Synergism of the Combination of Traditional Antibiotics and Novel Phenolic Compounds against Escherichia coli
Abstract
1. Introduction
2. Results
2.1. Minimum Inhibitory Concentration of Phenolic Compounds and Antibiotics
2.2. Antibacterial Effects of Combinations of Phenolic Compound and Antibiotic
2.3. Effects of Phenolic Compound-Antibiotic Combinations on Concentration- and Time-Dependent Bacterial Inhibition Rate
2.4. Effects of Phenolic Compound-Antibiotic Combinations on Bacterial Cell Morphology
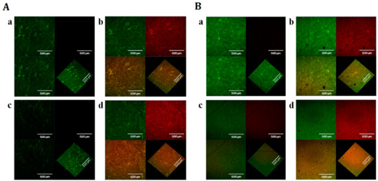
2.5. Effects of Phenolic Compound-Antibiotic Combinations on the Inhibition and Viability of Biofilm
2.6. Effects of Phenolic Compound-Antibiotic Combinations on Bacterial Cell Motility
2.7. Effects of Phenolic Compound-Antibiotic Combinations on IEC-6 Cell Viability
3. Discussion
4. Materials and Methods
4.1. Reagents, Chemicals, and Bacterial Strains
4.2. Minimum Inhibition Concentrations of Phenolic Compounds and Conventional Antibiotics
4.3. Fractional Inhibition Concentration (FIC) Index of Phenolic Compounds and Conventional Antibiotics
4.4. Effects of Phenolic Compound-Antibiotic Combinations on the Inhibition Rate of E. coli
4.5. Effects of Phenolic Compound-Antibiotic Combinations on the Morphology of E. coli Cells
4.6. Effects of Phenolic Compound-Antibiotic Combinations on the Growth and Viability of E. coli Biofilm
4.7. Effects of Phenolic Compound-Antibiotic Combinations on Swim and Swarm Motilities of E. coli
4.8. Effects of Phenolic Compound-Antibiotic Combinations on the Viability of Small Intestine Cells (IEC-6)
4.9. Statistical Analysis
Supplementary Materials
Author Contributions
Funding
Acknowledgments
Conflicts of Interest
References
- Kjelstrup, C.K.; Barber, A.E.; Norton, J.P.; Mulvey, M.A.; L’Abée-Lund, T.M. Escherichia coli O78 isolated from septicemic lambs shows high pathogenicity in a zebrafish model. Vet. Res. 2017, 48, 3. [Google Scholar] [CrossRef]
- Qiu, J.; Jiang, Z.; Ju, Z.; Zhao, X.; Yang, J.; Guo, H.; Sun, S. Molecular and phenotypic characteristics of Escherichia coli isolates from farmed minks in Zhucheng, China. BioMed Res. Int. 2019, 2019, 3917841. [Google Scholar] [CrossRef]
- Piérard, D.; Greve, H.D.; Haesebrouck, F.; Mainil, J. O157:H7 and O104:H4 Vero/shiga toxin-producing Escherichia coli outbreaks: Respective role of cattle and humans. Vet. Res. 2012, 43, 13. [Google Scholar] [CrossRef] [PubMed]
- Wiethoelter, A.K.; Beltrán-Alcrudo, D.; Kock, R.; Mor, S.M. Global trends in infectious diseases at the wildlife–livestock interface. Proc. Natl. Acad. Sci. USA 2015, 112, 9662–9667. [Google Scholar] [CrossRef] [PubMed]
- Taylor, L.H.; Latham, S.M.; Woolhouse, M.E. Risk factors for human disease emergence. Philos. Trans. R Soc. Lond. B Biol. Sci. 2001, 356, 983–989. [Google Scholar] [CrossRef] [PubMed]
- Ma, Z.; Lee, S.; Jeong, K.C. Mitigating antibiotic resistance at the livestock-environment interface: A review. J. Microbiol. Biotechnol. 2019, 29, 1683–1692. [Google Scholar] [CrossRef] [PubMed]
- Rwego, I.B.; Gillespie, T.R.; Isabirye-Basuta, G.; Goldberg, T.L. High rates of Escherichia coli transmission between livestock and humans in rural Uganda. J. Clin. Microbiol. 2008, 46, 3187–3191. [Google Scholar] [CrossRef] [PubMed]
