Abstract
CeO2 can be applied to refining slag to minimize the size of inclusions, speed up the deoxidization process, and adsorb Al2O3 inclusions. The impact through which CeO2 content affects slag’s melting efficiency is still uncertain. The thermal analyzer was used to measure the thermogravimetric analysis (TG) and differential scanning calorimetry (DSC) curves of the slag melting process. According to the study results, with the increase in CeO2 content, the melting temperature of slag decreased first and then increased. The slag’s melting point fell from 1364 °C to 1324 °C and then rose to 1503 °C. XRD and SEM were used to analyze the CaO-Al2O3-SiO2-MgO-CeO2 slag’s microstructure. The mineral-phase structure of CeO2-containing refining slag was primarily composed of Ca2SiO4 and 3CaO·Al2O3, MgO, SiO2, CaO·Al2O3, and Ca8Ce6Al6O26. The proportion of 3CaO·Al2O3, CaO·Al2O3, and Ca2SiO4 decreased as the rare-earth-oxide content increased, while the proportion of Ca8Ce6Al6O26 increased. FactSage was used to estimate the equilibrium-phase compositions of slags with various compositions, and a model for predicting melting points was carried out by a linear regression model. Results were obtained through the analysis of equilibrium-phase composition and crystal structure transformation. The main reasons for the melting point decrease were the change of degree of polymerization and the decrease in contents and complete melting temperature of high-melting-point Ca3Al2O6 and Ca2SiO4 compounds. The latter increase in melting point was due to the number of Ca8Ce6Al6O26 compounds and precipitation temperature increases and the complexity of the structural-network increases.
1. Introduction
The rare-earth cerium element belongs to the third subgroup, has a high atomic number, and has electronegativity between Mg and Ca. As a result, it is frequently used in the metallurgical industry as a microalloying material to achieve the goals of deep purification of molten steel, inclusion modification, and grain refinement [1,2,3,4], thereby improving the corrosion resistance, wear resistance, and heat resistance of steel [5,6,7]. The core of rare-earth steel process control is to obtain low oxygen and low sulfur conditions of molten steel. Therefore, the aluminum deoxidation process is the best choice, and production of Al2O3 inclusions are unavoidable. It will result in the burning loss of rare-earth elements if it is not floated in time. At the moment, the CaO-Al2O3-SiO2-MgO refining slag that can reduce the content of oxygen, sulfur, and inclusions in molten steel is widely used. According to the study in [8,9,10,11,12,13,14], Al2O3 inclusions can be well absorbed after adding rare-earth oxides to the refining slag system, and the deoxidation rate and inclusion grade reduction rate can reach more than 15%. Furthermore, cerium oxides can raise the activity of Ce2O3, which inhibit the oxidation of rare-earth elements in molten steel, which can significantly improve its solid-solution–rare-earth ratio. However, rare-earth oxides belong to alkaline oxides, and too-high basicity will affect the melting temperature of refining slag, but the impact of rare-earth oxides on slag melting temperature is still not clear.
Researchers have made some progress in understanding the effect of rare-earth oxides on various slag melting performances. According to Xi’s research [15], the melting point of converter slag containing CeO2 and La2O3 decreased first and then increased. The slag temperature was lowest when the mass fraction of rare-earth oxides was 6%. Long [16,17] discovered that when the m(CaO)/m(Al2O3) mass ratio in refining slag is 1, the melting temperature increases first and then decreases, reaching a maximum of 1516 °C when the addition amount is 10%, but the influence mechanism is still unknown. Qi [9,10] discovered that adding rare-earth oxides could reduce not only the critical cooling rate of mold flux but also the initial crystallization temperature. Rare-earth oxides can be used in various types of slag, but the effect and mechanism of rare-earth oxides on slag differ due to the differences in slag composition.
