Oxidation Behavior of Aluminide Coatings on Cobalt-Based Superalloys by a Vapor Phase Aluminizing Process
Abstract
1. Introduction
2. Experiment
3. Result
3.1. The Microstructure of the Substrate and Coating Before Oxidation
3.2. Oxidation Kinetic Curves
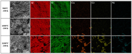
3.3. Oxidation Products at Different Temperatures
3.4. The Microstructure of the Coatings After Oxidation
4. Discussion
4.1. Mechanism of the Coating Formation
4.2. Oxidation Behavior of the Coating
5. Conclusions
- The mechanism of the aluminide coating formation on the cobalt-based superalloy in this study is dominated by the inward diffusion of Al.
- The coating after oxidation generates an oxide layer containing mainly Al2O3. As the oxidation temperature increases and the oxidation time prolongs, the oxide layer flakes and cracks. The oxidation of the coating at 900 °C produces metastable needle-like θ-Al2O3 and at 1000 and 1100 °C produces stable lumpy α-Al2O3.
- The reason that the weight gain of the coating oxidation at 1100 °C for 5 h is less than that at 1000 °C may be due to the rapid generation of a dense oxide layer of the coating at 1100 °C, which slows down the diffusion of Al and O ions and reduces the oxidation rate.
- In high-temperature oxidation, Al in the coating is consumed in large quantities. Hence, the β phase in the coating gradually converts into the α phase, leading to the dissolution of the diffusion layer.
Author Contributions
Funding
Institutional Review Board Statement
Informed Consent Statement
Data Availability Statement
Conflicts of Interest
References
- Chen, G.; Liu, F.; Chen, F.; Tan, Y.; Cai, Y.; Shi, W.; Ji, X.; Xiang, S. Ultrahigh strength-ductility synergy via heterogeneous grain structure and multi-scale L12-γ′ precipitates in a cobalt-based superalloy GH159. Mater. Sci. Eng. A 2024, 904, 146687. [Google Scholar] [CrossRef]
- Neumeier, S.; Freund, L.P.; Göken, M. Novel wrought γ/γ′ cobalt base superalloys with high strength and improved oxidation resistance. Scr. Mater. 2015, 109, 104–107. [Google Scholar] [CrossRef]
- Akande, I.G.; Oluwole, O.O.; Fayomi, O.S.I.; Odunlami, O.A. Overview of mechanical, microstructural, oxidation properties and high-temperature applications of superalloys. Mater. Today Proc. 2021, 43, 2222–2231. [Google Scholar] [CrossRef]
- Ye, X.; Yang, B.; Liu, J.; Lai, R.; Li, Y. Influence of minor tensile stress on the oxidation behavior of powder metallurgy superalloy. Corros. Sci. 2022, 206, 110492. [Google Scholar] [CrossRef]
- Wu, F.; Murakami, H.; Harada, H. Cyclic Oxidation Behavior of Iridium-Modified Aluminide Coatings for Nickel-Base Single Crystal Superalloy TMS-75. Mater. Trans. 2003, 44, 1675–1678. [Google Scholar] [CrossRef]
- Zhou, Y.; Wang, L.; Wang, G.; Jin, D.; Hao, W.; Zhao, X.; Zhang, J.; Xiao, P. Influence of substrate composition on the oxidation performance of nickel aluminide coating prepared by pack cementation. Corros. Sci. 2016, 110, 284–295. [Google Scholar] [CrossRef]
- Mollard, M.; Rannou, B.; Bouchaud, B.; Balmain, J.; Bonnet, G.; Pedraza, F. Comparative degradation of nickel aluminized by slurry and by pack cementation under isothermal conditions. Corros. Sci. 2013, 66, 118–124. [Google Scholar] [CrossRef]
- Fu, T.; Zhan, S.; Zhang, Y.; Chen, L.; Zhu, J. Fabrication and growth mechanism of Al-Si coatings deposited on Mo substrate by hot dip plating technology. Mater. Today Commun. 2024, 40, 110024. [Google Scholar] [CrossRef]
- Wang, Y.; Sayre, G. Factors affecting the microstructure of platinum-modified aluminide coatings during a vapor phase aluminizing process. Surf. Coat. Technol. 2009, 203, 1264–1272. [Google Scholar] [CrossRef]
