Sign in to use this feature.

Years

Between: -

Subjects

remove_circle_outline
remove_circle_outline
remove_circle_outline
remove_circle_outline
remove_circle_outline
remove_circle_outline
remove_circle_outline
remove_circle_outline
remove_circle_outline

Journals

remove_circle_outline
remove_circle_outline
remove_circle_outline
remove_circle_outline
remove_circle_outline
remove_circle_outline
remove_circle_outline
remove_circle_outline
remove_circle_outline
remove_circle_outline
remove_circle_outline
remove_circle_outline
remove_circle_outline
remove_circle_outline
remove_circle_outline
remove_circle_outline
remove_circle_outline
remove_circle_outline
remove_circle_outline
remove_circle_outline
remove_circle_outline
remove_circle_outline
remove_circle_outline
remove_circle_outline
remove_circle_outline
remove_circle_outline
remove_circle_outline
remove_circle_outline
remove_circle_outline
remove_circle_outline
remove_circle_outline
remove_circle_outline
remove_circle_outline
remove_circle_outline
remove_circle_outline
remove_circle_outline
remove_circle_outline

Article Types

Countries / Regions

remove_circle_outline
remove_circle_outline
remove_circle_outline
remove_circle_outline
remove_circle_outline
remove_circle_outline
remove_circle_outline
remove_circle_outline
remove_circle_outline

Search Results (7,245)

Search Parameters:
Keywords = MV6

Order results
Result details
Results per page
Select all
Export citation of selected articles as:
29 pages, 9220 KB  
Article
Effect of Melamine on the Oxygen Evolution Reaction Performance of PGM-Free Catalysts Under Alkaline Conditions
by Jorge Teixeira, Filipa Franco, Svetlozar Velizarov and Adélio Mendes
Appl. Sci. 2026, 16(7), 3310; https://doi.org/10.3390/app16073310 (registering DOI) - 29 Mar 2026
Abstract
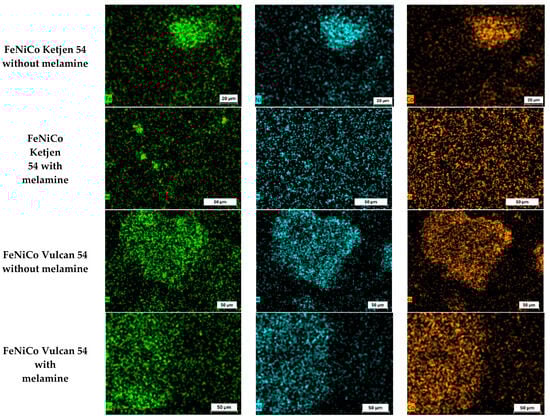
The PGM-free Fe–Ni–Co trimetallic catalysts developed in this study demonstrated outstanding performance for the oxygen evolution reaction (OER), achieving overpotentials as low as 300 mV at 10 mA cm−2 in rotating disk electrode (RDE) measurements, a value competitive with the most efficient [...] Read more.
The PGM-free Fe–Ni–Co trimetallic catalysts developed in this study demonstrated outstanding performance for the oxygen evolution reaction (OER), achieving overpotentials as low as 300 mV at 10 mA cm−2 in rotating disk electrode (RDE) measurements, a value competitive with the most efficient non-noble electrocatalysts reported in the literature. This study validates the strong catalytic performance of the baseline trimetallic configuration and provides important insights into the relationships among synthesis, structure, and morphology that govern catalyst activity. In particular, the findings highlight that although organic additives can be promising modifiers, the interaction between precursors and transition metals must be carefully controlled to avoid active-site isolation when designing efficient catalysts for sustainable hydrogen production. Actually, to further enhance catalytic activity, the nitrogen-rich precursor melamine was introduced into the supported trimetallic catalyst and then carbonized. However, no improvement in OER performance was observed. During carbonization, melamine promotes the formation of tip-growth carbon nanotubes, which mechanically disrupt the catalyst structure and degrade the supported active phase. Full article
(This article belongs to the Section Chemical and Molecular Sciences)
Show Figures

