Effect of Modulation Periods on the Mechanical and Tribological Performance of MoS2–TiL/MoS2–TiH Multilayer Coatings
Abstract
1. Introduction
2. Materials and Methods
3. Results
3.1. Effect of Single Layer Thickness on the Properties of MoS2–TiL/MoS2–TiH Multilayer Coatings (S300-300, S600-600 and S900-900)
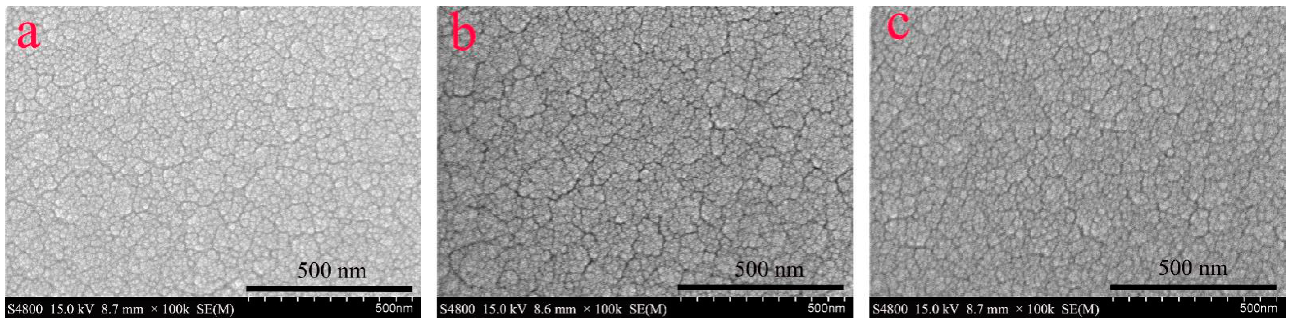
3.1.1. Structure Characterization of MoS2–TiL/MoS2–TiH Multilayer Coatings with Different Single Layer Thickness
3.1.2. Adhesion Properties of MoS2–TiL/MoS2–TiH Multilayer Coatings with Different Single Layer Thickness on the Steel Substrate
3.1.3. Mechanical Properties of MoS2–TiL/MoS2–TiH Multilayer Coatings with Different Single Layer Thickness
3.1.4. Tribological Properties of MoS2–TiL/MoS2–TiH Multilayer Coatings with Different Single Layer Thickness
3.2. Effect of Thickness Ratio of Single Layer on the Properties of MoS2–TiL/MoS2–TiH Multilayer Coatings (S300-900, S600-600 and S900-300)
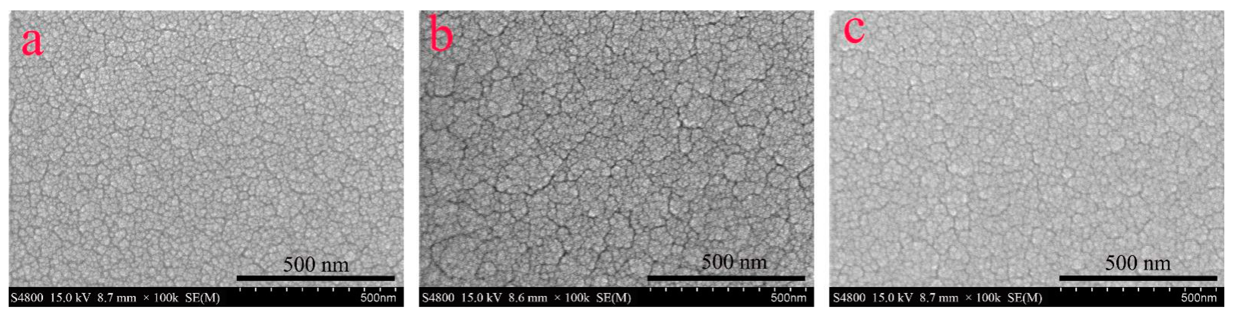
3.2.1. Structure Characterizations of the MoS2–TiL/MoS2–TiH Multilayer Coatings with Different Thickness Ratio of Single Layer
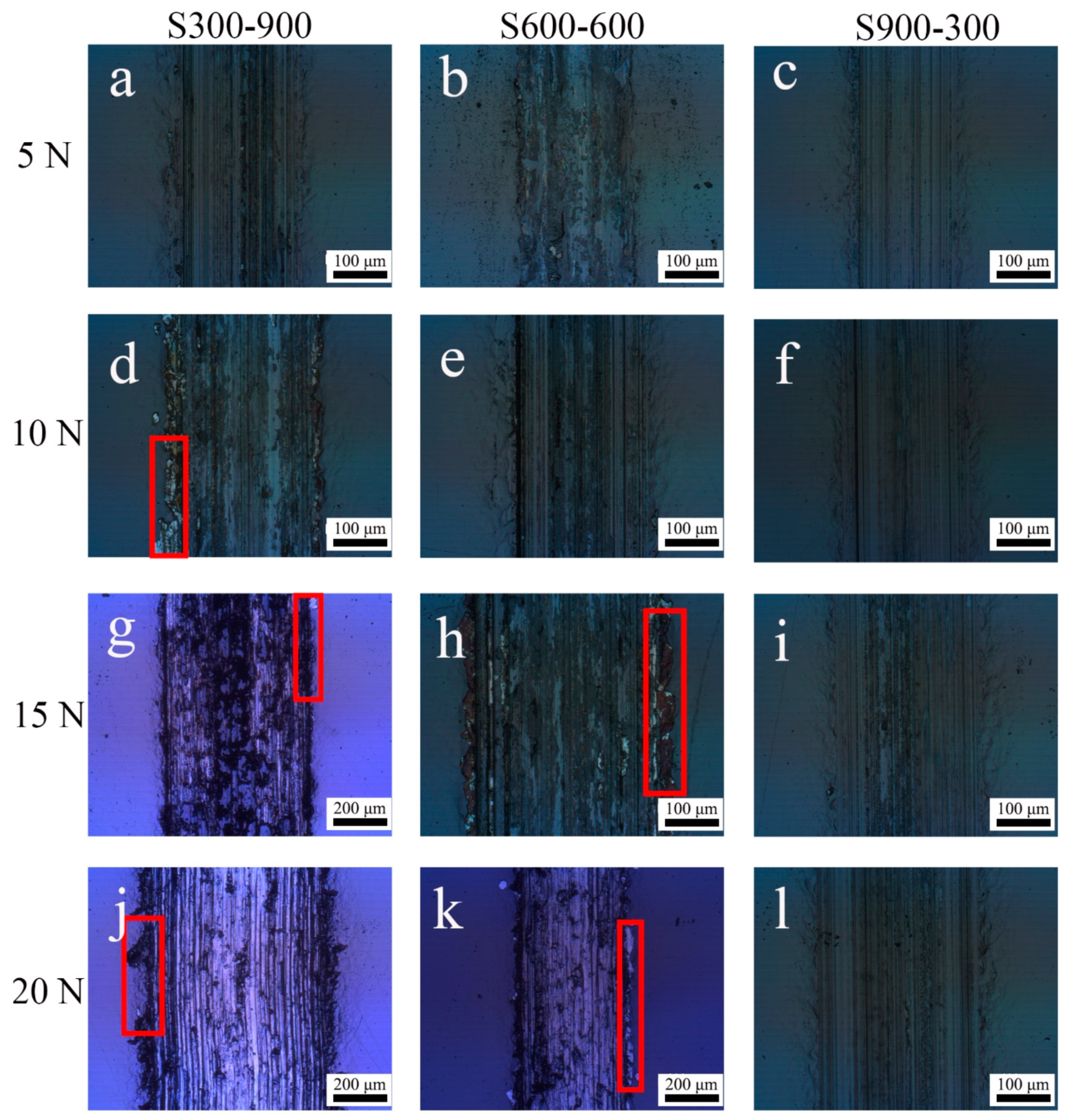
3.2.2. Adhesion Properties of MoS2–TiL/MoS2–TiH Multilayer Coatings with Different Thickness Ratio of Single Layer on the Steel Substrate
3.2.3. Mechanical Properties of the MoS2–TiL/MoS2–TiH Multilayer Coatings with Different Thickness Ratio of Single Layer
3.2.4. Tribological Properties of the MoS2–TiL/MoS2–TiH Multilayer Coatings with Different Thickness Ratio of Single Layer
4. Discussion
4.1. Effect of Single Layer Thickness on the Properties of the MoS2–TiL/MoS2–TiH Multilayer Coatings
4.2. Effect of Thickness Ratio of Single Layer on the Properties of the MoS2–TiL/MoS2–TiH Multilayer Coating
4.3. Analysis of Variance (ANOVA)
4.4. Comparison of the Properties of MoS2–Ti Coatings in this Study with Those in Other Published Articles
5. Conclusions
Author Contributions
Funding
Institutional Review Board Statement
Informed Consent Statement
Data Availability Statement
Conflicts of Interest
References
- Vazirisereshk, M.R.; Martini, A.; Strubbe, D.A.; Baykara, M.Z. Solid lubrication with MoS2: A review. Lubricants 2019, 7, 57. [Google Scholar] [CrossRef]
- Roberts, E.W. Space tribology: Its role in spacecraft mechanisms. J. Phys. D Appl. Phys. 2012, 45, 503001. [Google Scholar] [CrossRef]
- Savan, A.; Pflüger, E.; Voumard, P.; Schroeer, A.; Simmonds, M.C. Modern solid lubrication: Recent developments and applications of MoS2. Lubr. Sci. 2000, 12, 185–203. [Google Scholar] [CrossRef]
