Antireflection Enhancement by Composite Nanoporous Zeolite 3A–Carbon Thin Film
Abstract
1. Introduction
2. Materials and Methods
2.1. Preparation of Substrates
2.2. Materials
2.3. Materials Characterizations
3. Results and Discussion
3.1. SEM and XRD Analyses
3.2. Raman Spectroscopy
3.3. Antireflectance and Optical-Polarization Properties
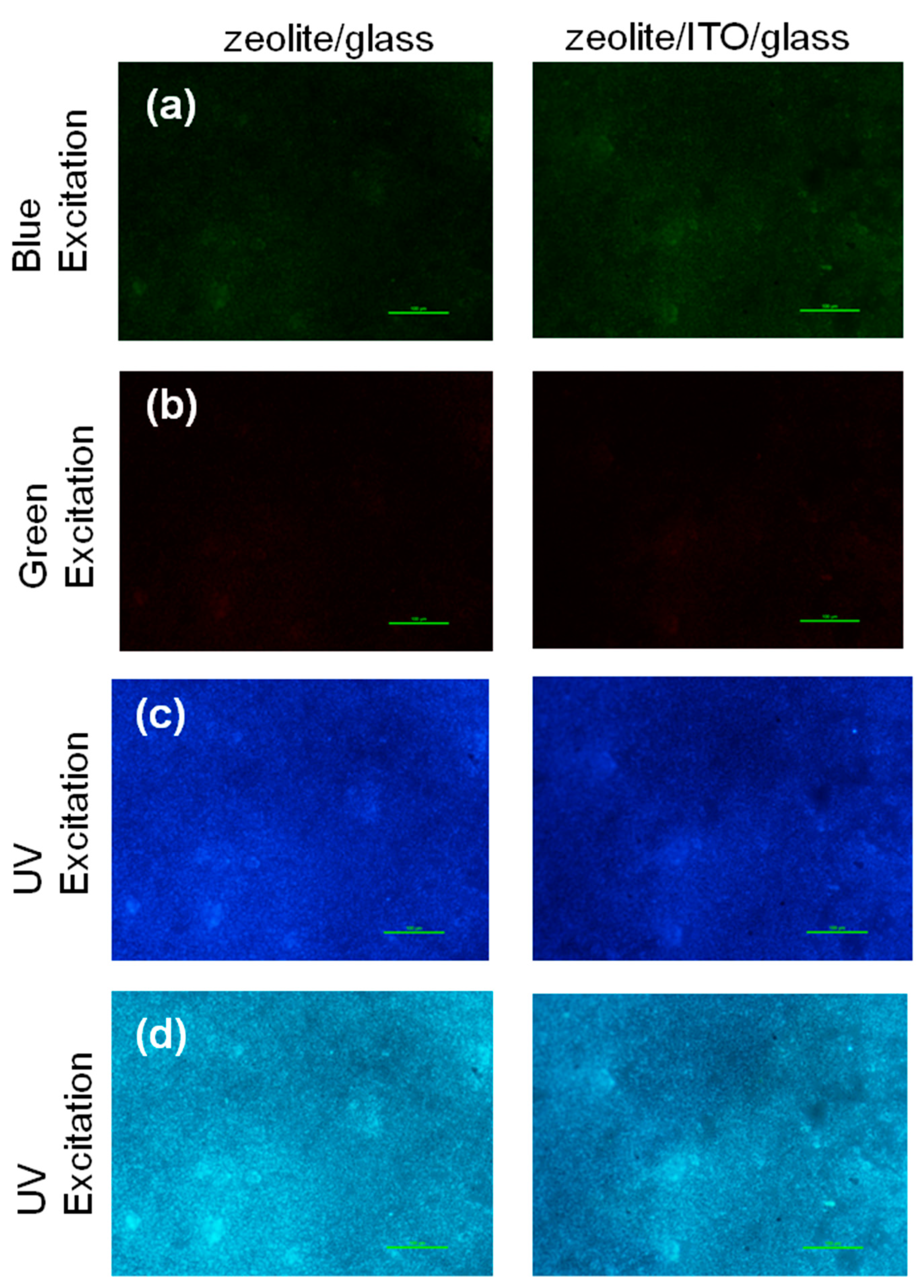
3.4. Fluorescence Spectroscopy and Imaging
3.5. Nanosecond Fluorescence Decay
4. Conclusions
Supplementary Materials
Author Contributions
Funding
Acknowledgements
Conflicts of Interest
References
- Solanki, C.S.; Singh, H.K. Anti-Reflection and Light Trapping in c-Si Solar Cells; Springer: Berlin, Germany, 2017. [Google Scholar]
- Chiang, A.S.T.; Wong, L.-J.; Li, S.-Y.; Cheng, S.-L.; Lee, C.-C.; Chen, K.-L.; Chen, S.-M.; Lee, Y.-J. Zeolite anti-reflection coating for transparent substrates. Stud. Surf. Sci. Catal. 2007, 170, 1583–1589. [Google Scholar]
- Mon-Pérez, E.; Dutt, A.; Santoyo-Salazar, J.; Sánchez, M.; Santana, G. Double stack layer structure of SiNx/pm-Si thin films for downshifting and antireflection properties. Mater. Lett. 2017, 203, 50–53. [Google Scholar] [CrossRef]
- Rhodes, C.J. Properties and applications of zeolites. Sci. Prog. 2010, 93, 223–284. [Google Scholar] [CrossRef] [PubMed]
- Krogman, K.C.; Druffel, T.; Sunkara, M.K. Anti-reflective optical coatings incorporating nanoparticles. Nanotechnology 2005, 16, S338–S343. [Google Scholar] [CrossRef] [PubMed]
- Chen, C.H.; Li, S.-H.; Chiang, A.S.T.; Wu, A.T.; Sun, Y.S. Scratch-resistant zeolite anti-reflective coating on glass for solar applications Solar Energy. Mater. Sol. Cells 2011, 95, 1694–1700. [Google Scholar] [CrossRef]
- Barua, N.K.; Ragini, T.; Subasr, R. Sol-gel derived single-layer zeolite-based coatings on glass for broadband antireflection properties. J. Non Cryst. Solids 2017, 469, 51–55. [Google Scholar] [CrossRef]
- Cao, L.; Hao, H.; Dutta, P.K. Fabrication of high-performance antifogging and antirefective coatings using faujasitic nanozeolites. Microporous Mesoporous Mater. 2018, 263, 62–70. [Google Scholar] [CrossRef]
- Tatlier, M.; Atalay-Oral, C. Preparation of zeolite X coatings on soda-lime type glass plates. Braz. J. Chem. Eng. 2017, 34, 203–210. [Google Scholar]
