Spatiotemporal Expression and Haplotypes Identification of KRT84 Gene and Their Association with Wool Traits in Gansu Alpine Fine-Wool Sheep
Abstract
1. Introduction
2. Materials and Methods
2.1. Sheep and Sampling
2.2. DNA Extraction
2.3. RNA Extraction
2.4. Detecting KRT84 Sequence Variaiton
2.5. Genotyping Using PARMs-PCR and Mass Spectrometry
2.6. RT-qPCR
2.7. Immunofluorescence Analysis
2.8. Statistical Analyses
3. Results
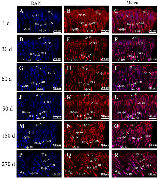
3.1. Localization of K84 mRNA in the Skin of Gansu Alpine Fine-Wool Lambs
3.2. K84 Levels in the Skin of Gansu Alpine Fine-Wool Sheep at Different Lamb Ages
3.3. SNP Detection and Genotyping
3.4. Analysis of the Sequence Variation in KRT84
3.5. Haplotype Construction for the KRT84 Exon 1 SNPs and Association Analyses between These Haplotypes and Wool Traits
4. Discussion
4.1. Variation in KRT84
4.2. Association Analysis between Haplotypes of KRT84 and Wool Traits for Gansu Alpine Fine-Wool Sheep Wool
4.3. Localization of KRT84 Gene in the Skin of Gansu Alpine Fine-Wool Sheep at Different Lamb Ages
5. Conclusions
Author Contributions
Funding
Institutional Review Board Statement
Informed Consent Statement
Data Availability Statement
Conflicts of Interest
References
- Salas, P.J.; Forteza, R.; Mashukova, A. Multiple roles for keratin intermediate filaments in the regulation of epithelial barrier function and apico-basal polarity. Tissue Barriers 2016, 4, e1178368. [Google Scholar] [CrossRef]
- Shimomura, Y.; Cristiano, A.M. Biology and genetics of hair. Annu. Rev. Genom. Hum. Gen. 2010, 11, 109–132. [Google Scholar] [CrossRef]
- Forni, M.F.; Trombetta-Lima, M.; Sogayar, M.C. Stem cells in embryonic skin development. Biol. Res. 2012, 45, 215–222. [Google Scholar] [CrossRef]
- Saxena, N.; Mok, K.-W.; Rendl, M. An updated classification of hair follicle morphogenesis. Exp. Dermatol. 2019, 28, 332–344. [Google Scholar] [CrossRef]
- Langbein, L.; Rogers, M.A.; Winter, H.; Praetzel, S.; Beckhaus, H.-R.; Schweizer, J. The catalog of human hair keratins. I. Expression of the nine type I members in the hair follicle. J. Biol. Chem. 1999, 274, 19874–19884. [Google Scholar] [CrossRef] [PubMed]
- Eckhart, L.; Dalla Valle, L.; Jaeger, K. Identification of reptilian genes encoding hair keratin-like proteins suggests a new scenario for the evolutionary origin of hair. Proc. Natl. Acad. Sci. USA 2008, 105, 18419–18423. [Google Scholar] [CrossRef]
- Frenkel, M.J.; Powell, B.J.; Ward, K.A.; Sleigh, M.J.; Rogers, G.E. The keratin BIIIB gene family: Isolation of cDNA clones and structure of a gene and a related pseudogene. Genomics 1989, 4, 182–191. [Google Scholar] [CrossRef] [PubMed]
- Langbein, L.; Rogers, M.A.; Winter, H.; Praetzel, S.; Schweizer, J. The catalog of human hair keratins. II. Expression of the six type II members in the hair follicle and the combined catalog of human type I and II keratins. J. Biol. Chem. 2001, 276, 35123–35132. [Google Scholar] [CrossRef] [PubMed]
- McLaren, R.J.; Rogers, G.R.; Davies, K.P.; Maddox, J.F.; Montgomery, G.W. Linkage mapping of wool keratin and keratin-associated protein genes in sheep. Mamm. Genome 1997, 8, 938–940. [Google Scholar] [CrossRef] [PubMed]
