Quantitative Assessment of Red Blood Cell Disaggregation in Chronic Lymphocytic Leukemia via Software Image Flow Analysis
Abstract
1. Introduction
2. Materials and Methods
2.1. Study Groups and Ethics Statement
2.2. Blood Collection and Sample Preparation
2.3. Stimulation of RBC Aggregation
2.4. Viscosity Measurements
2.5. Microfluidic System Description and Experiments
2.6. Design of the Aggregation Experiments
2.7. Design of the Disaggregation Experiments
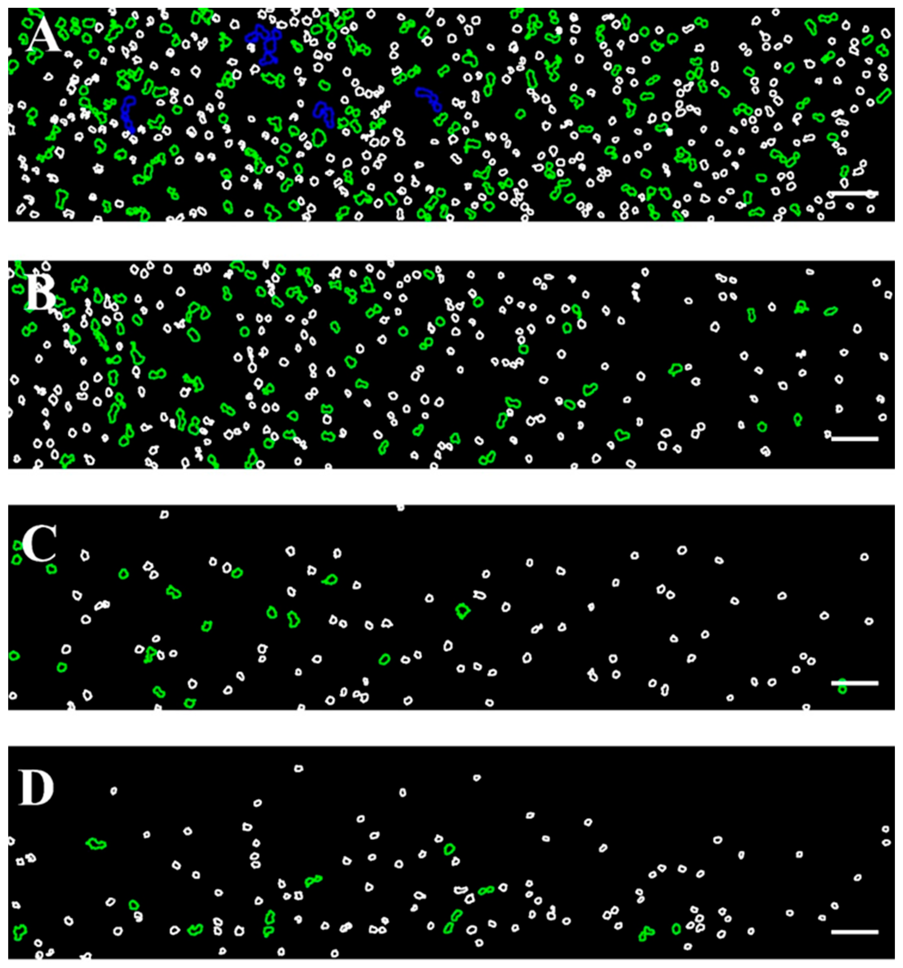
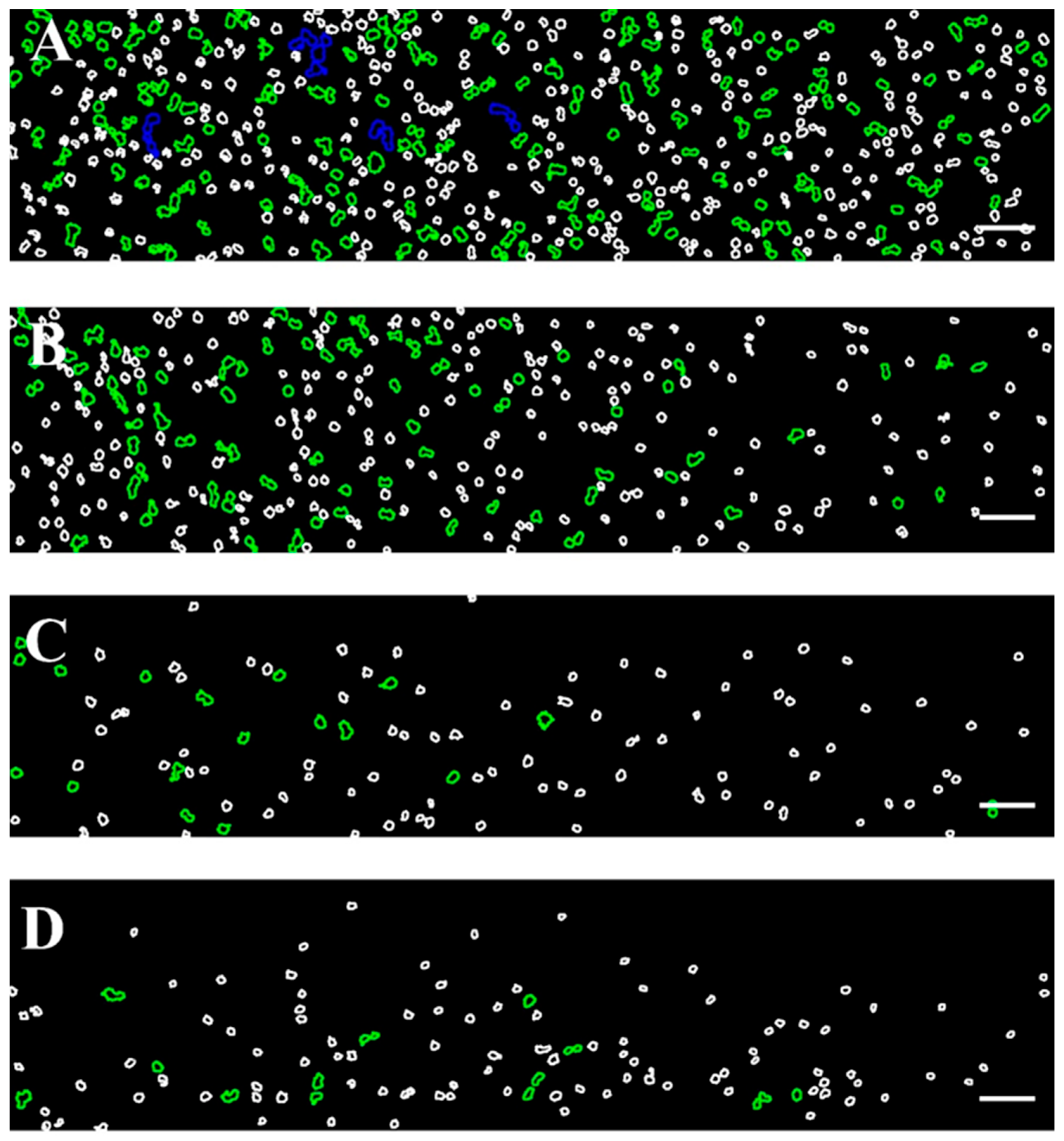
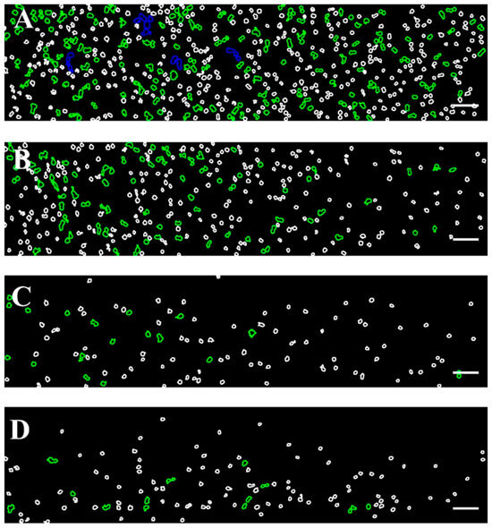
2.8. Computational Image Analysis for Red Blood Cell Aggregate Classification and Visualization
- Identifying RBC aggregates with dimensional parameters exceeding 50 µm2 with no defined upper limit;
- Systematic cataloging within the Region of Interest (ROI) Manager of Image J for further analysis processing.