- Matsuoka, Y.; Matsunaga, Y.; Nakagawa, K.; Tuda, Y.; Taniguchi, S. Growth behavior of coatings formed by vapor phase aluminizing using Fe-Al pellets of varying composition. Mater. Trans. 2006, 47, 2341–2347. [Google Scholar] [CrossRef]
- Taghipour, M.; Eslami, A.; Bahrami, A. High temperature oxidation behavior of aluminide coatings applied on HP-MA heat resistant steel using a gas-phase aluminizing process. Surf. Coat. Technol. 2022, 434, 128181. [Google Scholar] [CrossRef]
- Das, N.N.; Charles, P.A.; Heidorn, R.W. Process for Simultaneously Aluminizing Nickel-Base and Cobalt-Base Superalloys. U.S. Patent No. 6,146,696, 14 November 2000. [Google Scholar]
- Kourtidou, D.; Chaliampalias, D.; Vogiatzis, C.; Tarani, E.; Kamou, A.; Pavlidou, E.; Skolianos, S.; Chrissafis, K.; Vourlias, G. Deposition of Ni-Al coatings by pack cementation and corrosion resistance in high temperature and marine environments. Corros. Sci. 2019, 148, 12–23. [Google Scholar] [CrossRef]
- Mahini, S.; Khameneh Asl, S.; Rabizadeh, T.; Aghajani, H. Effects of the pack Al content on the microstructure and hot corrosion behavior of aluminide coatings applied on Inconel-600. Surf. Coat. Technol. 2020, 397, 125949. [Google Scholar] [CrossRef]
- Liu, Z.; Zhao, X.; Zhou, C. Improved hot corrosion resistance of Y–Ce–Co-modified aluminide coating on nickel base superalloys by pack cementation process. Corros. Sci. 2015, 92, 148–154. [Google Scholar] [CrossRef]
- Jawhar, M.N.A.; Aziz, I.A.-K. Development of Ni-based superalloy by pack cementation process. Int. J. Res. Sci. Manag. 2018, 5, 38–49. [Google Scholar]
- Pang, Q.; Wu, G.; Sun, D.; Xiu, Z.; Jiang, L. A dual-layer Ce–Cr/Al oxidation resistant coating for 3D open-cell nickel based foams by a two-step pack cementation. Mater. Sci. Eng. A 2013, 568, 228–238. [Google Scholar] [CrossRef]
- Lee, J.-W.; Kuo, Y.-C. Cyclic oxidation behavior of a cobalt aluminide coating on Co-base superalloy AMS 5608. Surf. Coat. Technol. 2005, 200, 1225–1230. [Google Scholar] [CrossRef]
- Wang, Y.Q.; Sayre, G. Synthesis of simple and platinum-modified aluminide coatings on cobalt (Co)-base superalloys via a vapor phase aluminizing process. Surf. Coat. Technol. 2008, 203, 256–263. [Google Scholar] [CrossRef]
- Liu, P.S.; Liang, K.M.; Gu, S.R. High-temperature oxidation behavior of aluminide coatings on a new cobalt-base superalloy in air. Corros. Sci. 2001, 43, 1217–1226. [Google Scholar] [CrossRef]
- Liu, P.S.; Liang, K.M.; Zhou, H.Y.; Gu, S.R.; Sun, X.F.; Guan, H.R.; Jin, T.; Yang, K.N. Cyclic oxidation behavior of aluminide coatings on the Co-base superalloy DZ40M. Surf. Coat. Technol. 2001, 145, 75–79. [Google Scholar] [CrossRef]
- Feng, K.; Li, M.; Chen, M.; Li, Z.; Sha, J.; Zhou, C. Cyclic oxidation behavior of Al-Si coating on new γ′-strengthened cobalt-based superalloy: Experimental study and first-principles calculation. Corros. Sci. 2021, 185, 109422. [Google Scholar] [CrossRef]
- Feng, K.; Chen, Z.; Li, M.; Chen, M.; Zhou, C. The role of Dy doping on cyclic oxidation behavior of Al-Si coating on new cobalt-based γ/γ′ superalloy. Corros. Sci. 2022, 197, 110077. [Google Scholar] [CrossRef]
- Wei, Z.w.; Zhao, W.-x.; Zhou, J.-y.; Liu, C.-k.; Zheng, Z.; Qu, S.-y.; Tao, C.-h. Microstructure Evolution of K6509 Cobalt-base Superalloy for Over-temperature. Procedia Eng. 2015, 99, 1302–1310. [Google Scholar]
- Mrowec, S.; Stokłosa, A. Calculations of parabolic rate constants for metal oxidation. Oxid. Met. 1974, 8, 379–391. [Google Scholar] [CrossRef]