- Tängdén, T. Combination antibiotic therapy for multidrug-resistant Gram-negative bacteria. Upsala J. Med. Sci. 2014, 119, 149–153. [Google Scholar] [CrossRef]
- Acharyya, S.; Sarkar, P.; Saha, D.R.; Patra, A.; Ramamurthy, T.; Bag, P.K. Intracellular and membrane-damaging activities of methyl gallate isolated from Terminalia chebula against multidrug-resistant Shigella spp. J. Med. Microbiol. 2015, 64, 901–909. [Google Scholar] [CrossRef][Green Version]
- Ozcan, T.; Akpinar-Bayizit, A.; Yilmaz-Ersan, L.; Delikanli, B. Phenolics in human health. Int. J. Chem. Eng. Appl. 2014, 5, 393–396. [Google Scholar] [CrossRef]
- Hossain, M.A.; Lee, S.J.; Park, J.Y.; Reza, M.A.; Kim, T.H.; Lee, K.J.; Suh, J.W.; Park, S.C. Modulation of quorum sensing-controlled virulence factors by Nymphaea tetragona (water lily) extract. J. Ethnopharmacol. 2015, 174, 482–491. [Google Scholar] [CrossRef] [PubMed]
- Hossain, M.A.; Park, J.Y.; Kim, J.Y.; Suh, J.W.; Park, S.C. Synergistic effect and antiquorum sensing activity of Nymphaea tetragona (water lily) extract. Biomed. Res. Int. 2014, 2014, 562173. [Google Scholar] [CrossRef] [PubMed]
- Pimenta, A.D.L.; Chiaradia-Delatorre, L.D.; Mascarello, A.; de Oliveira, K.A.; Leal, P.C.; Yunes, R.A.; de Aguiar, C.B.; Tasca, C.I.; Nunes, R.J.; Smania, A., Jr. Synthetic organic compounds with potential for bacterial biofilm inhibition, a path for the identification of compounds interfering with quorum sensing. Int. J. Antimicrob. Agents 2013, 42, 519–523. [Google Scholar] [CrossRef]
- Hossain, M.A.; Lee, S.J.; Park, N.H.; Mechesso, A.F.; Birhanu, B.T.; Kang, J.W.; Reza, M.A.; Suh, J.W.; Park, S.C. Impact of phenolic compounds in the acyl homoserine lactone-mediated quorum sensing regulatory pathways. Sci. Rep. 2017, 7, 10618. [Google Scholar] [CrossRef] [PubMed]
- Birhanu, B.T.; Park, N.H.; Lee, S.J.; Hossain, M.A.; Park, S.C. Inhibition of Salmonella Typhimurium adhesion, invasion, and intracellular survival via treatment with methyl gallate alone and in combination with marbofloxacin. Vet. Res. 2018, 49, 101. [Google Scholar] [CrossRef]
- Yong, Y.C.; Zhong, J.J. Impacts of quorum sensing on microbial metabolism and human health. Adv. Biochem. Eng. Biotechnol. 2013, 131, 25–61. [Google Scholar]
- Wang, Y. The anti-oxidation and anti-microbial activities of tea polyphenols and its increased reagents. J. Biol. 2007, 24, 54–56. [Google Scholar]
- Hossain, M.A.; Park, H.C.; Lee, K.J.; Park, S.W.; Park, S.C.; Kang, J.W. In vitro synergistic potentials of novel antibacterial combination therapies against Salmonella enterica serovar Typhimurium. BMC Microbiol. 2020, 20, 118. [Google Scholar] [CrossRef]
- Performance Standards for Antimicrobial Disk and Dilution Susceptibility Testing for Bacteria Isolated from Animals. CLSI Approved Standards M31-A3; Clinical and Laboratory Standards Institute: Wayne, PA, USA, 2008; Available online: https://www.dbt.univr.it/documenti/OccorrenzaIns/matdid/matdid485539.pdf (accessed on 26 March 2020).
- Breakpoint Tables for Interpretation of MICs and Zone Diameters. Version 9; European Committee on Antimicrobial Susceptibility Testing: Basel, Switzerland, 2019; Available online: http://www.eucast.org/clinical_breakpoints/ (accessed on 26 March 2020).