Figure 1

17 pages, 1318 KB  
Article
Development and Characterization of Mesembryanthemum crystallinum L. Extract-Loaded Phytosomes for Enhanced Delivery of Antioxidant Compounds
by Irina Fernandes, Ana Iglesias-Mejuto, João M. P. Coelho, Rosa Direito and Catarina P. Reis
Life 2026, 16(4), 557; https://doi.org/10.3390/life16040557 (registering DOI) - 29 Mar 2026
Abstract
M. crystallinum is an edible halophytic succulent plant rich in phenolic compounds with potential pharmaceutical applications. However, it is known that these phytocompounds generally present low absorption, which hinders their direct use in formulations. Therefore, delivery systems, such as phytosomes, can be regarded [...] Read more.
M. crystallinum is an edible halophytic succulent plant rich in phenolic compounds with potential pharmaceutical applications. However, it is known that these phytocompounds generally present low absorption, which hinders their direct use in formulations. Therefore, delivery systems, such as phytosomes, can be regarded as a potential strategy to overcome this disadvantage. This study aimed, for the first time, to prepare extracts from the ice plant using different solvents and to incorporate them into phytosomes. Physicochemical characterization of these phytosomes, their antioxidant activity, as well as the quantification and in vitro release profile of their phenolic and flavonoid compounds were studied. Different extraction solvents were assayed, and Ethanol:Acetone (80:20) achieved a strong antioxidant activity (reaching ca. 71.16%), extracting 3200.3 mg of GAE/100 g and 761.7 mg of QE/100 g of phenolic and flavonoid compounds, respectively. The phytosomal formulation exhibited a mean particle size of 233.80 nm, a polydispersity index of 0.23, and a zeta potential of −27.27 mV. Furthermore, a high encapsulation efficiency (96.63%) of the extracts in the phytosomes was obtained. The in vitro release test indicated that the antioxidant activity was retained, reaching a maximum of 42%, accompanied by a release of 51% of the flavonoid content at the end of the 3 h assay, under the experimental conditions. These findings highlight the potential of phytosomes formulated with Mesembryanthemum crystallinum extract as a delivery system for antioxidant phytochemicals. Full article
(This article belongs to the Special Issue Bioactive Natural Products: From Exploration to Therapeutic Potential)
Show Figures

