Colistin Induces Resistance through Biofilm Formation, via Increased phoQ Expression, in Avian Pathogenic Escherichia coli
Abstract
1. Introduction
2. Results
2.1. Identification of APEC by PCR
2.2. Antibacterial Activity of Colistin against APEC Isolates
2.3. Antibacterial Susceptibility Profiles of APEC
2.4. Antibiotic Concentration-Time Profiles of Colistin against APEC Strains
2.5. Kill-Regrowth Analysis
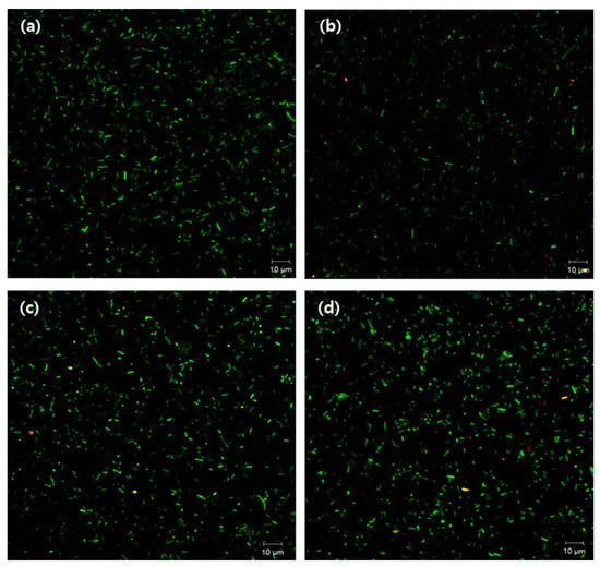
2.6. Assessment of Biofilm Formation by Imaging System
2.7. Analysis of Colistin Resistance Genes
3. Discussion
4. Materials and Methods
4.1. Isolation of Bacteria
4.2. Reagents
4.3. Antimicrobial Susceptibility Assay
4.4. Determination of the Mutant Prevention Concentration (MPC)
4.5. In Vitro Pharmacodynamics by Time-Kill Assay
4.6. Killing and Regrowth by Multiple Exposures to Colistin
4.7. DNA Extraction and Primer Design for PCR
4.8. Gene Expression Analysis
4.9. Comparison of Biofilm Formation by Imaging Analysis
4.10. Statistical Analysis
Supplementary Materials
Author Contributions
Funding
Institutional Review Board Statement
Informed Consent Statement
Data Availability Statement
Conflicts of Interest
References
- Landers, T.F.; Cohen, B.; Wittum, T.E.; Larson, E.L. A Review of Antibiotic Use in Food Animals: Perspective, Policy, and Potential. Public Health Rep. 2012, 127, 4–22. [Google Scholar] [CrossRef] [PubMed]
- Unno, T.; Han, D.; Jang, J.; Widmer, K.; Ko, G.; Sadowsky, M.; Hur, H.-G. Genotypic and Phenotypic Trends in Antibiotic Resistant Pathogenic Escherichia coli Isolated from Humans and Farm Animals in South Korea. Microbes Environ. 2011, 26, 198–204. [Google Scholar] [CrossRef] [PubMed]
- Dho-Moulin, M.; Fairbrother, J.M. Avian pathogenic Escherichia coli (APEC). Vet. Res. 1999, 30, 299–316. [Google Scholar] [PubMed]
- Ewers, C.; Janssen, T.; Wieler, L.H. Avian pathogenic Escherichia coli (APEC). Berl. Munch. Tierarztl. Wochenschr. 2003, 116, 381–395. [Google Scholar] [PubMed]
- Barbieri, N.L.; Nielsen, D.W.; Wannemuehler, Y.; Cavender, T.; Hussein, A.; Yan, S.-G.; Nolan, L.K.; Logue, C.M. mcr-1 identified in Avian Pathogenic Escherichia coli (APEC). PLoS ONE 2017, 12, e0172997. [Google Scholar] [CrossRef] [PubMed]
- Mol, N.; Peng, L.; Esnault, E.; Quéré, P.; Haagsman, H.P.; Veldhuizen, E.J. Avian pathogenic Escherichia coli infection of a chicken lung epithelial cell line. Vet. Immunol. Immunopathol. 2019, 210, 55–59. [Google Scholar] [CrossRef] [PubMed]
- Peng, L.; Matthijs, M.G.; Haagsman, H.P.; Veldhuizen, E.J. Avian pathogenic Escherichia coli-induced activation of chicken macrophage HD11 cells. Dev. Comp. Immunol. 2018, 87, 75–83. [Google Scholar] [CrossRef]