- Sanhueza, L.; Melo, R.; Montero, R.; Maisey, K.; Mendoza, L.; Wilkens, M. Synergistic interactions between phenolic compounds identified in grape pomace extract with antibiotics of different classes against Staphylococcus aureus and Escherichia coli. PLoS ONE 2017, 12, e0172273. [Google Scholar] [CrossRef]
- Clinical Microbiology and Infection. Statement 1996 CA-SFM Zone sizes and MIC breakpoints for non-fastidious organisms. Clin. Microbiol. Infect. 1996, 2, S46–S49. [Google Scholar] [CrossRef]
- Wei, C.F.; Chang, S.K.; Shien, J.H.; Kuo, H.C.; Chen, W.Y.; Chou, C.C. Synergism between two amphenicol of antibiotics, florfenicol and thiamphenicol, against Staphylococcus aureus. Vet. Rec. 2016, 178, 319. [Google Scholar] [CrossRef] [PubMed]
- Burton, P.J.; Thornsberry, C.; Cheung Yee, Y.; Watts, J.L.; Yancey, R.J., Jr. Interpretive criteria for antimicrobial susceptibility testing of ceftiofur against bacteria associated with swine respiratory disease. J. Vet. Diagn. Investig. 1996, 8, 464–468. [Google Scholar] [CrossRef]
- Toutain, P.L.; Sidhu, P.K.; Lees, P.; Rassouli, A.; Pelligand, L. VetCAST method for determination of the pharmacokinetic-pharmacodynamic cut-off values of a long-acting formulation of florfenicol to support clinical breakpoints for florfenicol antimicrobial susceptibility testing in cattle. Front. Microbiol. 2019, 10, 1310. [Google Scholar] [CrossRef] [PubMed]
- Poirel, L.; Madec, J.Y.; Lupo, A.; Schink, A.K.; Kieffer, N.; Nordmann, P.; Schwarz, S. Antimicrobial Resistance in Escherichia coli. Microbiol. Spectr. 2018, 6. [Google Scholar] [CrossRef]
- Berahou, A.; Auhmani, A.; Fdil, N.; Benharref, A.; Jana, M.; Gadhi, C.A. Antibacterial activity of Quercus ilex bark’s extracts. J. Ethnopharmacol. 2007, 112, 426–429. [Google Scholar] [CrossRef]
- Salomao, K.; Pereira, P.R.; Campos, L.C.; Borba, C.M.; Cabello, P.H.; Marcucci, M.C.; De Castro, S.L. Brazilian propolis: Correlation between chemical composition and antimicrobial activity. Evid. Based Complement. Alternat. Med. 2008, 5, 317–324. [Google Scholar] [CrossRef]
- Fu, L.; Lu, W.; Zhou, X. Phenolic compounds and in vitro antibacterial and antioxidant activities of three tropic fruits: Persimmon, guava, and sweetsop. BioMed Res. Int. 2016, 2016, 4287461. [Google Scholar] [CrossRef]
- Taguri, T.; Tanaka, T.; Kouno, I. Antimicrobial activity of 10 different plant polyphenols against bacteria causing food-borne disease. Biol. Pharm. Bull. 2004, 27, 1965–1969. [Google Scholar] [CrossRef]
- Dubuisson, T.; Bogatcheva, E.; Krishnan, M.Y.; Collins, M.T.; Einck, L.; Nacy, C.A.; Reddy, V.M. In vitro antimicrobial activities of capuramycin analogues against non-tuberculous mycobacteria. J. Antimicrob. Chemother. 2010, 65, 2590–2597. [Google Scholar] [CrossRef]
- Pfaller, M.A.; Sheehan, D.J.; Rex, J.H. Determination of fungicidal activities against yeasts and molds: Lessons learned from bactericidal testing and the need for standardization. Clin. Microbiol. Rev. 2004, 17, 268–280. [Google Scholar] [CrossRef]
