Lactoferrin Modulates Induction of Transcription Factor c-Fos in Neuronal Cultures
Abstract
1. Introduction
2. Results
2.1. Dynamics of hLf Penetration into the Cytoplasm and Nucleus of Cells in the Mouse Primary Culture of the Hippocampus
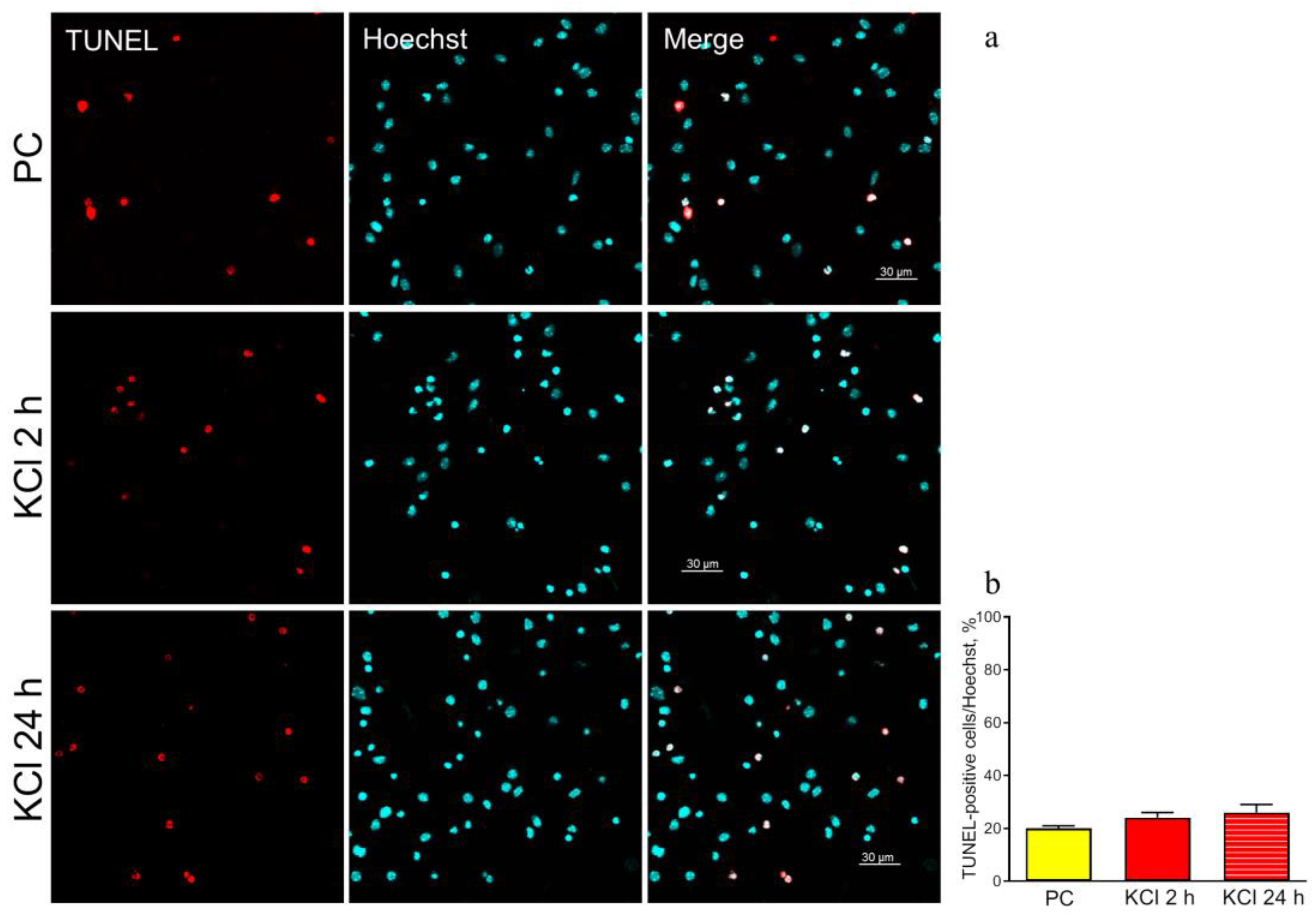
2.2. Evaluation of Genomic DNA Fragmentation in Cultured Cells after Stimulation
2.3. Effect of hLf on the Expression of Transcription Factor c-Fos
3. Discussion
4. Materials and Methods
4.1. Experimental Groups and Stimulation
4.2. Evaluation of Genomic DNA Fragmentation in Cultured Neuronal Cells after Stimulation
4.3. Dynamics of hLf Penetration into the Cytoplasm and Nucleus of Hippocampal Cells
4.4. Immunocytochemical Detection of Proteins
4.5. Statistical Analysis
5. Conclusions
Author Contributions
Funding
Institutional Review Board Statement
Informed Consent Statement
Data Availability Statement
Acknowledgments
Conflicts of Interest
References
- Ward, P.P.; Conneely, O.M. Lactoferrin: Role in Iron Homeostasis and Host Defense against Microbial Infection. Biometals 2004, 17, 203–208. [Google Scholar] [CrossRef] [PubMed]
- Johnson, E.E.; Wessling-Resnick, M. Iron Metabolism and the Innate Immune Response to Infection. Microbes Infect. 2012, 14, 207–216. [Google Scholar] [CrossRef] [PubMed]
- García-Montoya, I.A.; Cendón, T.S.; Arévalo-Gallegos, S.; Rascón-Cruz, Q. Lactoferrin a Multiple Bioactive Protein: An Overview. Biochim. Biophys. Acta BBA-Gen. Subj. 2012, 1820, 226–236. [Google Scholar] [CrossRef] [PubMed]
- Kopaeva, M.Y.; Alchinova, I.B.; Cherepov, A.B.; Demorzhi, M.S.; Nesterenko, M.V.; Zarayskaya, I.Y.; Karganov, M.Y. New Properties of a Well-Known Antioxidant: Pleiotropic Effects of Human Lactoferrin in Mice Exposed to Gamma Irradiation in a Sublethal Dose. Antioxidants 2022, 11, 1833. [Google Scholar] [CrossRef] [PubMed]
- Kopaeva, M.Y.; Alchinova, I.B.; Nesterenko, M.V.; Cherepov, A.B.; Zarayskaya, I.Y.; Karganov, M.Y. Lactoferrin beneficially influences the recovery of physiological and behavioral indexes in mice exposed to acute gamma-irradiation. Nauchno-Prakt. Zhurnal Patog. 2020, 18, 29–33. [Google Scholar] [CrossRef]
- Liu, H.; Wu, H.; Zhu, N.; Xu, Z.; Wang, Y.; Qu, Y.; Wang, J. Lactoferrin Protects against Iron Dysregulation, Oxidative Stress, and Apoptosis in 1-methyl-4-phenyl-1,2,3,6-tetrahydropyridine (MPTP)-induced Parkinson’s Disease in Mice. J. Neurochem. 2020, 152, 397–415. [Google Scholar] [CrossRef] [PubMed]
- Li, Y.-Q.; Guo, C. A Review on Lactoferrin and Central Nervous System Diseases. Cells 2021, 10, 1810. [Google Scholar] [CrossRef]