- Lim, S.-K.; Kang, H.Y.; Lee, K.; Moon, D.-C.; Lee, H.-S.; Jung, S.-C. First Detection of the mcr-1 Gene in Escherichia coli Isolated from Livestock between 2013 and 2015 in South Korea. Antimicrob. Agents Chemother. 2016, 60, 6991–6993. [Google Scholar] [CrossRef]
- Ito, A.; Taniuchi, A.; May, T.; Kawata, K.; Okabe, S. Increased Antibiotic Resistance of Escherichia coli in Mature Biofilms. Appl. Environ. Microbiol. 2009, 75, 4093–4100. [Google Scholar] [CrossRef]
- Lim, L.M.; Ly, N.; Anderson, D.; Yang, J.C.; Macander, L.; Jarkowski, A.; Forrest, A.; Bulitta, J.; Tsuji, B.T. Resurgence of Colistin: A Review of Resistance, Toxicity, Pharmacodynamics, and Dosing. Pharmacother. J. Hum. Pharmacol. Drug Ther. 2010, 30, 1279–1291. [Google Scholar] [CrossRef]
- Gharaibeh, M.H.; Shatnawi, S.Q. An overview of colistin resistance, mobilized colistin resistance genes dissemination, global responses, and the alternatives to colistin: A review. Vet. World 2019, 12, 1735–1746. [Google Scholar] [CrossRef]
- Halaby, T.; Al Naiemi, N.; Kluytmans, J.; van der Palen, J.; Vandenbroucke-Grauls, C.M.J.E. Emergence of Colistin Resistance in Enterobacteriaceae after the Introduction of Selective Digestive Tract Decontamination in an Intensive Care Unit. Antimicrob. Agents Chemother. 2013, 57, 3224–3229. [Google Scholar] [CrossRef]
- Liu, Y.-Y.; Wang, Y.; Walsh, T.; Yi, L.-X.; Zhang, R.; Spencer, J.; Doi, Y.; Tian, G.; Dong, B.; Huang, X.; et al. Emergence of plasmid-mediated colistin resistance mechanism MCR-1 in animals and human beings in China: A microbiological and molecular biological study. Lancet Infect. Dis. 2016, 16, 161–168. [Google Scholar] [CrossRef]
- Hasman, H.; Hammerum, A.M.; Hansen, F.; Hendriksen, R.S.; Olesen, B.; Agersø, Y.; Zankari, E.; Leekitcharoenphon, P.; Stegger, M.; Kaas, R.S.; et al. Detection of mcr-1 encoding plasmid-mediated colistin-resistant Escherichia coli isolates from human bloodstream infection and imported chicken meat, Denmark 2015. Eurosurveillance 2015, 20, 30085. [Google Scholar] [CrossRef] [PubMed]
- Raymond, B. Five rules for resistance management in the antibiotic apocalypse, a road map for integrated microbial management. Evol. Appl. 2019, 12, 1079–1091. [Google Scholar] [CrossRef] [PubMed]
- Lee, S.-J.; Park, N.-H.; Mechesso, A.F.; Lee, K.-J.; Park, S.-C. The phenotypic and molecular resistance induced by a single-exposure to sub-mutant prevention concentration of marbofloxacin in Salmonella typhimurium isolates from swine. Vet. Microbiol. 2017, 207, 29–35. [Google Scholar] [CrossRef]
- Lee, S.-J.; Awji, E.G.; Park, N.-H.; Park, S.-C. Using In Vitro Dynamic Models to Evaluate Fluoroquinolone Activity against Emergence of Resistant Salmonella enterica Serovar Typhimurium. Antimicrob. Agents Chemother. 2017, 61, e01756. [Google Scholar] [CrossRef]
