Pickering Emulsion of Oleoresin from Dipterocarpus alatus Roxb. ex G. Don and Its Antiproliferation in Colon (HCT116) and Liver (HepG2) Cancer Cells
Abstract
1. Introduction
2. Results
2.1. Emulsion Formulation
2.2. Homogeneity of Formulations
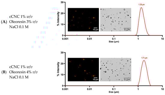
2.3. Formulation’s Characteristics
2.4. Dipterocarpol Contents
2.5. Effects of Pickering Emulsions of Oleoresin on Cancer Cell Viability
2.6. Effects of Pickering Emulsions of Oleoresin on Nuclear Morphology Change
2.7. Effects of Pickering Emulsions of Oleoresin on Apoptosis Induction
3. Discussion
4. Materials and Methods
4.1. Chemicals
4.2. Plant Material
4.3. Formulation of Pickering Emulsion
4.4. Homogeneity Test by Image Analysis
4.5. Particle Size, Polydispersity Index, Macro-Rheological Measurements
4.6. Dipterocapol Contents
4.7. Cell Culture
4.8. Cell Viability by Neutral Red Assay
4.9. Nuclei Morphological Alteration by DAPI Staining
4.10. Mode of Cancer Cell Death Using Flow Cytometry
4.11. Statistical Analysis
5. Conclusions
Supplementary Materials
Author Contributions
Funding
Institutional Review Board Statement
Informed Consent Statement
Data Availability Statement
Acknowledgments
Conflicts of Interest
References
- Saengavut, V.; Jirasatthumb, N. Smallholder decision-making process in technology adoption intention: Implications for Dipterocarpus alatus in Northeastern Thailand. Heliyon 2021, 7, e06633. [Google Scholar] [PubMed]
- Aslam, M.S.; Ahmad, M.S.; Mamat, A.S. A phytochemical, ethnomedicinal, and pharmacological review of genus dipterocarpus. Int. J. Pharm. Pharm. Sci. 2015, 7, 27–38. [Google Scholar]
- Puthongking, P.; Yongram, C.; Katekaew, S.; Sungthong, B.; Weerapreeyakul, N. Dipterocarpol in oleoresin of Dipterocarpus alatus attributed to cytotoxicity and apoptosis-inducing effect. Molecules 2022, 27, 3187. [Google Scholar] [CrossRef] [PubMed]
- Yongram, C.; Sungthong, B.; Puthongking, P.; Weerapreeyakul, N. Chemical composition, antioxidant and cytotoxicity activities of leaves, bark, twigs and oleo-resin of Dipterocarpus alatus. Molecules 2019, 24, 3083. [Google Scholar] [CrossRef] [PubMed]
- Daodee, S.; Monthakantirat, O.; Ruengwinitwong, K.; Gatenakorn, K.; Maneenet, J.; Khamphukdee, C.; Sekeroglu, N.; Chulikhit, Y.; Kijjoa, A. Effects of the ethanol extract of Dipterocarpus alatus leaf on the unpredictable chronic mild stress-induced depression in ICR mice and its possible mechanism of action. Molecules 2019, 24, 3396. [Google Scholar] [CrossRef] [PubMed]
- Zorina, A.; Balykina, L.; Nazarova, O.; Rebezov, A. Polymeric derivatives of dipterocarpol, a dammarane triterpenoid. 2 Russ. J. Appl. Chem 2006, 79, 654–659. [Google Scholar] [CrossRef]