Some research has been done to determine the effect of Ce2O3 content on the melting performance of refining slag. Ueda and Wang [18,19] discovered that adding Ce2O3 produced some high-melting-point mineral-phase structures (3CaO·5Al2O3·Ce2O3 and 8CaO·3Ce2O3·3Al2O3), increasing the melting temperature of slag, but no quantitative relationship between the addition amount and the melting temperature was found. Chen [20] discovered that adding 10% of CeO2 increases the liquid phase ratio of slag at 1600 °C, owing to the formation of a low-melting-point composite-mineral-phase structure between CeO2 and a high-melting-point calcium aluminate compound (CaO·6Al2O3), lowering the melting temperature of slag. The thermodynamics of the CaO-Al2O3-Ce2O3 slag system were evaluated by Liu [21]. When the Ce2O3 addition is less than 48%, the slag can be melted at 1600 °C, and the thermodynamic data of the slag phase structure are optimized. Long [16,17] believed that the content of high-melting-point calcium aluminate had a large influence on the melting temperature, whereas Xi [15] believed that the formation of rare-earth silicide (CeSiO4) had a large influence on the melting temperature. According to scholar research summaries, the research conclusions on the influence of rare-earth oxides on the melting performance of refining slag are not unified, and the studies are all about Ce2O3. However, CeO2 is the most stable state of cerium oxide at room temperature, and Ce2O3 has significant practical-application limitations. As a result, studying the effect of CeO2 on the melting performance of refining slag is more systematic and comprehensive.
The phase structure is closely related to the melting temperature of slag. Slag melting temperature is bound to be affected by the formation of high-melting-point compounds [21,22,23]. The melting temperature of the slag was measured using a thermal analyzer in this paper, and the effect of CeO2 content on the melting temperature of the slag was investigated. Then FactSage was used to calculate the equilibrium-mineral-phase structure of the slag, and the influence of CeO2 content in the slag on the mineral-phase structure is summarized to provide a theoretical basis for optimizing the rare-earth refining slag.
2. Experimental Materials and Methods
2.1. Experimental Materials
The raw materials used in this experiment are refining slag, 99.9% pure CeO2 reagent, 99% pure MgO crucible, and graphite crucible. The slag weighs 250 g in total. Table 1 shows the specific composition of refining slag.
Table 1.
Composition of refining slag (mass fraction/%).
2.2. Experimental Method
In order to let CeO2 react fully with the refining slag, the pre-melting operation of the slag was performed first. Six groups of experiments were conducted. Refining slag’s compositions are as shown in Table 1. Refining slag was grinded fully with CeO2 reagent in an agate crucible before being melted in a tubular resistance furnace. According to the composition of refining slag and the content of CeO2 added, the approximate composition of slag was calculated, and the results are shown in Table 2. The following were the slag-preparation steps: (1) The mixed reagent (refining slag and CeO2) was loaded into the MgO crucible, which was then placed in the tubular resistance furnace. (2) In an argon atmosphere, the heating rate was set to 10 °C/min, the slag was heated to 1600 °C and held for 1 h, and then it was slowly cooled to room temperature in an argon atmosphere.
Table 2.
Experimental slag-composition ratios.
The mineral-phase structure of the prepared slag was analyzed. The characterization of phase structure of slag was determined using an X-ray diffractometer (D8 Advance, AXS, Brook, Germany). The target material was Cu, and the radiation type was monochromatic X-ray at a 1.54e wavelength. The light microscope (DSX 510, Olympus, Fangu, Japan) was used to observe the distribution morphology of phase in slag. The scanning electron microscope (TESCAN VEGA3 XMH, Brno, Czech Republic) was used to analyze the composition information of slag phase. The imaging mode was secondary electron and backscattered electron, and the accelerating voltage was 20 kV.
Subsequently, the melting-point test experiment of the pre-melted slag was carried out. Firstly, the high-temperature confocal microscope was used to observe whether the slag could be completely melted at 1600 °C. Then, the TG-DSC thermal analyzer (DTA449C) of the NETZSCH Company, Bavaria, Germany, was used to determine the melting point of slag. The instrument has a temperature range of up to 1650 °C, a sample measurement range of 0~50 mg, and a sensitivity of 0.01 μg. Alumina crucible was used in the experiment. (Because refining slag is pre-melted slag with a stable slag phase and the structure of the crucible is denser, the alumina-crucible reaction is not considered). To improve the uniformity of samples, a ball crusher was used to powder the sintered slag, which was then ground for 10 min with an agate grinding dish to less than 300 meshes. A 10 mg sample was weighed and placed in a crucible. It was then placed in a hot balance room and purged with 20 mL/min of high-purity argon gas while protected by 80 mL/min of high-purity argon gas. The experiment’s heating rate was 20 °C/min, rising from room temperature to 1600 °C. The instrument automatically recorded the data of weights and heats.
