental pollution and avoid potential environmental problems that may arise during the landfill process. By selling resource-based products, processing costs can be recovered, and additional income can be generated, providing significant economic and environmental benefits.

Author Contributions

Conceptualization, S.Z. and Y.C.; methodology, S.Z. and Y.C.; software, H.W. and J.C.; validation, Y.C., S.Z. and D.W.; formal analysis, S.Z., Y.C. and Z.Z.; investigation, J.C. and D.W.; resources, S.Z. and Y.C.; data curation, D.W.; writing—original draft preparation, H.W. and D.W.; writing—review and editing, S.Z. and Y.C.; visualization, S.Z. and Y.C.; supervision, S.Z.; project administration, S.Z. and Y.C.; funding acquisition, S.Z. and Y.C.; All authors have read and agreed to the published version of the manuscript.

Funding

This research was funded by Jiangxi Mortar Technology Co., Ltd., Jingdezhen, China.

Institutional Review Board Statement

Not applicable.

Informed Consent Statement

Not applicable.

Data Availability Statement

Data are contained within the article.

Acknowledgments

The authors are grateful to the National Engineering Research Center for Domestic and Building Ceramics, JCU, and the Jiangxi Key Laboratory of Advanced Ceramic Materials and Jiangxi Mortar Technology Co., Ltd., Jingdezhen, Jiangxi, China, for the assistance in analytical measurements.

Conflicts of Interest

Author Shengjun Zhang was employed by the company Jiangxi Mortar Technology Co., Ltd. The remaining authors declare that the research was conducted in the absence of any commercial or financial relationships that could be construed as a potential conflict of interest. The authors declare that this study received funding from Jiangxi Mortar Technology Co., Ltd. The funder was not involved in the study design, collection, analysis, interpretation of data, the writing of this article or the decision to submit it for publication.

Abbreviations

αReliability.
Critical values under different reliability.
CCSCalculated comprehensive strength.
CRContribution rate (%).
CSCompressive strength.
CVCritical value.
Elt.Element.
fFreedom.
FSFlexural strength.
FVF value.
I. LIgnition Loss.
K1Sum of CCS at level 1.
K2Sum of CCS at level 2.
kAverage value of K.
k1Average value of K1.
k2Average value of K2.
MPCLMaximum pollutant concentration level.
NDNot detected.
RRange.
SSignificance.
SSDSum of squared deviations.
SVSource of variance.
VVariance.