- Furlan, K.P.; Mello, J.D.B.; Klein, A.N. Self-lubricating composites containing MoS2: A review. Tribol. Int. 2018, 120, 280–298. [Google Scholar] [CrossRef]
- Arslan, E.; Bülbül, F.; Efeoglu, I. The structural and tribological properties of MoS2-Ti composite solid lubricants. Tribol. Trans. 2004, 47, 218–226. [Google Scholar] [CrossRef]
- Fox, V.C.; Renevier, N.; Teer, D.G.; Hampshire, J.; Rigato, V. The structure of tribologically improved MoS2-metal composite coatings and their industrial applications. Surf. Coat. Technol. 1999, 116, 492–497. [Google Scholar] [CrossRef]
- Picas, J.A.; Forn, A.; Baile, M.; Martín, E. Humidity effect on friction and wear behaviour of self-lubricant coatings. Surf. Eng. 2006, 22, 314–319. [Google Scholar] [CrossRef]
- Qin, X.; Ke, P.; Wang, A.; Kim, K.H. Microstructure, mechanical and tribological behaviors of MoS2-Ti composite coatings deposited by a hybrid HIPIMS method. Surf. Coat. Technol. 2013, 228, 275–281. [Google Scholar] [CrossRef]
- Renevier, N.; Lobiondo, N.; Fox, V.; Teer, D.; Hampshire, J. Performance of MoS2/metal composite coatings used for dry machining and other industrial applications. Surf. Coat. Technol. 2000, 123, 84–91. [Google Scholar] [CrossRef]
- Zhang, P.; Fang, Y.; Dai, S.; Fu, Y.; Zhang, M.; Huang, M.; Hu, J. Preparation and characterization of MoS2-TiL/MoS2-TiH nano multilayer coating with excellent wear properties. Mater. Lett. 2016, 173, 35–38. [Google Scholar] [CrossRef]
- Zhang, P.; Wang, T.L.; Wu, J.B.; Huang, M.; Fu, Y.; Fang, Y.; Shangshen, F. Study on synthesis and tribological properties characterization of MoS2-TiL/MoS2-TiH nano multilayer coating. IOP Conf. Ser. Mater. Sci. Eng. 2018, 423, 012048. [Google Scholar]
- Ying, P.; Zhang, P.; Wu, J.; Huang, M.; Lin, C.; Wang, T.; Fang, Y.; Levchenko, V. Effect of applied load on the tribological properties of MoS2–TiL/MoS2–TiH nano-multilayer coating. AIP Adv. 2020, 10, 105303. [Google Scholar] [CrossRef]
- Arslan, E.; Bülbül, F.; Alsaran, A.; Çelik, A.; Efeoglu, I. The effect of deposition parameters and Ti content on structural and wear properties of MoS2-Ti coatings. Wear 2005, 259, 814–819. [Google Scholar] [CrossRef]
- Sun, S.; Chen, J.; Wang, Y.; Wang, L.; Sun, Z. Structural sensitivity of MoS2-based films in solid space lubrication. Surf. Eng. 2019, 36, 106–113. [Google Scholar] [CrossRef]
- Thompson, V.; Eaton, R.; Raffray, R.; Egorov, K. Properties of low friction anti-seize coatings for fusion applications. Fusion Eng. Des. 2019, 146, 345–348. [Google Scholar] [CrossRef]