3. Experimental Results
3.1. Microstructure of Refining Slag
When CeO2 is added in amounts less than 10%, the slag is bluish green in color, has little porosity, and has a compact structure. The color of the slag changes to black with a considerable local porosity when CeO2 is added in amounts greater than 10%. Epoxy resin was used to embed the slag sample, which was then examined under a light microscope. Figure 1 shows the mineral-phase structure of slag. The mineral-phase structure shows that the microstructure of the slag without rare-earth-oxide treatment is bulk calcium aluminate and doped with rod-like calcium silicate mineral-phase structure. When the CeO2 content is less than 15%, the slag is dominated by small crystals, with no obvious dendritic crystals. Dendritic crystals dominate the slag phase structure with a CeO2 content of more than 15%.
Figure 1.
Slag mineral-phase structure. (a) Refining slag +0% CeO2; (b) Refining slag +5% CeO2; (c) Refining slag +8% CeO2; (d) Refining slag +10% CeO2; (e) Refining slag +15% CeO2; (f) Refining slag +20% CeO2.
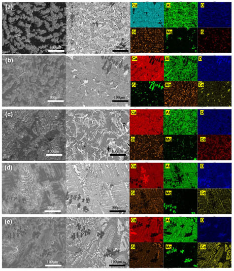
SEM was used to examine the slag, and an energy-dispersive spectrometer was used to determine the specific composition of the mineral-phase structure. Figure 2 depicts the results. It can be seen from the element-distribution map that there are some desulfurization products (CaS) in the slag, which are dispersed in the slag without aggregation. In the No.0 slag, the matrix phase structure is 3CaO·Al2O3, CaO·Al2O3, Ca2SiO4 has a dispersed distribution, and there are more developed MgO crystals. After the addition of CeO2, the Ca-Al-Ce-O compound appears (as a white-striped structure in the backscattered electron mode), and its elemental composition conforms to the Ca8Ce6Al6O26 structure by EDS analysis, as shown in Figure 3.

Figure 2.
Secondary electron image, backscattered electron image, and element plane scanning of slag mineral-phase structure. (a) Refining slag +0% CeO2; (b) Refining slag +5% CeO2; (c) Refining slag +8% CeO2; (d) Refining slag +10% CeO2; (e) Refining slag +15% CeO2; (f) Refining slag +20% CeO2.
Figure 3.
Ca8Ce6Al6O26 structure compositions.
The prepared slag was crushed and sieved to a size of less than 0.0074 mm, and the phase contained was detected and analyzed using XRD, the results of which are shown in Figure 4. The control group’s mineral-phase structure was primarily composed of Ca2SiO4 and 3CaO, Al2O3, MgO, SiO2, and CaO. The mineral-phase structure of CeO2-containing refining slag was primarily composed of Ca2SiO4 and 3CaO·Al2O3, MgO, SiO2, CaO, and Ca8Ce6Al6O26. The proportion of 3CaO·Al2O3 decreased as the rare-earth-oxide content increased, while the proportion of Ca8Ce6Al6O26 increased.
Figure 4.
Slag XRD atlas.
The surface composition scanning and XRD quantitative phase analysis method were used to count the few fields of view of slag, and the comparison shown in Table 3 was obtained. MgO is converted by Mg element content, Ca8Ce6Al6O26 is converted by Ce element content, and xCaO·Al2O3 is the residual phase fraction. The proportion of xCaO·Al2O3 decreased as CeO2 content increased, while Ca8Ce6Al6O26 increased, and MgO and Ca2SiO4 content did not change significantly. Through the quantitative analysis of mineral-phase structure, low-melting-point substances such as calcium aluminate and calcium silicate accounted for a large proportion, indicating that the melting-point peak can represent the slag stably flow temperature.
Table 3.
Slag’s mineral-phase ratios.
3.2. Measurement Results of Melting Point
To explore whether the slag can be melted at 1600 °C, the melting of slag containing 15% of CeO2 during heating and the crystallization process during cooling was observed by a high-temperature confocal microscope. First used was a heating rate of 5 °C/s to 1200 °C, then a heating rate of 0.5 °C/s to 1600 °C, then the same cooling rate of 0.5 °C/s from 1600 °C to 1200 °C, and finally a 5 °C/s cooling rate to room temperature. The results are shown in Figure 5.
