Hybrid Grapes for a Sustainable Viticulture in South Italy: Parentage Diagram Analysis and Metal Assessment in a Homemade Wine of Chambourcin Cultivar
Abstract
1. Introduction
2. Materials and Methods
2.1. Cultivar Parentage Study
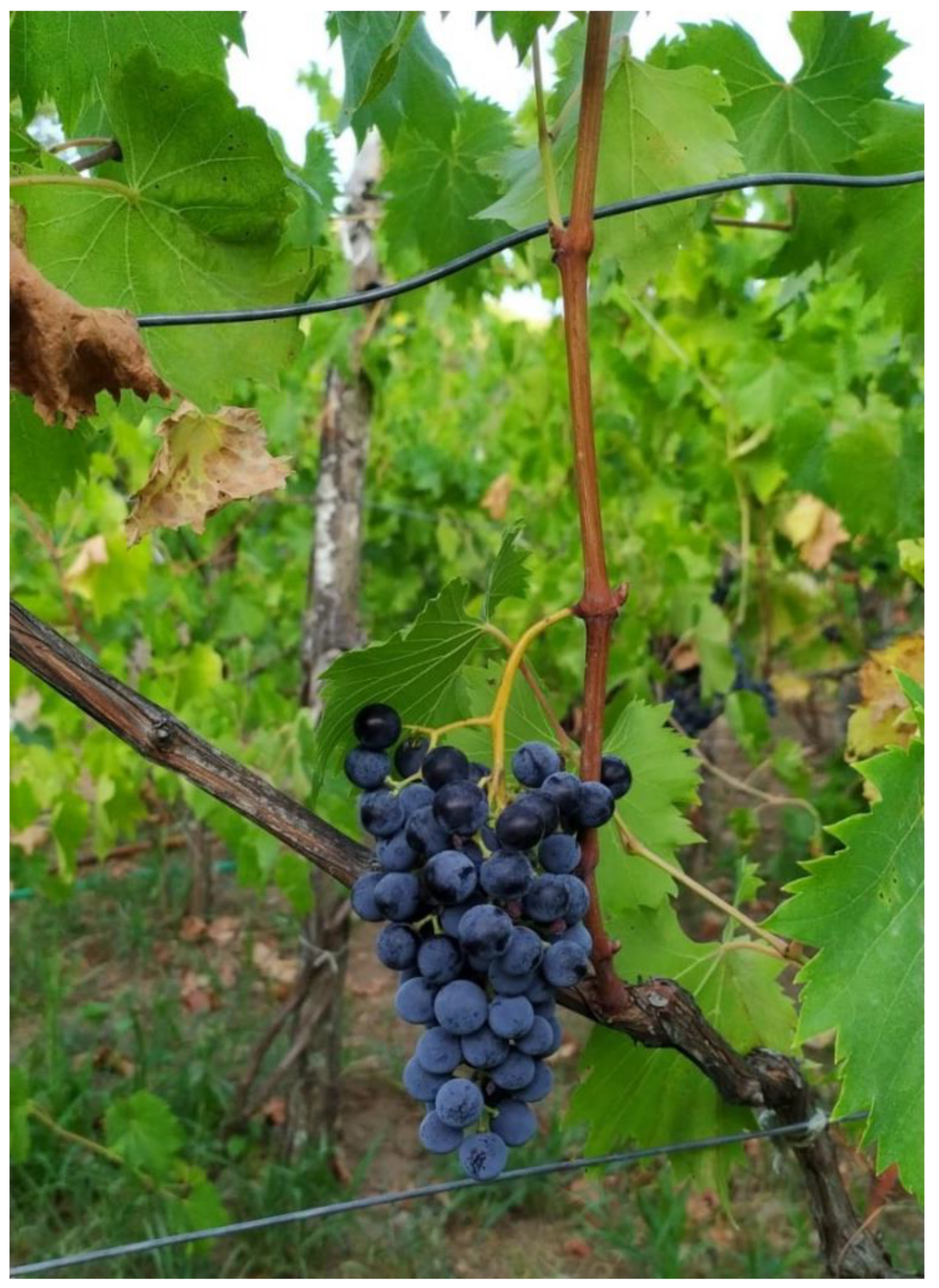
2.2. Grape Material, Wine Processing and Samples
2.3. Chemical Analysis of Wine Samples
3. Results and Discussion
3.1. Pedigree of Chambourcin: From Molecular Markers and Breeders’ Records to a Parentage Diagram Analysis
3.2. Wine Analysis
4. Conclusions
Author Contributions
Funding
Institutional Review Board Statement
Informed Consent Statement
Acknowledgments
Conflicts of Interest
References
- Walters, T.W.; Decker-Walters, D.S.; Posluszny, U. Understanding grape (Vitis, Vitaceae) cultivar phylogenies. Econ. Bot. 1990, 44, 129–131. [Google Scholar]
- De Lorenzis, G.; Mercati, F.; Bergamini, C.; Cardone, M.F.; Lupini, A.; Mauceri, A.; Caputo, A.R.; Abbate, L.; Barbagallo, M.G.; Antonacci, D. SNP genotyping elucidates the genetic diversity of Magna Graecia grapevine germplasm and its historical origin and dissemination. BMC Plant Biol. 2019, 19, 7. [Google Scholar] [CrossRef] [PubMed]
- González-Álvarez, M.; González-Barreiro, C.; Cancho-Grande, B.; Simal-Gándara, J. Impact of phytosanitary treatments with fungicides (cyazofamid, famoxadone, mandipropamid and valifenalate) on aroma compounds of Godello white wines. Food Chem. 2012, 131, 826–836. [Google Scholar] [CrossRef]
- Borca, F.; Nan, R.D.; Nistor, E.; Dobrei, A. Effect of different phytosanitary treatment schemes on the yield and quality of some wine grape varieties. J. Hortic. Sci. Biotechnol. 2019, 23, 8–13. [Google Scholar]
- Vallejo, A.; Millán, L.; Abrego, Z.; Sampedro, M.C.; Sánchez-Ortega, A.; Unceta, N.; Gomez-Caballero, A.; Goicolea, M.A.; Diez-Navajas, A.M.; Barrio, R.J. Fungicide distribution in vitiviniculture ecosystems according to different application strategies to reduce environmental impact. Sci. Total. Environ. 2019, 687, 319–329. [Google Scholar] [CrossRef]
- Fröbel, S.; Zyprian, E. Colonization of Different Grapevine Tissues by Plasmopara viticola—A Histological Study. Front. Plant Sci. 2019, 10, 951. [Google Scholar] [CrossRef]
- Atak, A. Determination of Downy mildew and Powdery Mildew Resistance of Some Grape Cultivars. S. Afr. J. Enol. Vitic. 2017, 38, 11–17. [Google Scholar] [CrossRef][Green Version]
- Dufour, M.-C.; Corio-Costet, M.-F. Variability in the sensitivity of biotrophic grapevine pathogens (Erysiphe necator and Plasmopara viticola) to acibenzolar-S methyl and two phosphonates. Eur. J. Plant Pathol. 2013, 136, 247–259. [Google Scholar] [CrossRef]
