Implications of Salt Diapirism in Syn-Depositional Architecture of a Carbonate Margin-to-Edge Transition: An Example from Plataria Syncline, Ionian Zone, NW Greece
Abstract
1. Introduction
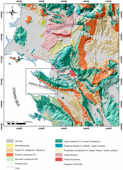
2. Geological Setting

3. Methods
4. Description of the Lithostratigraphic Columns
4.1. Section A1
4.2. Section A2
4.3. Section B
4.4. Section C
4.5. Section D
4.6. Section E
5. Aerial Imaging
6. Seismic Profiles
- Improve on the seismic image in the time domain (PSTM).
- Focus on the structural image in all areas of the sections.
- Provide consistency between datasets, from both legacy and new IO17 seismic acquisitions.
- Provide PSDM images and a pseudo-3D regional velocity model consistent with surface geology and well velocities.
7. Depositional and Structural Evolutionary Model
8. Conclusions
Author Contributions
Funding
Institutional Review Board Statement
Data Availability Statement
Acknowledgments
Conflicts of Interest
Appendix A. Seismic Data Processing
References
- Warren, J. Evaporites: Sediments, Resources, and Hydrocarbons; Springer: Berlin, Germany, 2006; p. 1035. [Google Scholar]
- Hudec, M.R.; Jackson, M.P. Terra infirma: Understanding salt tectonics. Earth-Sci. Rev. 2007, 82, 1–28. [Google Scholar] [CrossRef]
- Jackson, M.; Hudec, M. Salt Tectonics: Principles and Practice; Cambridge University Press: Cambridge, UK, 2017. [Google Scholar] [CrossRef]
- Dusseault, M.B.; Rothenburg, L.; Bachu, S. Sequestration of CO in Salt Caverns. In Proceedings of the Canadian International Petroleum Conference, Calgary, AB, Canada, 17–19 June 2008. [Google Scholar]
- Arvanitis, A.; Koutsovitis, P.; Koukouzas, N.; Tyrologou, P.; Karapanos, D.; Karkalis, C.; Pomonis, P. Potential Sites for Underground Energy and CO2 Storage in Greece: A Geological and Petrological Approach. Energies 2020, 13, 2707. [Google Scholar] [CrossRef]
- Giles, K.A.; Rowan, M.G. Concepts in halokinetic-sequence deformation and stratigraphy. In Salt Tectonics, Sediments and Prospectivity; Archer, S.G., Alsop, G.I., Hartley, A.J., Grant, N.T., Hodgkinson, R., Eds.; The Geological Society: London, UK, 2012; Volume 363, pp. 7–31. [Google Scholar]
- Hearon, T.E.; Rowan, M.G.; Giles, K.A.; Hart, W.H. Halokinetic deformation adjacent to the deepwater Auger diapir, Garden Banks 470, northern Gulf of Mexico: Testing the applicability of an outcrop-based model using subsurface data. Interpretation 2014, 2, SM57–SM76. [Google Scholar] [CrossRef]
- Rowan, M.G.; Giles, K.A. Passive versus active salt diapirism. AAPG Bull. 2021, 105, 53–63. [Google Scholar] [CrossRef]
- Andrie, J.; Giles, K.A.; Lawton, T.; Rowan, M. Halokinetic-Sequence Stratigraphy, Fluvial Sedimentology and Structural Geometry of the Eocene Carroza Formation Along La Popa Salt Weld, La Popa Basin, Mexico; Geological Society of London Special Publications: London, UK, 2012; Volume 363, pp. 59–79. [Google Scholar] [CrossRef]
- Callot, J.-P.; Ribes, C.; Kergaravat, C.; Bonnel, C.; Temiz, H.; Poisson, A.; Vrielynck, B.; Salel, J.-F.; Ringenbach, J.-C. Salt tectonics in the Sivas basin (Turkey): Crossing salt walls and minibasins. BSGF-Earth Sci. Bull. 2014, 185, 33–42. [Google Scholar] [CrossRef]
- Arbues, P.; Ferrer, O.; Roca, E.; Giles, K.; Rowan, M.; De Matteis, M.; Munoz, J.A. The Bakio salt wall and its effects on synkinematic deepwater sedimentation (Basque Pyrenees, Northern Spain). Vienna, Austria. EGU Gen. Assem. Conf. Abstr. 2012, 14, 9659. [Google Scholar]
