Comparative Study of Lycopene-Loaded Niosomes Prepared by Microfluidic and Thin-Film Hydration Techniques for UVB Protection and Anti-Hyperpigmentation Activity
Abstract
1. Introduction
2. Results and Discussion
2.1. Determination of Lycopene Content in Vegetables
2.2. Physical Characterization of Niosome
2.2.1. Particle Size, Polydispersity (PDI), Zeta Potential, and Entrapment Efficiency
2.2.2. In Vitro Lycopene-Release Study
2.2.3. Transmission Electron Microscopy (TEM) Measurements
2.2.4. Stability Evaluation
2.2.5. FT-IR Spectroscopy
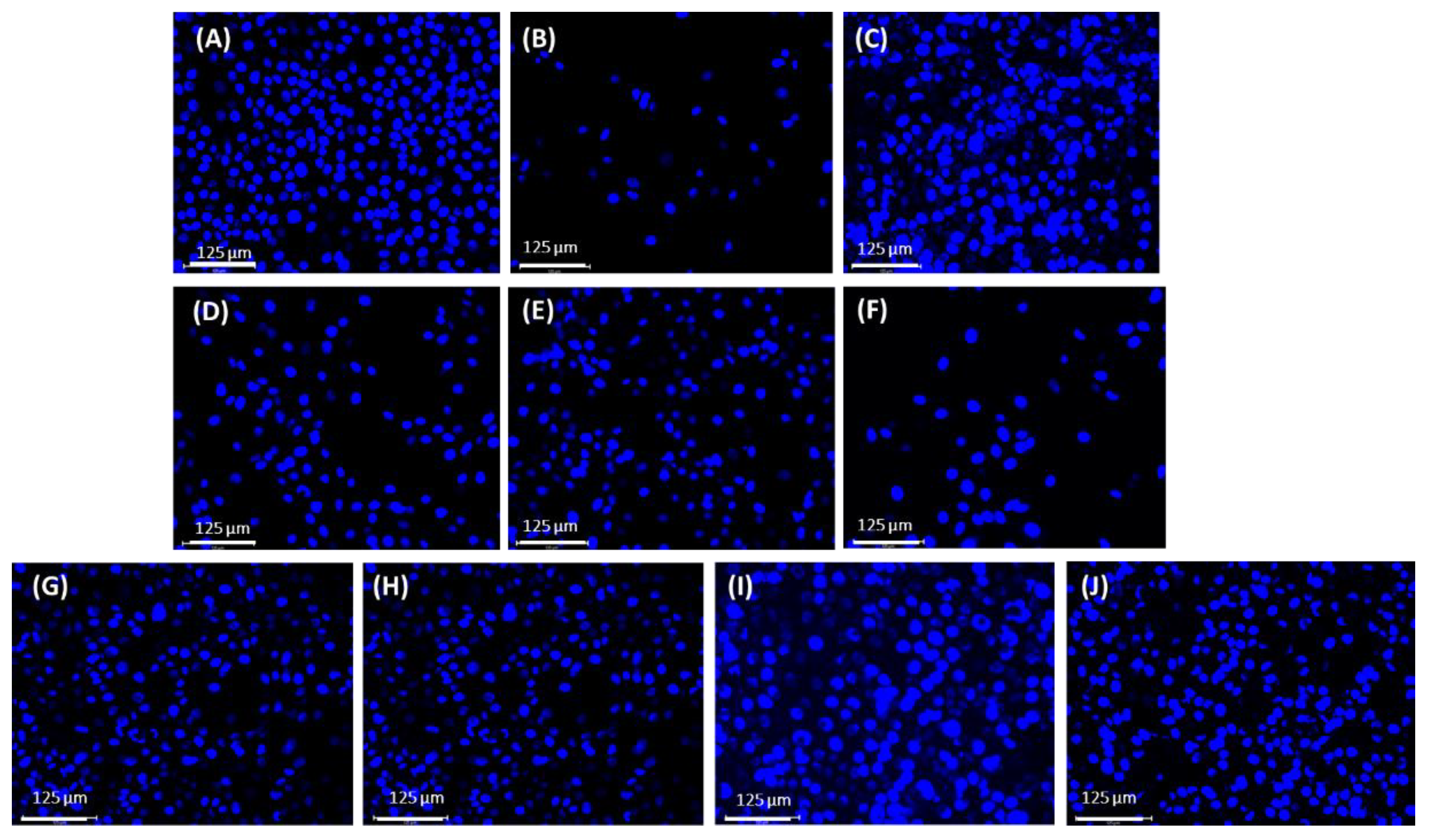
2.2.6. Biological Properties of Niosome Formulations
UVB Protection Effects
Anti-Melanogenic Effects
3. Materials and Methods
3.1. Materials
3.2. Determination of Lycopene Content
3.3. Preparation of Niosomes
3.3.1. Conventional Thin-Film Hydration (THF) Method
3.3.2. Microfluidic Mixing (MF) Method
3.4. Physical Characterization of Niosomes
3.4.1. Entrapment Efficiency
3.4.2. Vesicle Size Measurement
3.4.3. Zeta Potential Measurement
3.4.4. Transmission Electron Microscopy (TEM)
3.4.5. Stability Study
3.4.6. In Vitro Release of Lycopene
3.4.7. Kinetic Release Prediction
3.4.8. Fourier Transform Infrared (FT-IR) Spectroscopy
3.5. Biological Properties of Niosome Formulations
3.5.1. Anti-Melanogenic Effects
Cytotoxicity Assay of B16F10 Cells
Melanin Measurement [32]
Intracellular Tyrosinase Activity Measurement
3.5.2. Protection of Niosome Formulations Against UVB Radiation
Cell Lines and Culture Conditions
Cytotoxicity Assay for HaCaT Cells
UVB Irradiation System
UVB Protection Effects on HaCaT Cells
The Morphology of HaCaT Cells Using Fluorescence Microscopy
3.6. Statistical Analyses
4. Conclusions
Supplementary Materials
Author Contributions
Funding
Institutional Review Board Statement
Informed Consent Statement
Data Availability Statement
Acknowledgments
Conflicts of Interest
References
- Sharma, P.K.; Saxena, P.; Chalamaiah, M.; Tekade, K.R.; Balasubramaniam, A. Novel Encapsulation of Lycopene in Niosomes and Assessment of Its Anticancer Activity. J. Bioequiv. Availab. 2016, 8, 224–232. [Google Scholar] [CrossRef]
- Palozza, P.; Simone, R.E.; Catalano, A.; Mele, M.C. Tomato Lycopene and Lung Cancer Prevention: From Experimental to Human Studies. Cancers 2011, 3, 2333–2357. [Google Scholar] [CrossRef] [PubMed]