- Demaree, J.; Dix, I.; Magoon, C. Observations on the resistance of grape varieties to black rot and downy mildew. Proc. Am. Soc. Hortic. Sci. 1937, 35, 451–460. [Google Scholar]
- Tello, J.; Mammerler, R.; Čajić, M.; Forneck, A. Major Outbreaks in the Nineteenth Century Shaped Grape Phylloxera Contemporary Genetic Structure in Europe. Sci. Rep. 2019, 9, 17540. [Google Scholar] [CrossRef]
- Alexandrov, E. The anatomical features of the stability of the grapes to the phylloxera. Sci. Pap. Manag. Econ. Eng. Agric. Rural. Dev. 2016, 16, 31–36. [Google Scholar]
- Rocha, G.; Lini, R.S.; Barbosa, F.; Batista, B.L.; Souza, V.C.D.O.; Nerilo, S.B.; Bando, É.; Mossini, S.A.G.; Nishiyama, P. Exposure to heavy metals due to pesticide use by vineyard farmers. Int. Arch. Occup. Environ. Health 2014, 88, 875–880. [Google Scholar] [CrossRef] [PubMed]
- Stellwaag-kittler, F. The use of systemic fungicides in viticulture. Three-year results with benomyl for botrytis control. Obstbau Weinbau 1970, 7, 110–112. [Google Scholar]
- Toselli, M.; Schiatti, P.; Ara, D.; Bertacchini, A.; Quartieri, M. The accumulation of copper in soils of the Italian region Emilia-Romagna. Plant Soil Environ. 2009, 55, 74–79. [Google Scholar] [CrossRef]
- Allen, D.W.; Lueck, D. The Organization of Vineyards and Wineries. In The Palgrave Handbook of Wine Industry Economics; Springer: Berlin/Heidelberg, Germany, 2019; pp. 325–337. [Google Scholar]
- Roviello, V.; Caruso, U.; Poggetto, G.D.; Naviglio, D. Assessment of Copper and Heavy Metals in Family-Run Vineyard Soils and Wines of Campania Region, South Italy. Int. J. Environ. Res. Public Health 2021, 18, 8465. [Google Scholar] [CrossRef] [PubMed]
- Peña, N.; Antón, A.; Kamilaris, A.; Fantke, P. Modeling ecotoxicity impacts in vineyard production: Addressing spatial differentiation for copper fungicides. Sci. Total. Environ. 2018, 616-617, 796–804. [Google Scholar] [CrossRef] [PubMed]
- Bereswill, R.; Golla, B.; Streloke, M.; Schulz, R. Entry and toxicity of organic pesticides and copper in vineyard streams: Erosion rills jeopardise the efficiency of riparian buffer strips. Agric. Ecosyst. Environ. 2012, 146, 81–92. [Google Scholar] [CrossRef]
- Vogelweith, F.; Thiéry, D. An assessment of the non-target effects of copper on the leaf arthropod community in a vineyard. Biol. Control. 2018, 127, 94–100. [Google Scholar] [CrossRef]
- Zanghelini, J.A.; Bogo, A.; Vesco, L.L.D.; Gomes, B.R.; Mecabô, C.V.; Herpich, C.H.; Welter, L.J. Response of PIWI grapevine cultivars to downy mildew in highland region of southern Brazil. Eur. J. Plant Pathol. 2019, 154, 1051–1058. [Google Scholar] [CrossRef]
- De Souza, A.; Brighenti, A.; Brighenti, E.; Caliari, V.; Stefanini, M.; Trapp, O.; Gardin, J.; DalBó, M.; Welter, L.; Camargo, S. Performance of resistant varieties (PIWI) at two different altitudes in Southern Brazil. In BIO Web of Conferences; EDP Sciences: Les Ulis, France, 2019; Volume 12, p. 01021. [Google Scholar]