Figure 1

23 pages, 1174 KB  
Article
A Reproducible Methodology for 3D Tree-Structure Mensuration and Risk-Oriented Decision Support: Integrating SfM–MVS, Field Referencing, and Rule-Based TRAQ/ALARP Logic
by Elias Milios and Kyriaki Kitikidou
Forests 2026, 17(4), 431; https://doi.org/10.3390/f17040431 (registering DOI) - 28 Mar 2026
Abstract
This manuscript presents a transferable and reproducible methodology for quantitative 3D tree-structure mensuration and transparent, rule-based decision support for tree risk management. The workflow integrates (i) Structure-from-Motion/Multi-View Stereo (SfM–MVS) reconstruction from multi-view imagery, (ii) independent referencing to ensure metric scaling and a consistent [...] Read more.
This manuscript presents a transferable and reproducible methodology for quantitative 3D tree-structure mensuration and transparent, rule-based decision support for tree risk management. The workflow integrates (i) Structure-from-Motion/Multi-View Stereo (SfM–MVS) reconstruction from multi-view imagery, (ii) independent referencing to ensure metric scaling and a consistent local frame, and (iii) point cloud analytics to derive branch-level geometric descriptors (e.g., base diameter, length, inclination, slenderness, and projected reach). A clear rule-based layer operationalizes Tree Risk Assessment Qualification (TRAQ)-style risk components and As Low As Reasonably Practicable (ALARP) principles to map geometry and exposure into auditable management recommendations (e.g., monitoring intervals, pruning/weight reduction, supplemental support, and exclusion-zone planning). To provide a real-data example, the demonstration uses the public Fuji-SfM apple orchard dataset, including three neighboring trees with partially overlapping crowns for tree instance extraction and subsequent TRAQ/ALARP scenarios on an outer tree. The proposed decision layer is intentionally based on external geometry and exposure; internal decay indicators and species-specific mechanical properties (e.g., Modulus of Elasticity (MOE), Modulus of Rupture (MOR)) are outside this demonstration and should be incorporated via complementary diagnostics in operational deployments. Full article
(This article belongs to the Section Forest Inventory, Modeling and Remote Sensing)
17 pages, 1019 KB  
Article
Indole-3-Acetic Acid-Assisted Microalgal Biofilm for High-Efficiency Wastewater Purification: Biomass Densification and Pollutant Removal Kinetics
by Qun Wei, Fu Pang, Dan Zhao, Wenxi Chu, Ziming Pan and Xiangmeng Ma
Water 2026, 18(7), 805; https://doi.org/10.3390/w18070805 - 27 Mar 2026
Abstract
The enhancement of startup and performance in a Tetradesmus obliquus-polyurethane sponge biofilm system was investigated via the regulation of the phytohormone Indole-3-acetic acid (IAA). IAA supplementation at 1 and 5 mg/L increased biofilm biomass and chlorophyll a content, with the maximum biofilm [...] Read more.
The enhancement of startup and performance in a Tetradesmus obliquus-polyurethane sponge biofilm system was investigated via the regulation of the phytohormone Indole-3-acetic acid (IAA). IAA supplementation at 1 and 5 mg/L increased biofilm biomass and chlorophyll a content, with the maximum biofilm biomass reaching 48.2 mg/g, and improved nutrient removal performance under shock-loading conditions, particularly for total nitrogen (TN) and total phosphorus (TP). IAA treatment was associated with EPS remodeling, including an increase in the protein/polysaccharide ratio to 0.68 and a 16% enrichment in tryptophan-like protein components. These EPS-related changes coincided with a decrease in the absolute zeta potential to −2.49 mV, which may be relevant to enhanced initial biofilm development. The corresponding EPS-related changes were characterized by three-dimensional excitation–emission matrix (3D-EEM) and Fourier transform infrared (FTIR) analyses using representative concentrations. Furthermore, the IAA-treated biofilm showed improved resilience under low, medium, and high loading conditions, with the most favorable TN removal reaching 87% at 1 mg/L IAA. These results suggest that IAA supplementation at 1 and 5 mg/L can promote microalgal biofilm start-up and improve nutrient-removal resilience under the tested conditions, with 5 mg/L showing the strongest response in biofilm growth and structural characterization. Full article
(This article belongs to the Section Wastewater Treatment and Reuse)
15 pages, 796 KB  
Article
An Action Potential Detector Based on a High-Order Nonlinear Energy Operator
by Tao Yang, Xiaolong Li and Wei Zheng
Electronics 2026, 15(7), 1401; https://doi.org/10.3390/electronics15071401 - 27 Mar 2026
Abstract
This paper presents an action potential detector (APD) based on a high-order non-linear energy operator (HONEO). The APD consists of a HONEO, a positive threshold generator, a negative threshold generator, and an XOR. The APD is capable of detecting the half-width of an [...] Read more.
This paper presents an action potential detector (APD) based on a high-order non-linear energy operator (HONEO). The APD consists of a HONEO, a positive threshold generator, a negative threshold generator, and an XOR. The APD is capable of detecting the half-width of an action potential since it can determine both the positive peak and the negative peak of the action potential by means of the HONEO and two threshold generators. In addition, the signal-to-noise ratio (SNR) of the APD can also be improved due to the two adaptive threshold generators. The circuit is designed in a standard 0.18 μm CMOS process with a 1.8 V supply voltage. Pre-layout simulations are performed under typical conditions (TT process corner, 1.8 V supply, 27 C). The results show that the output amplitudes of the HONEO remain almost constant (±100 mV) when the amplitude of the source signal varies from −10 mV to 30 mV at 1 kHz. Across temperature variations from 20C to 80 C, the output amplitude remains within ±12% of the nominal value, demonstrating acceptable stability for the target implantable application. Compared to the conventional NEO, the APD achieves 14–20dB SNR improvement, a detection accuracy of 97%. The power consumption of the APD is approximately 62μW. Full article
