Single-Step Synthesized Functionalized Copper Carboxylate Framework Meshes as Hierarchical Catalysts for Enhanced Reduction of Nitrogen-Containing Phenolic Contaminants
Abstract
1. Introduction
2. Results
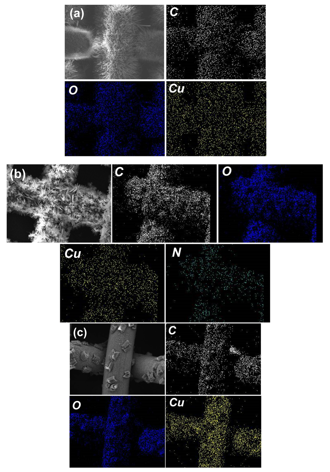
2.1. Characterization of CuCF Meshes
2.2. 4-NP Reduction by CuCF Meshes
2.3. Activation Energy (Ea) of 4-NP Reduction by CuCF Meshes
2.4. Recyclability of CuCF Meshes, and Reductive Mechanism
2.5. The Reduction Reaction of Nitrophenol Isomers
2.6. CuCF Meshes for MB and MO Reduction/Hydrogeneration
3. Materials and Methods
3.1. Materials
3.2. Preparation of CuCF Mesh Catalysts
3.3. Characterization of CuCF Meshes
3.4. Reduction of NCPCs Using CuCF Meshes
4. Conclusions
Supplementary Materials
Author Contributions
Funding
Data Availability Statement
Conflicts of Interest
References
- Patterson, J.W. Industrial Wastewater Treatment Technology, 2nd ed.; Butterworth Publishers: Stoneham, MA, USA, 1985. [Google Scholar]
- Godain, A.; Spurr, M.W.A.; Boghani, H.C.; Premier, G.C.; Yu, E.H.; Head, I.M. Detection of 4-Nitrophenol, a Model Toxic Compound, Using Multi-Stage Microbial Fuel Cells. Front. Environ. Sci. 2020, 8, 5. [Google Scholar] [CrossRef]
- Wi-Afedzi, T.; Kwon, E.; Tuan, D.D.; Lin, K.-Y.A.; Ghanbari, F. Copper hexacyanoferrate nanocrystal as a highly efficient non-noble metal catalyst for reduction of 4-nitrophenol in water. Sci. Total Environ. 2020, 703, 134781. [Google Scholar] [CrossRef]
- Andrew Lin, K.-Y.; Hsieh, Y.-T. Copper-based metal organic framework (MOF), HKUST-1, as an efficient adsorbent to remove p-nitrophenol from water. J. Taiwan Inst. Chem. Eng. 2015, 50, 223–228. [Google Scholar] [CrossRef]
- Tafesh, A.M.; Weiguny, J. A review of the selective catalytic reduction of aromatic nitro compounds into aromatic amines, isocyanates, carbamates, and ureas using CO. Chem. Rev. 1996, 96, 2035–2052. [Google Scholar]
- Hammud, H.H.; Traboulsi, H.; Karnati, R.K.; Hussain, S.G.; Bakir, E.M. Hierarchical Graphitic Carbon-Encapsulating Cobalt Nanoparticles for Catalytic Hydrogenation of 2,4-Dinitrophenol. Catalysts 2022, 12, 39. [Google Scholar] [CrossRef]
- Panda, J.; Biswal, S.P.; Jena, H.S.; Mitra, A.; Samantray, R.; Sahu, R. Role of Lewis Acid Metal Centers in Metal–Organic Frameworks for Ultrafast Reduction of 4-Nitrophenol. Catalysts 2022, 12, 494. [Google Scholar] [CrossRef]
- Ribeiro, A.P.C.; Santos, B.M.; Faustino, R.F.C.; Pombeiro, A.J.L.; Martins, L.M.D.R.S. C-Heterogenized Re Nanoparticles as Effective Catalysts for the Reduction of 4-Nitrophenol and Oxidation of 1-Phenylethanol. Catalysts 2022, 12, 285. [Google Scholar] [CrossRef]
- Scurti, S.; Allegri, A.; Liuzzi, F.; Rodríguez-Aguado, E.; Cecilia, J.A.; Albonetti, S.; Caretti, D.; Dimitratos, N. Temperature-Dependent Activity of Gold Nanocatalysts Supported on Activated Carbon in Redox Catalytic Reactions: 5-Hydroxymethylfurfural Oxidation and 4-Nitrophenol Reduction Comparison. Catalysts 2022, 12, 323. [Google Scholar] [CrossRef]