- Kopaeva, M.Y.; Cherepov, A.B.; Nesterenko, M.V.; Zarayskaya, I.Y. Pretreatment with Human Lactoferrin Had a Positive Effect on the Dynamics of Mouse Nigrostriatal System Recovery after Acute MPTP Exposure. Biology 2021, 10, 24. [Google Scholar] [CrossRef]
- Schirmbeck, G.H.; Sizonenko, S.; Sanches, E.F. Neuroprotective Role of Lactoferrin during Early Brain Development and Injury through Lifespan. Nutrients 2022, 14, 2923. [Google Scholar] [CrossRef]
- Chen, Y.; Zheng, Z.; Zhu, X.; Shi, Y.; Tian, D.; Zhao, F.; Liu, N.; Hüppi, P.S.; Troy, F.A.; Wang, B. Lactoferrin Promotes Early Neurodevelopment and Cognition in Postnatal Piglets by Upregulating the BDNF Signaling Pathway and Polysialylation. Mol. Neurobiol. 2015, 52, 256–269. [Google Scholar] [CrossRef]
- Wang, B. Molecular Determinants of Milk Lactoferrin as a Bioactive Compound in Early Neurodevelopment and Cognition. J. Pediatr. 2016, 173, S29–S36. [Google Scholar] [CrossRef] [PubMed]
- Fillebeen, C.; Ruchoux, M.-M.; Mitchell, V.; Vincent, S.; Benaıssa, M.; Pierce, A. Lactoferrin Is Synthesized by Activated Microglia in the Human Substantia Nigra and Its Synthesis by the Human Microglial CHME Cell Line Is Upregulated by Tumor Necrosis Factor a or 1-Methyl-4-Phenylpyridinium Treatment. Mol. Brain Res. 2001, 96, 103–113. [Google Scholar] [CrossRef] [PubMed]
- Adlerova, L.; Bartoskova, A.; Faldyna, M. Lactoferrin: A Review. Veterinární Med. 2008, 53, 457–468. [Google Scholar] [CrossRef]
- Actor, J.; Hwang, S.-A.; Kruzel, M. Lactoferrin as a Natural Immune Modulator. Curr. Pharm. Des. 2009, 15, 1956–1973. [Google Scholar] [CrossRef]
- Kopaeva, Y.; Cherepov, A.B.; Zarayskaya, I.Y.; Nesterenko, M.V. Transport of Human Lactoferrin into Mouse Brain: Administration Routes and Distribution. Bull. Exp. Biol. Med. 2019, 167, 561–567. [Google Scholar] [CrossRef]
- Anokhin, K.V. Towards synthesis of systems and molecular genetics approaches to memory consolidation. J. High. Nerv. Act. 1997, 47, 157–169. [Google Scholar]
- Curran, T.; Morgan, J.I. Fos: An Immediate-Early Transcription Factor in Neurons. J. Neurobiol. 1995, 26, 403–412. [Google Scholar] [CrossRef]
- Ivashkina, O.I.; Gruzdeva, A.M.; Roshchina, M.A.; Toropova, K.A.; Anokhin, K.V. Imaging of C-Fos Activity in Neurons of the Mouse Parietal Association Cortex during Acquisition and Retrieval of Associative Fear Memory. Int. J. Mol. Sci. 2021, 22, 8244. [Google Scholar] [CrossRef]
- Zhang, J.; Zhang, D.; McQuade, J.S.; Behbehani, M.; Tsien, J.Z.; Xu, M. C-Fos Regulates Neuronal Excitability and Survival. Nat. Genet. 2002, 30, 416–420. [Google Scholar] [CrossRef]