- Iv, T.E.H.; Rowan, M.G.; Giles, K.A.; Kernen, R.A.; Gannaway, C.E.; Lawton, T.F.; Fiduk, J.C. Allochthonous salt initiation and advance in the northern Flinders and eastern Willouran ranges, South Australia: Using outcrops to test subsurface-based models from the northern Gulf ofMexico. AAPG Bull. 2015, 99, 293–331. [Google Scholar] [CrossRef]
- Poprawski, Y.; Basile, C.; Agirrezabala, L.M.; Jaillard, E.; Gaudin, M.; Jacquin, T. Sedimentary and structural record of the Albian growth of the Bakio salt diapir (the Basque Country, northern Spain). Basin Res. 2014, 26, 746–766. [Google Scholar] [CrossRef]
- Ferrer, O.; Arbues, P.; Roca, E.; Giles, K.A.; Rowan, M.G.; De Matteis, M.; Munoz, J.A. Effect of Diapir Growth on Synkinematic Deepwater Sedimentation: The Bakio Diapir (Basque-Cantabrian Basin, Northern Spain); American Association of Petroleum Geologists Annual Convention and Exhibition: Houston, TX, USA, 2014. [Google Scholar]
- Poprawski, Y.; Christophe, B.; Etienne, J.; Matthieu, G.; Michel, L. Halokinetic sequences in carbonate systems: An example from the middle Albian Bakio breccias formation (Basque Country, Spain). Sediment. Geol. 2016, 334, 34–52. [Google Scholar]
- Vendeville, B.C. Salt tectonics driven by sediment progradation: Part I—Mechanics and kinematics. AAPG Bull. 2005, 89, 1071–1079. [Google Scholar] [CrossRef]
- Jackson, M.; Vendeville, B. Regional Extension as a Geologic Trigger for Diapirism. Geol. Soc. Am. Bull. 1994, 106, 57–73. [Google Scholar] [CrossRef]
- Nelson, T.H. Salt tectonics and listric normal faulting. In The Gulf of Mexico Basin; Salvador, A., Ed.; Geological Society of America: Boulder, CO, USA, 1991; pp. 73–89. [Google Scholar]
- Vendeville, B.C.; Jackson, M.P.A. The rise of diapirs during thin-skinned extension. Mar. Pet. Geol. 1992, 9, 331–353. [Google Scholar] [CrossRef]
- Sans, M.; Koyi, H.A. Modeling the role of erosion in diapirdevelopment in contractional settings. In Tectonic Modeling: A Volume in Honor of Hans Ramberg; Koyi, H.A., Mancktelow, N.S., Eds.; Geological Society of America: Boulder, CO, USA, 2001; Volume 193, pp. 111–122. [Google Scholar]
- Puigdefabregas, C.; Muñoz, J.A.; Vergés, J. Thrusting and foreland basin evolution in the Southern Pyrenees. In Thrust Tectonics; McClay, K.R., Ed.; Chapman & Hall: London, UK, 1992; pp. 247–254. [Google Scholar]
- Hudec, M.R.; Jackson, M.P.A. Advance of allochthonous salt sheets in passive margins and orogens. Am. Assoc. Pet. Geol. Bull. 2006, 90, 1535–1564. [Google Scholar] [CrossRef]
- Hudec, M.R.; Jackson, M.P.A. Interaction between spreading salt canopies and their peripheral thrust systems. J. Struct. Geol. 2009, 31, 1114–1129. [Google Scholar] [CrossRef]
- Hudec, M.R.; Jackson, M.P.A. The salt mine: A digital atlas of salt tectonics. AAPG Mem. 2011, 99, 305. [Google Scholar]
- Escosa, F.O.; Rowan, M.G.; Giles, K.A.; Deatrick, K.T.; Mast, A.M.; Langford, R.P.; Hearon, T.E.; Roca, E. Lateral terminations of salt walls and megaflaps: An example from Gypsum Valley diapir, Paradox Basin, Colorado USA. Basin Res. 2018, 31, 191–212. [Google Scholar] [CrossRef]
- Giles, K.A.; Lawton, T.F. Halokinetic sequence stratigraphy adjacent to the El Papalote diapir, northeastern Mexico. AAPG Bull. 2002, 86, 823–840. [Google Scholar]