Figure 5.
Heating and cooling processes of slag under a high-temperature confocal microscope.
It can be seen from the high-temperature rock phase that the slag powder was not melted at 1311.4 °C and was in a granular state. At 1351.6 °C, the low-melting-point compounds of slag began to melt, and the solid particles were wrapped by liquid slag. At 1360 °C, the low-melting-point material was completely melted, and there were some high-melting-point compounds between the liquid slags. With the further increase in temperature, reaching 1397.8 °C, the number of high-melting-point substances became fewer but still existed; when the temperature reached 1500.3 °C, the slag completely melted, and there was no solid material. At 1600.2 °C, there was also no homogeneous liquid phase, indicating that the slag can be completely melted at 1600 °C. With the gradual cooling of the slag, at 1284.7 °C, some precipitates began to appear; at 1112.6 °C, most of the liquid phase began to transform into a solid and, at 1076.0 °C, transformed completely into a solid.
Figure 6 shows the melting-point test results of each group of refining slag. According to the ICTA Standardization Committee, when the DSC and TG curves are used to characterize the melting temperature of a substance, the melting point is defined as the intersection of the front baseline (the line segment with little change in heat before the melting-point peak) extension line and the tangent at the melting peak’s maximum slope. However, the DSC curve shows that there is no obvious front baseline before the melting-point peak, making the initial melting temperature impossible to measure. As a result, the melting-point peak is regarded as the initial melting temperature.
Figure 6.
TG-DSC curves of slags.
The endothermic peaks of CaCO3 and Ca(OH)2 appear in the DSC-TG curve because some of the powder after the preparation reacted with H2O and CO2 in the air. During the heating process, there is an obvious endothermic peak, which is in the range of 1300~1500 °C, and the mass changes little, so it can be judged to be the phase transition temperature of slag. It can be seen from the curve that with the increase in CeO2 content, the temperature of the endothermic peak first decreases and then increases. It can be concluded that CeO2 content has a great influence on the melting temperature of slag. By integrating the area of the endothermic peak (Hf), it is found that the heat absorption increases first and then decreases, from 74.87 J/g to 116.3 J/g, and then decreases to 94.85 J/g. It indicates that the proportion of low-melting-point minerals in the structure of slag increases and the number of production increases.
Several experiments were repeated to make the results more rigorous, and the measured melting of refining slag is shown in Figure 7, and the blue line indicates the downward trend of the melting point, and the red line indicates the upward trend of the melting point. When the CeO2 content is 5~15%, the melting point of refining slag is between 1320 °C and 1380 °C, which can meet the requirements of refining. When the CeO2 content exceeds 15%, the melting point increases rapidly, and it cannot be completely melted during the refining process, affecting the refining rhythm. The melting point of unpre-melted refining slag with 18% of CeO2 content was tested to confirm the trend’s correctness. It was discovered that the melting point of the refining slag with 18% of CeO2 content was higher than 15%, implying that the melting point decreased when the CeO2 content was less than 15%. When the CeO2 content exceeds 15%, the melting point rises. The melting temperature of slag is closely related to the mineral-phase structure. The formation of high-melting-point compounds is bound to affect the melting temperature of slag [20,21]. Therefore, it is necessary to study the law of slag mineral-phase structure.
Figure 7.
Slag melting-point-change curve.
4. Analysis and Discussion
4.1. Effect of CeO2 Content on Equilibrium Mineral Phase of Slag
The most stable valence state of cerium at room temperature is +4, but under the reducing condition of refining slag, the process of CeO2 converting into Ce2O3 will occur, as shown in Equation (1). The activity of FeO is the most intuitive index to measure the oxidizability of slag. The activity of FeO is 2.35 × 10−14~4.71 × 10−10 under the composition shown in Table 2 by coexistence theory. By querying the distribution coefficient of oxygen between slag and molten steel, the oxygen concentration w[O] % in slag at equilibrium can be calculated to be 5.38 × 10−15~1.08 × 10−10. According to the equilibrium of Equation (1), the equilibrium constant K1 at 1600 °C can be calculated to be 5.28 × 10−8, and then w(Ce2O3)%/w(CeO2)% = 9.82 × 106~1.12 × 102. Therefore, it is considered that CeO2 can be completely converted to Ce2O3 under the current low-oxygen conditions.
where G1θ is the Gibbs free energy of the reaction from CeO2 to Ce2O3 and K1 is the equilibrium constant of the reaction. Additionally, a(FeO) is the activity of FeO in slag, and w[O] % is the oxygen content in slag.