- Moskwa, J.; Bronikowska, M.; Socha, K.; Markiewicz-Żukowska, R. Vegetable as a Source of Bioactive Compounds with Photoprotective Properties: Implication in the Aging Process. Nutrients 2023, 15, 3594. [Google Scholar] [CrossRef] [PubMed]
- Ambarwati, N.S.S.; Armandari, M.O.; Widayat, W.; Desmiaty, Y.; Elya, B.; Arifianti, A.E.; Ahmad, I. In Vitro Studies on the Cytotoxicity, Elastase, and Tyrosinase Inhibitory Activities of Tomato (Solanum lycopersicum Mill.) Extract. J. Adv. Pharm. Technol. Res. 2022, 13, 182–186. [Google Scholar] [CrossRef] [PubMed]
- Kong, K.-W.; Khoo, H.-E.; Prasad, K.N.; Ismail, A.; Tan, C.-P.; Rajab, N.F. Revealing the Power of the Natural Red Pigment Lycopene. Molecules 2010, 15, 959. [Google Scholar] [CrossRef] [PubMed]
- Bin-Jumah, M.N.; Nadeem, M.S.; Gilani, S.J.; Mubeen, B.; Ullah, I.; Alzarea, S.I.; Ghoneim, M.M.; Alshehri, S.; Al-Abbasi, F.A.; Kazmi, I. Lycopene: A Natural Arsenal in the War against Oxidative Stress and Cardiovascular Diseases. Antioxidants 2022, 11, 232. [Google Scholar] [CrossRef] [PubMed]
- Ali, M.Y.; Sina, A.A.I.; Khandker, S.S.; Neesa, L.; Tanvir, E.M.; Kabir, A.; Khalil, M.I.; Gan, S.H. Nutritional Composition and Bioactive Compounds in Tomatoes and Their Impact on Human Health and Disease: A Review. Foods 2020, 10, 45. [Google Scholar] [CrossRef]
- Calniquer, G.; Khanin, M.; Ovadia, H.; Linnewiel-Hermoni, K.; Stepensky, D.; Trachtenberg, A.; Sedlov, T.; Braverman, O.; Levy, J.; Sharoni, Y. Combined Effects of Carotenoids and Polyphenols in Balancing the Response of Skin Cells to UV Irradiation. Molecules 2021, 26, 1931. [Google Scholar] [CrossRef]
- Fazekas, Z.; Gao, D.; Saladi, R.N.; Lu, Y.; Lebwohl, M.; Wei, H. Protective Effects of Lycopene against Ultraviolet B-Induced Photodamage. Nutr. Cancer 2003, 47, 181–187. [Google Scholar] [CrossRef]
- Smit, N.; Vicanova, J.; Cramers, P.; Vrolijk, H.; Pavel, S. The Combined Effects of Extracts Containing Carotenoids and Vitamins E and C on Growth and Pigmentation of Cultured Human Melanocytes. Ski. Pharmacol. Physiol. 2004, 17, 238–245. [Google Scholar] [CrossRef]
- Satriyasa, B.K.; Widianti, I.G.A.; Manuaba, I.F. The Potential of Carrot Extract as a Sunscreen to Prevent Apoptosis in White Mice (Mus musculus) Fibroblast Cell Cultures Exposed to UVB Light. Bali Med. J. 2022, 11, 527–530. [Google Scholar] [CrossRef]
