Fusing China GF-5 Hyperspectral Data with GF-1, GF-2 and Sentinel-2A Multispectral Data: Which Methods Should Be Used?
Abstract
1. Introduction
2. Data
2.1. GF-5 Spaceborne Hyperspectral Sensor
2.2. GF-1, GF-2, and S2A Spaceborne Multispectral Sensors
2.3. Data Preprocessing
2.4. Study Area and Fusion Datasets
3. Methods
3.1. The Study Framework
3.2. Fusion Methods
3.2.1. CS-Based Methods: GSA
3.2.2. MRA-Based Methods: MTF-GLP and SFIM
3.2.3. Subspace-Based Methods: CNMF, LANARAS, FUSE, MAP-SMM and Two-CNN-FU
3.2.4. Color Mapping-Based Methods: HCM
3.2.5. Parameter Settings
3.3. Comprehensive Evaluation Measures
3.3.1. Spectral Evaluation Measures
3.3.2. Spatial Evaluation Measures
3.3.3. Classification Evaluation Measures
3.3.4. Computational Efficiency Measures
4. Results
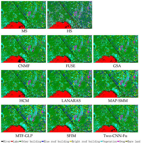
4.1. Fusion Results of GF-5 and GF-1
4.2. Fusion Results of GF-5 and GF-2
4.3. Fusion Results of GF-5 and S2A
5. Discussion
6. Conclusions
Author Contributions
Funding
Acknowledgments
Conflicts of Interest
Appendix A
| Fusion Datasets | Study Area | Methods | |||
|---|---|---|---|---|---|
| LANARAS | MAP-SMM | HCM | Others | ||
| GF-5 and GF-1 | Taihu Lake-1 | K = 27 | S = 6, K = 5, m = 126 | B = 280, T = 1125, Z = 0.01 | |
| Taihu Lake-2 | K = 35 | S = 5, K = 4, m = 35 | B = 280, T = 945, Z = 0.01 | — | |
| Poyang Lake-1 | K = 33 | S = 4, K = 3, m = 10 | B = 280, T = 1875, Z = 0.01 | ||
| GF-5 and GF-2 | Taihu Lake-3 | K = 30 | S = 6, K = 5, m = 126 | B = 280, T = 1740, Z = 0.01 | |
| Taihu Lake-4 | K = 35 | S = 5, K = 4, m = 35 | B = 280, T = 1875, Z = 0.01 | — | |
| Taihu Lake-5 | K = 25 | S = 5, K = 4, m = 35 | B = 280, T = 1245, Z = 0.01 | ||
| GF-5 and S2A | Yellow River Estuary | K = 31 | S = 6, K = 5, m = 126 | B = 280, T = 2010, Z = 0.01 | |
| Poyang Lake-2 | K = 30 | S = 6, K = 5, m = 126 | B = 280, T = 2100, Z = 0.01 | — | |
| Taihu Lake-6 | K = 28 | S = 5, K = 4, m = 35 | B = 280, T = 1200, Z = 0.01 | ||
References
- Pignatti, S.; Acito, N.; Amato, U.; Casa, R.; Castaldi, F.; Coluzzi, R.; De Bonis, R.; Diani, M.; Imbrenda, V.; Laneve, G. Environmental products overview of the Italian hyperspectral prisma mission: The SAP4PRISMA project. In Proceedings of the 2015 IEEE International Geoscience and Remote Sensing Symposium (IGARSS), Milan, Italy, 26–31 July 2015; pp. 3997–4000. [Google Scholar]
- Matsunaga, T.; Iwasaki, A.; Tsuchida, S.; Iwao, K.; Tanii, J.; Kashimura, O.; Nakamura, R.; Yamamoto, H.; Kato, S.; Obata, K. Current status of hyperspectral imager suite (HISUI) onboard International Space Station (ISS). In Proceedings of the 2017 IEEE International Geoscience and Remote Sensing Symposium (IGARSS), Fort Worth, TX, USA, 23–28 July 2017; pp. 443–446. [Google Scholar]
- Mahalingam, S.; Srinivas, P.; Devi, P.K.; Sita, D.; Das, S.K.; Leela, T.S.; Venkataraman, V.R. Reflectance based vicarious calibration of HySIS sensors and spectral stability study over pseudo-invariant sites. In Proceedings of the IEEE Recent Advances in Geoscience and Remote Sensing: Technologies, Standards and Applications (TENGARSS), Kochi, Kerala, India, 17–20 October 2019; pp. 132–136. [Google Scholar]
- Stuffler, T.; Kaufmann, C.; Hofer, S.; Förster, K.; Schreier, G.; Mueller, A.; Eckardt, A.; Bach, H.; Penne, B.; Benz, U. The EnMAP hyperspectral imager—An advanced optical payload for future applications in Earth observation programmes. Acta Astronaut. 2007, 61, 115–120. [Google Scholar] [CrossRef]
