Hand2os1 Regulates the Secretion of Progesterone in Mice Corpus Luteum
Abstract
Simple Summary
Abstract
1. Introduction
2. Materials and Methods
2.1. Ethics Statement
2.2. Animals, Treatments, and Sample Collection
2.3. Detecting Target RNA via RNAscope
2.4. Isolation and Culture of Mouse Luteum Cells
2.5. Isolation, Culture, and Luteinization of Mouse Granulosa Cells
2.6. Transfection of Hand2os1 siRNA and Overexpression Vector
2.7. Cell Proliferation Assay
2.8. P4 Level Detection by ELISA
2.9. Cell Apoptosis Assay
2.10. qRT-PCR Analysis
2.11. Data Analysis and Statistics
3. Results
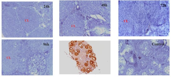
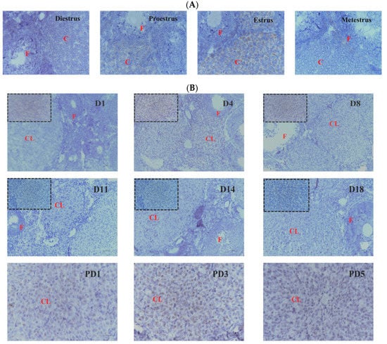
3.1. Differential Expression of Hand2os1 during the CL Development
3.2. Effects of Hand2os1 on LC Proliferation and Apoptosis
3.3. The Effect of Hand2os1 on the Formation of the CL
3.4. Effect of Hand2os1 on Progesterone Synthesis in LCs
4. Discussion
5. Conclusions
Author Contributions
Funding
Institutional Review Board Statement
Informed Consent Statement
Data Availability Statement
Conflicts of Interest
References
- Proietto, S.; Cortasa, S.A.; Corso, M.C.; Inserra, P.I.F.; Charif, S.E.; Schmidt, A.R.; Di Giorgio, N.P.; Lux-Lantos, V.; Vitullo, A.D.; Dorfman, V.B.; et al. Prolactin Is a Strong Candidate for the Regulation of Luteal Steroidogenesis in Vizcachas (Lagostomus maximus). Int. J. Endocrinol. 2018, 2018, 1910672. [Google Scholar] [CrossRef] [PubMed]
- Jonczyk, A.W.; Piotrowska-Tomala, K.K.; Skarzynski, D.J. Effects of prostaglandin F(2α) (PGF(2α)) on cell-death pathways in the bovine corpus luteum (CL). BMC Vet. Res. 2019, 15, 416. [Google Scholar] [CrossRef] [PubMed]
- Horihata, K.; Yoshioka, S.; Sano, M.; Yamamoto, Y.; Kimura, K.; Skarzynski, D.J.; Okuda, K. Expressions of lipoprotein receptors and cholesterol efflux regulatory proteins during luteolysis in bovine corpus luteum. Reprod. Fertil. Dev. 2017, 29, 1280–1286. [Google Scholar] [CrossRef] [PubMed]
- DeWitt, N.A.; Whirledge, S.; Kallen, A.N. Updates on molecular and environmental determinants of luteal progesterone production. Mol. Cell. Endocrinol. 2020, 515, 110930. [Google Scholar] [CrossRef]
- Lee-Thacker, S.; Jeon, H.; Choi, Y.; Taniuchi, I.; Takarada, T.; Yoneda, Y.; Ko, C.; Jo, M. Core Binding Factors are essential for ovulation, luteinization, and female fertility in mice. Sci. Rep. 2020, 10, 9921. [Google Scholar] [CrossRef]
- Choi, H.; Ryu, K.-Y.; Roh, J. Krüppel-like factor 4 plays a role in the luteal transition in steroidogenesis by downregulating Cyp19A1 expression. Am. J. Physiol. Metab. 2019, 316, E1071–E1080. [Google Scholar] [CrossRef]