References

  1. Liu, H.Q.; Wei, G.X. New Technology of Incineration Fly Ash Treatment; China Petrochemica Press: Beijing, China, 2021. [Google Scholar]
  2. Zhang, Z.L. Study on innocent treatment and resource utilization of domestic solid waste incineration fly ash. Guangdong Chem. Indu. 2022, 49, 143–144+163. [Google Scholar]
  3. Zhang, C.F.; Ding, C.Y. Research progress on treatment technology of MSWI fly ash. J. Sci. Technol. 2015, 38, 134–138. [Google Scholar]
  4. Wang, P.; Li, J.S.; Hu, Y.N.; Cheng, H.F. Solidification and stabilization of Pb–Zn mine tailing with municipal solid waste incineration fly ash and ground granulated blast-furnace slag for unfired brick fabrication. J. Environ. Pollut. 2023, 321, 121135. [Google Scholar] [CrossRef] [PubMed]
  5. Ma, W.; Chen, D.; Pan, M.; Gu, T.; Zhong, L.; Chen, G.; Yan, B.; Cheng, Z. Performance of chemical chelating agent stabilization and cement solidification on heavy metals in MSWI fly ash: A comparative study. J. Environ. Manag. 2019, 247, 169–177. [Google Scholar] [CrossRef] [PubMed]
  6. Liu, B.J.; Yang, L.; Shi, J.Y.; Zhang, S.P.; Ça, G. Abdullah Faisal Alshalif, Effect of curing regime on the immobilization of municipal solid waste incineration fly ash in sustainable cement mortar. J. Environ. Pollut. 2023, 317, 120–839. [Google Scholar] [CrossRef] [PubMed]
  7. Shao, Y.; Zhang, W.; Zhu, Y.; Dou, T.; Chu, L. Preparation of municipal solid waste incineration fly ash-based ceramsite and its mechanisms of heavy metal immobilization. Waste Manag. 2022, 143, 54–60. [Google Scholar] [CrossRef]
  8. Zhang, C.; Zhao, L. Study on Properties of Glass Ceramics Prepared by Sintering MSWI fly ash and Coal fly ash. Environ. Sci. Manag. 2024, 49, 70–74. [Google Scholar]
  9. Xing, J.X.; Tang, Q.Y.; Gan, M.; Ji, Z.Y.; Fan, X.H.; Sun, Z.Q.; Chen, X.L.; Jing, Q. Preparation of glass ceramic by low-temperature melting of municipal solid waste incineration fly ash and municipal sludge. Mater. Lett. 2024, 359, 135962. [Google Scholar] [CrossRef]
  10. Chen, L.; Wang, Y.S.; Wang, L.; Zhang, Y.; Li, J.; Tong, L.; Hu, Q.; Dai, J.G.; Tsang, D.C. Stabilisation/solidification of municipal solid waste incineration MSWI fly ash by phosphate-enhanced calcium aluminate cement. J. Hazard Mater. 2021, 408, 124404. [Google Scholar] [CrossRef]
  11. Chen, L.; Wang, L.; Cho, D.W.; Tsang, D.C.; Tong, L.; Zhou, Y.; Yang, J.; Hu, Q.; Poon, C.S. Sustainable stabilization/solidification of municipal solid waste incinerator fly ash by incorporation of green materials. J. Clean. Prod. 2019, 222, 335–343. [Google Scholar] [CrossRef]
  12. Lu, N.; Ran, X.; Pan, Z.; Korayem, A.H. Use of Municipal Solid Waste Incineration fly ash in Geopolymer Masonry Mortar Manufacturing. Materials 2022, 15, 8689. [Google Scholar] [CrossRef] [PubMed]
  13. Zimar, Z.; Robert, D.; Giustozzi, F.; Zhou, A.; Setunge, S.; Kodikara, J. Use of industrial wastes for stabilizing expansive clays in pavement applications: Durability and microlevel investigation. Acta Geotech. 2024, 19, 6259–6287. [Google Scholar] [CrossRef]
  14. Cho, Y.K.; Jung, S.H.; Choi, Y.C. Effects of chemical composition of MSWI fly ash on compressive strength of MSWI fly ash cement mortar. Constr. Build. Mater. 2019, 204, 255–264. [Google Scholar] [CrossRef]
  15. Pei, C.L.; Ma, L.; Xia, T.T.; Li, S. Optimization and application of the washing dechlorination process for municipal solid waste incineration MSWI fly ash. ACS Omega 2023, 8, 4081–4091. [Google Scholar] [CrossRef]
  16. Liu, J.; Hu, L.; Tang, L.; Ren, J. Utilization of municipal solid waste incinerator fly ash with metakaolin for preparation of alkali-activated cementitious material. J. Hazard Mater. 2021, 402, 123451. [Google Scholar] [CrossRef]
  17. Qiu, Q.; Jiang, X.; Chen, Z. Microwave-Assisted Hydrothermal Treatment with Soluble Phosphate Added for Heavy Metals Solidification in MSWI Fly Ash. Energy Fuels 2017, 31, 5222–5232. [Google Scholar] [CrossRef]