- Wei, W.-J.; Yang, H.-F. Synergy against extensively drug-resistant Acinetobacter baumannii in vitro by two old antibiotics: Colistin and chloramphenicol. Int. J. Antimicrob. Agents 2017, 49, 321–326. [Google Scholar] [CrossRef]
- Palupi, M.F.; Darusman, H.S.; Wibawan, I.W.T.; Sudarnika, E. In vitro mutant prevention concentration of colistin sulfate against pathogenic Escherichia coli. HVM Bioflux 2018, 10, 163–168. [Google Scholar]
- Hall-Stoodley, L.; Costerton, J.W.; Stoodley, P. Bacterial biofilms: From the natural environment to infectious diseases. Nat. Rev. Genet. 2004, 2, 95–108. [Google Scholar] [CrossRef]
- Bernardi, S.; Anderson, A.; Macchiarelli, G.; Hellwig, E.; Cieplik, F.; Vach, K.; Al-Ahmad, A. Subinhibitory Antibiotic Concentrations Enhance Biofilm Formation of Clinical Enterococcus faecalis Isolates. Antibiotics 2021, 10, 874. [Google Scholar] [CrossRef] [PubMed]
- Qi, L.; Li, H.; Zhang, C.; Liang, B.; Li, J.; Wang, L.; Du, X.; Liu, X.; Qiu, S.; Song, H. Relationship between Antibiotic Resistance, Biofilm Formation, and Biofilm-Specific Resistance in Acinetobacter baumannii. Front. Microbiol. 2016, 7, 483. [Google Scholar] [CrossRef] [PubMed]
- Cerqueira, G.; Peleg, A.Y. Insights into Acinetobacter baumannii pathogenicity. IUBMB Life 2011, 63, 1055–1060. [Google Scholar] [CrossRef] [PubMed]
- Strukova, E.N.; Portnoy, Y.; Romanov, A.V.; Edelstein, M.V.; Zinner, S.H.; Firsov, A.A. Searching for the Optimal Predictor of Ciprofloxacin Resistance in Klebsiella pneumoniae by Using In Vitro Dynamic Models. Antimicrob. Agents Chemother. 2016, 60, 1208–1215. [Google Scholar] [CrossRef] [PubMed]
- Li, J.; Milne, R.W.; Nation, R.; Turnidge, J.D.; Smeaton, T.C.; Coulthard, K. Use of High-Performance Liquid Chromatography to Study the Pharmacokinetics of Colistin Sulfate in Rats following Intravenous Administration. Antimicrob. Agents Chemother. 2003, 47, 1766–1770. [Google Scholar] [CrossRef]
- Kempf, I.; Jouy, E.; Chauvin, C. Colistin use and colistin resistance in bacteria from animals. Int. J. Antimicrob. Agents 2016, 48, 598–606. [Google Scholar] [CrossRef] [PubMed]
- Landman, D.; Georgescu, C.; Martin, D.A.; Quale, J. Polymyxins Revisited. Clin. Microbiol. Rev. 2008, 21, 449–465. [Google Scholar] [CrossRef]
- Mead, A.; Richez, P.; Azzariti, S.; Pelligand, L. Pharmacokinetics of Colistin in the Gastrointestinal Tract of Poultry Following Dosing via Drinking Water and Its Bactericidal Impact on Enteric Escherichia coli. Front. Vet. Sci. 2021, 8, 634. [Google Scholar] [CrossRef]
- Ishii, S.; Sadowsky, M.J. Escherichia coli in the Environment: Implications for Water Quality and Human Health. Microbes Environ. 2008, 23, 101–108. [Google Scholar] [CrossRef]