28 pages, 1001 KB  
Article
VVC-MV-CM: A Complexity-Managed Multiview Extension for VVC with Adaptive Inter-View Prediction
by Reka Sandaruwan Gallena Watthage and Anil Fernando
Appl. Sci. 2026, 16(7), 3254; https://doi.org/10.3390/app16073254 - 27 Mar 2026
Abstract
Multiview video coding grows exponentially with the number of views, and VVC-based systems face particularly severe computational burdens from exhaustive inter-view prediction searches. We propose VVC-MV-CM, a complexity-managed multiview extension of VVC that combines rule-based pre-screening with CNN-based adaptive inter-view prediction bypassing within [...] Read more.
Multiview video coding grows exponentially with the number of views, and VVC-based systems face particularly severe computational burdens from exhaustive inter-view prediction searches. We propose VVC-MV-CM, a complexity-managed multiview extension of VVC that combines rule-based pre-screening with CNN-based adaptive inter-view prediction bypassing within a two-stage decision engine. Performance trends are observed across 19 test sequences covering planar, arc, and spherical camera configurations under all-view and selected-view encoding modes. For planar all-view configurations, VVC-MV-CM-A achieves −52.7% BD-rate relative to MIV-A with 68% encoding time reduction. Arc arrangements yield competitive performance at −1.26% (all-view) and approximately −1% (selected-view) BD-rate. Spherical configurations demonstrate −19.8% (all-view) and −15.0% (selected-view) BD-rate gains, driven by multi-reference redundancy and temporal prediction prioritization. View density analysis reveals a 4.8 percentage-point compression difference between all-view and selected-view configurations, corresponding to approximately 2.4% efficiency gain per doubling of camera count. The proposed codec achieves 1.17–1.46× encoding time relative to MIV anchors with 18–36% decoding speedup, establishing configuration-adaptive prediction as an effective and deployable approach to multiview video coding across a wide range of geometric complexities and view-sampling densities. Full article
(This article belongs to the Section Computing and Artificial Intelligence)
23 pages, 2945 KB  
Article
Fabrication and Characterization of Nerolidol-Based Invasomes: Loading, Stability and Antimicrobial Applications
by Gaetano Lamberti, Raffaella De Piano, Diego Caccavo, Sara Guarino, Lorenzo Bosio, Dante Greco, Clotilde Silvia Cabassi, Nicolò Mezzasalma, Costanza Spadini, Federico Righi, Marica Simoni, Susanna Bosi and Anna Angela Barba
Pharmaceutics 2026, 18(4), 410; https://doi.org/10.3390/pharmaceutics18040410 - 27 Mar 2026
Abstract
Background/Objectives: Nerolidol (NER) is a sesquiterpene alcohol with recognized antimicrobial potential, whose applications as a pure substance are limited by hydrophobicity, instability, and cytotoxicity. Invasomes, i.e., liposomes with terpene ingredients, offer a strategy to improve their delivery; however, the NER loading limits [...] Read more.
Background/Objectives: Nerolidol (NER) is a sesquiterpene alcohol with recognized antimicrobial potential, whose applications as a pure substance are limited by hydrophobicity, instability, and cytotoxicity. Invasomes, i.e., liposomes with terpene ingredients, offer a strategy to improve their delivery; however, the NER loading limits compatible with vesicle integrity are still unclear. Here, Nerolidol-loaded invasomes were produced using a controlled simil-microfluidic coaxial injection process. Methods and Results: As a preliminary step, unloaded liposomes were fabricated to consolidate operating conditions and ensure their reproducible colloidal properties. Thereafter, formulations with progressively decreasing nominal NER loads were investigated to evaluate vesicle size, polydispersity, ζ-potential, encapsulation efficiency, effective loading, and stability. High nominal loads promoted turbidity, size increase (by agglomeration coalescence phenomena), and structural instability, whereas formulations containing approximately 1–2% NER achieved nearly complete encapsulation, Z-average ≈ 300 nm, |ζ| > 30 mV, and satisfactory physical stability. Antimicrobial and cytotoxic profiles of representative formulations, previously evaluated in an independent study are here reported only to contextualize the practical relevance of the optimized systems, while the present work primarily focuses on process–formulation aspects and loading/stability limitations. Conclusions: Overall, the present work identifies a realistic loading window for Nerolidol invasomes and highlights the suitability of the simil-microfluidic approach to obtain scalable, well-controlled formulations, providing a rational basis for their future biological assessment. Nerolidol invasome systems indeed can be considered a promising, versatile platform for antimicrobial applications, including prospective use in animal feed. Full article
(This article belongs to the Special Issue Design of Dosage Forms to Enhance Biopharmaceutical Properties)
Show Figures