  18. Li, C.; Zhang, P.; Li, D. Study on low-cost preparation of glass–ceramic from municipal solid waste incineration fly ash and lead–zinc tailings. Construct. Build. Mater. 2022, 356, 129231. [Google Scholar] [CrossRef]
  19. Yun, M.W.; Liu, S.J.; Yao, R.X.; Chen, S.; Gao, J.M.; Shimaoka, T. Removal of harmful components from MSWI fly ash as a pretreatment approach to enhance waste recycling. Waste Manag. 2022, 150, 110–121. [Google Scholar]
  20. Mao, Y.; Wu, H.; Wang, W.; Jia, M.; Che, X. Pretreatment of municipal solid waste incineration fly ash and preparation of solid waste sosulpho aluminate cementations material. J. Hazard. Mater. 2020, 385, 121580. [Google Scholar] [CrossRef]
  21. Gollakota, A.; Villi, V.; Shu, C.M. Progressive utilization prospects of coal CFA: A review. J. Sci. Total Environ. 2019, 672, 951–989. [Google Scholar] [CrossRef]
  22. Marietta, C.; Guerrero, A.; Leon, I. Municipal solid waste incineration fly ash to produce eco-friendly binders for sustainable building construction. Waste Manag. 2021, 120, 114–124. [Google Scholar] [CrossRef] [PubMed]
  23. Xu, S.; Hu, H.; Guo, G.; Gong, L.; Liu, H.; Yao, H. Investigation of properties change 4 the reacted molten salts after molten chlorides cyclic thermal treatment of toxic MSWI fly ash. J. Hazard. Mater. 2022, 421, 126536. [Google Scholar] [CrossRef] [PubMed]
  24. Zhan, X.; Wang, L.; Wang, L.; Gong, J.; Wang, X.; Song, X.; Xu, T. Co-sintering MSWI fly ash with electrolytic manganese residue and coal MSWI fly ash for lightweight ceramists. Chemosphere 2021, 263, 127914. [Google Scholar] [CrossRef]
  25. Qiao, H.; Huang, J.; Zhou, S.F. Municipal solid waste landfill criteria of the United States. Environ. Sanit. Eng. 1999, 7, 133–137. [Google Scholar]
  26. The Federal Ministry for the Environment. Nature Conservation and Nu—Clear Safety: 2006 Municipal Solid Waste Management in Germany; The Federal Ministry for the Environment: Bonn, Germany, 2006. [Google Scholar]
  27. Zhang, S.; Chen, Z.; Lin, X.; Wang, F.; Yan, J. Kinetics and fusion characteristics of municipal solid waste incineration fly ash during thermal treatment. Fuel 2020, 279, 118410. [Google Scholar] [CrossRef]
  28. Zhang, Y.; Ma, Z.; Fang, Z.; Qian, Y.; Zhong, P.; Yan, J. Review of harmless treatment of municipal solid waste incineration fly ash. Waste Dispos. Sustain. Energy 2020, 2, 1–25. [Google Scholar] [CrossRef]
  29. Zhao, K.; Hu, Y.; Tian, Y.; Chen, D.; Feng, Y. Chlorine removal from MSWI fly ash by thermal treatment: Effects of iron/aluminum additives. J. Environ. Sci. 2020, 88, 112–121. [Google Scholar] [CrossRef] [PubMed]
  30. Zheng, Y.G.; Shen, D.S.; Chen, Z.B. Experimental study on collaborative disposal of solid waste incineration fly ash in cement kilns. Zhejiang Univ. (Sci. Ed.) 2011, 38, 562–569. [Google Scholar] [CrossRef]
  31. Min, Y.; Qin, C.D.; Shi, P.Y.; Liu, C.J.; Feng, Y.T.; Liu, B.C. Effect municipal solid waste incineration fly ash addition on the iron ore sintering process, mineral phase and metallurgical properties of iron ore sinter. ISIJ Int. 2017, 57, 1955–1961. [Google Scholar] [CrossRef]
  32. Peppicelli, C.; Cleall, P.; Sapsford, D.; Harbottle, M. Changes in metal speciation and mobility during electrokinetic treatment of industrial wastes: Implications for remediation and resource recovery. Sci. Total Environ. 2018, 624, 1488–1503. [Google Scholar] [CrossRef]
  33. Spychał, E.; Stępień, P. Effect of Cellulose Ether and Starch Ether on Hydration of Cement Processes and Fresh-State Properties of Cement Mortars. Materials 2022, 15, 8764. [Google Scholar] [CrossRef] [PubMed]
  34. Silva, R.V.; Brito, D.J.; Lynn, C.J.; Dhir, R.K. Use of municipal solid waste in-cineration bottom ashes in alkali activated materials, ceramics and granular applications: A review. Waste Manag. 2017, 68, 207–220. [Google Scholar] [CrossRef] [PubMed]
  35. Zhang, Y.; Labianca, C.; Chen, L.; Gisi, S.D.; Wang, L. Sustainable ex-situ remediation of contaminated sediment: A review. Environ. Pollut. 2021, 287, 117333. [Google Scholar] [CrossRef] [PubMed]