- Müller, R.; Avbelj, J.; Carmona, E.; Gerasch, B.; Graham, L.; Günther, B.; Heiden, U.; Kerr, G.; Knodt, U.; Krutz, D. The new hyperspectral sensor DESIS on the multi-payload platform MUSES installed on the ISS. Int. Arch. Photogramm. Remote Sens. Spat. Inf. Sci. 2016, 41, 461–467. [Google Scholar] [CrossRef]
- Xin, Y.; Ren, H.; Liu, R.; Qin, Q.; Yao, L.; Dong, J. Land Surface Temperature Estimate From Chinese Gaofen-5 Satellite Data Using Split-Window Algorithm. IEEE Trans. Geosci. Remote Sens. 2017, 55, 5877–5888. [Google Scholar]
- Thenkabail, P.S.; Smith, R.B.; Pauw, E.D. Hyperspectral Vegetation Indices and Their Relationships with Agricultural Crop Characteristics. Remote Sens. Environ. 2000, 71, 158–182. [Google Scholar] [CrossRef]
- Jiang, J.B.; Chen, Y.H.; Huang, W.J. Using Hyperspectral Remote Sensing to Estimate Canopy Chlorophyll Density of Wheat under Yellow Rust Stress. Spectrosc. Spectr. Anal. 2010, 30, 2243–2247. [Google Scholar]
- Wang, F.; Gao, J.; Zha, Y. Hyperspectral sensing of heavy metals in soil and vegetation: Feasibility and challenges. ISPRS J. Photogramm. Remote Sens. 2018, 136, 73–84. [Google Scholar] [CrossRef]
- Shivsubramani, K.; Soman, K.P. Implementation and Comparative Study of Image Fusion Algorithms. Int. J. Comput. Appl. 2010, 9, 10–20. [Google Scholar]
- Palsson, F.; Sveinsson, J.R.; Ulfarsson, M.O.; Letters, R.S. Multispectral and Hyperspectral Image Fusion Using a 3-D-Convolutional Neural Network. IEEE Geosci. Remote Sens. Lett. 2017, 14, 639–643. [Google Scholar] [CrossRef]
- Uzair, M.; Mahmood, A.; Mian, A.J. Hyperspectral face recognition with spatiospectral information fusion and PLS regression. IEEE Trans. Image Process. 2015, 24, 1127–1137. [Google Scholar] [CrossRef]
- Wei, Q.; Bioucas-Dias, J.; Dobigeon, N.; Tourneret, J.Y.; Sensing, R. Hyperspectral and Multispectral Image Fusion Based on a Sparse Representation. IEEE Trans. Geosci. Remote Sens. 2015, 53, 3658–3668. [Google Scholar] [CrossRef]
- Li, S.; Kang, X.; Fang, L.; Hu, J.; Yin, H. Pixel-level image fusion: A survey of the state of the art. Inf. Fusion 2017, 33, 100–112. [Google Scholar] [CrossRef]
- Zhang, Y.; Fusion, D. Wavelet-based Bayesian fusion of multispectral and hyperspectral images using Gaussian scale mixture model. Int. J. Image Data Fusion 2012, 3, 23–37. [Google Scholar] [CrossRef]
- Yi, C.; Zhao, Y.Q.; Chan, J.C.W.; Sensing, R. Hyperspectral Image Super-Resolution Based on Spatial and Spectral Correlation Fusion. IEEE Trans. Geosci. Remote Sens. 2018, 56, 4165–4177. [Google Scholar] [CrossRef]
- Vivone, G.; Alparone, L.; Chanussot, J.; Dalla Mura, M.; Garzelli, A.; Licciardi, G.A.; Restaino, R.; Wald, L.; Sensing, R. A critical comparison among pansharpening algorithms. IEEE Trans. Geosci. Remote Sens. 2014, 53, 2565–2586. [Google Scholar] [CrossRef]
- Yokoya, N.; Grohnfeldt, C.; Chanussot, J.; Magazine, R.S. Hyperspectral and multispectral data fusion: A comparative review of the recent literature. IEEE Geosci. Remote Sens. Mag. 2017, 5, 29–56. [Google Scholar] [CrossRef]
- Yang, J.; Zhao, Y.Q.; Chan, J.C.W. Hyperspectral and multispectral image fusion via deep two-branches convolutional neural network. Remote Sens. 2018, 10, 800. [Google Scholar] [CrossRef]
- Loncan, L.; De Almeida, L.B.; Bioucas-Dias, J.M.; Briottet, X.; Chanussot, J.; Dobigeon, N.; Fabre, S.; Liao, W.; Licciardi, G.A.; Simoes, M.; et al. Hyperspectral pansharpening: A review. IEEE Geosci. Remote Sens. Mag. 2015, 3, 27–46. [Google Scholar] [CrossRef]
