LCAS-DetNet: A Ship Target Detection Network for Synthetic Aperture Radar Images
Abstract
1. Introduction
- We propose a Multi-Location Cross-Attention (MLCA) to enhance the network’s focus on key regions, suppress salt-and-pepper noise interference, and highlight ship features.
- An multi-scale cascaded feature extractor with spatial coordinates is proposed. It is used for extracting ship features while retaining the multi-scale spatial coordinates of the ships.
- We integrate the focusing mechanism Wise-IoUv3 [30] loss into the bounding-box regression loss calculation. This helps minimize the influence of dataset quality differences on gradient updates.
2. Methods
2.1. Multi-Location Cross-Attention
2.2. Multi-Scale Cascade Feature Extractor
2.3. Loss Function
2.4. Network Design
3. Materials and Experiments
3.1. Datasets
3.2. Experimental Setting
3.3. Evaluation Indicators
4. Results
4.1. Quantitative Analysis
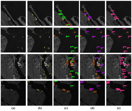
4.2. Qualitative Analysis
4.3. Ablation Study
5. Conclusions
Author Contributions
Funding
Institutional Review Board Statement
Informed Consent Statement
Data Availability Statement
Acknowledgments
Conflicts of Interest
Abbreviations
| SAR | Synthetic Aperture Radar |
| LCAS-DetNet | Multi-Location Cross-Attention Ship Detection Network |
| MLCA | Multi-Location Cross-Attention |
| MLA | Multi-Location Attention |
| SVM | Support Vector Machine |
| GIoU | Generalized Intersection over Union |
| CNNs | Convolutional Neural Networks |
| CSP | Cross Stage Partial |
| ViT | Vision Transformer |
| GELU | Gaussian Error Linear Unit |
| NMS | Non-Maximum Suppression |
| SGD | Stochastic Gradient Descent |
| DW-Conv | Depthwise Separable Convolution |
| FPN | Feature Pyramid Network |
| GPU | Graphics Processing Unit |
| CUDA | Compute Unified Device Architecture |
| GIoU | Generalized Intersection over Union |
References
- Xu, X.; Zhang, X.; Zhang, T. Lite-yolov5: A lightweight deep learning detector for on-board ship detection in large-scene sentinel-1 sar images. Remote Sens. 2022, 14, 1018. [Google Scholar] [CrossRef]
- Zou, B.; Qin, J.; Zhang, L. Vehicle detection based on semantic-context enhancement for high-resolution sar images in complex background. IEEE Geosci. Remote Sens. Lett. 2021, 19, 4503905. [Google Scholar] [CrossRef]
- Wang, C.; Jiang, S.; Zhang, H.; Wu, F.; Zhang, B. Ship detection for high-resolution sar images based on feature analysis. IEEE Geosci. Remote Sens. Lett. 2013, 11, 119–123. [Google Scholar] [CrossRef]
- Gaber, A.; Koch, M.; Griesh, M.H.; Sato, M. Sar remote sensing of buried faults: Implications for groundwater exploration in the western desert of egypt. Sens. Imaging Int. J. 2011, 12, 133–151. [Google Scholar] [CrossRef]
- Mandal, D.; Kumar, V.; Ratha, D.; Dey, S.; Bhattacharya, A.; Lopez-Sanchez, J.M.; McNairn, H.; Rao, Y.S. Dual polarimetric radar vegetation index for crop growth monitoring using sentinel-1 sar data. Remote Sens. Environ. 2020, 247, 111954. [Google Scholar] [CrossRef]
- Yamaguchi, Y. Disaster monitoring by fully polarimetric sar data acquired with alos-palsar. Proc. IEEE 2012, 100, 2851–2860. [Google Scholar] [CrossRef]
