Pigments and Techniques of Hellenistic Apulian Tomb Painting
Abstract
1. Introduction
2. Results
2.1. Microscopy
2.1.1. Tomba della Nike
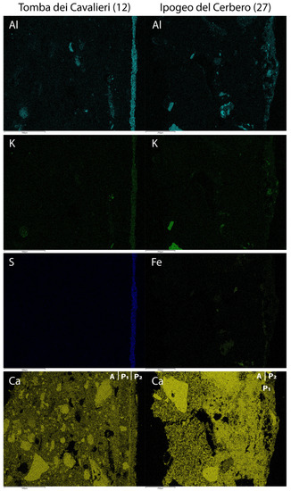
2.1.2. Tomba dei Cavalieri
2.1.3. Ipogeo Scocchera B
2.1.4. Ipogeo del Cerbero
2.1.5. Ipogeo Sant’Aloia
2.2. Raman and FT-IR
Tomba della Nike
3. Experimental
3.1. Samples
3.2. Techniques
3.2.1. Spectroscopic Investigations
Raman and SERS
FT-IR Investigations
3.2.2. Microscopic Investigations
POM and SEM-EDS Investigations
4. Discussion and Conclusions
Author Contributions
Funding
Data Availability Statement
Acknowledgments
Conflicts of Interest
References
- Mangone, A.; Giannossa, L.C.; Ciancio, A.; Laviano, R.; Traini, A. Technological features of Apulian red figured pottery. J. Archaeol. Sci. 2008, 35, 1533–1541. [Google Scholar] [CrossRef]
- Mangone, A.; Giannossa, L.C.; Colafemmina, G.; Laviano, R.; Traini, A. Use of various spectroscopy techniques to investigate raw materials and define processes in the overpainting of Apulian red figured pottery (4th century BC) from southern Italy. Microchem. J. 2009, 92, 97–102. [Google Scholar] [CrossRef]
- Mangone, A.; Caggiani, M.C.; Giannossa, L.C.; Eramo, G.; Redavid, V.; Laviano, R. Diversified production of red figured pottery in Apulia (Southern Italy) in the late period. J. Cult. Herit. 2013, 14, 82–88. [Google Scholar] [CrossRef]
- Giannossa, L.C.; Muntoni, I.M.; Laviano, R.; Mangone, A. Contribution of mineralogical and analytical techniques to investigate provenance and technologies of Hellenistic pottery from Arpi (Southern Italy). J. Archaeol. Sci. Rep. 2019, 24, 729–737. [Google Scholar] [CrossRef]
- Giannossa, L.C.; Muntoni, I.M.; Laviano, R.; Mangone, A. Building a step by step result in archaeometry. Raw materials, provenance and production technology of Apulian Red Figure pottery. J. Cult. Herit. 2020, 43, 242–248. [Google Scholar] [CrossRef]
- Forleo, T.; Giannossa, L.C.; Laviano, R.; Mangone, A. Exploring the raw materials and technological practice to obtain red and black surfaces of Apulian red figure pottery by Raman and SEM-EDS investigations. J. Raman Spectrosc. 2022, 53, 810–819. [Google Scholar] [CrossRef]
- Giannossa, L.C.; Muntoni, I.M.; Forleo, T.; Patete, S.; Pouzadoux, C.; Laviano, R.; Mangone, A. Artisanal experiences in Arpi: Colours and raw materials of Apulian red figure production. J. Archaeol. Sci. Rep. 2022, 45, 103618–103627. [Google Scholar] [CrossRef]
- Patete, S.; Pouzadoux, C.; Muntoni, I.M.; Garavelli, A.; Pinto, D. Una variante regionale dello stile strutturale in Daunia. Materie, tecniche e stile decorativo di una domus di Arpi. In Pictores per Provincias II—Status quaestionis: Actes du colloque AIPMA 2016; Dubois, Y., Niffeler, U., Eds.; Archéologie Suisse: Basel, Switzerland, 2018; pp. 327–338. [Google Scholar]
- D’Angelo, T. Late Archaic Funerary Painting in Greek and Native Apulia. In La Tomba del Tuffatore. Rito, arte e poesia a Paestum e nel Mediterraneo D’epoca Tardo-Arcaica: Atti del Convegno Internazionale, Paestum, 4–6 Ottobre 2018; Meriani, A., Zuchtriegel, G., Eds.; Edizioni ETS: Pisa, Italy, 2020; pp. 133–174. [Google Scholar]
- Ciancio, A. Siblion. In Una città tra Greci e indigeni; Levante Editori: Bari, Italy, 1997. [Google Scholar]
