High-Temperature Oxidation Resistance of Alumina-Forming Austenitic Stainless Steels Optimized by Refractory Metal Alloying
Abstract
1. Introduction
2. Principles of Alloy Design
3. Materials and Methods
4. Results and Discussion
4.1. Microstructural Characterization
4.2. Hardness
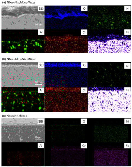
4.3. High-Temperature Oxidation Resistance
5. Conclusions
- All samples exhibit single austenitic structure both after solutionizing at 1250 °C/1.5 h and aging at 800 °C/24 h.
- The hardness, under a load of 500 g, is approximately 150 HV at solutionizing state and 200 HV at aging state, which falls in the estimated range of Oak Ridge National Laboratory.
- After being air oxidized at 800 °C for up to 200 h, most samples can be classified to complete oxidation resistance level for their low oxidation rate, below 0.1 g/m2 × h, together with low oxidation-peeling mass, below 1.0 g/m2. Among them, Nb0.03Ta0.03Ni3.2Mo0.2, Nb0.03Ta0.03Ni3.2Mo0.07 and Nb0.06Ni3.2Mo0.04W0.03, which possess continuous Al2O3 layers with internal AlN particles, possess the lowest weight gain and thus the best high-temperature oxidation resistance. In contrast, the alloys without Ta and W have Cr2O3-type layers and internal Al2O3 particles.
- The addition of Ta or W promotes the formation of a continuous protective Al2O3 layer that inhibits oxygen from further diffusion inwards. In addition, W seems to inhibit nitrogen diffusion and additionally promote oxidation peeling, which is inferred from the thinnest internal nitride zone and highest oxidation peeling mass of Nb0.06Ni3.2Mo0.04W0.03, among all Ta/W containing alloys.
Author Contributions
Funding
Data Availability Statement
Conflicts of Interest
References
- Nie, S.H.; Chen, Y.; Ren, X.; Sridharan, K.; Allen, T.R. Corrosion of alumina-forming austenitic steel Fe–20Ni–14Cr–3Al–0.6Nb–0.1Ti in supercritical water. J. Nucl. Mater. 2010, 399, 231–235. [Google Scholar] [CrossRef]
- Kondo, K.; Miwa, Y.; Okubo, N.; Kaji, Y.; Tsukada, T. Development of corrosion-resistant improved Al-doped austenitic stainless steel. J. Nucl. Mater. 2011, 417, 892–895. [Google Scholar] [CrossRef]
- Xing, L.L.; Zheng, Y.J.; Yang, W.W.; Shao, M.Z.; Cui, L.S.; Lu, G.W. Effect of aluminum on high temperature oxidation resistance of alloy HK40. Corros. Sci. Prot. Technol. 2012, 24, 20–24. [Google Scholar]
- Fujioka, T.; Kinugasa, M.; Iizumi, S.; Teshima, S.; Shimizu, I. Oxidation-resisting austenitic stainless steel. U.S. Patent 4,108,641, 22 August 1978. [Google Scholar]
- Pivin, J.C.; Delaunay, D.; Roques-Carmes, C.; Huntz, A.M.; Lacombe, P. Oxidation mechanism of Fe-Ni-20-25Cr-5Al alloys-influence of small amounts of yttrium on oxidation kinetics and oxide adherence. Corros. Sci. 1980, 20, 351–373. [Google Scholar] [CrossRef]
