Altered GABAA Receptor Expression in the Primary Somatosensory Cortex of a Mouse Model of Genetic Absence Epilepsy
Abstract
1. Introduction
2. Results
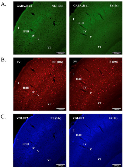
2.1. GABAAR α1 Is Expressed in all Primary SoCx Layers
2.2. Reduced GABAAR α1 Levels in the Stargazer Primary SoCx with no Change Seen in Other Subunits
2.3. Verification of the Biochemical Fractionation Technique
2.4. Synaptic GABAAR α1 Is Significantly Reduced in Stargazer Primary SoCx with No Significant Subcellular Change in Other GABAAR Subunits
2.5. PV+ Feed-Forward Inhibitory Interneurons Show No Overall Change in Synaptic GABAAR α1
3. Discussion
3.1. Altered Synaptic GABAAR α1 Expression in the Stargazer Primary SoCx
3.2. GABAAR α1 Is Not Altered at Synapses from PV+ Interneurons Onto Targets
3.3. Impact of Altered Cortical Inhibition
3.4. Conclusions
4. Materials and Methods
4.1. Animals
4.2. Immunofluorescence Confocal Microsocopy
4.3. Western Blotting
4.4. Biochemical Fractionation
4.5. ICC-EM
4.6. Statistical Analyses
Supplementary Materials
Author Contributions
Funding
Institutional Review Board Statement
Informed Consent Statement
Data Availability Statement
Acknowledgments
Conflicts of Interest
References
- Crunelli, V.; Lorincz, M.L.; McCafferty, C.; Lambert, R.C.; Leresche, N.; Di Giovanni, G.; David, F. Clinical and experimental insight into pathophysiology, comorbidity and therapy of absence seizures. Brain 2020, 143, 2341–2368. [Google Scholar] [CrossRef] [PubMed]
- Blumenfeld, H. Cellular and network mechanisms of spike-wave seizures. Epilepsia 2005, 46, 21–33. [Google Scholar] [CrossRef] [PubMed]
- Kessler, S.K.; McGinnis, E. A Practical Guide to Treatment of Childhood Absence Epilepsy. Paediatr. Drugs 2019, 21, 15–24. [Google Scholar] [CrossRef]
- McCormick, D.A.; Contreras, D. On the cellular and network bases of epileptic seizures. Annu. Rev. Physiol. 2001, 63, 815–846. [Google Scholar] [CrossRef]
- Cossette, P.; Liu, L.D.; Brisebois, K.; Dong, H.H.; Lortie, A.; Vanasse, M.; Saint-Hilaire, J.M.; Carmant, L.; Verner, A.; Lu, W.Y.; et al. Mutation of GABRA1 in an autosomal dominant form of juvenile myoclonic epilepsy. Nat. Genet. 2002, 31, 184–189. [Google Scholar] [CrossRef]
- Maljevic, S.; Krampfl, K.; Rebstock, J.; Tilgen, N.; Weber, Y.G.; Cossette, P.; Rouleau, G.; Bufler, J.; Lerche, H.; Heils, A. A de novo mutation of the GABA(A) receptor alpha1-subunit associated with childhood absence epilepsy in a single patient. Epilepsia 2004, 45, 119. [Google Scholar]
- Baulac, S.; An-Gourfinkel, I.; Prud’homme, J.F.; Baulac, M.; Bruzzone, R.; Brice, A.; Le Guern, E. First genetic evidence of GABA(A) receptor dysfunction in epilepsy. M S-Med. Sci 2001, 17, 908–909. [Google Scholar] [CrossRef][Green Version]
- Wallace, R.H.; Marini, C.; Petrou, S.; Harkin, L.A.; Bowser, D.N.; Panchal, R.G.; Williams, D.A.; Sutherland, G.R.; Mulley, J.C.; Scheffer, I.E.; et al. Mutant GABA(A) receptor gamma2-subunit in childhood absence epilepsy and febrile seizures. Nat. Genet. 2001, 28, 49–52. [Google Scholar] [CrossRef]
- Harkin, L.A.; Bowser, D.N.; Dibbens, L.M.; Singh, R.; Phillips, F.; Wallace, R.H.; Richards, M.C.; Williams, D.A.; Mulley, J.C.; Berkovic, S.F.; et al. Truncation of the GABA(A)-receptor gamma 2 subunit in a family with generalized epilepsy with febrile seizures plus. Am. J. Hum. Genet. 2002, 70, 530–536. [Google Scholar] [CrossRef]