- Shi, J.; Dai, Y.; Kakuda, Y.; Mittal, G.; Xue, S.J. Effect of Heating and Exposure to Light on the Stability of Lycopene in Tomato Purée. Food Control 2008, 19, 514–520. [Google Scholar] [CrossRef]
- Jamaleddine, A.; Urrutigoïty, M.; Bouajila, J.; Merah, O.; Evon, P.; De Caro, P. Ecodesigned Formulations with Tomato Pomace Extracts. Cosmetics 2022, 10, 7. [Google Scholar] [CrossRef]
- Gupta, S.; Bansal, R.; Gupta, S.; Jindal, N.; Jindal, A. Nanocarriers and Nanoparticles for Skin Care and Dermatological Treatments. Indian. Dermatol. Online J. 2013, 4, 267. [Google Scholar] [CrossRef] [PubMed]
- Ruckmani, K.; Sankar, V. Formulation and Optimization of Zidovudine Niosomes. AAPS PharmSciTech 2010, 11, 1119–1127. [Google Scholar] [CrossRef] [PubMed]
- Witika, B.A.; Bassey, K.E.; Demana, P.H.; Siwe-Noundou, X.; Poka, M.S. Current Advances in Specialised Niosomal Drug Delivery: Manufacture, Characterization and Drug Delivery Applications. Int. J. Mol. Sci. 2022, 23, 9668. [Google Scholar] [CrossRef]
- Mawazi, S.M.; Ann, T.J.; Widodo, R.T. Application of Niosomes in Cosmetics: A Systematic Review. Cosmetics 2022, 9, 127. [Google Scholar] [CrossRef]
- Sharma, P.K.; Saxena, P.; Jaswanth, A.; Chalamaiah, M.; Balasubramaniam, A. Anti-Diabetic Activity of Lycopene Niosomes: Experimental Observation. J. Pharm. Drug Dev. 2017, 4. [Google Scholar] [CrossRef]
- Mashal, M.; Attia, N.; Puras, G.; Martínez-Navarrete, G.; Fernández, E.; Pedraz, J.L. Retinal Gene Delivery Enhancement by Lycopene Incorporation into Cationic Niosomes Based on DOTMA and Polysorbate 60. J. Control. Release 2017, 254, 55–64. [Google Scholar] [CrossRef]
- Thabet, Y.; Elsabahy, M.; Eissa, N.G. Methods for Preparation of Niosomes: A Focus on Thin-Film Hydration Method. Methods 2022, 199, 9–15. [Google Scholar] [CrossRef]
- Ag Seleci, D.; Maurer, V.; Stahl, F.; Scheper, T.; Garnweitner, G. Rapid Microfluidic Preparation of Niosomes for Targeted Drug Delivery. Int. J. Mol. Sci. 2019, 20, 4696. [Google Scholar] [CrossRef] [PubMed]
- Khamis, H.; Lusweti, K.; Mwevura, H.; Nyanzi, S.; Kiremire, B.T. Quantification of Lycopene from Tomatoes and Watermelons by Using Beer-Lambert Principle. Am. Sci. Res. J. Eng. Technol. Sci. 2017, 38, 119–133. [Google Scholar]
- Sathish, T.; Udayakiran, D.; Himabindu, K.; Sridevi, P.L.D.; Kezia, D.; Bhojaraju, P. HPLC Method for the Determination of Lycopene in Crude Oleoresin Extracts. Asian J. Chem. 2009, 21, 139–148. [Google Scholar]