- Ramakrishnan, V.; Mcgurty, J.A.; Jayaraman, N. Oxidation of high-aluminum austenitic stainless steels. Oxid. Met. 1988, 30, 185–200. [Google Scholar] [CrossRef]
- Satyanarayana, D.V.V.; Malakondaiah, G.; Sarma, D.S. Steady state creep behaviour of NiAl hardened austenitic steel. Mater. Sci. Eng. A 2002, 323, 119–128. [Google Scholar] [CrossRef]
- Pint, B.A.; Peraldi, R.; Maziasz, P.J. The use of model alloys to develop corrosion-resistant stainless steels. Mater. Sci. Forum 2004, 461, 815–822. [Google Scholar] [CrossRef]
- Adams, T.M.; Korinko, P.; Duncan, A. Evaluation of oxidation and hydrogen permeation in Al-containing stainless steel alloys. Mater. Sci. Eng. A 2006, 424, 33–39. [Google Scholar] [CrossRef]
- Brady, M.P.; Yamamoto, Y.; Santella, M.L.; Pint, B.A. Effects of minor alloy additions and oxidation temperature on protective alumina scale formation in creep-resistant austenitic stainless steels. Scripta Mater. 2007, 57, 1117–1120. [Google Scholar] [CrossRef]
- Yamamoto, Y.; Brady, M.P.; Lu, Z.P.; Liu, C.T.; Takeyama, M.; Maziasz, P.J.; Pint, B.A. Alumina-forming austenitic stainless steels strengthened by Laves phase and MC carbide precipitates. Metall. Mater. Trans. A 2007, 38, 2737–2746. [Google Scholar] [CrossRef]
- Yamamoto, Y.; Brady, M.P.; Lu, Z.P.; Maziasz, P.J.; Liu, C.T.; Pint, B.A.; More, K.L.; Meyer, H.M.; Payzant, E.A. Creep-resistant, Al2O3-forming austenitic stainless steels. Science 2007, 316, 433–436. [Google Scholar] [CrossRef] [PubMed]
- Brady, M.P.; Yamamoto, Y.; Santella, M.L.; Maziasz, P.J.; Pint, B.A.; Liu, C.T.; Lu, Z.P.; Bei, H. The development of alumina-forming austenitic stainless steels for high-temperature structural use. JOM 2008, 60, 12–18. [Google Scholar] [CrossRef]
- Yamamoto, Y.; Brady, M.P.; Santella, M.L.; Bei, H.; Maziasz, P.J.; Pint, B.A. Development of alumina-forming austenitic stainless steels. In Proceedings of the 22nd Annual Conference on Fossil Energy Materials, Pittsburgh, PA, USA, 8–10 July 2008. [Google Scholar]
- Yamamoto, Y.; Takeyama, M.; Lu, Z.P.; Liu, C.T.; Evans, N.D.; Maziasz, P.J.; Brady, M.P. Alloying effects on creep and oxidation resistance of austenitic stainless steel alloys employing intermetallic precipitates. Intermetallics 2008, 16, 453–462. [Google Scholar] [CrossRef]
- Brady, M.P.; Yamamoto, Y.; Santella, M.L.; Walker, L.R. Composition, microstructure, and water vapor effects on internal/external oxidation of alumina-forming austenitic stainless steels. Oxid. Met. 2009, 72, 311–333. [Google Scholar] [CrossRef]
- Pint, B.A.; Brady, M.P.; Yamamoto, Y.; Santella, M.L.; Howe, J.Y.; Trejo, R.; Maziasz, P.J. Development of alumina-forming austenitic alloys for advanced recuperators. In Proceedings of the ASME Turbo Expo 2009: Power for Land, Sea, and Air, Orlando, FL, USA, 8–12 June 2009; pp. 271–280. [Google Scholar]