- LeStrange, K.; Markland, S.M.; Hoover, D.G.; Sharma, M.; Kniel, K.E. An evaluation of the virulence and adherence properties of avian pathogenic Escherichia coli. One Health 2017, 4, 22–26. [Google Scholar] [CrossRef]
- Loose, M.; Naber, K.G.; Hu, Y.; Coates, A.; Wagenlehner, F.M. Serum bactericidal activity of colistin and azidothymidine combinations against mcr-1-positive colistin-resistant Escherichia coli. Int. J. Antimicrob. Agents 2018, 52, 783–789. [Google Scholar] [CrossRef] [PubMed]
- Imai, M.; Inoue, K.; Nojima, S. Effect of polymyxin B on liposomal membranes derived from Escherichia coli lipids. Biochim. Biophys. Acta (BBA) Biomembr. 1975, 375, 130–137. [Google Scholar] [CrossRef]
- Gebru, E.; Choi, M.-J.; Lee, S.-J.; Damte, D.; Park, S.C. Mutant-prevention concentration and mechanism of resistance in clinical isolates and enrofloxacin/marbofloxacin-selected mutants of Escherichia coli of canine origin. J. Med Microbiol. 2011, 60, 1512–1522. [Google Scholar] [CrossRef] [PubMed]
- Cheng, Y.-H.; Lin, T.-L.; Lin, Y.-T.; Wang, J.-T. A putative RND-type efflux pump, H239_3064, contributes to colistin resistance through CrrB in Klebsiella pneumoniae. J. Antimicrob. Chemother. 2018, 73, 1509–1516. [Google Scholar] [CrossRef] [PubMed]
- Shimizu, T.; Harada, K.; Kataoka, Y. Mutant prevention concentration of orbifloxacin: Comparison between Escherichia coli, Pseudomonas aeruginosa, and Staphylococcus pseudintermedius of canine origin. Acta Vet. Scand. 2013, 55, 1–7. [Google Scholar] [CrossRef]
- Drlica, K.; Zhao, X. Mutant Selection Window Hypothesis Updated. Clin. Infect. Dis. 2007, 44, 681–688. [Google Scholar] [CrossRef]
- Kaldalu, N.; Tenson, T. Slow growth causes bacterial persistence. Sci. Signal. 2019, 12, eaay1167. [Google Scholar] [CrossRef]
- Andersson, D.I.; Hughes, D. Antibiotic resistance and its cost: Is it possible to reverse resistance? Nat. Rev. Microbiol. 2010, 8, 260–271. [Google Scholar] [CrossRef]
- Stewart, P.S. Mechanisms of antibiotic resistance in bacterial biofilms. Int. J. Med. Microbiol. 2002, 292, 107–113. [Google Scholar] [CrossRef]
- Klinger-Strobel, M.; Stein, C.; Forstner, C.; Makarewicz, O.; Pletz, M.W. Effects of colistin on biofilm matrices of Escherichia coli and Staphylococcus aureus. Int. J. Antimicrob. Agents 2017, 49, 472–479. [Google Scholar] [CrossRef]
- Høiby, N.; Bjarnsholt, T.; Givskov, M.; Molin, S.; Ciofu, O. Antibiotic resistance of bacterial biofilms. Int. J. Antimicrob. Agents 2010, 35, 322–332. [Google Scholar] [CrossRef] [PubMed]
