Photocatalytic and Electrocatalytic Properties of Cu-Loaded ZIF-67-Derivatized Bean Sprout-Like Co-TiO2/Ti Nanostructures
Abstract
:1. Introduction
2. Materials and Methods
2.1. Preparation of ZIF-67/Ti and Co-TiO2/Ti Catalysts
2.2. Characterisation of the Catalyst Samples
2.3. Photocatalytic and Electrocatalytic CO2 Reduction Experiments
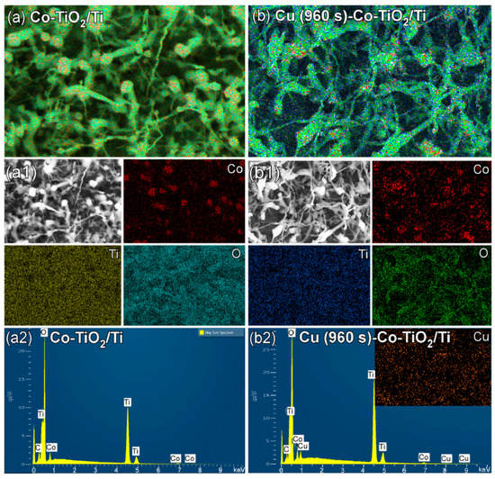
3. Results and Discussion
4. Conclusions
Supplementary Materials
Author Contributions
Funding
Data Availability Statement
Conflicts of Interest
References
- Duan, C.; Zhang, Y.; Li, J.; Kang, L.; Xie, Y.; Qiao, W.; Zhu, C.; Luo, H. Rapid Room-Temperature Preparation of Hierarchically Porous Metal–Organic Frameworks for Efficient Uranium Removal from Aqueous Solutions. Nanomaterials 2020, 10, 1539. [Google Scholar] [CrossRef]
- Ryu, U.; Jee, S.; Rao, P.C.; Shin, J.; Ko, C.; Yoon, M.; Park, K.S.; Choi, K.M. Recent Advances in Process Engineering and Upcoming Applications of Metal-Organic Frameworks. Coord. Chem. Rev. 2021, 426, 213544. [Google Scholar] [CrossRef]
- Shellaiah, M.; Sun, K.-W. Progress in Metal-Organic Frameworks Facilitated Mercury Detection and Removal. Chemosensors 2021, 9, 101. [Google Scholar] [CrossRef]
- Tang, H.; Li, W.; Jiang, H.; Lin, R.; Wang, Z.; Wu, J.; He, G.; Shearing, P.R.; Brett, D.J.L. ZIF-8-Derived Hollow Carbon for Efficient Adsorption of Antibiotics. Nanomaterials 2019, 9, 117. [Google Scholar] [CrossRef] [PubMed] [Green Version]
- Zhao, H.; Wang, Y.; Zhao, L. Magnetic Nanocomposites Derived from Hollow ZIF-67 and Core-Shell ZIF-67@ZIF-8: Synthesis, Properties, and Adsorption of Rhodamine B. Eur. J. Inorg. Chem. 2017, 35, 4110–4116. [Google Scholar] [CrossRef]
- Sun, W.; Thummavichai, K.; Chen, D.; Lei, Y.; Pan, H.; Song, T.; Wang, N.; Zhu, Y. Co-Zeolitic Imidazolate Framework@Cellulose Aerogels from Sugarcane Bagasse for Activating Peroxymonosulfate to Degrade P-Nitrophenol. Polymers 2021, 13, 739. [Google Scholar] [CrossRef] [PubMed]
- Ethiraj, J.; Palla, S.; Reinsch, H. Insights into High Pressure Gas Adsorption Properties of ZIF-67: Experimental and Theoretical studies. Microporous Mesoporous Mater. 2020, 294, 109867. [Google Scholar] [CrossRef]
- Song, E.; Moon, J.; Lee, J.Y.; Lee, C.O.; Chi, W.S.; Park, J.T. High-voltage solar energy conversion based on ZIF-67-derived binary redox-quasi-solid-state electrolyte. J. Electroanal. Chem. 2021, 893, 115264. [Google Scholar] [CrossRef]
- Yu, Y.; You, S.; Du, J.; Zhang, P.; Dai, Y.; Liu, M.; Jiang, B.; Ren, N.; Zou, J. Ti3+-self-doped TiO2 with multiple crystal-phases anchored on acid-pickled ZIF-67-derived Co3O4@ N-doped graphitized-carbon as a durable catalyst for oxygen reduction in alkaline and acid media. Chem. Eng. J. 2021, 403, 126441. [Google Scholar] [CrossRef]
- Chang, P.-H.; Lee, Y.-T.; Peng, C.-H. Synthesis and Characterization of Hybrid Metal Zeolitic Imidazolate Framework Membrane for Efficient H2/CO2 Gas Separation. Materials 2020, 13, 5009. [Google Scholar] [CrossRef]
- Shaikh, Z.A.; Laghari, A.A.; Litvishko, O.; Litvishko, V.; Kalmykova, T.; Meynkhard, A. Liquid-Phase Deposition Synthesis of ZIF-67-Derived Synthesis of Co3O4@TiO2 Composite for Efficient Electrochemical Water Splitting. Metals 2021, 11, 420. [Google Scholar] [CrossRef]
