Functional and Biological Characterization of the LGR5Δ5 Splice Variant in HEK293T Cells
Abstract
1. Introduction
2. Results
2.1. Structures of Full-Length LGR5 and LGR5Δ5
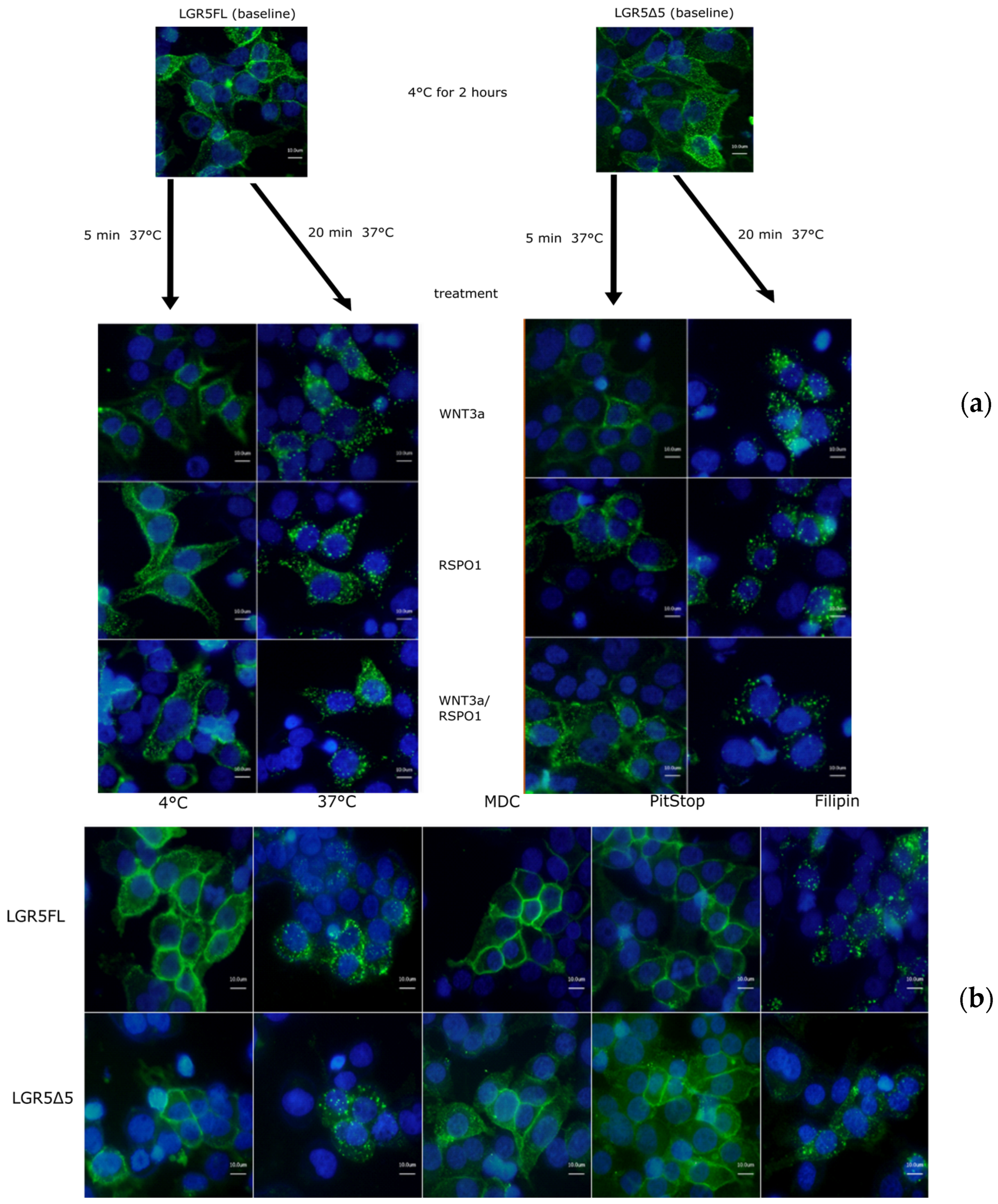
2.2. Internalization of LGR5 Full Length and LGR5Δ5
2.3. Activation of the Wnt Pathway by Full-Length LGR5 and LGR5Δ5
2.4. Knockout of LGR4 and LGR5 in HEK293T Cells and Rescue of Full-Length LGR5 or LGR5Δ5
2.5. Proliferation and Migration of Full-Length LGR5 and LGR5Δ5 Cells
2.6. Irradiation of Full-Length LGR5 and LGR5Δ5 Cells
2.7. Gene Expression Analysis of Full-Length LGR5 and LGR5Δ5 Cells
2.8. Western Blot Analysis
3. Discussion
4. Materials and Methods
4.1. Cell Cultivation
4.2. Lentiviral Transduction
4.3. Pulse-Chase Assay
4.4. TOPFlash/FOPFlash Reporter Assay
4.5. Proliferation Analysis (MTS Assay)
4.6. Migration Analysis (Scratch Assay)
4.7. Cell Colony Formation and Irradiation
4.8. Western Blot
4.9. RNA Isolation and Deep Sequencing Analysis
4.10. Statistical Analysis
5. Conclusions
Supplementary Materials
Author Contributions
Funding
Institutional Review Board Statement
Informed Consent Statement
Data Availability Statement
Acknowledgments
Conflicts of Interest
References
- de Lau, W.; Barker, N.; Low, T.Y.; Koo, B.-K.; Li, V.S.W.; Teunissen, H.; Kujala, P.; Haegebarth, A.; Peters, P.J.; van de Wetering, M.; et al. Lgr5 homologues associate with Wnt receptors and mediate R-spondin signalling. Nature 2011, 476, 293–297. [Google Scholar] [CrossRef] [PubMed]
- Barker, N.; van Es, J.H.; Kuipers, J.; Kujala, P.; van den Born, M.; Cozijnsen, M.; Haegebarth, A.; Korving, J.; Begthel, H.; Peters, P.J.; et al. Identification of stem cells in small intestine and colon by marker gene Lgr5. Nature 2007, 449, 1003–1007. [Google Scholar] [CrossRef] [PubMed]
- Leung, C.; Tan, S.H.; Barker, N. Recent Advances in Lgr5+ Stem Cell Research. Trends Cell Biol. 2018, 28, 380–391. [Google Scholar] [CrossRef] [PubMed]
- Ghobakhloo, S.; Khoshhali, M.; Vatandoost, N.; Jafarpour, S.; Niazmand, A.; Nedaeinia, R.; Salehi, R. Clinical Implications and Prognostic Value of Leucine-Rich G Protein-Coupled Receptor 5 Expression as A Cancer Stem Cell Marker in Malignancies: A Systematic Review and Meta-Analysis. Cell J. 2024, 26, 1–12. [Google Scholar] [CrossRef]
- Barker, N.; Clevers, H. Leucine-rich repeat-containing G-protein-coupled receptors as markers of adult stem cells. Gastroenterology 2010, 138, 1681–1696. [Google Scholar] [CrossRef]