- Shultz, L.R.; Feit, C.; Stanberry, J.; Gao, Z.; Xie, S.; Anagnostopoulos, V.A.; Liu, F.; Banerjee, P.; Jurca, T. Ultralow Loading Ruthenium on Alumina Monoliths for Facile, Highly Recyclable Reduction of p-Nitrophenol. Catalysts 2021, 11, 165. [Google Scholar] [CrossRef]
- Krishna, R.; Fernandes, D.M.; Domingos, V.F.; Ribeiro, E.S.; Gil, J.C.; Dias, C.; Ventura, J.; Freire, C.; Titus, E. Reduction of 4-nitrophenol to 4-aminophenol using a novel Pd@NixB–SiO2/RGO nanocomposite: Enhanced hydrogen spillover and high catalytic performance. RSC Adv. 2015, 5, 60658–60666. [Google Scholar] [CrossRef]
- Kuroda, K.; Ishida, T.; Haruta, M. Reduction of 4-nitrophenol to 4-aminophenol over Au nanoparticles deposited on PMMA. J. Mol. Catal. A Chem. 2009, 298, 7–11. [Google Scholar] [CrossRef]
- Govindaraju, S.; Arumugasamy, S.K.; Chellasamy, G.; Yun, K. Zn-MOF decorated bio activated carbon for photocatalytic degradation, oxygen evolution and reduction catalysis. J. Hazard. Mater. 2022, 421, 126720. [Google Scholar] [CrossRef]
- Rego, R.M.; Kurkuri, M.D.; Kigga, M. A comprehensive review on water remediation using UiO-66 MOFs and their derivatives. Chemosphere 2022, 302, 134845. [Google Scholar] [CrossRef]
- Khan, N.A.; Hasan, Z.; Jhung, S.H. Adsorptive removal of hazardous materials using metal-organic frameworks (MOFs): A review. J. Hazard. Mater. 2013, 244–245, 444–456. [Google Scholar] [CrossRef]
- Li, B.; Zhao, D.; Wang, F.; Zhang, X.; Li, W.; Fan, L. Recent advances in molecular logic gate chemosensors based on luminescent metal organic frameworks. Dalton Trans. 2021, 50, 14967–14977. [Google Scholar] [CrossRef]
- Lv, H.; Zhang, Z.; Fan, L.; Gao, Y.; Zhang, X. A nanocaged cadmium-organic framework with high catalytic activity on the chemical fixation of CO2 and deacetalization-knoevenagel condensation. Microporous Mesoporous Mater. 2022, 335, 111791. [Google Scholar] [CrossRef]
- Wang, F.; Zhao, D.; Li, B.; Li, W.; Zhang, H.; Pang, J.; Fan, L. Compositional Engineering of Co(II)MOF/Carbon-Based Overall Water Splitting Electrocatalysts: From Synergistic Effects to Structure–Activity Relationships. Cryst. Growth Des. 2022, 22, 2775–2792. [Google Scholar] [CrossRef]
- Kang, X.; Teng, D.; Wu, S.; Tian, Z.; Liu, J.; Li, P.; Ma, Y.; Liang, C. Ultrafine copper nanoparticles anchored on reduced graphene oxide present excellent catalytic performance toward 4-nitrophenol reduction. J. Colloid Interface Sci. 2020, 566, 265–270. [Google Scholar] [CrossRef]
- Chiu, H.-Y.; Wi-Afedzi, T.; Liu, Y.-T.; Ghanbari, F.; Lin, K.-Y.A. Cobalt Oxides with Various 3D Nanostructured Morphologies for Catalytic Reduction of 4-Nitrophenol: A Comparative Study. J. Water Process Eng. 2020, 37, 101379. [Google Scholar] [CrossRef]
- Jiang, D.B.; Liu, X.; Yuan, Y.; Feng, L.; Ji, J.; Wang, J.; Losic, D.; Yao, H.-C.; Zhang, Y.X. Biotemplated top-down assembly of hybrid Ni nanoparticles/N doping carbon on diatomite for enhanced catalytic reduction of 4-nitrophenol. Chem. Eng. J. 2020, 383, 123156. [Google Scholar] [CrossRef]
- Wang, S.; Song, Y.; Jiang, L. Microscale and nanoscale hierarchical structured mesh films with superhydrophobic and superoleophilic properties induced by long-chain fatty acids. Nanotechnology 2006, 18, 015103. [Google Scholar] [CrossRef]