- Rowan, M.G.; Lawton, T.F.; Giles, K.A.; Ratliff, R.A. Ratliff Near-salt deformation in La Popa basin, Mexico, and the northern Gulf of Mexico: A general model for passive diapirism. AAPG Bull. 2003, 87, 733–756. [Google Scholar] [CrossRef]
- Giles, K.A.; Rowan, M.G.; Langford, R.P.; Hearon, T.E. Salt Shoulders; AAPG Search and Discovery Article; AAPG Datapages/Search and Discovery: Tulsa, OK, USA, 2018; p. 30554. [Google Scholar]
- Graham, R.; Jackson, M.; Pilcher, R.; Kilsdonk, B. Allochthonous salt in the sub-Alpine fold-thrust belt of Haute Provence, France. In Salt Tectonics, Sediments and Prospectivity: Geological Society; Alsop, G.I., Archer, S.G., Hartley, A.J., Grant, N.T., Hodgkinson, R., Eds.; Special Publications: London, UK, 2012; Volume 363, pp. 595–615. [Google Scholar] [CrossRef]
- Rowan, M.G.; Giles, K.A.; Hearon, T.E., IV; Fiduk, J.C. Megaflaps along the edges of steep diapirs and beneath salt sheets: Models and examples (abs). In Proceedings of the AAPG International Conference and Exhibition, Istanbul, Turkey, 14–17 September 2014. [Google Scholar]
- Underhill, J. Late Cenozoic Deformation of the Hellenic Foreland, Western Greece. Geol. Soc. Am. Bull. 1989, 101, 613–634. [Google Scholar] [CrossRef]
- Doutsos, T.; Koukouvelas, I.K.; Xypolias, P. A new orogenic model for the External Hellenides. Geol. Soc. Lond. Spec. Publ. 2006, 260, 507–520. [Google Scholar] [CrossRef]
- Kokkalas, S.; Kamberis, E.; Xypolias, P.; Sotiropoulos, S.; Koukouvelas, I. Coexistence of thin-and thick-skinned tectonics in zakynthos area (Western Greece): Insights from seismic sections and regional seismicity. Tectonophysics 2013, 597–598, 73–84. [Google Scholar] [CrossRef]
- Kamberis, E.; Kokinou, E.; Koci, F.; Lioni, K.; Alves, T.M.; Velaj, T. Triassic evaporites and the structural architecture of the external hellenides and albanides (SE europe): Controls on the petroleum and geoenergy systems of Greece and Albania. Int. J. Earth Sci. 2022, 111, 789–821. [Google Scholar] [CrossRef]
- Alexandridis, I.; Georgakopoulos, A. A First-Order Approximative Conceptual Salt-Tectonic Model for the Ionian Zone (NW Greece) AAPG Europe Regional Conference 2020 the Last 50 Years of Exploration in Europe and the Mediterranean; Lessons Learned for Future E&P EffortsAAPG: Athens, Greece, 2020. [Google Scholar]
- Robertson, D.M. Tectonic Development of the Eastern Mediterranean Region: An Introduction. Geol. Soc. Lond. Spec. Publ. 2006, 206, 1–9. [Google Scholar] [CrossRef]
- Atkinson, J.; Wignall, P.; Barbullushi, R. Basin Evolution and Hydrocarbon Plays in Albania American Association of Petroleum Geologists. Search Discov. 2013, 19, 10504. [Google Scholar]
- Rigakis, N. Contribution to Stratigraphy Research on Wells and Outcrops of the Alpine Formations in Western Greece Relation to the Petroleum Generation Efficiency of Their Organic Matter. Ph.D. Thesis, Athens University, Zografou, Greece, 1999; p. 255. [Google Scholar]
- Nikolaou, K. Contribution to the Knowledge of the Neogene, the Geology of the Ionian and Pre-Apulian Zone Boundaries Relation to the Petroleum Geology Observations in Strofades, Zakynthos and Kefallonia Islands. Ph.D. Thesis, University of Athens, Athens, Greece, 1986; p. 228. [Google Scholar]
