LA-ICP-MS Mapping of Barren Sandstone from the Proterozoic Athabasca Basin (Canada)—Footprint of U- and REE-Rich Basinal Fluids
Abstract
:1. Introduction

2. Geological Background
3. Samples and Methodologies
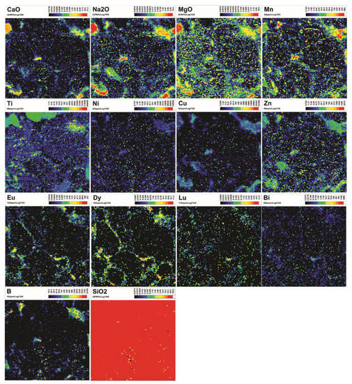
4. Results
5. Discussion
6. Conclusions
Supplementary Materials
Author Contributions
Funding
Acknowledgments
Conflicts of Interest
Abbreviations
| APS | Aluminum phosphate sulfate |
| Fm | Formation |
| HREE | Heavy rare earth elements |
| IAEA | International Atomic Energy Agency |
| LA-ICP-MS | Laser ablation-inductively coupled plasma-mass spectrometry |
| LREE | Light rare earth elements |
| NEA | Nuclear Energy Agency |
| REE | Rare earth elements |
| ƩREE | Total rare earth elements |
| SEM-EDS | Scanning electron microscopy-energy dispersive spectroscopy |
| URU | Unconformity-related uranium |
References
- Jefferson, C.W.; Thomas, D.J.; Gandhi, S.S.; Ramaekers, P.; Delaney, G.; Brisbin, D.; Cutts, C.; Portella, P.; Olson, R.A. Unconformity-related U deposits of the Athabasca basin, Saskatchewan and Alberta. Geol. Surv. Can. Bull. 2007, 588, 23–67. [Google Scholar]
- Kyser, K.; Cuney, M. Chapter 8: Basins and U and Deposits; Short Course Series; Mineralogical Association of Canada: Québec, QC, Canada, 2015; Volume 46, pp. 225–304. [Google Scholar]
- NEA-IAEA. Uranium 2020: Resources, Production and Demand; NEA-IAEANo. 7551; NEA: Paris, France, 2020; p. 484. [Google Scholar]
- Fayek, M.; Kyser, T.K. Characterization of multiple fluid-flow events and rare-earth element mobility associated with formations of unconformity-type U deposits in the Athabasca Basin, Saskatchewan. Can. Mineral. 1997, 35, 627–658. [Google Scholar]
- Mercadier, J.; Cuney, M.; Lach, P.; Boiron, M.-C.; Bonhoure, J.; Richard, A.; Leisen, M.; Kister, P. Origin of uranium deposits revealed by their rare earth element signature. Terra Nova 2011, 23, 264–269. [Google Scholar] [CrossRef]
- Normand, C. Rare Earths in Saskatchewan: Mineralization Types, Settings, and Distributions; Report 264; Saskatchewan Ministry of the Economy, Saskatchewan Geological Survey: Regina, SK, Canada, 2014; p. 105. [Google Scholar]
- Quirt, D.; Kotzer, T.; Kyser, T.K. Tourmaline, Phosphate Minerals, Zircon and Pitchblende in the Athabasca Group: Maw Zone and McArthur River Areas: Saskatchewan Geological Survey; Report 91.4; Saskatchewan Geological Survey: Regina, SK, Canada, 1991; pp. 181–191. [Google Scholar]
- Rabiei, M.; Chi, G.; Normand, C.; Davis, W.J.; Fayek, M.; Blamey, N.J. Hydrothermal rare earth element (xenotime) mineralization at Maw Zone, Athabasca Basin, Canada, and its relationship to unconformity-related uranium deposits. Econ. Geol. 2017, 112, 1483–1507. [Google Scholar] [CrossRef]
- Richard, A.; Banks, D.A.; Mercadier, J.; Boiron, M.-C.; Cuney, M.; Cathelineau, M. An evaporated seawater origin for the ore-forming brines in unconformity-related U deposits (Athabasca Basin, Canada): Cl/Br and δ37Cl analysis of fluid inclusions. Geochim. Cosmochim. Acta 2011, 75, 2792–2810. [Google Scholar] [CrossRef]
- Chi, G.; Chu, H.; Petts, D.; Potter, E.G.; Jackson, S.; Williams-Jones, A.E. Uranium-rich diagenetic fluids provide the key to unconformity-related uranium mineralization in the Athabasca Basin. Sci. Rep. 2019, 9, 5530. [Google Scholar] [CrossRef]
