Effect of Mg/Si Ratio on the Bendability and Anisotropic Bend Behavior of Extruded 6000-Series Al Alloy
Abstract
1. Introduction
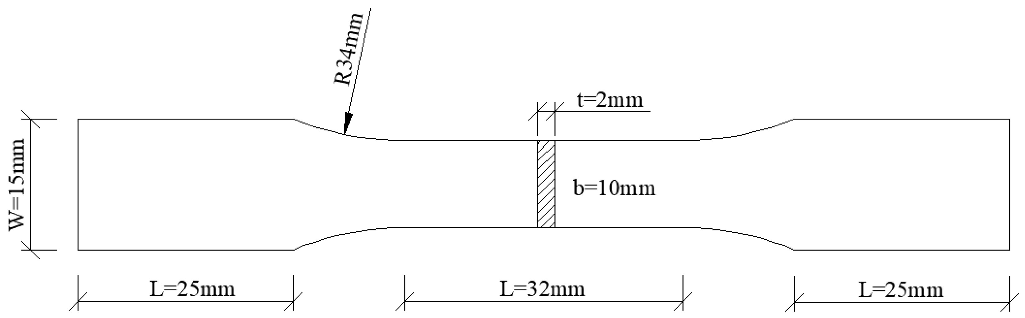
2. Materials and Methods
2.1. Material and Processing
2.2. Mechanical Behavior Characterization
2.3. Microstructure Characterization
3. Results
3.1. Initial Microstructure and Tensile Behavior
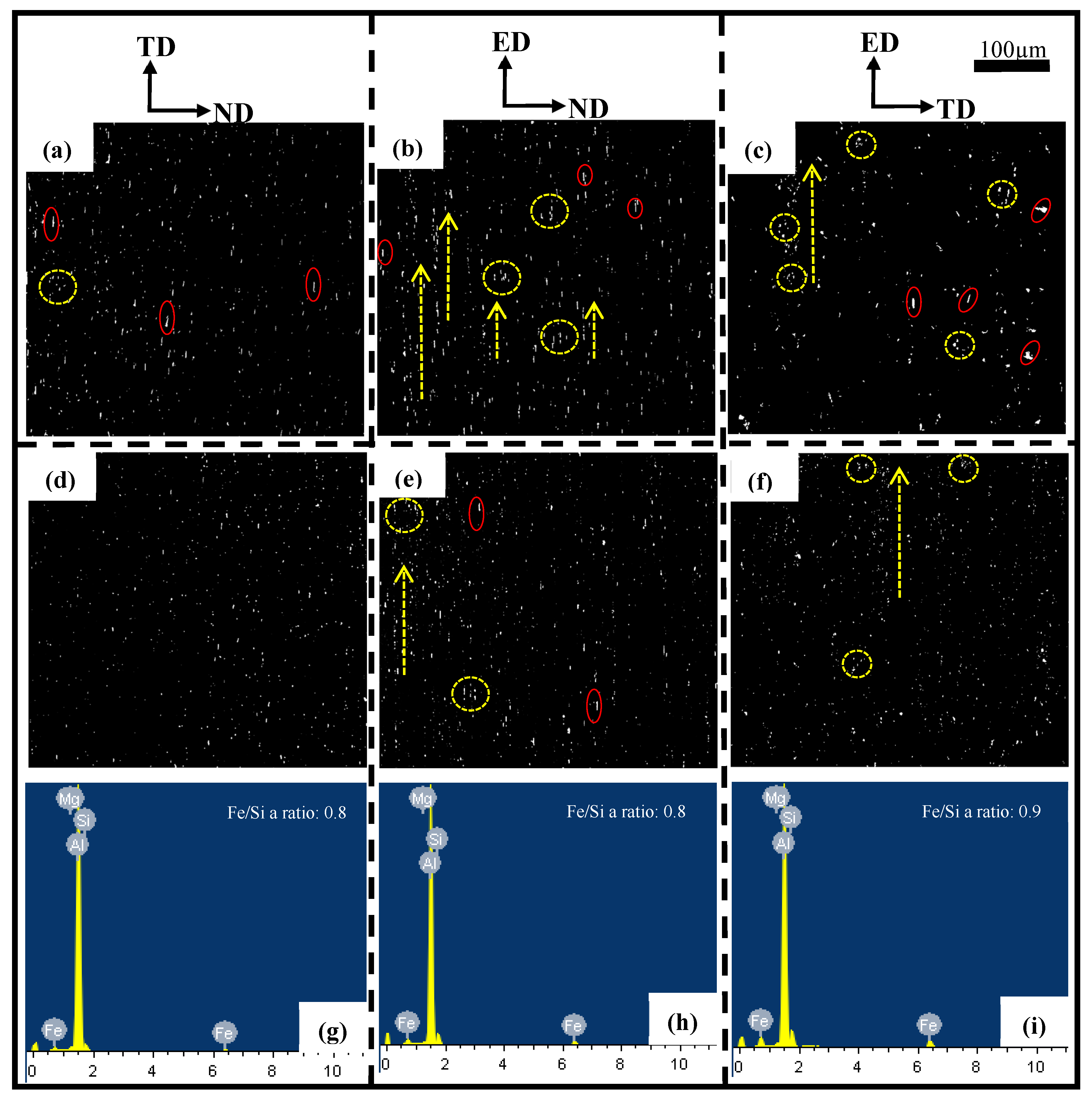
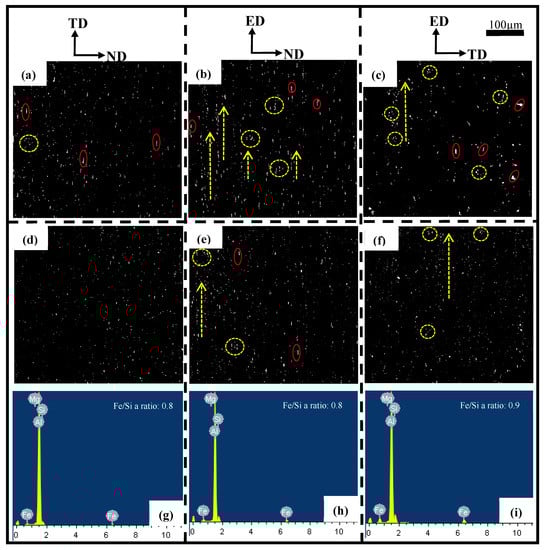
3.2. Intermetallic Particles Evolution
3.3. Bendability
3.4. Bending and Fracture Behavior in the ED
3.5. Bending and Fracture Behavior in the TD
4. Discussion
4.1. Bend Behavior in the ED
4.1.1. Strain Localization, Surface Undulation and Shear Banding
4.1.2. Effect of Particles on the Crack Initiation and Propagation
4.2. Fracture Behavior in the TD
4.2.1. Coarse Slip Distribution, Strain Localization and Decohesion along Grain Boundaries
4.2.2. Influence of Particles Distribution on Fracture
4.3. The Overall Sequence of Microstructural Events to Damage Behavior
5. Conclusions
- AA6005 and AA6061C alloys both have a typical recrystallization texture, which is characterized by the cube and Goss texture component. However, excessive Mg is beneficial for obtaining more cubic components, low-angle grain boundaries and randomly arranged particles in AA6061C. In contrast, excessive Si leads to more Goss components, large-angle grain boundaries and dense particle clusters in AA6005.