2.9. RBC Aggregation Indices
2.10. Clinical and Hematological Indices
2.11. Theoretical Assumptions on Flow Field, Shear Rate Distribution, and Shear-Induced RBC Migration in the Context of BioFlux Experimental Analysis
2.11.1. Nominal Shear Rate
2.11.2. A Local Shear Rate Approximation
2.11.3. Shear-Induced Migration in the Context of Dilute RBC Suspensions
2.12. Statistical Analysis
3. Results
3.1. Clinical and Hematological Characteristics of the CLL Patients and Healthy Controls
3.2. Evaluation of Critical Shear Rate for RBC Disaggregation in the Healthy State
3.3. RBC Disaggregation and Rheological Indices in CLL Patient Groups and Healthy Individuals
4. Discussion
5. Conclusions
Supplementary Materials
Author Contributions
Funding
Data Availability Statement
Acknowledgments
Conflicts of Interest
Abbreviations
| RBCs | red blood cells |
| CLL | Chronic Lymphocytic Leukemia |
| BCR | B-cell receptor |
| IL-6 | interleukin-6 |
| TNF-α | tumor necrosis factor-alpha |
| AIHA | autoimmune hemolytic anemia |
| AAI | Aggregate-Area Indicator |
| NA | Number of Aggregates |
| AAIL | Aggregate-Area Indicator at low-flow conditions |
| AAIH | Aggregate-Area Indicator at high-flow conditions |
| Hb | hemoglobin |
References
- Diez-Silva, M.; Dao, M.; Han, J.; Lim, C.T.; Suresh, S. Shape and Biomechanical Characteristics of Human Red Blood Cells in Health and Disease. MRS Bull. 2010, 35, 382–388. [Google Scholar] [CrossRef] [PubMed]
- Baskurt, O.K.; Meiselman, H.J. Erythrocyte aggregation: Basic aspects and clinical importance. Clin. Hemorheol. Microcirc. 2013, 53, 23–37. [Google Scholar] [CrossRef] [PubMed]
- Mehri, R.; Mavriplis, C.; Fenech, M. Red blood cell aggregates and their effect on non-Newtonian blood viscosity at low hematocrit in a two-fluid low shear rate microfluidic system. PLoS ONE 2018, 13, e0199911. [Google Scholar] [CrossRef] [PubMed]
- Jin, X.; Zhang, Y.; Wang, D.; Zhang, X.; Li, Y.; Wang, D.; Liang, Y.; Wang, J.; Zheng, L.; Song, H.; et al. Metabolite and protein shifts in mature erythrocyte under hypoxia. iScience 2024, 27, 109315. [Google Scholar] [CrossRef]
- Semenov, A.N.; Lugovtsov, A.E.; Shirshin, E.A.; Yakimov, B.P.; Ermolinskiy, P.B.; Bikmulina, P.Y.; Kudryavtsev, D.S.; Timashev, P.S.; Muravyov, A.V.; Wagner, C.; et al. Assessment of Fibrinogen Macromolecules Interaction with Red Blood Cells Membrane by Means of Laser Aggregometry, Flow Cytometry, and Optical Tweezers Combined with Microfluidics. Biomolecules 2020, 10, 1448. [Google Scholar] [CrossRef]
- Nader, E.; Skinner, S.; Romana, M.; Fort, R.; Lemonne, N.; Guillot, N.; Gauthier, A.; Antoine-Jonville, S.; Renoux, C.; Hardy-Dessources, M.D.; et al. Blood Rheology: Key Parameters, Impact on Blood Flow, Role in Sickle Cell Disease and Effects of Exercise . Front. Physiol. 2019, 10, 1329. [Google Scholar] [CrossRef]
- Lee, K.; Kinnunen, M.; Khokhlova, M.D.; Lyubin, E.V.; Priezzhev, A.V.; Meglinski, I.; Fedyanin, A.A. Optical tweezers study of red blood cell aggregation and disaggregation in plasma and protein solutions. J. Biomed. Opt. 2016, 21, 35001. [Google Scholar] [CrossRef]