- Zoumpouli, E.; Maravelis, A.G.; Iliopoulos, G.; Botziolis, C.; Zygouri, V.; Zelilidis, A. Re-evaluation of the ionian basin evolution during the late cretaceous to eocene (aetoloakarnania area, western greece). Geosciences 2022, 12, 106. [Google Scholar] [CrossRef]
- Pe-Piper, G.; Piper, D.J.W.; Bourli, N.; Zelilidis, A. Evolution of sedimentary basins as recorded in silica concretions: An example from the ionian zone, western greece. Minerals 2021, 11, 763. [Google Scholar] [CrossRef]
- Bourli, N.; Iliopoulos, G.; Papadopoulou, P.; Zelilidis, A. Microfacies and depositional conditions of jurassic to eocene carbonates: Implication on ionian basin evolution. Geosciences 2021, 11, 288. [Google Scholar] [CrossRef]
- Bourli, N.; Maravelis, A.G.; Zelilidis, A. Classification of soft-sediment deformation in carbonates based on the lower cretaceous vigla formation, kastos, greece. Int. J. Earth Sci. 2020, 109, 2599–2614. [Google Scholar] [CrossRef]
- Tserolas, P.; Maravelis, A.G.; Tsochandaris, N.; Pasadakis, N.; Zelilidis, A. Organic geochemistry of the upper miocene-lower pliocene sedimentary rocks in the hellenic fold and thrust belt, NW corfu island, ionian sea, NW greece. Mar. Pet. Geol. 2019, 106, 17–29. [Google Scholar] [CrossRef]
- Kafousia, N.; Karakitsios, V.; Mattioli, E.; Kenjo, S.; Jenkyn, H. The Toarcian oceanic anoxic event in the Ionian zone, Greece. Palaeogeogr. Palaeoclimatol. Palaeoecol. 2014, 393, 135–145. [Google Scholar] [CrossRef]
- Etiope, G.; Christodoulou, D.; Kordella, S.; Marinaro, G.; Papatheodorou, G. Offshore and onshore seepage of thermogenic gas at Katakolo Bay (Western Greece). Chem. Geol. 2013, 339, 115–126. [Google Scholar] [CrossRef]
- Karakitsios, V.; Kvaĉek, Z.; Mantzouka, D. The first plant megafossil in the early jurassic of Greece: Brachyphyllum (coniferales) from the lower Posidonia beds (Toarcian) in the Ionian zone (NW Greece) and its palaeogeographic implications Neues Jahrbuch. Geol. Palaontol. Abhand. 2015, 278, 79–94. [Google Scholar] [CrossRef]
- Maravelis, A.G.; Koukounya, K.; Tserolas, P.; Pasadakis, N. Geochemistry of upper miocene–lower Pliocene source rocks in the Hellenic Fold and thrust belt, Zakynthos island, ionian sea, western Greece. Mar. Petrol. Geol. 2014, 66, 217–230. [Google Scholar] [CrossRef]
- Rigakis, N.; Nikolaou, K.; Marnelis, F.; Sotiropoulos, S. Geological solutions concluded by petroleum geochemical data in Western Greece. Bull. Geol. Soc. Greece 2013, 47, 2131. [Google Scholar] [CrossRef]
- Rigakis, N.; Nikolaou, K.; Marnelis, F.; Pakos, T. The utility of oil shows in the hydrocarbon exploration of western Greece. Bull. Geol. Soc. Greece 2007, 40, 959–971. [Google Scholar] [CrossRef]
- Rigakis, N.; Karakitsios, V. The source rock horizons of the Ionian Basin (NW Greece). Mar. Petrol. Geol. 1998, 15, 593–617. [Google Scholar] [CrossRef]
- Palacas, J.; Monopolis, D.; Nicolaou, C.; Anders, D. Geochemical correlation of surface and subsurface oils, western Greece. Org. Geochem. 1986, 10, 417–423. [Google Scholar] [CrossRef]
- Zelilidis, A.; Piper, D.J.W.; Vakalas, I.; Avramidis, P.; Getsos, K. Oil and gas plays in Albania: Do equivalent plays exist in Greece. J. Pet. Geol. 2003, 26, 29–48. [Google Scholar] [CrossRef]
- Gjoka, M.; Dulaj, A. Accumulation conditions and spreading of the oilfields in the limestone deposits in Ionian Zone, Albania. In Proceedings of the Abstract EAGE 61st Conference and Technical Exhibition, Helsinki, Finland, 7–11 June 1999. [Google Scholar]