- Yamamoto, Y.; Santella, M.L.; Brady, M.P.; Bei, H.; Maziasz, P.J. Effect of alloying additions on phase equilibria and creep resistance of alumina-forming austenitic stainless steels. Metall. Mater. Trans. A 2009, 40, 1868–1880. [Google Scholar] [CrossRef]
- Yamamoto, Y.; Santella, M.L.; Liu, C.T.; Evans, N.D.; Maziasz, P.J.; Brady, M.P. Evaluation of Mn substitution for Ni in alumina-forming austenitic stainless steels. Mater. Sci. Eng. A 2009, 524, 176–185. [Google Scholar] [CrossRef]
- Bei, H.; Yamamoto, Y.; Brady, M.P.; Santella, M.L. Aging effects on the mechanical properties of alumina-forming austenitic stainless steels. Mater. Sci. Eng. A 2010, 527, 2079–2086. [Google Scholar] [CrossRef]
- Brady, M.P.; Unocic, K.A.; Lance, M.J.; Santella, M.L.; Yamamoto, Y.; Walker, L.R. Increasing the upper temperature oxidation limit of alumina forming austenitic stainless steels in air with water vapor. Oxid. Met. 2011, 75, 337–357. [Google Scholar] [CrossRef]
- Pint, B.A.; Brady, M.P.; Yamamoto, Y.; Santella, M.L.; Maziasz, P.J.; Matthews, W.J. Evaluation of alumina-forming austenitic foil for advanced recuperators. J. Eng. Gas Turb. Power 2011, 133, 102301–102302. [Google Scholar] [CrossRef]
- Yamamoto, Y.; Brady, M.P.; Santella, M.L.; Bei, H.; Maziasz, P.J.; Pint, B.A. Overview of strategies for high-temperature creep and oxidation resistance of alumina-forming austenitic stainless steels. Metall. Mater. Trans. A 2011, 42, 922–931. [Google Scholar] [CrossRef]
- Yamamoto, Y.; Muralidharan, G.; Brady, M.P. Development of L12-ordered Ni3(Al,Ti)-strengthened alumina-forming austenitic stainless steel alloys. Scripta Mater. 2013, 69, 816–819. [Google Scholar] [CrossRef]
- Hull, F.C. Delta ferrite and martensite formation in stainless steels. Weld. J. 1973, 52, 193–203. [Google Scholar]
- Pickering, F.B. Physical Metallurgy and the Design of Steels; Applied Science Publishers Ltd.: Essex, UK, 1978; pp. 62–66. [Google Scholar]
- Tchizhik, A.A.; Tchizhik, T.A.; Tchizhik, A.A. Optimization of the heat treatment for steam and gas turbine parts manufactured from 9–12% Cr steels. J. Mater. Process. Technol. 1998, 77, 226–232. [Google Scholar] [CrossRef]
- Uggowitzer, P.J.; Bähre, W.-F.; Wohlfromm, H.; Speidel, M.O. Nickel-free high nitrogen austenitic stainless steels produced by metal injection moulding. Mater. Sci. Forum 1999. [Google Scholar] [CrossRef]
- Zhang, S.Q.; Dong, D.D.; Wang, Q.; Dong, C.; Yang, R. Composition design of alumina-forming austenitic stainless steels based on cluster-plus-glue-atom model. Acta Metall. Sin. 2021. under review. [Google Scholar]
- Cowley, J.M. Short- and long-range order parameters in disordered solid solutions. Phys. Rev. 1960, 120, 1648–1657. [Google Scholar] [CrossRef]
- Dong, C.; Qiang, J.B.; Yuan, L.; Wang, Q.; Wang, Y.M. A cluster-plus-glue-atom model for composition design of complex alloys. Chin. J. Nonferrous Met. 2011, 21, 2502–2510. [Google Scholar]