- Kananura, C.; Haug, K.; Sander, T.; Runge, U.; Gu, W.L.; Hallmann, K.; Rebstock, J.; Heils, A.; Steinlein, O.K. A splice-site mutation in GABRG2 associated with childhood absence epilepsy and febrile convulsions. Arch. Neurol. 2002, 59, 1137–1141. [Google Scholar] [CrossRef]
- Tan, H.O.; Reid, C.A.; Single, F.N.; Davies, P.J.; Chiu, C.; Murphy, S.; Clarke, A.L.; Dibbens, L.; Krestel, H.; Mulley, J.C.; et al. Reduced cortical inhibition in a mouse model of familial childhood absence epilepsy. Proc. Nat. Acad. Sci. USA 2007, 104, 17536–17541. [Google Scholar] [CrossRef] [PubMed]
- Zhou, C.; Huang, Z.; Ding, L.; Deel, M.E.; Arain, F.M.; Murray, C.R.; Patel, R.S.; Flanagan, C.D.; Gallagher, M.J. Altered cortical GABAA receptor composition, physiology, and endocytosis in a mouse model of a human genetic absence epilepsy syndrome. J. Biol. Chem. 2013, 288, 21458–21472. [Google Scholar] [CrossRef] [PubMed]
- Zhou, C.; Ding, L.; Deel, M.E.; Ferrick, E.A.; Emeson, R.B.; Gallagher, M.J. Altered intrathalamic GABA(A) neurotransmission in a mouse model of a human genetic absence epilepsy syndrome. Neurobiol. Dis. 2015, 73, 407–417. [Google Scholar] [CrossRef] [PubMed][Green Version]
- Witsch, J.; Golkowski, D.; Hahn, T.T.; Petrou, S.; Spors, H. Cortical alterations in a model for absence epilepsy and febrile seizures: In vivo findings in mice carrying a human GABA(A)R gamma2 subunit mutation. Neurobiol. Dis. 2015, 77, 62–70. [Google Scholar] [CrossRef] [PubMed]
- Currie, S.P.; Luz, L.L.; Booker, S.A.; Wyllie, D.J.; Kind, P.C.; Daw, M.I. Reduced local input to fast-spiking interneurons in the somatosensory cortex in the GABAA gamma2 R43Q mouse model of absence epilepsy. Epilepsia 2017, 58, 597–607. [Google Scholar] [CrossRef]
- Crunelli, V.; Cope, D.W.; Terry, J.R. Transition to absence seizures and the role of GABA(A) receptors. Epilepsy Res. 2011, 97, 283–289. [Google Scholar] [CrossRef]
- Letts, V.A. Stargazer—A mouse to seize! Epilepsy Curr. 2005, 5, 161–165. [Google Scholar] [CrossRef]
- Letts, V.A.; Felix, R.; Biddlecome, G.H.; Arikkath, J.; Mahaffey, C.L.; Valenzuela, A.; Bartlett, F.S., 2nd; Mori, Y.; Campbell, K.P.; Frankel, W.N. The mouse stargazer gene encodes a neuronal Ca2+-channel gamma subunit. Nat. Genet. 1998, 19, 340–347. [Google Scholar] [CrossRef]
- Barad, Z.; Shevtsova, O.; Arbuthnott, G.W.; Leitch, B. Selective loss of AMPA receptors at corticothalamic synapses in the epileptic stargazer mouse. Neuroscience 2012, 217, 19–31. [Google Scholar] [CrossRef]
- Adotevi, N.K.; Leitch, B. Synaptic Changes in AMPA Receptor Subunit Expression in Cortical Parvalbumin Interneurons in the Stargazer Model of Absence Epilepsy. Front. Mol. Neurosci. 2017, 10, 434. [Google Scholar] [CrossRef]
- Adotevi, N.K.; Leitch, B. Alterations in AMPA receptor subunit expression in cortical inhibitory interneurons in the epileptic stargazer mutant mouse. Neuroscience 2016, 339, 124–138. [Google Scholar] [CrossRef] [PubMed]
- Adotevi, N.K.; Leitch, B. Cortical expression of AMPA receptors during postnatal development in a genetic model of absence epilepsy. Int. J. Dev. Neurosci. 2018, 73, 19–25. [Google Scholar] [CrossRef] [PubMed]