- Gortari, M.J.D.; Freking, B.A.; Kappes, S.M.; Leymaster, K.A.; Stone, R.T.; Beattie, C.W.; Crawford, A.M. Extensive genomic conservation of cattle microsatellite heterozygosity in sheep. Anim. Genet. 1997, 28, 274–290. [Google Scholar] [CrossRef] [PubMed]
- Naboulsi, R.; Cieślak, J.; Headon, D.; Jouni, A.; Negro, J.J.; Andersson, G.; Lindgren, G. The Enrichment of Specific Hair Follicle-Associated Cell Populations in Plucked Hairs Offers an Opportunity to Study Gene Expression Underlying Hair Traits. Int. J. Mol. Sci. 2022, 29, 561. [Google Scholar] [CrossRef] [PubMed]
- Wang, S.; Luo, Z.; Zhang, Y.; Yuan, D.; Ge, W.; Wang, X. The inconsistent regulation of HOXC13 on different keratins and the regulation mechanism on HOXC13 in cashmere goat (Capra hircus). BMC Genom. 2018, 19, 630. [Google Scholar] [CrossRef] [PubMed]
- Langbein, L.; Rogers, M.A.; Praetzel-Wunder, S.; Böckler, D.; Schirmacher, P.; Schweizer, J. Novel type I hair keratins K39 and K40 are the last to be expressed in differentiation of the hair: Completion of the human hair keratin catalog. J. Investig. Dermatol. 2007, 127, 1532–1535. [Google Scholar] [CrossRef] [PubMed]
- Sun, H.; He, Z.; Xi, Q.; Zhao, F.; Hu, J.; Wang, J.; Liu, X.; Zhao, Z.; Li, M.; Luo, Y.; et al. Lef1 and Dlx3 May Facilitate the Maturation of Secondary Hair Follicles in the Skin of Gansu Alpine Merino. Genes 2022, 13, 1326. [Google Scholar] [CrossRef] [PubMed]
- Diao, X.; Yao, L.; Wang, X.; Li, S.; Qin, J.; Yang, L.; He, L.; Zhang, W. Hair Follicle Development and Cashmere Traits in Albas Goat Kids. Animals 2023, 13, 617. [Google Scholar] [CrossRef] [PubMed]
- Livak, K.J.; Schmittgen, T.D. Analysis of relative gene expression data using real-time quantitative PCR and the 2−ΔΔCT Method. Methods 2001, 25, 402–4088. [Google Scholar] [CrossRef] [PubMed]
- Chai, W.; Zhou, H.; Gong, H.; Wang, J.; Hickford, J.G.H. Nucleotide variation in the ovine KRT31 promoter region and its association with variation in wool traits in Merino-cross lambs. J. Agric. Sci. 2019, 157, 182–188. [Google Scholar] [CrossRef]
- Sumner, R.M.W.; Forrest, R.H.J.; Zhou, H.; Henderson, H.V.; Hickford, J.G.H. Association of the KRT33A (formerly KRT1.2) gene with live-weight and wool characteristics in yearing Perendale sheep. Proc. New Zealand Soc. Anim. Prod. 2013, 73, 158–164. [Google Scholar]
- Chai, W.; Zhou, H.; Forrest, R.H.J.; Gong, H.; Hodge, S.; Hickford, J.G.H. Polymorphism of KRT83 and its association with selected wool traits in Merino-cross lambs. Small Rumin. Res. 2017, 155, 6–11. [Google Scholar] [CrossRef]
- Harland, D.P.; Popescu, C.; Richena, M.; Deb-Choudhury, S.; Wichlatz, C.; Lee, E.; Plowman, J.E. The susceptibility of disulfide bonds to modification in keratin fibers undergoing tensile stress. Biophys. J. 2022, 121, 2168–2179. [Google Scholar] [CrossRef]
- Itenge, T.O.; Hickford, J.; Forrest, R.; McKenzie, G.; Frampton, C. Association of variation in the ovine KAP1.1, KAP1.3 and K33 genes with wool traits. Int. J. Sheep Wool Sci. 2010, 58, 1–19. [Google Scholar]
- Chai, W.; Zhou, H.; Gong, H.; Hickford, J.G.H. Variation in the ovine KRT34 promoter region affects wool traits. Small Rumin. Res. 2022, 206, 106586. [Google Scholar] [CrossRef]