- Osouli-Bostanabad, K.; Puliga, S.; Serrano, D.R.; Bucchi, A.; Halbert, G.; Lalatsa, A. Microfluidic Manufacture of Lipid-Based Nanomedicines. Pharmaceutics 2022, 14, 1940. [Google Scholar] [CrossRef]
- Elsewedy, H.S.; Younis, N.S.; Shehata, T.M.; Mohamed, M.E.; Soliman, W.E. Enhancement of Anti-Inflammatory Activity of Optimized Niosomal Colchicine Loaded into Jojoba Oil-Based Emulgel Using Response Surface Methodology. Gels 2022, 8, 16. [Google Scholar] [CrossRef]
- Honarvari, B.; Karimifard, S.; Akhtari, N.; Mehrarya, M.; Moghaddam, Z.S.; Ansari, M.J.; Jalil, A.T.; Matencio, A.; Trotta, F.; Yeganeh, F.E.; et al. Folate-Targeted Curcumin-Loaded Niosomes for Site-Specific Delivery in Breast Cancer Treatment: In Silico and In Vitro Study. Molecules 2022, 27, 4634. [Google Scholar] [CrossRef]
- Kamboj, S.; Saini, V.; Bala, S. Formulation and Characterization of Drug Loaded Nonionic Surfactant Vesicles (Niosomes) for Oral Bioavailability Enhancement. Sci. World J. 2014, 2014, 959741. [Google Scholar] [CrossRef]
- Phanphothong, P.; Kanpipit, N.; Thapphasaraphong, S. The Characteristics and Biological Activity Enhancements of Melatonin Encapsulations for Skin Care Product Applications. Int. J. Pharm. X 2023, 6, 100217. [Google Scholar] [CrossRef]
- Kanpipit, N.; Nualkaew, N.; Kiatponglarp, W.; Priprem, A.; Thapphasaraphong, S. Development of a Sericin Hydrogel to Deliver Anthocyanins from Purple Waxy Corn Cob (Zea mays L.) extract and in vitro evaluation of anti-inflammatory effects. Pharmaceutics 2022, 14, 577. [Google Scholar] [CrossRef]
- Korsmeyer, R.W.; Gurny, R.; Doelker, E.; Buri, P.; Peppas, N.A. Mechanisms of Solute Release from Porous Hydrophilic Polymers. Int. J. Pharm. 1983, 15, 25–35. [Google Scholar] [CrossRef]
- Aguilar-Jiménez, Z.; González-Ballesteros, M.; Dávila-Manzanilla, S.G.; Espinoza-Guillén, A.; Ruiz-Azuara, L. Development and In Vitro and In Vivo Evaluation of an Antineoplastic Copper(II) Compound (Casiopeina III-Ia) Loaded in Nonionic Vesicles Using Quality by Design. Int. J. Mol. Sci. 2022, 23, 12756. [Google Scholar] [CrossRef]
- Kanpipit, N.; Nualkaew, N.; Thapphasaraphong, S. The Potential of Purple Waxy Corn Cob (Zea mays L.) Extract Loaded-Sericin Hydrogel for Anti-Hyperpigmentation, UV Protection and Anti-Aging Properties as Topical Product Applications. Pharmaceuticals 2023, 16, 35. [Google Scholar] [CrossRef] [PubMed]