- Pang, L.; Li, B.; Zhang, F.; Meng, X.; Zhang, L. A lightweight yolov5-mne algorithm for sar ship detection. Sensors 2022, 22, 7088. [Google Scholar] [CrossRef] [PubMed]
- Zhao, Q.; Principe, J.C. Support vector machines for sar automatic target recognition. IEEE Trans. Aerosp. Electron. Syst. 2001, 37, 643–654. [Google Scholar] [CrossRef]
- Lombardo, P.; Sciotti, M. Segmentation-based technique for ship detection in sar images. IEE Proc.-Radar Sonar Navig. 2001, 148, 147–159. [Google Scholar] [CrossRef]
- Iervolino, P.; Guida, R. A novel ship detector based on the generalized-likelihood ratio test for sar imagery. IEEE J. Sel. Top. Appl. Earth Obs. Remote Sens. 2017, 10, 3616–3630. [Google Scholar] [CrossRef]
- Lang, H.; Xi, Y.; Zhang, X. Ship detection in high-resolution sar images by clustering spatially enhanced pixel descriptor. IEEE Trans. Geosci. Remote Sens. 2019, 57, 5407–5423. [Google Scholar] [CrossRef]
- Li, Y.; Ding, Z.; Zhang, C.; Wang, Y.; Chen, J. Sar ship detection based on resnet and transfer learning. In Proceedings of the IGARSS 2019—2019 IEEE International Geoscience and Remote Sensing Symposium, Yokohama, Japan, 28 July–2 August 2019; IEEE: Piscataway, NJ, USA, 2019; pp. 1188–1191. [Google Scholar]
- Sun, Z.; Dai, M.; Leng, X.; Lei, Y.; Xiong, B.; Ji, K.; Kuang, G. An anchor-free detection method for ship targets in high-resolution sar images. IEEE J. Sel. Top. Appl. Earth Obs. Remote Sens. 2021, 14, 7799–7816. [Google Scholar] [CrossRef]
- Shin, H.; Roth, H.R.; Gao, M.; Lu, L.; Xu, Z.; Nogues, I.; Yao, J.; Mollura, D.; Summers, R.M. Deep convolutional neural networks for computer-aided detection: Cnn architectures, dataset characteristics and transfer learning. IEEE Trans. Med Imaging 2016, 35, 1285–1298. [Google Scholar] [CrossRef]
- Dong, X.; Yan, S.; Duan, C. A lightweight vehicles detection network model based on yolov5. Eng. Appl. Artif. Intell. 2022, 113, 104914. [Google Scholar] [CrossRef]
- Wang, Y.; Wang, C.; Zhang, H.; Dong, Y.; Wei, S. A sar dataset of ship detection for deep learning under complex backgrounds. Remote Sens. 2019, 11, 765. [Google Scholar] [CrossRef]
- Liu, W.; Anguelov, D.; Erhan, D.; Szegedy, C.; Reed, S.; Fu, C.; Berg, A.C. Ssd: Single shot multibox detector. In Proceedings of the Computer Vision–ECCV 2016: 14th European Conference, Amsterdam, The Netherlands, 11–14 October 2016; Proceedings, Part I 14. Springer: Berlin/Heidelberg, Germany, 2016; pp. 21–37. [Google Scholar]
- Redmon, J.; Divvala, S.; Girshick, R.; Farhadi, A. You only look once: Unified, real-time object detection. In Proceedings of the IEEE Conference on Computer Vision and Pattern Recognition, Las Vegas, NV, USA, 27–30 June 2016; pp. 779–788. [Google Scholar]
- Girshick, R.; Donahue, J.; Darrell, T.; Malik, J. Rich feature hierarchies for accurate object detection and semantic segmentation. In Proceedings of the IEEE Conference on Computer Vision and Pattern Recognition, Columbus, OH, USA, 23–28 June 2014; pp. 580–587. [Google Scholar]