- Diao, W.R.; Hu, Q.P.; Zhang, H.; Xu, J.G. Chemical composition, antibacterial activity and mechanism of action of essential oil from seeds of fennel (Foeniculum vulgare Mill.). Food Control 2014, 35, 109–116. [Google Scholar] [CrossRef]
- Sadiq, M.B.; Tarning, J.; Aye Cho, T.Z.; Anal, A.K. Antibacterial activities and possible modes of action of Acacia nilotica (L.) Del. against multidrug-resistant Escherichia coli and Salmonella. Molecules 2017, 22, 47. [Google Scholar] [CrossRef] [PubMed]
- Peña-González, C.E.; Pedziwiatr-Werbicka, E.; Martín-Pérez, T.; Szewczyk, E.M.; Copa-Patiño, J.L.; Soliveri, J.; Pérez-Serrano, J.; Gómez, R.; Bryszewska, M.; Sánchez-Nieves, J.; et al. Antibacterial and antifungal properties of dendronized silver and gold nanoparticles with cationic carbosilane dendrons. Int. J. Pharm. 2017, 528, 55–61. [Google Scholar] [CrossRef] [PubMed]
- Shao, D.; Li, J.; Li, J.; Tang, R.; Liu, L.; Shi, J.; Huang, Q.; Yang, H. Inhibition of gallic acid on the growth and biofilm formation of Escherichia coli and Streptococcus mutans. J. Food Sci. 2015, 80, M1299–M1305. [Google Scholar] [CrossRef] [PubMed]
- Cobrado, L.; Azevedo, M.M.; Silva-Dias, A.; Ramos, J.P.; Pina-Vaz, C.; Rodrigues, A.G. Cerium, chitosan and hamamelitannin as novel biofilm inhibitors? J. Antimicrob. Chemother. 2012, 67, 1159–1162. [Google Scholar] [CrossRef]
- Zhuang, Y.; Chen, W.; Yao, F.; Huang, Y.; Zhou, S.; Li, H.; Zhang, Z.; Cai, C.; Gao, Y.; Peng, Q. Short-term pretreatment of sub-inhibitory concentrations of gentamycin inhibits the swarming motility of Escherichia coli by down-regulating the succinate dehydrogenase gene. Cell Physiol. Biochem. 2016, 39, 1307–1316. [Google Scholar] [CrossRef]
- Kim, W.; Killam, T.; Sood, V.; Surette, M.G. Swarm-cell differentiation in Salmonella enterica serovar Typhimurium results in elevated resistance to multiple antibiotics. J. Bacteriol. 2003, 185, 3111–3117. [Google Scholar] [CrossRef]
- Lai, S.; Tremblay, J.; Deziel, E. Swarming motility: A multicellular behaviour conferring antimicrobial resistance. Environ. Microbiol. 2009, 11, 126–136. [Google Scholar] [CrossRef]
- Grenier, B.; Applegate, T.J. Modulation of intestinal functions following mycotoxin ingestion: Meta-analysis of published experiments in animals. Toxins 2013, 5, 396–430. [Google Scholar] [CrossRef]
- Yang, D.J.; Moh, S.H.; Son, D.H.; You, S.; Kinyua, A.W.; Ko, C.M.; Song, M.; Yeo, J.; Choi, Y.H.; Kim, K.W. Gallic acid promotes wound healing in normal and hyperglucidic conditions. Molecules 2016, 21, E899. [Google Scholar] [CrossRef]
- Masaki, H.; Atsumi, T.; Sakurai, H. Protective activity of hamamelitannin on cell damage of murine skin fibroblasts induced by UVB irradiation. J. Dermatol. Sci. 1995, 10, 25–34. [Google Scholar] [CrossRef]
- Methods for Dilution Antimicrobial Susceptibility Tests for Bacteria That Grow Aerobically. CLSI Approved Standards M7-A11; Clinical and Laboratory Standards Institute: Wayne, PA, USA, 2018; Available online: https://clsi.org/media/1928/m07ed11_sample.pdf (accessed on 26 March 2020).