- Malacrida, C.R.; Ferreira, S.; Zuanon, L.A.C.; Nicoletti Telis, V.R. Freeze-drying for microencapsulation of turmeric oleoresin using modified starch and gelatin. J. Food Process. Preserv. 2015, 39, 1710–1719. [Google Scholar] [CrossRef]
- Ravera, F.; Dziza, K.; Santini, E.; Cristofolini, L.; Liggieri, L. Emulsification and emulsion stability: The role of the interfacial properties. Adv. Colloid Interface Sci. 2021, 288, 102344. [Google Scholar] [CrossRef] [PubMed]
- Albert, C.; Beladjine, M.; Tsapis, N.; Fattal, E.; Agnely, F.; Huang, N. Pickering emulsions: Preparation processes, key parameters governing their properties and potential for pharmaceutical applications. J. Control Release 2019, 309, 302–332. [Google Scholar] [CrossRef]
- Rosalina, R.; Kamwilaisak, K.; Sutthanut, K.; Weerapreeyakul, N. Cellulose nanocrystal-stabilized Pickering emulsion improved sesamolin’s physicochemical properties, stability, and anti-tyrosinase activity. Food Struct. 2023, 36, 100324. [Google Scholar] [CrossRef]
- Jutakridsada, P.; Pimsawat, N.; Sillanpää, M.; Kamwilaisak, K. Olive oil stability in Pickering emulsion preparation from eucalyptus pulp and its rheology behaviour. Cellulose 2020, 27, 6189–6203. [Google Scholar] [CrossRef]
- Dong, H.; Ding, Q.; Jiang, Y.; Li, X.; Han, W. Pickering emulsions stabilized by spherical cellulose nanocrystals. Carbohydr. Polym. 2021, 265, 118101. [Google Scholar] [CrossRef] [PubMed]
- Tu, Y.; Zhang, X.; Wang, L. Effect of salt treatment on the stabilization of Pickering emulsions prepared with rice bran protein. Food Res. Int. 2023, 166, 112537. [Google Scholar] [CrossRef] [PubMed]
- Mudassir, M.A.; Aslam, H.Z.; Ansari, T.M.; Zhang, H.; Hussain, I. Fundamentals and design-led synthesis of emulsion-templated porous materials for environmental applications. Adv. Sci. 2021, 8, 2102540. [Google Scholar] [CrossRef]
- Karunaratne, D.N.; Geethi, P.; Udayana, R. Introductory chapter: Microemulsions. In Properties and Uses of Microemulsions; Desiree Nedra, K., Geethi, P., Udayana, R., Eds.; IntechOpen: Rijeka, Croatia, 2017; p. 1. [Google Scholar]
- Ruckenstein, E. Thermodynamic insights on macroemulsion stability. Adv. Colloid Interface Sci. 1999, 79, 59–76. [Google Scholar] [CrossRef]
- Koroleva, M.Y.; Yurtov, E.V. Ostwald ripening in macro- and nanoemulsions. Russ. Chem. Rev. 2021, 90, 293. [Google Scholar] [CrossRef]
- Damitz, R.; Chauhan, A. “Micro to macro (M2M)”—A novel approach for intravenous delivery of propofol. Int. J. Pharm. 2015, 494, 218–226. [Google Scholar] [CrossRef] [PubMed]
- Ebrahimi, R.; Fathi, M.; Ghoddusi, H.B. Pickering emulsions stabilized by cellulose nanocrystals extracted from hazelnut shells: Production and stability under different harsh conditions. Int. J. Biol. Macromol. 2024, 258, 128982. [Google Scholar] [CrossRef] [PubMed]
