Effects of Laser Remelting on Microstructure, Wear Resistance, and Impact Resistance of Laser-Clad Inconel625-Ni/WC Composite Coating on Cr12MoV Steel
Abstract
1. Introduction
2. Materials and Experimental Procedures
3. Results and Discussion
3.1. Determination of LR Process Parameters
3.2. Phase
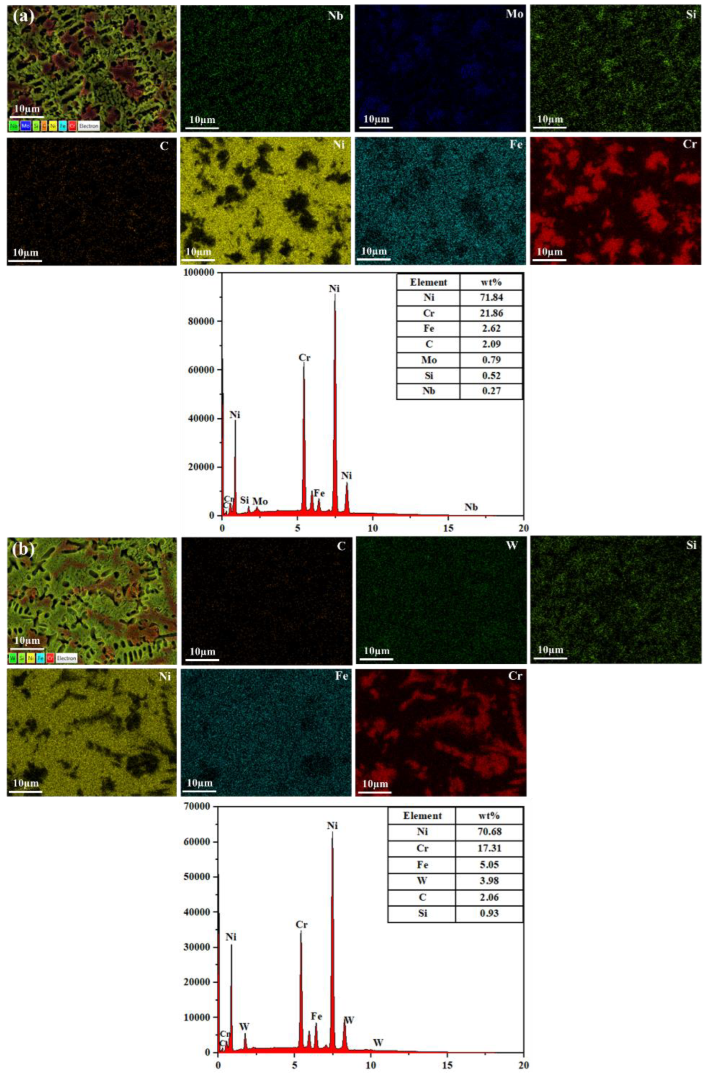
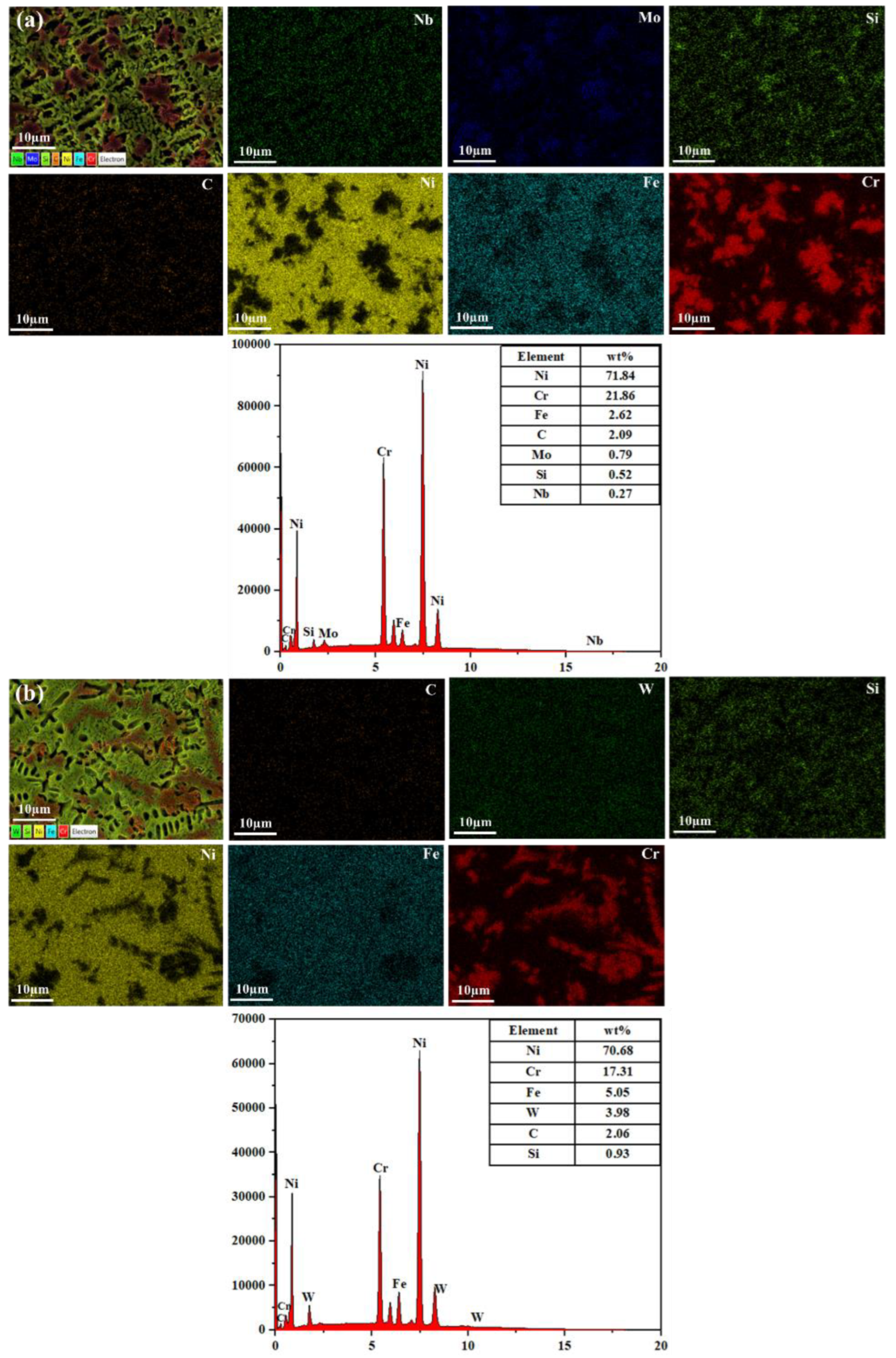
3.3. Microstructure
3.4. Microhardness
3.5. Wear Resistance
3.6. Impact Resistance
4. Conclusions
- (1)
- The optimal laser energy density for the LR test was 25.0 J/mm2, and the surface quality was significantly improved after LR. LR did not change the phases of the composite coating, and the surface phases of the coating remained γ-(Fe, Ni), FeNi3, CrB, Cr7C3, Cr23C6, etc. The γ-(Fe, Ni) solid solution and FeNi3 were mainly concentrated in the interdendritic structures, while the dendrites were mainly composed of eutectic compounds such as Cr7C3 and Cr23C6. The microstructure of the Ni/WC layer was more dense and finer, with cellular crystals, columnar crystals, and disordered growth of fine equiaxed dendrites in order from the bottom to the top.