- Brenner, B.; Koren, A.; Engelberg, S.; Notti, I.; Tatarsky, I. Increased red blood cell aggregability as a contributory factor for vascular occlusion in sickle cell disease. Am. J. Hematol. 1992, 39, 176–179. [Google Scholar]
- Chung, S.M.; Oh, J.H.; Moon, J.S. Critical Shear Stress is Associated with Diabetic Kidney Disease in Patients with Type 2 Diabetes. Sci. Rep. 2018, 8, 908. [Google Scholar] [CrossRef]
- Nader, E.; Nougier, C.; Boisson, C. Increased blood viscosity and red blood cell aggregation in patients with COVID-19. Am. J. Hematol. 2022, 97, 283–292. [Google Scholar] [CrossRef]
- Le Devehat, C.; Vimeux, M.; Bondoux, G.; Bertrand, A. Red blood cell aggregation and disaggregation in diabetes mellitus. Clin. Hemorheol. 1989, 9, 845–854. [Google Scholar] [CrossRef]
- Razavian, S.M.; Del Pino, M.; Simon, A.; Levenson, J. Increase in erythrocyte disaggregation shear stress in hypertension. Hypertension 1992, 20, 247–252. [Google Scholar] [CrossRef] [PubMed]
- Caligaris-Cappio, F. Inflammation, the microenvironment and chronic lymphocytic leukemia. Haematologica 2011, 96, 353–355. [Google Scholar] [CrossRef] [PubMed][Green Version]
- Hallek, M.; Al-Sawaf, O. Chronic lymphocytic leukemia: 2022 update on diagnostic and therapeutic procedures. Am. J. Hematol. 2021, 96, 1679–1705. [Google Scholar] [CrossRef]
- Saluja, S.; Bansal, I.; Bhardwaj, R.; Beg, M.S.; Palanichamy, J.K. Inflammation as a driver of hematological malignancies. Front. Oncol. 2024, 14, 1347402. [Google Scholar] [CrossRef] [PubMed]
- Fayad, L.; Keating, M.J.; Reuben, J.M.; O’Brien, S.; Lee, B.N.; Lerner, S. Interleukin-6 and interleukin-10 levels in chronic lymphocytic leukemia: Correlation with phenotypic characteristics and outcome. Blood 2001, 97, 256–263. [Google Scholar] [CrossRef]
- Rozovski, U.; Keating, M.J.; Estrov, Z. Targeting inflammatory pathways in chronic lymphocytic leukemia. Crit. Rev. Oncol. Hematol. 2013, 88, 655–666. [Google Scholar] [CrossRef]
- Hamblin, T.J. Autoimmune complications of chronic lymphocytic leukemia. Semin Oncol. 2006, 33, 230–239. [Google Scholar] [CrossRef]
- Barcellini, W. New insights in autoimmune hemolytic anemia: From pathogenesis to therapy. Int. J. Lab. Hematol. 2015, 37 (Suppl. S1), 1–10. [Google Scholar] [CrossRef]
- Reed, J.C.; Pellecchia, M. Apoptosis-based therapies for hematologic malignancies. Blood 2005, 106, 408–418. [Google Scholar] [CrossRef]
- Parmar, S.; Patel, K.; Pinilla-Ibarz, J. Ibrutinib (imbruvica): A novel targeted therapy for chronic lymphocytic leukemia. Pharm. Ther. 2014, 39, 483–519. [Google Scholar]
- Soto, F.; Martinez, D.F.; Del Castillo, L. Microfluidic technologies in blood rheology and red blood cell mechanics. Microfluid. Nanofluidics 2017, 21, 121. [Google Scholar]
- Ganesan, M.; Kappanayil, M.; Suresh, S. Microfluidic models for sickle cell disease and other hemorheological disorders. J. Hematol. 2019, 9, 53–64. [Google Scholar]
- Alexandrova-Watanabe, A.; Abadjieva, E.; Giosheva, I.; Langari, A.; Tiankov, T.; Gartchev, E.; Komsa-Penkova, R.; Todinova, S. Assessment of Red Blood Cell Aggregation in Preeclampsia by Microfluidic Image Flow Analysis—Impact of Oxidative Stress on Disease Severity. Int. J. Mol. Sci. 2024, 25, 3732. [Google Scholar] [CrossRef] [PubMed]
