Mineralogical and Chemical Changes after Reduction Roasting of Xinjiang Iron Ore, China
Abstract
:1. Introduction
1.1. Iron Ore
1.2. Geological Characterization of Xinjiang Iron Ore
1.3. Impurities in Iron Ore
2. Experimental
3. Results and Discussion
3.1. Chemical Characterization
3.2. Mineralogical Characterization
3.2.1. Iron Ores
3.2.2. Lead/Zinc Impurities
3.2.3. Roasted Sample
3.3. X-ray Fluorescence
3.3.1. XRF of Raw Sample
3.3.2. XRF of Roasted Samples
3.4. Phase Properties of Iron Ores and Lead/Zinc Minerals
3.5. Electron Probe Microanalysis (EPMA)
3.5.1. Raw Sample
3.5.2. Roasted Samples
3.6. EDS Analysis
3.7. Effects of Reduction Roasting Temperature
4. Conclusions
- Rock and mineral identification and phase in the micro-zone analysis show that hematite is the main iron-bearing mineral, accounting for up to 91.35% of iron, with small amounts of magnetite and iron silicate; lead impurities are mainly lead oxide and lead–iron, accounting for 49.03% and 41.29%, respectively; zinc oxide is the main zinc impurity, accounting for 90.60%; lead–zinc sulfide is less abundant, accounting for 7.2% and 5.7%, indicating that the lead–zinc complex in the hematite is mainly composed of oxidized lead–zinc minerals;
- XRF analysis for raw samples indicated the presence of quartz, hematite, magnetite, chlorite, calcite, and dolomite. The analysis showed that the percentage of hematite in the ore is high compared to the percentages of quartz, lead, and zinc impurities. The results of the analysis of roasted samples showed an increase in the percentage of hematite at roasting temperatures of 750 °C and 900 °C, while the natural iron percentage increased at a temperature of 1200 °C, along with the conversion of galena to lead oxide and sphalerite to zinc oxide, with a stable quartz ratio;
- The chemical analysis of the raw sample shows that the TFe of the sample is 47.04%, while the contents of harmful Pb and Zn impurities are 0.39% and 0.30%, respectively, both of which exceed the index of 0.10% required from raw materials in the iron industry. The content of harmful sulfur impurities is also high (1.19%), and needs to be eliminated or reduced. The contents of the gangue mineral components SiO2 and Al2O3 are 20.33% and 2.85%, respectively;
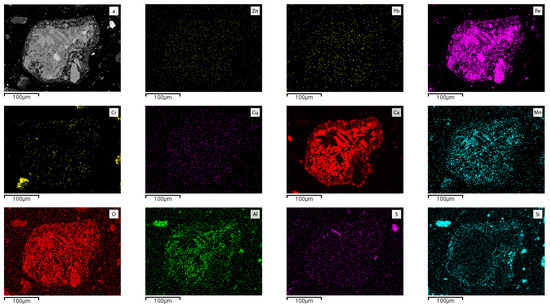
- The results of EPMA and EDS analysis of pre-roasting raw samples showed that the chemical compositions vary in different locations in the hematite, magnetite, sphalerite, and galena micro-zones. A high iron content is present in the hematite and magnetite micro-zones, while the lead and zinc contents are high in other microscopic regions, as the main impurities in the ore. It was also observed that quartz is mostly diffused with magnetite and hematite, and sulfur appears in small quantities in most regions. The analysis after roasting showed that the percentages of lead, zinc, and sulfur impurities decreased by a large rate, meaning that the roasting process before processing may have a clear effect in removing impurities and reducing their percentages;
- From the results of the chemical analysis, X-ray diffraction, and EPMA, it is clear that the roasting process plays a key role in removing impurities such as sulfur—which appears in small quantities after the roasting process—and also helps in oxidizing the impurities of lead and zinc, which helps in removing them;
- From the results, it can be observed that the roasting of iron ore containing impurities of lead and zinc and quantities of sulfur is important before ironmaking; it is necessary to adjust the temperatures and time periods with an appropriate degree of release.