- Ren, S.; He, K.; Girshick, R.; Sun, J. Faster r-cnn: Towards real-time object detection with region proposal networks. IEEE Trans. Pattern Anal. Mach. Intell. 2017, 39, 1137–1149. [Google Scholar] [CrossRef] [PubMed]
- He, K.; Gkioxari, G.; Dollár, P.; Girshick, R. Mask r-cnn. In Proceedings of the IEEE International Conference on Computer Vision, Venice, Italy, 22–29 October 2017; pp. 2961–2969. [Google Scholar]
- He, K.; Zhang, X.; Ren, S.; Sun, J. Spatial pyramid pooling in deep convolutional networks for visual recognition. IEEE Trans. Pattern Anal. Mach. Intell. 2015, 37, 1904–1916. [Google Scholar] [CrossRef] [PubMed]
- Kang, M.; Ji, K.; Leng, X.; Lin, Z. Contextual region-based convolutional neural network with multilayer fusion for sar ship detection. Remote Sens. 2017, 9, 860. [Google Scholar] [CrossRef]
- Li, S.; Fu, X.; Dong, J. Improved ship detection algorithm based on yolox for sar outline enhancement image. Remote Sens. 2022, 14, 4070. [Google Scholar] [CrossRef]
- Yu, C.; Shin, Y. Sar ship detection based on improved yolov5 and bifpn. ICT Express 2023, 10, 28–33. [Google Scholar] [CrossRef]
- Chen, Z.; Liu, C.; Filaretov, V.F.; Yukhimets, D.A. Multi-scale ship detection algorithm based on yolov7 for complex scene sar images. Remote Sens. 2023, 15, 2071. [Google Scholar] [CrossRef]
- Li, D.; Liang, Q.; Liu, H.; Liu, Q.; Liu, H.; Liao, G. A novel multidimensional domain deep learning network for sar ship detection. IEEE Trans. Geosci. Remote Sens. 2021, 60, 5203213. [Google Scholar] [CrossRef]
- Chen, C.; He, C.; Hu, C.; Pei, H.; Jiao, L. A deep neural network based on an attention mechanism for sar ship detection in multiscale and complex scenarios. IEEE Access 2019, 7, 104848–104863. [Google Scholar] [CrossRef]
- Zhang, T.; Zhang, X.; Shi, J.; Wei, S. Depthwise separable convolution neural network for high-speed sar ship detection. Remote Sens. 2019, 11, 2483. [Google Scholar] [CrossRef]
- Tong, Z.; Chen, Y.; Xu, Z.; Yu, R. Wise-iou: Bounding box regression loss with dynamic focusing mechanism. arXiv 2023, arXiv:2301.10051. [Google Scholar]
- Wei, S.; Zeng, X.; Qu, Q.; Wang, M.; Su, H.; Shi, J. Hrsid: A high-resolution sar images dataset for ship detection and instance segmentation. IEEE Access 2020, 8, 120234–120254. [Google Scholar] [CrossRef]
- Zhang, T.; Zhang, X.; Li, J.; Xu, X.; Wang, B.; Zhan, X.; Xu, Y.; Ke, X.; Zeng, T.; Su, H.; et al. Sar ship detection dataset (ssdd): Official release and comprehensive data analysis. Remote Sens. 2021, 13, 3690. [Google Scholar] [CrossRef]
- Dosovitskiy, A.; Beyer, L.; Kolesnikov, A.; Weissenborn, D.; Zhai, X.; Unterthiner, T.; Dehghani, M.; Minderer, M.; Heigold, G.; Gelly, S.; et al. An image is worth 16x16 words: Transformers for image recognition at scale. arXiv 2020, arXiv:2010.11929. [Google Scholar]
- Li, W.; Liu, K.; Zhang, L.; Cheng, F. Object detection based on an adaptive attention mechanism. Sci. Rep. 2020, 10, 11307. [Google Scholar] [CrossRef]
- Liu, Z.; Lin, Y.; Cao, Y.; Hu, H.; Wei, Y.; Zhang, Z.; Lin, S.; Guo, B. Swin transformer: Hierarchical vision transformer using shifted windows. In Proceedings of the IEEE/CVF International Conference on Computer Vision, Montreal, QC, Canada, 10–17 October 2021; pp. 10012–10022. [Google Scholar]