- Yi, J.; Xiong, W.; Gong, X.; Bellister, S.; Ellis, L.M.; Liu, Q. Analysis of LGR4 receptor distribution in human and mouse tissues. PLoS ONE 2013, 8, e78144. [Google Scholar] [CrossRef]
- Füllgrabe, A.; Joost, S.; Are, A.; Jacob, T.; Sivan, U.; Haegebarth, A.; Linnarsson, S.; Simons, B.D.; Clevers, H.; Toftgård, R.; et al. Dynamics of Lgr6⁺ Progenitor Cells in the Hair Follicle, Sebaceous Gland, and Interfollicular Epidermis. Stem Cell Rep. 2015, 5, 843–855. [Google Scholar] [CrossRef]
- Leushacke, M.; Barker, N. Lgr5 and Lgr6 as markers to study adult stem cell roles in self-renewal and cancer. Oncogene 2012, 31, 3009–3022. [Google Scholar] [CrossRef]
- Toh, Y.; Wu, L.; Park, S.; Wang, A.; Tu, J.; Yu, W.; Zuo, M.; Carmon, K.S.; Liu, Q.J. LGR4 and LGR5 form distinct homodimers that only LGR4 complexes with RNF43/ZNRF3 to provide high affinity binding of R-spondin ligands. Sci. Rep. 2023, 13, 10796. [Google Scholar] [CrossRef]
- Kinzel, B.; Pikiolek, M.; Orsini, V.; Sprunger, J.; Isken, A.; Zietzling, S.; Desplanches, M.; Dubost, V.; Breustedt, D.; Valdez, R.; et al. Functional roles of Lgr4 and Lgr5 in embryonic gut, kidney and skin development in mice. Dev. Biol. 2014, 390, 181–190. [Google Scholar] [CrossRef]
- Morita, H.; Mazerbourg, S.; Bouley, D.M.; Luo, C.-W.; Kawamura, K.; Kuwabara, Y.; Baribault, H.; Tian, H.; Hsueh, A.J.W. Neonatal lethality of LGR5 null mice is associated with ankyloglossia and gastrointestinal distension. Mol. Cell. Biol. 2004, 24, 9736–9743. [Google Scholar] [CrossRef] [PubMed]
- Carmon, K.S.; Gong, X.; Lin, Q.; Thomas, A.; Liu, Q. R-spondins function as ligands of the orphan receptors LGR4 and LGR5 to regulate Wnt/beta-catenin signaling. Proc. Natl. Acad. Sci. USA 2011, 108, 11452–11457. [Google Scholar] [CrossRef] [PubMed]
- de Lau, W.; Peng, W.C.; Gros, P.; Clevers, H. The R-spondin/Lgr5/Rnf43 module: Regulator of Wnt signal strength. Genes Dev. 2014, 28, 305–316. [Google Scholar] [CrossRef] [PubMed]
- Glinka, A.; Dolde, C.; Kirsch, N.; Huang, Y.-L.; Kazanskaya, O.; Ingelfinger, D.; Boutros, M.; Cruciat, C.-M.; Niehrs, C. LGR4 and LGR5 are R-spondin receptors mediating Wnt/β-catenin and Wnt/PCP signalling. EMBO Rep. 2011, 12, 1055–1061. [Google Scholar] [CrossRef]
- Park, S.; Wu, L.; Tu, J.; Yu, W.; Toh, Y.; Carmon, K.S.; Liu, Q.J. Unlike LGR4, LGR5 potentiates Wnt-β-catenin signaling without sequestering E3 ligases. Sci. Signal. 2020, 13, eaaz4051. [Google Scholar] [CrossRef]
- Koo, B.-K.; Clevers, H. Stem cells marked by the R-spondin receptor LGR5. Gastroenterology 2014, 147, 289–302. [Google Scholar] [CrossRef]