- Salahuddin, U.; Iqbal, N.; Noor, T.; Hanif, S.; Ejaz, H.; Zaman, N.; Ahmed, S. ZIF-67 Derived MnO2 Doped Electrocatalyst for Oxygen Reduction Reaction. Catalysts 2021, 11, 92. [Google Scholar] [CrossRef]
- Zhou, H.; Zheng, M.; Tang, H.; Xu, B.; Tang, Y.; Pang, H. Amorphous Intermediate Derivative from ZIF-67 and Its Outstanding Electrocatalytic Activity. Small 2019, 16, 1904252. [Google Scholar] [CrossRef]
- Dong, Z.; Zhao, J.; Tian, Y.; Zhang, B.; Wu, Y. Preparation and Performances of ZIF-67-Derived FeCo Bimetallic Catalysts for CO2 Hydrogenation to Light Olefins. Catalysts 2020, 10, 455. [Google Scholar] [CrossRef] [Green Version]
- Wen, Y.; Wei, Z.; Ma, C.; Xing, X.; Li, Z.; Luo, D. MXene Boosted CoNi-ZIF-67 as Highly Efficient Electrocatalysts for Oxygen Evolution. Nanomaterials 2019, 9, 775. [Google Scholar] [CrossRef] [PubMed] [Green Version]
- Yang, S.; An, X.; Qian, X. Integrated Conductive Hybrid Electrode Materials Based on PPy@ZIF-67-Derived Oxyhydroxide@CFs Composites for Energy Storage. Polymers 2021, 13, 1082. [Google Scholar] [CrossRef] [PubMed]
- Fan, X.; Ohlckers, P.; Chen, X. Tunable Synthesis of Hollow Co3O4 Nanoboxes and Their Application in Supercapacitors. Appl. Sci. 2020, 10, 1208. [Google Scholar] [CrossRef] [Green Version]
- Liu, X.; Liu, H.; He, G.; Zhu, Y.; Xiao, J.; Han, L. Borate Anion Dopant Inducing Oxygen Vacancies over Co3O4 Nanocages for Enhanced Oxygen Evolution. Catalysts 2021, 11, 659. [Google Scholar] [CrossRef]
- Wang, D.; Li, S.; Du, Y.; Wu, X.; Chen, Y. Self-Templating Synthesis of 3D Hierarchical NiCo2O4@NiO Nanocage from Hydrotalcites for Toluene Oxidation. Catalysts 2019, 9, 352. [Google Scholar] [CrossRef] [Green Version]
- Qi, H.; Guan, X.; Lei, G.; Zhao, M.; He, H.; Li, K.; Zhang, G.; Zhang, F.; Fan, X.; Peng, W.; et al. Bimetallic ZIF-Derived Co/N-Codoped Porous Carbon Supported Ruthenium Catalysts for Highly Efficient Hydrogen Evolution Reaction. Nanomaterials 2021, 11, 1228. [Google Scholar] [CrossRef]
- Li, Y.; Xia, Y.; Liu, K.; Ye, K.; Wang, Q.; Zhang, S.; Huang, Y.; Liu, H. Constructing Fe-MOF-Derived Z-Scheme Photocatalysts with Enhanced Charge Transport: Nanointerface and Carbon Sheath Synergistic Effect. ACS Appl. Mater. Interfaces 2020, 12, 25494–25502. [Google Scholar] [CrossRef] [PubMed]
- Yang, F.; Xiong, T.; Huang, P.; Zhou, S.; Tan, Q.; Yang, H.; Huang, Y.; Balogun, M.-S. Nanostructured Transition Metal Compounds Coated 3D Porous Core-Shell Carbon Fiber as Monolith Water Splitting Electrocatalysts: A General Strategy. Chem. Eng. J. 2021, 423, 130279. [Google Scholar] [CrossRef]
- Zhang, J.; Huang, Y.; Lu, X.; Yang, J.; Tong, Y. Enhanced BiVO4 Photoanode Photoelectrochemical Performance via Borate Treatment and a NiFeOx Cocatalyst. ACS Sustain. Chem. Eng. 2021, 9, 8306–8314. [Google Scholar] [CrossRef]
- Lu, X.; Ye, K.; Zhang, S.; Zhang, J.; Yang, J.; Huang, Y.; Ji, H. Amorphous Type FeOOH Modified Defective BiVO4 Photoanodes for Photoelectrochemical Water Oxidation. Chem. Eng. J. 2021, 428, 131027. [Google Scholar] [CrossRef]