- Panthi, S.; Leitch, B. The impact of silencing feed-forward parvalbumin-expressing inhibitory interneurons in the cortico-thalamocortical network on seizure generation and behaviour. Neurobiol. Dis. 2019, 132, 104610. [Google Scholar] [CrossRef]
- Panthi, S.; Leitch, B. Chemogenetic Activation of Feed-Forward Inhibitory Parvalbumin-Expressing Interneurons in the Cortico-Thalamocortical Network During Absence Seizures. Front. Cell. Neurosci. 2021, 15, 688905. [Google Scholar] [CrossRef] [PubMed]
- Payne, H.L.; Connelly, W.M.; Ives, J.H.; Lehner, R.; Furtmuller, B.; Sieghart, W.; Tiwari, P.; Lucocq, J.M.; Lees, G.; Thompson, C.L. GABAA alpha6-containing receptors are selectively compromised in cerebellar granule cells of the ataxic mouse, stargazer. J. Biol. Chem. 2007, 282, 29130–29143. [Google Scholar] [CrossRef]
- Qiao, X.; Hefti, F.; Knusel, B.; Noebels, J.L. Selective failure of brain-derived neurotrophic factor mRNA expression in the cerebellum of stargazer, a mutant mouse with ataxia. J. Neurosci. 1996, 16, 640–648. [Google Scholar] [CrossRef] [PubMed][Green Version]
- Thompson, C.L.; Tehrani, M.H.; Barnes, E.M., Jr.; Stephenson, F.A. Decreased expression of GABAA receptor alpha6 and beta3 subunits in stargazer mutant mice: A possible role for brain-derived neurotrophic factor in the regulation of cerebellar GABAA receptor expression? Brain Res. Mol. Brain Res. 1998, 60, 282–290. [Google Scholar] [CrossRef]
- Seo, S.; Leitch, B. Altered thalamic GABAA-receptor subunit expression in the stargazer mouse model of absence epilepsy. Epilepsia 2014, 55, 224–232. [Google Scholar] [CrossRef]
- Seo, S.; Leitch, B. Synaptic changes in GABAA receptor expression in the thalamus of the stargazer mouse model of absence epilepsy. Neuroscience 2015, 306, 28–38. [Google Scholar] [CrossRef]
- Seo, S.; Leitch, B. Postnatal expression of thalamic GABAA receptor subunits in the stargazer mouse model of absence epilepsy. Neuroreport 2017, 28, 1255–1260. [Google Scholar] [CrossRef]
- Farrant, M.; Nusser, Z. Variations on an inhibitory theme: Phasic and tonic activation of GABA(A) receptors. Nat. Rev. Neurosci. 2005, 6, 215–229. [Google Scholar] [CrossRef] [PubMed]
- Crunelli, V.; Leresche, N.; Cope, D.W. GABA-A Receptor Function in Typical Absence Seizures. In Jasper’s Basic Mechanisms of the Epilepsies, 4th ed.; Noebels, J.L., Avoli, M., Rogawski, M.A., Olsen, R.W., Delgado-Escueta, A.V., Eds.; National Center for Biotechnology Information (US): Bethesda, MD, USA, 2012. [Google Scholar]
- Cope, D.W.; Hughes, S.W.; Crunelli, V. GABAA receptor-mediated tonic inhibition in thalamic neurons. J. Neurosci. 2005, 25, 11553–11563. [Google Scholar] [CrossRef] [PubMed]
- Cope, D.W.; Di Giovanni, G.; Fyson, S.J.; Orban, G.; Errington, A.C.; Lorincz, M.L.; Gould, T.M.; Carter, D.A.; Crunelli, V. Enhanced tonic GABAA inhibition in typical absence epilepsy. Nat. Med. 2009, 15, 1392–1398. [Google Scholar] [CrossRef] [PubMed]
- Meeren, H.K.; Pijn, J.P.; Van Luijtelaar, E.L.; Coenen, A.M.; Lopes da Silva, F.H. Cortical focus drives widespread corticothalamic networks during spontaneous absence seizures in rats. J. Neurosci. 2002, 22, 1480–1495. [Google Scholar] [CrossRef]