- Rot, S.; Taubert, H.; Bache, M.; Greither, T.; Würl, P.; Eckert, A.W.; Schubert, J.; Vordermark, D.; Kappler, M. A novel splice variant of the stem cell marker LGR5/GPR49 is correlated with the risk of tumor-related death in soft-tissue sarcoma patients. BMC Cancer 2011, 11, 429. [Google Scholar] [CrossRef]
- Rot, S.; Kaune, T.; Taubert, H.; Greither, T.; Kotrba, J.; Güttler, A.; Wichmann, H.; Bilkenroth, U.; Wienke, A.; Al-Nawas, B.; et al. Prognostic impact of mRNA levels of LGR5 transcript variants in OSCC patients. BMC Cancer 2019, 19, 155. [Google Scholar] [CrossRef]
- Osawa, H.; Takahashi, H.; Nishimura, J.; Ohta, K.; Haraguchi, N.; Hata, T.; Yamamoto, H.; Mizushima, T.; Takemasa, I.; Doki, Y.; et al. Full-length LGR5-positive cells have chemoresistant characteristics in colorectal cancer. Br. J. Cancer 2016, 114, 1251–1260. [Google Scholar] [CrossRef]
- Rot, S. Molekulare Charakterisierung des Stammzellmarkers LGR5 und der Spleißvariante LGR5Δ5 in Humanen Tumoren. Ph.D. Thesis, Universitäts-und Landesbibliothek Sachsen-Anhalt, Halle, Germany, 2017. [Google Scholar]
- Crende, O.; García-Gallastegui, P.; Luzuriaga, J.; Badiola, I.; de La Hoz, C.; Unda, F.; Ibarretxe, G.; Pineda, J.R. Is There Such a Thing as a Genuine Cancer Stem Cell Marker? Perspectives from the Gut, the Brain and the Dental Pulp. Biology 2020, 9, 426. [Google Scholar] [CrossRef]
- Rot, S.; Kappler, M. Modulation of a Stem Cell Gene: LGR4 Knockout in a Human Cell Line by CRISPR/Cas Method. Methods Mol. Biol. 2021, 2269, 255–268. [Google Scholar] [CrossRef] [PubMed]
- Mahmoudi, T.; Li, V.S.W.; Ng, S.S.; Taouatas, N.; Vries, R.G.J.; Mohammed, S.; Heck, A.J.; Clevers, H. The kinase TNIK is an essential activator of Wnt target genes. EMBO J. 2009, 28, 3329–3340. [Google Scholar] [CrossRef] [PubMed]
- Sherman, B.T.; Hao, M.; Qiu, J.; Jiao, X.; Baseler, M.W.; Lane, H.C.; Imamichi, T.; Chang, W. DAVID: A web server for functional enrichment analysis and functional annotation of gene lists (2021 update). Nucleic Acids Res. 2022, 50, W216–W221. [Google Scholar] [CrossRef] [PubMed]
- Muñoz, J.; Stange, D.E.; Schepers, A.G.; van de Wetering, M.; Koo, B.-K.; Itzkovitz, S.; Volckmann, R.; Kung, K.S.; Koster, J.; Radulescu, S.; et al. The Lgr5 intestinal stem cell signature: Robust expression of proposed quiescent ‘+4’ cell markers. EMBO J. 2012, 31, 3079–3091. [Google Scholar] [CrossRef]