- Chu, H.; Chi, G. Thermal profiles inferred from fluid inclusion and illite geothermometry from sandstones of the Athabasca basin: Implications for fluid flow and unconformity-related uranium mineralization. Ore Geol. Rev. 2016, 75, 284–303. [Google Scholar] [CrossRef]
- Kotzer, T.G.; Kyser, T.K. Petrogenesis of the Proterozoic Athabasca Basin, northern Saskatchewan, Canada, and its relation to diagenesis, hydrothermal U mineralization and paleohydrogeology. Chem. Geol. 1995, 120, 45–89. [Google Scholar] [CrossRef]
- Pagel, M.; Poty, B.; Sheppard, S.M.F. Contributions to some Saskatchewan uranium deposits mainly from fluid inclusion and isotopic data. In Uranium in the Pine Creek Geosyncline; Ferguson, S., Goleby, A., Eds.; IAEA: Vienna, Austria, 1980; pp. 639–654. [Google Scholar]
- Richard, A.; Cathelineau, M.; Boiron, M.-C.; Mercadier, J.; Banks, D.A.; Cuney, M. Metal-rich fluid inclusions provide new insights into unconformity-related U deposits (Athabasca Basin and Basement, Canada). Miner. Depos. 2016, 51, 249–270. [Google Scholar] [CrossRef] [Green Version]
- Alexandre, P.; Kyser, T.K.; Layton-Matthews, D. REE concentrations in zircon and the origin of uranium in the unconformity-related U deposits in the Athabasca Basin. In GeoCanada 2010—Working with the Earth; BMO Centre Stampede Park: Calgary, AL, Canada, 2010; p. 4. [Google Scholar]
- Hoeve, J.; Quirt, D.H. Mineralization and Host Rock Alteration in Relation to Clay Mineral Diagenesis and Evolution of the Middle-Proterozoic Athabasca Basin, Northern Saskatchewan, Canada; Technical Report 187; Saskatchewan Research Council: Saskatoon, SK, Canada, 1984; p. 187. [Google Scholar]
- Hoeve, J.; Sibbald, T. On the genesis of Rabbit Lake and other unconformity-type U deposits in northern Saskatchewan, Canada. Econ. Geol. 1978, 73, 1450–1473. [Google Scholar] [CrossRef]
- Komninou, A.; Sverjensky, D. Geochemical modeling of the formation of an unconformity-type U deposit. Econ. Geol. 1996, 91, 590–606. [Google Scholar] [CrossRef]
- Kyser, T.K.; Hiatt, E.; Renac, C.; Durocher, K.; Holk, G.; Deckart, K. Diagenetic Fluids in Paleo- and Meso-Proterozoic Sedimentary Basins and Their Implications for Long Protracted Fluid Histories; Short Course Series; Mineralogical Association of Canada: Québec, QC, Canada, 2000; Volume 28, pp. 225–262. [Google Scholar]
- Annesley, I.R.; Madore, C. Leucogranites and pegmatites of the sub-Athabasca basement, Saskatchewan: U protore? In Mineral Deposits: Processes to Processing; Stanley, C.J., Ed.; Taylor & Francis: Balkema, Rotterdam, 1999; pp. 297–300. [Google Scholar]
- Dahlkamp, F.J. Geological appraisal of the Key Lake U-Ni deposits, northern Saskatchewan. Econ. Geol. 1978, 73, 1430–1449. [Google Scholar] [CrossRef]
- Hetch, L.; Cuney, M. Hydrothermal alteration of monazite in the Precambrian basement of the Athabasca Basin: Implications for the genesis of unconformity-related deposits. Miner. Depos. 2000, 35, 791–795. [Google Scholar]