- Rahmani, S.; Strait, M.; Merkurjev, D.; Moeller, M.; Wittman, T.; Letters, R.S. An adaptive IHS pan-sharpening method. IEEE Geosci. Remote Sens. Lett. 2010, 7, 746–750. [Google Scholar] [CrossRef]
- Shah, V.P.; Younan, N.H.; King, R.L. An efficient pan-sharpening method via a combined adaptive PCA approach and contourlets. IEEE Trans. Geosci. Remote Sens. 2008, 46, 1323–1335. [Google Scholar] [CrossRef]
- Aiazzi, B.; Baronti, S.; Selva, M. Improving Component Substitution Pansharpening through Multivariate Regression of MS $+$Pan Data. IEEE Trans. Geosci. Remote Sens. 2007, 45, 3230–3239. [Google Scholar] [CrossRef]
- Shensa, M. The discrete wavelet transform: Wedding the a trous and Mallat algorithms. IEEE Trans. Signal Process. 1992, 40, 2464–2482. [Google Scholar] [CrossRef]
- Meng, X.; Shen, H.; Li, H.; Zhang, L.; Fu, R. Review of the pansharpening methods for remote sensing images based on the idea of meta-analysis: Practical discussion and challenges. Inf. Fusion 2019, 46, 102–113. [Google Scholar] [CrossRef]
- Yang, B.; Li, S. Multifocus image fusion and restoration with sparse representation. IEEE Trans. Instrum. Meas. 2009, 59, 884–892. [Google Scholar] [CrossRef]
- Wei, Q.; Dobigeon, N.; Tourneret, J.Y. Fast fusion of multi-band images based on solving a Sylvester equation. IEEE Trans. Image Process. 2015, 24, 4109–4121. [Google Scholar] [CrossRef]
- Bai, Z. GF-1 Satellite—The First Satellite of CHEOS. Aerosp. China 2013, 14, 11–16. [Google Scholar]
- Huang, W.; Jiang, H.; Gao, C.; Zong, X. GF-2 Satellite 1m/4m Camera Design and In-Orbit Commissioning. Chin. J. Electron. 2018, 27, 1316–1321. [Google Scholar] [CrossRef]
- Wang, Q.; Shi, W.; Li, Z.; Atkinson, P.M. Fusion of Sentinel-2 images. Remote Sens. Environ. 2016, 187, 241–252. [Google Scholar] [CrossRef]
- Anderson, G.P.; Felde, G.W.; Hoke, M.L.; Ratkowski, A.J.; Cooley, T.W.; Chetwynd, J.H., Jr.; Gardner, J.; Adler-Golden, S.M.; Matthew, M.W.; Berk, A. MODTRAN4-based atmospheric correction algorithm: FLAASH (Fast Line-of-sight Atmospheric Analysis of Spectral Hypercubes). In Proceedings of the Algorithms and Technologies for Multispectral, Hyperspectral, and Ultraspectral Imagery VIII, Orlando, FL, USA, 24–28 June 2002; pp. 65–71. [Google Scholar]
- Selva, M.; Aiazzi, B.; Butera, F.; Chiarantini, L.; Baronti, S. Hyper-sharpening: A first approach on SIM-GA data. IEEE J. Sel. Top. Appl. Earth Obs. Remote Sens. 2015, 8, 3008–3024. [Google Scholar] [CrossRef]
- Liu, J. Smoothing filter-based intensity modulation: A spectral preserve image fusion technique for improving spatial details. Int. J. Remote Sens. 2000, 21, 3461–3472. [Google Scholar] [CrossRef]
- Roy, S.; Howlader, T.; Rahman, S.M. Image fusion technique using multivariate statistical model for wavelet coefficients. Signal Image Video Process. 2013, 7, 355–365. [Google Scholar] [CrossRef]
- Wahlberg, B.; Boyd, S.; Annergren, M.; Wang, Y. An ADMM algorithm for a class of total variation regularized estimation problems. IFAC Proc. Vol. 2012, 45, 83–88. [Google Scholar] [CrossRef]
- Xu, Y.; Yin, W. A block coordinate descent method for regularized multiconvex optimization with applications to nonnegative tensor factorization and completion. SIAM J. Imaging Sci. 2013, 6, 1758–1789. [Google Scholar] [CrossRef]
- Lin, Y.; Wei, Y. Condition numbers of the generalized Sylvester equation. IEEE Trans. Autom. Control. 2007, 52, 2380–2385. [Google Scholar] [CrossRef]