- Takahashi, H.; Ishii, H.; Nishida, N.; Takemasa, I.; Mizushima, T.; Ikeda, M.; Yokobori, T.; Mimori, K.; Yamamoto, H.; Sekimoto, M.; et al. Significance of Lgr5(+ve) cancer stem cells in the colon and rectum. Ann. Surg. Oncol. 2011, 18, 1166–1174. [Google Scholar] [CrossRef]
- Xie, Y.; Sundström, A.; Maturi, N.P.; Tan, E.-J.; Marinescu, V.D.; Jarvius, M.; Tirfing, M.; Jin, C.; Chen, L.; Essand, M.; et al. LGR5 promotes tumorigenicity and invasion of glioblastoma stem-like cells and is a potential therapeutic target for a subset of glioblastoma patients. J. Pathol. 2019, 247, 228–240. [Google Scholar] [CrossRef]
- Carmon, K.S.; Lin, Q.; Gong, X.; Thomas, A.; Liu, Q. LGR5 interacts and cointernalizes with Wnt receptors to modulate Wnt/β-catenin signaling. Mol. Cell. Biol. 2012, 32, 2054–2064. [Google Scholar] [CrossRef]
- Peng, W.C.; de Lau, W.; Forneris, F.; Granneman, J.C.M.; Huch, M.; Clevers, H.; Gros, P. Structure of stem cell growth factor R-spondin 1 in complex with the ectodomain of its receptor LGR5. Cell Rep. 2013, 3, 1885–1892. [Google Scholar] [CrossRef]
- Snyder, J.C.; Rochelle, L.K.; Lyerly, H.K.; Caron, M.G.; Barak, L.S. Constitutive internalization of the leucine-rich G protein-coupled receptor-5 (LGR5) to the trans-Golgi network. J. Biol. Chem. 2013, 288, 10286–10297. [Google Scholar] [CrossRef]
- Snyder, J.C.; Rochelle, L.K.; Barak, L.S.; Caron, M.G. The stem cell-expressed receptor Lgr5 possesses canonical and functionally active molecular determinants critical to β-arrestin-2 recruitment. PLoS ONE 2013, 8, e84476. [Google Scholar] [CrossRef][Green Version]
- Mazerbourg, S.; Bouley, D.M.; Sudo, S.; Klein, C.A.; Zhang, J.V.; Kawamura, K.; Goodrich, L.V.; Rayburn, H.; Tessier-Lavigne, M.; Hsueh, A.J.W. Leucine-rich repeat-containing, G protein-coupled receptor 4 null mice exhibit intrauterine growth retardation associated with embryonic and perinatal lethality. Mol. Endocrinol. 2004, 18, 2241–2254. [Google Scholar] [CrossRef] [PubMed]
- Kato, S.; Matsubara, M.; Matsuo, T.; Mohri, Y.; Kazama, I.; Hatano, R.; Umezawa, A.; Nishimori, K. Leucine-rich repeat-containing G protein-coupled receptor-4 (LGR4, Gpr48) is essential for renal development in mice. Nephron Exp. Nephrol. 2006, 104, e63–e75. [Google Scholar] [CrossRef] [PubMed]
- Celotti, M.; Derks, L.L.M.; van Es, J.; van Boxtel, R.; Clevers, H.; Geurts, M.H. Protocol to create isogenic disease models from adult stem cell-derived organoids using next-generation CRISPR tools. STAR Protoc. 2024, 5, 103189. [Google Scholar] [CrossRef] [PubMed]