- Polack, P.O.; Guillemain, I.; Hu, E.; Deransart, C.; Depaulis, A.; Charpier, S. Deep layer somatosensory cortical neurons initiate spike-and-wave discharges in a genetic model of absence seizures. J. Neurosci. 2007, 27, 6590–6599. [Google Scholar] [CrossRef]
- McCafferty, C.; David, F.; Venzi, M.; Lorincz, M.L.; Delicata, F.; Atherton, Z.; Recchia, G.; Orban, G.; Lambert, R.C.; Di Giovanni, G.; et al. Cortical drive and thalamic feed-forward inhibition control thalamic output synchrony during absence seizures. Nat. Neurosci. 2018, 21, 744–756. [Google Scholar] [CrossRef]
- Polack, P.O.; Mahon, S.; Chavez, M.; Charpier, S. Inactivation of the Somatosensory Cortex Prevents Paroxysmal Oscillations in Cortical and Related Thalamic Neurons in a Genetic Model of Absence Epilepsy. Cereb. Cortex 2009, 19, 2078–2091. [Google Scholar] [CrossRef]
- Pirker, S.; Schwarzer, C.; Wieselthaler, A.; Sieghart, W.; Sperk, G. GABA(A) receptors: Immunocytochemical distribution of 13 subunits in the adult rat brain. Neuroscience 2000, 101, 815–850. [Google Scholar] [CrossRef]
- Sieghart, W.; Sperk, G. Subunit composition, distribution and function of GABA(A) receptor subtypes. Curr. Top. Med. Chem. 2002, 2, 795–816. [Google Scholar] [CrossRef]
- Whiting, P.J. GABA-A receptor subtypes in the brain: A paradigm for CNS drug discovery? Drug Discov. Today 2003, 8, 445–450. [Google Scholar] [CrossRef]
- Mohler, H. GABA(A) receptor diversity and pharmacology. Cell Tissue Res. 2006, 326, 505–516. [Google Scholar] [CrossRef] [PubMed]
- Rudolph, U.; Mohler, H. GABA-based therapeutic approaches: GABAA receptor subtype functions. Curr. Opin. Pharmacol. 2006, 6, 18–23. [Google Scholar] [CrossRef] [PubMed]
- Nutt, D. GABA(A) Receptors: Subtypes, Regional Distribution, and Function. J. Clin. Sleep Med. 2006, 2, S7–S11. [Google Scholar] [CrossRef] [PubMed]
- Packer, A.M.; Yuste, R. Dense, unspecific connectivity of neocortical parvalbumin-positive interneurons: A canonical microcircuit for inhibition? J. Neurosci. 2011, 31, 13260–13271. [Google Scholar] [CrossRef] [PubMed]
- Kralic, J.E.; Korpi, E.R.; O’Buckley, T.K.; Homanics, G.E.; Morrow, A.L. Molecular and pharmacological characterization of GABA(A) receptor alpha1 subunit knockout mice. J. Pharmacol. Exp. Ther. 2002, 302, 1037–1045. [Google Scholar] [CrossRef] [PubMed]
- McCafferty, C.; Celli, R.; Ngomba, R.T.; Nicoletti, F.; Crunelli, V. Genetic rescue of absence seizures. CNS Neurosci. Ther. 2018, 24, 745–758. [Google Scholar] [CrossRef] [PubMed]
- Fremeau, R.T., Jr.; Voglmaier, S.; Seal, R.P.; Edwards, R.H. VGLUTs define subsets of excitatory neurons and suggest novel roles for glutamate. Trends Neurosci. 2004, 27, 98–103. [Google Scholar] [CrossRef]
- Benarroch, E.E. Glutamate transporters: Diversity, function, and involvement in neurologic disease. Neurology 2010, 74, 259–264. [Google Scholar] [CrossRef]
- Coleman, J.E.; Nahmani, M.; Gavornik, J.P.; Haslinger, R.; Heynen, A.J.; Erisir, A.; Bear, M.F. Rapid Structural Remodeling of Thalamocortical Synapses Parallels Experience-Dependent Functional Plasticity in Mouse Primary Visual Cortex. J. Neurosci. 2010, 30, 9670–9682. [Google Scholar] [CrossRef] [PubMed]
- Nahmani, M.; Erisir, A. VGluT2 immunochemistry identifies thalamocortical terminals in layer 4 of adult and developing visual cortex. J. Comp. Neurol. 2005, 484, 458–473. [Google Scholar] [CrossRef]