- Eismann, M.T.; Hardie, R.C. Application of the stochastic mixing model to hyperspectral resolution enhancement. IEEE Trans. Geosci. Remote Sens. 2004, 42, 1924–1933. [Google Scholar] [CrossRef]
- Steele, B.M. Maximum posterior probability estimators of map accuracy. Remote Sens. Environ. 2005, 99, 254–270. [Google Scholar] [CrossRef]
- Yokoya, N.; Yairi, T.; Iwasaki, A. Coupled nonnegative matrix factorization unmixing for hyperspectral and multispectral data fusion. IEEE Trans. Geosci. Remote Sens. 2011, 50, 528–537. [Google Scholar] [CrossRef]
- Lanaras, C.; Baltsavias, E.; Schindler, K. Hyperspectral super-resolution by coupled spectral unmixing. In Proceedings of the IEEE International Conference on Computer Vision, Santiago, Chile, 7–13 December 2015; pp. 3586–3594. [Google Scholar]
- Lee, D.D.; Seung, H.S. Learning the parts of objects by non-negative matrix factorization. Nature 1999, 401, 788–791. [Google Scholar] [CrossRef]
- Nascimento, J.M.; Dias, J.M.B. Vertex component analysis: A fast algorithm to unmix hyperspectral data. IEEE Trans. Geosci. Remote Sens. 2005, 43, 898–910. [Google Scholar] [CrossRef]
- Sevilla, J.; Martín, G.; Nascimento, J.M.P. Parallel hyperspectral unmixing method via split augmented Lagrangian on GPU. IEEE Geosci. Remote Sens. Lett. 2016, 13, 626–630. [Google Scholar] [CrossRef]
- Kumar, U.; Milesi, C.; Nemani, R.R.; Raja, S.K.; Ganguly, S.; Wang, W. Sparse unmixing via variable splitting and augmented Lagrangian for vegetation and urban area classification using Landsat data. Int. Arch. Photogramm. Remote Sens. Spat. Inf. Sci. 2015, 40, 59. [Google Scholar] [CrossRef]
- Zhou, J.; Kwan, C.; Budavari, B. Hyperspectral image super-resolution: A hybrid color mapping approach. J. Appl. Remote Sens. 2016, 10, 035024. [Google Scholar] [CrossRef]
- Torti, E.; Fontanella, A.; Plaza, A. Parallel real-time virtual dimensionality estimation for hyperspectral images. J. Real Time Image Process. 2018, 14, 753–761. [Google Scholar] [CrossRef]
- Wu, X.; Huang, B.; Wang, L.; Zhang, J. GPU-based parallel design of the hyperspectral signal subspace identification by minimum error (HySime). IEEE J. Sel. Top. Appl. Earth Obs. Remote. Sens. 2016, 9, 4400–4406. [Google Scholar] [CrossRef]
- Alparone, L.; Wald, L.; Chanussot, J.; Thomas, C.; Gamba, P.; Bruce, L.M. Comparison of pansharpening algorithms: Outcome of the 2006 GRS-S data-fusion contest. IEEE Trans. Geosci. Remote Sens. 2007, 45, 3012–3021. [Google Scholar] [CrossRef]
- Shen, H.; Meng, X.; Zhang, L. An integrated framework for the spatio–temporal–spectral fusion of remote sensing images. IEEE Trans. Geosci. Remote Sens. 2016, 54, 7135–7148. [Google Scholar] [CrossRef]
- Meng, X.; Shen, H.; Yuan, Q.; Li, H.; Zhang, L.; Sun, W. Pansharpening for cloud-contaminated very high-resolution remote sensing images. IEEE Trans. Geosci. Remote Sens. 2018, 57, 2840–2854. [Google Scholar] [CrossRef]
- Huang, X.; Zhang, L.; Sensing, R. An adaptive mean-shift analysis approach for object extraction and classification from urban hyperspectral imagery. IEEE Trans. Geosci. Remote Sens. 2008, 46, 4173–4185. [Google Scholar] [CrossRef]
- Stehman, S.V. Selecting and interpreting measures of thematic classification accuracy. Remote Sens. Environ. 1997, 62, 77–89. [Google Scholar] [CrossRef]
- Olivier, R.; Cao, H. Nearest Neighbor Value Interpolation. Int. J. Adv. Comput. Sci. Appl. 2012, 3, 25–30. [Google Scholar] [CrossRef]