Figure 1

15 pages, 1379 KB  
Article
Preparation and Characterization of Eugenol and 1,8-Cineole Nanoemulsions for Enhancing Anesthetic Activity in Guppy Fish (Poecilia reticulata)
by Surachai Pikulkaew, Saransiri Nuanmanee, Banthita Saengsitthisak, Kantaporn Kheawfu, Charatda Punvittayagul and Wasana Chaisri
Macromol 2026, 6(2), 20; https://doi.org/10.3390/macromol6020020 - 27 Mar 2026
Viewed by 43
Abstract
This study aimed to prepare and characterize nanoemulsions containing eugenol and 1,8-cineole using the emulsification method and to investigate their anesthetic effects on guppy fish. The optimized formulation comprised a 5–10% mixture of eugenol and 1,8-cineole in a 1:2 ratio, stabilized with 15–20% [...] Read more.
This study aimed to prepare and characterize nanoemulsions containing eugenol and 1,8-cineole using the emulsification method and to investigate their anesthetic effects on guppy fish. The optimized formulation comprised a 5–10% mixture of eugenol and 1,8-cineole in a 1:2 ratio, stabilized with 15–20% Tween 80. The selected formulations displayed mean particle sizes below 15 nm, a low polydispersity index (PDI) (<0.5), and a zeta potential that was more negative than −40 millivolts (mV), indicating stable emulsions. Their pH ranged from 6.50 to 6.63, indicating slight acidity. The formulations exhibited non-Newtonian rheology, as well as thinning under shear stress. Three formulations (F2, F6, and F12) remained stable after both accelerated and long-term stability testing. All nanoemulsions were able to induce guppy fish to the third stage of anesthesia. The nanoemulsions with concentrations of 50 mg/L and 100 mg/L eugenol effectively induced sedation and anesthesia in both sexes and reduced the induction and recovery times compared with the ethanol solution. In conclusion, this study highlights nanoemulsions as a promising drug delivery system for alternative anesthetics in aquaculture. Full article
Show Figures

Graphical abstract

19 pages, 3277 KB  
Article
Generation of Zucchini Tigre Mosaic Virus Mild Strains for Application in Cross-Protection
by Chung-Hao Huang, Li-Cheng Chuang and Yuh-Kun Chen
Viruses 2026, 18(4), 411; https://doi.org/10.3390/v18040411 - 26 Mar 2026
Viewed by 181
Abstract
Zucchini tigre mosaic virus (ZTMV; Potyvirus pepotigris), which infects wax gourd (Benincasa hispida), was first identified in Taiwan in 2017 and designated ZTMV-TW. In this study, mild strains of ZTMV-TW were generated by modifying the pathogenicity factor HC-Pro to develop [...] Read more.
Zucchini tigre mosaic virus (ZTMV; Potyvirus pepotigris), which infects wax gourd (Benincasa hispida), was first identified in Taiwan in 2017 and designated ZTMV-TW. In this study, mild strains of ZTMV-TW were generated by modifying the pathogenicity factor HC-Pro to develop cross-protection strategies for cucurbit crops. A full-length infectious cDNA clone of ZTMV-TW was cloned in pCAMBIA1304 under the control of the CaMV 35S promoter (ZTMV-TWic). ZTMV-TWic induced typical potyvirus particles, cytoplasmic inclusion bodies, and severe symptoms in wax gourd, pumpkin, and zucchini plants. Conserved motifs of HC-Pro were mutated to generate four single mutants (F7I, R181I, F206L, and D397N) and three double mutants (F7I+F206L, R181I+D397N, and F206L+D397N). Mutants R181I and R181I+D397N caused mild or no symptoms in zucchini, while D397N and F206L+D397N were mild in wax gourd. Cross-protection assays showed that R181I and R181I+D397N provided complete protection against ZTMV-GFP in zucchini, whereas D397N and F206L+D397N conferred high protection in wax gourd. These results demonstrate the feasibility of host-specific mild strain selection for effective ZTMV cross-protection. Full article
(This article belongs to the Special Issue Application of Genetically Engineered Plant Viruses, 2nd Edition)
Show Figures