- Reddy, V.M.; Einck, L.; Nacy, C.A. In vitro antimycobacterial activities of capuramycin analogues. Antimicrob. Agents Chemother. 2008, 52, 719–721. [Google Scholar] [CrossRef] [PubMed]
- Shalit, I.; Shadkchan, Y.; Samra, Z.; Osherov, N. In vitro synergy of caspofungin and itraconazole against Aspergillus spp.: MIC versus minimal effective concentration end points. Antimicrob. Agents Chemother. 2003, 47, 1416–1418. [Google Scholar] [CrossRef] [PubMed]
- Murtey, M.; Ramasamy, P. Sample preparations for scanning electron microscopy–life sciences. In Modern Electron Microscopy in Physical and Life Sciences; Janecek, M., Kral, R., Eds.; IntechOpen: London, UK, 2016; pp. 161–185. [Google Scholar]
- McGrath, D.M.; Barbu, E.M.; Driessen, W.H.; Lasco, T.M.; Tarrand, J.J.; Okhuysen, P.C.; Kontoyiannis, D.P.; Sidman, R.L.; Pasqualini, R.; Arap, W. Mechanism of action and initial evaluation of a membrane active all-D-enantiomer antimicrobial peptidomimetic. Proc. Natl. Acad. Sci. USA 2013, 110, 3477–3482. [Google Scholar] [CrossRef] [PubMed]
- Zhao, T.; Liu, Y. N-acetylcysteine inhibit biofilms produced by Pseudomonas aeruginosa. BMC Microbiol. 2010, 10, 140. [Google Scholar] [CrossRef] [PubMed]
- Nielsen, D.W.; Klimavicz, J.S.; Cavender, T.; Wannemuehler, Y.; Barbieri, N.L.; Nolan, L.K.; Logue, C.M. The impact of media, phylogenetic classification, and E. coli pathotypes on biofilm formation in extraintestinal and commensal E. coli from humans and animals. Front. Microbiol. 2018, 9, 902. [Google Scholar] [CrossRef] [PubMed]
- Lai, L.H.; Fu, Q.H.; Liu, Y.; Jiang, K.; Guo, Q.M.; Chen, Q.Y.; Yan, B.; Wang, Q.Q.; Shen, J.G. Piperine suppresses tumor growth and metastasis in vitro and in vivo in a 4T1 murine breast cancer model. Acta Pharmacol. Sin. 2012, 33, 523–530. [Google Scholar] [CrossRef] [PubMed]







| Traditional Antibiotics/Antibacterial Agents | ATCC 25922 | V10-13-A02-002-008 | V17-13-S02-002-009 | V03-13-A01-002-003 | V03-13-A03-002-009 | V16-13-S01-002-002 |
|---|---|---|---|---|---|---|
| Pig Feces | Chicken Feces | Cattle Feces | Chicken Feces | Cattle Carcass | ||
| AMX | 1 (S) | 256 (R) | 128 (R) | 16 (R) | 256 (R) | 4 (S) |
| AMP | 2 (S) | 512 (R) | 256 (R) | 64 (R) | 512 (R) | 8 (S) |
| CEF | 1 (S) | 128 (R) | 64 (R) | 1 (S) | 64 (R) | 1 (I) |
| CEFO | 0.125 (S) | 64 (R) | 32 (R) | 1 (S) | 32 (R) | 1 (S) |
| ERY | 128 (R) | 512 (R) | 1024 (R) | 16 (R) | 512 (R) | 64 (R) |
| FLOR | 8 (I) | 64 (R) | 64 (R) | 2 (S) | 32 (R) | 1 (S) |
| NOR | 0.5 (S) | 16 (R) | 4 (R) | 0.50 (S) | 8 (R) | 0.50 (S) |
| MAR | 0.25 (S) | 1 (I) | 2 (R) | 0.50 (S) | 1 (I) | 0.25 (S) |
| THIA | 256 (R) | 512 (R) | 512 (R) | 128 (R) | 512 (R) | 256 (R) |
| PENG | 16 (I) | 1024 (R) | 256 (R) | 32 (R) | >1024 (R) | 32 (R) |
| EPI | >1024 | >1024 | >1024 | >1024 | >1024 | >1024 |
| EPIG | 1024 | 512 | 512 | 256 | 512 | 512 |
| EPGC | 512 | 1024 | 512 | 512 | 512 | 512 |
| GA | 1024 | 1024 | 1024 | 256 | 512 | 256 |
| HAMA | 2048 | 512 | 1024 | 1024 | 1024 | 1024 |
| Drug Combinations | FICI |
|---|---|
| GA + AMP | 0.504 (A) |
| GA + Amoxicillin | 1.008 (I) |
| GA + Ceftiofur | 1.001 (I) |
| GA + Penicillin G | 1.004 (I) |
| GA + Cefotaxime | 0.563 (A) |
| GA + ERY | 1.002 (I) |
| GA + Thiamphenicol | 0.281 (S) |
| GA + Marbofloxacin | 0.625 (A) |
| HAMA + AMP | 1.001 (I) |
| HAMA + Amoxicillin | 0.625 (A) |