- Kikkawa, Y.; Oyama, A.; Ishii, R.; Miura, I.; Amano, T.; Ishii, Y.; Yoshikawa, Y.; Masuya, H.; Wakana, S.; Shiroishi, T.; et al. A small deletion hotspot in the type II keratin gene mK6irs1/Krt2-6g on mouse chromosome 15, a candidate for causing the wavy hair of the caracul (Ca) mutation. Genetics 2003, 165, 721–733. [Google Scholar] [CrossRef] [PubMed]
- Kuramoto, T.; Hirano, R.; Kuwamura, M.; Serikawa, T. Identification of the rat Rex mutation as a 7-bp deletion at splicing acceptor site of the Krt71 gene. J. Vet. Med. Sci. 2010, 72, 909–912. [Google Scholar] [CrossRef]
- Gong, H.; Zhou, H.; Forrest, R.H.J.; Li, S.; Wang, J.; Dyer, J.M.; Luo, Y.; Hickford, J.G.H. Wool keratin-associated protein genes in sheep—A review. Genes 2016, 7, 24. [Google Scholar] [CrossRef]
- Coetzee, J.; de Wet, P.J.; Burger, W.J. Effects of infused methionine, lysine and rumen-protected methionine derivatives on nitrogen retention and wool growth of Merino wethers. S. Afr. J. Anim. Sci. 1995, 25, 87–94. [Google Scholar]
- Yu, Z.; Wildermoth, J.E.; Wallace, O.A.; Gordon, S.W.; Maqbool, N.J.; Maclean, P.H.; Nixon, A.J.; Pearson, A.J. Annotation of sheep keratin intermediate filament genes and their patterns of expression. Exp. Dermatol. 2011, 20, 582–588. [Google Scholar] [CrossRef] [PubMed]
- Hynd, P.I.; Edwards, N.M.; Hebart, M.; McDowall, M.; Clark, S.A. Wool fibre crimp is determined by mitotic asymmetry and position of final keratinisation and not ortho- and para-cortical cell segmentation. Animal 2009, 3, 838–843. [Google Scholar] [CrossRef] [PubMed]






| Gene | Primer Sequences (5′–3′) | Size (bp) | Annealing Temperature (°C) | Use |
|---|---|---|---|---|
| KRT84 | F: CCATCATGTCTTGCCGCTCCT | 587 | 60 | PCR |
| R: ACACCCCAGTGCATTTAGCTC | ||||
| KRT84 | F: ACGATCTTCAGTGGCCCAAG | 104 | 60 | RT-qPCR |
| R: GGGGTTAAACCAACACCCCA | ||||
| ACTB | F: AGCCTTCCTTCCTGGGCATGGA | 113 | 60 | RT-qPCR |
| R: GGACAGCACCGTGTTGGCGTAGA |
| SNP | Primer | Primer Sequences (5′–3′) | Fluorescent Signal | Genotype |
|---|---|---|---|---|
| c.97A/G | 1Rt | GAAGGTGACCAAGTTCATGCTCCTGCAGGAGACAGAGCTGAT | FAM | A |
| 1Rc | GAAGGTCGGAGTCAACGGATTCCTGCAGGAGACAGAGCTGAC | HEX | G | |
| 1F | CCCCTCAGAACCTGAACCG | / | / | |
| c.162C/T | 2Rg | GAAGGTGACCAAGTTCATGCTACGATCCAAAGCTGATGACG | FAM | C |
| 2Ra | GAAGGTCGGAGTCAACGGATTCACGATCCAAAGCTGATGACA | HEX | T | |
| 2F | CCCCTCAGAACCTGAACCG | / | / | |
| c.286G/A | 3Rc | GAAGGTGACCAAGTTCATGCTGGCTGCAGAAGCCATAGCC | FAM | G |
| 3Rt | GAAGGTCGGAGTCAACGGATTGGGCTGCAGAAGCCATAGCT | HEX | A | |
| 3F | GGGGTTTAGAGCCAGAAGTGG | / | / |
| SNP | Ho | He | PIC | Ne | H |
|---|---|---|---|---|---|
| c.97A/G | 0.5335 | 0.4665 | 0.3577 | 1.8743 | 0.6592 |
| c.162C/T | 0.2738 | 0.7262 | 0.6956 | 3.6528 | 0.7173 |
| c.286G/A | 0.2735 | 0.7265 | 0.6965 | 3.6566 | 0.7156 |
| SNP | SNP Genotype Frequency (Number) | Nucleotide Frequency | X2 | p | |||
|---|---|---|---|---|---|---|---|
| c.97A/G | GA | GG | AA | G | A | 0.8304 | 0.660 |
| 0.335(75) | 0.589(132) | 0.076(17) | 0.757 | 0.243 | |||
| c.162C/T | CT | CC | TT | C | T | 0.0181 | 0.991 |
| 0.440(99) | 0.444(100) | 0.116(26) | 0.664 | 0.336 | |||