- Alexandridis, I.; Oikonomopoulos, I.K.; Carvajal-Ortiz, H.; Gentzis, T.; Kalaitzidis, S.; Georgakopoulos, A.N.; Christanis, K. Discovery of a new source-rock interval within the pantokrator formation, Ionian Zone, western Greece: Insights from sulfur speciation and kinetics analyses. Mar. Pet. Geol. 2022, 145, 105918. [Google Scholar] [CrossRef]
- Alexandridis, I.; Georgakopoulos, A.; Carvajal-Ortiz, H.; Gentzis, T.; Oikonomopoulos, I. Source Rocks in Ionian Zone, western Greece. Discoveries and revisions from an outcrop study. Third EAGE East. Mediterr. Workshop EAGE 2021, 2021, 1–3. [Google Scholar] [CrossRef]
- Vilasi, N.; Malandain, J.; Barrier, L.; Callot, J.P.; Guilhaumou, N.; Lacombe, O.; Muska, K.; Roure, F.; Swennen, R. From outcrop and petrographic studies to basin-scale fluid flow modeling: The use of the Albanian natural laboratory for carbonate reservoir characterization. Tectonophysics 2009, 474, 367–392. [Google Scholar] [CrossRef]
- Velaj, T. Evaporites in Albania and their impact on the thrusting processes. Carbonates Evaporites 2002, 17, 68–78. [Google Scholar] [CrossRef]
- Prifti, I.; Muska, K. Hydrocarbon occurrences and petroleum geochemistry of Albanian oils. Ital. J. Geosci. 2013, 132, 228–235. [Google Scholar]
- Bertello, F.; Fantoni, R.; Franciosi, R.; Gatti, V.; Ghielmi, M.; Pugliese, A. From thrust-and-fold belt to foreland: Hydrocarbon occurrences in Italy. Geol. Soc. Lond. Pet. Geol. Conf. Ser. 2010, 7, 113–126. [Google Scholar] [CrossRef]
- Berra, F. Sea-level fall, carbonate production, rainy days: How do they relate? Insight from Triassic carbonate platforms (Western Tethys, Southern Alps, Italy). Geology 2012, 40, 271–274. [Google Scholar] [CrossRef]
- Smith, A.G. Othris, Pindos and Vourinos ophiolites and the Pelagonian Zone—Proceedings VI Colloquium. Geol. Aegean Reg. Athens 1977, 1405, 1369–1374. [Google Scholar]
- Robertson, A.H.F.; Clift, P.D.; Degnan, P.J.; Jones, G. Palaeogeographic and palaeotectonic evolution of the Eastern Mediterranean Neotethys. Palaeogeogr. Palaeoclimatol. Palaeoecol. 1991, 87, 289–343. [Google Scholar] [CrossRef]
- Papanikolaou, D. Timing of tectonic emplacement of the ophiolites and terrane paleogeography in the Hellenides. Lithos 2009, 108, 262–280. [Google Scholar] [CrossRef]
- Jacobshagen, V.; Richter, D.; Makris, J. Alpidic Development of the Peloponnesus, in Alps, Apennines, Hellenides; Closs, H., Roeder, D., Schmidt, H., Eds.; Schweizerbart’sche Verlagsbuchhandlung: Stuttgart, Germany, 1978; pp. 415–423. [Google Scholar]
- De Graciansky, P.C.; Dardeau, G.; Lemoine, M.; Tricart, P. The Inverted Margin of the French Alps and Foreland Basin Inversion, in Inversion Tectonics; Cooper, M.A., Williams, G.D., Eds.; The Geological Society of London: London, UK, 1989; Volume 44, pp. 87–104. [Google Scholar]
- Vakalas, I. The Evolution of Foreland Basins in Western Greece. Ph.D Thesis, University of Patras, Patras, Greece, 2003; p. 373. [Google Scholar]
- Avramidis, P.; Zelilidis, A.; Vakalas, I.; Kontopoulos, N. Interactions between tectonic activity and eustatic sea-level changes in the Pindos and Mesohellenic basins, NW Greece: Basin evolution and hydrocarbon potential. J. Petrol. Geol. 2002, 25, 53–82. [Google Scholar] [CrossRef]