- Pabuprapap, W.; Nakyai, W.; Chaichompoo, W.; Pheedee, N.; Phetkeereerat, S.; Viyoch, J.; Yingyongnarongkul, B.; Ajavakom, V.; Chompoosor, A.; Piyachaturawat, P.; et al. Curcuma aromatica and Curcuma comosa Extracts and Isolated Constituents Provide Protection against UVB-Induced Damage and Attenuate Matrix Metalloproteinase-1 Expression in HaCaT Cells. Cosmetics 2022, 9, 23. [Google Scholar] [CrossRef]
- Zerbinati, N.; Sommatis, S.; Maccario, C.; Capillo, M.C.; Di Francesco, S.; Liga, E.; Rauso, R.; D’Este, E.; Dalla Gasperina, D.; Guida, S.; et al. Evaluation of Anti-Photoaging Effects of a Novel Cosmeceutical Containing a Retinoids Mixture Using In Vitro Cell Models. Appl. Sci. 2021, 11, 9992. [Google Scholar] [CrossRef]
- Maddo, F.V.; Aminah, S.; Afadil, A. Analysis of Lycopene Content and Antioxidant Activity Test of Katokkon Chili Extract (Capsicum chinense Jacq). J. Akad. Kim. 2021, 10, 224–229. [Google Scholar] [CrossRef]
- Popescu, M.; Iancu, P.; Plesu, V.; Todasca, M.C.; Isopencu, G.O.; Bildea, C.S. Valuable Natural Antioxidant Products Recovered from Tomatoes by Green Extraction. Molecules 2022, 27, 4191. [Google Scholar] [CrossRef] [PubMed]
- Machado, N.D.; García-Manrique, P.; Fernández, M.A.; Blanco-López, M.C.; Matos, M.; Gutiérrez, G. Cholesterol Free Niosome Production by Microfluidics: Comparative with Other Conventional Methods. Chem. Eng. Res. Des. 2020, 162, 162–171. [Google Scholar] [CrossRef]
- Yeo, L.K.; Olusanya, T.O.B.; Chaw, C.S.; Elkordy, A.A. Brief Effect of a Small Hydrophobic Drug (Cinnarizine) on the Physicochemical Characterisation of Niosomes Produced by Thin-Film Hydration and Microfluidic Methods. Pharmaceutics 2018, 10, 185. [Google Scholar] [CrossRef]
- Moghtaderi, M.; Sedaghatnia, K.; Bourbour, M.; Fatemizadeh, M.; Salehi Moghaddam, Z.; Hejabi, F.; Heidari, F.; Quazi, S.; Farasati Far, B. Niosomes: A Novel Targeted Drug Delivery System for Cancer. Med. Oncol. 2022, 39, 240. [Google Scholar] [CrossRef]
- Obeid, M.A.; Khadra, I.; Aljabali, A.A.A.; Amawi, H.; Ferro, V.A. Characterisation of Niosome Nanoparticles Prepared by Microfluidic Mixing for Drug Delivery. Int. J. Pharm. X 2022, 4, 100137. [Google Scholar] [CrossRef]