2CeO2 = Ce2O3 + [O] △G1θ = −205.8T + 646400
lg(w[O]%) = lg(a(FeO)) − (6320/T − 2.734)
FactSage thermodynamic software (v8.2, GTT-Technologies, Achen, Germany) was used to calculate the mineral-phase structure that may be formed by the slag compositions in Table 2. In the thermodynamic software simulation process, the database was FToxid, the cooling method was Normal Equilibrium Cooling, the temperature range was 1000~1600 °C, the calculation step was 50 °C, the pressure was set to 1 atm, and the equilibrium oxygen partial pressure was set to PO2 = 10−10. Figure 8 shows the calculation results of equilibrium precipitates in the finished product.

Figure 8.
Equilibrium transformations of slag phases.
At 1600 °C, the MgO phases were first formed in the liquid slag, followed by the α-Ca2SiO4 phase at 1475~1500 °C, the β-Ca2SiO4 phase at 1418~1422 °C, the 3CaO·Al2O3 phase at 1353~1378 °C, the Ca8Ce6Al6O26 phase at 1370~1502 °C, and the CaO·Al2O3 phase at 1275 °C. The phase equilibrium results show that as the CeO2 content increased, the production of MgO did not change significantly. The β-Ca2SiO4, CaO·Al2O3, and 3CaO·Al2O3 phases production decreases while Ca8Ce6Al6O26 production increases. The following are the main reactions:
3CaO(s) + Al2O3(s) = Ca3Al2O6(l) ΔG3θ = −252400 + 52.64T
CaO(s) + Al2O3(s) = CaAl2O4(l) ΔG4θ = −49060 − 6.628T
8CaO(s) + 3Ce2O3(s) + 3Al2O3(s) = 8CaO·3Ce2O3·3Al2O3(s) ΔG5θ = −733100 + 43.76T
According to Equations (3)–(5), at the experimental temperature of 1600 °C, ΔG3θ = −153,805 J/mol, ΔG4θ = −59,722.9 J/mol, ΔG5θ = −651,137 J/mol, so the three compounds can be completely generated, and the source of Ce2O3 in slag is CeO2 transformed into Ce2O3.
With the increase in CeO2 content, the precipitation temperature of Ca3Al2O6 and β-Ca2SiO4 decreases, and the precipitation temperature of 8CaO·3Ce2O3·3Al2O3 increases. That is, at the same temperature, the melting ratio of slag increases, which reduces the melting point of slag.
4.2. Effect Mechanism of CeO2 Content on Slag Melting Performance
The melting temperature of five-membered refining slag decreases first and then increases as the CeO2 content increases. The CeO2 content primarily influences the melting process of high-melting-point oxides. The effect of CeO2 on the melting point of slag is divided into early and later, two processes. During the initial stage, the melting temperature decreases as the content of CeO2 increases from 0% to 15%. CeO2 mainly reduces the equilibrium production of high-melting-point Ca3Al2O6 and Ca2SiO4 by reacting with Al2O3 and CaO, while the number of Ca8Ce6Al6O26 composite compounds increases little, and meanwhile, CeO2 promotes the reduction of complete melting temperature of Ca3Al2O6 and β-Ca2SiO4. Ca8Ce6Al6O26 is also a high-melting-point compound. During the later stage, the number of Ca8Ce6Al6O26 compounds and precipitation temperature increases as CeO2 content increases, resulting in an increase in slag melting temperature.