- Wang, P.; Yue, W.; Lu, Z.; Zhang, G.; Zhu, L. Friction and wear properties of MoS2-based coatings sliding against Cu and Al under electric current. Tribol. Int. 2018, 127, 379–388. [Google Scholar] [CrossRef]
- Kim, S.K.; Ahn, Y.H.; Kim, K.H. MoS2-Ti composite coatings on tool steel by D.C. Magnetron sputtering. Surf. Coat. Technol. 2003, 169, 428–432. [Google Scholar] [CrossRef]
- Sun, G.; Bhowmick, S.; Alpas, A.T. Effect of Atmosphere and Temperature on the Tribological Behavior of the Ti Containing MoS2 Coatings against Aluminum. Tribol. Lett. 2017, 65, 158. [Google Scholar] [CrossRef]
- Wang, L.; Zhao, S.; Xie, Z.; Huang, L.; Wang, X. MoS2/Ti multilayer deposited on 2Cr13 substrate by PIIID. Nucl. Instrum. Methods Phys. Res. Sect. B Beam Interact. Mater. Atoms 2008, 266, 730–733. [Google Scholar] [CrossRef]
- Simmonds, M.; Savan, A.; Van Swygenhoven, H.; Pflüger, E.; Mikhailov, S. Structural, morphological, chemical and tribological investigations of sputter deposited MoSx/metal multilayer coatings. Surf. Coat. Technol. 1998, 108, 340–344. [Google Scholar] [CrossRef]
- Li, Q.; Zheng, S.X.; Pu, J.B.; Wang, W.; Li, L.; Wang, L. Revealing the failure mechanism and designing protection approach for MoS2 in humid environment by first-principles investigation. Appl. Surf. Sci. 2019, 487, 1121–1130. [Google Scholar] [CrossRef]
- Gao, X.; Hu, M.; Fu, Y.; Weng, L.; Liu, W.; Sun, J. MoS2-Au/Au multilayer lubrication film with better resistance to space environment. J. Alloy. Compd. 2020, 815, 152483. [Google Scholar] [CrossRef]
- Li, H.; Zhang, G.A.; Wang, L.P. Low humidity-sensitivity of MoS2/Pb nanocomposite coatings. Wear 2016, 350, 1–9. [Google Scholar] [CrossRef]
- Bai, Y.; Pu, J.; Wang, H.; Wang, L.; Xue, Q.; Liu, S. High humidity and high vacuum environment performance of MoS2/Sn composite film. J. Alloy. Compd. 2019, 800, 107–115. [Google Scholar] [CrossRef]
- Özlem, B. Adhesion and fatigue resistance of Ta-doped MoS2 composite coatings deposited with pulsed-DC magnetron sputtering. J. Adhes. Sci. Technol. 2016, 31, 1181–1195. [Google Scholar]
- Zeng, C.; Pu, J.; Wang, H.; Zheng, S.; Wang, L.; Xue, Q. Study on atmospheric tribology performance of MoS2-W films with self-adaption to temperature. Ceram. Int. 2019, 45, 15834–15842. [Google Scholar] [CrossRef]
- Song, W.; Xia, Z.; Wang, S.; Zhang, Q. Effect of Zr target current on the mechanical and tribological performance of MoS2-Zr composite lubricating coatings. Coatings 2020, 10, 80. [Google Scholar] [CrossRef]
- Lince, J.R.; Loewenthal, S.H.; Clark, C.S. Tribological and chemical effects of long term humid air exposure on sputter-deposited nanocomposite MoS2 coatings. Wear 2019, 432, 202935. [Google Scholar] [CrossRef]