- Gadaleta, G. Strutture tombali e decorazione dipinta nelle necropoli tra l’età classica e l’età ellenistica. In La Puglia Centrale Dall’età del Bronzo All’alto Medioevo. Archeologia e Storia: Atti del Convegno di Studi, Bari, 15–16 Giugno 2009; Todisco, L., Ed.; G. Bretschneider: Rome, Italy, 2010; pp. 251–263. [Google Scholar]
- Steingräber, S. Zu Entstehung, Verbreitung und architektonischem Kontext der unteritalischen Grabmalerei. JdI 1991, 106, 1–36. [Google Scholar]
- Ruhardt, B. Die Kammergräber von Tarent. In Untersuchungen zur Grabarchitektur und Ausstattung Vom 4. Bis Zum 1. Jahrhundert v. Chr.; Reichert Verlag: Wiesbaden, Germany, 2019. [Google Scholar]
- Cassano, R. (Ed.) Principi Imperatori Vescovi. Duemila Anni di Storia a Canosa; Marsilio: Venezia, Italy, 1992. [Google Scholar]
- Mazzei, M. Arpi. L’ipogeo della Medusa e la Necropoli; Banca del Monte: Foggia, Italy, 1995. [Google Scholar]
- Mazzei, M. L’ipogeo della Nike di Arpi: Nota preliminare. AIONArch 2003, 10, 153–158. [Google Scholar]
- Montanaro, A.C.; Pacilio, G. Nuovi rinvenimenti nella necropoli di Tiati-Teanum Apulum. La “Tomba dei Capitelli Ionici” e i risultati della campagna di scavo 2012. Taras 2014, 34, 73–123. [Google Scholar]
- Mazzei, M. La Daunia e la Grecia settentrionale: Riflessioni sulle esperienze pittoriche del primo ellenismo. In La pittura parietale in Macedonia e Magna Grecia: Atti del Convegno Internazionale di studi in ricordo di Mario Napoli, Salerno-Paestum, 21–23 Novembre 1996; Napoli, M., Pontrandolfo Greco, A., Eds.; Pandemos: Paestum, Italy, 2002; pp. 67–77. [Google Scholar]
- Steingräber, S. La pittura funeraria della Daunia. Elementi iconografici caratteristici nel contesto della pittura apula, magnogreca e mediterranea preromana (IV–III sec. a.C.). In Storia e Archeologia della Daunia. In ricordo di Marina Mazzei. Atti delle Giornate di Studio (Foggia 19–21 maggio 2005); Volpe, G., Strazzulla, M.J., Leone, D., Eds.; Edipuglia: Bari, Italy, 2008; pp. 183–193. [Google Scholar]
- Cennini, C. Il Libro Dell’arte, o Trattato della Pittura di Cennino Cennini; Milanesi, G., Milanesi, C., Eds.; Le Monnier: Florence, Italy, 1859. [Google Scholar]
- Mora, P.; Mora, L.; Philippot, P. La Conservazione delle Pitture Murali; Editrice Compositori: Bologna, Italy, 1999. [Google Scholar]
- Kakoulli, I. Late Classical and Hellenistic painting techniques and materials: A review of the technical literature. Rev. Conserv. 2002, 3, 57–58. [Google Scholar] [CrossRef]
- Piovesan, R.; Mazzoli, C.; Maritan, L.; Cornale, P. Fresco and lime paint: An experimental study and objective criteria for distinguishing between these painting techniques. Archaeometry 2012, 54, 723–736. [Google Scholar] [CrossRef]
- Mazzei, M. Nota su un gruppo di vasi policromi decorati con scene di combattimento da Arpi (FG). AIONArch 1987, 9, 167–188. [Google Scholar]
- Gadaleta, G. Linguaggi e tecnica della pittura a tempera policroma nella Daunia della prima età ellenistica. In Pittura Ellenistica in Italia e in Sicilia. Linguaggi e Tradizioni: Atti del Convegno di Studi Messina, 24–25 Settembre 2009; La Torre, G.F., Torelli, M., Eds.; G. Bretschneider: Rome, Italy, 2011; pp. 319–330. [Google Scholar]
- Brecoulaki, H. L’esperienza del Colore Nella Pittura Funeraria dell’Italia Preromana (V–III secolo a.C.); Electa: Napoli, Italy, 2001. [Google Scholar]
- Buzgar, N.; Buzatu, A.; Sanislav, I.V. The Raman study on certain sulfates. An. Stiint. Ale Univ. Al Cuza 2009, 55, 5–23. [Google Scholar]