- Guo, Z.; Zheng, X.; Tian, D.; Song, Y.; Zhai, J.; Zhang, X.; Li, W.; Wang, X.; Dou, S.; Jiang, L. Photoelectric cooperative patterning of liquid permeation on the micro/nano hierarchically structured mesh film with low adhesion. Nanoscale 2014, 6, 12822–12827. [Google Scholar] [CrossRef] [PubMed]
- Xiong, J.; Li, A.; Liu, Y.; Wang, L.; Qin, X.; Yu, J. Scalable and hierarchically designed MOF fabrics by netting MOFs into nanofiber networks for high-performance solar-driven water purification. J. Mater. Chem. A 2021, 9, 21005–21012. [Google Scholar] [CrossRef]
- Nanthamathee, C. Effect of Co(II) dopant on the removal of Methylene Blue by a dense copper terephthalate. J. Environ. Sci. 2019, 81, 68–79. [Google Scholar] [CrossRef]
- Zhang, Q.; Muhan, C.; Zhong, L.; Ye, Q.; Jiang, S.; Huang, Z. Highly Effective Removal of Metal Cyanide Complexes and Recovery of Palladium Using Quaternary-Ammonium-Functionalized MOFs. Molecules 2018, 23, 2086. [Google Scholar] [CrossRef]
- Ebrahimi, A.K.; Sheikhshoaie, I.; Mehran, M. Facile synthesis of a new metal-organic framework of copper (II) by interface reaction method, characterization, and its application for removal of Malachite Green. J. Mol. Liq. 2017, 240, 803–809. [Google Scholar] [CrossRef]
- Hu, X.; Tian, X.; Lin, Y.-W.; Wang, Z. Nickel foam and stainless steel mesh as electrocatalysts for hydrogen evolution reaction, oxygen evolution reaction and overall water splitting in alkaline media. RSC Adv. 2019, 9, 31563–31571. [Google Scholar] [CrossRef]
- Gupta, N.K.; Kim, S.; Bae, J.; Kim, K.S. Chemisorption of hydrogen sulfide over copper-based metal–organic frameworks: Methanol and UV-assisted regeneration. RSC Adv. 2021, 11, 4890–4900. [Google Scholar] [CrossRef]
- Gao, L.-L.; Liu, Y.; Lv, X.-Y.; Liu, J.-F.; Hu, T.-P. Crystal Structure and Thermal Behavior of Two New Supramolecular Complexes Templated with 1,2,4,5-Benzenetetracarboxylic Acid. Int. J. Inorg. Chem. 2012, 2012, 291682. [Google Scholar] [CrossRef][Green Version]
- Surib, N.A.; Kuila, A.; Saravanan, P.; Sim, L.C.; Leong, K.H. A ligand strategic approach with Cu-MOF for enhanced solar light photocatalysis. New J. Chem. 2018, 42, 11124–11130. [Google Scholar] [CrossRef]
- Zhang, Z.; Tao, C.-A.; Zhao, J.; Wang, F.; Huang, J.; Wang, J. Microwave-Assisted Solvothermal Synthesis of UiO-66-NH2 and Its Catalytic Performance toward the Hydrolysis of a Nerve Agent Simulant. Catalysts 2020, 10, 1086. [Google Scholar] [CrossRef]
- Mukaromah, L.; Permana, Y.; Patah, A. Influence of Room-Temperature Ionic Liquids on the Electrosynthesis of CuBDC Type Metal-Organic Frameworks: Crystallite Size and Productivity. J. Res. Dev. Nanotec. 2022, 1, 1–5. [Google Scholar] [CrossRef]
- Shetti, N.P.; Nandibewoor, S.T. Kinetic and Mechanistic Investigations on Oxidation of L-tryptophan by Diperiodatocuprate(III) in Aqueous Alkaline Medium. Z. Phys. Chem. 2009, 223, 299–317. [Google Scholar] [CrossRef]