- Beneyto, M.; Abbott, A.; Hashimoto, T.; Lewis, D.A. Lamina-specific alterations in cortical GABA(A) receptor subunit expression in schizophrenia. Cereb. Cortex 2011, 21, 999–1011. [Google Scholar] [CrossRef] [PubMed]
- Fishell, G. Perspectives on the developmental origins of cortical interneuron diversity. Novartis Found. Symp. 2007, 288, 21–35, discussion 35–44, 96–108. [Google Scholar] [PubMed]
- Tamamaki, N.; Yanagawa, Y.; Tomioka, R.; Miyazaki, J.; Obata, K.; Kaneko, T. Green fluorescent protein expression and colocalization with calretinin, parvalbumin, and somatostatin in the GAD67-GFP knock-in mouse. J. Comp. Neurol. 2003, 467, 60–79. [Google Scholar] [CrossRef] [PubMed]
- Xu, X.; Roby, K.D.; Callaway, E.M. Immunochemical characterization of inhibitory mouse cortical neurons: Three chemically distinct classes of inhibitory cells. J. Comp. Neurol. 2010, 518, 389–404. [Google Scholar] [CrossRef]
- Baude, A.; Bleasdale, C.; Dalezios, Y.; Somogyi, P.; Klausberger, T. Immunoreactivity for the GABAA receptor alpha1 subunit, somatostatin and Connexin36 distinguishes axoaxonic, basket, and bistratified interneurons of the rat hippocampus. Cereb. Cortex 2007, 17, 2094–2107. [Google Scholar] [CrossRef]
- Martenson, J.S.; Yamasaki, T.; Chaudhury, N.H.; Albrecht, D.; Tomita, S. Assembly rules for GABAA receptor complexes in the brain. Elife 2017, 6. [Google Scholar] [CrossRef]
- Baur, R.; Minier, F.; Sigel, E. A GABA(A) receptor of defined subunit composition and positioning: Concatenation of five subunits. FEBS Lett. 2006, 580, 1616–1620. [Google Scholar] [CrossRef]
- Beesley, P.W.; Mummery, R.; Tibaldi, J. N-cadherin is a major glycoprotein component of isolated rat forebrain postsynaptic densities. J. Neurochem. 1995, 64, 2288–2294. [Google Scholar] [CrossRef]
- Petersen, J.D.; Chen, X.B.; Vinade, L.; Dosemeci, A.; Lisman, J.E.; Reese, T.S. Distribution of postsynaptic density (PSD)-95 and Ca2+/calmodulin-dependent protein kinase II at the PSD. J. Neurosci. 2003, 23, 11270–11278. [Google Scholar] [CrossRef]
- Heller, E.A.; Zhang, W.; Selimi, F.; Earnheart, J.C.; Ślimak, M.A.; Santos-Torres, J.; Ibañez-Tallon, I.; Aoki, C.; Chait, B.T.; Heintz, N. The biochemical anatomy of cortical inhibitory synapses. PLoS ONE 2012, 7, e39572. [Google Scholar] [CrossRef]
- Tomita, S.; Chen, L.; Kawasaki, Y.; Petralia, R.S.; Wenthold, R.J.; Nicoll, R.A.; Bredt, D.S. Functional studies and distribution define a family of transmembrane AMPA receptor regulatory proteins. J. Cell Biol. 2003, 161, 805–816. [Google Scholar] [CrossRef] [PubMed]
- Barad, Z.; Grattan, D.R.; Leitch, B. NMDA Receptor Expression in the Thalamus of the Stargazer Model of Absence Epilepsy. Sci. Rep. 2017, 7, 42926. [Google Scholar] [CrossRef] [PubMed]
- Schubert, V.; Dotti, C.G. Transmitting on actin: Synaptic control of dendritic architecture. J. Cell Sci. 2007, 120, 205–212. [Google Scholar] [CrossRef] [PubMed]
- Inan, M.; Blazquez-Llorca, L.; Merchan-Perez, A.; Anderson, S.A.; DeFelipe, J.; Yuste, R. Dense and overlapping innervation of pyramidal neurons by chandelier cells. J. Neurosci. 2013, 33, 1907–1914. [Google Scholar] [CrossRef]