- Miyashita, T.; Kikuchi, E.; Horiuchi, J.; Saitoe, M. Long-Term Memory Engram Cells Are Established by c-Fos/CREB Transcriptional Cycling. Cell Rep. 2018, 25, 2716–2728.e3. [Google Scholar] [CrossRef]
- Yap, E.-L.; Greenberg, M.E. Activity-Regulated Transcription: Bridging the Gap between Neural Activity and Behavior. Neuron 2018, 100, 330–348. [Google Scholar] [CrossRef] [PubMed]
- Sukhanova, A.L.; Mineyeva, O.A.; Kiselev, I.I.; Burtsev, M.S.; Anokhin, K.V. Detection of Trace Processes in the Networks of Neurons Cultured on Microelectrode Arrays. Bull. Exp. Biol. Med. 2012, 153, 594–597. [Google Scholar] [CrossRef] [PubMed]
- Da Silva, J.C.; Scorza, F.A.; Nejm, M.B.; Cavalheiro, E.A.; Cukiert, A. C-FOS Expression after Hippocampal Deep Brain Stimulation in Normal Rats. Neuromodul. Technol. Neural Interface 2014, 17, 213–217. [Google Scholar] [CrossRef] [PubMed]
- Schoenenberger, P.; Gerosa, D.; Oertner, T.G. Temporal Control of Immediate Early Gene Induction by Light. PLoS ONE 2009, 4, e8185. [Google Scholar] [CrossRef] [PubMed]
- Silva, A.P.; Malva, J.O.; Carvalho, A.P.; Carvalho, C.M. Role of Kainate Receptor Activation and Desensitization on the [Ca2+]i Changes in Cultured Rat Hippocampal Neurons. J. Neurosci. Res. 2001, 65, 378–386. [Google Scholar] [CrossRef] [PubMed]
- Resende, R.; Pereira, C.; Agostinho, P.; Vieira, A.P.; Malva, J.O.; Oliveira, C.R. Susceptibility of Hippocampal Neurons to Aβ Peptide Toxicity Is Associated with Perturbation of Ca2+ Homeostasis. Brain Res. 2007, 1143, 11–21. [Google Scholar] [CrossRef] [PubMed]
- Maiti, P.; Al-Gharaibeh, A.; Kolli, N.; Dunbar, G.L. Solid Lipid Curcumin Particles Induce More DNA Fragmentation and Cell Death in Cultured Human Glioblastoma Cells than Does Natural Curcumin. Oxid. Med. Cell. Longev. 2017, 2017, 9656719. [Google Scholar] [CrossRef]
- Suzuki, Y.A.; Lönnerdal, B. Characterization of Mammalian Receptors for Lactoferrin. Biochem. Cell Biol. 2002, 80, 75–80. [Google Scholar] [CrossRef]
- Wang, J.; Bi, M.; Liu, H.; Song, N.; Xie, J. The Protective Effect of Lactoferrin on Ventral Mesencephalon Neurons against MPP+ Is Not Connected with Its Iron Binding Ability. Sci. Rep. 2015, 5, 10729. [Google Scholar] [CrossRef]
- Legrand, D.; Vigie, K.; Said, E.A.; Elass, E.; Masson, M.; Slomianny, M.-C.; Carpentier, M.; Briand, J.-P.; Mazurier, J.; Hovanessian, A.G. Surface Nucleolin Participates in Both the Binding and Endocytosis of Lactoferrin in Target Cells. Eur. J. Biochem. 2004, 271, 303–317. [Google Scholar] [CrossRef]