- Mitchell, C.J.; Yang, G.-R.; Senkevich, J.J. Adhesion aspects of poly(p-xylylene) to SiO2 surfaces using γ-methacryloxypropyltrimethoxysilane as an adhesion promoter. J. Adhes. Sci. Technol. 2006, 20, 1637–1647. [Google Scholar] [CrossRef]
- De Sousa, P.V.F.; de Oliveira, A.F.; da Silva, A.A.; Lopes, R.P. Environmental remediation processes by zero valence copper: Reaction mechanisms. Environ. Sci. Pollut. Res. 2019, 26, 14883–14903. [Google Scholar] [CrossRef]
- Rivera-Torrente, M.; Filez, M.; Schneider, C.; van der Feltz, E.C.; Wolkersdorfer, K.; Taffa, D.H.; Wark, M.; Fischer, R.A.; Weckhuysen, B.M. Micro-spectroscopy of HKUST-1 metal-organic framework crystals loaded with tetracyanoquinodimethane: Effects of water on host-guest chemistry and electrical conductivity. Phys. Chem. Chem. Phys. 2019, 21, 25678–25689. [Google Scholar] [CrossRef]
- Wang, Z.; Zhang, Y.; Xiong, H.; Qin, C.; Zhao, W.; Liu, X. Yucca fern shaped CuO nanowires on Cu foam for remitting capacity fading of Li-ion battery anodes. Sci. Rep. 2018, 8, 6530. [Google Scholar] [CrossRef]
- Sun, Y.; Xue, Z.; Liu, Q.; Jia, Y.; Li, Y.; Liu, K.; Lin, Y.; Liu, M.; Li, G.; Su, C.-Y. Modulating electronic structure of metal-organic frameworks by introducing atomically dispersed Ru for efficient hydrogen evolution. Nat. Commun. 2021, 12, 1369. [Google Scholar] [CrossRef]
- Uthappa, U.T.; Sriram, G.; Arvind, O.R.; Kumar, S.; Ho Young, J.; Neelgund, G.M.; Losic, D.; Kurkuri, M.D. Engineering MIL-100(Fe) on 3D porous natural diatoms as a versatile high performing platform for controlled isoniazid drug release, Fenton’s catalysis for malachite green dye degradation and environmental adsorbents for Pb2+ removal and dyes. Appl. Surf. Sci. 2020, 528, 146974. [Google Scholar] [CrossRef]
- Wang, Y.-L.; Dai, Y.-M.; Tsai, M.-H. Highly efficient and recyclable Fe3C/Au@NG catalyst for 4-nitrophenol reduction. Catal. Commun. 2021, 149, 106251. [Google Scholar] [CrossRef]
- Xu, Y.; Shi, X.; Hua, R.; Zhang, R.; Yao, Y.; Zhao, B.; Liu, T.; Zheng, J.; Lu, G. Remarkably catalytic activity in reduction of 4-nitrophenol and methylene blue by Fe3O4@COF supported noble metal nanoparticles. Appl. Catal. B 2020, 260, 118142. [Google Scholar] [CrossRef]
- Wi-Afedzi, T.; Yeoh, F.-Y.; Yang, M.-T.; Yip, A.C.K.; Lin, K.-Y.A. A comparative study of hexacyanoferrate-based Prussian blue analogue nanocrystals for catalytic reduction of 4-nitrophenol to 4-aminophenol. Sep. Purif. Technol. 2019, 218, 138–145. [Google Scholar] [CrossRef]
- Dhorabe, P.T.; Lataye, D.H.; Ingole, R.S. Removal of 4-nitrophenol from aqueous solution by adsorption onto activated carbon prepared from Acacia glauca sawdust. Water Sci. Technol. 2015, 73, 955–966. [Google Scholar] [CrossRef] [PubMed]
- Adebayo, M.A.; Areo, F.I. Removal of phenol and 4-nitrophenol from wastewater using a composite prepared from clay and Cocos nucifera shell: Kinetic, equilibrium and thermodynamic studies. Resour. Environ. Sustain. 2021, 3, 100020. [Google Scholar] [CrossRef]
- El-Bahy, Z.M. Preparation and characterization of Pt-promoted NiY and CoY catalysts employed for 4-nitrophenol reduction. Appl. Catal. A 2013, 468, 175–183. [Google Scholar] [CrossRef]