- Cao, M.; Zhao, L.; Wu, L.B.; Wang, W. Tribological properties of new Cu-Al/MoS2 solid lubricant coatings using magnetron sputter deposition. Coatings 2018, 8, 134. [Google Scholar] [CrossRef]
- Zabinski, J.S.; Donley, M.S. Chemical and tribological characterization of PbO-MoS2 films grown by pulsed laser deposition. Thin Solid Films 1992, 214, 156–163. [Google Scholar] [CrossRef]
- Zeng, C.; Pu, J.; Wang, H.; Zheng, S.; Chen, R. Influence of microstructure on tribological properties and corrosion resistance of MoS2/WS2 films. Ceram. Int. 2020, 46, 13774–13783. [Google Scholar] [CrossRef]
- Zhang, E.G.; Liu, J.J.; Li, W. Microstructures, mechanical and tribological properties of NbN/MoS2 nanomultilayered films deposited by reactive magnetron sputtering. Vacuum 2019, 160, 205–209. [Google Scholar] [CrossRef]
- Libório, M.; Praxedes, G.; Lima, L.; Nascimento, I.; Sousa, R.; Naeem, M.; Costa, T.; Alves, S.; Iqbal, J. Surface modification of M2 steel by combination of cathodic cage plasma deposition and magnetron sputtered MoS2-TiN multilayer coatings. Surf. Coat. Technol. 2020, 384, 125327. [Google Scholar] [CrossRef]
- Sun, W.D.; Gu, X.L.; Yang, L.N.; Wang, J.; Miao, K.F.; Dong, C.Y.; Wen, M.; Zhang, K. Effect of boron content on the structure, mechanical and tribological properties of sputtered Mo-S-B films. Surf. Coat. Technol. 2020, 399, 126140. [Google Scholar] [CrossRef]
- Duan, Z.; Qiao, L.; Chai, L.; Xu, J.; Wang, P.; Liu, W. Structure, properties and growth mechanism of a self-assembled nanocylindrical MoS2/Mo-S-C composite film. Appl. Surf. Sci. 2019, 465, 564–574. [Google Scholar] [CrossRef]
- Fu, Y.; He, T.; Yang, W.; Xu, J.; Mu, B.; Pang, X.; Wang, P. Structure, Mechanical and tribological properties of MoSN/MoS2 multilayer films. Coatings 2019, 9, 108. [Google Scholar] [CrossRef]
- Li, H.M.; Yi, P.Y.; Zhang, D.; Peng, L.; Zhang, Z.; Pu, J. Integration of MoST and Graphit-iC coatings for the enhancement of tribological and corrosive properties. Appl. Surf. Sci. 2020, 506, 144961. [Google Scholar] [CrossRef]
- Ren, S.M.; Li, H.; Cui, M.J.; Wang, L.; Pu, J. Functional regulation of Pb-Ti/MoS2 composite coatings for environmentally adaptive solid lubrication. Appl. Surf. Sci. 2017, 401, 362–372. [Google Scholar] [CrossRef]
- Baran, Ö.; Bidev, F.; Cicek, H.; Kara, L.; Efeoğlu, I.; Küçükömeroğlu, T. Investigation of the friction and wear properties of Ti/TiB2/MoS2 graded-composite coatings deposited by CFUBMS under air and vacuum conditions. Surf. Coat. Technol. 2014, 260, 310–315. [Google Scholar] [CrossRef]
