Diet Composition Affects Liver and Mammary Tissue Transcriptome in Primiparous Holstein Dairy Cows
Simple Summary
Abstract
1. Introduction
2. Materials and Methods
2.1. Ethics Statement
2.2. Experimental Design
2.3. Tissue Collection
2.4. RNA Extraction and Microarray Analysis
2.5. Statistical Analysis
2.5.1. Differentially Expressed Genes (DEG) Analysis
2.5.2. Functional Annotation Analysis of Differently Expressed Genes
3. Results and Discussion
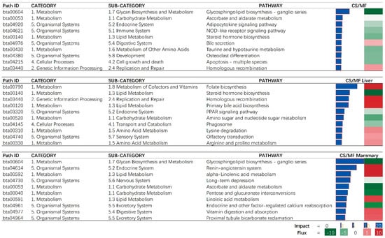
3.1. Signaling Pathways in Liver and Mammary Tissues are Affected by CS vs. MF
3.2. Liver: CS Diet Inhibits Metabolism of Lipid
3.3. Liver: CS Diet Activated Folate Biosynthesis and Homologous Recombination
3.4. Liver: CS Diet Induces Potassium Transport in Liver
3.5. CS vs. MF Induces Lipid Metabolism in Mammary Tissue
4. Conclusions
Supplementary Materials
Author Contributions
Funding
Acknowledgments
Conflicts of Interest
References
- Bauman, D.E.; Mather, I.; Wall, R.; Lock, A. Major advances associated with the biosynthesis of milk. J. Dairy Sci. 2006, 89, 1235–1243. [Google Scholar] [CrossRef]
- Schingoethe, D.; Byers, F.; Schelling, G. Nutrient needs during critical periods of the life cycle. In The Ruminant Animal: Digestive, Physiology, and Nutrition; Waveland Press Inc.: Long Grove, IL, USA, 1988; pp. 421–447. [Google Scholar]
- Bergman, E.N.; Brockman, R.P.; Kaufman, C.F. Glucose metabolism in ruminants: Comparison of whole-body turnover with production by gut, liver, and kidneys. Fed. Proc. 1974, 33, 1849–1854. [Google Scholar] [PubMed]
- Aschenbach, J.R.; Kristensen, N.B.; Donkin, S.; Hammon, H.M.; Penner, G.B. Gluconeogenesis in dairy cows: The secret of making sweet milk from sour dough. IUBMB Life 2010, 62, 869–877. [Google Scholar] [CrossRef]
- Loor, J.J.; Bionaz, M.; Drackley, J.K. Systems physiology in dairy cattle: Nutritional genomics and beyond. Annu. Rev. Anim. Biosci. 2013, 1, 365–392. [Google Scholar] [CrossRef]
- Bionaz, M.; Loor, J.J. Ruminant metabolic systems biology: Reconstruction and integration of transcriptome dynamics underlying functional responses of tissues to nutrition and physiological state. Gene Regul. Syst. Biol. 2012, 6, 109–125. [Google Scholar] [CrossRef] [PubMed]
- Pang, Y.Z.; Liu, Y.P.; Li, X.; Wang, K.S.; Yuan, H.R. Improving Biodegradability and Biogas Production of Corn Stover through Sodium Hydroxide Solid State Pretreatment. Energy Fuels 2008, 22, 2761–2766. [Google Scholar] [CrossRef]
- Zhu, W.; Fu, Y.; Wang, B.; Wang, C.; Ye, J.; Wu, Y.; Liu, J. Effects of dietary forage sources on rumen microbial protein synthesis and milk performance in early lactating dairy cows. J. Dairy Sci. 2013, 96, 1727–1734. [Google Scholar] [CrossRef]
- Zhou, X.; Zhang, Y.; Zhao, M.; Zhang, T.; Zhu, D.; Bu, D.; Wang, J. Effect of dietary energy source and level on nutrient digestibility, rumen microbial protein synthesis, and milk performance in lactating dairy cows. J. Dairy. Sci. 2015, 98, 7209–7217. [Google Scholar] [CrossRef]
- Sun, H.Z.; Wang, D.-M.; Wang, B.; Wang, J.; Liu, H.; Guan, L.L.; Liu, J. Metabolomics of four biofluids from dairy cows: Potential biomarkers for milk production and quality. J. Proteome Res. 2015, 14, 1287–1298. [Google Scholar] [CrossRef]