- Thiollet-Scholtus, M.; Muller, A.; Abidon, C.; Grignion, J.; Keichinger, O.; Koller, R.; Langenfeld, A.; Ley, L.; Nassr, N.; Rabolin-Meinrad, C.; et al. Multidimensional assessment demonstrates sustainability of new low-input viticulture systems in north-eastern France. Eur. J. Agron. 2021, 123, 126210. [Google Scholar] [CrossRef]
- Villano, C.; Aversano, R. Towards grapevine (Vitis vinifera L.) mildews resistance: Molecular defence mechanisms and New Breeding Technologies. Italus Hortus 2020, 27, 1–17. [Google Scholar] [CrossRef]
- Casscles, J.S. ES Rogers and the Origins of American Grape Breeding. Arnoldia 2019, 77, 30–39. [Google Scholar]
- Reisch, B.I.; Owens, C.L.; Cousins, P.S. Grape. In Fruit Breeding; Springer: Berlin/Heidelberg, Germany, 2012; pp. 225–262. [Google Scholar]
- Miller, D.; Howell, G.; Flore, J. Influence of shoot number and crop load on potted Chambourcin grapevines. I. Morphology and dry matter partitioning. Am. J. Enol. Vitic. 1996, 47, 380–388. [Google Scholar]
- Chalfant, P.; Dami, I. Early Defoliation Impact on Fruitset, Yield, Fruit Quality, and Cold Hardiness in ‘Chambourcin’ Grapevines. Sci. Hortic. 2021, 290, 110505. [Google Scholar] [CrossRef]
- Coia, L.R.; Ward, D.L. The hybrid grape chambourcin has a role in quality red V. vinifera blends in a New World grape growing region. J. Wine Res. 2017, 28, 326–331. [Google Scholar] [CrossRef]
- Robinson, J.; Harding, J.; Vouillamoz, J. Wine Grapes: A Complete Guide to 1368 Vine Varieties, Including Their Origins and Flavours; Penguin: London, UK, 2013. [Google Scholar]
- Tummala, K.S. Marker-Assisted Selection to Determine the Introgression of Rpv-3 Mediated Downy Mildew Resistance in ’Chambourcin’ X ’Caberenet Sauvignon’ Grapevine Population. Master’s Thesis, Missouri State University, Bozeman, Montana, 2021. [Google Scholar]
- Di Gaspero, G.; Copetti, D.; Coleman, C.; Castellarin, S.D.; Eibach, R.; Kozma, P.; Lacombe, T.; Gambetta, G.; Zvyagin, A.; Cindrić, P.; et al. Selective sweep at the Rpv3 locus during grapevine breeding for downy mildew resistance. Theor. Appl. Genet. 2012, 124, 277–286. [Google Scholar] [CrossRef]
- Clark, M.D. Development of cold climate grapes in the upper midwestern US: The pioneering work of elmer Swenson. Plant Breed. Rev. 2019, 43, 31–60. [Google Scholar]
- Amerine, M.A. Wine Production Technology in the United States. In Proceedings of the Second Chemical Congress of the North American Continent, 180 TH ACS National Meeting, Las Vegas, NV, USA, 26 August 1980. [Google Scholar]