| HAMA + Ceftiofur | 1.002 (I) |
| HAMA + Penicillin G | 1.002 (I) |
| HAMA + Cefotaxime | 1.001 (I) |
| HAMA + ERY | 0.375 (S) |
| HAMA + Thiamphenicol | 0.500 (S) |
| HAMA + Marbofloxacin | 0.625 (A) |
| Epicatechin + AMP | 1.004 (I) |
| Epicatechin + Amoxicillin | 1.001 (I) |
| Epicatechin + Ceftiofur | 0.625 (A) |
| Epicatechin + Penicillin G | 1.002 (I) |
| Epicatechin + Cefotaxime | 0.563 (A) |
| Epicatechin + ERY | 0.504 (A) |
| Epicatechin + Thiamphenicol | 1.008 (I) |
| Epicatechin + Marbofloxacin | 0.504 (A) |
| AMP + Epicatechin gallate | 1.004 (I) |
| Amoxicillin + Epicatechin gallate | 1.001 (I) |
| Ceftiofur + Epicatechin gallate | 0.625 (A) |
| Penicillin-G + Epicatechin gallate | 1.002 (I) |
| Cefotaxime + Epicatechin gallate | 1.002 (I) |
| ERY + Epicatechin gallate | 1.001 (I) |
| Thiamphenicol + Epicatechin gallate | 0.625 (A) |
| Marbofloxacin + Epicatechin gallate | 0.516 (A) |
| Epigallocatechin + AMP | 0.504 (A) |
| Epigallocatechin + Amoxicillin | 1.008 (I) |
| Epigallocatechin + Ceftiofur | 0.625 (A) |
| Epigallocatechin + Penicillin G | 1.008 (I) |
| Epigallocatechin + Cefotaxime | 0.502 (A) |
| Epigallocatechin + ERY | 0.516 (A) |
| Epigallocatechin + Thiamphenicol | 1.008 (I) |
| Epigallocatechin + Marbofloxacin | 0.504 (A) |
| Test Groups | Swarm Zone Diameter (mm) (mean ± SD) | Swim Zone Diameter (mm) (mean ± SD) |
|---|---|---|
| Control | 23.33 ± 2.08 | 22.00 ± 1.73 |
| ERY (1× MIC) | 6.67 ± 1.15 ***,# | 5.67 ± 0.58 **,# |
| HAMA (1× MIC) | 3.33 ± 0.58 **,# | 7.33 ± 1.53 ***,# |
| HAMA (1× MIC) + ERY (1× MIC) | 0.00 ± 0.00 *,# | 0.00 ± 0.00 *,# |
| HAMA (½× MIC) + ERY (½× MIC) | 0.00 ± 0.00 *,# | 2.67 ± 0.58 *,# |
| Control | 21.67 ± 2.52 | 21.33 ± 3.06 |
| AMP (1× MIC) | 11.33 ± 1.53 ***,# | 5.67 ± 1.15 ***,# |
| GA (1× MIC) | 4.00 ± 1.73 **,# | 4.33 ± 1.53 **,# |
| GA (1× MIC) + AMP (1× MIC) | 0.00 ± 0.00 *,# | 1.67 ± 1.53 *,# |
| GA (½× MIC) + AMP (½× MIC) | 3.67 ± 1.15 **,# | 4.00 ± 1.00 **,# |
© 2020 by the authors. Licensee MDPI, Basel, Switzerland. This article is an open access article distributed under the terms and conditions of the Creative Commons Attribution (CC BY) license (http://creativecommons.org/licenses/by/4.0/).
Share and Cite
Hossain, M.A.; Park, H.-C.; Park, S.-W.; Park, S.-C.; Seo, M.-G.; Her, M.; Kang, J. Synergism of the Combination of Traditional Antibiotics and Novel Phenolic Compounds against Escherichia coli. Pathogens 2020, 9, 811. https://doi.org/10.3390/pathogens9100811
Hossain MA, Park H-C, Park S-W, Park S-C, Seo M-G, Her M, Kang J. Synergism of the Combination of Traditional Antibiotics and Novel Phenolic Compounds against Escherichia coli. Pathogens. 2020; 9(10):811. https://doi.org/10.3390/pathogens9100811
Chicago/Turabian StyleHossain, Md. Akil, Hae-Chul Park, Sung-Won Park, Seung-Chun Park, Min-Goo Seo, Moon Her, and JeongWoo Kang. 2020. "Synergism of the Combination of Traditional Antibiotics and Novel Phenolic Compounds against Escherichia coli" Pathogens 9, no. 10: 811. https://doi.org/10.3390/pathogens9100811
APA StyleHossain, M. A., Park, H.-C., Park, S.-W., Park, S.-C., Seo, M.-G., Her, M., & Kang, J. (2020). Synergism of the Combination of Traditional Antibiotics and Novel Phenolic Compounds against Escherichia coli. Pathogens, 9(10), 811. https://doi.org/10.3390/pathogens9100811