- Suzuki, Y.A.; Wong, H.; Ashida, K.; Schryvers, A.B.; Lönnerdal, B. The N1 Domain of Human Lactoferrin Is Required for Internalization by Caco-2 Cells and Targeting to the Nucleus. Biochemistry 2008, 47, 10915–10920. [Google Scholar] [CrossRef] [PubMed]
- Mayeur, S.; Spahis, S.; Pouliot, Y.; Levy, E. Lactoferrin, a Pleiotropic Protein in Health and Disease. Antioxid. Redox Signal. 2016, 24, 813–836. [Google Scholar] [CrossRef] [PubMed]
- Perry, R.B.-T.; Rishal, I.; Doron-Mandel, E.; Kalinski, A.L.; Medzihradszky, K.F.; Terenzio, M.; Alber, S.; Koley, S.; Lin, A.; Rozenbaum, M.; et al. Nucleolin-Mediated RNA Localization Regulates Neuron Growth and Cycling Cell Size. Cell Rep. 2016, 16, 1664–1676. [Google Scholar] [CrossRef] [PubMed]
- Jia, W.; Yao, Z.; Zhao, J.; Guan, Q.; Gao, L. New Perspectives of Physiological and Pathological Functions of Nucleolin (NCL). Life Sci. 2017, 186, 1–10. [Google Scholar] [CrossRef]
- Tuccari, G.; Barresi, G. Lactoferrin in Human Tumours: Immunohistochemical Investigations during More than 25 Years. Biometals 2011, 24, 775–784. [Google Scholar] [CrossRef]
- Akiyama, Y.; Oshima, K.; Shin, K.; Wakabayashi, H.; Abe, F.; Nadano, D.; Matsuda, T. Intracellular Retention and Subsequent Release of Bovine Milk Lactoferrin Taken Up by Human Enterocyte-like Cell Lines, Caco-2, C2BBe1 and HT-29. Biosci. Biotechnol. Biochem. 2013, 77, 1023–1029. [Google Scholar] [CrossRef]
- Liu, D.; Wang, X.; Zhang, Z.; Teng, C.T. An Intronic Alternative Promoter of the Human Lactoferrin Gene Is Activated by Ets. Biochem. Biophys. Res. Commun. 2003, 301, 472–479. [Google Scholar] [CrossRef]
- Baumrucker, C.R.; Schanbacher, F.; Shang, Y.; Green, M.H. Lactoferrin Interaction with Retinoid Signaling: Cell Growth and Apoptosis in Mammary Cells. Domest. Anim. Endocrinol. 2006, 30, 289–303. [Google Scholar] [CrossRef]
- Tammam, S.N.; Azzazy, H.M.E.; Lamprecht, A. Nuclear and Cytoplasmic Delivery of Lactoferrin in Glioma Using Chitosan Nanoparticles: Cellular Location Dependent-Action of Lactoferrin. Eur. J. Pharm. Biopharm. 2018, 129, 74–79. [Google Scholar] [CrossRef]
- Penco, S.; Scarfi, S.; Giovine, M.; Damonte, G.; Millo, E.; Villaggio, B.; Passalacqua, M.; Pozzolini, M.; Garrè, C.; Benatti, U. Identification of an Import Signal for, and the Nuclear Localization of, Human Lactoferrin. Biotechnol. Appl. Biochem. 2001, 34, 151. [Google Scholar] [CrossRef]
- Okuno, H. Regulation and Function of Immediate-Early Genes in the Brain: Beyond Neuronal Activity Markers. Neurosci. Res. 2011, 69, 175–186. [Google Scholar] [CrossRef] [PubMed]
- Salery, M.; Godino, A.; Nestler, E.J. Drug-activated cells: From immediate early genes to neuronal ensembles in addiction. In Advances in Pharmacology; Elsevier: Amsterdam, The Netherlands, 2021; Volume 90, pp. 173–216. ISBN 978-0-12-822516-5. [Google Scholar]