- Yuan, X.; Mu, Q.; Xue, S.; Su, Y.; Zhu, Y.; Sun, H.; Deng, Z.; Peng, Y. Polypyrrole Reinforced ZIF-67 with Modulated Facet Exposure and Billion-fold Electrical Conductivity Enhancement towards Robust Photocatalytic CO2 Reduction. J. Energy Chem. 2021, 60, 202–208. [Google Scholar] [CrossRef]
- Becerra, J.; Nguyen, D.-T.; Gopalakrishnan, V.-N.; Do, T.-O. Plasmonic Au Nanoparticles Incorporated in the Zeolitic Imidazolate Framework (ZIF-67) for the Efficient Sunlight-Driven Photoreduction of CO2. ACS Appl. Energy Mater. 2020, 3, 7659–7665. [Google Scholar] [CrossRef]
- Peng, H.J.; Zhu, L.; Wang, Y.L.; Chao, H.Y.; Jiang, L.; Qiao, Z.P. CdS/ZIF-67 Nanocomposites with Enhanced Performance for Visible Light CO2 Photoreduction. Inorg. Chem. Commun. 2020, 117, 107943–107947. [Google Scholar] [CrossRef]
- Park, H.; Park, B.H.; Choi, J.; Kim, S.; Kim, T.; Youn, Y.-S.; Son, N.; Kim, J.H.; Kang, M. Enhanced Electrochemical Properties and OER Performances by Cu Substitution in NiCo2O4 Spinel Structure. Nanomaterials 2020, 10, 1727. [Google Scholar] [CrossRef] [PubMed]
- Xing, C.; Zhang, Y.; Liu, Y.; Wang, X.; Li, J.; Martínez-Alanis, P.R.; Spadaro, M.C.; Guardia, P.; Arbiol, J.; Llorca, J.; et al. Photodehydrogenation of Ethanol over Cu2O/TiO2 Heterostructures. Nanomaterials 2021, 11, 1399. [Google Scholar] [CrossRef] [PubMed]
- Yang, J.H.; Park, S.J.; Rhee, C.K.; Sohn, Y. Photocatalytic CO2 Reduction and Electrocatalytic H2 Evolution over Pt(0,II,IV)-Loaded Oxidized Ti Sheets. Nanomaterials 2020, 10, 1909. [Google Scholar] [CrossRef] [PubMed]
- Zhang, H.; Tang, Q.; Li, Q.; Song, Q.; Wu, H.; Mao, N. Enhanced Photocatalytic Properties of PET Filaments Coated with Ag-N Co-Doped TiO2 Nanoparticles Sensitized with Disperse Blue Dyes. Nanomaterials 2020, 10, 987. [Google Scholar] [CrossRef] [PubMed]
- Sohn, Y.; Huang, W.; Taghipour, F. Recent Progress and Perspectives in the Photocatalytic CO2 Reduction of Ti-Oxide-Based Nanomaterials. Appl. Surf. Sci. 2017, 396, 1696–1711. [Google Scholar] [CrossRef]
- Momma, K.; Izumi, F. VESTA 3 for Three-Dimensional Visualization of Crystal, Volumetric and Morphology Data. J. Appl. Crystallogr. 2011, 44, 1272–1276. [Google Scholar] [CrossRef]
- Bibi, S.; Pervaiz, E.; Yang, M.; Rabi, O. MOF Embedded and Cu Doped CeO2 Nanostructures as Efficient Catalyst for Adipic Acid Production: Green Catalysis. Catalysts 2021, 11, 304. [Google Scholar] [CrossRef]
- Sochacka, P.; Jurczyk, M.U.; Kowalski, K.; Wirstlein, P.K.; Jurczyk, M. Ultrafine-Grained Ti-31Mo-Type Composites with HA and Ag, Ta2O5 or CeO2 Addition for Implant Applications. Materials 2021, 14, 644. [Google Scholar] [CrossRef] [PubMed]
- Gong, Y.; Wang, Y.; Sun, G.; Jia, T.; Jia, L.; Zhang, F.; Lin, L.; Zhang, B.; Cao, J.; Zhang, Z. Carbon Nitride Decorated Ball-Flower like Co3O4 Hybrid Composite: Hydrothermal Synthesis and Ethanol Gas Sensing Application. Nanomaterials 2018, 8, 132. [Google Scholar] [CrossRef] [PubMed] [Green Version]
- Huyen, T.T.T.; Chi, T.T.K.; Dung, N.D.; Kosslick, H.; Liem, N.Q. Enhanced Photocatalytic Activity of {110}-Faceted TiO2 Rutile Nanorods in the Photodegradation of Hazardous Pharmaceuticals. Nanomaterials 2018, 8, 276. [Google Scholar] [CrossRef] [Green Version]
- NIST DTSA-II Software. Available online: https://cstl.nist.gov/div837/837.02/epq/dtsa2/ (accessed on 1 May 2021).