- Li, P.; Jin, X.; Zhao, J.; Lu, P.; Hu, N.; Liu, D.; Dong, J.; Fan, X. Oxidation behaviors and compressive strength evolution of DD6 Ni-based single-crystal superalloy at 1100 °C. Corros. Sci. 2022, 208, 110684. [Google Scholar] [CrossRef]
- Ullah, A.; Khan, A.; Bao, Z.; Yang, Y.; Xu, M.; Zhu, S.; Wang, F. Temperature effect on early oxidation behavior of NiCoCrAlY coatings: Microstructure and phase transformation. Acta Metall. Sin. (Engl. Lett.) 2022, 35, 975–984. [Google Scholar] [CrossRef]
- Stanislowski, M.; Wessel, E.; Hilpert, K.; Markus, T.; Singheiser, L. Chromium vaporization from high-temperature alloys: I. Chromia-forming steels and the influence of outer oxide layers. J. Electrochem. Soc. 2007, 154, A295. [Google Scholar] [CrossRef]
- Stanislowski, M.; Wessel, E.; Markus, T.; Singheiser, L.; Quadakkers, W. Chromium vaporization from alumina-forming and aluminized alloys. Solid State Ion. 2008, 179, 2406–2415. [Google Scholar] [CrossRef]
- Yu, B.; Li, Y.; Nie, Y.; Mei, H. High temperature oxidation behavior of a novel cobalt-nickel-base superalloy. J. Alloys Compd. 2018, 765, 1148–1157. [Google Scholar] [CrossRef]
- Fan, Q.X.; Peng, X.; Yu, H.J.; Jiang, S.M.; Gong, J.; Sun, C. The isothermal and cyclic oxidation behaviour of two Co modified aluminide coatings at high temperature. Corros. Sci. 2014, 84, 42–53. [Google Scholar] [CrossRef]
- Shan, G.; Jianpeng, Z. Oxidation Resistance Behavior of NiAI Coating on NiCrW-based Superalloy by Pack Cementation. Rare Met. Mater. Eng. 2022, 51, 814–820. [Google Scholar]
- Goward, G.; Boone, D. Mechanisms of formation of diffusion aluminide coatings on nickel-base superalloys. Oxid. Met. 1971, 3, 475–495. [Google Scholar] [CrossRef]
- Fan, Q.X.; Jiang, S.M.; Wu, D.L.; Gong, J.; Sun, C. Preparation and hot corrosion behaviour of two Co modified NiAl coatings on a Ni-based superalloy. Corros. Sci. 2013, 76, 373–381. [Google Scholar] [CrossRef]
- Mevrel, R.; Duret, C.; Pichoir, R. Pack cementation processes. Mater. Sci. Technol. 1986, 2, 201–206. [Google Scholar] [CrossRef]
- Warnes, B.M.; DuShane, N.S.; Cockerill, J.E. Cyclic oxidation of diffusion aluminide coatings on cobalt base super alloys. Surf. Coat. Technol. 2001, 148, 163–170. [Google Scholar] [CrossRef]
- Das, D.; Joshi, S.; Singh, V. Evolution of aluminide coating microstructure on nickel-base cast superalloy CM-247 in a single-step high-activity aluminizing process. Metall. Mater. Trans. A 1998, 29, 2173–2188. [Google Scholar] [CrossRef]
- Nakamura, R.; Iijima, Y. Self-diffusion of cobalt in B2 type intermetallic compound CoAl. Intermetallics 2005, 13, 163–167. [Google Scholar] [CrossRef]
- Gao, X.; Martin, S.; Wen, X.; Tian, Y.; Zhang, B.; Wang, Y.; Chen, Y.; Qiao, S.; Wang, F.; Liu, S.; et al. Thermodynamics and kinetics of interdiffusion in Ni//NiAl diffusion couples. J. Alloys Compd. 2024, 971, 172751. [Google Scholar] [CrossRef]
- Panjan, P.; Drnovšek, A.; Gselman, P.; Čekada, M.; Panjan, M. Review of growth defects in thin films prepared by PVD techniques. Coatings 2020, 10, 447. [Google Scholar] [CrossRef]
- Šulhánek, P.; Drienovský, M.; Černičková, I.; Ďuriška, L.; Skaudžius, R.; Gerhátová, Ž.; Palcut, M. Oxidation of Al-Co alloys at high temperatures. Materials 2020, 13, 3152. [Google Scholar] [CrossRef]
- Irving, G.; Stringer, J.; Whittle, D. The high-temperature oxidation resistance of Co-Al alloys. Oxid. Met. 1975, 9, 427–440. [Google Scholar] [CrossRef]
- Zou, D.; Zhou, Y.; Zhang, X.; Zhang, W.; Han, Y. High temperature oxidation behavior of a high Al-containing ferritic heat-resistant stainless steel. Mater. Charact. 2018, 136, 435–443. [Google Scholar] [CrossRef]
- Pint, B.A.; Martin, J.R.; Hobbs, L.W. The oxidation mechanism of θ-Al2O3 scales. Solid State Ion. 1995, 78, 99–107. [Google Scholar] [CrossRef]