- Balcerek, E.; Włodkowska, U.; Czajkowski, R. Retrosplenial Cortex in Spatial Memory: Focus on Immediate Early Genes Mapping. Mol. Brain 2021, 14, 172. [Google Scholar] [CrossRef] [PubMed]
- Mineeva, O.A.; Burtsev, M.S.; Anokhin, K.V. Studying the mechanisms of genomic and synaptic plasticity in neuronal cultures with microelectrode arrays. Zh. Vyssh. Nerv. Deiat. Im. I. P. Pavlova 2012, 62, 261–269. [Google Scholar] [PubMed]
- Bading, H.; Ginty, D.D.; Greenbergt, M.E. Regulation of Gene Expression in Hippocampal Neurons by Distinct Calcium Signaling Pathways. Science 1993, 260, 181–186. [Google Scholar] [CrossRef]
- Xu, S.-F.; Zhang, Y.-H.; Wang, S.; Pang, Z.-Q.; Fan, Y.-G.; Li, J.-Y.; Wang, Z.-Y.; Guo, C. Lactoferrin Ameliorates Dopaminergic Neurodegeneration and Motor Deficits in MPTP-Treated Mice. Redox Biol. 2019, 21, 101090. [Google Scholar] [CrossRef] [PubMed]
- Mika, A.; Gaffney, M.; Roller, R.; Hills, A.; Bouchet, C.A.; Hulen, K.A.; Thompson, R.S.; Chichlowski, M.; Berg, B.M.; Fleshner, M. Feeding the Developing Brain: Juvenile Rats Fed Diet Rich in Prebiotics and Bioactive Milk Fractions Exhibit Reduced Anxiety-Related Behavior and Modified Gene Expression in Emotion Circuits. Neurosci. Lett. 2018, 677, 103–109. [Google Scholar] [CrossRef]
- Legrand, D.; Elass, E.; Carpentier, M.; Mazurier, J. Interactions of Lactoferrin with Cells Involved in Immune Function. Biochem. Cell Biol. 2006, 84, 282–290. [Google Scholar] [CrossRef]
- Zimecki, M.; Mazurier, J. Human Lactoferrin Induces Phenotypic and Functional Changes in Murine Splenic B Cells. Immunology 1995, 86, 122–127. [Google Scholar]
- Suzuki, Y.A.; Lopez, V.; Lönnerdal, B. Lactoferrin: Mammalian Lactoferrin Receptors: Structure and Function. Cell. Mol. Life Sci. 2005, 62, 2560–2575. [Google Scholar] [CrossRef]
- Perdijk, O.; van Neerven, R.; van den Brink, E.; Savelkoul, H.; Brugman, S. Bovine Lactoferrin Modulates Dendritic Cell Differentiation and Function. Nutrients 2018, 10, 848. [Google Scholar] [CrossRef]
- Kopaeva, M.Y.; Cherepov, A.B.; Zarayskaya, I.Y. Effects of human lactoferrin under conditions of neurotoxic exposure: Experimental research. Russ. Mil. Med. Acad. Rep. 2022, 41, 385–392. [Google Scholar] [CrossRef]
- Caring for Animals Aiming for Better Science. Directive 2010/63/EU on the Protection of Animals Used for Scientific Purposes. Available online: https://ec.europa.eu/environment/chemicals/lab_animals/pdf/guidance/directive/en.pdf (accessed on 27 March 2023).