- Wunder, S.; Polzer, F.; Lu, Y.; Mei, Y.; Ballauff, M. Kinetic Analysis of Catalytic Reduction of 4-Nitrophenol by Metallic Nanoparticles Immobilized in Spherical Polyelectrolyte Brushes. J. Phys. Chem. C 2010, 114, 8814–8820. [Google Scholar] [CrossRef]
- Chang, Y.C.; Chen, D.H. Catalytic reduction of 4-nitrophenol by magnetically recoverable Au nanocatalyst. J. Hazard. Mater. 2009, 165, 664–669. [Google Scholar] [CrossRef]
- Lu, Y.; Mei, Y.; Walker, R.; Ballauff, M.; Drechsler, M. ‘Nano-tree’—Type spherical polymer brush particles as templates for metallic nanoparticles. Polymer 2006, 47, 4985–4995. [Google Scholar] [CrossRef]
- Wu, X.-Q.; Wu, X.-W.; Shen, J.-S.; Zhang, H.-W. In situ formed metal nanoparticle systems for catalytic reduction of nitroaromatic compounds. RSC Adv. 2014, 4, 49287–49294. [Google Scholar] [CrossRef]
- Li, X.; Yan, X.; Hu, X.; Feng, R.; Zhou, M.; Wang, L. Hollow Cu-Co/N-doped carbon spheres derived from ZIFs as an efficient catalyst for peroxymonosulfate activation. Chem. Eng. J. 2020, 397, 125533. [Google Scholar] [CrossRef]
- Sharma, M.; Hazra, S.; Basu, S. Synthesis of heterogeneous Ag-Cu bimetallic monolith with different mass ratios and their performances for catalysis and antibacterial activity. Adv. Powder Technol. 2017, 28, 3085–3094. [Google Scholar] [CrossRef]
- Dey, C.; De, D.; Nandi, M.; Goswami, M.M. A high performance recyclable magnetic CuFe2O4 nanocatalyst for facile reduction of 4-nitrophenol. Mater. Chem. Phys. 2020, 242, 122237. [Google Scholar] [CrossRef]
- Kohantorabi, M.; Gholami, M.R. Kinetic analysis of the reduction of 4-nitrophenol catalyzed by CeO2 nanorods-supported CuNi nanoparticles. Ind. Eng. Chem. Res. 2017, 56, 1159–1167. [Google Scholar] [CrossRef]
- Xie, Y.; Liu, B.; Li, Y.; Chen, Z.; Cao, Y.; Jia, D. Cu/Cu2O/rGO nanocomposites: Solid-state self-reduction synthesis and catalytic activity for p-nitrophenol reduction. New J. Chem. 2019, 43, 12118–12125. [Google Scholar] [CrossRef]
- Zhong, Y.; Gu, Y.; Yu, L.; Cheng, G.; Yang, X.; Sun, M.; He, B. APTES-functionalized Fe3O4 microspheres supported Cu atom-clusters with superior catalytic activity towards 4-nitrophenol reduction. Colloids Surf. A Physicochem. Eng. Asp. 2018, 547, 28–36. [Google Scholar] [CrossRef]
- Yang, T.; Zou, H.Y.; Huang, C.Z. Synergetic Catalytic Effect of Cu2–x Se Nanoparticles and Reduced Graphene Oxide Coembedded in Electrospun Nanofibers for the Reduction of a Typical Refractory Organic Compound. ACS Appl. Mater. Interfaces 2015, 7, 15447–15457. [Google Scholar] [CrossRef]
- Zou, X.; Fan, H.; Tian, Y.; Zhang, M.; Yan, X. Chemical bath deposition of Cu2O quantum dots onto ZnO nanorod arrays for application in photovoltaic devices. RSC Adv. 2015, 5, 23401–23409. [Google Scholar] [CrossRef]
- Demirci, S.; Sahiner, N. Superior reusability of metal catalysts prepared within poly(ethylene imine) microgels for H2 production from NaBH4 hydrolysis. Fuel Process. Technol. 2014, 127, 88–96. [Google Scholar] [CrossRef]
- Balbay, A.; Saka, C. Effect of phosphoric acid addition on the hydrogen production from hydrolysis of NaBH4 with Cu based catalyst. Energy Sour. 2018, 40, 794–804. [Google Scholar] [CrossRef]