- Berke, H. The invention of blue and purple pigments in ancient times. Chem. Soc. Rev. 2007, 36, 15–30. [Google Scholar] [CrossRef] [PubMed]
- Grifa, C.; Cavassa, L.; De Bonis, A.; Germinario, C.; Guarino, V.; Izzo, F.; Kakoulli, I.; Langella, A.; Mercurio, M.; Morra, V. Beyond Vitruvius: New insight in the technology of Egyptian blue and green frits. J. Am. Ceram. Soc. 2016, 99, 3467–3475. [Google Scholar] [CrossRef]
- Hatton, G.D.; Shortland, A.J.; Tite, M.S. The production technology of Egyptian blue and green frits from second millennium BC Egypt and Mesopotamia. J. Archaeol. Sci. 2008, 35, 1591–1604. [Google Scholar] [CrossRef]
- Kakoulli, I. Egyptian blue in Greek painting between 2500 and 50 BC. In From Mine to Microscope: Advances in the Study of Ancient Technology; Oxbow Books: Oxford, UK, 2009; pp. 101–112. [Google Scholar]
- Radpour, R.; Fischer, C.; Kakoulli, I. New Insight into Hellenistic and Roman Cypriot Wall Paintings: An Exploration of Artists’ Materials, Production Technology, and Technical Style. Arts 2019, 8, 74. [Google Scholar] [CrossRef]
- de Faria, D.L.A.; Venâncio Silva, S.; de Oliveira, M.T. Raman microspectroscopy of some iron oxides and oxyhydroxides. J. Raman Spectrosc. 1997, 28, 873–878. [Google Scholar] [CrossRef]
- Scheuermann, W.; Ritter, G.J. Raman Spectra of Cinnabar (HgS), Realgar (As4S4) and Orpiment (As2S3). Z. Naturforsch. Teil A 1969, 24, 408–411. [Google Scholar] [CrossRef]
- Hanesch, M. Raman spectroscopy of iron oxides and (oxy)hydroxides at low laser power and possible applications in environmental magnetic studies. Geophys. J. Int. 2009, 177, 941–948. [Google Scholar] [CrossRef]
- Idone, A.; Aceto, M.; Diana, E.; Appolonia, L.; Monica Gulmini, M. Surface-enhanced Raman scattering for the analysis of red lake pigments in painting layers mounted in cross sections. J. Raman Spectrosc. 2014, 45, 1127–1132. [Google Scholar] [CrossRef]
- Tomasini, E.P.; Halac, E.B.; Reinoso, M.; Di Liscia, J.; Maier, M.S. Micro-Raman spectroscopy of carbon-based black pigments. J. Raman Spectrosc. 2012, 43, 1671–1675. [Google Scholar] [CrossRef]
- Caggiani, M.C.; Cosentino, A.; Mangone, A. Pigments Checker version 3.0, a handy set for conservation scientists: A free online Raman spectra database. Microchem. J. 2016, 129, 123–132. [Google Scholar] [CrossRef]
- Gliozzo, E. Pigments—Mercury-based red (cinnabar-vermilion) and white (calomel) and their degradation products. Archaeol. Anthr. Sci. 2021, 13, 210–262. [Google Scholar] [CrossRef]
- Aceto, M. Pigments—The palette of organic colourants in wall paintings. Archaeol. Anthropol. Sci. 2021, 13, 159–181. [Google Scholar] [CrossRef]
- Kirby, J.; Spring, M.; Higgitt, C. The technology of red lake pigment manufacture: Study of the dyestuff substrate. Natl. Gallery Tech. Bull. 2005, 26, 71–87. [Google Scholar]
- Eastaugh, N.; Walsh, V.; Chaplin, T.; Siddall, R. The Pigment Compendium: A Dictionary of Historical Pigments; Elsevier-Butterworth Heinemann: London, UK, 2004. [Google Scholar]
- Kirby, J.; Spring, M.; Higgitt, C. The technology of eighteenth and nineteenth-century red lake pigments. Natl. Gallery Tech. Bull. 2007, 28, 69–87. [Google Scholar]
- Daniels, V.; Devièse, T.; Hacke, M.; Higgitt, C. Technological insights into madder pigment production in antiquity. BMTRB 2014, 8, 13–28. [Google Scholar]