Figure 1

24 pages, 3252 KB  
Article
Serotonin Modulates Stellate Cell Excitability via 5-HT Receptors and HCN Channels in the Mouse Anteroventral Cochlear Nucleus
by Beytullah Özkaya, Caner Yıldırım, Ender Erdoğan, Mehmet Şerif Aydın and Ramazan Bal
Int. J. Mol. Sci. 2026, 27(7), 3030; https://doi.org/10.3390/ijms27073030 - 26 Mar 2026
Viewed by 192
Abstract
Serotonergic projections innervate both the dorsal and ventral cochlear nuclei; however, the electrophysiological consequences of serotonergic input in the ventral cochlear nucleus (VCN) remain incompletely understood. This study aimed to identify the serotonin receptor subtypes involved in serotonergic modulation of stellate cells in [...] Read more.
Serotonergic projections innervate both the dorsal and ventral cochlear nuclei; however, the electrophysiological consequences of serotonergic input in the ventral cochlear nucleus (VCN) remain incompletely understood. This study aimed to identify the serotonin receptor subtypes involved in serotonergic modulation of stellate cells in the mouse anteroventral cochlear nucleus (AVCN) and to determine the underlying ion channel mechanisms. Whole-cell patch-clamp recordings were performed in acute brain slices obtained from postnatal day 12–17 mice. Bath application of serotonin (25 µM) induced membrane depolarization (~5 mV) and increased action potential firing. Pharmacological experiments demonstrated that antagonists of 5-HT1A, 5-HT2A, and 5-HT2C receptors partially reversed the depolarization and reduced serotonin-induced inward currents, indicating that multiple receptor subtypes contribute to serotonergic excitation. Blockade of hyperpolarization-activated cyclic nucleotide-gated (HCN) channels with extracellular Cs+ suppressed approximately 95% of the serotonin-induced depolarization and inward current, implicating HCN channel-mediated Ih as a principal ionic mechanism. Serotonin significantly increased Ih amplitude. Analysis of steady-state activation revealed no statistically significant shift in V0.5; however, under near-resting membrane potential conditions, serotonin significantly reduced the slope factor of the activation curve, consistent with altered voltage sensitivity of Ih gating. Immunohistochemical analysis confirmed the presence of 5-HT1A, 5-HT2A, and 5-HT2C receptors in the AVCN. Together, these findings indicate that serotonergic excitation of AVCN stellate cells is mediated by coordinated activation of multiple 5-HT receptor subtypes and primarily involves modulation of HCN-dependent subthreshold membrane dynamics. Full article
(This article belongs to the Section Biochemistry)
Show Figures

Figure 1

31 pages, 3527 KB  
Article
The Assessment of Property Value Under EU Regulation 575/2013: An Operational Model for Italian Residential Market
by Paolo Rosato, Giovanni Florian and Matteo Galante
Real Estate 2026, 3(2), 3; https://doi.org/10.3390/realestate3020003 - 26 Mar 2026
Viewed by 111
Abstract
The correct valuation of collateral supporting real estate loans has always been a key issue for the stability of the credit system. Substandard lending practices and the absence of uniform valuation approaches have historically contributed to the accumulation of non-performing loans. In recent [...] Read more.
The correct valuation of collateral supporting real estate loans has always been a key issue for the stability of the credit system. Substandard lending practices and the absence of uniform valuation approaches have historically contributed to the accumulation of non-performing loans. In recent years, several regulatory measures operating at both the European and national level have introduced principles, rules and procedures aimed at standardizing the valuation of properties pledged as collateral for credit exposures. These interventions seek to promote greater transparency, consistency, and prudence in property appraisals, thereby enhancing the soundness and resilience of the financial system. In January 2025, the updated Regulation (EU) 575/2013 came into force, incorporating the Basel III reform (also referred to as Basel 3+ or Basel IV). Among the innovations introduced, the concept of property value (PV) is particularly relevant, a prudential value that excludes expectations of price growth and considers the sustainability of the value over time in relation to the duration of the loan. PV is defined as a derived value with respect to market value (MV), determined by considering the main current and forward-looking risk factors that may arise during the life of the loan, including environmental, social and governance (ESG) risks, the intrinsic characteristics of the property and expectations regarding the economic cycle. This paper proposes a quantitative model for the determination of PV, applied to a practical case involving a residential property located in a medium-sized city in Italy’s Veneto region. The model adopts a deterministic and a probabilistic approach, the latter implemented through Monte Carlo simulation, which is indeed a generalization of the deterministic one. The model links the assessment of PV to the possible evolution of the property’s key parameters and the real estate cycle over the duration of the loan. It was tested under the assumption of a twenty-year mortgage originated in 2025 for the purchase of a residential property in Italy, considering two alternative locations: a suburban area and a city-centre area. The analysis conducted showed a substantially higher MV haircut for the suburban property compared with the central location. This difference reflects the fact that PV is less sensitive to real estate cycle fluctuations in more premium, central locations. Furthermore, the use of Monte Carlo simulation in the probabilistic approach enabled the calibration of the haircut according to a predefined confidence level, confirming the pattern observed in the deterministic framework. The combined evidence strengthens the empirical robustness of the model and highlights the importance of locational and cyclical dynamics in collateral valuation. Full article
Show Figures