- Shi, D.; Zhu, G.; Zhang, X.; Zhang, X.; Li, X.; Fan, J. Ultra-small and recyclable zero-valent iron nanoclusters for rapid and highly efficient catalytic reduction of p-nitrophenol in water. Nanoscale 2019, 11, 1000–1010. [Google Scholar] [CrossRef]
- Bae, S.; Gim, S.; Kim, H.; Hanna, K. Effect of NaBH4 on properties of nanoscale zero-valent iron and its catalytic activity for reduction of p-nitrophenol. Appl. Catal. B 2016, 182, 541–549. [Google Scholar] [CrossRef]
- Ali, F.; Khan, S.B.; Kamal, T.; Alamry, K.A.; Asiri, A.M. Chitosan-titanium oxide fibers supported zero-valent nanoparticles: Highly efficient and easily retrievable catalyst for the removal of organic pollutants. Sci. Rep. 2018, 8, 6260. [Google Scholar] [CrossRef] [PubMed]
- Rajegaonkar, P.S.; Deshpande, B.A.; More, M.S.; Waghmare, S.S.; Sangawe, V.V.; Inamdar, A.; Shirsat, M.D.; Adhapure, N.N. Catalytic reduction of p-nitrophenol and methylene blue by microbiologically synthesized silver nanoparticles. Mater. Sci. Eng. C 2018, 93, 623–629. [Google Scholar] [CrossRef]
- Sahiner, N.; Sagbas, S.; Aktas, N. Very fast catalytic reduction of 4-nitrophenol, methylene blue and eosin Y in natural waters using green chemistry: p(tannic acid)–Cu ionic liquid composites. RSC Adv. 2015, 5, 18183–18195. [Google Scholar] [CrossRef]
- Lin, J.-Y.; Chen, P.-Y.; Kwon, E.; Oh, W.D.; You, S.; Huang, C.-W.; Ghanbari, F.; Wi-Afedzi, T.; Lin, K.-Y.A. One-step synthesized 3D-structured MOF foam for efficient and convenient catalytic reduction of nitrogen-containing aromatic compounds. J. Water Process Eng. 2021, 40, 101933. [Google Scholar] [CrossRef]
- Shah, L.A.; Sayed, M.; Fayaz, M.; Bibi, I.; Nawaz, M.; Siddiq, M. Ag-loaded thermo-sensitive composite microgels for enhanced catalytic reduction of methylene blue. Nanotechnol. Environ. Eng. 2017, 2, 1–7. [Google Scholar] [CrossRef]
- You, J.G.; Shanmugam, C.; Liu, Y.W.; Yu, C.J.; Tseng, W.L. Boosting catalytic activity of metal nanoparticles for 4-nitrophenol reduction: Modification of metal naoparticles with poly(diallyldimethylammonium chloride). J Hazard Mater 2017, 324, 420–427. [Google Scholar] [CrossRef]
- Iqbal, K.; Iqbal, A.; Kirillov, A.M.; Wang, B.; Liu, W.; Tang, Y. A new Ce-doped MgAl-LDH@Au nanocatalyst for highly efficient reductive degradation of organic contaminants. J. Mater. Chem. A 2017, 5, 6716–6724. [Google Scholar] [CrossRef]
- Li, Z.; Yuan, C.-G.; Guo, Q.; Wei, X. Preparation of stable AgNPs@PAN/GO-SH nanocompsite by electrospinning for effective degradation of 4-nitrophenol, methylene blue and Rhodamine B. Mater. Lett. 2020, 265, 127409. [Google Scholar] [CrossRef]
- Qi, L.; Zhang, K.; Qin, W.; Hu, Y. Highly efficient flow-through catalytic reduction of methylene blue using silver nanoparticles functionalized cotton. Chem. Eng. J. 2020, 388, 124252. [Google Scholar] [CrossRef]
- Hu, H.; Shao, M.; Zhang, W.; Lu, L.; Wang, H.; Wang, S. Synthesis of Layer-Deposited Silicon Nanowires, Modification with Pd Nanoparticles, and Their Excellent Catalytic Activity and Stability in the Reduction of Methylene Blue. J. Phys. Chem. C 2007, 111, 3467–6470. [Google Scholar] [CrossRef]