- Zhang, R.; Zhu, W.; Zhu, W.; Liu, J.; Mao, S. Effect of dietary forage sources on rumen microbiota, rumen fermentation and biogenic amines in dairy cows. J. Sci. Food. 2014, 94, 1886–1895. [Google Scholar] [CrossRef]
- Wang, B.; Tu, Y.; Jiang, L.S.; Liu, J. Effect of cereal straw and alfalfa hay diet on amino acid profile of gastrointestinal digesta in lactating dairy cows. J. Anim. Physiol. Anim. Nutr. 2018, 102, 421–428. [Google Scholar] [CrossRef] [PubMed]
- Wang, B.; Mao, S.; Jian, Y.H.; Wu, Y.; Wang, J.; Li, S.; Shen, Z.; Liu, J. Effects of alfalfa and cereal straw as a forage source on nutrient digestibility and lactation performance in lactating dairy cows. J. Dairy Sci. 2014, 97, 7706–7715. [Google Scholar] [CrossRef]
- Han, R.; Zheng, N.; Zhang, Y.; Zhao, X.; Bu, D.; An, P.; Xu, X.; Liu, S.; Wang, J. Milk fatty acid profiles in Holstein dairy cows fed diets based on corn stover or mixed forage. Arch. Anim. Nutr. 2014, 68, 63–71. [Google Scholar] [CrossRef]
- Bu, D.; Bionaz, M.; Wang, M.; Nan, X.; Ma, L.; Wang, J. Transcriptome difference and potential crosstalk between liver and mammary tissue in mid-lactation primiparous dairy cows. PLoS ONE 2017, 12, e0173082. [Google Scholar] [CrossRef] [PubMed]
- Bionaz, M.; Periasamy, K.; Rodriguez-Zas, S.L.; Hurley, W.L.; Loor, J. A novel dynamic impact approach (DIA) for functional analysis of time-course omics studies: Validation using the bovine mammary transcriptome. PLoS ONE 2012, 7, e32455. [Google Scholar] [CrossRef] [PubMed]
- Gao, S.T.; Ma, L.; Zhou, Z.; Baumgard, L.H.; Jiang, D.; Bionaz, M.; Bu, D.P. Heat stress negatively affects the transcriptome related to overall metabolism and milk protein synthesis in mammary tissue of midlactating dairy cows. Physiol. Genom. 2019, 51, 400–409. [Google Scholar] [CrossRef]
- Bindea, G.; Mlecnik, B.; Hackl, H.; Charoentong, P.; Tosolini, M.; Kirilovsky, A.; Fridman, W.H.; Pagès, F.; Trajanoski, Z.; Galon, J. ClueGO: A Cytoscape plug-in to decipher functionally grouped gene ontology and pathway annotation networks. Bioinformatics 2009, 25, 1091–1093. [Google Scholar] [CrossRef]
- Huang, D.W.; Sherman, B.T.; Lempicki, R.A. Systematic and integrative analysis of large gene lists using DAVID bioinformatics resources. Nat. Protoc. 2009, 4, 44–57. [Google Scholar] [CrossRef]
- Vettor, R.; Milan, G.; Rossato, M.; Federspil, G. Review article: Adipocytokines and insulin resistance. Aliment. Pharmacol. Ther. 2005, 22 (Suppl. S2), 3–10. [Google Scholar] [CrossRef]
- Strober, W.; Murray, P.J.; Kitani, A.; Watanabe, T. Signalling pathways and molecular interactions of NOD1 and NOD2. Nat. Rev. Immunol. 2006, 6, 9–20. [Google Scholar] [CrossRef]
- Brasier, A.R. The NF-κB regulatory network. Cardiovasc. Toxicol. 2006, 6, 111–130. [Google Scholar] [CrossRef]
- Fimia, M.G.; Sassone-Corsi, P. Cyclic AMP signalling. J. Cell Sci. 2001, 114 Pt 11, 1971–1972. [Google Scholar]
- Lauss, M.; Kriegner, A.; Vierlinger, K.; Noehammer, C. Characterization of the drugged human genome. Pharmacogenomics 2007, 8, 1063–1073. [Google Scholar] [CrossRef] [PubMed]