Figure 1

18 pages, 2720 KB  
Article
A Poly-Aromatic Hydrocarbon-Grafted Silicon-Quantum-Dot-Based Desorption Agent with High Salt Resistance and Its Influence on the Adsorption/Desorption Behavior of CBM in Deep Coal Rock
by Haibo Li, Lei Yue, Hongxing Xu, Yanhong Li, Yining Zhou, Rong Zhang, Kongjie Wang, Hongzhong Zhang, Shuai Luo, Bin Ren, Fei Chen and Yufei Liu
Polymers 2026, 18(7), 803; https://doi.org/10.3390/polym18070803 - 26 Mar 2026
Viewed by 180
Abstract
Coal-bed gas well production is too low to realize a highly efficient exploitation of the #8 coal seam in the Shanxi formation in the Nalin region. Based on the reservoir characteristics, the designed poly-aromatic-grafted silicon-quantum-dot-based desorption agent (PQS) has been developed. Then, the [...] Read more.
Coal-bed gas well production is too low to realize a highly efficient exploitation of the #8 coal seam in the Shanxi formation in the Nalin region. Based on the reservoir characteristics, the designed poly-aromatic-grafted silicon-quantum-dot-based desorption agent (PQS) has been developed. Then, the adsorption/desorption behavior of CBM on the coal surface under the influence of this active chemical has been studied, and the synergy effect with an anionic–nonionic surfactant to desorption of CBM has also been discussed. The results show that the developed poly-aromatic-grafted silicon quantum dot, with a median size of 4.9 nm and +5.6 mV of zeta potential in neutral condition, has a significant emission peak with 470 nm at the excitation of 380 nm and 150,000 mg/L of salinity resistance, which also generates a strong adsorption capacity on the coal surface. A promoting effect to desorption of CBM for PQS nanofluid is exhibited and the Langmuir pressure is obviously increased. However, when the PQS nanofluid is synergized with an anionic–nonionic surfactant, the desorption of CBM is further improved and the wettability of the coal surface is altered from 78.2° to 84.2°. The desorption rate for this compound system reached 65.3%. It can be found that combining the quantum size, π–π stacking, π–π conjugation, and the synergy effect between PQS nanofluid and surfactant fluid with the traditional intermolecular force has a stronger capacity for promoting desorption of CBM than the conventional desorption agent. This study provides guidance for the molecular design of the desorption agent for deep coal rock and the application of silicon quantum dots. Full article
(This article belongs to the Special Issue Application of Polymers in Enhanced Oil Recovery)
Show Figures

Figure 1

8 pages, 870 KB  
Article
Incremental Pulse-Width Erase (IPWE) Scheme for Fast and Variation-Tolerant GIDL Erase of 3D NAND Flash
by Youngjun Park and Wonbo Shim
Micromachines 2026, 17(4), 399; https://doi.org/10.3390/mi17040399 (registering DOI) - 25 Mar 2026
Viewed by 162
Abstract
In this work, we propose an incremental pulse-width erase (IPWE) scheme for fast and variation-tolerant gate-induced drain leakage (GIDL) erase of 3D NAND flash. For the GIDL erase operation, GIDL-generated hole accumulation is required to raise the channel potential. This requirement leads to [...] Read more.
In this work, we propose an incremental pulse-width erase (IPWE) scheme for fast and variation-tolerant gate-induced drain leakage (GIDL) erase of 3D NAND flash. For the GIDL erase operation, GIDL-generated hole accumulation is required to raise the channel potential. This requirement leads to a transient state that degrades erase speed and broadens distribution of the erased Vth. In addition, the degradation becomes more pronounced with critical-dimension (CD) variation and temperature variation. The proposed IPWE scheme increases erase pulse width progressively, rather than increasing erase voltage as in the conventional incremental step pulse erase (ISPE) scheme. Sentaurus TCAD simulations of a 3D NAND flash with a surrounded BL PAD structure demonstrate that the IPWE scheme achieves a 1.18 V larger Vth shift compared to the ISPE scheme for the same total erase time of 6.6 ms. The IPWE scheme also effectively narrows the erase Vth shift distribution, reducing it by 40 mV under a 55 nm CD variation, 0.26 V for a 10 nm CD variation between channel strings, and 2 V across a 50 K temperature variation, all within a total erase time of 6.6 ms. Full article
(This article belongs to the Section D1: Semiconductor Devices)
Show Figures