- Karmos, T.; Ayed, N.; Fantar, M.H.; Wouters, J. Analysis of Punic natural dyes, purple earth from Zembra and cosmetic make-up from Carthage. DHA 1995, 14, 3–8. [Google Scholar]
- Van Elslande, E.; Lecomte, S.; Le Hô, A. Micro-Raman spectroscopy (MRS) and surface-enhanced Raman scattering (SERS) on organic colourants in archaeological pigments. J. Raman Spectrosc. 2008, 39, 1001–1006. [Google Scholar] [CrossRef]
- Cardon, D. Natural Dyes: Sources, Tradition, Technology and Science; Archetype Publications: London, UK, 2007; pp. 20–23. [Google Scholar]
- Doherty, B.; Brunetti, B.G.; Sgamellotti, A.; Miliani, C. A detachable SERS active cellulose film: A minimally invasive approach to the study of painting lakes. J. Raman Spectrosc. 2011, 42, 1932–1938. [Google Scholar] [CrossRef]
- Pozzi, F.; Lombardi, J.R.; Bruni, S.; Leona, M. Sample Treatment Considerations in the Analysis of Organic Colorants by Surface-Enhanced Raman Scattering. Anal. Chem. 2012, 84, 3751–3757. [Google Scholar] [CrossRef]
- Deldicque, D.; Rouzaud, J.; Velde, B. A Raman—HRTEM study of the carbonization of wood: A new Raman-based paleothermometer dedicated to archaeometry. Carbon 2016, 102, 319–329. [Google Scholar] [CrossRef]
- Fazia, G.; Muntoni, I.M. (Eds.) Le collezioni del Museo Civico di Foggia; Claudio Grenzi: Foggia, Italy, 2015. [Google Scholar]
- Corrente, M. Canosa, centro urbano. Ipogeo Scocchera B. In Notiziario delle Attività di Tutela, Soprintendenza Archeologia della Puglia 2006–2010; Biffino, A., Cocchiaro, A., Masiello, L., Schojer, T., Eds.; Scorpione Editrice: Taranto, Italy, 2015; pp. 75–77. [Google Scholar]
- Lee, P.C.; Meisel, D. Adsorption and surface-enhanced Raman of dyes on silver and gold sols. J. Phys. Chem. 1982, 86, 3391–3395. [Google Scholar] [CrossRef]
- Matthew, A.J.; Woods, A.J.; Oliver, C. Spots before the eyes: New comparison charts for visual percentage estimation in archaeological material. Recent Dev. Ceram. Petrol. 1991, 81, 211–263. [Google Scholar]
- Pouchou, J.L.; Pichoir, F. Quantitative Analysis of Homogeneous or Stratified Microvolumes Applying the Model “PAP”. In Electron Probe Quantification; Heinrich, K.F.J., Newbury, D.E., Eds.; Plenum Press: New York, NY, USA, 1991; pp. 31–75. [Google Scholar]
- Alessio, A.; Giannotta, M.T.; Quarta, G. Tombe dipinte di Manduria. Dati archeologici e analisi petrografiche. Taras 2021, 21, 61–78. [Google Scholar]
- Gabellone, F.; Giannotta, M.T.; Monte, A.; Quarta, G. La tomba del pilastro di Egnazia. Analisi integrate storico-scientifiche. Arkos Sci. E Restauro 2002, 6, 52–60. [Google Scholar]
- Gabellone, F.; Giannotta, M.T.; Monte, A.; Quarta, G. Tomba delle Melagrane in Egnazia (Brindisi, Italy): Integrate Historical-scientific analyses. In Influence of the Environment and Defence of the Territory on Recovery of Cultural Heritage. Lectures and Proceedings of the 6th International Symposium on the Conservation of Monuments in the Mediterranean Basin, Lisbon, Portugal; Aires-Barros, L., Zezza, F., Dionisio, A., Rodrigues, M., Eds.; Lisbon, Portugal, 2004; pp. 253–257. Available online: https://www.researchgate.net/profile/Francesco-Gabellone/publication/303874014_TOMBA_DELLE_MELAGRANE_IN_EGNAZIA_BRINDISI_-_ITALY_INTEGRATE_HISTORICAL-SCIENTIFIC_ANALYSES/links/575988a108ae9a9c954f06e8/TOMBA-DELLE-MELAGRANE-IN-EGNAZIA-BRINDISI-ITALY-INTEGRATE-HISTORICAL-SCIENTIFIC-ANALYSES.pdf (accessed on 12 January 2023).