- Li, P.; Xiande, L. Bilinear interpolation method for quantum images based on quantum Fourier transform. Int. J. Quantum Inf. 2018, 16, 1850031. [Google Scholar] [CrossRef]
- Keys, R.G.J. Cubic convolution interpolation for digital image processing. IEEE Trans. Acoust. Speech Signal Process. 1981, 37, 1153–1160. [Google Scholar] [CrossRef]
- Amanatiadis, A.; Andreadis, I. A survey on evaluation methods for image interpolation. Meas. Sci. Technol. 2009, 20, 104015–104019. [Google Scholar] [CrossRef]
- Carey, W.K.; Chuang, D.B.; Hemami, S.S. Regularity-preserving image interpolation. IEEE Trans. Image Process. 1999, 8, 1293–1297. [Google Scholar] [CrossRef] [PubMed]
- Meijering, E.; Unser, M. A note on cubic convolution interpolation. IEEE Trans. Image Process. 2003, 12, 477–479. [Google Scholar] [CrossRef]












| Satellite Payload | GF-5 AHSI | DESIS | HYSIS | PRISMA HSI | EnMAP HSI | ALOS-3 HISUI |
|---|---|---|---|---|---|---|
| Nation | China | Germany | India | Italy | Germany | Japan |
| Launch time | 2018 | 2018 | 2018 | 2019 | 2020 (Scheduled) | 2019 |
| Spectral range/μm | 0.4~2.5 | 0.4-1.0 | 0.4-2.5 | 0.4~2.5 | 0.42~2.45 | 0.4~2.5 |
| Total number of bands | 330 | 235 | 55 | 239 | >240 | 185 |
| Spectral resolution/nm | 5 (VNIR) 10 (SWIR) | 2.55 | 10 | <12 | 6.5 (VNIR) 10 (SWIR) | 10 (VNIR) 12.5 (SWIR) |
| Spatial resolution/m | 30 | 30 | 30 | 30 | 30 | 30 |
| Swath width/km | 60 | 30 | 30 | 30 | 30 | 30 |
| Satellite Payloads | HS Sensors | MS Sensors | ||
|---|---|---|---|---|
| GF-5 | GF-1 | GF-2 | S2A | |
| Nations | China | China | China | Europe |
| Launch time | 9 May 2018 | 26 April 2013 | 19 August 2014 | 23 June 2015 |
| Spectral range/μm | 0.4–2.5 | 0.45–0.52 0.52–0.59 0.63–0.69 0.77–0.89 | 0.45–0.52 0.52–0.59 0.63–0.69 0.77–0.89 | 0.4–2.4 |
| Number of bands | 330 | 4 | 4 | 13 |
| Spectral resolution/nm | 5 (VNIR) 10 (SWIR) | – | – | – |
| Spatial resolutions of used bands/m | 30 | 8 | 4 | 10 |
| Swath width/km | 60 | 800/60 | 45 | 290 |
| Datasets | Area | Sensors | Time | Image Size |
|---|---|---|---|---|
| GF-5 and GF-1 | Taihu Lake-1 | GF-5 HS | 1 June 2018 | 540 × 300 |
| GF-1 MS | 25 June 2018 | 2025 × 1125 | ||
| Taihu Lake-2 | GF-5 HS | 1 June 2018 | 452 × 252 | |
| GF-1 MS | 3 May 2018 | 1695 × 945 | ||
| Poyang Lake-1 | GF-5 HS | 7 October 2018 | 600 × 500 | |
| GF-1 MS | 15 September 2018 | 2250 × 1875 | ||
| GF-5 and GF-2 | Taihu Lake-3 | GF-5 HS | 1 June 2018 | 358 × 232 |
| GF-2 MS | 14 May 2018 | 2685 × 1740 | ||
| Taihu Lake-4 | GF-5 HS | 1 June 2018 | 450 × 250 | |
| GF-2 MS | 14 May 2018 | 3375 × 1875 | ||
| Taihu Lake-5 | GF-5 HS | 1 June 2018 | 362 × 166 | |
| GF-2 MS | 14 May 2018 | 2715 × 1245 | ||
| GF-5 and S2A | Yellow River Estuary | GF-5 HS | 1 November 2018 | 850 × 670 |
| S2A MS | 24 October 2018 | 2550 × 2010 | ||
| Poyang Lake-2 | GF-5 HS | 7 October 2018 | 700 × 700 | |
| S2A MS | 15 September 2018 | 2100 × 2100 | ||
| Taihu Lake-6 | GF-5 HS | 1 June 2018 | 750 × 400 | |
| S2A MS | 4 May 2018 | 2250 × 1200 |
| Land Cover Types | Taihu Lake-1 | Taihu Lake-2 | Poyang Lake-1 | |||||||||
|---|---|---|---|---|---|---|---|---|---|---|---|---|
| Training | Testing | Training | Testing | Training | Testing | |||||||
| Pixel | ROI | Pixel | ROI | Pixel | ROI | Pixel | ROI | Pixel | ROI | Pixel | ROI | |
| River | 315 | 70 | 923 | 100 | 265 | 60 | 523 | 100 | 203 | 60 | 465 | 100 |
| Lake | 232 | 20 | 633 | 36 | 193 | 20 | 325 | 30 | 265 | 50 | 512 | 100 |
| Blue roof building | 226 | 40 | 743 | 120 | 365 | 80 | 502 | 100 | – | – | – | – |