- Kelly, P.J.; Arnell, R.D. Magnetron sputtering: A review of recent developments and applications. Vacuum 2000, 56, 159–172. [Google Scholar] [CrossRef]
- Jehn, H.; Reiners, G.; Siegel, N. (Eds.) DIN Fachbericht 39, Characterisierung; DunnerSchichten, Beuth Verlag: Berlin, Germany, 1993; p. 213. [Google Scholar]
- Wang, H.M.; Shi, P.J.; Yu, H.L.; Zhang, W.; Xu, B.S. Applications of nanoindentation techniques in the field of surface coatings. Key Eng. Mater. 2008, 373, 802–805. [Google Scholar] [CrossRef]
- Hertz, H.; Lenard, P. On the contact of rigid elastic solids and on hardness. In Miscellaneous Papers; Macmillan & Co. Ltd.: New York, NY, USA, 1898; Chapter VI; pp. 163–183. [Google Scholar]
- Ahmadi, A.; Tang, J.; Pol, V.G.; Sadeghi, F.; Mistry, K.K. Binder mediated enhanced surface adhesion of cured dry solid lubricant on bearing steel for significant friction and wear reduction under high contact pressure. Carbon 2019, 146, 588–596. [Google Scholar] [CrossRef]
- Naseem, A.; Aas, M.; Kishor, K.S.; Pallav, G. Wear, optimization and surface analysis of Al-Al2O3-TiO2 hybrid metal matrix composites. J. Eng. Tribol. 2020, 235, 93–102. [Google Scholar] [CrossRef]
- Wu, Y.; Li, H.; Ji, L.; Ye, Y.; Chen, J.; Zhou, H. A long-lifetime MoS2/a-C:H nanoscale multilayer film with extremely low internal stress. Surf. Coat. Technol. 2013, 236, 438–443. [Google Scholar] [CrossRef]
- Gao, X.; Fu, Y.; Jiang, D.; Wang, D.; Xu, S.; Liu, W.; Weng, L.; Yang, J.; Sun, J.; Hu, M. Constructing WS2/MoS2 nano-scale multilayer film and understanding its positive response to space environment. Surf. Coat. Technol. 2018, 353, 8–17. [Google Scholar] [CrossRef]
- Burgmann, A.F.; Xiao, X.L.; McCulloch, D.G.; McKenzie, D.R.; Bilek, M.M.M.; Gan, B.K.; Ryves, L. Relationship Between Microstructure, Stress and Hardness in Multilayer Coatings. Microsc. Microanal. 2005, 11, 1762–1763. [Google Scholar] [CrossRef][Green Version]
- Yi, P.; Zhang, D.; Peng, L.; Lai, X. Impact of Film Thickness on Defects and the Graphitization of Nanothin Carbon Coatings Used for Metallic Bipolar Plates in Proton Exchange Membrane Fuel Cells. ACS Appl. Mater. Interfaces 2018, 10, 34561–34572. [Google Scholar] [CrossRef]
- Leyland, A.; Matthews, A. On the significance of the H/E ratio in wear control: A nanocomposite coating approach to optimised tribological behaviour. Wear 2000, 246, 1–11. [Google Scholar] [CrossRef]