- Boczek, T.; Cameron, E.G.; Yu, W.; Xia, X.; Shah, S.H.; Chabeco, B.C.; Galvao, J.; Nahmou, M.; Li, J.; Thakur, H.; et al. Regulation of Neuronal Survival and Axon Growth by a Perinuclear cAMP Compartment. J. Neurosci. 2019, 39, 5466–5480. [Google Scholar] [CrossRef]
- Sibaja, A.R.; Schmidt, G.H. Epinephrine inhibiting milk ejection in lactating cows. J. Dairy Sci. 1975, 58, 344–348. [Google Scholar] [CrossRef]
- Mandard, S.; Müller, M.; Kersten, S. Peroxisome proliferator-activated receptor α target genes. Cell. Mol. Life Sci. CMLS 2004, 61, 393–416. [Google Scholar] [CrossRef]
- Bionaz, M.; Chen, S.; Khan, M.J.; Loor, J.J. Functional Role of PPARs in Ruminants: Potential Targets for Fine-Tuning Metabolism during Growth and Lactation. PPAR Res. 2013, 2013, 684159. [Google Scholar] [CrossRef] [PubMed]
- Sebastiano, B.; Massimo, B. The Interplay Between Non-Esterified Fatty Acids and Bovine Peroxisome Proliferator-Activated Receptors: Results of an In Vivo-In Vitro Hybrid Approach. J. Anim. Sci. Biotechnol. 2020. [Google Scholar] [CrossRef]
- Shahzad, K.; Bionaz, M.; Trevisi, E.; Bertoni, G.; Rodriguez-Zas, S.L.; Loor, J. Integrative analyses of hepatic differentially expressed genes and blood biomarkers during the peripartal period between dairy cows overfed or restricted-fed energy prepartum. PLoS ONE 2014, 9, e99757. [Google Scholar] [CrossRef]
- Bionaz, M.; Osorio, J.; Loor, J.J. TRIENNIAL LACTATION SYMPOSIUM: Nutrigenomics in dairy cows: Nutrients, transcription factors, and techniques. J. Anim. Sci. 2015, 93, 5531–5553. [Google Scholar] [CrossRef]
- Holst, J.P.; Soldin, O.P.; Guo, T.; Soldin, S.J. Steroid hormones: Relevance and measurement in the clinical laboratory. Clin. Lab Med. 2004, 24, 105–118. [Google Scholar] [CrossRef] [PubMed]
- Falkenstein, E.; Tillmann, H.C.; Christ, M.; Feuring, M.; Wehling, M. Multiple actions of steroid hormones--A focus on rapid, nongenomic effects. Pharmacol. Rev. 2000, 52, 513–556. [Google Scholar]
- Charni-Natan, M.; Aloni-Grinstein, R.; Osher, E.; Rotter, V. Liver and Steroid Hormones—Can a Touch of p53 Make a Difference? Front. Endocrinol. 2019, 10, 374. [Google Scholar] [CrossRef] [PubMed]
- You, L. Steroid hormone biotransformation and xenobiotic induction of hepatic steroid metabolizing enzymes. Chem.-Biol. Interact. 2004, 147, 233–246. [Google Scholar] [CrossRef] [PubMed]
- Shi, H.; Zhang, J.; Li, S.; Ji, S.; Cao, Z.; Zhang, H.; Wang, Y.J. Effects of a wide range of dietary forage-to-concentrate ratios on nutrient utilization and hepatic transcriptional profiles in limit-fed Holstein heifers. BMC Genom. 2018, 19, 148. [Google Scholar] [CrossRef] [PubMed]
- Jia, L.; Betters, J.L.; Yu, L. Niemann-pick C1-like 1 (NPC1L1) protein in intestinal and hepatic cholesterol transport. Annu. Rev. Physiol. 2011, 73, 239–259. [Google Scholar] [CrossRef] [PubMed]
- Kessler, E.C.; Gross, J.J.; Bruckmaier, R.; Albrecht, C. Cholesterol metabolism, transport, and hepatic regulation in dairy cows during transition and early lactation. J. Dairy Sci. 2014, 97, 5481–5490. [Google Scholar] [CrossRef]
- Schlegel, G.; Ringseis, R.; Keller, J.; Schwarz, F.; Eder, K. Changes in the expression of hepatic genes involved in cholesterol homeostasis in dairy cows in the transition period and at different stages of lactation. J. Dairy Sci. 2012, 95, 3826–3836. [Google Scholar] [CrossRef]