  36. Mu, Y.; Saffarzadeh, A.; Shimaoka, T. Utilization of waste natural fishbone for heavy metal stabilization in municipal solid waste incineration fly ash. J. Clean. Prod. 2018, 172, 3111–3118. [Google Scholar] [CrossRef]
  37. Quina, M.J.; Bontempi, E.; Bogush, A.; Schlumberger, S.; Weibel, G.; Braga, R.; Funari, V.; Hyks, J.; Rasmussen, E.; Lederer, J. Technologies for the management of MSW incineration ashes from gas cleaning: New perspectives on recovery of secondary raw materials and circular economy. Sci. Total Environ. 2018, 635, 526–542. [Google Scholar] [CrossRef]
  38. USEPA Method 1311:1992. Toxicity characterization leaching proce dure (TCLP). In: Response, office of solid waste and emergency. U.S. Environmental Protection Agency, Test Methods for Evaluat ing Solid Waste, SW-846: Washington, DC, USA.
  39. Shao, Y.; Hou, H.; Wang, G.; Wang, S.; Zhou, M. Characteristics of the stabilized/solidifed municipal solid wastes incineration fy ash and the leaching behavior of Cr and Pb. Front. Environ. Sci. Eng. 2016, 10, 192–200. [Google Scholar] [CrossRef]
  40. Paul, G.; Boccaleri, E.; Buzzi, L.; Canonico, F.; Gastaldi, D. Friedel’s salt formation in sulfoaluminate cements: A combined XRD and 27 Al MAS NMR study. Cem. Concr. Res. 2015, 67, 93–102. [Google Scholar] [CrossRef]
  41. Cornelis, G.; Van Gerven, T.; Vandecasteele, C. Antimony leaching from uncarbonated and carbonated MSWI bottom ash. J. Hazard. Mater. 2006, 137, 1284–1292. [Google Scholar] [CrossRef]
  42. Zhu, Z.; Guo, Y.; Zhao, Y.; Zhou, T. Carbon reclamation from biogas plant flue gas for immobilizing lead and neutralizing alkalis in municipal solid waste incineration MSWI fly ash. Chem. Eng. J. 2022, 435, 134812. [Google Scholar] [CrossRef]
  43. He, J.H.; Hou, H.B.; Zhang, D.J. Study on cement solidification of municipal solid waste incineration fly ash. Environ. Pollut. Contr. 2006, 28, 425–428. [Google Scholar] [CrossRef]
  44. Thevenin, G.; Pera, J. Interaction between lead and different binders. Cem. Concr. Res. 1999, 29, 1605–1610. [Google Scholar] [CrossRef]
  45. Kumarathasan, P.; McCarthy, G.J.; Hasset, D.; Plughoeft-Hasset, D.F. Oxyanion substituted ettringites: Synthesis and characterization, and their potential role in immobilization of As, B, Cr, Se and V. Mater. Res. Soc. Symp. Proc. 1990, 178, 83–104. [Google Scholar] [CrossRef]
  46. Kwangwoo, W.; Oguzhan, S.; Kejin, W.; Yunsu, L. Characterization and evaluation of cement-based systems containing solution-treated municipal solid-waste incineration MSWI fly ash. Constr. Build. Mater. 2024, 416, 135230. [Google Scholar]
  47. Lan, J.K.; Wang, Y.X. Mechanisms of Pb2+ Solidified by Composite Cement. Bull. Chin. Ceram. Soc. 2005, 4, 11–15. [Google Scholar]
Figure 1. XRD pattern of MSWI fly ash before and after washing: (a) Original MSWI fly ash; (b) Water-washed MSWI fly ash.
Figure 1. XRD pattern of MSWI fly ash before and after washing: (a) Original MSWI fly ash; (b) Water-washed MSWI fly ash.
Coatings 14 01355 g001
Figure 2. SEM image of the original MSWI fly ash (a) and after washing (b).
Figure 2. SEM image of the original MSWI fly ash (a) and after washing (b).
Coatings 14 01355 g002
Figure 3. Partial orthogonal experimental physical samples of dry mixed mortar after 28 days of curing.
Figure 3. Partial orthogonal experimental physical samples of dry mixed mortar after 28 days of curing.
Coatings 14 01355 g003
Figure 4. Relationship between factors and indicators.
Figure 4. Relationship between factors and indicators.
Coatings 14 01355 g004
Figure 5. XRD images of dry mixed mortar samples after 28 days of curing.
Figure 5. XRD images of dry mixed mortar samples after 28 days of curing.
Coatings 14 01355 g005
Figure 6. SEM images of dry mixed mortar after 28 days of curing: (a) ×1k, (b) ×5k, (c) ×10k, (d) ×20k.
Figure 6. SEM images of dry mixed mortar after 28 days of curing: (a) ×1k, (b) ×5k, (c) ×10k, (d) ×20k.
Coatings 14 01355 g006
Figure 7. EDS images of dry mixed mortar after 28 days of curing.