- Alexandrova-Watanabe, A.; Abadjieva, E.; Gartcheva, L.; Langari, A.; Ivanova, M.; Guenova, M.; Tiankov, T.; Strijkova, V.; Krumova, S.; Todinova, S. The Impact of Targeted Therapies on Red Blood Cell Aggregation in Patients with Chronic Lymphocytic Leukemia Evaluated Using Software Image Flow Analysis. Micromachines 2025, 16, 95. [Google Scholar] [CrossRef]
- Hallek, M.; Cheson, B.D.; Catovsky, D.; Caligaris-Cappio, F.; Dighiero, G.; Döhner, H.; Hillmen, P.; Keating, M.; Montserrat, E.; Chiorazzi, N. iwCLL guidelines for diagnosis, indications for treatment, response assessment, and supportive management of CLL. Blood 2018, 131, 2745–2760. [Google Scholar] [CrossRef] [PubMed]
- Hallek, M.; Cheson, B.D.; Catovsky, D.; Caligaris-Cappio, F.; Dighiero, G.; Döhner, H.; Hillmen, P.; Keating, M.J.; Montserrat, E.; Rai, K.R. International Workshop on Chronic Lymphocytic Leukemia. Guidelines for the diagnosis and treatment of chronic lymphocytic leukemia: A report from the International Workshop on Chronic Lymphocytic Leukemia updating the National Cancer Institute-Working Group 1996 guidelines. Blood 2008, 111, 5446–5456. [Google Scholar] [PubMed]
- Pribush, D.A.; Zilberman-Kravits, N.; Meyerstein, N. The mechanism of the dextran-induced red blood cell aggregation. Eur. Biophys. J. 2007, 36, 85–94. [Google Scholar]
- Neu, B.; Meiselman, H.J. Depletion-mediated red blood cell aggregation in polymer solutions. Biophys. J. 2002, 83, 2482–2490. [Google Scholar] [CrossRef]
- Baskurt, O.K.; Meiselman, H.J. Blood rheology and hemodynamics. Semin Thromb Hemost. 2003, 29, 435–450. [Google Scholar] [CrossRef]
- Clavería, V.; Aouane, O.; Thiébaud, M.; Abkarian, M.; Coupier, G.; Misbah, C.; Johna, T.; Wagner, C. Clusters of red blood cells in microcapillary flow: Hydrodynamic versus macromolecule-induced interaction. Soft Matter. 2016, 12, 8235–8245. [Google Scholar] [CrossRef] [PubMed]
- Kim, H.; Zhbanov, A.; Yang, S. Microfluidic Systems for Blood and Blood Cell Characterization. Biosensors 2023, 13, 13. [Google Scholar] [CrossRef] [PubMed]
- Phillips, R.J.; Armstrong, R.C.; Brown, R.A. A constitutive equation for concentrated suspensions that accounts for shear-induced particle migration. Phys. Fluids A 1992, 4, 30–40. [Google Scholar] [CrossRef]
- Abkarian, M.; Faivre, M.; Viallat, A. Swinging of red blood cells under shear flow. Phys. Rev. Lett. 2007, 98, 188302. [Google Scholar] [CrossRef] [PubMed]
- Secomb, T.W. Blood flow in the microcirculation. Annu. Rev. Fluid Mech. 2017, 49, 443–461. [Google Scholar] [CrossRef]
- Neu, B.; Meiselman, H.J. Red blood cell aggregation. In Handbook of Hemorheology and Hemodynamics; Baskurt, O.K., Hardeman, M.R., Rampling, M.W., Meiselman, H.J., Eds.; IOS Press: Amsterdam, The Netherlands, 2007; pp. 114–136. [Google Scholar]
- Bortolato, S.A.; Canales, M.A.M.; Riquelme, B.D.; Raviola, M.; Leguto, A.J.; Rebechi, J.P.; Ponce de León, P.; Korol, A.M. New insights into the analysis of red blood cells from leukemia and anemia patients: Nonlinear quantifiers, fractal mathematics, and Wavelet Transform. Phys. A Stat. Mech. Appl. 2021, 567, 125645. [Google Scholar] [CrossRef]