- Sundriyal, S.; Shrivastav, V.; Mishra, S.; Deep, A. Enhanced Electrochemical Performance of Nickel Intercalated ZIF-67/rGO Composite Electrode for Solid-State Supercapacitors. Int. J. Energy Res. 2020, 45, 30859–30869. [Google Scholar]
- Shi, X.; Zhang, Y.; Liu, X.; Jin, H.; Lv, H.; He, S.; Hao, H.; Li, C. A Mild in-Situ Method to Construct Fe-Doped Cauliflower-Like Rutile TiO2 Photocatalysts for Degradation of Organic Dye in Wastewater. Catalysts 2019, 9, 426. [Google Scholar] [CrossRef] [Green Version]
- Challagulla, S.; Tarafder, K.; Ganesan, R.; Roy, S. Structure Sensitive Photocatalytic Reduction of Nitroarenes over TiO2. Scientific Rep. 2017, 7, 1–11. [Google Scholar]
- Wójcik, S.; Grzybek, G.; Stelmachowski, P.; Sojka, Z.; Kotarba, A. Bulk, Surface and Interface Promotion of Co3O4 for the Low-Temperature N2O Decomposition Catalysis. Catalysts 2020, 10, 41. [Google Scholar] [CrossRef] [Green Version]
- Gwag, J.S.; Sohn, Y. Interfacial Natures and Controlling Morphology of Co Oxide Nanocrystal Structures by Adding Spectator Ni Ions. Bull. Korean Chem. Soc. 2012, 33, 505–510. [Google Scholar] [CrossRef] [Green Version]
- Tsai, C.-H.; Fei, P.-H.; Lin, C.-M.; Shiu, S.-L. CuO and CuO/Graphene Nanostructured Thin Films as Counter Electrodes for Pt-Free Dye-Sensitized Solar Cells. Coatings 2018, 8, 21. [Google Scholar] [CrossRef] [Green Version]
- Muthukrishnaraj, A.; Al-Zahrani, S.A.; Al Otaibi, A.; Kalaivani, S.S.; Manikandan, A.; Balasubramanian, N.; Bilgrami, A.L.; Ahamed, M.A.R.; Khan, A.; Asiri, A.M.; et al. Enhanced Photocatalytic Activity of Cu2O Cabbage/RGO Nanocomposites under Visible Light Irradiation. Polymers 2021, 13, 1712. [Google Scholar] [CrossRef]
- Naumkin, A.V.; Kraut-Vass, A.; Gaarenstroom, S.W.; Powell, C.J. NIST Standard Reference Database 20, Version 4.1. 2012. Available online: https://srdata.nist.gov/xps/ (accessed on 5 June 2021).