- Giannotta, M.T. I colori nella pittura antica della Puglia meridionale e la tomba messapica di Ugento. In Gli Allievi Raccontano. Atti dell’incontro di Studio per i Trent’anni della Scuola di Specializzazione in Beni Archeologici Università del Salento. Cavallino (LE), Convento dei Domenicani 29–30 Gennaio 2010; D’Andria, R., Mannino, K., Eds.; Congedo: Galatina, Italy, 2012; pp. 279–299. [Google Scholar]
- Giannotta, M.T.; Quarta, G. Characterization of plasters and paintings in a Messapian tomb in Mesagne (province of Brindisi-Southern Italy). In Sulle pitture murali. Riflessioni, Conoscenze, Interventi: Atti del Convegno di Studi Bressanone 12–15 Luglio 2005; Biscontin, G., Driussi, G., Eds.; Arcadia Ricerche: Venezia-Marghera, Italy, 2005; pp. 850–857. [Google Scholar]
- Calia, A.; Giannotta, M.T. Caratterizzazione degli intonaci di un ipogeo ellenistico di Taranto. In Innovazioni Tecnologiche per i beni Culturali in Italia: Atti del Convegno Reggia di Caserta, 16–18 Febbraio 2005; D’Amico, C., Ed.; Pàtron: Bologna, Italy, 2006; pp. 437–448. [Google Scholar]
- Giannotta, M.T.; Quarta, G. Una tomba a semicamera di età ellenistica a Taranto: Caratterizzazione degli intonaci e dei pigmenti. In Atti del IV Congresso Nazionale di Archeometria, Pisa, 1–3 Febbraio 2006; D’Amico, C., Ed.; Pàtron: Bologna, Italy, 2007; pp. 37–44. [Google Scholar]
- Ceccarelli, S.; Guarneri, M.; Romani, M.; Giacopini, L.; Francucci, M.; Ciaffi, M.; Ferri De Collibus, M.; Puiu, A.; Verona-Rinati, G.; Colao, F.; et al. Are the blue daemons really blue? Multidisciplinary study for the colours characterization of the mural paintings inside the Blue Daemons Etruscan tomb. J. Cult. Herit. 2021, 47, 257–264. [Google Scholar] [CrossRef]
- Colombini, M.P.; Giachi, G.; Pallecchi, P.; Ribechini, E. Tecniche pittoriche utilizzate nelle tombe etrusche di Chiusi e Sarteano. In Pittura etrusca: Problemi e Prospettive: Atti del Convegno, Sarteano, Teatro Comunale degli Arrischianti, 26 Ottobre 2001, Chiusi, Teatro Comunale Mascagni, 27 Ottobre 2001; Minetti, A., Ed.; Museo Civico Archeologico di Sarteano: Sarteano, Italy, 2003; pp. 162–168. [Google Scholar]
- Klempan, B.; Helwig, K.; Colivicchi, F. Examination and Analysis of Etruscan Wall Paintings at Caere, Italy. Archaeometry 2017, 59, 1082–1094. [Google Scholar] [CrossRef]
- Pallecchi, P.; Giachi, G.; Colombini, M.P.; Modugno, F.; Ribechini, E. The painting of the Etruscan “Tomba della Quadriga Infernale” (4th century BC), in Sarteano (Siena, Italy): Technical features. J. Archaeol. Sci. 2009, 36, 2635–2642. [Google Scholar] [CrossRef]
- Brecoulaki, H. La peinture funéraire de Macédoine. In Emplois et fonctions de la couleur IVe–IIe s. av. J.-C.; Le Boccard: Athens, Greece, 2006. [Google Scholar]
- Barone, G.; Mazzoleni, P.; Cecchini, A.; Russo, A. In situ Raman and pXRF spectroscopic study on the wall paintings of Etruscan Tarquinia tombs. Dye. Pigm. 2018, 150, 390–403. [Google Scholar] [CrossRef]
- Sodo, A.; Artioli, D.; Botti, A.; De Palma, G.; Giovagnoli, A.; Mariottini, M.; Paradisi, A.; Polidoro, C.; Ricci, M.A. The colours of Etruscan painting: A study on the Tomba dell’Orco in the necropolis of Tarquinia. J. Raman Spectrosc. 2009, 39, 1035–1041. [Google Scholar] [CrossRef]