- (2)
- The depth of influence of the LR was about 2.0 mm, and the average microhardness of the Ni/WC layer in the remelted composite coating increased slightly. The average friction coefficient and wear rate of LRed Inconel625-Ni/WC composite coating were 0.457 and 2.08 × 10−6 mm3N−1m−1, respectively, which were 5.38% and 50.12% lower than before LR. The wear surface became smoother, showing abrasive wear, and the wear resistance was significantly improved.
- (3)
- The impact toughness value of the Inconel625-Ni/WC composite coating reached 5.15 J/cm2 after LR, which was 13.44% higher than Inconel625-Ni/WC composite coating. After LR, the fracture morphology of the Inconel625 layer at the bottom of the LRed Inconel625-Ni/WC composite coating still showed the characteristic of ductile fracture, but some dimples appeared in the top area of the Ni/WC layer of the composite coating. The impact resistance of the composite coating was further improved.
Author Contributions
Funding
Institutional Review Board Statement
Informed Consent Statement
Data Availability Statement
Conflicts of Interest
References
- Zhang, J.; Xu, H.; Shi, H.; Wu, J.; Sun, D. Microstructure and properties of spray formed Cr12MoV steel for rolls. J. Mater. Process. Technol. 2001, 111, 79–84. [Google Scholar] [CrossRef]
- Liu, C.; Li, C.; Zhang, Z.; Sun, S.; Zeng, M.; Wang, F.; Guo, Y.; Wang, J. Modeling of thermal behavior and microstructure evolution during laser cladding of AlSi10Mg alloys. Opt. Laser Technol. 2019, 123, 105926. [Google Scholar] [CrossRef]
- Bartkowski, D.; Bartkowska, A.; Jurči, P. Laser cladding process of Fe/WC metal matrix composite coatings on low carbon steel using Yb: YAG disk laser. Opt. Laser Technol. 2021, 136, 106784. [Google Scholar] [CrossRef]
- Fesharaki, M.N.; Razavi, R.S.; Mansouri, H.A.; Jamali, H. Microstructure investigation of Inconel 625 coating obtained by laser cladding and TIG cladding methods. Surf. Coat. Technol. 2018, 353, 25–31. [Google Scholar] [CrossRef]
- Ji, X.; Luo, C.; Jin, J.; Zhang, Y.; Sun, Y.; Fu, L. Tribocorrosion performance of 316L stainless steel enhanced by laser clad 2-layer coating using Fe-based amorphous powder. J. Mater. Res. Technol. 2022, 17, 612–621. [Google Scholar] [CrossRef]
- Bai, Q.; Ouyang, C.; Zhao, C.; Han, B.; Liu, Y. Microstructure and Wear Resistance of Laser Cladding of Fe-Based Alloy Coatings in Different Areas of Cladding Layer. Materials 2021, 14, 2839. [Google Scholar] [CrossRef]
- Xu, P.; Zhu, L.; Xue, P.; Yang, Z.; Wang, S.; Ning, J.; Meng, G.; Lan, Q.; Qin, S. Microstructure and properties of IN718/WC-12Co composite coating by laser cladding. Ceram. Int. 2022, 48, 9218–9228. [Google Scholar] [CrossRef]
- Lewis, S.R.; Fretwell-Smith, S.; Goodwin, P.S.; Smith, L.; Lewis, R.; Aslam, M.; Fletcher, D.I.; Murray, K.; Lambert, R. Improving rail wear and RCF performance using laser cladding. Wear 2016, 366–367, 268–278. [Google Scholar] [CrossRef]
- Zhu, L.; Xue, P.; Lan, Q.; Meng, G.; Ren, Y.; Yang, Z.; Xu, P.; Liu, Z. Recent research and development status of laser cladding: A review. Opt. Laser Technol. 2021, 13, 106915. [Google Scholar] [CrossRef]