- Tsui, T.Y.; Pharr, G.M.; Oliver, W.C.; Bhatia, C.S.; White, R.L.; Anders, S.; Anders, A.; Brown, I.G. Nanoindentation and Nanoscratching of Hard Carbon Coatings for Magnetic Disks. MRS Proc. 1995, 383, 447. [Google Scholar] [CrossRef]
- Neuville, S.; Matthews, A. A perspective on the optimisation of hard carbon and related coatings for engineering applications. Thin Solid Films 2007, 515, 6619–6653. [Google Scholar] [CrossRef]
- Hui, Z.; Zheng, J.; Wen, Q.P.; Wan, Z.H.; Sang, R.P. The effect of Ti content on the structural and mechanical properties of MoS2-Ti composite coatings deposited by unbalanced magnetron sputtering system. Phys. Procedia 2011, 18, 234–239. [Google Scholar]















| Samples | Deposition Time of MoS2–TiL Layer (s) | Deposition Time of MoS2–TiH Layer (s) | Total Layers of the Coating | Total Deposition Time (h) |
|---|---|---|---|---|
| S300-300 | 300 | 300 | 24 | 4 |
| S600-600 | 600 | 600 | 12 | 4 |
| S900-900 | 900 | 900 | 8 | 4 |
| Samples | Deposition Time of MoS2–TiL Layer (s) | Deposition Time of MoS2–TiH Layer (s) | Total Layers of the Coating | Total Deposition Time (h) |
|---|---|---|---|---|
| S300-900 | 300 | 900 | 12 | 4 |
| S600-600 | 600 | 600 | 12 | 4 |
| S900-300 | 900 | 300 | 12 | 4 |
| Samples | Total Layers | Hardness (GPa) | Elastic Moduli (GPa) | H/E | H3/E2 |
|---|---|---|---|---|---|
| S300-300 | 24 | 7.6 ± 0.5 | 131.5 ± 12.8 | 0.057 ± 0.002 | 0.025 ± 0.001 |
| S600-600 | 12 | 8.2 ± 0.5 | 144.3 ± 9.3 | 0.057 ± 0.001 | 0.027 ± 0.001 |
| S900-900 | 8 | 8.6 ± 0.4 | 150.1 ± 6.2 | 0.057 ± 0.001 | 0.028 ± 0.002 |
| Samples | Loads | |||
|---|---|---|---|---|
| 5 N | 10 N | 15 N | 20 N | |
| S300-300 | 238 ± 8 | 480 ± 10 | 834 ± 14 | 861 ± 18 |
| S600-600 | 214 ± 9 | 250 ± 5 | 391 ± 7 | 443 ± 9 |
| S900-900 | 178 ± 5 | 234 ± 3 | 266 ± 4 | 307 ± 3 |
| Samples | Total Layers | Hardness (GPa) | Elastic Moduli (GPa) | H/E | H3/E2 |
|---|---|---|---|---|---|
| S300-900 | 12 | 8.7 ± 0.1 | 155.2 ± 6.9 | 0.056 ± 0.002 | 0.027 ± 0.002 |
| S600-600 | 12 | 8.2 ± 0.5 | 144.3 ± 9.3 | 0.057 ± 0.001 | 0.027 ± 0.001 |
| S900-300 | 12 | 7.4 ± 0.4 | 121.1 ± 8.3 | 0.061 ± 0.001 | 0.028 ± 0.001 |
| Samples | Loads | |||
|---|---|---|---|---|
| 5 N | 10 N | 15 N | 20 N | |
| S300-900 | 231 ± 4 | 284 ± 8 | 581 ± 7 | 676 ± 18 |
| S600-600 | 214 ± 9 | 250 ± 5 | 391 ± 7 | 443 ± 9 |
| S900-300 | 177 ± 2 | 216 ± 4 | 265 ± 3 | 303 ± 2 |
| Source of Variation | Sum of Squares (SS) | Degrees of Freedom (DOF) | Mean Square (MS) | Fcalculated | Fcritical |
|---|---|---|---|---|---|
| Between samples | 375,774 | 4 | 93,943 | 7.64 | 3.26 |
| Between loads | 318,580 | 3 | 106,193 | 8.64 | 3.49 |
| Error | 147,510 | 12 | 12,292 | ||