- Schweppe, H.; Winter, J. Madder and Alizarin. In Artist’s Pigments. A Handbook of Their History and Characteristics; West Fitzhugh, E., Ed.; Archetype Publications: London, UK, 1997; Volume 3, pp. 109–134. [Google Scholar]
- Wintermeyer, U. Polychrome Reliefkeramik aus Centuripe. JdI 1975, 90, 136–241. [Google Scholar]
- Patete, S.; Pouzadoux, C.; Muntoni, I.M.; Mangone, A. L’esperienza del colore ad Arpi. In Atti del XIV Convegno Internazionale dell’Associazione internazionale per la Pittura Parietale Antica (AIPMA), Napoli 09–13/09/2019. 2019; in press. [Google Scholar]
- Munzi, P.; Pouzadoux, C.; Santoriello, A.; Muntoni, I.M.; Basile, L.; Correale, G.; Fornaciari, L.; Leone, M.; Patete, S.; Sachau-Carcel, G.; et al. Archeologia della morte in Daunia: Nuovi dati dalle necropoli di Arpi tra topografia, tipologia e pratiche funerarie. In L’archeologia della Morte in Illiria e in Epiro, Atti del Convegno Internazionale, Tirana 16–18 Dicembre 2019; Lepore, G., Muka, B., Eds.; Edizioni Quasar: Roma, Italy, 2020; pp. 379–408. [Google Scholar]











| Sample | Layer | Boundary | Binder Structure | Aggregate or Pigment | Painting | |
|---|---|---|---|---|---|---|
| Tomba della Nike | 3 | A | visible | H | K, B, F, Q, Cm | / |
| B | merging | H | K | / | ||
| P1 | / | H | goethite, clay minerals | fresco | ||
| Tomba dei Cavalieri | 12 | A | merging | N | K, B, F | / |
| P1 | sharp | H | goethite | lime fresco | ||
| P2 | / | H | charcoal, K-alum | lime paint | ||
| Ipogeo Scocchera B | 23 | A | sharp | N | K, B, F, Q | / |
| P1 | merging | H | lime | lime paint | ||
| P2 | / | H | lime | lime fresco | ||
| 24B | A | sharp | N | K | / | |
| B | merging | N | K, Ks | / | ||
| C | merging | N | K, Ks | / | ||
| P1 | / | H | charcoal | lime fresco | ||
| Ipogeo del Cerbero | 27 | A | merging | N | K, Ks, B, F | / |
| P1 | visible | N | goethite | fresco | ||
| P2 | / | H | lime, clay minerals | lime paint | ||
| Ipogeo Sant’Aloia | 38 | A | sharp | N | K, Q, F | / |
| P1 | sharp | H | charcoal | lime paint |
| Sample | Raman Bands (cm−1) | Pigment/Colourant Detected | References |
|---|---|---|---|
| 5, 16, 23, 28, 35, 36—white | 282, 712, 1085 | Calcite | [7] |
| 2, 14, 22—blue | 117, 137, 162, 226, 375, 428, 474, 566, 760, 785, 983, 1010, 1082, 1137 | Egyptian blue | [28,29,30,31,32] |
| 3, 9, 21, 27—yellow | 242, 299, 393, 478, 552 | Goethite | [33] |
| 4—red | 252, 287, 346 | Cinnabar | [34] |
| 6, 37—brown | 225, 242, 292,409, 497, 610, 1310 | Hematite | [33,35] |
| 7, 10, 15, 18, 19, 20, 24B, 25, 32, 33—red | 225, 242, 292,409, 497, 610, 1308 | Hematite | [33,35] |
| 1—pink | 667, 796, 1191, 1280, 1300, 1325, 1356, 1438, 1472, 1591 | Madder lake | [36] |
| 24, 26, 29, 30, 31, 34—black | 1350, 1591 | Charcoal | [37,38] |
| Sample | Na2O | MgO | Al2O3 | SiO2 | P2O5 | SO3 | K2O | CaO | FeO | Cl |
|---|---|---|---|---|---|---|---|---|---|---|
| pigment layer | 0.38 ± 0.04 | 0.58 ± 0.04 | 23 ± 0.37 | 53.21 ± 0.26 | 0.62 ± 0.07 | 8.88 ± 0.12 | 3.52 ± 0.06 | 6.96 ± 0.08 | 1.25 ± 0.1 | 0.88 ± 0.06 |
| Ca-based layer | - | 0.61 ± 0.06 | 0.97 ± 0.26 | 5.2 ± 0.1 | - | 0.57 ± 0.09 | 0.45 ± 0.06 | 90.99 ± 0.32 | 0.37 ± 0.12 | 0.28 ± 0.04 |
| Tomb | Dating | Typology | Discovery | Figurative Paintings | Reference | |
|---|---|---|---|---|---|---|