Author Contributions
Funding
Institutional Review Board Statement
Informed Consent Statement
Data Availability Statement
Acknowledgments
Conflicts of Interest
References
- Wills, B.A.; Napier-Munn, T. 1-Introduction. In Wills’ Mineral Processing Technology, 7th ed.; Wills, B.A., Napier-Munn, T., Eds.; Butterworth-Heinemann: Oxford, UK, 2005; pp. 1–29. [Google Scholar] [CrossRef]
- Holmes, R.J.; Lu, L. 1-Introduction: Overview of the global iron ore industry. In Iron Ore; Lu, L., Ed.; Woodhead Publishing: Sawston, Cambridge, UK, 2015; pp. 1–42. [Google Scholar] [CrossRef]
- Fisher, L.V.; Barron, A.R. The recycling and reuse of steelmaking slags—A review. Resour. Conserv. Recycl. 2019, 146, 244–255. [Google Scholar] [CrossRef] [Green Version]
- Ponomar, V.P.; Dudchenko, N.O.; Brik, A.B. Reduction roasting of hematite to magnetite using carbohydrates. Int. J. Miner. Process. 2017, 164, 21–25. [Google Scholar] [CrossRef]
- Chen, H.; Wan, B.; Pirajno, F.; Chen, Y.; Xiao, B. Metallogenesis of the Xinjiang Orogens, NW China—New discoveries and ore genesis. Ore Geol. Rev. 2018, 100, 1–11. [Google Scholar] [CrossRef]
- Mustafa, S.; Luo, L.; Zheng, B.-T.; Wei, C.-X.; Christophe, N. Effect of Lead and Zinc Impurities in Ironmaking and the Corresponding Removal Methods: A Review. Metals 2021, 11, 407. [Google Scholar] [CrossRef]
- Trinkel, V.; Aschenbrenner, P.; Thaler, C.; Rechberger, H.; Mallow, O.; Fellner, J. Distribution of Zn, Pb, K, and Cl in Blast Furnace Lining. Steel Res. Int. 2017, 88, 1600153. [Google Scholar] [CrossRef]
- Bhateria, R.; Singh, R. A review on nanotechnological application of magnetic iron oxides for heavy metal removal. J. Water Process Eng. 2019, 31, 100845. [Google Scholar] [CrossRef]
- Zhang, D.; Zhang, X.; Yang, T.; Rao, S.; Hu, W.; Liu, W.; Chen, L. Selective leaching of zinc from blast furnace dust with mono-ligand and mixed-ligand complex leaching systems. Hydrometallurgy 2017, 169, 219–228. [Google Scholar] [CrossRef]
- Min, X.-B.; Xie, X.-D.; Chai, L.-Y.; Liang, Y.-J.; Li, M.; Ke, Y. Environmental availability and ecological risk assessment of heavy metals in zinc leaching residue. Trans. Nonferrous Met. Soc. China 2013, 23, 208–218. [Google Scholar] [CrossRef]
- Yang, X.F.; Chu, M.S.; Shen, F.M.; Zhang, Z.M. Mechanism of zinc damaging to blast furnace tuyere refractory. Acta Metall. Sin.-Engl. Lett. 2009, 22, 454–460. [Google Scholar] [CrossRef] [Green Version]
- Jiao, K.X.; Zhang, J.L.; Liu, Z.J.; Chen, C.L.; Liu, F. Circulation and accumulation of harmful elements in blast furnace and their impact on the fuel consumption. Ironmak. Steelmak. 2017, 44, 344–350. [Google Scholar] [CrossRef]
- Mikhailov, I.; Komarov, S.; Levina, V.; Gusev, A.; Issi, J.P.; Kuznetsov, D. Nanosized zero-valent iron as Fenton-like reagent for ultrasonic-assisted leaching of zinc from blast furnace sludge. J. Hazard. Mater. 2017, 321, 557–565. [Google Scholar] [CrossRef] [PubMed]
- Esezobor, D.E.; Balogun, S.A. Zinc accumulation during recycling of iron oxide wastes in the blast furnace. Ironmak. Steelmak. 2006, 33, 419–425. [Google Scholar] [CrossRef]