- Huang, P.-H.; Cheng, Y.-H.; Chen, W.-Y.; Juan, C.-H.; Chou, S.-H.; Wang, J.-T.; Chuang, C.; Wang, F.-D.; Lin, Y.-T. Risk factors and mechanisms of in vivo emergence of colistin resistance in carbapenem-resistant Klebsiella pneumoniae. Int. J. Antimicrob. Agents 2021, 57, 106342. [Google Scholar] [CrossRef] [PubMed]
- Srinivas, P.; Rivard, K. Polymyxin Resistance in Gram-negative Pathogens. Curr. Infect. Dis. Rep. 2017, 19, 38. [Google Scholar] [CrossRef] [PubMed]
- Zhu, X.-Q.; Liu, Y.-Y.; Wu, R.; Xun, H.; Sun, J.; Li, J.; Feng, Y.; Liu, J.-H. Impact of mcr-1 on the Development of High Level Colistin Resistance in Klebsiella pneumoniae and Escherichia coli. Front. Microbiol. 2021, 12, 878. [Google Scholar] [CrossRef] [PubMed]
- Olaitan, A.; Diene, S.M.; Kempf, M.; Berrazeg, M.; Bakour, S.; Gupta, S.; Thongmalayvong, B.; Akkhavong, K.; Somphavong, S.; Paboriboune, P.; et al. Worldwide emergence of colistin resistance in Klebsiella pneumoniae from healthy humans and patients in Lao PDR, Thailand, Israel, Nigeria and France owing to inactivation of the PhoP/PhoQ regulator mgrB: An epidemiological and molecular study. Int. J. Antimicrob. Agents 2014, 44, 500–507. [Google Scholar] [CrossRef] [PubMed]
- Jayol, A.; Poirel, L.; Brink, A.; Villegas, M.-V.; Yilmaz, M.; Nordmann, P. Resistance to Colistin Associated with a Single Amino Acid Change in Protein PmrB among Klebsiella pneumoniae Isolates of Worldwide Origin. Antimicrob. Agents Chemother. 2014, 58, 4762–4766. [Google Scholar] [CrossRef] [PubMed]
- Olaitan, A.; Morand, S.; Rolain, J.-M. Mechanisms of polymyxin resistance: Acquired and intrinsic resistance in bacteria. Front. Microbiol. 2014, 5, 643. [Google Scholar] [CrossRef]
- Monteiro, C.; Fang, X.; Ahmad, I.; Gomelsky, M.; Römling, U. Regulation of Biofilm Components in Salmonella enterica Serovar Typhimurium by Lytic Transglycosylases Involved in Cell Wall Turnover. J. Bacteriol. 2011, 193, 6443–6451. [Google Scholar] [CrossRef]
- CLIS. Performance Standards for Antimicrobial Susceptibility Testing, 26th ed.; CLSI: Wayne, PA, USA, 2016. [Google Scholar]
- Pasquali, F.; Manfreda, G. Mutant prevention concentration of ciprofloxacin and enrofloxacin against Escherichia coli, Salmonella Typhimurium and Pseudomonas aeruginosa. Vet. Microbiol. 2007, 119, 304–310. [Google Scholar] [CrossRef]
- Bingen, E.; Lambert-Zecbovsky, N.; Leclercq, R.; Doit, C.; Mariani-Kurkdjian, P. Bactericidal activity of vancomycin, daptomydn, ampicillin and aminoglycosides against vancomycin-resistant Enterococcus faecium. J. Antimicrob. Chemother. 1990, 26, 619–626. [Google Scholar] [CrossRef]
- Barker, K. Phenol-Chloroform Isoamyl Alcohol (PCI) DNA extraction. At the Bench. 1998. Available online: http://hosted.usf.edu/ecoimmunology/wpcontent/uploads/2014/07/PCI-extraction.pdf (accessed on 27 September 2021).