- Dong, C.; Dong, D.D.; Wang, Q. Chemical units in solid solutions and alloy composition design. Acta Metall. Sin. 2018, 54, 293–300. [Google Scholar]
- Wang, Q.; Zha, Q.F.; Liu, E.X.; Dong, C.; Chun, J.I. Composition design of high-strength martensitic precipitation hardening stainless steels based on a cluster model. Acta Metall. Sin. 2012, 48, 1201. [Google Scholar] [CrossRef]
- Wang, Q.; Ji, C.J.; Wang, Y.M.; Qiang, J.B.; Dong, C. β-Ti alloys with low Young’s moduli interpreted by cluster-plus-glue-atom model. Metall. Mater. Trans. A 2013, 44, 1872–1879. [Google Scholar] [CrossRef]
- Hong, H.L.; Wang, Q.; Dong, C.; Liaw, P.K. Understanding the Cu-Zn brass alloys using a short-range-order cluster model: Significance of specific compositions of industrial alloys. Sci. Rep. 2014, 4, 7065. [Google Scholar] [CrossRef]
- Ma, Y.; Wang, Q.; Li, C.L.; Santodonato, L.J.; Feygenson, M.; Dong, C.; Liaw, P.K. Chemical short-range orders and the induced structural transition in high-entropy alloys. Scripta Mater. 2018, 144, 64–68. [Google Scholar] [CrossRef]
- Zhang, Y.; Wang, Q.; Dong, H.G.; Dong, C.; Zhang, H.Y.; Sun, X.F. Nickel-based single-crystal superalloys (Ni,Co)-Al-(Ta,Ti)-(Cr,Mo,W) designed by cluster-plus-glue-atom model and their 1000h long-term aging behavior at 900 °C. Acta Metall. Sin. 2018, 54, 591–602. [Google Scholar]
- Jiang, B.B.; Wen, D.H.; Wang, Q.; Che, J.D.; Dong, C. Design of near-α Ti alloys via a cluster formula approach and their high-temperature oxidation resistance. J. Mater. Sci. Technol. 2019, 35, 1008–1016. [Google Scholar] [CrossRef]
- Xu, X.; Zhang, X.; Chen, G.; Lu, Z. Improvement of high-temperature oxidation resistance and strength in alumina-forming austenitic stainless steels. Mater. Lett. 2011, 65, 3285–3288. [Google Scholar] [CrossRef]
- Xu, X.; Zhang, X.; Sun, X.; Lu, Z.P. Effects of silicon additions on the oxide scale formation of an alumina-forming austenitic alloy. Corros. Sci. 2012, 65, 317–321. [Google Scholar] [CrossRef]
- Xu, X.; Zhang, X.; Sun, X.; Lu, Z.P. Roles of manganese in the high-temperature oxidation resistance of alumina-forming austenitic steels at above 800 °C. Oxid. Met. 2012, 78, 349–362. [Google Scholar] [CrossRef]
- Zhou, M.X. Microstructure of hot rolled high aluminum 304, 316L austenitic stainless steel and the mechanism of aluminum elements. Cailiao Rechuli Xuebao/Trans. Mater. Heat Treat. 2012, 35, 55–60. [Google Scholar]
- Sa, X.R. Properties and Mechanism of Elements of Cast High Aluminum 304, 316 L, 310S Steel; Lanzhou University of Technology: Lanzhou, China, 2013. [Google Scholar]
- Yao, L. Effect of Al on Microstructure and Properties of 17-7PH, 2205 Stainless Steels and Its Mechanism; Lanzhou University of Technology: Lanzhou, China, 2013. [Google Scholar]
- Chen, B.C.; Li, G.F.; Yang, W. Conversion relation of Leeb-hardness, vickers-hardness and strength of austenitic stainless steels. Mater. Mech. Eng. 2009, 33, 37–40. [Google Scholar] [CrossRef]