- Chen, C.R.; Fan, Q.; Panda, R. Crossvit: Cross-attention multi-scale vision transformer for image classification. In Proceedings of the IEEE/CVF International Conference on Computer Vision, Montreal, QC, Canada, 10–17 October 2021; pp. 357–366. [Google Scholar]
- Chollet, F. Xception: Deep learning with depthwise separable convolutions. In Proceedings of the IEEE Conference on Computer Vision and Pattern Recognition, Honolulu, HI, USA, 21–26 July 2017; pp. 1251–1258. [Google Scholar]
- Ioffe, S.; Szegedy, C. Batch normalization: Accelerating deep network training by reducing internal covariate shift. In Proceedings of the ICML’15: Proceedings of the 32nd International Conference on International Conference on Machine Learning, Lille, France, 6–11 July 2015; PMLR: New York, NY, USA, 2015; pp. 448–456. [Google Scholar]
- Wang, A.; Singh, A.; Michael, J.; Hill, F.; Levy, O.; Bowman, S.R. Glue: A multi-task benchmark and analysis platform for natural language understanding. arXiv 2018, arXiv:1804.07461. [Google Scholar]
- Tolias, G.; Sicre, R.; Jégou, H. Particular object retrieval with integral max-pooling of cnn activations. arXiv 2015, arXiv:1511.05879. [Google Scholar]
- Neubeck, A.; Gool, L.V. Efficient non-maximum suppression. In Proceedings of the 18th International Conference on Pattern Recognition (ICPR’06), Hong Kong, China, 20–24 August 2006; IEEE: Piscataway, NJ, USA, 2006; Volume 3, pp. 850–855. [Google Scholar]
- Wang, C.; Bochkovskiy, A.; Liao, H.M. Yolov7: Trainable bag-of-freebies sets new state-of-the-art for real-time object detectors. In Proceedings of the IEEE/CVF Conference on Computer Vision and Pattern Recognition, Vancouver, BC, Canada, 17–24 June 2023; pp. 7464–7475. [Google Scholar]
- Lin, T.; Goyal, P.; Girshick, R.; He, K.; Dollár, P. Focal loss for dense object detection. In Proceedings of the IEEE International Conference on Computer Vision, Venice, Italy, 22–29 October 2017; pp. 2980–2988. [Google Scholar]
- Fu, J.; Sun, X.; Wang, Z.; Fu, K. An anchor-free method based on feature balancing and refinement network for multiscale ship detection in sar images. IEEE Trans. Geosci. Remote Sens. 2020, 59, 1331–1344. [Google Scholar] [CrossRef]
- Cui, Z.; Wang, X.; Liu, N.; Cao, Z.; Yang, J. Ship detection in large-scale sar images via spatial shuffle-group enhance attention. IEEE Trans. Geosci. Remote Sens. 2020, 59, 379–391. [Google Scholar] [CrossRef]
- Zhao, Y.; Zhao, L.; Xiong, B.; Kuang, G. Attention receptive pyramid network for ship detection in sar images. IEEE J. Sel. Top. Appl. Earth Obs. Remote Sens. 2020, 13, 2738–2756. [Google Scholar] [CrossRef]










| Datasets | HRSID | SSDD |
|---|---|---|
| Image number | 5604 | 1160 |
| Ship number | 16,951 | 2551 |
| Polarization modes | VV, HV, HH | VV, VH, HH, HV |
| Image size (pixel) | 800 × 800 | 500 × 500, etc. |
| Resolution (m) | 0.5, 1, 3 | 1–15 |
| Method | Precision (%) | Recall (%) | F1-Score | mAP (%) |
|---|---|---|---|---|
| Faster R-CNN [20] | 88.81 | 72.57 | 0.798 | 77.98 |