At the same time, the melting point is related to the crystal’s resistance to the temperature effect, which is determined by the crystal lattice energy and the Coulomb attraction between ions. The higher the melting point of slag, the greater the lattice energy. According to Qi’s [24] research, in the range of 0~20%wt, Ce2O3 plays an opposing role in two different phases. With the increase of Ce2O3 mole fraction in the silicate slag, the total proportion of QSi3 and QSi2 structural units(shown at Figure 9) with a high degree of polymerization will increase, and the complexity of the network will increase. With the increase of the Ce2O3 mole fraction in the aluminate slag, the relative proportion of [AlO4]-tetrahedron as the network-forming body decreases first and then stabilizes, and the network-modifier [AlO6]-octahedron’s relative proportion rises. The degree of polymerization of the slag showed a trend of decreasing first and then becoming stable. With the CaAl2O4 having an [AlO4]-hexahedral structure, the composite compounds Ca3Al2O6 and Ca8Ce6Al6O26 have an [AlO6]-octahedron structure. The total amount of the Ca3Al2O6 and Ca8Ce6Al6O26 is increasing, as is the proportion of octahedron structure. The compactness of the hexahedral structure is greater than that of the octahedral structure. As a result, the melting point of slag is decreasing due to the change of degree of polymerization. Simultaneously, the content of the silicate mineral phase does not change much with the content of CeO2, but the complexity of the structural-network increases, resulting in the trend of slag melting point decreasing first and then increasing.
Figure 9.
Stick model of aluminate and silicate crystals.
The reasons for the melting point decrease are the change of degree of polymerization and the quantity and precipitation temperature decrease of high-melting-point Ca3Al2O6 and Ca2SiO4 compounds. The latter increase in melting point is due to the number of Ca8Ce6Al6O26 compounds and precipitation temperature increases and the complexity of the structural-network increases.
4.3. A Model for Predicting Melting Points Using CeO2 Refining Slag
There are many uncontrollable factors in the measurement process of slag, so it is necessary to establish a prediction model of slag melting point. However, there is no accurate model of the melting point at present. Lolja [25] found that when a single oxide content was used as a variable, it was impossible to correlate with the melting point, so the combination form containing multiple components was used for fitting and prediction. Therefore, the multiple linear regression method is selected to establish the melting-point prediction model.
As defined, are independent of unknown parameters, and is an unobservable random variable. Table 4 is the regression result of model parameters.
Table 4.
Model regression results.
In order to make the model more accurate, the model is divided into two kinds of CeO2 addition amounts, ≤15% and >15%. Because the amount of data is less when the addition amount is more than 15%, the melting temperature and CeO2 content are used to establish the model. When the addition amount is less than 15%, the regression model is established by using the equilibrium-mineral-phase composition and melting temperature. The results are shown in Table 4.
Through C regression analysis, it can be concluded that the fitting accuracy R2 of the model is 0.879, indicating strong applicability. As a result, the goal of predicting the melting point of CeO2-bearing refining slag by equilibrium-phase structure can be accomplished, providing a theoretical basis for the rare-earth steel refining process.
5. Conclusions
In this paper, the effect of CeO2 content on the melting properties of the CaO-Al2O3-SiO2-MgO slag system is systematically analyzed by thermodynamic calculation and experiment. The following conclusions are obtained:
(1) The melting temperature of slag was measured by the thermal analyzer. With the increase in CeO2 content, the melting temperature of slag decreased first and then increased, and the heat absorption increased first and then decreased, from 74.87 J/g to 116.3 J/g, and then decreased to 94.85 J/g. It indicates that the proportion of low-melting-point minerals in the structure of slag increased and the number of productions increased.
(2) The influence of CeO2 content on the mineral-phase structure was analyzed by XRD characterization and an energy spectrometer. The results show that with the increase in CeO2 content in slag, the proportion of 3CaO·Al2O3, CaO·Al2O3, and β-Ca2SiO4 decreased, and the proportion of Ca8Ce6Al6O26 increased. In the argon environment, CeO2 first transformed to Ce2O3, and rare-earth elements mostly existed in the form of rare-earth compounds.
(3) The equilibrium-phase composition of slag with different compositions was calculated by FactSage, and a model for predicting melting points was carried out by a linear regression model. The fitting accuracy of the model was above 0.879, which can achieve the purpose of accurately predicting the melting point of slag.
(4) The reasons for the melting-point decrease are the transformation of calcium aluminate crystal structure and the decrease in contents and complete melting temperature of high-melting-point Ca3Al2O6 and Ca2SiO4 compounds. The latter increase in melting point is due to the number of Ca8Ce6Al6O26 compounds and precipitation temperature increases and the crystal transformation of calcium silicate.