- Fiorillo, A.S. Deposition of zeolite thin layers onto silicon wafers for biomedical use. IEEE Trans. Nanotechnol. 2012, 11, 654–656. [Google Scholar] [CrossRef]
- Fiorillo, A.S.; Tiriolo, R.; Pullano, S.A. Absorption of urea into zeolite layer integrated with microelectronic circuits. IEEE Trans. Nanotechnol. 2015, 14, 214–217. [Google Scholar] [CrossRef]
- Pullano, S.A.; Rudenko, S.; Stetsenko, M.; Krishchenko, I.; Maksymenko, L.; Synyuk, V.; Fiorillo, A.S. Antireflection properties of composite zeolite gold nanoparticles film. Electron. Lett. 2018, 54, 370–372. [Google Scholar]
- Fiorillo, A.S.; Rudenko, S.P.; Stetsenko, M.O.; Maksimenko, L.S. Optical polarization properties of zeolite thin films: Aspects for medical applications. In Proceedings of the 2016 IEEE International Symposium on Medical Measurements and Applications (MeMeA 2016), Benevento, Italy, 15–18 May 2016. [Google Scholar]
- Stetsenko, M.О.; Voznyi, A.A.; Kosyak, V.V.; Rudenko, S.P.; Maksimenko, L.S.; Serdega, B.K.; Opanasuk, A.S. Plasmonic effects in tin disulfide nanostructured thin films obtained by the close-spaced vacuum sublimation. Plasmonics 2017, 12, 1213–1220. [Google Scholar] [CrossRef]
- Rudenko, S.P.; Stetsenko, M.O.; Krishchenko, I.M.; Maksimenko, L.S.; Kaganovich, E.B.; Serdega, B.K. Surface plasmons in porous gold films. Opt. Spectrosc. 2016, 120, 540–545. [Google Scholar] [CrossRef]
- Liu, J.C.; Wang, N.; Yu, Y.; Yan, Y.; Zhang, H.Y.; Li, J.Y.; Yu, J.H. Carbon dots in zeolites: A new class of thermally activated delayed fluorescence materials with ultralong lifetimes. Sci. Adv. 2017, 3, e1603171. [Google Scholar] [CrossRef] [PubMed]
- Bourlinos, A.B.; Zbořil, R.; Petr, J.; Bakandritsos, A.; Krysmann, M.; Giannelis, E.P. Luminescent surface quaternized carbon dots. Chem. Mater. 2012, 24, 6–8. [Google Scholar] [CrossRef]
- Yang, Z.-P.; Ci, L.; Bur, J.A.; Lin, S.-Y.; Ajayan, P.M. Experimental observation of an extremely dark material made by a low-density nanotube array. Nano Lett. 2008, 8, 446–451. [Google Scholar] [CrossRef]