- Khan, S.A.; Khan, N.; Irum, U.; Farooq, A.; Asiri, A.M.; Bakhsh, E.M.; Khan, S.B. Cellulose acetate-Ce/Zr@ Cu0 catalyst for the degradation of organic pollutant. Int. J. Biol. Macromol. 2020, 153, 806–816. [Google Scholar] [CrossRef] [PubMed]
- Benali, F.; Boukoussa, B.; Ismail, I.; Hachemaoui, M.; Iqbal, J.; Taha, I.; Cherifi, Z.; Mokhtar, A. One pot preparation of CeO2@ Alginate composite beads for the catalytic reduction of MB dye: Effect of cerium percentage. Surf. Interfaces 2021, 26, 101306. [Google Scholar] [CrossRef]
- Gong, Z.; Ma, T.; Liang, F. Syntheses of magnetic blackberry-like Ni@ Cu@ Pd nanoparticles for efficient catalytic reduction of organic pollutants. J. Alloys Compd. 2021, 873, 159802. [Google Scholar] [CrossRef]
- Vijayan, R.; Joseph, S.; Mathew, B. Green synthesis of silver nanoparticles using Nervalia zeylanica leaf extract and evaluation of their antioxidant, catalytic, and antimicrobial potentials. Part. Sci. Technol. 2019, 37, 809–819. [Google Scholar] [CrossRef]
- Gul, S.; Khan, S.A.; Rehan, Z.A.; Akhtar, K.; Khan, M.A.; Khan, M.I.; Rashid, M.I.; Asiri, A.M.; Khan, S.B. Antibacterial CuO-PES-CA nancomposite membranes supported Cu0 nanoparticles for water permeability and reduction of organic pollutants. J. Mater. Sci. 2019, 30, 10835–10847. [Google Scholar] [CrossRef]
- Sun, H.; Abdeta, A.B.; Zelekew, O.A.; Guo, Y.; Zhang, J.; Kuo, D.-H.; Lin, J.; Chen, X. Spherical porous SiO2 supported CuVOS catalyst with an efficient catalytic reduction of pollutants under dark condition. J. Mol. Liq. 2020, 313, 113567. [Google Scholar] [CrossRef]
- Sahu, K.; Singh, J.; Mohapatra, S. Catalytic reduction of 4-nitrophenol and photocatalytic degradation of organic pollutants in water by copper oxide nanosheets. Opt. Mater. 2019, 93, 58–69. [Google Scholar] [CrossRef]
- Islam, M.T.; Saenz-Arana, R.; Wang, H.; Bernal, R.; Noveron, J.C. Green synthesis of gold, silver, platinum, and palladium nanoparticles reduced and stabilized by sodium rhodizonate and their catalytic reduction of 4-nitrophenol and methyl orange. New J. Chem. 2018, 42, 6472–6478. [Google Scholar] [CrossRef]
- Sun, H.; Abdeta, A.B.; Kuo, D.-H.; Wu, Q.; Guo, Y.; Zelekew, O.A.; Yuan, Z.; Lin, J.; Chen, X. Activated carbon supported CuSnOS catalyst with an efficient catalytic reduction of pollutants under dark condition. J. Mol. Liq. 2021, 334, 116079. [Google Scholar] [CrossRef]
- Wu, T.; Kou, Y.; Zheng, H.; Lu, J.; Kadasala, N.R.; Yang, S.; Guo, C.; Liu, Y.; Gao, M. A novel Au@ Cu2O-Ag ternary nanocomposite with highly efficient catalytic performance: Towards rapid reduction of methyl orange under dark condition. Nanomaterials 2019, 10, 48. [Google Scholar] [CrossRef] [PubMed]










| Catalyst | Ea (kJ/mol) | Ref. |
|---|---|---|
| CuCF mesh | 85.0 | This work |
| CuCF-NH2 mesh | 28.4 | |
| CuCF-COOH mesh | 28.1 | |
| NiY | 105 | [46] |
| PtY | 136 | |
| CoY | 60 | |
| PtNiY | 119 | |
| PtCoY | 55 | |
| Pt NPs | 40 | [47] |
| Magnetic Au-NP | 51 | [48] |
| PS-PEGMA-Ag | 62 | [49] |