- Knöbl, T.; Baccaro, M.R.; Moreno, A.M.; Gomes, T.A.; Vieira, M.A.; Ferreira, C.S.; Ferreira, A.J. Virulence properties of Escherichia coli isolated from ostriches with respiratory disease. Vet. Microbiol. 2001, 83, 71–80. [Google Scholar] [CrossRef]
- Vandekerchove, D.; Vereecken, M.; Derijcke, J.; Dho-Moulin, M.; Goddeeris, B. Sequence analysis demonstrates the conservation of fimH and variability of fimA throughout Avian Pathogenic Escherichia coli (APEC). Vet. Res. 2003, 34, 153–163. [Google Scholar] [CrossRef]
- Weiss-Muszkat, M.; Shakh, D.; Zhou, Y.; Pinto, R.; Belausov, E.; Chapman, M.R.; Sela, S. Biofilm Formation by and Multicellular Behavior of Escherichia coli O55:H7, an Atypical Enteropathogenic Strain. Appl. Environ. Microbiol. 2010, 76, 1545–1554. [Google Scholar] [CrossRef] [PubMed]
- Habimana, O.; Heir, E.; Langsrud, S.; Åsli, A.W.; Møretrø, T. Enhanced Surface Colonization by Escherichia coli O157:H7 in Biofilms Formed by an Acinetobacter calcoaceticus Isolate from Meat-Processing Environments. Appl. Environ. Microbiol. 2010, 76, 4557–4559. [Google Scholar] [CrossRef]






| Target Gene | APEC (%) 1 | ATCC 25922 2 | ATCC 14028 3 |
|---|---|---|---|
| tsh | 85 | - | - |
| fimAvMT78 | 67 | - | - |
| felA | 60 | - | - |
| fim H | 35 | - | - |
| sta | 30 | - | - |
| yaiO | 90 | + | - |
| fimA | 100 | + | - |
| iutA | 60 | + | - |
| papC | 90 | + | - |
| papGIA2 | 45 | + | + |
| papGJ96 | 40 | + | + |
| Potency | Colistin |
|---|---|
| Clinical isolates (n) | 89 |
| MIC (μg/mL) | |
| Range | 0.0156–2 |
| MIC50 | 0.25 |
| MIC90 | 0.5 |
| R (%) 1 | 0 |
| MBC (μg/mL) | |
| Range | 0.0156–2 |
| MBC50 | 0.25 |
| MBC90 | 0.5 |
| MBC/MIC | 1–2 |
| ATCC 25922 2 | |
| MIC (μg/mL) | 0.25 |
| MBC (μg/mL) | 0.25 |
| MBC/MIC | 1 |
| Strain | MIC | MBC | MBC/MIC | MPC | MPC/MIC |
|---|---|---|---|---|---|
| S1 1 | 0.06 | 0.06 | 1 | 32.00 | 512 |
| S3 | 0.02 | 0.02 | 1 | 32.00 | 2048 |
| S11 | 0.13 | 0.13 | 1 | 32.00 | 256 |
| R1 2 | 16.00 | 16.00 | 1 | 128.00 | 8 |
| R3 | 16.00 | 16.00 | 1 | 128.00 | 8 |
| R11 | 8.00 | 8.00 | 1 | 128.00 | 16 |
Publisher’s Note: MDPI stays neutral with regard to jurisdictional claims in published maps and institutional affiliations. |
© 2021 by the authors. Licensee MDPI, Basel, Switzerland. This article is an open access article distributed under the terms and conditions of the Creative Commons Attribution (CC BY) license (https://creativecommons.org/licenses/by/4.0/).
Share and Cite
Park, N.-H.; Lee, S.-J.; Lee, E.-B.; Birhanu, B.T.; Park, S.-C. Colistin Induces Resistance through Biofilm Formation, via Increased phoQ Expression, in Avian Pathogenic Escherichia coli. Pathogens 2021, 10, 1525. https://doi.org/10.3390/pathogens10111525
Park N-H, Lee S-J, Lee E-B, Birhanu BT, Park S-C. Colistin Induces Resistance through Biofilm Formation, via Increased phoQ Expression, in Avian Pathogenic Escherichia coli. Pathogens. 2021; 10(11):1525. https://doi.org/10.3390/pathogens10111525
Chicago/Turabian StylePark, Na-Hye, Seung-Jin Lee, Eon-Bee Lee, Biruk Tesfaye Birhanu, and Seung-Chun Park. 2021. "Colistin Induces Resistance through Biofilm Formation, via Increased phoQ Expression, in Avian Pathogenic Escherichia coli" Pathogens 10, no. 11: 1525. https://doi.org/10.3390/pathogens10111525
APA StylePark, N.-H., Lee, S.-J., Lee, E.-B., Birhanu, B. T., & Park, S.-C. (2021). Colistin Induces Resistance through Biofilm Formation, via Increased phoQ Expression, in Avian Pathogenic Escherichia coli. Pathogens, 10(11), 1525. https://doi.org/10.3390/pathogens10111525