- Liang, F.; Zhang, H.; Cheng, D.; Gao, H.; Wang, J.; Yue, J.; Zhang, N.; Wang, J.; Wang, Z.; Zhao, B. Ablation of LGR4 signaling enhances radiation sensitivity of prostate cancer cells. Life Sci. 2021, 265, 118737. [Google Scholar] [CrossRef] [PubMed]
- Chen, X.; Chen, L.; Tan, J.; Zhang, L.; Xia, J.; Cheng, B.; Zhang, W. Rspo1-LGR4 axis in BMSCs protects bone against radiation-induced injury through the mTOR-dependent autophagy pathway. J. Cell. Physiol. 2021, 236, 4273–4289. [Google Scholar] [CrossRef]
- Zitter, R.C.; Chugh, R.M.; Bhanja, P.; Kimler, B.F.; Saha, S. LGR5+ Intestinal Stem Cells Display Sex-Dependent Radiosensitivity. Cells 2023, 13, 46. [Google Scholar] [CrossRef]
- Herpers, B.; Eppink, B.; James, M.I.; Cortina, C.; Cañellas-Socias, A.; Boj, S.F.; Hernando-Momblona, X.; Glodzik, D.; Roovers, R.C.; van de Wetering, M.; et al. Functional patient-derived organoid screenings identify MCLA-158 as a therapeutic EGFR × LGR5 bispecific antibody with efficacy in epithelial tumors. Nat. Cancer 2022, 3, 418–436. [Google Scholar] [CrossRef]
- Kappler, M.; Pabst, U.; Weinholdt, C.; Taubert, H.; Rot, S.; Kaune, T.; Kotrba, J.; Porsch, M.; Güttler, A.; Bache, M.; et al. Causes and Consequences of A Glutamine Induced Normoxic HIF1 Activity for the Tumor Metabolism. Int. J. Mol. Sci. 2019, 20, 4742. [Google Scholar] [CrossRef]
- Ackers, I.; Malgor, R. Interrelationship of canonical and non-canonical Wnt signalling pathways in chronic metabolic diseases. Diab. Vasc. Dis. Res. 2018, 15, 3–13. [Google Scholar] [CrossRef]
- Clevers, H.; Nusse, R. Wnt/β-catenin signaling and disease. Cell 2012, 149, 1192–1205. [Google Scholar] [CrossRef]
- Fernandez Vallone, V.; Leprovots, M.; Ribatallada-Soriano, D.; Gerbier, R.; Lefort, A.; Libert, F.; Vassart, G.; Garcia, M.-I. LGR5 controls extracellular matrix production by stem cells in the developing intestine. EMBO Rep. 2020, 21, e49224. [Google Scholar] [CrossRef] [PubMed]
- Di, Y.-B.; Bao, Y.; Guo, J.; Liu, W.; Zhang, S.-X.; Zhang, G.-H.; Li, T.-K. COL11A1 as a potential prognostic target for oral squamous cell carcinoma. Medicine 2022, 101, e30989. [Google Scholar] [CrossRef] [PubMed]
- Sun, D.; Dai, T.; Ji, Y.; Shen, W.; Bian, W. COL11A1-driven positive feedback loop modulates fibroblast transformation and activates pancreatic cancer progression. Cell Biol. Int. 2023, 47, 1081–1091. [Google Scholar] [CrossRef] [PubMed]
- Yang, S.Y.; Zhu, L.H.; Yang, R.; Liao, T.T.; Hu, X.W. COL11A1 regulates PI3K/Akt/GSK-3β pathway and promotes human lung adenocarcinoma primary cell migration and invasion. Zhonghua Jie He He Hu Xi Za Zhi 2023, 46, 580–586. [Google Scholar] [CrossRef]