- Martz, P.; Mercadier, J.; Cathelineau, M.; Boiron, M.; Quirt, D.; Doney, A.; Gerbeaud, O.; De Wally, E.; Ledru, P. Formation of U-rich mineralizing fluids through basinal brine migration within basement-hosted shear zones: A large-scale study of the fluid chemistry around the unconformity-related Cigar Lake U deposit (Saskatchewan, Canada). Chem. Geol. 2019, 508, 116–143. [Google Scholar] [CrossRef]
- Mercadier, J.; Annesley, I.R.; McKechnie, C.L.; Bogdan, T.S.; Creighton, S. Magmatic and metamorphic uraninite mineralization in the western margin of the Trans-Hudson Orogen (Saskatchewan, Canada): Major protores for unconformity-related U deposits. Econ. Geol. 2013, 108, 1037–1065. [Google Scholar] [CrossRef]
- Richard, A.; Pettke, T.; Cathelineau, M.; Boiron, M.; Mercadier, J.; Cuney, M.; Derome, D. Brine-rock interaction in the Athabasca basement (McArthur River U deposit, Canada): Consequences for fluid chemistry and U uptake. Terra Nova 2010, 22, 303–308. [Google Scholar] [CrossRef]
- Chi, G.; Chu, H.; Petts, D.; Potter, E.G.; Jackson, S.; Williams-Jones, A.E. Enrichment of U-Y-Zr in basinal brines of the Athabasca Basin—Implications for U and REE mineralization. In Proceedings of the Goldschmidt 2019 Conference, Barcelona, Spain, 18–23 August 2019; p. 595. [Google Scholar]
- Alexandre, P. Geochemistry of the Athabasca Basin, Saskatchewan, Canada, and the unconformity-related uranium deposits hosted by it. Can. Mineral. 2021, 59, 847–868. [Google Scholar] [CrossRef]
- Chu, H.; Chi, G.; Bosman, S.; Card, C. Diagenetic and geochemical studies of sandstones from drill core DV10-001 in the Athabasca basin, Canada, and implications for U mineralization. J. Geochem. Explor. 2015, 148, 206–230. [Google Scholar] [CrossRef]
- Wright, D.M.; Potter, E.G.; Comeau, J.-S. Athabasca U Database v.2. Geological Survey of Canada Open File 7792; Natural Resources Canada: Ottawa, ON, Canada, 2015; p. 12. [Google Scholar]
- Adlakha, E.E.; Hattori, K. Compositional variation and timing of aluminum phosphate-sulfate minerals in the basement rocks along the P2 fault and in association with the McArthur River uranium deposit, Athabasca Basin, Saskatchewan, Canada. Am. Mineral. 2017, 100, 1386–1399. [Google Scholar] [CrossRef]
- Gaboreau, S.; Cuney, M.; Quirt, D.; Beaufort, D.; Patrier, P.; Mathieu, R. Significance of aluminum phosphate-sulfate minerals associated with U unconformity-type deposits: The Athabasca basin, Canada. Am. Mineral. 2007, 92, 267–280. [Google Scholar] [CrossRef]
- Mercadier, J.; Cuney, M.; Cathelineau, M.; Lacorde, M. U redox fronts and kaolinisation in basement-hosted unconformity-related U ores of the Athabasca Basin (Canada): Late U remobilisation by meteoric fluids. Miner. Depos. 2011, 23, 105–135. [Google Scholar] [CrossRef]
- Mwenifumbo, C.J.; Bernius, G.R. Crandallite-group minerals: Host of thorium enrichment in the eastern Athabasca Basin, Saskatchewan. GSC Bull. 2007, 588, 521–532. [Google Scholar]
- Wilson, J.A. Crandallite group minerals in the Helikian Athabasca Group in Alberta, Canada. Can. J. Earth Sci. 1985, 22, 637–641. [Google Scholar] [CrossRef]
- Ramaekers, P.; Jefferson, C.W.; Yeo, G.M.; Collier, B.; Long, D.G.F.; Catuneanu, O.; Bernier, S.; Kupsch, B.; Post, R.; Drever, G.; et al. Revised geological map and stratigraphy of the Athabasca Group, Saskatchewan and Alberta. Geol. Surv. Can. Bull. 2007, 588, 155–192. [Google Scholar]