- Rinn, J.L.; Kertesz, M.; Wang, J.K.; Squazzo, S.L.; Xu, X.; Brugmann, S.A.; Goodnough, L.H.; Helms, J.A.; Farnham, P.J.; Segal, E.; et al. Functional Demarcation of Active and Silent Chromatin Domains in Human HOX Loci by Noncoding RNAs. Cell 2007, 129, 1311–1323. [Google Scholar] [CrossRef]
- Sun, T.-T.; He, J.; Liang, Q.; Ren, L.-L.; Yan, T.-T.; Yu, T.-C.; Tang, J.-Y.; Bao, Y.-J.; Hu, Y.; Lin, Y.; et al. LncRNA GClnc1 Promotes Gastric Carcinogenesis and May Act as a Modular Scaffold of WDR5 and KAT2A Complexes to Specify the Histone Modification Pattern. Cancer Discov. 2016, 6, 784–801. [Google Scholar] [CrossRef]
- Bouska, M.J.; Bai, H. Long noncoding RNA regulation of spermatogenesis via the spectrin cytoskeleton in Drosophila. G3 2021, 11, jkab080. [Google Scholar] [CrossRef] [PubMed]
- Liu, Y.; Qi, B.; Xie, J.; Wu, X.; Ling, Y.; Cao, X.; Kong, F.; Xin, J.; Jiang, X.; Wu, Q.; et al. Filtered reproductive long non-coding RNAs by genome-wide analyses of goat ovary at different estrus periods. BMC Genom. 2018, 19, 866. [Google Scholar] [CrossRef]
- Zhou, F.; Sun, Y.; Chi, Z.; Gao, Q.; Wang, H. Long noncoding RNA SNHG12 promotes the proliferation, migration, and invasion of trophoblast cells by regulating the epithelial-mesenchymal transition and cell cycle. J. Int. Med. Res. 2020, 48, 300060520922339. [Google Scholar] [CrossRef]
- Nakagawa, S.; Shimada, M.; Yanaka, K.; Mito, M.; Arai, T.; Takahashi, E.; Fujita, Y.; Fujimori, T.; Standaert, L.; Marine, J.-C.; et al. The lncRNA Neat1 is required for corpus luteum formation and the establishment of pregnancy in a subpopulation of mice. Development 2014, 141, 4618–4627. [Google Scholar] [CrossRef]
- Chen, Y.; Wang, J.; Fan, Y.; Qin, C.; Xia, X.; Johnson, J.; Kallen, A.N. Absence of the long noncoding RNA H19 results in aberrant ovarian STAR and progesterone production. Mol. Cell. Endocrinol. 2019, 490, 15–20. [Google Scholar] [CrossRef] [PubMed]
- Anderson, K.M.; Anderson, D.M.; McAnally, J.R.; Shelton, J.M.; Bassel-Duby, R.; Olson, E.N. Transcription of the non-coding RNA upperhand controls Hand2 expression and heart development. Nature 2016, 539, 433–436. [Google Scholar] [CrossRef]
- Han, X.; Zhang, J.; Liu, Y.; Fan, X.; Ai, S.; Luo, Y.; Li, X.; Jin, H.; Luo, S.; Zheng, H.; et al. The lncRNA Hand2os1/Uph locus orchestrates heart development through regulation of precise expression of Hand. Development 2019, 146, dev176198. [Google Scholar] [CrossRef]
- Jia, Y.; Cai, R.; Yu, T.; Zhang, R.; Liu, S.; Guo, X.; Shang, C.; Wang, A.; Jin, Y.-P.; Lin, P. Progesterone-induced RNA Hand2os1 regulates decidualization in mice uteri. Reproduction 2020, 159, 303–314. [Google Scholar] [CrossRef]
- Zhang, X.; Li, J.; Liu, J.; Luo, H.; Gou, K.; Cui, S. Prostaglandin F2αupregulates Slit/Robo expression in mouse corpus luteum during luteolysis. J. Endocrinol. 2013, 218, 299–310. [Google Scholar] [CrossRef] [PubMed]