- Loor, J.; Everts, R.E.; Bionaz, M.; Dann, H.M.; Morin, D.E.; Oliveira, R.; Rodriguez-Zas, S.L.; Drackley, J.K.; Lewin, H.A. Nutrition-induced ketosis alters metabolic and signaling gene networks in liver of periparturient dairy cows. Physiol. Genom. 2007, 32, 105–116. [Google Scholar] [CrossRef]
- Akbar, H.; Bionaz, M.; Carlson, D.; Rodriguez-Zas, S.; Everts, R.; Lewin, H.; Drackley, J.; Loor, J.J. Feed restriction, but not l-carnitine infusion, alters the liver transcriptome by inhibiting sterol synthesis and mitochondrial oxidative phosphorylation and increasing gluconeogenesis in mid-lactation dairy cows. J. Dairy Sci. 2013, 96, 2201–2213. [Google Scholar] [CrossRef]
- Sid, V.; Siow, Y.; Karmin, O. Role of folate in nonalcoholic fatty liver disease. Can. J. Physiol. Pharmacol. 2017, 95, 1141–1148. [Google Scholar] [CrossRef] [PubMed]
- Wright, A.J.; Dainty, J.R.; Finglas, P. Folic acid metabolism in human subjects revisited: Potential implications for proposed mandatory folic acid fortification in the UK. Br. J. Nutr. 2007, 98, 667–675. [Google Scholar] [CrossRef] [PubMed]
- Steinberg, S.E.; Campbell, C.L.; Hillman, R.S. Kinetics of the normal folate enterohepatic cycle. J. Clin. Invest. 1979, 64, 83–88. [Google Scholar] [CrossRef] [PubMed]
- Kennedy, D.O. B Vitamins and the Brain: Mechanisms, Dose and Efficacy--A Review. Nutrients 2016, 8, 68. [Google Scholar] [CrossRef]
- NRC. Nutrient Requirements of Dairy Cattle: Seventh Revised Edition, 2001; The National Academies Press: Washington, DC, USA, 2001; p. 408. [Google Scholar]
- Bionaz, M.; Periasamy, K.; Rodriguez-Zas, S.L.; Everts, R.E.; Lewin, H.A.; Hurley, W.L.; Loor, J. Old and new stories: Revelations from functional analysis of the bovine mammary transcriptome during the lactation cycle. PLoS ONE 2012, 7, e33268. [Google Scholar] [CrossRef]
- Bionaz, M.; Loor, J. Gene networks driving bovine milk fat synthesis during the lactation cycle. BMC Genom. 2008, 9, 366. [Google Scholar] [CrossRef]





© 2020 by the authors. Licensee MDPI, Basel, Switzerland. This article is an open access article distributed under the terms and conditions of the Creative Commons Attribution (CC BY) license (http://creativecommons.org/licenses/by/4.0/).
Share and Cite
Gao, S.; Zhou, Z.; Wang, J.; Loor, J.; Bionaz, M.; Ma, L.; Bu, D. Diet Composition Affects Liver and Mammary Tissue Transcriptome in Primiparous Holstein Dairy Cows. Animals 2020, 10, 1191. https://doi.org/10.3390/ani10071191
Gao S, Zhou Z, Wang J, Loor J, Bionaz M, Ma L, Bu D. Diet Composition Affects Liver and Mammary Tissue Transcriptome in Primiparous Holstein Dairy Cows. Animals. 2020; 10(7):1191. https://doi.org/10.3390/ani10071191
Chicago/Turabian StyleGao, Shengtao, Zheng Zhou, Jiaqi Wang, Juan Loor, Massimo Bionaz, Lu Ma, and Dengpan Bu. 2020. "Diet Composition Affects Liver and Mammary Tissue Transcriptome in Primiparous Holstein Dairy Cows" Animals 10, no. 7: 1191. https://doi.org/10.3390/ani10071191
APA StyleGao, S., Zhou, Z., Wang, J., Loor, J., Bionaz, M., Ma, L., & Bu, D. (2020). Diet Composition Affects Liver and Mammary Tissue Transcriptome in Primiparous Holstein Dairy Cows. Animals, 10(7), 1191. https://doi.org/10.3390/ani10071191