- The grain with a Goss or {111}(uvw) orientation, as a “hard grain”, is difficult to deform. In contrast, the grain with a cubic or near cubic orientation, as a “soft grain”, is easy to deform to accommodate a large strain. The soft and hard grains clustering stimulated strong strain heterogeneity, and promoted surface ridging and decohesion along the grain boundary.
- β-AlFeSi in as-cast alloys is broken after hot extrusion to develop the intra-clusters within dozens of micrometers and inter-clusters within hundreds of micrometers along the extrusion direction, which lead to anisotropic bend behavior. AA6005 has more dense particle clusters and shows stronger bend anisotropy and worse bendability in contrast to AA6061C.
- When bending in the ED, the development of the surface topography in AA6061C is preceded by orange peel, surface undulation, and banded-type ridges. The surface ridging behavior is promoted by the strain localization of several layers of grains in the vicinity of the elongated surface. The microstructure characteristics in AA6005, i.e., more Goss component, large angel grain boundaries and dense particle clusters, promote surface roughing and cracks in AA6005. The micro-cracks are initiated within valleys and further promote strain localization and surface roughing. However, the occurrence of crack propagation is impossible because void coarsening is limited during bending in the ED.
- When bending in the TD, the fracture mode in AA6005 is predominately intergranular fracture, which is affected by heterogeneous nucleation grain boundary particles. However, AA6061C showed a predominately transgranular fracture, which was effected by shear band development and void coarsening.