- Mejia, R.; Waite, C.; Ascoli, M. Activation of Gq/11 in the Mouse Corpus Luteum Is Required for Parturition. Mol. Endocrinol. 2015, 29, 238–246. [Google Scholar] [CrossRef] [PubMed]
- Fan, H.Y.; O’Connor, A.; Shitanaka, M.; Shimada, M.; Liu, Z.; Richards, J.S. Beta-catenin (CTNNB1) promotes preovulatory follicular development but represses LH-mediated ovulation and luteinization. Mol Endocrinol. 2010, 24, 1529–1542. [Google Scholar] [CrossRef]
- Abedel-Majed, M.A.; Romereim, S.M.; Davis, J.S.; Cupp, A.S. Perturbations in Lineage Specification of Granulosa and Theca Cells May Alter Corpus Luteum Formation and Function. Front. Endocrinol. 2019, 10, 832. [Google Scholar] [CrossRef]
- Quinn, J.J.; Chang, H.Y. Unique features of long non-coding RNA biogenesis and function. Nat. Rev. Genet. 2016, 17, 47–62. [Google Scholar] [CrossRef] [PubMed]
- Qiu, J.-J.; Ren, Z.-R.; Yan, J.-B. Identification and functional analysis of long non-coding RNAs in human and mouse early embryos based on single-cell transcriptome data. Oncotarget 2016, 7, 61215–61228. [Google Scholar] [CrossRef]
- Xue, Z.; Huang, K.; Cai, C.; Cai, L.; Jiang, C.-Y.; Feng, Y.; Liu, Z.; Zeng, Q.; Cheng, L.; Sun, Y.E.; et al. Genetic programs in human and mouse early embryos revealed by single-cell RNA sequencing. Nature 2013, 500, 593–597. [Google Scholar] [CrossRef] [PubMed]
- Liu, K.-S.; Li, T.-P.; Ton, H.; Mao, X.-D.; Chen, Y.-J. Advances of Long Noncoding RNAs-mediated Regulation in Reproduction. Chin. Med. J. 2018, 131, 226–234. [Google Scholar] [CrossRef] [PubMed]
- Zhao, Z.; Chen, L.; Cao, M.; Chen, T.; Huang, Y.; Wang, N.; Zhang, B.; Li, F.; Chen, K.; Yuan, C.; et al. Comparison of lncRNA Expression in the Uterus between Periods of Embryo Implantation and Labor in Mice. Animals 2022, 12, 399. [Google Scholar] [CrossRef]
- Wiltbank, M.C.; Souza, A.H.; Carvalho, P.D.; Cunha, A.P.; Giordano, J.O.; Fricke, P.M.; Baez, G.M.; Diskin, M.G. Physiological and practical effects of progesterone on reproduction in dairy cattle. Animal 2014, 8, 70–81. [Google Scholar] [CrossRef]
- Mesen, T.B.; Young, S.L. Progesterone and the luteal phase: A requisite to reproduction. Obstet. Gynecol. Clin. N. Am. 2015, 42, 135–151. [Google Scholar] [CrossRef]
- Rueda, B.R.; Hendry, I.R.; Tilly, J.L.; Hamernik, D.L. Accumulation of Caspase-3 Messenger Ribonucleic Acid and Induction of Caspase Activity in the Ovine Corpus Luteum Following Prostaglandin F2α Treatment In Vivo. Biol. Reprod. 1999, 60, 1087–1092. [Google Scholar] [CrossRef][Green Version]
- Abolghasemi, M.; Mahjoub, S. Long noncoding RNAs as a piece of polycystic ovary syndrome puzzle. Mol. Biol. Rep. 2021, 48, 3845–3851. [Google Scholar] [CrossRef]