- Galarreta, M.; Hestrin, S. Electrical and chemical synapses among parvalbumin fast-spiking GABAergic interneurons in adult mouse neocortex. Proc. Natl. Acad. Sci. USA 2002, 99, 12438–12443. [Google Scholar] [CrossRef]
- Harris, K.M.; Weinberg, R.J. Ultrastructure of synapses in the mammalian brain. Cold Spring Harb. Perspect. Biol. 2012, 4. [Google Scholar] [CrossRef]
- Milenkovic, I.; Vasiljevic, M.; Maurer, D.; Hoger, H.; Klausberger, T.; Sieghart, W. The parvalbumin-positive interneurons in the mouse dentate gyrus express GABA(A) receptor subunits alphal, beta2, and delta along their extrasynaptic cell membrane. Neuroscience 2013, 254, 80–96. [Google Scholar] [CrossRef]
- Jafarian, M.; Modarres Mousavi, S.M.; Rahimi, S.; Ghaderi Pakdel, F.; Lotfinia, A.A.; Lotfinia, M.; Gorji, A. The effect of GABAergic neurotransmission on the seizure-related activity of the laterodorsal thalamic nuclei and the somatosensory cortex in a genetic model of absence epilepsy. Brain Res. 2021, 1757, 147304. [Google Scholar] [CrossRef]
- D’Antuono, M.; Inaba, Y.; Biagini, G.; D’Arcangelo, G.; Tancredi, V.; Avoli, M. Synaptic hyperexcitability of deep layer neocortical cells in a genetic model of absence seizures. Genes Brain Behav. 2006, 5, 73–84. [Google Scholar] [CrossRef]
- Pisu, M.G.; Mostallino, M.C.; Dore, R.; Mura, M.L.; Maciocco, E.; Russo, E.; De Sarro, G.; Serra, M. Neuroactive steroids and GABAA receptor plasticity in the brain of the WAG/Rij rat, a model of absence epilepsy. J. Neurochem. 2008, 106, 2502–2514. [Google Scholar] [CrossRef]
- Klausberger, T.; Roberts, J.D.; Somogyi, P. Cell type- and input-specific differences in the number and subtypes of synaptic GABA(A) receptors in the hippocampus. J. Neurosci. 2002, 22, 2513–2521. [Google Scholar] [CrossRef] [PubMed]
- Glausier, J.R.; Lewis, D.A. Selective pyramidal cell reduction of GABA(A) receptor alpha1 subunit messenger RNA expression in schizophrenia. Neuropsychopharmacology 2011, 36, 2103–2110. [Google Scholar] [CrossRef] [PubMed]
- Bartley, A.F.; Huang, Z.J.; Huber, K.M.; Gibson, J.R. Differential activity-dependent, homeostatic plasticity of two neocortical inhibitory circuits. J. Neurophysiol. 2008, 100, 1983–1994. [Google Scholar] [CrossRef] [PubMed][Green Version]
- Mele, M.; Costa, R.O.; Duarte, C.B. Alterations in GABA(A)-Receptor Trafficking and Synaptic Dysfunction in Brain Disorders. Front. Cell. Neurosci. 2019, 13, 77. [Google Scholar] [CrossRef] [PubMed]
- Papp, P.; Kovács, Z.; Szocsics, P.; Juhász, G.; Maglóczky, Z. Alterations in hippocampal and cortical densities of functionally different interneurons in rat models of absence epilepsy. Epilepsy Res. 2018, 145, 40–50. [Google Scholar] [CrossRef] [PubMed]
- Studer, F.; Laghouati, E.; Jarre, G.; David, O.; Pouyatos, B.; Depaulis, A. Sensory coding is impaired in rat absence epilepsy. J. Physiol. 2019, 597, 951–966. [Google Scholar] [CrossRef]
- Richardson, C.A.; Leitch, B. Cerebellar Golgi, Purkinje, and basket cells have reduced gamma-aminobutyric acid immunoreactivity in stargazer mutant mice. J. Comp. Neurol. 2002, 453, 85–99. [Google Scholar] [CrossRef]
- Leroy, C.; Poisbeau, P.; Keller, A.F.; Nehlig, A. Pharmacological plasticity of GABA(A) receptors at dentate gyrus synapses in a rat model of temporal lobe epilepsy. J. Physiol. 2004, 557, 473–487. [Google Scholar] [CrossRef]