| Bright roof building | 268 | 38 | 663 | 92 | 232 | 70 | 469 | 90 | – | – | – | – |
| Other building | 369 | 50 | 904 | 100 | 295 | 70 | 378 | 100 | 195 | 50 | 368 | 80 |
| Vegetation | 236 | 30 | 669 | 80 | 102 | 20 | 232 | 50 | – | – | – | – |
| Bare land | 169 | 15 | 339 | 30 | 99 | 15 | 153 | 25 | – | – | – | – |
| Swag | 129 | 25 | 432 | 50 | – | – | – | – | 134 | 50 | 433 | 80 |
| Artificial trench | – | – | – | – | 133 | 30 | 287 | 60 | – | – | – | – |
| Tidal–flat area | – | – | – | – | – | – | – | – | 169 | 65 | 364 | 100 |
| Marsh | – | – | – | – | – | – | – | – | 259 | 60 | 475 | 120 |
| Dry land | – | – | – | – | – | – | – | – | 169 | 45 | 295 | 80 |
| Paddy field | – | – | – | – | – | – | – | – | 187 | 55 | 368 | 100 |
| Land Cover Types | Taihu Lake-3 | Taihu Lake-4 | Taihu Lake-5 | |||||||||
|---|---|---|---|---|---|---|---|---|---|---|---|---|
| Training | Testing | Training | Testing | Training | Testing | |||||||
| Pixel | ROI | Pixel | ROI | Pixel | ROI | Pixel | ROI | Pixel | ROI | Pixel | ROI | |
| River | 241 | 50 | 396 | 80 | 196 | 30 | 325 | 60 | 121 | 30 | 256 | 50 |
| Lake | 98 | 20 | 203 | 40 | 103 | 20 | 194 | 40 | 80 | 30 | 198 | 60 |
| Blue roof building | 125 | 80 | 206 | 160 | 134 | 75 | 214 | 140 | 89 | 60 | 167 | 120 |
| Bright roof building | 93 | 60 | 162 | 90 | 98 | 50 | 183 | 90 | 98 | 50 | 179 | 100 |
| Other building | 135 | 80 | 265 | 160 | 150 | 85 | 299 | 150 | 131 | 70 | 199 | 135 |
| Vegetation | 90 | 30 | 265 | 50 | 93 | 25 | 169 | 40 | 90 | 30 | 204 | 60 |
| Bare land | 56 | 20 | 124 | 40 | 102 | 30 | 197 | 60 | – | – | – | – |
| Red roof building | 96 | 70 | 183 | 140 | – | – | – | – | – | – | – | – |
| Cement roof building | 126 | 80 | 268 | 160 | – | – | – | – | – | – | – | – |
| Asphat building | 198 | 100 | 305 | 240 | – | – | – | – | – | – | – | – |
| Farmland | 65 | 20 | 93 | 50 | – | – | – | – | – | – | – | – |
| Artificial trench | – | – | – | – | 111 | 60 | 261 | 110 | – | – | – | – |
| Swag | – | – | – | – | – | – | – | – | 256 | 142 | 756 | 269 |
| Paddy field | – | – | – | – | – | – | – | – | 304 | 100 | 661 | 200 |
| Dry land | – | – | – | – | – | – | – | – | 165 | 80 | 297 | 160 |
| Land Cover Types | Yellow River Estuary | Poyang Lake-2 | Taihu Lake-6 | |||||||||
|---|---|---|---|---|---|---|---|---|---|---|---|---|
| Training | Testing | Training | Testing | Training | Testing | |||||||
| Pixel | ROI | Pixel | ROI | Pixel | ROI | Pixel | ROI | Pixel | ROI | Pixel | ROI | |
| River | 216 | 50 | 415 | 100 | 169 | 60 | 301 | 120 | 156 | 50 | 281 | 90 |
| Lake | – | – | – | – | 142 | 45 | 269 | 80 | 161 | 50 | 287 | 100 |
| Suaeda salsa | 221 | 80 | 325 | 100 | – | – | – | – | – | – | – | – |
| Argillaceous beach | 196 | 60 | 411 | 120 | – | – | – | – | – | – | – | – |
| River flat | 203 | 75 | 412 | 100 | – | – | – | – | – | – | – | – |
| Paddy field | 156 | 80 | 296 | 160 | – | – | – | – | 168 | 50 | 271 | 100 |
| Reed | 154 | 45 | 295 | 90 | 156 | 60 | 268 | 120 | – | – | – | – |
| Non wetland | 169 | 60 | 226 | 120 | – | – | – | – | — | — | — | — |
| Salt pan | 167 | 80 | 301 | 160 | – | – | – | – | — | — | — | — |
| Other vegetation | 235 | 75 | 421 | 140 | – | – | – | – | 97 | 40 | 146 | 60 |
| Swag | 92 | 40 | 199 | 80 | – | – | – | – | – | – | – | – |
| Paddy field | – | – | – | – | 183 | 60 | 362 | 120 | – | – | – | – |
| Saline–alkali soil | – | – | – | – | 189 | 80 | 268 | 140 | – | – | – | – |
| Floating vegetation | – | – | – | – | 169 | 50 | 258 | 100 | – | – | – | – |