- Hao, E.-Y.; Wang, D.-H.; Chang, L.-Y.; Huang, C.-X.; Chen, H.; Yue, Q.-X.; Zhou, R.-Y.; Huang, R.-L. Melatonin regulates chicken granulosa cell proliferation and apoptosis by activating the mTOR signaling pathway via its receptors. Poult. Sci. 2020, 99, 6147–6162. [Google Scholar] [CrossRef]
- Li, Y.; Wang, H.; Zhou, D.; Shuang, T.; Zhao, H.; Chen, B. Up-Regulation of Long Noncoding RNA SRA Promotes Cell Growth, Inhibits Cell Apoptosis, and Induces Secretion of Estradiol and Progesterone in Ovarian Granular Cells of Mice. Med. Sci. Monit. 2018, 24, 2384–2390. [Google Scholar] [CrossRef] [PubMed]
- Kallen, A.N.; Zhou, X.-B.; Xu, J.; Qiao, C.; Ma, J.; Yan, L.; Lu, L.; Liu, C.; Yi, J.-S.; Zhang, H.; et al. The Imprinted H19 LncRNA Antagonizes Let-7 MicroRNAs. Mol. Cell 2013, 52, 101–112. [Google Scholar] [CrossRef] [PubMed]







| Gene Name/Transcript ID | Gene Name/Transcript ID | Product Size (bp) |
|---|---|---|
| Hand2 | F-GAGAACCCCTACTTCCACGG R-GACAGGGCCATACTGTAGTCG | 71 |
| GAPDH | F-TCACTGCCACCCAGAAGA R-GACGGACACATTGGGGGTAG | 185 |
| Handos1 | F-GACAGAGTTGGAGATGGGCT R-GCAAGCACTTTCTCCCACTC | 249 |
| StAR | F-TAAACTCACTTGGCTGCTCAGTATTG R-GGTGGTTGGCGAACTCTATCTG | 101 |
| Cyp11a1 | F-AGGTCCTTCAATGAGATCCCTT R-TCCCTGTAAATGGGGCCATAC | 137 |
| Cyp19a1 | F-TGTGTTGACCCTCATGAGACA R-CTTGACGGATCGTTCATACTTTC | 190 |
Publisher’s Note: MDPI stays neutral with regard to jurisdictional claims in published maps and institutional affiliations. |
© 2022 by the authors. Licensee MDPI, Basel, Switzerland. This article is an open access article distributed under the terms and conditions of the Creative Commons Attribution (CC BY) license (https://creativecommons.org/licenses/by/4.0/).
Share and Cite
Jia, Y.; Liu, L.; Gong, S.; Li, H.; Zhang, X.; Zhang, R.; Wang, A.; Jin, Y.; Lin, P. Hand2os1 Regulates the Secretion of Progesterone in Mice Corpus Luteum. Vet. Sci. 2022, 9, 404. https://doi.org/10.3390/vetsci9080404
Jia Y, Liu L, Gong S, Li H, Zhang X, Zhang R, Wang A, Jin Y, Lin P. Hand2os1 Regulates the Secretion of Progesterone in Mice Corpus Luteum. Veterinary Sciences. 2022; 9(8):404. https://doi.org/10.3390/vetsci9080404
Chicago/Turabian StyleJia, Yanni, Lu Liu, Suhua Gong, Haijing Li, Xinyan Zhang, Ruixue Zhang, Aihua Wang, Yaping Jin, and Pengfei Lin. 2022. "Hand2os1 Regulates the Secretion of Progesterone in Mice Corpus Luteum" Veterinary Sciences 9, no. 8: 404. https://doi.org/10.3390/vetsci9080404
APA StyleJia, Y., Liu, L., Gong, S., Li, H., Zhang, X., Zhang, R., Wang, A., Jin, Y., & Lin, P. (2022). Hand2os1 Regulates the Secretion of Progesterone in Mice Corpus Luteum. Veterinary Sciences, 9(8), 404. https://doi.org/10.3390/vetsci9080404