Figure 7. EDS images of dry mixed mortar after 28 days of curing.
Coatings 14 01355 g007
Table 1. Factors and levels.
Table 1. Factors and levels.
FactorPO42.5 Cement
(A) (g)
Fly Ash (B) (g)Machine-Made Sand (C) (g)Water-Washed MSWI FA
(D) (g)
Water-Reducing Agent (E) (g)Cellulose
(F) (g)
Expansion Agent
(G) (g)
level 11500750 (1)1001.50.030.5
level 217020750 (2)1501.80.050.3
Table 2. Analysis of particle size composition of mechanized sand (1#).
Table 2. Analysis of particle size composition of mechanized sand (1#).
Mesh+44–88–1616–3030–5050–100
Unitemm4.752.36–4.751.18–2.361.18–0.600.30–0.600.15–0.30
%09.5229.0320.1322.2519.07
%0 (A1)9.52 (A2)38.55 (A3)58.68 (A4)80.93 (A5)100.00 (A6)
Table 3. Chemical composition of MSWI FA before and after water washing.
Table 3. Chemical composition of MSWI FA before and after water washing.
NameBefore Washing
(%)
After Washing
(%)
NameBefore Washing
(%)
After Washing
(%)
SiO222.4625.29SrO0.050.04
Al2O310.9311.82NiO0.060.02
Fe2O34.534.75CuO0.180.11
CaO26.5630.95ZrO20.020.04
MgO3.452.91Cr2O30.070.02
K2O2.170.60ZnO0.630.43
Na2O3.791.71BaO0.340.21
P2O53.913.53PbO0.09/
SO32.984.06Cl3.850.32
MnO0.120.13I. L12.8412.08
TiO20.960.96Total99.9999.98
Table 4. Leaching toxicity of MSWI FA before and after water washing.
Table 4. Leaching toxicity of MSWI FA before and after water washing.
Elt.Before WashingAfter WashingDetection LimitGB16889-2024 U.S. EPA MCL [25]Germany
Class I [26]
(mg/L)
Hg6.6 × 10−4ND2 × 10−40.050.0020.005
As4.89 × 10−4ND1.0 × 10−40.30.050.2
Se7.1 × 10−4ND1.0 × 10−40.10.030.03
Cr(VI)0.092ND0.0041.50.050.05
Cd2.370.110.010.150.050.05
Zn70.71.390.011002.02.0
Cr0.760.160.024.51.00.3
Ba0.51ND0.06255.05.0
Cu10.40.600.01401.01.0
Ni0.40ND0.020.50.20.2
Pb0.940.2830.0060.250.20.2
Table 5. L8 (27) orthogonal experiment analysis of variance.
Table 5. L8 (27) orthogonal experiment analysis of variance.
SVSSDfVFVCV (Fα)S CR (%)
A1.4211.42 F0.01(1,3) = 34.1
F0.05(1,3) = 10.1
F0.10(1,3) = 5.54
B54.905154.90522.754* 37.01
C5.81715.817
D15.697115.6976.505(*) 9.37
E49.193149.19320.386*32.99
F14.780114.7806.125(*)8.72
G0.00310.003
e {A, C, G}7.24032.413 11.91
T141.815 100.00
* Remarkable; (*) Quite significant.
Table 6. Results of flexural and compressive strength on L8 (27) orthogonal experiments.
Table 6. Results of flexural and compressive strength on L8 (27) orthogonal experiments.
No.Factor and Level7 d14 d28 d
ABCDEFGFSCSFSCSFSCSCCS
(MPa)
11111114.1114.306.1323.137.4127.5028.27
11122223.4213.944.9211.254.8214.6017.83
12211224.7116.875.3116.255.9016.8822.05
12222113.9214.595.4311.566.429.3816.97
21212125.3122.395.7115.606.6021.3825.90
21221214.7316.806.1219.386.4021.5625.29
22112213.4214.753.828.754.0213.4016.19
22121123.9318.204.012.195.6318.4021.11
K185.1297.2883.492.496.7285.1297.28
K288.4876.3290.281.276.8888.4876.32
k121.28 24.32 20.85 23.10 24.18 23.06 21.68
k222.12 19.08 22.55 20.30 19.22 20.34 21.72
R0.84 5.24 1.71 2.80 4.96 2.72 0.04
Table 7. EDS analysis results of dry mixed mortar after 28 days of curing.
Table 7. EDS analysis results of dry mixed mortar after 28 days of curing.
Elt.ONaMgAlSiSKCaCuZnFeCdPbTotal
wt. (%)38.2441.1762.0034.4047.6092.1880.55626.9391.7251.0112.4272.1039.610100.000
mol.2.3900.0510.0830.1630.2720.0680.0140.6730.0270.0160.0430.0100.046
mol (%).61.981.322.154.227.051.760.3617.450.700.411.100.261.20100.00
Table 8. Leaching toxicity of samples.
Table 8. Leaching toxicity of samples.
Heavy Metals (mg/L)CuZnCdNiPb
MSWI FA10.470.72.372.70.94
Water-washed MSWI FA0.4431.640.390.140.249
Sample of dry mixed mortar after curing for 28 days0.0170.1430.0030.0020.007
GB5085.3-2007 50500.353
EPA Land Disposal Limit (LDR)-4.30.11110.75
Disclaimer/Publisher’s Note: The statements, opinions and data contained in all publications are solely those of the individual author(s) and contributor(s) and not of MDPI and/or the editor(s). MDPI and/or the editor(s) disclaim responsibility for any injury to people or property resulting from any ideas, methods, instructions or products referred to in the content.