| Yegu grass community | – | – | – | – | 168 | 65 | 333 | 150 | – | – | – | – |
| Road | – | – | – | – | 87 | 40 | 161 | 90 | – | – | – | – |
| Dry land | – | – | – | – | 81 | 40 | 152 | 80 | 88 | 50 | 117 | 80 |
| Sandbank | – | – | – | – | 134 | 60 | 251 | 120 | – | – | – | – |
| Submerged vegetation | – | – | – | – | 75 | 40 | 112 | 80 | – | – | – | – |
| Artificial water body | – | – | – | – | – | – | – | – | 185 | 60 | 288 | 120 |
| Bare land | – | – | – | – | – | – | – | – | 64 | 20 | 113 | 40 |
| Blue roof building, | – | – | – | – | – | – | – | – | 160 | 102 | 199 | 160 |
| Bright roof building | – | – | – | – | – | – | – | – | 175 | 100 | 287 | 200 |
| other building | – | – | – | – | 96 | 60 | 141 | 100 | 163 | 100 | 194 | 140 |
| Datasets | Criteria | Image Fusion Methods | ||||||||
|---|---|---|---|---|---|---|---|---|---|---|
| CNMF | FUSE | GSA | HCM | LANARAS | MAP-SMM | MTF-GLP | SFIM | Two-CNN-Fu | ||
| Taihu Lake-1 | SAM | 3.61 | 20.04 | 10.80 | 5.82 | 5.60 | 3.24 | 3.18 | 3.53 | 22.71 |
| ERGAS | 34.84 | 57.43 | 44.48 | 35.24 | 36.11 | 28.63 | 27.45 | 30.02 | 98.40 | |
| PSNR | 28.76 | 20.47 | 24.87 | 29.17 | 28.17 | 32.20 | 32.93 | 31.37 | 14.74 | |
| HCC | 0.25 | 0.33 | 0.49 | 0.19 | 0.48 | 0.17 | 0.34 | 0.24 | 0.15 | |
| Time | 375 | 51 | 51 | 13 | 824 | 3086 | 370 | 9 | 3150 | |
| Taihu Lake-2 | SAM | 4.44 | 15.75 | 6.73 | 4.13 | 5.01 | 3.33 | 3.21 | 3.43 | 25.78 |
| ERGAS | 34.43 | 52.42 | 37.45 | 29.82 | 34.21 | 28.29 | 26.88 | 28.68 | 94.82 | |
| PSNR | 27.60 | 20.89 | 26.82 | 30.88 | 27.82 | 31.14 | 32.05 | 30.90 | 13.70 | |
| HCC | 0.50 | 0.51 | 0.65 | 0.28 | 0.51 | 0.16 | 0.46 | 0.35 | 0.22 | |
| Time | 199 | 33 | 33 | 7 | 475 | 1818 | 253 | 7 | 1936 | |
| Poyang Lake-1 | SAM | 2.99 | 3.42 | 4.73 | 3.31 | 4.75 | 2.99 | 2.92 | 2.90 | 17.17 |
| ERGAS | 30.61 | 31.41 | 36.04 | 29.79 | 36.85 | 30.15 | 29.98 | 31.37 | 80.36 | |
| PSNR | 27.42 | 27.03 | 24.82 | 29.47 | 24.45 | 27.82 | 28.20 | 27.21 | 9.94 | |
| HCC | 0.68 | 0.32 | 0.51 | 0.36 | 0.64 | 0.19 | 0.40 | 0.28 | 0.18 | |
| Time | 1919 | 159 | 136 | 26 | 2191 | 4919 | 763 | 21 | 5015 | |
| Datasets | Criteria | Image Fusion Methods | ||||||||
|---|---|---|---|---|---|---|---|---|---|---|
| CNMF | FUSE | GSA | HCM | LANARAS | MAP-SMM | MTF-GLP | SFIM | Two-CNN-Fu | ||
| Taihu Lake-3 | SAM | 4.50 | 14.17 | 8.06 | 6.09 | 6.63 | 3.82 | 3.56 | 3.75 | 30.23 |
| ERGAS | 38.70 | 48.12 | 39.13 | 34.47 | 37.93 | 29.32 | 28.56 | 30.13 | 75.11 | |
| PSNR | 23.54 | 21.15 | 24.16 | 27.05 | 24.72 | 29.28 | 29.65 | 28.70 | 12.01 | |
| HCC | 0.60 | 0.53 | 0.59 | 0.33 | 0.49 | 0.29 | 0.51 | 0.40 | 0.21 | |
| Time | 489 | 124 | 112 | 40 | 2908 | 2954 | 358 | 24 | 2988 | |
| Taihu Lake-4 | SAM | 4.61 | 7.95 | 6.87 | 4.48 | 5.84 | 3.85 | 4.02 | 4.22 | 28.11 |
| ERGAS | 37.77 | 40.69 | 37.87 | 30.55 | 35.53 | 30.32 | 30.07 | 31.63 | 76.05 | |
| PSNR | 25.77 | 24.80 | 26.37 | 29.32 | 27.22 | 29.93 | 30.18 | 29.26 | 14.72 | |
| HCC | 0.52 | 0.69 | 0.69 | 0.23 | 0.55 | 0.30 | 0.57 | 0.46 | 0.21 | |
| Time | 625 | 216 | 158 | 35 | 6301 | 4496 | 476 | 26 | 4502 | |
| Taihu Lake-5 | SAM | 3.73 | 6.85 | 6.00 | 4.70 | 5.41 | 3.40 | 3.40 | 3.60 | 26.85 |
| ERGAS | 38.01 | 39.51 | 36.84 | 31.95 | 37.42 | 29.95 | 29.90 | 31.76 | 75.36 | |
| PSNR | 27.27 | 26.31 | 27.90 | 31.13 | 28.32 | 31.59 | 31.74 | 30.71 | 13.64 | |
| HCC | 0.49 | 0.60 | 0.58 | 0.21 | 0.46 | 0.30 | 0.47 | 0.38 | 0.18 | |
| Time | 357 | 83 | 74 | 22 | 3376 | 2127 | 259 | 12 | 2994 | |