- Sohn, Y.; Pradhan, D.; Zhao, L.; Leung, K.T. Anomalous Oxidation Resistance of “Core-Only” Copper Nanoparticles Electrochemically Grown on Gold Nanoislands Prefunctionalized by 1,4-Phenylene Diisocyanide. Electrochem. Solid-State Lett. 2012, 15, K35–K39. [Google Scholar] [CrossRef] [Green Version]
- Yoon, H.J.; Yang, J.H.; Park, S.J.; Sohn, Y. Thermal CO Oxidation and Photocatalytic CO2 Reduction over Bare and M-Al2O3 (M = Co, Ni, Cu, Rh, Pd, Ag, Ir, Pt, and Au) Cotton-Like Nanosheets. Nanomaterials 2021, 11, 1278. [Google Scholar] [CrossRef]
- Ali, S.; Flores, M.C.; Razzaq, A.; Sorcar, S.; Hiragond, C.B.; Kim, H.R.; Park, Y.H.; Hwang, Y.; Kim, H.S.; Kim, H.; et al. Gas Phase Photocatalytic CO2 Reduction, “A Brief Overview for Benchmarking”. Catalysts 2019, 9, 727. [Google Scholar] [CrossRef] [Green Version]
- Jang, H.J.; Park, S.J.; Yang, J.H.; Hong, S.-M.; Rhee, C.K.; Kim, D.; Sohn, Y. Photocatalytic and Photoelectrocatalytic Properties of Eu(III)-Doped Perovskite SrTiO3 Nanoparticles with Dopant Level Approaches. Mater. Sci. Semicond. Process. 2021, 132, 105919. [Google Scholar] [CrossRef]
- Yoon, H.J.; Yang, J.H.; Park, S.J.; Rhee, C.K.; Sohn, Y. Photocatalytic CO2 Reduction and Hydrogen Production over Pt/Zn-Embedded β- Ga2O3 Nanorods. Appl. Surf. Sci. 2021, 536, 147753. [Google Scholar] [CrossRef]
- Choi, Y.I.; Yang, J.H.; Park, S.J.; Sohn, Y. Energy Storage and CO2 Reduction Performances of Co/Co2C/C Prepared by an Anaerobic Ethanol Oxidation Reaction Using Sacrificial SnO2. Catalysts 2020, 10, 1116. [Google Scholar] [CrossRef]
- Lin, J.; Sun, X.; Qin, B.; Yu, T. Improving the photocatalytic reduction of CO2 to CO for TiO2 hollow spheres through hybridization with a cobalt complex. RSC Adv. 2018, 8, 20543–20548. [Google Scholar] [CrossRef] [Green Version]
- Hong, S.; Rhee, C.K.; Sohn, Y. Photoelectrochemical Hydrogen Evolution and CO2 Reduction over MoS2/Si and MoSe2/Si Nanostructures by Combined Photoelectrochemical Deposition and Rapid-Thermal Annealing Process. Catalysts 2019, 9, 494. [Google Scholar] [CrossRef] [Green Version]
- Lee, H.I.; Yu, H.; Rhee, C.K.; Sohn, Y. Electrochemical Hydrogen Evolution and CO2 Reduction over Hierarchical MoSxSe2−x Hybrid Nanostructures. Appl. Surf. Sci. 2019, 489, 976–982. [Google Scholar] [CrossRef]
- Liu, X.J.; Liu, H.X.; Peng, X.Y.; Qi, G.C.; Luo, J. Porous Mn-Doped FeP/Co3(PO4)2 Nanosheet Arrays as an Efficient Electrocatalyst for pH-Universal Overall Water Splitting. ChemSusChem 2019, 12, 1334. [Google Scholar] [CrossRef] [PubMed]










Publisher’s Note: MDPI stays neutral with regard to jurisdictional claims in published maps and institutional affiliations. |
© 2021 by the authors. Licensee MDPI, Basel, Switzerland. This article is an open access article distributed under the terms and conditions of the Creative Commons Attribution (CC BY) license (https://creativecommons.org/licenses/by/4.0/).
Share and Cite
Jang, H.J.; Park, S.J.; Yang, J.H.; Hong, S.-M.; Rhee, C.K.; Sohn, Y. Photocatalytic and Electrocatalytic Properties of Cu-Loaded ZIF-67-Derivatized Bean Sprout-Like Co-TiO2/Ti Nanostructures. Nanomaterials 2021, 11, 1904. https://doi.org/10.3390/nano11081904
Jang HJ, Park SJ, Yang JH, Hong S-M, Rhee CK, Sohn Y. Photocatalytic and Electrocatalytic Properties of Cu-Loaded ZIF-67-Derivatized Bean Sprout-Like Co-TiO2/Ti Nanostructures. Nanomaterials. 2021; 11(8):1904. https://doi.org/10.3390/nano11081904
Chicago/Turabian StyleJang, Hye Ji, So Jeong Park, Ju Hyun Yang, Sung-Min Hong, Choong Kyun Rhee, and Youngku Sohn. 2021. "Photocatalytic and Electrocatalytic Properties of Cu-Loaded ZIF-67-Derivatized Bean Sprout-Like Co-TiO2/Ti Nanostructures" Nanomaterials 11, no. 8: 1904. https://doi.org/10.3390/nano11081904
APA StyleJang, H. J., Park, S. J., Yang, J. H., Hong, S.-M., Rhee, C. K., & Sohn, Y. (2021). Photocatalytic and Electrocatalytic Properties of Cu-Loaded ZIF-67-Derivatized Bean Sprout-Like Co-TiO2/Ti Nanostructures. Nanomaterials, 11(8), 1904. https://doi.org/10.3390/nano11081904