Author Contributions
Conceptualization, B.Z. and W.W.; methodology, B.Z.; software, T.Y.; validation, B.Z., W.W. and C.S.; formal analysis, J.Z.; investigation, J.Z.; resources, B.Z; data curation, B.Z.; writing—original draft preparation, W.W.; writing—review and editing. All authors have read and agreed to the published version of the manuscript.
Funding
This research was supported by the Central Government to Guide Local Science and Technology Development Funds (2020ZY0034).
Data Availability Statement
No Data Available.
Conflicts of Interest
The authors declare no conflict of interest.
References
- Xie, Y.; Song, M.; Zhu, H.; Li, J.; Ma, G.; Xue, Z. Effect of lanthanum content on the formation of acicular ferrite. Metall. Mater. Trans. B 2022, 53, 1484–1494. [Google Scholar] [CrossRef]
- Wang, C.; Ma, R.; Zhou, Y.; Liu, Y.; Daniel, E.F.; Li, X.; Wang, P.; Dong, J.; Ke, W. Effects of rare earth modifying inclusions on the pitting corrosion of 13Cr4Ni martensitic stainless steel. J. Mater. Sci. Technol. 2021, 93, 232–243. [Google Scholar] [CrossRef]
- Wu, D.; Hu, Q.; Chen, W.; Lu, D.; Zou, J.; Guo, J.; Liu, Q.; Sun, L. Effects of Rare Earth Elements (Ce, Y) on Microstructure and Mechanical Properties of P20 Die Steel. J. Phys. Conf. Ser. 2021, 2101, 012085. [Google Scholar] [CrossRef]
- Chen, C.; Sun, M.; Chen, X.; Wang, B.; Zhou, J.; Jiang, Z. State of the art in control of inclusions and microalloying elements in tire cord steel and saw wire steel. Steel. Res. Int. 2022, 93, 2100507. [Google Scholar] [CrossRef]
- Yin, L.; Xu, D.; Yang, C.; Xi, T.; Chen, X.; Yang, K. Ce addition enhances the microbially induced corrosion resistance of Cu-bearing 2205 duplex stainless steel in presence of sulfate reducing bacteria. Corros. Sci. 2021, 179, 109141. [Google Scholar] [CrossRef]
- Su, C.; Feng, G.; Zhi, J.; Zhao, B.; Wu, W. The Effect of Rare Earth Cerium on Microstructure and Properties of Low Alloy Wear-Resistant Steel. Metals 2022, 12, 1358. [Google Scholar] [CrossRef]
- Liu, T.; Xu, L.; Luo, Z.; Lin, Y.; Zhang, S. Effect of minor Ce and Zr on the wear property of a nickel-saving austenitic heat-resistant cast steel. Mater. High Temp. 2021, 38, 211–221. [Google Scholar] [CrossRef]
- Xin, W.; Deng, Y.; Jiang, Y.; Zhang, J.; Wang, P. Crystallization Characteristics of the CaO–SiO2–Al2O3–La2O3 Rare Earth-Bearing Slag System. Trans. Indian Inst. Met. 2021, 74, 1549–1556. [Google Scholar] [CrossRef]
- Qi, J.; Liu, C.; Liu, H.; Li, C.; Jiang, M. Effect of rare earth oxide on the crystallization behavior of CaO-Al2O3-based mold flux for rare earth heat-resistant steel continuous casting. J. Non-Cryst. Solids 2021, 559, 120681. [Google Scholar] [CrossRef]
- Yang, X.; Long, H.; Cheng, G.; Wu, C.; Wu, B. Effect of refining slag containing Ce2O3 on steel cleanliness. J. Rare Earths 2021, 29, 1079–1083. [Google Scholar] [CrossRef]
- Guo, W.; Ding, Z.; Wang, J.; Wu, J.; Wang, Z. Effect of La2O3 on the viscosity and structure of CaO–SiO2 (–Al2O3)–La2O3 melts. Mater. Chem. Phys. 2021, 266, 124526. [Google Scholar] [CrossRef]