- Salama, M.F.; Seliem, E.I.; Mahmoud, K.F.; Amin, A.A. Physiochemical Characterization and Oxidative Stability of Encapsulated Nano Lycopene Pigments Extracted By CO2 Fluid Extraction. Int. J. Curr. Microbiol. App. Sci. 2015, 4, 307–320. [Google Scholar]











| Method | Formulation | EE (%) | Zeta Potential (mV) | Size (nm) | PDI |
|---|---|---|---|---|---|
| Thin-film (THF) | BN−T | − | −44.80 ± 1.64 | 245.17 ± 43.98 | 0.54 ± 0.01 |
| TN−T | 90.59 ± 7.09 | −36.76 ± 1.97 | 477.00 ± 56.21 | 0.78 ± 0.21 | |
| CN−T | 92.02 ± 0.84 | −33.13 ± 2.76 | 461.93 ± 55.91 | 0.72 ± 0.14 | |
| MRN−T | 95.69 ± 3.76 | −31.57 ± 0.25 | 457.47 ± 50.06 | 0.70 ± 0.07 | |
| Microfluidic (MF) | BN−M | − | −61.50 ± 0.90 * | 278.40 ± 18.47 | 0.40 ± 0.04 * |
| TN−M | 92.55 ± 0.16 | −48.77 ± 3.54 * | 281.73 ± 16.40 * | 0.29 ± 0.03 * | |
| CN−M | 97.22 ± 1.26 | −42.53 ± 1.19 * | 237.97 ± 42.54 * | 0.22 ± 0.01 * | |
| MRN−M | 90.37 ± 0.54* | −31.33 ± 1.11 | 256.83 ± 5.16 * | 0.58 ± 0.19 |
| Formulation | EE (%) | Zeta Potential (mV) | Size (nm) | PDI | ||||
|---|---|---|---|---|---|---|---|---|
| Before | After | Before | After | Before | After | Before | After | |
| BN−T | − | − | −44.80 ± 1.64 | −40.20 ± 1.15 | 245.17 ± 43.98 | 217.67 ± 23.80 | 0.54 ± 0.01 | 0.50 ± 0.12 |
| TN−T | 90.59 ± 7.09 | 75.25 ± 1.09 * | −36.76 ± 1.97 | −34.73 ± 3.61 | 477.00 ± 56.21 | 403.57 ± 30.17 | 0.78 ± 0.21 | 0.70 ± 0.27 |
| CN−T | 92.02 ± 0.84 | 82.10 ± 0.29 * | −33.13 ± 2.76 | −30.47 ± 1.10 | 461.93 ± 55.91 | 482.27 ± 15.29 | 0.72 ± 0.14 | 0.71 ± 0.06 |
| MRN−T | 95.69 ± 3.76 | 82.21 ± 1.59 * | −31.57 ± 0.25 | −29.80 ± 0.60 * | 457.47 ± 50.06 | 447.90 ± 15.29 | 0.70 ± 0.07 | 0.58 ± 0.07 |
| BN−M | − | − | −61.50 ± 0.90 | −58.50 ± 0.60 | 278.40 ± 18.47 | 277.70 ± 16.13 | 0.40 ± 0.04 | 0.41 ± 0.05 |
| TN−M | 92.55 ± 0.16 | 82.27 ± 3.85 * | −48.77 ± 3.54 | −44.90 ± 10.52 | 281.73 ± 16.40 | 263.47 ± 36.26 | 0.29 ± 0.03 | 0.26 ± 0.07 |
| CN−M | 97.22 ± 1.26 | 83.49 ± 4.68 * | −42.53 ± 1.19 | −44.30 ± 4.97 | 237.97 ± 42.54 | 238.40 ± 35.28 | 0.22 ± 0.01 | 0.31 ± 0.06 |
| MRN−M | 90.37 ± 0.54 | 77.13 ± 11.73 | −31.33 ± 1.11 | −41.93 ± 2.16 | 256.83 ± 5.16 | 223.87 ± 14.26 | 0.58 ± 0.19 | 0.31 ± 0.06 |
| Formulation | Ratio (mg) | Hydration Volume (mL) | Molar Ratio (%) | Total Volume (mL) |
|---|---|---|---|---|
| BN−T Span 60/Cholesterol | 12.90:11.40 | 10.00 | 50:50 | 10.00 |
| TN−T Span 60/Cholesterol/T | 12.90:11.40:100 | 10.00 | 50:50 | 10.00 |