| YOLOv5-S [18] | 89.57 | 77.37 | 0.826 | 84.94 |
| YOLOv5-M [18] | 91.07 | 78.06 | 0.828 | 84.74 |
| YOLOv5-L [18] | 91.88 | 78.83 | 0.837 | 85.01 |
| YOLOv7 [42] | 92.09 | 78.02 | 0.844 | 85.98 |
| RetinaNet [43] | 82.16 | 83.35 | - | 81.14 |
| CSD-YOLO [26] | 93.22 | 80.42 | - | 86.10 |
| Yu et al. [25] | 84.37 | 84.56 | - | 85.11 |
| YOLOv8 | 95.48 | 77.63 | 0.806 | 81.32 |
| LCAS-DetNet (Ours) | 96.59 | 86.62 | 0.862 | 86.96 |
| Method | Precision (%) | Recall (%) | F1-Score | mAP (%) |
|---|---|---|---|---|
| Faster R-CNN [20] | 81.63 | 85.31 | 0.826 | 89.63 |
| YOLOv5-S [18] | 91.15 | 91.31 | 0.91 | 94.66 |
| YOLOv5-M [18] | 91.13 | 92.36 | 0.924 | 96.21 |
| YOLOv5-L [18] | 91.83 | 93.08 | 0.923 | 96.27 |
| YOLOv7 [42] | 90.95 | 93.61 | 0.925 | 96.03 |
| FBR-Net [44] | 86.73 | 87.14 | - | 83.76 |
| SSGE-Net [45] | 88.12 | 88.97 | - | 85.63 |
| ARR-Net [46] | 89.36 | 89.73 | - | 88.42 |
| Yu et al. [25] | 88.27 | 93.41 | - | 95.02 |
| YOLOv8 | 94.86 | 92.53 | 0.953 | 96.24 |
| LCAS-DetNet (Ours) | 97.52 | 96.35 | 0.969 | 98.66 |
| Method | Precision (%) | Recall (%) | F1-Score | mAP (%) |
|---|---|---|---|---|
| Basic network | 95.48 | 77.63 | 0.806 | 81.32 |
| Basic network-MLCA | 96.18 | 85.44 | 0.858 | 86.96 |
| Basic network-LOSS | 96.36 | 79.91 | 0.812 | 82.25 |
| LCAS-DetNet | 96.59 | 86.62 | 0.862 | 86.96 |
| Method | Precision (%) | Recall (%) | F1-Score | mAP (%) |
|---|---|---|---|---|
| Basic network | 94.86 | 92.53 | 0.953 | 96.24 |
| Basic network-MLCA | 95.69 | 96.02 | 0.965 | 98.26 |
| Basic network-LOSS | 96.33 | 95.56 | 0.961 | 97.38 |
| LCAS-DetNet | 97.52 | 96.35 | 0.969 | 98.66 |
Disclaimer/Publisher’s Note: The statements, opinions and data contained in all publications are solely those of the individual author(s) and contributor(s) and not of MDPI and/or the editor(s). MDPI and/or the editor(s) disclaim responsibility for any injury to people or property resulting from any ideas, methods, instructions or products referred to in the content. |
© 2024 by the authors. Licensee MDPI, Basel, Switzerland. This article is an open access article distributed under the terms and conditions of the Creative Commons Attribution (CC BY) license (https://creativecommons.org/licenses/by/4.0/).
Share and Cite
Liu, J.; Liao, D.; Wang, X.; Li, J.; Yang, B.; Chen, G. LCAS-DetNet: A Ship Target Detection Network for Synthetic Aperture Radar Images. Appl. Sci. 2024, 14, 5322. https://doi.org/10.3390/app14125322
Liu J, Liao D, Wang X, Li J, Yang B, Chen G. LCAS-DetNet: A Ship Target Detection Network for Synthetic Aperture Radar Images. Applied Sciences. 2024; 14(12):5322. https://doi.org/10.3390/app14125322
Chicago/Turabian StyleLiu, Junlin, Dingyi Liao, Xianyao Wang, Jun Li, Bing Yang, and Guanyu Chen. 2024. "LCAS-DetNet: A Ship Target Detection Network for Synthetic Aperture Radar Images" Applied Sciences 14, no. 12: 5322. https://doi.org/10.3390/app14125322
APA StyleLiu, J., Liao, D., Wang, X., Li, J., Yang, B., & Chen, G. (2024). LCAS-DetNet: A Ship Target Detection Network for Synthetic Aperture Radar Images. Applied Sciences, 14(12), 5322. https://doi.org/10.3390/app14125322