- Feng, C.; Chan, W.C.W.; Lam, Y.; Wang, X.; Chen, P.; Niu, B.; Ng, V.C.W.; Yeo, J.C.; Stricker, S.; Cheah, K.S.E.; et al. Lgr5 and Col22a1 Mark Progenitor Cells in the Lineage toward Juvenile Articular Chondrocytes. Stem Cell Rep. 2019, 13, 713–729. [Google Scholar] [CrossRef]
- Plaks, V.; Brenot, A.; Lawson, D.A.; Linnemann, J.R.; van Kappel, E.C.; Wong, K.C.; de Sauvage, F.; Klein, O.D.; Werb, Z. Lgr5-expressing cells are sufficient and necessary for postnatal mammary gland organogenesis. Cell Rep. 2013, 3, 70–78. [Google Scholar] [CrossRef]
- de Visser, K.E.; Ciampricotti, M.; Michalak, E.M.; Tan, D.W.-M.; Speksnijder, E.N.; Hau, C.-S.; Clevers, H.; Barker, N.; Jonkers, J. Developmental stage-specific contribution of LGR5(+) cells to basal and luminal epithelial lineages in the postnatal mammary gland. J. Pathol. 2012, 228, 300–309. [Google Scholar] [CrossRef]
- Mancini, A.; Gentile, M.T.; Pentimalli, F.; Cortellino, S.; Grieco, M.; Giordano, A. Multiple aspects of matrix stiffness in cancer progression. Front. Oncol. 2024, 14, 1406644. [Google Scholar] [CrossRef]
- Cegarra, C.; Chaves, C.; Déon, C.; Do, T.M.; Dumas, B.; Frenzel, A.; Kuhn, P.; Roudieres, V.; Guillemot, J.C.; Lesuisse, D. Exploring ITM2A as a new potential target for brain delivery. Fluids Barriers CNS 2022, 19, 25. [Google Scholar] [CrossRef]
- Olsen, J.J.; Pohl, S.Ö.-G.; Deshmukh, A.; Visweswaran, M.; Ward, N.C.; Arfuso, F.; Agostino, M.; Dharmarajan, A. The Role of Wnt Signalling in Angiogenesis. Clin. Biochem. Rev. 2017, 38, 131–142. [Google Scholar]
- Torigata, M.; Yamakawa, D.; Takakura, N. Elevated expression of Tie1 is accompanied by acquisition of cancer stemness properties in colorectal cancer. Cancer Med. 2017, 6, 1378–1388. [Google Scholar] [CrossRef] [PubMed]
- Schepers, A.G.; Vries, R.; van den Born, M.; van de Wetering, M.; Clevers, H. Lgr5 intestinal stem cells have high telomerase activity and randomly segregate their chromosomes. EMBO J. 2011, 30, 1104–1109. [Google Scholar] [CrossRef] [PubMed]
- Kwon, M.S.; Park, B.-o.; Kim, H.M.; Kim, S. Leucine-rich repeat-containing G-protein coupled receptor 5/GPR49 activates G12/13-Rho GTPase pathway. Mol. Cells 2013, 36, 267–272. [Google Scholar] [CrossRef] [PubMed]
- Jin, Y.-R.; Han, X.H.; Nishimori, K.; Ben-Avraham, D.; Oh, Y.J.; Shim, J.-W.; Yoon, J.K. Canonical WNT/β-Catenin Signaling Activated by WNT9b and RSPO2 Cooperation Regulates Facial Morphogenesis in Mice. Front. Cell Dev. Biol. 2020, 8, 264. [Google Scholar] [CrossRef]