- Gao, Y.; Tong, Y.; Guohui, L.; Lu, P.; Zhang, D. Microstructure and Mechanical Properties of Ni-based Alloy Composite Coating on Cr12MoV by Laser Cladding. Coatings 2022, 12, 1632. [Google Scholar] [CrossRef]
- Fang, L.; Yan, H.; Yao, Y.; Zhang, P.; Gao, Q.; Qin, Y. Reactive Fabrication and Effect of Nbc on Microstructure and Tribological Properties of Crs Co-based Self-lubricating Coatings by Laser Cladding. Materials 2017, 11, 44. [Google Scholar] [CrossRef]
- Liang, R.; Huang, C.; Hao, H.; Liu, F.; Liu, F.; Song, M.; Ke, L. Microstructure and mechanical properties of 34CrNiMo6 steel repaired by laser remelting. J. Mater. Res. Technol. 2020, 9, 13870–13878. [Google Scholar] [CrossRef]
- Brodie, E.G.; Medvedev, A.E.; Frith, J.E.; Dargusch, M.S.; Fraser, H.L.; Molotnikov, A. Remelt processing and microstructure of selective laser melted Ti25Ta. J. Alloys Compd. 2020, 820, 153082. [Google Scholar] [CrossRef]
- Yu, Y.; Zhang, M.; Guan, Y.; Wu, P.; Chong, X.; Li, Y.; Tan, Z. The Effects of Laser Remelting on the Microstructure and Performance of Bainitic Steel. Metals 2019, 9, 912–923. [Google Scholar] [CrossRef]
- Wang, Z.; Zhang, Q.; Bagheri, R.; Guo, P.; Yao, Y.; Yang, L.; Song, Z. Influence of laser surface remelting on microstructure and degradation mechanism in simulated body fluid of Zn-0.5Zr alloy. J. Mater. Sci. Technol. 2019, 35, 2705–2713. [Google Scholar] [CrossRef]
- Wu, T.; Shi, W.; Xie, L.; Gong, M.; Huang, J.; Xie, Y.; He, K. Effects of re-melting process parameters on the forming quality of the Stellite 6/WC laser cladding layer. Optik 2022, 269, 169887. [Google Scholar] [CrossRef]
- Li, Y.; Li, Y.; Wang, W.; Lei, M.; Li, X. Synthesis Fe-Ni protective coating on 45 steel by laser remelting nickel pre-coating dopped with Fe-based amorphous powders. Mater. Charact. 2021, 176, 111129. [Google Scholar] [CrossRef]
- Liu, M.; Jiang, H.; Chang, G.; Xu, Y.; Ma, F.; Xu, K. Effect of laser remelting on corrosion and wear resistance of Fe82Cr16SiB alloy coatings fabricated by extreme high-speed laser cladding. Mater. Lett. 2022, 325, 132823. [Google Scholar] [CrossRef]
- Cai, Z.; Cui, X.; Liu, Z.; Li, Y.; Dong, M.; Jin, G. Microstructure and wear resistance of laser cladded Ni-Cr-Co-Ti-V high-entropy alloy coating after laser remelting processing. Opt. Laser Technol. 2018, 99, 276–281. [Google Scholar] [CrossRef]
- Zhou, S.; Xu, Y.; Liao, B.; Sun, Y.; Dai, X.; Yang, J.; Li, Z. Effect of laser remelting on microstructure and properties of WC reinforced Fe-based amorphous composite coatings by laser cladding. Opt. Laser Technol. 2018, 103, 8–16. [Google Scholar] [CrossRef]
- Coleman, S.P.; Sichani, M.M.; Spearot, D.E. A computational algorithm to produce virtual X-ray and electron diffraction patterns from atomistic simulations. JOM 2014, 66, 408–416. [Google Scholar] [CrossRef]
- Wang, X.; Sun, W.; Chen, Y.; Zhang, J.; Huang, Y.; Huang, H. Research on trajectory planning of complex curved surface parts by laser cladding remanufacturing. Int. J. Adv. Manuf. Technol. 2018, 96, 2397–2406. [Google Scholar] [CrossRef]