- Bosman, S.A.; Ramaekers, P. Athabasca group + Martin group = Athabasca supergroup? Athabasca basin multiparameter drill log compilation and interpretation, with updated geological map. In Summary of Investigations 2015; Miscellaneous Report 2015, 2015–4.2, Paper A-5; Saskatchewan Ministry of the Economy, Saskatchewan Geological Survey: Regina, SK, Canada, 2015; Volume 2, 13p. [Google Scholar]
- Quirt, D.H. Lithogeochemistry of the Athabasca Group: Summary of Sandstone Data. In Summary of Investigations 1985; Miscellaneous Report 85–4; Saskatchewan Energy and Mines, Saskatchewan Geological Survey: Regina, SK, Canada, 1985; pp. 128–132. [Google Scholar]
- Sibbald, T.I.I.; Munday, R.J.C.; Lewry, J.F. The geological setting of U mineralization in northern Saskatchewan. In U in Saskatchewan; Dunn, C.E., Ed.; Special Publication; Saskatchewan Geological Society: Geological Survey of Canada Regina, SK, Canada, 1976; Volume 3, pp. 51–98. [Google Scholar]
- Kister, P.; Laverret, E.; Quirt, D.; Cuney, M.; Patrier Mas, P.; Beaufort, D.; Bruneton, P. Mineralogy and geochemistry of the host-rock alterations associated with the Shea Creek unconformity-type uranium deposits (Athabasca Basin, Saskatchewan, Canada). Part 2. Regional-scale spatial distribution of the Athabasca Group sandstone matrix minerals. Clays Clay Miner. 2006, 54, 295–313. [Google Scholar] [CrossRef]
- Potter, E.G.; Tschirhart, V.; Powell, J.W.; Kelly, C.J.; Rabiei, M.; Johnstone, D.; Craven, J.A.; Davis, W.J.; Pehrsson, S.; Mount, S.M.; et al. Targeted Geoscience Initiative 5: Integrated Multidisciplinary Studies of Unconformity-Related Uranium Deposits from the Patterson Lake Corridor, Northern Saskatchewan: Geological Survey of Canada. Bulletin 2020, 615, 37. [Google Scholar]
- Chen, S.; Hattori, K.; Grunsky, E.C. Multivariate statistical analysis of the REE-mineralization of the Maw Zone, Athabasca Basin, Canada. J. Geochem. Explor. 2016, 161, 98–111. [Google Scholar] [CrossRef] [Green Version]
- Hanly, A.J. The Mineralogy, Petrology and Rare Earth Element Geochemistry of the Maw Zone, Athabasca Basin, Canada. Master’s. Thesis, University of Missouri, Rolla, MO, USA, 2001; p. 168. [Google Scholar]
- MacDougall, D.G. Rare Earth Element Mineralization in the Athabasca Group—Maw Zone. Summary of Investigations; Saskatchewan Geological Survey, Saskatchewan Energy and Mines; Report 90-4; Saskatchewan Geological Survey: Regina, SK, Canada, 1990; pp. 103–105. [Google Scholar]
- Lawley, C.J.M.; Creaser, R.; Jackson, S.; Yang, Z.; Davis, B.; Pehrsson, S.; Dubé, B.; Mercier-Langevin, P.; Vaillancourt, D. Unravelling the Western Churchill Province paleoproterozoic gold metallotect: Constraints from Re-Os arsenopyrite and U-Pb xenotime geochronology and LA-ICP-MS arsenopyrite geochemistry at the BIF-hosted Meliadine gold district, Nunavut, Canada. Econ. Geol. 2015, 110, 1425–1454. [Google Scholar] [CrossRef]
- Guillong, M.; Hametner, K.; Reusser, E.; Wilson, S.A.; Günther, D. Preliminary characterisation of new glass reference materials (GSA-1G, GSC-1G, GSD-1G and GSE-1G) by laser ablation-inductively coupled plasma-mass spectrometry using 193 nm, 213 nm and 266 nm wavelengths. Geostand. Geoanalytical Res. 2005, 29, 315–331. [Google Scholar] [CrossRef]