- Wang, H.; Bao, Y.P.; Zhi, J.G.; Duan, C.Y.; Gao, S.; Wang, M. Effect of rare earth ce on the morphology and distribution of Al2O3 inclusions in high strength IF steel containing phosphorus during continuous casting and rolling process. ISIJ Int. 2021, 61, 657–666. [Google Scholar] [CrossRef]
- Gao, X.; Zhang, L.; Zhang, L.; Ren, Q.; Qu, X. Transfer of rare earth to alloy and inclusion during slag-metal reaction. Metall. Res. Technol. 2021, 118, 414. [Google Scholar] [CrossRef]
- Luo, Y.; Wu, M.; Yang, W.; Zhang, L. Effect of the La2O3 Content in Slag on Inclusions in Al-Killed Steels. Metall. Mater. Trans. B 2022, 53, 2088–2103. [Google Scholar] [CrossRef]
- Xi, X.; Yang, S.; Lai, C.; Li, J.; Wang, F. Thermal physical properties and dephosphorisation kinetics of rare earth oxides containing slags. Ironmak. Steelmak. 2019, 46, 968–973. [Google Scholar] [CrossRef]
- Long, H.; Cheng, G.G.; Wu, B.; Wu, Y. Research on melting and flow characteristics of refining slag containing Ce2O3. J. Chin. Soc. Rare Earths 2010, 28, 721–727. [Google Scholar]
- Wu, C.; Cheng, G.; Long, H. Effect of Ce2O3 and CaO/Al2O3 on the phase, melting temperature and viscosity of CaO-Al2O3-10 mass% SiO2 based slags. High Temp. Mater. Process. 2014, 33, 77–84. [Google Scholar] [CrossRef]
- Ueda, S.; Morita, K.; Sano, N. Activity of AlO1.5 for the CaO–AlO1.5–CeO1.5 system at 1773 K. ISIJ Int. 1998, 38, 1292–1296. [Google Scholar] [CrossRef]
- Wang, L.; Wang, Q.; Li, J.M.; Chou, K.C. Dissolution mechanism of Al2O3 in refining slags containing Ce2O3. J. Min. Metall. Sect. B: Metall. 2016, 52, 35–40. [Google Scholar] [CrossRef]
- Chen, X.; Deng, T.; Zhao, Z.; Yan, B. Thermodynamic Study on CaO-SiO2-Al2O3-5% MgO-10% Ce2O3 Slag System: Liquide Lines and Distribution Behavior of Cerium at 1873 K. ISIJ Int. 2020, 60, 1602–1609. [Google Scholar] [CrossRef]
- Qi, J.; Liu, C.; Zhang, C.; Jiang, M. Effect of Ce2O3 on structure, viscosity, and crystalline phase of CaO-Al2O3-Li2O-Ce2O3 slags. Metall. Mater. Trans. B 2017, 48, 11–16. [Google Scholar] [CrossRef]
- Wang, Z.H.; Li, S.Y.; Guo, H.J.; Guo, J. Effects of CaO content on Ce2O3 behavior in CaF2-Al2O3-CaO-Ce2O3 slags. Nonferr. Met. Sci. Eng. 2019, 10, 6–13. [Google Scholar]
- Zheng, X.; Liu, C. Thermodynamic Properties Assessment of CaO-Al2O3-Ce2O3 System. Metall. Mater. Trans. B 2021, 52, 3183–3192. [Google Scholar] [CrossRef]
- Qi, J.; Liu, C.; Li, C.; Min, Y.; Jiang, M. Effect of cerium oxide on the structure of silicate melt and aluminate melt. J. Non-Cryst. Solids 2021, 568, 120945. [Google Scholar] [CrossRef]
- Lolja, S.A.; Haxhi, H.; Martin, D.J. Correlations in the properties of Albanian coals. Fuel 2002, 81, 1095–1100. [Google Scholar] [CrossRef]
Disclaimer/Publisher’s Note: The statements, opinions and data contained in all publications are solely those of the individual author(s) and contributor(s) and not of MDPI and/or the editor(s). MDPI and/or the editor(s) disclaim responsibility for any injury to people or property resulting from any ideas, methods, instructions or products referred to in the content. |
© 2023 by the authors. Licensee MDPI, Basel, Switzerland. This article is an open access article distributed under the terms and conditions of the Creative Commons Attribution (CC BY) license (https://creativecommons.org/licenses/by/4.0/).