Author Contributions
Funding
Institutional Review Board Statement
Informed Consent Statement
Data Availability Statement
Conflicts of Interest
References
- Hirsch, J. Recent development in aluminium for automotive applications. Trans. Nonferrous Met. Soc. China 2014, 24, 1995–2002. [Google Scholar] [CrossRef]
- Hashimoto, N. Application of Aluminum Extrusions to Automotive Parts. Kobelco Technol. Rev. 2017, 35, 69–75. [Google Scholar]
- Zhou, J.; Wan, X.m.; Li, Y. Advanced Aluminium Products and Manufacturing Technologies Applied on Vehicles. Mater. Today Proc. 2015, 2, 5015–5022. [Google Scholar] [CrossRef]
- Tisza, M.; Lukács, Z. High strength aluminum alloys in car manufacturing. IPO Conf. Ser. Mater. Sci. Eng. 2018, 418, 12–33. [Google Scholar] [CrossRef]
- Parson, N.; Fourmann, J.; Beland, J.F. Extrusions for Automotive Crash Applications. SAE Techn. Pap. 2017. 2017-01-1272. [Google Scholar]
- Snilsberg, K.E.; Westermann, I.; Holmedal, B.; Hopperstad, O.S. Anisotropy of Bending Properties in Industrial Heat-treatable Extruded Aluminium Alloys. Mater. Sci. Forum 2010, 638–642, 487–492. [Google Scholar]
- Oda, S.; Tanaka, S.I. Effect of local texture and residual stress on the bendability of extruded 6000-series Al alloy profiles. Mater. Sci. Eng. A 2022, 829, 142167. [Google Scholar] [CrossRef]
- Muhammad, W.; Ali, U.; Brahme, A.P. Experimental analyses and numerical modeling of texture evolution and the development of surface roughness during bending of an extruded aluminum alloy using a multiscale modeling framework. Int. J. Plast. 2019, 117, 93–121. [Google Scholar] [CrossRef]
- Raabe, D.; Sachtleber, M.; Weiland, H. Grain-scale micromechanics of polycrystal surfaces during plastic straining. Acta Mater. 2003, 51, 1539–1560. [Google Scholar] [CrossRef]
- Shi, Y.; Zhao, P.Z.; Jin, H.; Wu, P.D.; Lloyd, D.J. Analysis of Surface Roughening in AA6111 Automotive Sheet Under Pure Bending. Metall. Mater. Trans. A 2016, 47, 949–960. [Google Scholar] [CrossRef]
- Beaudoin, A.J.; Bryant, J.D.; Korzekwa, D.A. Analysis of ridging in aluminum auto body sheet metal. Metall. Mater. Trans. A 1998, 29, 2323–2332. [Google Scholar] [CrossRef]
- Becker, R. Effects of strain localization on surface roughening during sheet forming. Acta Mater. 1998, 46, 1385–1401. [Google Scholar] [CrossRef]
- Muhammad, W.; Brahme, A.P.; Ali, U. Bendability enhancement of an age-hardenable aluminum alloy: Part II- multiscale numerical modeling of shear banding and fracture. Mater. Sci. Eng. A 2018, 19, 688–709. [Google Scholar] [CrossRef]
- Li, Z.G.; Zhang, Z.j.; Zhou, G.G.; Zhao, P.Z. The effect of Mg and Si content on the microstructure, texture and bendability of Al-Mg-Si alloys. Mater. Sci. Eng. A 2011, 814, 141199. [Google Scholar] [CrossRef]
- Yamamoto, Y.; Asano, M.; Yoshida, H.; Kobayashi, M.; Toda, H. Effect of micro-voids on crack initiation and propagation in bending deformation of Al-Mg-Si alloy sheet. Mater. Sci. Forum 2014, 794–796, 325–330. [Google Scholar]
- Sarkar, J.; Kutty, T.R.G.; Wilkinson, D.S.; Embury, J.D.; Lloyd, D.J. Tensile properties and bendability of T4 treated AA6111 aluminum alloys. Mater. Sci. Eng. A 2004, 369, 258–266. [Google Scholar] [CrossRef]
- Fan, Z.; Lei, X.; Wang, L.; Yang, X.; Sanders, R.E. Influence of quenching rate and aging on bendability of AA6016 sheet. Mater. Sci. Eng. A 2018, 730, 317–327. [Google Scholar] [CrossRef]
- Davidkova, A.; Jainb, M.K.; Petrov, R.H.; Wilkinson, D.S.; Mishra, R.K. Strain localization and damage development during bending of Al–Mg alloy sheets. Mater. Sci. Eng. A 2012, 550, 395–407. [Google Scholar] [CrossRef]