- Wen, D.H.; Li, Z.; Jiang, B.B.; Wang, Q.; Chen, G.Q.; Tang, R.; Zhang, R.Q.; Dong, C.; Liaw, P.K. Effects of Nb/Ti/V/Ta on phase precipitation and oxidation resistance at 1073 K in alumina-forming austenitic stainless steels. Mater. Charact. 2018, 144, 86–98. [Google Scholar] [CrossRef]
- Aviation Industry Corporation of China. Testing method of oxidation resistance for steels and superalloys. In Chinese Aircraft Industry Standard; No. HB 5258-2000; Commission of Science, Technology and Industry for National Defense: Beijing, China, 2000. [Google Scholar]











| Mixing Enthalpy ΔH | Shell Atoms | |||
|---|---|---|---|---|
| Fe | Mn | Ni | ||
| Center atoms | Al | −11 | −19 | −22 |
| Si | −35 | −45 | −40 | |
| Ti | −17 | −8 | −35 | |
| V | −7 | −1 | −18 | |
| Nb | −16 | −4 | −30 | |
| Ta | −15 | −4 | −29 | |
| Glue atoms | Cr | −1 | 2 | −7 |
| Mo | −2 | 5 | −7 | |
| W | 0 | 6 | −3 | |
| No. | Composition Formula | Mark | Element Content/wt. % | Solutionized Hardness /HV | Aged Hardness /HV | Creq | Nieq | Creq/Nieq |
|---|---|---|---|---|---|---|---|---|
| 1-1 | Al0.8Si0.05Nb0.15-Fe8.7Ni3.0Mn0.3-Cr2.8Mo0.2 | Al0.8Ni3.0 | Fe-2.45Al-0.16Si-1.58Nb-19.99Ni-1.87Mn-16.53Cr-2.18Mo-0.10C | 181.44 | 223.56 | 28.8 | 23.0 | 0.80 |
| 1-2 | Al1.0 Si0.05Nb0.15-Fe8.7Ni3.0Mn0.3-Cr2.6Mo0.2 | Al1.0Ni3.0 | Fe-3.08Al-0.16Si-1.59Nb-20.10Ni-1.88Mn-15.43Cr-2.19Mo-0.10C | 224.46 | 255.38 | 29.3 | 23.1 | 0.79 |
| 1-3 | Al1.1 Si0.05Nb0.15-Fe8.7Ni3.0Mn0.3-Cr2.5Mo0.2 | Al1.1Ni3.0 | Fe-3.40Al-0.16Si-1.60Nb-20.16Ni-1.89Mn-14.88Cr-2.20Mo-0.10C | 239.60 | 280.84 | 29.5 | 23.2 | 0.79 |
| 1-4 | Al1.0 Si0.05Nb0.15-Fe8.5Ni3.2Mn0.3-Cr2.6Mo0.2 | Al1.0Ni3.2 | Fe-3.08Al-0.16Si-1.59Nb-21.43Ni-1.88Mn-15.42Cr-2.19Mo-0.10C | 235.60 | 274.82 | 29.3 | 24.5 | 0.84 |
| 1-5 | Al1.0 Si0.05Nb0.15-Fe8.3Ni3.4Mn0.3-Cr2.6Mo0.2 | Al1.0Ni3.4 | Fe-3.08Al-0.16Si-1.59Nb-22.75Ni-1.88Mn-15.41Cr-2.19Mo-0.10C | 231.35 | 271.62 | 29.2 | 25.8 | 0.88 |
| 1-6 | Al1.0 Si0.05Nb0.15-Fe8.0Ni3.7Mn0.3-Cr2.6Mo0.2 | Al1.0Ni3.7 | Fe-3.07Al-0.16Si-1.59Nb-24.74Ni-1.88Mn-15.40Cr-2.19Mo-0.10C | 218.21 | 277.80 | 29.2 | 27.8 | 0.95 |
| 1-7 | Al1.0 Si0.05Nb0.15-Fe7.7Ni4.0Mn0.3-Cr2.6Mo0.2 | Al1.0Ni4.0 | Fe-3.07Al-0.16Si-1.59Nb-26.72Ni-1.88Mn-15.38Cr-2.18Mo-0.10C | 242.79 | 304.81 | 29.2 | 29.7 | 1.02 |
| 2-1 | Al0.89Si0.05Nb0.06-Fe8.7Ni3.0Mn0.3-Cr2.8Mo0.2 | Nb0.06Ni3.0Mo0.2 | Fe-2.74Al-0.16Si-0.64Nb-20.13Ni-1.88Mn-16.64Cr-2.19Mo-0.08C | 139.64 | 184.75 | 28.0 | 22.7 | 0.81 |
| 2-2 | Al0.89Si0.05Nb0.06-Fe8.7Ni3.0Mn0.3-Cr2.93Mo0.07 | Nb0.06Ni3.0Mo0.07 | Fe-2.76Al-0.16Si-0.64Nb-20.26Ni-1.90Mn-17.53Cr-0.77Mo-0.08C | 133.01 | 196.25 | 26.8 | 22.9 | 0.85 |
| 2-3 | Al0.89Si0.05Nb0.03Ta0.03-Fe8.7Ni3.0Mn0.3-Cr2.93Mo0.07 | Nb0.03Ta0.03Ni3.0Mo0.07 | Fe-2.75Al-0.16Si-0.32Nb-20.20Ni-1.89Mn-17.47Cr-0.77Mo-0.623Ta-0.08C | 149.18 | 196.46 | 26.2 | 22.8 | 0.87 |