| CN−T Span 60/Cholesterol/C | 12.90:11.40:100 | 10.00 | 50:50 | 10.00 |
| MRN−T Span 60/Cholesterol/MR | 12.90:11.40:100 | 10.00 | 50:50 | 10.00 |
Disclaimer/Publisher’s Note: The statements, opinions and data contained in all publications are solely those of the individual author(s) and contributor(s) and not of MDPI and/or the editor(s). MDPI and/or the editor(s) disclaim responsibility for any injury to people or property resulting from any ideas, methods, instructions or products referred to in the content. |
© 2024 by the authors. Licensee MDPI, Basel, Switzerland. This article is an open access article distributed under the terms and conditions of the Creative Commons Attribution (CC BY) license (https://creativecommons.org/licenses/by/4.0/).
Share and Cite
Kanpipit, N.; Mattariganont, S.; Janphuang, P.; Rongsak, J.; Daduang, S.; Chulikhit, Y.; Thapphasaraphong, S. Comparative Study of Lycopene-Loaded Niosomes Prepared by Microfluidic and Thin-Film Hydration Techniques for UVB Protection and Anti-Hyperpigmentation Activity. Int. J. Mol. Sci. 2024, 25, 11717. https://doi.org/10.3390/ijms252111717
Kanpipit N, Mattariganont S, Janphuang P, Rongsak J, Daduang S, Chulikhit Y, Thapphasaraphong S. Comparative Study of Lycopene-Loaded Niosomes Prepared by Microfluidic and Thin-Film Hydration Techniques for UVB Protection and Anti-Hyperpigmentation Activity. International Journal of Molecular Sciences. 2024; 25(21):11717. https://doi.org/10.3390/ijms252111717
Chicago/Turabian StyleKanpipit, Nattawadee, Sakornchon Mattariganont, Pattanaphong Janphuang, Jureewan Rongsak, Sakda Daduang, Yaowared Chulikhit, and Suthasinee Thapphasaraphong. 2024. "Comparative Study of Lycopene-Loaded Niosomes Prepared by Microfluidic and Thin-Film Hydration Techniques for UVB Protection and Anti-Hyperpigmentation Activity" International Journal of Molecular Sciences 25, no. 21: 11717. https://doi.org/10.3390/ijms252111717
APA StyleKanpipit, N., Mattariganont, S., Janphuang, P., Rongsak, J., Daduang, S., Chulikhit, Y., & Thapphasaraphong, S. (2024). Comparative Study of Lycopene-Loaded Niosomes Prepared by Microfluidic and Thin-Film Hydration Techniques for UVB Protection and Anti-Hyperpigmentation Activity. International Journal of Molecular Sciences, 25(21), 11717. https://doi.org/10.3390/ijms252111717