- Yang, Z.-P.; Hsieh, M.-L.; Bur, J.A.; Ci, L.; Hanssen, L.M.; Wilthan, B.; Ajayan, P.M.; Lin, S.-Y. Experimental observation of extremely weak optical scattering from an interlocking carbon nanotube array. Appl. Opt. 2011, 50, 1850–1855. [Google Scholar] [CrossRef]
- Peng, Y.-J.; Huang, H.-X.; Xie, H. Rapid fabrication of antireflective pyramid structure on polystyrene film used as protective layer of solar cell. Sol. Energy Mater. Sol. Cells 2017, 171, 98–105. [Google Scholar] [CrossRef]
- Khan, S.B.; Irfan, S.; Zhuanghao, A.; Lee, S.L. Influence of refractive index on antireflectance efficiency of thin films. Materials 2019, 12, 1483. [Google Scholar] [CrossRef]
- Purcar, V.; Rădiţoiu, V.; Dumitru, A.; Nicolae, C.-A.; Frone, A.N.; Anastasescu, M.; Rădiţoiu, A.; Raduly, M.F.; Gabor, R.A.; Căprărescu, S. Antireflective coating based on TiO2 nanoparticles modified with coupling agents via acid-catalyzed sol-gel method. Appl. Surf. Sci. 2019, 487, 819–824. [Google Scholar] [CrossRef]
- Hudaya, C.; Jeon, B.J.; Verdianto, A.; Lee, J.K.; Sung, Y.-E. Antiglare and antireflective coating of layer-by-layer SiO2 and TiZrO2 on surface-modified glass. Appl. Surf. Sci. 2019, 490, 278–282. [Google Scholar] [CrossRef]
- Jilavi, M.H.; Mousavi, S.H.; Müller, T.S.; de Oliveira, P.W. Dual functional porous anti-reflective coatings with a photocatalytic effect based on a single layer system. Appl. Surf. Sci. 2018, 439, 323–328. [Google Scholar] [CrossRef]
- Nishijima, Y.; Komatsu, R.; Ota, S.; Seniutinas, G.; Balčytis, A.; Juodkazis, S. Anti-reflective surfaces: Cascading nano/microstructuring. APL Photonics 2016, 1, 076104. [Google Scholar] [CrossRef]
- Stetsenko, M.O.; Matyash, I.E.; Rudenko, S.P.; Minailova, I.A.; Maksimenko, L.S.; Serdega, B.K. New type of plasmonic biosensors based on modulation polarimetry technique. In Proceedings of the IEEE International Young Scientists Forum on Applied Physics and Engineering, Lviv, Ukraine, 17–20 October 2017. [Google Scholar]
- Ayele, L.; Pérez-Pariente, J.; Chebude, Y.; Diaz, I. Synthesis of zeolite A from Ethiopian kaolin. Microporous Mesoporous Mater. 2015, 215, 29–36. [Google Scholar] [CrossRef]
- Commercial Database “International Centre for Diffraction Data PDF-2 Release 2012”. Available online: http://www.icdd.com/pdfsearch (accessed on 18 October 2019).