- Kuroda, M.; Tvergaard, V. Effects of texture on shear band formation in plane strain tension/compression and bending. Int. J. Plast. 2007, 23, 244–272. [Google Scholar] [CrossRef]
- Westermann, I.; Snilsberg, K.E.; Sharifi, Z.; Hopperstad, O.S. Three-Point Bending of Heat-Treatable Aluminum Alloys: Influence of microstructure and texture on bendability and fracture behavior. Metal. Mater. Trans. A 2011, 42, 3386–3398. [Google Scholar] [CrossRef]
- Kang, J.; Wilkinson, D.S.; Malakhov, D.V.; Halim, H. Effect of processing route on the spatial distributions of constituent particles and their role in the fracture process in AA5754 alloy sheet materials. Mater. Sci. Eng. A 2007, 456, 85–97. [Google Scholar] [CrossRef]
- Davidkov, A.; Petrov, R.H.; De Smet, P.; Schepers, B.; Kestens, L.A.I. Microstructure controlled bending response in AA6016 Al alloys. Mater. Sci. Eng. A 2011, 528, 7068–7076. [Google Scholar] [CrossRef]
- Das, S.; Heyen, M.; Kamat, R.; Hamerton, R. Improving Bendability of Al-Mg-Si Alloy Sheet by Minor Alloying Element Addition. In Light Metals; Springer: Cham, Switzerland, 2018; pp. 325–331. [Google Scholar]
- Hidetoshi, U.; Hideo, Y. Effect of Si content on the elongation and bendability of Al-Mg-Si alloy sheets. J. Jpn. Inst. Light Met. 2008, 58, 285–289. [Google Scholar]
- Muhammad, W.; Kang, J.; Brahmea, A.P.; Alia, U.; Hirschc, J. Bendability enhancement of an age-hardenable aluminum alloy: Part I-relationship between microstructure, plastic deformation and fracture. Mater. Sci. Eng. A 2019, 753, 179–191. [Google Scholar] [CrossRef]
- Westermann, I.; Snilsberg, K.E.; Holmedal, B.; Hopperstad, O.S.; Marthinsen, K. Bendability and Fracture Behaviour of Heat-Treatable Extruded Aluminium Alloys. In Proceedings of the 12th International Conference on Aluminium Alloys, Yokohama, Japan, 5–9 September 2010; pp. 595–600. [Google Scholar]
- Reiso, O. Extrusion of AlMgSi alloys. Met. Forum 2004, 28, 32–46. [Google Scholar]
- Plate Bending Test for Metallic Materials, VDA Recommendation Verband der Automobilindustrie (VDA), VERBAND DER AUTOMOBILINDUSTRIE E. V. (VDA); Behrenstr. 35; 10117 Berlin. Available online: www.vda.de (accessed on 25 January 2023).
- Chen, P.; Mao, S.C.; Liu, Y.; Wang, F. In-Situ EBSD study of the active slip systems and lattice rotation behavior of surface grains in aluminum alloy during tensile deformation. Mater. Sci. Eng. A 2013, 580, 114–124. [Google Scholar] [CrossRef]
- Liu, C.L.; Azizi-Alizamini, H.; Parson, N.C.; Poole, W.J.; Du, Q. Microstructure evolution during homogenization of Al-Mg-Si-Mn-Fe alloys: Modelling and experimental results. Trans. Nonferrous Met. Soc. China 2017, 27, 747–753. [Google Scholar] [CrossRef]
- Kuijpers, N.C.W.; Vermolen, F.J.; Vuik, C.; Koenis, P.T.G. The dependence of the β-AlFeSi to α-Al(FeMn)Si transformation kinetics in Al–Mg–Si alloys on the alloying elements. Mater. Sci. Eng. A 2005, 394, 9–19. [Google Scholar] [CrossRef]
- Danie, O.O. Effect of Alloy Composition on the Hot Deformation Behavior, Extrudability and Mechanical Properties of AA6XXX Aluminum Alloys; The University of Waterloo: Waterloo, ON, Canada, 2017. [Google Scholar]
- Zhang, C.S.; Wang, C.X.; Zhang, Q.Y.; Zhao, G.Q.; Chen, L. Influence of extrusion parameters on microstructure, texture, and second phase particles in an Al-Mg-Si alloy. J. Mater. Proc. Tech. 2019, 270, 323–334. [Google Scholar] [CrossRef]