- Dasgupta, K.; Cesario, J.M.; Ha, S.; Asam, K.; Deacon, L.J.; Song, A.H.; Kim, J.; Cobb, J.; Yoon, J.K.; Jeong, J. R-Spondin 3 Regulates Mammalian Dental and Craniofacial Development. J. Dev. Biol. 2021, 9, 31. [Google Scholar] [CrossRef]
- Alhazmi, N.; Carroll, S.H.; Kawasaki, K.; Woronowicz, K.C.; Hallett, S.A.; Macias Trevino, C.; Li, E.B.; Baron, R.; Gori, F.; Yelick, P.C.; et al. Synergistic roles of Wnt modulators R-spondin2 and R-spondin3 in craniofacial morphogenesis and dental development. Sci. Rep. 2021, 11, 5871. [Google Scholar] [CrossRef]
- Nihara, J.; Kawasaki, M.; Kawasaki, K.; Yamada, A.; Meguro, F.; Kudo, T.; Trakanant, S.; Nagai, T.; Saito, I.; Maeda, T.; et al. Expression of R-spondins/Lgrs in development of movable craniofacial organs. Gene Expr. Patterns 2021, 41, 119195. [Google Scholar] [CrossRef]
- Fayette, J.; Clatot, F.; Brana, I.; Saada, E.; van Herpen, C.M.L.; Mazard, T.; Perez, C.A.; Tabernero, J.; Le Tourneau, C.; Hollebecque, A.; et al. Petosemtamab (MCLA-158) with pembrolizumab as first-line (1L) treatment of recurrent/metastatic (r/m) head and neck squamous cell carcinoma (HNSCC): Phase 2 study. JCO 2024, 42, 6014. [Google Scholar] [CrossRef]
- Martin, M. Cutadapt removes adapter sequences from high-throughput sequencing reads. EMBnet J. 2011, 17, 10. [Google Scholar] [CrossRef]
- Kim, D.; Langmead, B.; Salzberg, S.L. HISAT: A fast spliced aligner with low memory requirements. Nat. Methods 2015, 12, 357–360. [Google Scholar] [CrossRef]
- Li, H.; Handsaker, B.; Wysoker, A.; Fennell, T.; Ruan, J.; Homer, N.; Marth, G.; Abecasis, G.; Durbin, R. The Sequence Alignment/Map format and SAMtools. Bioinformatics 2009, 25, 2078–2079. [Google Scholar] [CrossRef] [PubMed]
- Liao, Y.; Smyth, G.K.; Shi, W. featureCounts: An efficient general purpose program for assigning sequence reads to genomic features. Bioinformatics 2014, 30, 923–930. [Google Scholar] [CrossRef] [PubMed]
- Aken, B.L.; Achuthan, P.; Akanni, W.; Amode, M.R.; Bernsdorff, F.; Bhai, J.; Billis, K.; Carvalho-Silva, D.; Cummins, C.; Clapham, P.; et al. Ensembl 2017. Nucleic Acids Res. 2017, 45, D635–D642. [Google Scholar] [CrossRef]
- Robinson, M.D.; McCarthy, D.J.; Smyth, G.K. edgeR: A Bioconductor package for differential expression analysis of digital gene expression data. Bioinformatics 2010, 26, 139–140. [Google Scholar] [CrossRef]