- Prescott, R.; Graham, M. The formation of aluminum oxide scales on high-temperature alloys. Oxid. Met. 1992, 38, 233–254. [Google Scholar] [CrossRef]
- Ye, X.; Yang, B.; Lai, R.; Liu, J.; Yu, S.; Li, Y. Effect of Nb addition on the internal oxidation of novel Ni-base superalloy. Corros. Sci. 2022, 198, 110100. [Google Scholar] [CrossRef]
- Zhou, Y.B.; Zhang, H.J. Preparation and oxidation of an Al2O3-modified aluminide coating. Vacuum 2012, 86, 1353–1357. [Google Scholar] [CrossRef]
- Li, Y.; Li, C.-J.; Zhang, Q.; Xing, L.-K.; Yang, G.-J. Effect of chemical compositions and surface morphologies of MCrAlY coating on its isothermal oxidation behavior. J. Therm. Spray Technol. 2011, 20, 121–131. [Google Scholar] [CrossRef]
- Wehner, B.; Köster, U. Microstructural evolution of alumina layers on an Al–Cu–Fe quasicrystal during high-temperature oxidation. Oxid. Met. 2000, 54, 445–456. [Google Scholar] [CrossRef]
- Stott, F.; Wood, G.; Hobby, M. A comparison of the oxidation behavior of Fe-Cr-Al, Ni-Cr-Al, and Co-Cr-Al alloys. Oxid. Met. 1971, 3, 103–113. [Google Scholar] [CrossRef]
- Liu, W.; Du, T.; Ru, Q.; Zuo, S.; Yang, X.; Yao, C.; Kong, Y. Facile synthesis and characterization of 2D kaolin/CoAl2O4: A novel inorganic pigment with high near-infrared reflectance for thermal insulation. Appl. Clay Sci. 2018, 153, 239–245. [Google Scholar] [CrossRef]
- Noori, M.; Hallstedt, B. Thermodynamic modelling of the Al–Co–Mn system. Calphad 2020, 71, 101793. [Google Scholar] [CrossRef]
- Jia, C.; Ishida, K.; Nishizawa, T. Partition of alloying elements between γ (A1), γ′(L1 2), and β (B2) phases in Ni-Al base systems. Metall. Mater. Trans. A 1994, 25, 473–485. [Google Scholar] [CrossRef]



















| Elements | Cr | Ni | W | Ta | C | Ti | Zr | Si | Co |
|---|---|---|---|---|---|---|---|---|---|
| compositions | 24.7 | 9.9 | 6.5 | 3.5 | 0.7 | 0.2 | 0.4 | 0.2 | 53.9 |
Disclaimer/Publisher’s Note: The statements, opinions and data contained in all publications are solely those of the individual author(s) and contributor(s) and not of MDPI and/or the editor(s). MDPI and/or the editor(s) disclaim responsibility for any injury to people or property resulting from any ideas, methods, instructions or products referred to in the content. |
© 2024 by the authors. Licensee MDPI, Basel, Switzerland. This article is an open access article distributed under the terms and conditions of the Creative Commons Attribution (CC BY) license (https://creativecommons.org/licenses/by/4.0/).
Share and Cite
Ma, K.; Xie, C.; Li, Y.; Yang, B.; Jin, Y.; Wang, H.; Zeng, Z.; Li, Y.; Ye, X. Oxidation Behavior of Aluminide Coatings on Cobalt-Based Superalloys by a Vapor Phase Aluminizing Process. Materials 2024, 17, 5897. https://doi.org/10.3390/ma17235897
Ma K, Xie C, Li Y, Yang B, Jin Y, Wang H, Zeng Z, Li Y, Ye X. Oxidation Behavior of Aluminide Coatings on Cobalt-Based Superalloys by a Vapor Phase Aluminizing Process. Materials. 2024; 17(23):5897. https://doi.org/10.3390/ma17235897
Chicago/Turabian StyleMa, Kuo, Cheng Xie, Yidi Li, Biaobiao Yang, Yuanyuan Jin, Hui Wang, Ziming Zeng, Yunping Li, and Xianjue Ye. 2024. "Oxidation Behavior of Aluminide Coatings on Cobalt-Based Superalloys by a Vapor Phase Aluminizing Process" Materials 17, no. 23: 5897. https://doi.org/10.3390/ma17235897
APA StyleMa, K., Xie, C., Li, Y., Yang, B., Jin, Y., Wang, H., Zeng, Z., Li, Y., & Ye, X. (2024). Oxidation Behavior of Aluminide Coatings on Cobalt-Based Superalloys by a Vapor Phase Aluminizing Process. Materials, 17(23), 5897. https://doi.org/10.3390/ma17235897