| Cu2+ | 74 | [50] |
| Ag+ | 173.1 | |
| AuCl4- | 32.6 | |
| Co2+ | 34.7 | |
| Ni2+ | 216.4 | |
| Cu-Co/N | 53.21 | [51] |
| Ag/Cu | 82.7 | [52] |
| CuFe2O4 | 44.091 | [53] |
| Cu60Ni40–CeO2 | 39.695 | [54] |
| Cu/Cu2O/rGO | 24.94 | [55] |
| Cu-APTES@Fe3O4 | 50.5 | [56] |
| Cu 2 – x Se/rGO/PVP | 49.05 ± 1.70 | [57] |
| Cu 2 – x Se/PVP | 86.47 ± 1.22 | |
| rGO/PVP | 77.32 ± 1.60 |
| Material | k (min−1) | Citation |
|---|---|---|
| CFCM | 1.14 | This work |
| pNAC7 | 0.80 | [67] |
| Platinum particles | 0.03 | [68] |
| Mg/Al-hydroxide@Gold | 0.84 | [69] |
| Mg/Al/Ce-hydroxide@Gold | 1.80 | |
| Mg/Al/Ce-hydroxide | 0.30 | |
| Silver particles | 0.20 | [70] |
| Cotton@Silver particles | 0.48 | [71] |
| Palladium/Silica | 1.43 | [72] |
| Ce/Zr@Cu0 | 0.17 | [73] |
| CA@Cu0 | 0.083 | |
| CA-Ce/Ze@ Cu0 | 0.096 | |
| CuNi@CP | 0.026 | [74] |
| Cu@CC | 0.246 | |
| Ni | 0.12 | [75] |
| Ni@Cu | 0.52 | |
| Ni@Cu@Pd | 7.2 | |
| Cu-Ni | 0.38 | |
| Porous Cu | 0.81 |
| Catalyst | k (min−1) | Ref. |
|---|---|---|
| CFNM | 1.2 | This work |
| CuVOS@SiO2 | 0.411 | [78] |
| CuO nanosheets | 0.0069 | [79] |
| PtNPs | 4.145 | [80] |
| PdNPs | 0.0125 | |
| AuNPs | 0.0067 | |
| AgNPs | 0.00007 | |
| CuSnOS@AC-0.30 mL | 0.826 | [81] |
| Au@Cu2O NCs | 0.299 | [82] |
| Au@Cu2O-Ag NCs | 1.081 |
Publisher’s Note: MDPI stays neutral with regard to jurisdictional claims in published maps and institutional affiliations. |
© 2022 by the authors. Licensee MDPI, Basel, Switzerland. This article is an open access article distributed under the terms and conditions of the Creative Commons Attribution (CC BY) license (https://creativecommons.org/licenses/by/4.0/).
Share and Cite
Mao, P.-H.; Huy, N.N.; Ghotekar, S.; Lin, J.-Y.; Kwon, E.; Yeoh, F.-Y.; Ghanbari, F.; Lisak, G.; Lin, K.-Y.A. Single-Step Synthesized Functionalized Copper Carboxylate Framework Meshes as Hierarchical Catalysts for Enhanced Reduction of Nitrogen-Containing Phenolic Contaminants. Catalysts 2022, 12, 765. https://doi.org/10.3390/catal12070765
Mao P-H, Huy NN, Ghotekar S, Lin J-Y, Kwon E, Yeoh F-Y, Ghanbari F, Lisak G, Lin K-YA. Single-Step Synthesized Functionalized Copper Carboxylate Framework Meshes as Hierarchical Catalysts for Enhanced Reduction of Nitrogen-Containing Phenolic Contaminants. Catalysts. 2022; 12(7):765. https://doi.org/10.3390/catal12070765
Chicago/Turabian StyleMao, Po-Hsin, Nguyen Nhat Huy, Suresh Ghotekar, Jia-Yin Lin, Eilhann Kwon, Fei-Yee Yeoh, Farshid Ghanbari, Grzegorz Lisak, and Kun-Yi Andrew Lin. 2022. "Single-Step Synthesized Functionalized Copper Carboxylate Framework Meshes as Hierarchical Catalysts for Enhanced Reduction of Nitrogen-Containing Phenolic Contaminants" Catalysts 12, no. 7: 765. https://doi.org/10.3390/catal12070765
APA StyleMao, P.-H., Huy, N. N., Ghotekar, S., Lin, J.-Y., Kwon, E., Yeoh, F.-Y., Ghanbari, F., Lisak, G., & Lin, K.-Y. A. (2022). Single-Step Synthesized Functionalized Copper Carboxylate Framework Meshes as Hierarchical Catalysts for Enhanced Reduction of Nitrogen-Containing Phenolic Contaminants. Catalysts, 12(7), 765. https://doi.org/10.3390/catal12070765