- Karakitsios, V. Western Greece and Ionian Sea petroleum systems. AAPG Bull. 2013, 97, 1567–1595. [Google Scholar] [CrossRef]
- Underhill, J.R. Triassic evaporites and Plio-Quaternary diapirism in western Greece. J. Geol. Soc. 1988, 145, 269–282. [Google Scholar] [CrossRef]
- Karakitsios, V. Ouverture et inversion tectonique du basin Ionien (Epire, Grèce). Ann. Géol. Pays Hellén 1992, 35, 185–318. [Google Scholar]
- Karakitsios, V. The influence of pre-existing structure and halokinesis on organic matter preservation and thrust system evolution in the Ionian basin, northwestern Greece. AAPG Bull. 1995, 79, 960–980. [Google Scholar]
- Kamberis, E.; Marnelis, F.; Louckogiannajis, M.; Maltezou, F.; Hirn, A.; the STREAMERS Group. Structure and deformation of the External Hellenides based on seismic data from offshore western Greece. EAGE Spec. Publ. 1996, 5, 207–214. [Google Scholar]
- Karakitsios, V.; Rigakis, N. Evolution and petroleum potential of western Greece. J. Pet. Geol. 2007, 30, 197–218. [Google Scholar] [CrossRef]
- Rigassi-Studer, D. Subdivision et datation de la molasse “d’eau douce” inférieure du plateau Suisse. Bull. Paleolab 1977, 1. [Google Scholar]
- Laubscher, H.P. Foreland folding. Tectonophysics 1978, 47, 325–337. [Google Scholar] [CrossRef]
- Williams, G.D. Thrust tectonics in the south central Pyrenees. J. Struct. Geol. 1985, 7, 11–17. [Google Scholar] [CrossRef]
- Ricci Lucchi, F. The Oligocene to Recent foreland basins of the northern Apennines. Foreland Basins 1986, 8, 103–139. [Google Scholar]
- Perrier, R.; Koukouzas, C.; Bizon, G. Geological Map of Greece in Scale 1:50,000, “Filiates” Sheet; Institute of Geology and Mineral Exploration: Athens, Greece, 1967. [Google Scholar]
- Perrier, R.; Koukouzas, C.; Bizon, G. Geological Map of Greece in Scale 1:50,000, “Parga” Sheet; Institute of Geology and Mineral Exploration: Athens, Greece, 1969. [Google Scholar]
- Perrier, R.; Koukouzas, C.; Bizon, G. Geological Map of Greece in Scale 1:50,000, “Sayiadha” Sheet; Institute of Geology and Mineral Exploration: Athens, Greece, 1969. [Google Scholar]
- Bega, Z.; Soto, J.I. The Ionian Fold-and-Thrust Belt in Central and Southern Albania: A Petroleum Province with Triassic Evaporites. In Permo_Triassic Salt Provinces of Europe, North Africa and the Atlantic Margins; Elsevier: Amsterdam, The Netherlands, 2017; pp. 517–538. [Google Scholar]
- Hernández, P.; Pérez Martín, R.; Pita, J.P.; Ponte, A.; Rubio, B.; Malmcrona, Y.; Chambers, A.; Martin, A.; Cascone, L.; Konstantopoulos, T.; et al. New structural and petroleum system models of the Ionian Zone, North-Western Greece. In 15th International Congress of the Geological Society of Greece; Geological Society of Greece: Athens, Greece, 2019; pp. 527–528. [Google Scholar]
- Olaya, J.; Perez, R.; Gorian, C.; Elsabaa, A. Land Seismic Depth Imaging and Interpretation in a thrust belt in Western Greece. In Proceedings of the AAPG Europe Regional Conference 2020: The Last 50 Years of Exploration in Europe and the Mediterranean, Lessons Learned for Future E&P Efforts, Athens, Greece, 28–29 January 2020. [Google Scholar]
- Institute of Geology and Subsurface Research, Greece and Institut Français Pétrole. In Etude Géologique de l’Epire (Grèce Nord-Occidentale); Technip: Paris, France, 1966; p. 306.