- Costa, C.; Rosa, P.; Filipe, A.; Medronho, B.; Romano, A.; Liberman, L.; Talmon, Y.; Norgren, M. Cellulose-stabilized oil-in-water emulsions: Structural features, microrheology, and stability. Carbohydr. Polym. 2021, 252, 117092. [Google Scholar] [CrossRef]
- Harman, C.L.; Patel, M.A.; Guldin, S.; Davies, G.L. Recent developments in Pickering emulsions for biomedical applications. Curr. Opin. Colloid Interface Sci. 2019, 39, 173–189. [Google Scholar] [CrossRef]
- Yang, C.X.; Li, J.; Zhang, Y.Q.; Wu, C.; Li, D.Q. A pesticide sustained-release microcapsule from cellulose nanocrystal stabilized Pickering emulsion template. J. Appl. Polym. Sci. 2023, 140, e53716. [Google Scholar] [CrossRef]
- Yan, H.; Chen, X.; Feng, M.; Shi, Z.; Zhang, W.; Wang, Y.; Ke, C.; Lin, Q. Entrapment of bacterial cellulose nanocrystals stabilized Pickering emulsions droplets in alginate beads for hydrophobic drug delivery. Colloids Surf. B Biointerfaces 2019, 177, 112–120. [Google Scholar] [CrossRef] [PubMed]
- Asabuwa Ngwabebhoh, F.; Ilkar Erdagi, S.; Yildiz, U. Pickering emulsions stabilized nanocellulosic-based nanoparticles for coumarin and curcumin nanoencapsulations: In Vitro release, anticancer and antimicrobial activities. Carbohydr. Polym. 2018, 201, 317–328. [Google Scholar] [CrossRef]
- Liu, T.; Chen, Y.; Zhao, S.; Guo, J.; Wang, Y.; Feng, L.; Shan, Y.; Zheng, J. The sustained-release mechanism of citrus essential oil from cyclodextrin/cellulose-based Pickering emulsions. Food Hydrocoll. 2023, 144, 109023. [Google Scholar] [CrossRef]
- Morais, J.P.S.; Rosa, M.d.F.; Brito, E.S.d.; Azeredo, H.M.C.d.; Figueirêdo, M.C.B.d. Sustainable Pickering emulsions with nanocellulose: Innovations and challenges. Foods 2023, 12, 3599. [Google Scholar] [CrossRef]
- Torlopov, M.A.; Vaseneva, I.N.; Mikhaylov, V.I.; Martakov, I.S.; Moskalev, A.A.; Koval, L.A.; Zemskaya, N.V.; Paderin, N.M. Pickering emulsions stabilized by partially acetylated cellulose nanocrystals for oral administration: Oils effect and in vivo toxicity. Cellulose 2021, 28, 2365–2385. [Google Scholar] [CrossRef]
- Elaasser, M.M.; Morsi, M.K.; Galal, S.M.; Abd El-Rahman, M.K.; Katry, M.A. Antioxidant, anti-inflammatory and cytotoxic activities of the unsaponifiable fraction of extra virgin olive oil. Grasas Y Aceites 2020, 71, e386. [Google Scholar] [CrossRef]
- Wu, J.; Ma, G.-H. Recent studies of Pickering emulsions: Particles make the difference. Small 2016, 12, 4633–4648. [Google Scholar] [CrossRef]
- Shirjandi, M.; Haddadi-Asl, V.; Abdollahi, E.; Khanipour, F. Synthesis of pH-Sensitive polydopamine capsules via pickering emulsions stabilized by cellulose nanocrystals to study drug release behavior. Polymer 2022, 255, 12511. [Google Scholar] [CrossRef]