| Arpi | Tomba della Nike | Late 4th to early 3rd century BCE | Underground chamber tomb: uncovered dromos and vestibule; barrel-vaulted chamber | 2003 | Façade of the chamber: Pediment: figurative scene on a pink background (a knight on a white horse is crowned by a flying Nike while wounding a brown horse with a spear; the defeated and wounded opponent is lying on the ground); gable’s slopes: red-coloured spirals and flowers | [16,51] |
| Tomba dei Cavalieri | Second half of the 4th century BCE | Semi-chamber tomb built of stone slabs: vestibule and rectangular chamber | 1982 | Walls of the vestibule: red and black horizontal bands; walls of the chamber: two horizontal bands, continuous figurative frieze depicting a funeral procession (from right to left: quadriga led by a charioteer, two female figures one of which—the deceased—is probably in the act of climbing on the quadriga, two armed horsemen, a chariot with an armed male figure), remains of a second, unrecognisable figurative frieze | [26,51] | |
| Canosa di Puglia | Ipogeo Scocchera B | First half of the 3rd century BCE; the tomb was used for about a century | Underground chamber tomb: dromos with two side chambers, corridor, central room, three burial chambers | 1895; 1979 (rediscovery) | Main entrance at the end of the dromos: naiskos (relief and painted architectural elements); above the pediment: lower part of a figurative scene possibly depicting the journey to the afterlife (horses, human figures, pytomorph elements) | [14,52] |
| Ipogeo del Cerbero | Second half of the 4th century BCE (first phase); early 3rd century BCE (additional chamber with paintings) | Underground chamber tomb: dromos, central rectangular vestibule, three burial chambers | 1972 | Entrance to the additional chamber: painted as Doric doorway with pediment and acroteria (black and red strips); above the pediment: figurative scene representing journey the to the afterlife (Cerberus, Hermes Psychopompos, the deceased, a warrior with a horse, a horse and two female figures) | [14] | |
| Ipogeo Sant’Aloia | 3rd century BCE | Underground chamber tomb: dromos, central room, three burial chambers | 1956 | Façade of the chamber: naiskos (relief and painted architectural element); pediment: palm tree and the tail of a sea creature; above the pediment: figurative scene (horseman, two female figures, back of horseman) | [14] |
| Augite | Almandine | Pyrope | Orthoclase | |||||||||||||
|---|---|---|---|---|---|---|---|---|---|---|---|---|---|---|---|---|
| Mean | srel | Certified Value | REaccuracy | Mean | srel | Certified Value | REaccuracy | Mean | srel | Certified Value | REaccuracy | Mean | srel | Certified Value | REaccuracy | |
| SiO2 | 46.2 | 0.09 | 45.93 | 0.59 | 41.25 | 0.13 | 41.59 | 0.82 | 42.22 | 0.1 | 41.71 | 1.22 | 64.1 | 0.06 | 64.3 | 0.31 |
| TiO2 | 2.39 | 0.05 | 2.29 | 4.37 | 0.57 | 0.04 | 0.52 | 9.62 | 0.59 | 0.05 | 0.54 | 9.26 | ||||
| Al2O3 | 8.75 | 0.04 | 9.02 | 2.99 | 22.59 | 0.1 | 22.66 | 0.31 | 21.05 | 0.06 | 21.79 | 3.40 | 20.03 | 0.06 | 19.9 | 0.65 |
| Cr2O3 | 0.14 | 0.08 | 0.08 | 75.00 | 1.9 | 0.07 | 1.74 | 9.20 | ||||||||
| FeO | 7.2 | 0.11 | 7.42 | 2.96 | 12.64 | 0.12 | 12.69 | 0.39 | 8.88 | 0.09 | 8.81 | 0.79 | ||||
| MnO | 0.06 | 0.06 | 0.07 | 14.29 | 0.38 | 0.04 | 0.22 | 72.73 | 0.36 | 0.04 | 0.36 | 0.00 | ||||
| MgO | 12.05 | 0.03 | 11.88 | 1.43 | 17.36 | 0.09 | 16.85 | 3.03 | 20.69 | 0.08 | 20.29 | 1.97 | ||||
| CaO | 21.77 | 0.09 | 21.62 | 0.69 | 5.37 | 0.05 | 5.23 | 2.68 | 4.43 | 0.03 | 4.5 | 1.56 | 0.18 | 0.03 | 0.24 | 25.00 |