- Kaech, S.; Banker, G. Culturing Hippocampal Neurons. Nat. Protoc. 2006, 1, 2406–2415. [Google Scholar] [CrossRef] [PubMed]
- Seibenhener, M.L.; Wooten, M.W. Isolation and Culture of Hippocampal Neurons from Prenatal Mice. J. Vis. Exp. 2012, 65, 3634. [Google Scholar] [CrossRef]
- Barykina, N.V.; Subach, O.M.; Doronin, D.A.; Sotskov, V.P.; Roshchina, M.A.; Kunitsyna, T.A.; Malyshev, A.Y.; Smirnov, I.V.; Azieva, A.M.; Sokolov, I.S.; et al. A New Design for a Green Calcium Indicator with a Smaller Size and a Reduced Number of Calcium-Binding Sites. Sci. Rep. 2016, 6, 34447. [Google Scholar] [CrossRef]
- Zhang, N.; Xing, Y.; Yu, Y.; Liu, C.; Jin, B.; Huo, L.; Kong, D.; Yang, Z.; Zhang, X.; Zheng, R.; et al. Influence of Human Amylin on the Membrane Stability of Rat Primary Hippocampal Neurons. Aging 2020, 12, 8923–8938. [Google Scholar] [CrossRef]
- Chen, W.-K.; Feng, L.-J.; Liu, Q.-D.; Ke, Q.-F.; Cai, P.-Y.; Zhang, P.-R.; Cai, L.-Q.; Huang, N.-L.; Lin, W.-P. Inhibition of Leucine-Rich Repeats and Calponin Homology Domain Containing 1 Accelerates Microglia-Mediated Neuroinflammation in a Rat Traumatic Spinal Cord Injury Model. J. Neuroinflamm. 2020, 17, 202. [Google Scholar] [CrossRef]
- Ben Yakir-Blumkin, M.; Loboda, Y.; Schächter, L.; Finberg, J.P.M. Neuroprotective Effect of Weak Static Magnetic Fields in Primary Neuronal Cultures. Neuroscience 2014, 278, 313–326. [Google Scholar] [CrossRef]









Disclaimer/Publisher’s Note: The statements, opinions and data contained in all publications are solely those of the individual author(s) and contributor(s) and not of MDPI and/or the editor(s). MDPI and/or the editor(s) disclaim responsibility for any injury to people or property resulting from any ideas, methods, instructions or products referred to in the content. |
© 2023 by the authors. Licensee MDPI, Basel, Switzerland. This article is an open access article distributed under the terms and conditions of the Creative Commons Attribution (CC BY) license (https://creativecommons.org/licenses/by/4.0/).
Share and Cite
Kopaeva, M.Y.; Azieva, A.M.; Cherepov, A.B.; Zarayskaya, I.Y. Lactoferrin Modulates Induction of Transcription Factor c-Fos in Neuronal Cultures. Int. J. Mol. Sci. 2023, 24, 8373. https://doi.org/10.3390/ijms24098373
Kopaeva MY, Azieva AM, Cherepov AB, Zarayskaya IY. Lactoferrin Modulates Induction of Transcription Factor c-Fos in Neuronal Cultures. International Journal of Molecular Sciences. 2023; 24(9):8373. https://doi.org/10.3390/ijms24098373
Chicago/Turabian StyleKopaeva, Marina Yu., Asya M. Azieva, Anton B. Cherepov, and Irina Yu. Zarayskaya. 2023. "Lactoferrin Modulates Induction of Transcription Factor c-Fos in Neuronal Cultures" International Journal of Molecular Sciences 24, no. 9: 8373. https://doi.org/10.3390/ijms24098373
APA StyleKopaeva, M. Y., Azieva, A. M., Cherepov, A. B., & Zarayskaya, I. Y. (2023). Lactoferrin Modulates Induction of Transcription Factor c-Fos in Neuronal Cultures. International Journal of Molecular Sciences, 24(9), 8373. https://doi.org/10.3390/ijms24098373