- Xia, C.; Xu, Z.; Xu, M.; Zhang, C.; Xu, B.; Liu, B.; Yan, X.; Zheng, Z.; Zhang, R. Body temperature responsive capsules templated from Pickering emulsion for thermally triggered release of β-carotene. Int. J. Biol. Macromol. 2024, 266, 130940. [Google Scholar] [CrossRef]
- Marinov, L.; Georgieva, A.; Voynikov, Y.; Toshkova, R.; Nikolova, I.; Malchev, M. Cytotoxic and antiproliferative effects of the nonsteroidal anti-inflammatory drug diclofenac in human tumour cell lines. Biotechnol. Biotechnol. Equip. 2021, 35, 1118–1126. [Google Scholar] [CrossRef]







| Formulation | Particle Size (μm) | PDI | Viscosity (cP) | Sheer Stress (dyne/cm2) | Sheer Rate (s−1) |
|---|---|---|---|---|---|
| F1 | 1.38 ± 0.079 | 0.30 ± 0.050 | 9.6 ± 1.22 | 0.82 ± 0.03 | 8.5 ± 0.15 |
| F2 | 1.71 ± 0.14 | 0.23 ± 0.026 | 9.8 ± 1.4 | 0.84 ± 0.01 | 8.5 ± 0.15 |
| Samples | IC50 (mg/mL) | |
|---|---|---|
| HepG2 | HCT116 | |
| Cisplatin | 0.0268 ± 0.0015 | 0.0948 ± 0.0032 |
| DA oleoresin | 0.247 ± 0.014 | 0.340 ± 0.021 |
| Pickering emulsion without oleoresin | * Inactive | * Inactive |
| F1 (mg/mL resin equiv.) | 1.25 ± 0.27 | 3.45 ± 0.26 |
| F2 (mg/mL resin equiv.) | 0.92 ± 0.05 | 1.77 ± 0.07 |
| Formulation | cCNC (%w/v) | Oleoresin (%v/v) | NaCl (M) | Formulation | cCNC (%w/v) | Oleoresin (%v/v) | NaCl (M) |
|---|---|---|---|---|---|---|---|
| 1-00-A | 1 | 0 | 0 | 2-00-A | 2 | 0 | 0 |
| 1-01-A | 1 | 1 | 0 | 2-01-A | 2 | 1 | 0 |
| 1-02-A | 1 | 2 | 0 | 2-02-A | 2 | 2 | 0 |
| 1-03-A | 1 | 3 | 0 | 2-03-A | 2 | 3 | 0 |
| 1-04-A | 1 | 4 | 0 | 2-04-A | 2 | 4 | 0 |
| 1-05-A | 1 | 5 | 0 | 2-05-A | 2 | 5 | 0 |
| 1-06-A | 1 | 6 | 0 | 2-06-A | 2 | 6 | 0 |
| 1-07-A | 1 | 7 | 0 | 2-07-A | 2 | 7 | 0 |
| 1-08-A | 1 | 8 | 0 | 2-08-A | 2 | 8 | 0 |
| 1-09-A | 1 | 9 | 0 | 2-09-A | 2 | 9 | 0 |
| 1-10-A | 1 | 10 | 0 | 2-10-A | 2 | 10 | 0 |
| 1-00-B | 1 | 0 | 0.01 | 2-00-B | 2 | 0 | 0.01 |
| 1-01-B | 1 | 1 | 0.01 | 2-01-B | 2 | 1 | 0.01 |
| 1-02-B | 1 | 2 | 0.01 | 2-02-B | 2 | 2 | 0.01 |
| 1-03-B | 1 | 3 | 0.01 | 2-03-B | 2 | 3 | 0.01 |
| 1-04-B | 1 | 4 | 0.01 | 2-04-B | 2 | 4 | 0.01 |
| 1-05-B | 1 | 5 | 0.01 | 2-05-B | 2 | 5 | 0.01 |
| 1-06-B | 1 | 6 | 0.01 | 2-06-B | 2 | 6 | 0.01 |
| 1-00-C | 1 | 0 | 0.05 | 2-00-C | 2 | 0 | 0.05 |
| 1-01-C | 1 | 1 | 0.05 | 2-01-C | 2 | 1 | 0.05 |
| 1-02-C | 1 | 2 | 0.05 | 2-02-C | 2 | 2 | 0.05 |
| 1-03-C | 1 | 3 | 0.05 | 2-03-C | 2 | 3 | 0.05 |
| 1-04-C | 1 | 4 | 0.05 | 2-04-C | 2 | 4 | 0.05 |
| 1-05-C | 1 | 5 | 0.05 | 2-05-C | 2 | 5 | 0.05 |
| 1-06-C | 1 | 6 | 0.05 | 2-06-C | 2 | 6 | 0.05 |
| 1-00-D | 1 | 0 | 0.1 | 2-00-D | 2 | 0 | 0.1 |
| 1-01-D | 1 | 1 | 0.1 | 2-01-D | 2 | 1 | 0.1 |