- Xu, M.; Huang, Q.; Sun, R.; Wang, X. Simultaneously obtaining fluorescent carbon dots and porous active carbon for supercapacitors from biomass. RSC Adv. 2016, 6, 88674. [Google Scholar] [CrossRef]
- Qu, S.; Wang, X.; Lu, Q.; Liu, X.; Wang, L. A biocompatible fluorescent ink based on water-soluble luminescent carbon nanodots. Angew. Chem. Int. Ed. Engl. 2012, 51, 12215–12223. [Google Scholar] [CrossRef]
- Liu, J.; Zhang, H.; Wang, N.; Yu, Y.; Cui, Y.; Li, J.; Yu, J. Template-modulated afterglow of carbon dots in zeolites: Room-temperature phosphorescence and thermally activated delayed fluorescence. ACS Mater. Lett. 2019, 1, 58–63. [Google Scholar] [CrossRef]
- Zhu, S.; Meng, Q.; Wang, L.; Zhang, J.; Song, Y.; Jin, H.; Zhang, K.; Sun, H.; Wang, H.; Yang, B. Highly photoluminescent carbon dots for multicolor patterning, sensors, and bioimaging. Angew. Chem. Int. Ed. 2013, 52, 3953–3957. [Google Scholar] [CrossRef]
- Voitsihovska, O.O.; Rudenko, R.M.; Povarchuk, V.Y.; Abakumov, A.A.; Bychko, I.B.; Stetsenko, M.O.; Rudenko, M.P. The effect of electron irradiation on the electrical properties of reduced graphene oxide paper. Mater. Lett. 2019, 236, 334–336. [Google Scholar] [CrossRef]
- Dutta, P.K.; Del Barco, B. Raman spectroscopy of zeolite A: Influence of Si/AI ratio. J. Phys. Chem. 1988, 92, 354–357. [Google Scholar] [CrossRef]
- Das, I.; De, G. Zeolite crystals embedded nanotextured coating with hydrophobic surface: An innovation toward next generation solar cover glass for efficient light-harvesting. Adv. Mater. Interfaces 2016, 3, 1500848. [Google Scholar] [CrossRef]
- Zhu, G.Y.; Zhu, X.; Fan, Q.; Wan, X.L. Raman spectra of amino acids and their aqueous solutions. Spectrochim. Acta A 2011, 78, 1187–1195. [Google Scholar] [CrossRef] [PubMed]
- Stepanenko, B.N. Organic Chemistry Course: A Textbook for University Students, 3rd ed.; (Overwork and Add) Higher School: Moscow, Russia, 1979; p. 432. [Google Scholar]
- Afseth, N.K.; Segtnan, V.H.; Marquardt, B.J.; Wold, J.P. Raman and near-infrared spectroscopy for quantification of fat composition in a complex food model system. Appl. Spectrosc. 2005, 59, 1324–1332. [Google Scholar] [CrossRef] [PubMed]
- Selim, M.; Abd El-Maksoud, I.H. Hydrogenation of edible oil over zeolite prepared from local kaolin. Microporous Mesoporous Mater. 2004, 74, 79–85. [Google Scholar] [CrossRef]
- Lee, H.; Cho, B.-K.; Kim, M.S.; Lee, W.-H.; Tewari, J.; Baed, H.; Sohn, S.-I.; Chi, H.-J. Prediction of crude protein and oil content of soybeans using Raman spectroscopy. Sens. Actuators B 2013, 185, 694–700. [Google Scholar] [CrossRef]
- Reckmeier, C.J.; Schneider, J.; Susha, A.S.; Rogach, A.L. Luminescent colloidal carbon dots: Optical properties and effects of doping. Opt. Express 2016, 24, A312. [Google Scholar] [CrossRef]
- Dong, Y.; Pang, H.; Yang, H.B.; Guo, C.; Shao, J.; Chi, Y.; Li, C.M.; Yu, T. Carbon-based dots co-doped with nitrogen and sulfur for high quantum yield and excitation-independent emission. Angew. Chem. Int. Ed. Engl. 2013, 52, 7800–7804. [Google Scholar] [CrossRef]