- Davydkin, I.L.; Kuzmina, T.P.; Naumova, K.V.; Khayretdinov, R.K.; Danilova, O.E.; Stepanova, T.Y.; Osadchuk, A.M.; Mordvinova, E.V. Endothelial dysfunction in patients with lymphoproliferative disorders and its changes in the course of polychemotherapy. Russ. Open Med. J. 2020, 9, e0309. [Google Scholar] [CrossRef]
- Yoon, J.Y.; Lafarge, S.; Dawe, D.; Lakhi, S.; Kumar, R.; Morales, C. Association of interleukin-6 and interleukin-8 with poor prognosis in elderly patients with chronic lymphocytic leukemia. Leuk Lymphoma 2012, 53, 1735–1742. [Google Scholar] [CrossRef]
- Lai, R.; O’Brien, S.; Maushouri, T.; Rogers, A.; Kantarjian, H.; Keating, M.; Albitar, M. Prognostic value of plasma interleukin-6 levels in patients with chronic lymphocytic leukemia. Cancer 2022, 95, 1071–1075. [Google Scholar] [CrossRef]
- Uziel, O.; Lipshtein, L.; Sarsor, Z.; Beery, E.; Bogen, S.; Lahav, M.; Regev, A.; Kliminski, V.; Sharan, R.; Gervits, A.; et al. Chronic Lymphocytic Leukemia (CLL)-Derived Extracellular Vesicles Educate Endothelial Cells to Become IL-6-Producing, CLL-Supportive Cells. Biomedicines 2024, 12, 1381. [Google Scholar] [CrossRef]







| Area Range (µm2) | Color |
|---|---|
| <99 | White |
| 100–330 | Green |
| 331–660 | Blue |
| 661–1320 | Light Blue |
| 1321–2700 | Purple |
| >2701 | Yellow |
| Characteristics | Groups | ||||
|---|---|---|---|---|---|
| Reference Values | Healthy Controls (n = 16) | CLL Patients Without Treatment (n = 8) | CLL Patients Receiving Obinutuzumab/ Venetoclax (n = 11) | CLL Patients Receiving Ibrutinib (n = 8) | |
| Age (years) | - | 58 (45.3; 65.8) | 65 (49; 70.8) | 72 (64.5; 74.8) | 62.5 (54.3; 73.8) |
| Gender (F/M) | 10/6 | 3/5 | 5/6 | 3/5 | |
| Rai stage | 0 | 1–4 | 1–4 | ||
| RBC count (T/L) | 4.60–6.20 | 4.42 (4.36; 4.59) | 5.16 (4.68; 5.26) | 4.62 (4.46; 4.82) | 4.91 (4.67; 5.09) |
| Hb (g/L) | 140.00–180.00 | 143.0 (139; 149) | 148.5 (141; 160) | 140.0 (120; 148) * | 141 (138; 147) |
| Ht (L/L) | 0.40–0.54 | 0.44 (0.41; 0.48) | 0.44 (0.42; 0.46) | 0.41 (0.37; 0.43) | 0.43 (0.41; 0.46) |
| MCV (fl) | 80.00–95.00 | 89.5 (86.7; 93.0) | 87.9 (85.8; 93.8) | 88.1 (82.9; 93.6) | 89.2 (85.9; 91.0) |
| MCH (Pg/L) | 27.00–32.00 | 30.1 (29.1; 31.4) | 30.3 (28.5; 31.5) | 30.1(27.7; 31.3) | 29.7 (27.5; 30.2) |
| MCHC (g/L) | 320.00–360.00 | 345.0 (325.0; 349.5) | 339.5 (324; 345) | 337.0 (328; 341) | 333 (306; 344) |
| RDW % | 11.60–14.80 | 13.5 (12.6; 14.3) | 13.5 (13.2; 15.4) | 13.9 (13.3; 14.7) | 14.1 (13.5; 14.6) |
| WBC | 3.50–10.50 | 6.0 (5.5; 6.8) | 21.2 (10.1; 71.2) * | 3.89 (2.82; 4.20) | 6.1 (4.8; 8.1) |
| Total bilirubin (umol/L) | 3.40–20.50 | 17.4 (8.1; 18.5) | 12.0 (8.8; 37.9) | 13.0 (9.5; 21.5) | 13.4 (11.3; 18.4) |
| Lymphocytes (ABS) | 1.10–3.80 | 1.84 (1.78; 2.14) | 15.8 (5.4; 62.4) * | 1.2 (1.0; 1.5) | 1.8 (1.1; 3.4) |
| Platelet count × 109/L | 142.00–440.00 | 290.0 (178.0; 337.5) | 200 (168; 239) | 161 (131; 214) | 154 (142; 195) |
| Fibrinogen (g/L) | 1.80–4.50 | 2.3 (1.98; 2.65) | 3.1 (2.3; 3.9) | 2.6 (2.4; 2.7) | 2.9 (2.7; 3.1) |