- Kumar, M.; Jena, S.; Patel, S.K. Characterization of properties and reduction behavior of iron ores for application in sponge ironmaking. Miner. Process. Extr. Metall. Rev. 2008, 29, 118–129. [Google Scholar] [CrossRef]
- Jung, Y.H.; Baik, S.J.; Ahn, S.B. Investigation of Zircaloy-fuel interaction in failed spent PWR fuel using EPMA. J. Nucl. Mater. 2019, 517, 349–355. [Google Scholar] [CrossRef]
- Rath, S.S.; Rao, D.S.; Mishra, B.K. A novel approach for reduction roasting of iron ore slime using cow dung. Int. J. Miner. Process. 2016, 157, 216–226. [Google Scholar] [CrossRef]
- Li, M.; Peng, B.; Chai, L.; Peng, N.; Yan, H.; Hou, D. Recovery of iron from zinc leaching residue by selective reduction roasting with carbon. J. Hazard. Mater. 2012, 237–238, 323–330. [Google Scholar] [CrossRef] [PubMed]
- Luong, V.T.; Kang, D.J.; An, J.W.; Dao, D.A.; Kim, M.J.; Tran, T. Iron sulphate roasting for extraction of lithium from lepidolite. Hydrometallurgy 2014, 141, 8–16. [Google Scholar] [CrossRef]
- Peng, T.F.; Gao, X.C.; Li, Q.B.; Xu, L.J.; Luo, L.Q.; Xu, L.H. Phase transformation during roasting process and magnetic beneficiation of oolitic-iron ores. Vacuum 2017, 146, 63–73. [Google Scholar] [CrossRef]
- Zhang, Y.; Yu, X.; Li, X. Zinc recovery from franklinite by sulphation roasting. Hydrometallurgy 2011, 109, 211–214. [Google Scholar] [CrossRef]



















| Chemical Composition | TFe | FeO | Pb | Zn | S | P | CaO | MgO |
| Content | 47.04 | 1.25 | 0.39 | 0.30 | 1.19 | 0.099 | 2.62 | 1.89 |
| Chemical composition | Mn | Cu | SiO2 | Al2O3 | K2O | Na2O | C | Ig |
| Content | 0.66 | 0.110 | 20.33 | 2.85 | 0.843 | 0.783 | 0.31 | 2.81 |
| Minerals | Content | Minerals | Content |
|---|---|---|---|
| Hematite | 53.0 | Copper-bearing minerals | 0.3 |
| Limonite | 7.5 | Quartz | 18.6 |
| Magnetite | 4.6 | Feldspar | 7.5 |
| Pyrite, pyrrhotite | 1.1 | Calcite, chlorite, actinolite | 2.5 |
| Sphalerite | 0.4 | Sericite, biotite | 2.7 |
| Galena | 0.3 | Others | 1.5 |
| Minerals | 750 °C | at 900 °C | 1200 °C | Minerals | 750 °C | at 900 °C | 1200 °C |
|---|---|---|---|---|---|---|---|
| CO2 | 4.776 | −1.686 | −14.265 | CaO | 1.834 | 1.569 | 1.942 |
| Na2O | 0.313 | 0.294 | 0.254 | TiO2 | 0.152 | 0.121 | 0.175 |
| MgO | 0.655 | 0.445 | 0.516 | MnO | 0.943 | 1.458 | 0.98 |
| Al2O3 | 4.578 | 3.478 | 4.232 | Fe2O3 | 59.777 | 70.202 | TFe 44.134 |
| SiO2 | 20.914 | 16.889 | 21.377 | CuO | 0.151 | 0.171 | 0.109 |
| P2O5 | 0.277 | 0.307 | 0.244 | ZnO | 0.337 | 0.343 | 0.128 |
| SO3 | 2.009 | 1.395 | 1.648 | BaO | 2.064 | 1.994 | 2.556 |
| K2O | 0.809 | 0.634 | 0.835 | PbO | 0.32 | 0.318 | 0.032 |
| Iron Phase | Magnetite | Hematite/Limonite | Siderite | Sulfide Minerals | Ferric Silicate | Total Fe |
|---|---|---|---|---|---|---|
| Fe content | 1.89 | 42.97 | 0.067 | 0.10 | 2.01 | 47.04 |
| Distribution | 4.02 | 91.35 | 0.14 | 0.21 | 4.27 | 100.00 |
| Lead Phase | Lead Sulfide | Lead Oxide | Lead Sulfate (Alum) | Plumbojarosite | Total Pb |
|---|---|---|---|---|---|
| Pb content | 0.028 | 0.19 | 0.0095 | 0.16 | 0.39 |
| Distribution | 7.23 | 49.03 | 2.45 | 41.29 | 100.00 |
| Zinc Phase | Zinc Sulfide | Zinc Oxide | Zinc Sulfate | Zinc–Iron Spine | Total Zn |
|---|---|---|---|---|---|
| Zn content | 0.017 | 0.27 | 0.0023 | 0.0087 | 0.30 |