| Na2O | 0.85 | 0.03 | 0.79 | 7.59 | n.d. | --- | 0.04 | 3.86 | 0.16 | 3.7 | 4.32 | |||||
| K2O | n.d. | --- | 0.01 | n.d. | --- | 0.01 | 11.38 | 0.23 | 11.4 | 0.18 | ||||||
| Tot. | 99.41 | 99.11 | 100.44 | 99.81 | 100.12 | 99.9 | 99.55 | 99.54 | ||||||||
| Tomb | Sample/Colour | Analysis Technique |
|---|---|---|
| Tomba della Nike | 1. Pink (background) | Raman; OM (white and UV-light illumination); SERS; SEM-EDS; FT-IR |
| 2. Blue (shield) | Raman | |
| 3. Yellow (background) | Raman; POM; SEM-EDS | |
| 4. Red (blood) | Raman | |
| 5. White (horse) | Raman | |
| 6. Red/brown (horse) | Raman | |
| 7. Red (spirals) | Raman | |
| Tomba dei Cavalieri | 9. Yellow (horse) | Raman |
| 10. Red (horse) | Raman | |
| 12. Gray-white (leaf) | POM; SEM-EDS | |
| 14. Blue (harness) | Raman | |
| 15. Red (reins) | Raman; FT-IR | |
| 16. White (dress) | Raman | |
| Ipogeo Scocchera B | 18. Red (fragments) | Raman |
| 19. Red (tympanum) | Raman | |
| 20. Red-brown (horse) | Raman | |
| 21. Yellow (ground) | Raman | |
| 22. Blue-light blue | Raman | |
| 23. White (frame) | Raman; POM, SEM-EDS; FT-IR | |
| 24. Black (frame) | Raman | |
| 24-B. Red (fragment) | Raman; POM; SEM-EDS | |
| Ipogeo del Cerbero | 25. Red (door frame) | Raman |
| 26. Black (frame) | Raman | |
| 27. Yellow (robe) | Raman; POM; SEM-EDS | |
| 28. White (background) | Raman | |
| 29. Black (cerberus, outline) | Raman | |
| Ipogeo S. Aloia | 30. Black (pillar/side frame) | Raman |
| 31. Black (inside door frame) | Raman | |
| 32. Red (tympanum) | Raman | |
| 33. Red (door frame) | Raman | |
| 34. Black (acroterion) | Raman | |
| 35. White (architrave) | Raman | |
| 36. White (architrave) | Raman | |
| 37. Brown (pillar) | Raman | |
| 38. White (background) | POM; SEM-EDS |
Disclaimer/Publisher’s Note: The statements, opinions and data contained in all publications are solely those of the individual author(s) and contributor(s) and not of MDPI and/or the editor(s). MDPI and/or the editor(s) disclaim responsibility for any injury to people or property resulting from any ideas, methods, instructions or products referred to in the content. |
© 2023 by the authors. Licensee MDPI, Basel, Switzerland. This article is an open access article distributed under the terms and conditions of the Creative Commons Attribution (CC BY) license (https://creativecommons.org/licenses/by/4.0/).
Share and Cite
Mangone, A.; Colombi, C.; Eramo, G.; Muntoni, I.M.; Forleo, T.; Giannossa, L.C. Pigments and Techniques of Hellenistic Apulian Tomb Painting. Molecules 2023, 28, 1055. https://doi.org/10.3390/molecules28031055
Mangone A, Colombi C, Eramo G, Muntoni IM, Forleo T, Giannossa LC. Pigments and Techniques of Hellenistic Apulian Tomb Painting. Molecules. 2023; 28(3):1055. https://doi.org/10.3390/molecules28031055
Chicago/Turabian StyleMangone, Annarosa, Camilla Colombi, Giacomo Eramo, Italo Maria Muntoni, Tiziana Forleo, and Lorena Carla Giannossa. 2023. "Pigments and Techniques of Hellenistic Apulian Tomb Painting" Molecules 28, no. 3: 1055. https://doi.org/10.3390/molecules28031055
APA StyleMangone, A., Colombi, C., Eramo, G., Muntoni, I. M., Forleo, T., & Giannossa, L. C. (2023). Pigments and Techniques of Hellenistic Apulian Tomb Painting. Molecules, 28(3), 1055. https://doi.org/10.3390/molecules28031055