| Total | 841,863 | 19 |
| Source of Variation | Sum of Squares (SS) | Degrees of Freedom (DOF) | Mean Square (MS) | Fcalculated | Fcritical |
|---|---|---|---|---|---|
| Between samples | 561,320 | 4 | 140,330 | 5.51 | 3.26 |
| Between loads | 305,064 | 3 | 101,688 | 3.99 | 3.49 |
| Error | 305,780 | 12 | 25,482 | ||
| Total | 1172,164 | 19 |
| Author | Hardness/GPa | Elastic Moduli/GPa | H/E | H3/E2 | Note |
|---|---|---|---|---|---|
| Picas [7] | 6.2 | 160.0 | 0.039 | 0.009 | - |
| Qin [8] | 5.2–9.7 | - | - | - | A series of coatings with different Ti content |
| Zhang [10,12] | 6.7 | 101.6 | 0.066 | 0.029 | - |
| Sun [14] | 5.6 | 73.4 | 0.076 | 0.033 | Nanocomposite coating |
| 6.8 | 82.4 | 0.083 | 0.047 | Nano-multilayer coating | |
| Wang [16] | 6.4 | 108.7 | 0.059 | 0.022 | - |
| Kim [17] | 4.5–9.5 | - | - | - | A series of coatings with different Ti content |
| This study | 7.4–8.7 | 121.1–155.2 | 0.056–0.061 | 0.025–0.028 | A series of coatings prepared by different modulation periods |
Publisher’s Note: MDPI stays neutral with regard to jurisdictional claims in published maps and institutional affiliations. |
© 2021 by the authors. Licensee MDPI, Basel, Switzerland. This article is an open access article distributed under the terms and conditions of the Creative Commons Attribution (CC BY) license (https://creativecommons.org/licenses/by/4.0/).
Share and Cite
Zhang, P.; Ying, P.; Lin, C.; Yang, T.; Wu, J.; Huang, M.; Wang, T.; Fang, Y.; Levchenko, V. Effect of Modulation Periods on the Mechanical and Tribological Performance of MoS2–TiL/MoS2–TiH Multilayer Coatings. Coatings 2021, 11, 1230. https://doi.org/10.3390/coatings11101230
Zhang P, Ying P, Lin C, Yang T, Wu J, Huang M, Wang T, Fang Y, Levchenko V. Effect of Modulation Periods on the Mechanical and Tribological Performance of MoS2–TiL/MoS2–TiH Multilayer Coatings. Coatings. 2021; 11(10):1230. https://doi.org/10.3390/coatings11101230
Chicago/Turabian StyleZhang, Ping, Puyou Ying, Changhong Lin, Tao Yang, Jianbo Wu, Min Huang, Tianle Wang, Yihang Fang, and Vladimir Levchenko. 2021. "Effect of Modulation Periods on the Mechanical and Tribological Performance of MoS2–TiL/MoS2–TiH Multilayer Coatings" Coatings 11, no. 10: 1230. https://doi.org/10.3390/coatings11101230
APA StyleZhang, P., Ying, P., Lin, C., Yang, T., Wu, J., Huang, M., Wang, T., Fang, Y., & Levchenko, V. (2021). Effect of Modulation Periods on the Mechanical and Tribological Performance of MoS2–TiL/MoS2–TiH Multilayer Coatings. Coatings, 11(10), 1230. https://doi.org/10.3390/coatings11101230