- Robinson, M.D.; Oshlack, A. A scaling normalization method for differential expression analysis of RNA-seq data. Genome Biol. 2010, 11, R25. [Google Scholar] [CrossRef]











| Cell Lines | DMF10 | SD (+/−) | p-Value | 
|---|---|---|---|
| HEK293T | 1 | - | - | 
| HEK knockout LGR4/5 (empty vector) | 1.272 | 0.1083 | 0.0490 (*) | 
| HEK knockout LGR4/5 rescue LGR5FL | 1.536 | 0.1168 | 0.0155 (*) | 
| HEK knockout LGR4/5 rescue LGR5Δ5 | 1.462 | 0.125 | 0.0235 (*) | 
| Disclaimer/Publisher’s Note: The statements, opinions and data contained in all publications are solely those of the individual author(s) and contributor(s) and not of MDPI and/or the editor(s). MDPI and/or the editor(s) disclaim responsibility for any injury to people or property resulting from any ideas, methods, instructions or products referred to in the content. | 
© 2024 by the authors. Licensee MDPI, Basel, Switzerland. This article is an open access article distributed under the terms and conditions of the Creative Commons Attribution (CC BY) license (https://creativecommons.org/licenses/by/4.0/).
Share and Cite
Kappler, M.; Thielemann, L.; Glaß, M.; Caggegi, L.; Güttler, A.; Pyko, J.; Blauschmidt, S.; Gutschner, T.; Taubert, H.; Otto, S.; et al. Functional and Biological Characterization of the LGR5Δ5 Splice Variant in HEK293T Cells. Int. J. Mol. Sci. 2024, 25, 13417. https://doi.org/10.3390/ijms252413417
Kappler M, Thielemann L, Glaß M, Caggegi L, Güttler A, Pyko J, Blauschmidt S, Gutschner T, Taubert H, Otto S, et al. Functional and Biological Characterization of the LGR5Δ5 Splice Variant in HEK293T Cells. International Journal of Molecular Sciences. 2024; 25(24):13417. https://doi.org/10.3390/ijms252413417
Chicago/Turabian StyleKappler, Matthias, Laura Thielemann, Markus Glaß, Laura Caggegi, Antje Güttler, Jonas Pyko, Sarah Blauschmidt, Tony Gutschner, Helge Taubert, Sven Otto, and et al. 2024. "Functional and Biological Characterization of the LGR5Δ5 Splice Variant in HEK293T Cells" International Journal of Molecular Sciences 25, no. 24: 13417. https://doi.org/10.3390/ijms252413417
APA StyleKappler, M., Thielemann, L., Glaß, M., Caggegi, L., Güttler, A., Pyko, J., Blauschmidt, S., Gutschner, T., Taubert, H., Otto, S., Eckert, A. W., Tavassol, F., Bache, M., Vordermark, D., Kaune, T., & Rot, S. (2024). Functional and Biological Characterization of the LGR5Δ5 Splice Variant in HEK293T Cells. International Journal of Molecular Sciences, 25(24), 13417. https://doi.org/10.3390/ijms252413417
 
        



 
       