- Sun, S.S.; McDonough, W.F. Chemical and Isotopic Systematics of Oceanic Basalts: Implications for Mantle Composition and Processes; Special Publications; Geological Society: London, UK, 1989; Volume 41, pp. 313–345. [Google Scholar]
- Turekian, K.K.; Wedepohl, K.H. Distribution of the elements in some major units of the Earth’s crust. Geol. Soc. Am. Bull. 1961, 72, 175–192. [Google Scholar] [CrossRef]
- Kyser, K.; Cuney, M. Chapter 3: Geochemical Characteristics of U and Thorium and Analytical Methodologies; Short Course Series; Mineralogical Association of Canada: Québec, QC, Canada, 2015; Volume 46, pp. 39–84. [Google Scholar]
- Migdisov, A.; Williams-Jones, A.E.; Brugger, J.; Caporuscio, F.A. Hydrothermal transport, deposition, and fractionation of the REE: Experimental data and thermodynamic calculations. Chem. Geol. 2016, 439, 13–42. [Google Scholar] [CrossRef] [Green Version]
- Williams-Jones, A.E.; Migdisov, A.A.; Samson, I.M. Hydrothermal mobilisation of the rare earth elements—A tale of “ceria” and “yttria”. Elements 2012, 8, 355–360. [Google Scholar] [CrossRef]
- Wang, Y.; Chi, G.; Li, Z.; Bosman, S. Large-scale thermal convection in sedimentary basins revealed by coupled quartz cementation-dissolution distribution pattern and reactive transport modeling—A case study of the Proterozoic Athabasca Basin (Canada). Earth Planet. Sci. Lett. 2021, 574, 117168. [Google Scholar] [CrossRef]
- Chi, G.; Li, Z.; Chu, H.; Bethune, K.M.; Quirt, D.H.; Ledru, P.; Normand, C.; Card, C.; Bosman, S.; Davis, W.J.; et al. A shallow-burial mineralization model for the unconformity-related uranium deposits in the Athabasca Basin. Econ. Geol. 2018, 113, 1209–1217. [Google Scholar] [CrossRef]









Publisher’s Note: MDPI stays neutral with regard to jurisdictional claims in published maps and institutional affiliations. |
© 2022 by the authors. Licensee MDPI, Basel, Switzerland. This article is an open access article distributed under the terms and conditions of the Creative Commons Attribution (CC BY) license (https://creativecommons.org/licenses/by/4.0/).
Share and Cite
Chi, G.; Potter, E.G.; Petts, D.C.; Jackson, S.; Chu, H. LA-ICP-MS Mapping of Barren Sandstone from the Proterozoic Athabasca Basin (Canada)—Footprint of U- and REE-Rich Basinal Fluids. Minerals 2022, 12, 733. https://doi.org/10.3390/min12060733
Chi G, Potter EG, Petts DC, Jackson S, Chu H. LA-ICP-MS Mapping of Barren Sandstone from the Proterozoic Athabasca Basin (Canada)—Footprint of U- and REE-Rich Basinal Fluids. Minerals. 2022; 12(6):733. https://doi.org/10.3390/min12060733
Chicago/Turabian StyleChi, Guoxiang, Eric G. Potter, Duane C. Petts, Simon Jackson, and Haixia Chu. 2022. "LA-ICP-MS Mapping of Barren Sandstone from the Proterozoic Athabasca Basin (Canada)—Footprint of U- and REE-Rich Basinal Fluids" Minerals 12, no. 6: 733. https://doi.org/10.3390/min12060733
APA StyleChi, G., Potter, E. G., Petts, D. C., Jackson, S., & Chu, H. (2022). LA-ICP-MS Mapping of Barren Sandstone from the Proterozoic Athabasca Basin (Canada)—Footprint of U- and REE-Rich Basinal Fluids. Minerals, 12(6), 733. https://doi.org/10.3390/min12060733