- Marais, A.; Blackhurst, D. Do heavy metals counter the potential health benefits of wine? J. Endocrinol. Metab. Diabetes S. Afr. 2009, 14, 77–79. [Google Scholar] [CrossRef]
- Agency-US-EPA. US EPA Method 6010: Inductively coupled plasma-atomic emission spectrometry. In Test Methods for Evaluating Solid Waste, Physical/Chemical Methods (SW846); USEPA: Washington, DC, USA, 2007. [Google Scholar]
- Migicovsky, Z.; Sawler, J.; Money, D.; Eibach, R.; Miller, A.J.; Luby, J.J.; Jamieson, A.R.; Velasco, D.; Von Kintzel, S.; Warner, J.; et al. Genomic ancestry estimation quantifies use of wild species in grape breeding. BMC Genom. 2016, 17, 478. [Google Scholar] [CrossRef]
- Alleweldt, G.; Possingham, J.V. Progress in grapevine breeding. Theor. Appl. Genet. 1988, 75, 669–673. [Google Scholar] [CrossRef]
- Kaps, M. Productivity of ’Chambourcin’ grape, own-rooted and grafted to seven different rootstocks. J. Am. Pomol. Soc. 2017, 71, 130–136. [Google Scholar]
- Migicovsky, Z.; Harris, Z.N.; Klein, L.L.; Li, M.; McDermaid, A.; Chitwood, D.H.; Fennell, A.; Kovacs, L.G.; Kwasniewski, M.; Londo, J.P. Rootstock effects on scion phenotypes in a ‘Chambourcin’ experimental vineyard. Hortic. Res. 2019, 6, 64. [Google Scholar] [CrossRef] [PubMed]
- Thomas, A.L.; Harris, J.L.; Bergmeier, E.A.; Striegler, R.K. Performance of ‘Chambourcin’ Winegrape on Nematode-resistant Rootstocks in Missouri. Horttechnology 2020, 30, 597–602. [Google Scholar] [CrossRef]
- Folwell, R.J.; Cifarelli, V.; Hinman, H. Economic Consequences of Phylloxera in Cold Climate Wine Grape Production Areas of Eastern Washington. Small Fruits Rev. 2001, 1, 3–15. [Google Scholar] [CrossRef]
- Batur, F.; Dolan, K. Forbidden Fruits: The Fabulous Destiny of ‘Noah’,‘Othello’, Isabelle, Jacquez, Clinton and Herbemont; Arche Noah: Brussels, Belgium; Vienna, Austria, 2016. [Google Scholar]
- Thatcher, B.B. Indian Traits: Being Sketches of the Manners, Customs, and Character of the North American Natives; J.&J. Harper: Manhattan, NY, USA, 1833. [Google Scholar]
- Al Nasir, F.M.; Jiries, A.G.; Batarseh, M.I.; Beese, F. Pesticides and Trace Metals Residue in Grape and Home made Wine in Jordan. Environ. Monit. Assess. 2001, 66, 253–263. [Google Scholar] [CrossRef]
- Vrček, I.V.; Bojić, M.; Žuntar, I.; Mendaš, G.; Medić-Šarić, M. Phenol content, antioxidant activity and metal composition of Croatian wines deriving from organically and conventionally grown grapes. Food Chem. 2011, 124, 354–361. [Google Scholar] [CrossRef]


| Grape Variety | % V. vinifera | % V. berlandieri | % V. rupestris | % V. lincecumii | % V. aestivalis | % V. cinerea | % V. labrusca |
|---|---|---|---|---|---|---|---|
| (Chambourcin) J.S. 26-205 | 41.40625 | 28.125 | 18.75 | 6.25 | 1.953125 | 1.953125 | 1.5625 |