- Da Silva, D.S.; Côrtes, A.D.S.; Oliveira, M.H., Jr.; Motta, E.F.; Viana, G.A.; Mei, P.R.; Marques, F.C. Application of amorphous carbon based materials as antireflective coatings on crystalline silicon solar cells. J. Appl. Phys. 2011, 110, 043510. [Google Scholar] [CrossRef]
- Anguita, J.V.; Ahmad, M.; Haq, S.; Allam, J.; Silva, S.R.P. Ultra-broadband light trapping using nanotextured decoupled graphene multilayers. Sci. Adv. 2016, 2, e1501238. [Google Scholar] [CrossRef]
- Rudenko, S.P.; Stetsenko, M.O.; Maksimenko, L.S.; Kryvyi, S.B.; Serdega, B.K.; Fiorillo, A.S.; Pullano, S.A. Optical Polarization Characteristics of Zeolite Deposited on Different Substrates for Perspective Modulation Biosensor Systems; Springer: Berlin, Germany, 2018; pp. 213–222. [Google Scholar]
- Wicht, G.; Ferrini, R.; Schuttel, S.; Zuppiroli, L. Nanoporous films with low refractive index for large-surface broad-band anti-reflection coatings. Macromol. Mater. Eng. 2010, 295, 628–636. [Google Scholar] [CrossRef]
- Mao, X.-J.; Zheng, H.-Z.; Long, Y.-J; Du, J.; Hao, J.-Y.; Wang, L.-L.; Zhou, D.-B. Study on the fluorescence characteristics of carbon dots. Spectrochim. Acta Part A 2010, 75, 553–557. [Google Scholar] [CrossRef] [PubMed]
- Sun, W.; Du, Y.X.; Wang, Y.Q. Study on fluorescence properties of carbogenic nanoparticles and their application for the determination of ferrous succinate. J. Lumin. 2010, 130, 1463–1469. [Google Scholar] [CrossRef]
- Sun, Y.-P.; Zhou, B.; Lin, Y.; Wang, W.; Fernando, K.S.; Pathak, P.; Meziani, M.J.; Harruff, B.A.; Wang, X.; Wang, H. Quantum-sized carbon dots for bright and colorful photoluminescence. J. Am. Chem. Soc. 2006, 128, 7756–7757. [Google Scholar] [CrossRef] [PubMed]
- Gilbert, Y.; Kongbonga, M.; Ghalila, H.; Onana, M.B.; Majdi, Y.; Lakhdar, Z.B.; Mezlini, H.; Sevestre-Ghalila, S. Characterization of vegetable oils by fluorescence spectroscopy food and nutrition. Sciences 2011, 2, 692–699. [Google Scholar]
- Wang, B.; Mu, Y.; Zhang, H.; Shi, H.; Chen, G.; Yu, Y.; Yang, Z.; Li, J.; Yu, J. Red room-temperature phosphorescence of CDs@Zeolite composites triggered by heteroatoms in zeolite frameworks. ACS Cent. Sci. 2019, 5, 349–356. [Google Scholar] [CrossRef]
- Liang, Q.; Ma, W.; Shi, Y.; Li, Z.; Yang, X. Easy synthesis of highly fluorescent carbon quantum dots from gelatin and their luminescent properties and applications. Carbon 2013, 60, 421–428. [Google Scholar] [CrossRef]
- García Baldoví, H.; Valencia Valencia, S.; Alvaro Rodríguez, M.M.; Abdullah, A.M.; García Gómez, H. Highly fluorescent C-dots obtained by pyrolysis of quaternary ammonium ions trapped in all-silica ITQ-29 zeolite. Nanoscale 2015, 7, 1744–1752. [Google Scholar] [CrossRef]
- Wang, Y.; Li, Y.; Yan, Y.; Xu, J.; Guan, B.; Wang, Q.; Li, J.; Yua, J. Luminescent carbon dots in a new magnesium aluminophosphate zeolite. Chem. Commun. 2013, 49, 9006. [Google Scholar] [CrossRef]
- Xu, W.; Sun, Y.; Ding, B.; Zhang, J. Zeolitic-imidazolate frameworks derived Pt-free counter electrodes for high-performance quantum dot-sensitized solar cells. R. Soc. Open Sci. 2018, 5, 180335. [Google Scholar] [CrossRef]