| Shear Rate (s−1) | NAH | AAIH |
|---|---|---|
| 89 | 125.7 ± 23.4 | 0.0524 ± 0.0115 |
| 178 | 87.0 ± 15.6 | 0.0332 ± 0.0066 |
| 268 | 54.9 ± 9.2 | 0.0198 ± 0.0043 |
| 357 | 46.3 ± 11.6 | 0.0158 ± 0.0042 |
| 446 | 17.0 ± 5.7 | 0.0054 ± 0.0017 |
| 535 | 15.3 ± 1.3 | 0.0052 ± 0.0006 |
| Nominal Shear Rate (s−1) | Local Shear Rate at 25 µm (s−1) | Local Shear Rate at 37 µm (s−1) |
|---|---|---|
| 89 | 59.33 | 83.25 |
| 178 | 118.67 | 166.50 |
| 268 | 178.00 | 249.75 |
| 357 | 237.33 | 333.00 |
| 446 | 296.67 | 416.25 |
| 535 | 356.00 | 499.50 |
| Groups | Low Shear Rate | High Shear Rate | ||
|---|---|---|---|---|
| AAIL | NAL | AAIH | NAH | |
| Controls | 0.11 (0.09; 0.12) | 168 (132; 183) | 0.003 (0.002; 0.004) | 11.5 (9.5; 14.0) |
| Untreated CLL | 0.14 (0.13; 0.16) * | 92.0 (74.3; 147.8) * | 0.007 (0.004; 0.011) * | 23.0 (19.7; 24.2) * |
| Obinutuzumab/Venetoclax | 0.13 (0.07; 0.15) * | 104 (73; 138) * | 0.006 (0.005; 0.007) * | 18 (15; 21) * |
| Ibrutinib | 0.15 (0.13; 0.16) * | 173 (161; 194) | 0.006 (0.004; 0.007) * (n = 5)/ 0.020–0.22 * (n = 3) | 17 (14; 21) (n = 5)/ 19–22 * (n = 3) |
Disclaimer/Publisher’s Note: The statements, opinions and data contained in all publications are solely those of the individual author(s) and contributor(s) and not of MDPI and/or the editor(s). MDPI and/or the editor(s) disclaim responsibility for any injury to people or property resulting from any ideas, methods, instructions or products referred to in the content. |
© 2025 by the authors. Licensee MDPI, Basel, Switzerland. This article is an open access article distributed under the terms and conditions of the Creative Commons Attribution (CC BY) license (https://creativecommons.org/licenses/by/4.0/).
Share and Cite
Alexandrova-Watanabe, A.; Abadjieva, E.; Ivanova, M.; Gartcheva, L.; Langari, A.; Guenova, M.; Tiankov, T.; Nikolova, E.V.; Krumova, S.; Todinova, S. Quantitative Assessment of Red Blood Cell Disaggregation in Chronic Lymphocytic Leukemia via Software Image Flow Analysis. Fluids 2025, 10, 167. https://doi.org/10.3390/fluids10070167
Alexandrova-Watanabe A, Abadjieva E, Ivanova M, Gartcheva L, Langari A, Guenova M, Tiankov T, Nikolova EV, Krumova S, Todinova S. Quantitative Assessment of Red Blood Cell Disaggregation in Chronic Lymphocytic Leukemia via Software Image Flow Analysis. Fluids. 2025; 10(7):167. https://doi.org/10.3390/fluids10070167
Chicago/Turabian StyleAlexandrova-Watanabe, Anika, Emilia Abadjieva, Miroslava Ivanova, Lidia Gartcheva, Ariana Langari, Margarita Guenova, Tihomir Tiankov, Elena V. Nikolova, Sashka Krumova, and Svetla Todinova. 2025. "Quantitative Assessment of Red Blood Cell Disaggregation in Chronic Lymphocytic Leukemia via Software Image Flow Analysis" Fluids 10, no. 7: 167. https://doi.org/10.3390/fluids10070167
APA StyleAlexandrova-Watanabe, A., Abadjieva, E., Ivanova, M., Gartcheva, L., Langari, A., Guenova, M., Tiankov, T., Nikolova, E. V., Krumova, S., & Todinova, S. (2025). Quantitative Assessment of Red Blood Cell Disaggregation in Chronic Lymphocytic Leukemia via Software Image Flow Analysis. Fluids, 10(7), 167. https://doi.org/10.3390/fluids10070167