| Datasets | Criteria | Image Fusion Methods | ||||||||
|---|---|---|---|---|---|---|---|---|---|---|
| CNMF | FUSE | GSA | HCM | LANARAS | MAP-SMM | MTF-GLP | SFIM | Two-CNN-Fu | ||
| Yellow River Estuary | SAM | 2.09 | 5.55 | 3.30 | 0.99 | 4.51 | 1.43 | 1.31 | 1.39 | 34.65 |
| ERGAS | 33.22 | 30.27 | 28.60 | 16.19 | 48.16 | 20.07 | 19.61 | 20.73 | 79.18 | |
| PSNR | 22.36 | 24.74 | 25.87 | 36.87 | 21.26 | 32.22 | 32.61 | 31.66 | 7.27 | |
| HCC | 0.58 | 0.25 | 0.55 | 0.14 | 0.66 | 0.13 | 0.34 | 0.27 | 0.26 | |
| Time | 1479 | 91 | 154 | 37 | 1836 | 8886 | 638 | 23 | 9543 | |
| Poyang Lake-2 | SAM | 3.23 | 3.15 | 3.95 | 4.34 | 4.67 | 2.45 | 2.27 | 1.52 | 22.85 |
| ERGAS | 31.29 | 29.45 | 34.50 | 32.57 | 35.89 | 26.64 | 26.16 | 24.85 | 80.70 | |
| PSNR | 26.56 | 27.61 | 25.23 | 26.96 | 24.31 | 29.40 | 29.83 | 30.39 | 9.61 | |
| HCC | 0.56 | 0.24 | 0.55 | 0.37 | 0.66 | 0.21 | 0.36 | 0.27 | 0.33 | |
| Time | 2587 | 53 | 96 | 17 | 1545 | 7594 | 476 | 17 | 7975 | |
| Taihu Lake-6 | SAM | 3.26 | 6.31 | 5.85 | 4.58 | 5.34 | 3.32 | 3.42 | 3.53 | 26.65 |
| ERGAS | 37.71 | 36.88 | 35.09 | 30.83 | 35.39 | 28.18 | 27.89 | 29.18 | 75.53 | |
| PSNR | 26.28 | 26.94 | 28.17 | 30.65 | 27.74 | 31.68 | 31.88 | 31.08 | 14.23 | |
| HCC | 0.72 | 0.76 | 0.79 | 0.63 | 0.74 | 0.32 | 0.47 | 0.42 | 0.38 | |
| Time | 478 | 41 | 74 | 15 | 3600 | 4635 | 326 | 13 | 5103 | |
| Fusion Datasets | Criteria | Fusion Methods | ||||||||
|---|---|---|---|---|---|---|---|---|---|---|
| CNMF | FUSE | GSA | HCM | LANARAS | MAP-SMM | MTF-GLP | SFIM | Two-CNN-Fu | ||
| GF-5 and GF-1 | SAM | •• | • | • | •• | •• | ••• | ••• | ••• | • |
| HCC | •• | •• | ••• | • | ••• | • | •• | • | • | |
| KC | • | ••• | ••• | •• | ••• | • | •• | •• | • | |
| Overall | • | •• | ••• | • | ••• | • | ••• | •• | • | |
| GF-5 and GF-2 | SAM | •• | • | • | •• | •• | ••• | ••• | ••• | • |
| HCC | •• | ••• | ••• | • | •• | • | ••• | • | • | |
| KC | •• | ••• | ••• | • | • | •• | ••• | •• | •• | |
| Overall | •• | ••• | ••• | • | • | •• | ••• | •• | • | |
| GF-5 and S2A | SAM | •• | • | •• | •• | • | ••• | ••• | ••• | • |
| HCC | ••• | • | ••• | •• | ••• | • | •• | •• | • | |
| KC | •• | • | ••• | • | • | ••• | •• | ••• | •• | |
| Overall | •• | • | ••• | • | • | •• | •• | ••• | • | |
© 2020 by the authors. Licensee MDPI, Basel, Switzerland. This article is an open access article distributed under the terms and conditions of the Creative Commons Attribution (CC BY) license (http://creativecommons.org/licenses/by/4.0/).
Share and Cite
Ren, K.; Sun, W.; Meng, X.; Yang, G.; Du, Q. Fusing China GF-5 Hyperspectral Data with GF-1, GF-2 and Sentinel-2A Multispectral Data: Which Methods Should Be Used? Remote Sens. 2020, 12, 882. https://doi.org/10.3390/rs12050882
Ren K, Sun W, Meng X, Yang G, Du Q. Fusing China GF-5 Hyperspectral Data with GF-1, GF-2 and Sentinel-2A Multispectral Data: Which Methods Should Be Used? Remote Sensing. 2020; 12(5):882. https://doi.org/10.3390/rs12050882
Chicago/Turabian StyleRen, Kai, Weiwei Sun, Xiangchao Meng, Gang Yang, and Qian Du. 2020. "Fusing China GF-5 Hyperspectral Data with GF-1, GF-2 and Sentinel-2A Multispectral Data: Which Methods Should Be Used?" Remote Sensing 12, no. 5: 882. https://doi.org/10.3390/rs12050882
APA StyleRen, K., Sun, W., Meng, X., Yang, G., & Du, Q. (2020). Fusing China GF-5 Hyperspectral Data with GF-1, GF-2 and Sentinel-2A Multispectral Data: Which Methods Should Be Used? Remote Sensing, 12(5), 882. https://doi.org/10.3390/rs12050882