- Essner, J.B.; Baker, G.A. The emerging roles of carbon dots in solar photovoltaics: A critical review. Environ. Sci. Nano 2017, 4, 1216–1263. [Google Scholar] [CrossRef]
- Wang, J.; Ng, Y.H.; Lim, Y.F.; Ho, G.W. Vegetable-extracted carbon dots and their nanocomposites for enhanced photocatalytic H2 production. RSC Adv. 2014, 4, 44117–44123. [Google Scholar] [CrossRef]
- Carvalho, J.; Rodrigues Santos, L.; Carlos Germino, J.; Aparecido Moreto, J.; Quites, F.J.; Freitas, R.G. Hydrothermal synthesis to water-stable luminescent carbon dots from acerola fruit for photoluminescent composites preparation and its application as sensors. Mat. Res. 2019, 22. [Google Scholar] [CrossRef]
- Chou, C.-C.; Tsao, K.-Y.; Wu, C.-C.; Yang, H.; Chen, C.-M. Improved power conversion efficiency for dye-sensitized solar cells using a subwavelength-structured antireflective coating. Appl. Surf. Sci. 2015, 328, 198–204. [Google Scholar] [CrossRef]








| Wavenumber, cm−1 | Functional Group | Ref. |
|---|---|---|
| 490 (460) | Zeolite A T-O-T | [34] |
| 876 | C–C str; CH2 rock | [36] |
| 1073 | Symmetric vibrations С-О-С, C-C, C- N | [37,38] |
| 1306 | γ-CH2 | [39] |
| 1349 | D | [33] |
| 1448 | δ-CH2 | [39] |
| 1587 | G | [33] |
| 1645 | -C–C- | [40] |
| 1732 | ν-C=O (ester) | [39] |
| 2725 | ν-CH (aliphatic –CHO) | [39] |
| 2857 | ν-CH (–CH2 symmetric) | [39] |
| 2923 | ν-CH (–CH3 symmetric) | [39] |
| 3323, 3409, 3500 | ν-CH (–CH3 symmetric) | [39] |
© 2019 by the authors. Licensee MDPI, Basel, Switzerland. This article is an open access article distributed under the terms and conditions of the Creative Commons Attribution (CC BY) license (http://creativecommons.org/licenses/by/4.0/).
Share and Cite
Stetsenko, M.; Pullano, S.A.; Margitych, T.; Maksimenko, L.; Hassan, A.; Kryvyi, S.; Hu, R.; Huang, C.; Ziniuk, R.; Golovynskyi, S.; et al. Antireflection Enhancement by Composite Nanoporous Zeolite 3A–Carbon Thin Film. Nanomaterials 2019, 9, 1641. https://doi.org/10.3390/nano9111641
Stetsenko M, Pullano SA, Margitych T, Maksimenko L, Hassan A, Kryvyi S, Hu R, Huang C, Ziniuk R, Golovynskyi S, et al. Antireflection Enhancement by Composite Nanoporous Zeolite 3A–Carbon Thin Film. Nanomaterials. 2019; 9(11):1641. https://doi.org/10.3390/nano9111641
Chicago/Turabian StyleStetsenko, Maksym, Salvatore A. Pullano, Tetiana Margitych, Lidia Maksimenko, Ali Hassan, Serhii Kryvyi, Rui Hu, Chun Huang, Roman Ziniuk, Sergii Golovynskyi, and et al. 2019. "Antireflection Enhancement by Composite Nanoporous Zeolite 3A–Carbon Thin Film" Nanomaterials 9, no. 11: 1641. https://doi.org/10.3390/nano9111641
APA StyleStetsenko, M., Pullano, S. A., Margitych, T., Maksimenko, L., Hassan, A., Kryvyi, S., Hu, R., Huang, C., Ziniuk, R., Golovynskyi, S., Babichuk, I., Li, Β., Qu, J., & Fiorillo, A. S. (2019). Antireflection Enhancement by Composite Nanoporous Zeolite 3A–Carbon Thin Film. Nanomaterials, 9(11), 1641. https://doi.org/10.3390/nano9111641