| 2-4 | Al0.89Si0.05Nb0.06-Fe8.5Ni3.2Mn0.3-Cr2.8Mo0.2 | Nb0.06Ni3.2Mo0.2 | Fe-2.74Al-0.16Si-0.64Nb-21.45Ni-1.88Mn-16.63Cr-2.19Mo-0.08C | 158.78 | 192.03 | 28.0 | 24.1 | 0.86 |
| 2-5 | Al0.89Si0.05Nb0.03Ta0.03-Fe8.5Ni3.2Mn0.3-Cr2.8Mo0.2 | Nb0.03Ta0.03Ni3.2Mo0.2 | Fe-2.73Al-0.16Si-0.32Nb-21.39Ni-1.88Mn-16.58Cr-2.19Mo-0.618Ta-0.08C | 148.03 | 203.66 | 27.3 | 24.0 | 0.88 |
| 2-6 | Al0.89Si0.05Nb0.06-Fe8.5Ni3.2Mn0.3-Cr2.93Mo0.07 | Nb0.06Ni3.2Mo0.07 | Fe-2.76Al-0.16Si-0.64Nb-21.59Ni-1.89Mn-17.52Cr-0.77Mo-0.08C | 145.91 | 194.01 | 26.8 | 24.2 | 0.91 |
| 2-7 | Al0.89Si0.05Nb0.06-Fe8.5Ni3.2Mn0.3-Cr2.93Mo0.04W0.03 | Nb0.06Ni3.2Mo0.04W0.03 | Fe-2.75Al-0.16Si-0.64Nb-21.53Ni-1.89Mn-17.46Cr-0.44Mo-0.63W-0.08C | 145.63 | 197.61 | 27.1 | 24.2 | 0.89 |
| 2-8 | Al0.89Si0.05Nb0.03Ta0.03-Fe8.5Ni3.2Mn0.3-Cr2.93Mo0.07 | Nb0.03Ta0.03Ni3.2Mo0.07 | Fe-2.75Al-0.16Si-0.32Nb-21.53Ni-1.89Mn-17.46Cr-0.77Mo-0.622Ta-0.08C | 145.04 | 192.02 | 26.1 | 24.2 | 0.92 |
| No. | Samples | Average Oxidation Rate (g/m2 × h) | Average Oxidation-Peeling Mass (g/m2) |
|---|---|---|---|
| 2-1 | Nb0.06Ni3.0Mo0.2 | 0.0200 | 0.3333 |
| 2-2 | Nb0.06Ni3.0Mo0.07 | −0.1242 | 6.3038 |
| 2-3 | Nb0.03Ta0.03Ni3.0Mo0.07 | 0.0239 | 0.3679 |
| 2-4 | Nb0.06Ni3.2Mo0.2 | 0.0131 | 0.3750 |
| 2-5 | Nb0.03Ta0.03Ni3.2Mo0.2 | 0.0059 | 0.3916 |
| 2-6 | Nb0.06Ni3.2Mo0.07 | 0.0148 | 0.3711 |
| 2-7 | Nb0.06Ni3.2Mo0.04W0.03 | 0.0081 | 0.8125 |
| 2-8 | Nb0.03Ta0.03Ni3.2Mo0.07 | 0.0093 | 0.3728 |
Publisher’s Note: MDPI stays neutral with regard to jurisdictional claims in published maps and institutional affiliations. |
© 2021 by the authors. Licensee MDPI, Basel, Switzerland. This article is an open access article distributed under the terms and conditions of the Creative Commons Attribution (CC BY) license (http://creativecommons.org/licenses/by/4.0/).
Share and Cite
Zhang, S.; Dong, D.; Wang, Q.; Dong, C.; Yang, R. High-Temperature Oxidation Resistance of Alumina-Forming Austenitic Stainless Steels Optimized by Refractory Metal Alloying. Metals 2021, 11, 213. https://doi.org/10.3390/met11020213
Zhang S, Dong D, Wang Q, Dong C, Yang R. High-Temperature Oxidation Resistance of Alumina-Forming Austenitic Stainless Steels Optimized by Refractory Metal Alloying. Metals. 2021; 11(2):213. https://doi.org/10.3390/met11020213
Chicago/Turabian StyleZhang, Shuqi, Dandan Dong, Qing Wang, Chuang Dong, and Rui Yang. 2021. "High-Temperature Oxidation Resistance of Alumina-Forming Austenitic Stainless Steels Optimized by Refractory Metal Alloying" Metals 11, no. 2: 213. https://doi.org/10.3390/met11020213
APA StyleZhang, S., Dong, D., Wang, Q., Dong, C., & Yang, R. (2021). High-Temperature Oxidation Resistance of Alumina-Forming Austenitic Stainless Steels Optimized by Refractory Metal Alloying. Metals, 11(2), 213. https://doi.org/10.3390/met11020213