Figure 1

19 pages, 7252 KB  
Article
Core–Shell Polyaniline–Carbon Nanotube Electrodes with Engineered Interfaces for High-Performance Ionic Polymer–Gel Composite Actuators
by Jintao Zhao, Yang Cao, Zhenjie Zhang, Dongyu Yang and Mingchuan Jia
Gels 2026, 12(4), 270; https://doi.org/10.3390/gels12040270 - 25 Mar 2026
Viewed by 178
Abstract
Ionic polymer–metal composites consist of an ion-conducting polymer–gel membrane sandwiched between two flexible electrodes, representing a class of soft electroactive materials capable of large deformation under low voltage. The gel membrane, swollen with solvent, facilitates ion migration under an electric field, enabling actuation. [...] Read more.
Ionic polymer–metal composites consist of an ion-conducting polymer–gel membrane sandwiched between two flexible electrodes, representing a class of soft electroactive materials capable of large deformation under low voltage. The gel membrane, swollen with solvent, facilitates ion migration under an electric field, enabling actuation. Tailoring the interfacial architecture between the electrode and the polymer–gel membrane is pivotal for advancing high-performance IPMC actuators. This study presents a comparative investigation of three core–shell nanocomposite electrodes, fabricated via in situ polymerization, for IPMC applications. Among these, the polyaniline-coated multi-walled carbon nanotube composite exhibits a deliberately designed hierarchical structure, with a specific surface area of 32.345 m2·g−1 and a conductive doped polyaniline shell, as confirmed through XPS analysis. This optimized interface enables superior charge storage and transport, endowing the corresponding electrode with a specific capacitance of 40.28 mF·cm−2 at 100 mV·s−1—3.2 times greater than that of conventional silver-based electrodes—along with a reduced sheet resistance. When integrated with a Nafion ion–gel membrane, the PANI@MWCNT electrode achieves a 67% increase in force density and a larger displacement output compared to standard devices, directly correlated with its enhanced electrical and electrochemical properties. This work highlights the critical role of core–shell interfacial engineering in governing electromechanical performance at the electrode–gel interface and offers a practical design strategy for developing high-performance, cost-effective IPMC actuators for soft robotics, flexible electronics, and related applications. Full article
(This article belongs to the Section Gel Chemistry and Physics)
Show Figures

Graphical abstract

16 pages, 5292 KB  
Article
Self-Supported High-Entropy Alloy Selenide Electrodes for Efficient Acid/Alkaline Amphoteric Water Electrolysis
by Tong Zhai, Shicao Li, Shouquan Xiang, Hua Tan, Junsheng Yang and Huangchu Chen
Coatings 2026, 16(4), 398; https://doi.org/10.3390/coatings16040398 - 25 Mar 2026
Viewed by 241
Abstract
In this work, Fe, Co, Ni, Cu, and Mo powders were used as starting materials to prepare high-entropy alloy (HEA) thin films by a coating and vacuum sintering process. Using the HEA thin film as the substrate, selenium was subsequently deposited by chemical [...] Read more.
In this work, Fe, Co, Ni, Cu, and Mo powders were used as starting materials to prepare high-entropy alloy (HEA) thin films by a coating and vacuum sintering process. Using the HEA thin film as the substrate, selenium was subsequently deposited by chemical vapor deposition (CVD) to obtain high-entropy alloy selenide thin films (HEASe). The phase structure, surface chemical states, morphology, and elemental distribution of the porous films were characterized by X-ray diffraction (XRD), X-ray photoelectron spectroscopy (XPS), scanning electron microscopy (SEM), and energy-dispersive X-ray spectroscopy (EDS). The electrocatalytic hydrogen evolution performance of the electrodes was evaluated using a three-electrode configuration in 0.5 M H2SO4, 1 M KOH, 1 M KOH + 0.5 M NaCl, and 1 M KOH + 0.5 M Na2S solutions. The results indicate that the HEA selenide thin-film electrodes exhibit favorable electrocatalytic behavior in all four electrolytes. Among them, HEASe-450 shows the best overall performance. In 0.5 M H2SO4, it requires an overpotential of only 57.6 mV to reach a current density of 10 mA cm−2, with a Tafel slope of 146.96 mV dec−1. In 1 M KOH, the overpotential at 10 mA cm−2 is 50.1 mV, and the corresponding Tafel slope is 142 mV dec−1. In 1 M KOH + 0.5 M NaCl, the overpotential is 52.7 mV with a Tafel slope of 122.72 mV dec−1. In 1 M KOH + 0.5 M Na2S, an overpotential of 85 mV is required, and the Tafel slope increases to 236 mV dec−1. Full article
Show Figures

Figure 1

Back to TopTop