- Leitch, B. The Impact of Glutamatergic Synapse Dysfunction in the Corticothalamocortical Network on Absence Seizure Generation. Front. Mol. Neurosci. 2022, 15, 836255. [Google Scholar] [CrossRef]
- Lacey, C.J.; Bryant, A.; Brill, J.; Huguenard, J.R. Enhanced NMDA receptor-dependent thalamic excitation and network oscillations in stargazer mice. J. Neurosci. 2012, 32, 11067–11081. [Google Scholar] [CrossRef]
- Yao, L.; Grand, T.; Hanson, J.E.; Paoletti, P.; Zhou, Q. Higher ambient synaptic glutamate at inhibitory versus excitatory neurons differentially impacts NMDA receptor activity. Nat. Commun. 2018, 9, 4000. [Google Scholar] [CrossRef] [PubMed]
- Fuentealba, P.; Steriade, M. The reticular nucleus revisited: Intrinsic and network properties of a thalamic pacemaker. Prog. Neurobiol. 2005, 75, 125–141. [Google Scholar] [CrossRef] [PubMed]
- Wang, Z.; Duan, L. The combined effects of the thalamic feed-forward inhibition and feed-back inhibition in controlling absence seizures. Nonlinear Dyn. 2022, 108, 191–205. [Google Scholar] [CrossRef]
- Princivalle, A.P.; Richards, D.A.; Duncan, J.S.; Spreafico, R.; Bowery, N.G. Modification of GABA(B1) and GABA(B2) receptor subunits in the somatosensory cerebral cortex and thalamus of rats with absence seizures (GAERS). Epilepsy Res. 2003, 55, 39–51. [Google Scholar] [CrossRef] [PubMed]
- Powell, K.L.; Kyi, M.; Reid, C.A.; Paradiso, L.; D’Abaco, G.M.; Kaye, A.H.; Foote, S.J.; O’Brien, T.J. Genetic absence epilepsy rats from Strasbourg have increased corticothalamic expression of stargazin. Neurobiol. Dis. 2008, 31, 261–265. [Google Scholar] [CrossRef] [PubMed]
- Kennard, J.T.; Barmanray, R.; Sampurno, S.; Ozturk, E.; Reid, C.A.; Paradiso, L.; D’Abaco, G.M.; Kaye, A.H.; Foote, S.J.; O’Brien, T.J.; et al. Stargazin and AMPA receptor membrane expression is increased in the somatosensory cortex of Genetic Absence Epilepsy Rats from Strasbourg. Neurobiol. Dis. 2011, 42, 48–54. [Google Scholar] [CrossRef]
- Pfeffer, C.K.; Xue, M.; He, M.; Huang, Z.J.; Scanziani, M. Inhibition of inhibition in visual cortex: The logic of connections between molecularly distinct interneurons. Nat. Neurosci. 2013, 16, 1068–1076. [Google Scholar] [CrossRef] [PubMed]
- Xu, H.; Jeong, H.Y.; Tremblay, R.; Rudy, B. Neocortical somatostatin-expressing GABAergic interneurons disinhibit the thalamorecipient layer 4. Neuron 2013, 77, 155–167. [Google Scholar] [CrossRef]
- Jarre, G.; Altwegg-Boussac, T.; Williams, M.S.; Studer, F.; Chipaux, M.; David, O.; Charpier, S.; Depaulis, A.; Mahon, S.; Guillemain, I. Building Up Absence Seizures in the Somatosensory Cortex: From Network to Cellular Epileptogenic Processes. Cereb. Cortex 2017, 27, 4607–4623. [Google Scholar] [CrossRef]
- Adotevi, N.; Su, A.; Peiris, D.; Hassan, M.; Leitch, B. Altered Neurotransmitter Expression in the Corticothalamocortical Network of an Absence Epilepsy Model with impaired Feedforward Inhibition. Neuroscience 2021, 467, 73–80. [Google Scholar] [CrossRef]
- Panthi, S.; Lyons, N.M.A.; Leitch, B. Impact of Dysfunctional Feed-Forward Inhibition on Glutamate Decarboxylase Isoforms and γ-Aminobutyric Acid Transporters. Int. J. Mol. Sci. 2021, 22, 7740. [Google Scholar] [CrossRef] [PubMed]