Share and Cite

MDPI and ACS Style

Zhang, S.; Cheng, Y.; Wu, H.; Cong, J.; Zhou, Z.; Wei, D. Research on the Preparation of Dry Mixed Mortar Using Waste Incineration Fly Ash. Coatings 2024, 14, 1355. https://doi.org/10.3390/coatings14111355

AMA Style

Zhang S, Cheng Y, Wu H, Cong J, Zhou Z, Wei D. Research on the Preparation of Dry Mixed Mortar Using Waste Incineration Fly Ash. Coatings. 2024; 14(11):1355. https://doi.org/10.3390/coatings14111355

Chicago/Turabian Style

Zhang, Shengjun, Yue Cheng, Huiyong Wu, Junjun Cong, Zhengyuan Zhou, and Dechong Wei. 2024. "Research on the Preparation of Dry Mixed Mortar Using Waste Incineration Fly Ash" Coatings 14, no. 11: 1355. https://doi.org/10.3390/coatings14111355

APA Style

Zhang, S., Cheng, Y., Wu, H., Cong, J., Zhou, Z., & Wei, D. (2024). Research on the Preparation of Dry Mixed Mortar Using Waste Incineration Fly Ash. Coatings, 14(11), 1355. https://doi.org/10.3390/coatings14111355

Note that from the first issue of 2016, this journal uses article numbers instead of page numbers. See further details here.

Article Metrics

Back to TopTop