- Ma, B.; Li, J.; Peng, Z.; Zhang, G. Structural morphologies of Cu-Sn-Bi immiscible alloys with varied compositions. J. Alloys Compd. 2012, 535, 95–101. [Google Scholar] [CrossRef]
- Liu, S.; Zhu, H.; Peng, G.; Yin, J.; Zeng, X. Microstructure prediction of selective laser melting AlSi10Mg using finite element analysis. Mater. Des. 2018, 142, 319–328. [Google Scholar] [CrossRef]

















| C | Cr | Mo | V | Si | Mn | Ni | S | P | Fe |
|---|---|---|---|---|---|---|---|---|---|
| 1.45–1.70 | 11.0–12.5 | 0.4–0.6 | 0.15–0.30 | ≦0.4 | ≦0.4 | ≦0.25 | ≤0.03 | ≤0.03 | Balance |
| No. | Laser Power (W) | Scanning Speed (mm/s) | Laser Energy Density (J/mm2) |
|---|---|---|---|
| 1 | 400 | 8 | 16.7 |
| 2 | 600 | 8 | 25.0 |
| 3 | 800 | 8 | 33.3 |
| 4 | 1000 | 8 | 41.7 |
| Samples | Substrate | Inconel625-Ni/WC Composite Coating | LRed Inconel625-Ni/WC Composite Coating |
|---|---|---|---|
| Abrasion depth (µm) | 808.87 | 732.71 | 653.17 |
| Abrasion width (µm) | 29.23 | 27.17 | 23.04 |
| Samples | Substrate | Inconel625-Ni/WC Composite Coating | LRed Inconel625-Ni/WC Composite Coating |
|---|---|---|---|
| Impact energy (J) | 2.19 | 3.63 | 4.12 |
| Impact toughness value (J/cm2) | 2.74 | 4.54 | 5.15 |
Disclaimer/Publisher’s Note: The statements, opinions and data contained in all publications are solely those of the individual author(s) and contributor(s) and not of MDPI and/or the editor(s). MDPI and/or the editor(s) disclaim responsibility for any injury to people or property resulting from any ideas, methods, instructions or products referred to in the content. |
© 2023 by the authors. Licensee MDPI, Basel, Switzerland. This article is an open access article distributed under the terms and conditions of the Creative Commons Attribution (CC BY) license (https://creativecommons.org/licenses/by/4.0/).
Share and Cite
Wei, Y.; Feng, A.; Chen, C.; Shang, D.; Pan, X.; Xue, J. Effects of Laser Remelting on Microstructure, Wear Resistance, and Impact Resistance of Laser-Clad Inconel625-Ni/WC Composite Coating on Cr12MoV Steel. Coatings 2023, 13, 1039. https://doi.org/10.3390/coatings13061039
Wei Y, Feng A, Chen C, Shang D, Pan X, Xue J. Effects of Laser Remelting on Microstructure, Wear Resistance, and Impact Resistance of Laser-Clad Inconel625-Ni/WC Composite Coating on Cr12MoV Steel. Coatings. 2023; 13(6):1039. https://doi.org/10.3390/coatings13061039
Chicago/Turabian StyleWei, Yacheng, Aixin Feng, Chunlun Chen, Dazhi Shang, Xiaoming Pan, and Jianjun Xue. 2023. "Effects of Laser Remelting on Microstructure, Wear Resistance, and Impact Resistance of Laser-Clad Inconel625-Ni/WC Composite Coating on Cr12MoV Steel" Coatings 13, no. 6: 1039. https://doi.org/10.3390/coatings13061039
APA StyleWei, Y., Feng, A., Chen, C., Shang, D., Pan, X., & Xue, J. (2023). Effects of Laser Remelting on Microstructure, Wear Resistance, and Impact Resistance of Laser-Clad Inconel625-Ni/WC Composite Coating on Cr12MoV Steel. Coatings, 13(6), 1039. https://doi.org/10.3390/coatings13061039