- Underhill, J.R. Neogene and Quartenary Tectonics and Sedimentation in Western Greece. Ph.D. Thesis, University of Wales, Cardiff, Wales, 1985. [Google Scholar]
- Clews, J. Structural controls on basin evolution: Neogene to Quaternary of the Ionian zone of western Greece. J. Geol. Soc. Lond. 1989, 146, 447–457. [Google Scholar] [CrossRef]
- Alexander, J.; Nichols, G.J.; Leigh, S. The origins of marine conglomerates in the Pindus foreland basin, Greece. Sediment. Geol. 1990, 66, 243–254. [Google Scholar] [CrossRef]
- Avramidis, P. Depositional Environments and Hydrocarbon Potential of Tertiary Formations in Klematia-Paramythia Basin, Epirus. Ph.D. Thesis, University of Patras, Patras, Greece, 1999. [Google Scholar]
- B.P.-British Petroleum Corporation Limited. The Geological Results of Petroleum Exploration in Western Greece. Inst. Geol. Subsurf. Res. Athens 1971, 10, 73. [Google Scholar]
- Fleury, J.J. Evolution d’une platforme et d’un basin dans leur cadre alpin: Les zones de Gavrovo-Tripolitze et du Pinde-Olonos. Soc.Géol. Nord, Spec. Publ. 1980, 4, 651. [Google Scholar]
- Leigh, S.P. The Sedimentary Evolution of the Pindos Foreland Basin Western Greece. Ph.D. Thesis, University of Wales, Cardiff, Wales, 1991. [Google Scholar]
- Wilpshaar, M. Applicability of Dinoflagellate Cyst Stratigraphy to the Analyses of Passive and Active Tectonic Settings. Ph.D. Thesis, University of Utrecht, Utrecht, The Netherlands, 1995. [Google Scholar]
- Bellas, S.M. Calcareous nannofossils of the Tertiary flysch (Post Eocene to Early Miocene) of the Ionian zone in Epirus NW-Greece: Taxonomy and Biostratigraphical correlations. Berl. Geow. Abh. 1997, 22, 173. [Google Scholar]
- Vakalas, I.; Ananiadis, G.; Kontopoulos, N.; Stoykova, K.K.; Zelilidis, A. Age Determination αnd Palaeogeographic Reconstruction of Pindos Foreland Basin Based On Calcareous Nannofossils. Bull. Geol. Soc. Greece 2018, 36, 864–873. [Google Scholar] [CrossRef]
- Avramidis, P.; Zelilidis, A.; Kontopoulos, N. Thrust dissection control of deep-water clastic dispersal patterns in the Klematia–Paramythia foreland basin, western Greece. Geol. Mag. 2000, 137, 667–685. [Google Scholar] [CrossRef]
- Kokinou, E.; Kamberis, E.; Vafidis, A.; Monopolis, D.; Ananiadis, G.; Zelilidis, A. Deep seismic reflection data from offshore Western Greece: A new crustal model for the Ionian sea. J. Pet. Geol. 2005, 28, 81–98. [Google Scholar] [CrossRef]
- Hobson, G.D. Calculating the true thickness of a folded bed. Am. Assoc. Pet. Geol. Bull. 1942, 26, 1827–1832. [Google Scholar]
- Charlesworth, H.A.K.; Kilby, W.E. Calculating thickness from outcrop and drill-hole data. Bull. Can. Pet. Geol. 1981, 29, 277–292. [Google Scholar]
- Dunham, R.J. Classification of sedimentary rocks according to depositional texture. In Classification of Carbonate Rocks, Memoir 1, American; Ham, W.E., Ed.; Association of Petroleum Geologists: Tulsa, OK, USA, 1962; pp. 108–121. [Google Scholar]
- Embry, A.F.; Klovan, J.E. A late Devonian reef tract on the northeastern Banks Island, Northwest Territories. Bull. Can. Pet. Geol. 1971, 19, 730–781. [Google Scholar]
- Mavromatidis, A. Review of Hydrocarbon Prospectivity in the Ionian Basin, Western Greece, Energy Sources, Part A. Recovery Util. Environ. Eff. 2009, 31, 619–632. [Google Scholar] [CrossRef]
- Velaj, T.; Xhufi, C.; Jano, K. The structural model of the Dumrea evaporitic diapir in the Albanides Ionian zone. In Proceedings of the XV Congress of the Carpathio-Balkan Geological Association, Athens, Greece, 17–20 September 1995; p. 29. [Google Scholar]
- Prifit, I.; Silo, V. The evidence of anticlines under the overthrust of Berati anticlinebelt, Albania (Poster). GeoDarmstadt Geowissenschaftensichern Zukunft. Geosci. Secur. Future 2010, 2010, 444–448. [Google Scholar]
- Renz, C. Die vorneogene Stratigraphie der normal-sedimentären Formationen Griechenlands. Inst. Geol. Subsurf. Res. Athens 1955, 30, 637. [Google Scholar]