- Jin, H.; Wu, H.; Osterhaus, G.; Wei, J.; Davis, K.; Sha, D.; Floor, E.; Hsu, C.C.; Kopke, R.D.; Wu, J.Y. Demonstration of functional coupling between gamma -aminobutyric acid (GABA) synthesis and vesicular GABA transport into synaptic vesicles. Proc. Natl. Acad. Sci. USA 2003, 100, 4293–4298. [Google Scholar] [CrossRef] [PubMed]
- Patel, A.B.; de Graaf, R.A.; Martin, D.L.; Battaglioli, G.; Behar, K.L. Evidence that GAD(65) mediates increased GABA synthesis during intense neuronal activity in vivo. J. Neurochem. 2006, 97, 385–396. [Google Scholar] [CrossRef] [PubMed]
- Elmariah, S.B.; Crumling, M.A.; Parsons, T.D.; Balice-Gordon, R.J. Postsynaptic TrkB-mediated signaling modulates excitatory and inhibitory neurotransmitter receptor clustering at hippocampal synapses. J. Neurosci. 2004, 24, 2380–2393. [Google Scholar] [CrossRef] [PubMed]
- Maljevic, S.; Krampfl, K.; Cobilanschi, J.; Tilgen, N.; Beyer, S.; Weber, Y.G.; Schlesinger, F.; Ursu, D.; Melzer, W.; Cossette, P.; et al. A mutation in the GABA(A) receptor alpha(1)-subunit is associated with absence epilepsy. Ann. Neurol. 2006, 59, 983–987. [Google Scholar] [CrossRef]
- Kodera, H.; Ohba, C.; Kato, M.; Maeda, T.; Araki, K.; Tajima, D.; Matsuo, M.; Hino-Fukuyo, N.; Kohashi, K.; Ishiyama, A.; et al. De novo GABRA1 mutations in Ohtahara and West syndromes. Epilepsia 2016, 57, 566–573. [Google Scholar] [CrossRef]
- Owens, D.F.; Kriegstein, A.R. Is there more to GABA than synaptic inhibition? Nat. Rev. Neurosci. 2002, 3, 715–727. [Google Scholar] [CrossRef]
- Paxinos, G.; Franklin, K.B. Paxinos and Franklin’s the Mouse Brain in Stereotaxic Coordinates; Academic Press: Cambridge, MA, USA, 2019. [Google Scholar]
- Owe, S.G.; Erisir, A.; Heggelund, P. Terminals of the major thalamic input to visual cortex are devoid of synapsin proteins. Neuroscience 2013, 243, 115–125. [Google Scholar] [CrossRef]









Publisher’s Note: MDPI stays neutral with regard to jurisdictional claims in published maps and institutional affiliations. |
© 2022 by the authors. Licensee MDPI, Basel, Switzerland. This article is an open access article distributed under the terms and conditions of the Creative Commons Attribution (CC BY) license (https://creativecommons.org/licenses/by/4.0/).
Share and Cite
Hassan, M.; Adotevi, N.K.; Leitch, B. Altered GABAA Receptor Expression in the Primary Somatosensory Cortex of a Mouse Model of Genetic Absence Epilepsy. Int. J. Mol. Sci. 2022, 23, 15685. https://doi.org/10.3390/ijms232415685
Hassan M, Adotevi NK, Leitch B. Altered GABAA Receptor Expression in the Primary Somatosensory Cortex of a Mouse Model of Genetic Absence Epilepsy. International Journal of Molecular Sciences. 2022; 23(24):15685. https://doi.org/10.3390/ijms232415685
Chicago/Turabian StyleHassan, Muhammad, Nadia K. Adotevi, and Beulah Leitch. 2022. "Altered GABAA Receptor Expression in the Primary Somatosensory Cortex of a Mouse Model of Genetic Absence Epilepsy" International Journal of Molecular Sciences 23, no. 24: 15685. https://doi.org/10.3390/ijms232415685
APA StyleHassan, M., Adotevi, N. K., & Leitch, B. (2022). Altered GABAA Receptor Expression in the Primary Somatosensory Cortex of a Mouse Model of Genetic Absence Epilepsy. International Journal of Molecular Sciences, 23(24), 15685. https://doi.org/10.3390/ijms232415685