| Distribution | 5.71 | 90.60 | 0.77 | 2.92 | 100.00 |
| Points | O | Al | Si | S | Ca | Cr | Mn | Fe | Cu | Zn | Pb |
|---|---|---|---|---|---|---|---|---|---|---|---|
| P4 | 22.28 | 0.00 | 0.00 | 0.00 | 0.10 | 0.00 | 0.00 | 77.62 | 0.00 | 0.00 | 0.00 |
| P10 | 11.12 | 0.00 | 0.00 | 0.00 | 0.00 | 0.00 | 0.47 | 88.41 | 0.00 | 0.00 | 0.00 |
| P18 | 10.65 | 0.00 | 0.00 | 0.00 | 0.00 | 0.31 | 0.54 | 88.49 | 0.00 | 0.00 | 0.00 |
| Points | O | Al | Si | S | Ca | Cr | Mn | Fe | Cu | Zn | Pb |
|---|---|---|---|---|---|---|---|---|---|---|---|
| P2 | 8.76 | 0.00 | 0.83 | 0.00 | 0.16 | 2.35 | 0.00 | 5.30 | 0.00 | 0.82 | 81.78 |
| P17 | 7.33 | 0.00 | 0.00 | 0.00 | 0.31 | 0.56 | 0.00 | 2.13 | 2.45 | 0.75 | 86.48 |
| P23 | 7.24 | 0.31 | 0.99 | 5.59 | 0.00 | 2.13 | 0.00 | 1.56 | 5.95 | 0.00 | 76.25 |
| Points | O | Al | Si | S | Ca | Cr | Mn | Fe | Cu | Zn | Pb |
|---|---|---|---|---|---|---|---|---|---|---|---|
| P4 | 0.00 | 0.00 | 0.00 | 30.95 | 0.00 | 0.00 | 0.00 | 1.43 | 0.00 | 67.62 | 0.00 |
| P13 | 2.02 | 0.00 | 5.65 | 29.53 | 0.00 | 0.00 | 0.00 | 1.15 | 0.00 | 61.65 | 0.00 |
| P17 | 0.00 | 0.00 | 0.26 | 32.02 | 0.00 | 0.00 | 0.00 | 0.93 | 0.00 | 66.79 | 0.00 |
| Points | O | Si | S | Fe | Cu | Zn | Pb |
|---|---|---|---|---|---|---|---|
| P5 | 21.92 | 7.11 | 0.21 | 59.47 | 0.00 | 0.00 | 3.84 |
| P9 | 35.42 | 10.08 | 2.21 | 40.69 | 0.00 | 1.89 | 0.00 |
| P13 | 14.26 | 8.69 | 0.00 | 70.22 | 0.00 | 1.81 | 1.68 |
| Points | O | Si | S | Fe | Cu | Zn | Pb |
|---|---|---|---|---|---|---|---|
| P4 | 26.17 | 59.18 | 0.57 | 11.32 | 0.52 | 0.00 | 2.23 |
| P10 | 9.63 | 0.47 | 0.00 | 89.90 | 0.00 | 0.00 | 0.00 |
| P16 | 22.50 | 47.06 | 0.65 | 27.31 | 0.00 | 0.00 | 2.49 |
| Points | O | Si | S | Fe | Cu | Zn | Pb |
|---|---|---|---|---|---|---|---|
| P6 | 13.97 | 25.30 | 5.56 | 52.16 | 0.00 | 0.00 | 0.00 |
| P10 | 2.32 | 5.22 | 0.00 | 91.79 | 0.00 | 0.00 | 0.00 |
| P13 | 11.06 | 0.00 | 0.18 | 88.27 | 0.50 | 0.00 | 0.00 |
Publisher’s Note: MDPI stays neutral with regard to jurisdictional claims in published maps and institutional affiliations. |
© 2022 by the authors. Licensee MDPI, Basel, Switzerland. This article is an open access article distributed under the terms and conditions of the Creative Commons Attribution (CC BY) license (https://creativecommons.org/licenses/by/4.0/).
Share and Cite
Mustafa, S.; Luo, L.; Zheng, B.; Wei, C.; Christophe, N. Mineralogical and Chemical Changes after Reduction Roasting of Xinjiang Iron Ore, China. Metals 2022, 12, 182. https://doi.org/10.3390/met12020182
Mustafa S, Luo L, Zheng B, Wei C, Christophe N. Mineralogical and Chemical Changes after Reduction Roasting of Xinjiang Iron Ore, China. Metals. 2022; 12(2):182. https://doi.org/10.3390/met12020182
Chicago/Turabian StyleMustafa, Sayaf, Liqun Luo, Botao Zheng, Chenxi Wei, and Niyonzima Christophe. 2022. "Mineralogical and Chemical Changes after Reduction Roasting of Xinjiang Iron Ore, China" Metals 12, no. 2: 182. https://doi.org/10.3390/met12020182
APA StyleMustafa, S., Luo, L., Zheng, B., Wei, C., & Christophe, N. (2022). Mineralogical and Chemical Changes after Reduction Roasting of Xinjiang Iron Ore, China. Metals, 12(2), 182. https://doi.org/10.3390/met12020182