- Pomoni-Papaioannou, F.; Tsaila-Monopolis, S. Petrographical, Sedimentological, and Micropaleontological studies in an evaporite outcrop, West of Ziros lake (Epirus- Greece). Riv. Ital. Paleont. Strat. Milano 1983, 88, 387–400. [Google Scholar]
- Dragastan, O.; Papanikos, D.; Papanikos, P. Foraminiferes Algues et microproblematica du trias de Messopotamos, Epire (Grèce continentale). Rev. Micropaleont 1985, 27, 244–248. [Google Scholar]
- Karakitsios, V. Chronologie et Geometrie de l’ Ouverture d’ un Basin et de Son Inversion Tectonique: Le Bassin IONIEN (Epire, Grèce); Curie: Paris, France, 1990; Volume 310, pp. 91–94. [Google Scholar]
- Baldwin, B.; Butler, C.O. Compaction curves. AAPG Bull. 1985, 69, 622–626. [Google Scholar]
- Fairchild, L.H.; Nelson, T.H. Emplacement and evolution of salt sills (abs.). Houst. Geol. Soc. Bull. 1989, 32, 6–7. [Google Scholar]
- Ge, Z.; Gawthorpe, R.L.; Rotevatn, A.; Zijerveld, L.; Jackson, C.A.; Oluboyo, A. Minibasin depocentre migration during diachronous salt welding, offshore Angola. Basin Res. 2020, 32, 875–893. [Google Scholar] [CrossRef]
- Stewart, S.A. Salt Tectonics in the North Sea Basin: A Structural Style Template for Seismic Interpreters; Ries, A.C., Butler, R.W.H., Graham, R.H., Eds.; Geological Society, London, Special Publications: London, UK, 2007; Volume 272, pp. 361–396. [Google Scholar] [CrossRef]
- Stewart, S.A.; Clark, J.A. Impact of salt on the structure of the Central North Sea hydrocarbon fairways. Geol. Soc. Lond. Pet. Geol. Conf. Ser. 1999, 5, 179–200. [Google Scholar] [CrossRef]
- Schultz-Ela, D.D.; Jackson, M.P.; Vendeville, B.C. Mechanics of active salt diapirism. Tectonophysics 1993, 228, 275–312. [Google Scholar] [CrossRef]
- Rowan, M.G.; Giles, T.E. Hearon, I.V.; Fiduk, J.C. Megaflaps adjacent to slope diapirs. AAPG Bull. 2016, 100, 1723–1747. [Google Scholar] [CrossRef]












Disclaimer/Publisher’s Note: The statements, opinions and data contained in all publications are solely those of the individual author(s) and contributor(s) and not of MDPI and/or the editor(s). MDPI and/or the editor(s) disclaim responsibility for any injury to people or property resulting from any ideas, methods, instructions or products referred to in the content. |
© 2023 by the authors. Licensee MDPI, Basel, Switzerland. This article is an open access article distributed under the terms and conditions of the Creative Commons Attribution (CC BY) license (https://creativecommons.org/licenses/by/4.0/).
Share and Cite
Vakalas, I.; Kokkalas, S.; Konstantopoulos, P.; Tzimeas, C.; Kampolis, I.; Tsiglifi, H.; Pérez-Martin, R.; Hernandez-Jiménez, P.; Pita-Gutierrez, J.P. Implications of Salt Diapirism in Syn-Depositional Architecture of a Carbonate Margin-to-Edge Transition: An Example from Plataria Syncline, Ionian Zone, NW Greece. Appl. Sci. 2023, 13, 7043. https://doi.org/10.3390/app13127043
Vakalas I, Kokkalas S, Konstantopoulos P, Tzimeas C, Kampolis I, Tsiglifi H, Pérez-Martin R, Hernandez-Jiménez P, Pita-Gutierrez JP. Implications of Salt Diapirism in Syn-Depositional Architecture of a Carbonate Margin-to-Edge Transition: An Example from Plataria Syncline, Ionian Zone, NW Greece. Applied Sciences. 2023; 13(12):7043. https://doi.org/10.3390/app13127043
Chicago/Turabian StyleVakalas, Ioannis, Sotirios Kokkalas, Panagiotis Konstantopoulos, Constantinos Tzimeas, Isidoros Kampolis, Helen Tsiglifi, Ruben Pérez-Martin, Pablo Hernandez-Jiménez, and Juan Pablo Pita-Gutierrez. 2023. "Implications of Salt Diapirism in Syn-Depositional Architecture of a Carbonate Margin-to-Edge Transition: An Example from Plataria Syncline, Ionian Zone, NW Greece" Applied Sciences 13, no. 12: 7043. https://doi.org/10.3390/app13127043
APA StyleVakalas, I., Kokkalas, S., Konstantopoulos, P., Tzimeas, C., Kampolis, I., Tsiglifi, H., Pérez-Martin, R., Hernandez-Jiménez, P., & Pita-Gutierrez, J. P. (2023). Implications of Salt Diapirism in Syn-Depositional Architecture of a Carbonate Margin-to-Edge Transition: An Example from Plataria Syncline, Ionian Zone, NW Greece. Applied Sciences, 13(12), 7043. https://doi.org/10.3390/app13127043