| 1-02-D | 1 | 2 | 0.1 | 2-02-D | 2 | 2 | 0.1 |
| 1-03-D * | 1 | 3 | 0.1 | 2-03-D | 2 | 3 | 0.1 |
| 1-04-D ** | 1 | 4 | 0.1 | 2-04-D | 2 | 4 | 0.1 |
| 1-05-D | 1 | 5 | 0.1 | 2-05-D | 2 | 5 | 0.1 |
| 1-06-D | 1 | 6 | 0.1 | 2-06-D | 2 | 6 | 0.1 |
| 1-00-E | 1 | 0 | 0.2 | 2-00-E | 2 | 0 | 0.2 |
| 1-01-E | 1 | 1 | 0.2 | 2-01-E | 2 | 1 | 0.2 |
| 1-02-E | 1 | 2 | 0.2 | 2-02-E | 2 | 2 | 0.2 |
| 1-03-E | 1 | 3 | 0.2 | 2-03-E | 2 | 3 | 0.2 |
| 1-04-E | 1 | 4 | 0.2 | 2-04-E | 2 | 4 | 0.2 |
| 1-05-E | 1 | 5 | 0.2 | 2-05-E | 2 | 5 | 0.2 |
| 1-06-E | 1 | 6 | 0.2 | 2-06-E | 2 | 6 | 0.2 |
Disclaimer/Publisher’s Note: The statements, opinions and data contained in all publications are solely those of the individual author(s) and contributor(s) and not of MDPI and/or the editor(s). MDPI and/or the editor(s) disclaim responsibility for any injury to people or property resulting from any ideas, methods, instructions or products referred to in the content. |
© 2024 by the authors. Licensee MDPI, Basel, Switzerland. This article is an open access article distributed under the terms and conditions of the Creative Commons Attribution (CC BY) license (https://creativecommons.org/licenses/by/4.0/).
Share and Cite
Pocasap, P.; Tamprasit, K.; Rungsri, T.; Kaimuangpak, K.; Srisongkram, T.; Katekaew, S.; Kamwilaisak, K.; Puthongking, P.; Weerapreeyakul, N. Pickering Emulsion of Oleoresin from Dipterocarpus alatus Roxb. ex G. Don and Its Antiproliferation in Colon (HCT116) and Liver (HepG2) Cancer Cells. Molecules 2024, 29, 2695. https://doi.org/10.3390/molecules29112695
Pocasap P, Tamprasit K, Rungsri T, Kaimuangpak K, Srisongkram T, Katekaew S, Kamwilaisak K, Puthongking P, Weerapreeyakul N. Pickering Emulsion of Oleoresin from Dipterocarpus alatus Roxb. ex G. Don and Its Antiproliferation in Colon (HCT116) and Liver (HepG2) Cancer Cells. Molecules. 2024; 29(11):2695. https://doi.org/10.3390/molecules29112695
Chicago/Turabian StylePocasap, Piman, Kawintra Tamprasit, Thanyathanya Rungsri, Karnchanok Kaimuangpak, Tarapong Srisongkram, Somporn Katekaew, Khanita Kamwilaisak, Ploenthip Puthongking, and Natthida Weerapreeyakul. 2024. "Pickering Emulsion of Oleoresin from Dipterocarpus alatus Roxb. ex G. Don and Its Antiproliferation in Colon (HCT116) and Liver (HepG2) Cancer Cells" Molecules 29, no. 11: 2695. https://doi.org/10.3390/molecules29112695
APA StylePocasap, P., Tamprasit, K., Rungsri, T., Kaimuangpak, K., Srisongkram, T., Katekaew, S., Kamwilaisak, K., Puthongking, P., & Weerapreeyakul, N. (2024). Pickering Emulsion of Oleoresin from Dipterocarpus alatus Roxb. ex G. Don and Its Antiproliferation in Colon (HCT116) and Liver (HepG2) Cancer Cells. Molecules, 29(11), 2695. https://doi.org/10.3390/molecules29112695