| c.286G/A | GA | GG | AA | G | A | 0.0035 | 0.006 |
| 0.449(101) | 0.440(99) | 0.111(25) | 0.664 | 0.336 | |||
| Haplotype | c.97A/G | c.162C/T | c.286G/A | Frequency (%) | Diplotype | Frequency (%) |
|---|---|---|---|---|---|---|
| H1 | G | C | G | 42.30 | H1H1 | 19.28 |
| H2 | G | T | A | 33.50 | H1H2 | 28.25 |
| H3 | A | C | G | 24.20 | H1H3 | 17.49 |
| H2H2 | 11.21 | |||||
| H2H3 | 16.14 | |||||
| H3H3 | 7.62 |
| Diplotype | MFD (Microns) | FDSD (Microns) | CVFD | MSL (mm) | MFC (°/mm) | CF (%) | MSS (cN/dT) |
|---|---|---|---|---|---|---|---|
| H1 H1 | 21.4 ± 2.56 b | 5.4 ± 1.12 | 24.9 ± 3.36 b | 77.4 ± 15.05 a | 103.9 ± 12.48 b | 91.4 ± 9.93 a | 14.0 ± 6.75 b |
| H1 H2 | 22.1 ± 2.95 ab | 5.5 ± 1.06 | 25.0 ± 2.99 ab | 74.0 ± 11.80 ab | 105.6 ± 9.94 b | 88.6 ± 11.18 ab | 13.6 ± 5.22 b |
| H1 H3 | 22.9 ± 2.81 a | 5.8 ± 1.13 | 25.4 ± 2.95 a | 70.9 ± 14.87 b | 104.7 ± 12.54 b | 85.9 ± 11.72 b | 13.7 ± 5.05 b |
| H2 H2 | 22.3 ± 3.20 ab | 5.5 ± 0.94 | 24.6 ± 2.60 b | 68.2 ± 13.90 b | 111.5 ± 11.15 a | 87.6 ± 11.62 ab | 15.3 ± 6.15 ab |
| H2 H3 | 22.4 ± 2.83 ab | 5.6 ± 0.92 | 25.0 ± 2.42 ab | 71.3 ± 13.56 ab | 104.9 ± 11.15 b | 87.5 ± 11.98 ab | 14.1 ± 6.60 b |
| H3 H3 | 23.2 ± 3.63 a | 6.0 ± 0.78 | 26.3 ± 3.43 a | 71.9 ± 16.94 b | 106.5 ± 13.71 ab | 82.4 ± 15.60 b | 17.5 ± 6.60 a |
Disclaimer/Publisher’s Note: The statements, opinions and data contained in all publications are solely those of the individual author(s) and contributor(s) and not of MDPI and/or the editor(s). MDPI and/or the editor(s) disclaim responsibility for any injury to people or property resulting from any ideas, methods, instructions or products referred to in the content. |
© 2024 by the authors. Licensee MDPI, Basel, Switzerland. This article is an open access article distributed under the terms and conditions of the Creative Commons Attribution (CC BY) license (https://creativecommons.org/licenses/by/4.0/).
Share and Cite
Yu, X.; Li, S.; Zhou, H.; Zhao, F.; Hu, J.; Wang, J.; Liu, X.; Li, M.; Zhao, Z.; Hao, Z.; et al. Spatiotemporal Expression and Haplotypes Identification of KRT84 Gene and Their Association with Wool Traits in Gansu Alpine Fine-Wool Sheep. Genes 2024, 15, 248. https://doi.org/10.3390/genes15020248
Yu X, Li S, Zhou H, Zhao F, Hu J, Wang J, Liu X, Li M, Zhao Z, Hao Z, et al. Spatiotemporal Expression and Haplotypes Identification of KRT84 Gene and Their Association with Wool Traits in Gansu Alpine Fine-Wool Sheep. Genes. 2024; 15(2):248. https://doi.org/10.3390/genes15020248
Chicago/Turabian StyleYu, Xueqin, Shaobin Li, Huitong Zhou, Fangfang Zhao, Jiang Hu, Jiqing Wang, Xiu Liu, Mingna Li, Zhidong Zhao, Zhiyun Hao, and et al. 2024. "Spatiotemporal Expression and Haplotypes Identification of KRT84 Gene and Their Association with Wool Traits in Gansu Alpine Fine-Wool Sheep" Genes 15, no. 2: 248. https://doi.org/10.3390/genes15020248
APA StyleYu, X., Li, S., Zhou, H., Zhao, F., Hu, J., Wang, J., Liu, X., Li, M., Zhao, Z., Hao, Z., Shi, B., & Hickford, J. G. H. (2024). Spatiotemporal Expression and Haplotypes Identification of KRT84 Gene and Their Association with Wool Traits in Gansu Alpine Fine-Wool Sheep. Genes, 15(2), 248. https://doi.org/10.3390/genes15020248