- Gourdet, S.; Montheillet, F. An experimental study of the recrystallization mechanism during hot deformation of aluminium. Mater. Sci. Eng. A 2000, 283, 274–288. [Google Scholar] [CrossRef]
- Hannard, F.; Simar, A.; Maire, E.; Pardoen, T. Quantitative assessment of the impact of second phase particle arrangement on damage and fracture anisotropy. Acta Mater. 2018, 15, 456–466. [Google Scholar] [CrossRef]
- Mattei, L.; Daniel, D.; Guiglionda, G.; Moulin, N.; Klöcker, H.; Driver, J. Grain scale modeling of the bendability of AA6xxx Al alloy sheet. Mater. Sci. Eng. 2013, 583, 96–104. [Google Scholar] [CrossRef]
- Vasudévan, A.K.; Doherty, R.D. Grain boundary ductile fracture in precipitation hardened aluminum alloys. Acta Metall. 1987, 35, 1193–1219. [Google Scholar] [CrossRef]
- Evensen, J.D.; Ryum, N.; Embury, J.D. The intergranular fracture of Al-Mg-Si alloys. Mater. Sci. Eng. 1975, 18, 221–229. [Google Scholar] [CrossRef]




















| Alloy | Component (mass%) | Mg/Si at. Ratio | Mg + Si (mass%) | Excessive Element | |||||||
|---|---|---|---|---|---|---|---|---|---|---|---|
| Si | Fe | Cu | Mn | Mg | Cr | Ti | Al | ||||
| AA6005 | 0.80 | 0.18 | × | × | 0.55 | × | 0.020 | Bal. | 0.7 | 1.35 | Si-rich |
| AA6061C | 0.55 | 0.18 | × | × | 0.80 | × | 0.020 | Bal. | 1.5 | 1.35 | Mg-rich |
| Alloy | Deformation Direction | Yield Strength (MPa) | Tensile Strength (MPa) | Total Elongation (%) | Normalized Bend Angle (°) | Bend Strength (MPa) |
|---|---|---|---|---|---|---|
| AA6005 | in the ED | 270 | 295 | 12.0% | 85 | 618 |
| in the TD | 262 | 285 | 13.3% | 35 | 656 | |
| AA6061C | in the ED | 260 | 289 | 12.8% | 96 | 663 |
| in the TD | 252 | 280 | 15.6% | 91 | 721 |
| Alloy | Observed Planes | Area Fraction [%] | Average Length [µm] | Max. Length [µm] | Number Density [mm2] |
|---|---|---|---|---|---|
| AA6005 | ED-TD | 0.8 | 2.1 | 16 | 3.05 × 103 |
| TD-ND | 0.9 | 2.7 | 18 | 2.87 × 103 | |
| ED-ND | 0.8 | 2.6 | 15 | 2.71 × 103 | |
| AA6061C | ED-TD | 0.7 | 1.5 | 10 | 3.21 × 103 |
| TD-ND | 0.8 | 2.1 | 15 | 3.39 × 103 | |
| ED-ND | 0.7 | 1.0 | 12 | 3.80 × 103 |
Disclaimer/Publisher’s Note: The statements, opinions and data contained in all publications are solely those of the individual author(s) and contributor(s) and not of MDPI and/or the editor(s). MDPI and/or the editor(s) disclaim responsibility for any injury to people or property resulting from any ideas, methods, instructions or products referred to in the content. |
© 2023 by the authors. Licensee MDPI, Basel, Switzerland. This article is an open access article distributed under the terms and conditions of the Creative Commons Attribution (CC BY) license (https://creativecommons.org/licenses/by/4.0/).
Share and Cite
Zhang, Q.; Xu, X.; Wang, Y. Effect of Mg/Si Ratio on the Bendability and Anisotropic Bend Behavior of Extruded 6000-Series Al Alloy. Materials 2023, 16, 3599. https://doi.org/10.3390/ma16093599
Zhang Q, Xu X, Wang Y. Effect of Mg/Si Ratio on the Bendability and Anisotropic Bend Behavior of Extruded 6000-Series Al Alloy. Materials. 2023; 16(9):3599. https://doi.org/10.3390/ma16093599
Chicago/Turabian StyleZhang, Qi, Xiaochang Xu, and Yu Wang. 2023. "Effect of Mg/Si Ratio on the Bendability and Anisotropic Bend Behavior of Extruded 6000-Series Al Alloy" Materials 16, no. 9: 3599. https://doi.org/10.3390/ma16093599
APA StyleZhang, Q., Xu, X., & Wang, Y. (2023). Effect of Mg/Si Ratio on the Bendability and Anisotropic Bend Behavior of Extruded 6000-Series Al Alloy. Materials, 16(9), 3599. https://doi.org/10.3390/ma16093599