| J.S. 11-369 | 57.8125 | 6.25 | 25 | 6.25 | 0.78125 | 0.78125 | 3.125 |
| (Plantet) Seibel 5455 | 25 | 50 | 12.5 | 6.25 | 3.125 | 3.125 | 0 |
| Resistance/Tolerance to | V. vinifera | V. berlandieri | V. rupestris | V. lincecumii | V. aestivalis | V. cinerea | V. labrusca |
|---|---|---|---|---|---|---|---|
| abiotic stress: chlorosis | x | x | |||||
| phytopaties: Plasmopara viticola (downy mildew) | x | x | x | x | x | x | |
| phytopaties: Erysiphe necator (powdery mildew) | x | x | x | x | |||
| Insects: Phylloxera vastatrix | x | x | x |
| Metal | Red Wine (μg/L) | Rosè Wine (μg/L) | Chambourcin (μg/L) |
|---|---|---|---|
| Al | 55.7 ± 0.8 | 104 ± 3 | 58.1 ± 0.6 |
| As | 12.1 ± 0.5 | 8.4 ± 0.3 | 11.8 ± 0.7 |
| Be | <5 | <5 | <5 |
| Cd | <5 | <5 | <5 |
| Cr tot | 15.3 ± 0.3 | <5 | 5.5 ± 0.4 |
| Cu | 5.76 ± 0.04 | 17.8 ± 0.2 | 6.96 ± 0.29 |
| Fe | 705 ± 10 | 258 ± 7 | 1097 ± 36 |
| Hg | <5 | <5 | <5 |
| Mn | 70.4 ± 0.6 | 50.7 ± 0.4 | 203 ± 13 |
| Ni | 37.7 ± 1.4 | <5 | 25.9 ± 0.7 |
| Pb | <5 | <5 | 6.8 ± 0.1 |
| Se | 20.5 ± 0.3 | 16.9 ± 0.5 | 15.8 ± 0.3 |
| Tl | <5 | <5 | <5 |
| V | <5 | <5 | <5 |
| Zn | 21.6 ± 0.2 | 37.4 ± 0.5 | 194 ± 12 |
| Cr VI | <5 | <5 | <5 |
| Sb | <5 | <5 | <5 |
Publisher’s Note: MDPI stays neutral with regard to jurisdictional claims in published maps and institutional affiliations. |
© 2021 by the authors. Licensee MDPI, Basel, Switzerland. This article is an open access article distributed under the terms and conditions of the Creative Commons Attribution (CC BY) license (https://creativecommons.org/licenses/by/4.0/).
Share and Cite
Roviello, V.; Caruso, U.; Dal Poggetto, G.; Naviglio, D. Hybrid Grapes for a Sustainable Viticulture in South Italy: Parentage Diagram Analysis and Metal Assessment in a Homemade Wine of Chambourcin Cultivar. Sustainability 2021, 13, 12472. https://doi.org/10.3390/su132212472
Roviello V, Caruso U, Dal Poggetto G, Naviglio D. Hybrid Grapes for a Sustainable Viticulture in South Italy: Parentage Diagram Analysis and Metal Assessment in a Homemade Wine of Chambourcin Cultivar. Sustainability. 2021; 13(22):12472. https://doi.org/10.3390/su132212472
Chicago/Turabian StyleRoviello, Valentina, Ugo Caruso, Giovanni Dal Poggetto, and Daniele Naviglio. 2021. "Hybrid Grapes for a Sustainable Viticulture in South Italy: Parentage Diagram Analysis and Metal Assessment in a Homemade Wine of Chambourcin Cultivar" Sustainability 13, no. 22: 12472. https://doi.org/10.3390/su132212472
APA StyleRoviello, V., Caruso, U., Dal Poggetto, G., & Naviglio, D. (2021). Hybrid Grapes for a Sustainable Viticulture in South Italy: Parentage Diagram Analysis and Metal Assessment in a Homemade Wine of Chambourcin Cultivar. Sustainability, 13(22), 12472. https://doi.org/10.3390/su132212472

