Femtosecond Laser Fabrication of Engineered Functional Surfaces Based on Biodegradable Polymer and Biopolymer/Ceramic Composite Thin Films
Abstract
:1. Introduction
2. Materials and Methods
2.1. Sample Preparation
2.2. Experimental Setup
2.3. Morphological and Topography Examination of Textured Biofilms via SEM, Energy-Dispersive X-ray Spectroscopy (EDX), and Atomic Force Microscopy (AFM)
2.4. FTIR Analysis
2.5. XPS Analysis
2.6. XRD Analysis
2.7. Cell Seeding, Culture, and Staining on Laser-Textured Samples
3. Results
3.1. Femtosecond Laser Fabrication of Chitosan Biofilm Microporous Structures
3.2. AFM Topography Chitosan Biofilms
3.3. XPS Chracterization of Pure Chitosan Thin Films
3.4. Surface Analysis via SEM of Chitosan/Ceramic Composite Films
3.5. Fourier Transform Infrared Spectra for Laser Modified Chitosan Composite Films
3.6. XRD Analysis of Composite Chitosan/Ceramic Films
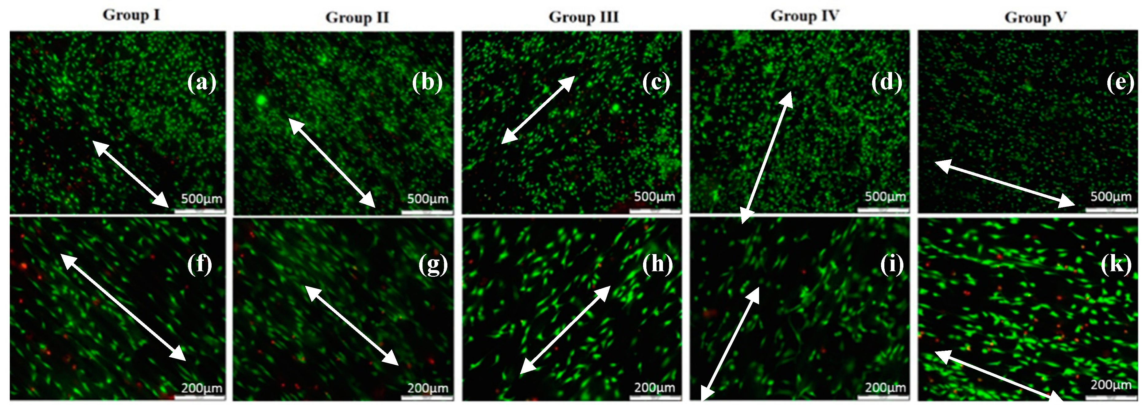
3.7. Cellular Affinity of Chitosan Ch/Hydroxyapatite (HAp)/ZrO2 Composite Films
4. Discussion
5. Conclusions
Author Contributions
Funding
Conflicts of Interest
References
- Grand View Research Inc. 2016. Available online: https://www.grandviewresearch.com/ (accessed on 18 January 2019).
- Chavan, P.N.; Bahir, M.M.; Mene, R.U.; Mahabole, M.P.; Khairnar, R.S. Study of nanobiomaterial hydroxyapatite in simulated body fluid: Formation and growth of apatite. Mater. Sci. Eng. B Solid-State Mater. Adv. Technol. 2010, 168, 224–230. [Google Scholar] [CrossRef]
- Yu, C.C.; Chang, J.J.; Lee, Y.H.; Lin, Y.C.; Wu, M.H.; Yang, M.C.; Chien, C.T. Electrospun scaffolds composing of alginate, chitosan, collagen and hydroxyapatite for applying in bone tissue engineering. Mater. Lett. 2013, 93, 133–136. [Google Scholar] [CrossRef]
- Gerhardt, L.C.; Widdows, K.L.; Erol, M.M.; Burch, C.W.; Sanz-Herrera, J.A.; Ochoa, I.; Stampfli, R.; Rogan, I.S.; Gabe, S.; Ansari, T.; et al. The pro-angiogenic properties of multifunctional bioactive glass composite scaffolds. Biomaterials 2011, 32, 4096–4108. [Google Scholar] [CrossRef] [PubMed]
- Hovhannisyan, V.; Ghazaryan, A.; Chen, Y.-F.; Chen, Sh.-J.; Dong, C.-Y. Photophysical mechanisms of collagen modification by 80 MHz femtosecond laser. Opt. Express 2010, 18, 24037–24047. [Google Scholar] [CrossRef] [PubMed]
- Dhandayuthapani, B.; Yoshida, Y.; Maekawa, T.; Kumar, D.S. Polymeric Scaffolds in Tissue Engineering Application: A Review. Int. J. Polym. Sci. 2011, 290602. [Google Scholar] [CrossRef]
- Zhu, N.; Chen, X. Ch 12: Biofabrication of tissue scaffolds. In Advances in Biomaterials Science and Biomedical Applications; Pignatello, R., Ed.; Intech: London, UK, 2013; pp. 315–328. [Google Scholar]
- Wahl, D.A.; Czernuszka, J.T. Collagen-hydroxyapatite composites for hard tissue repair. Eur. Cells Mater. 2006, 11, 43–56. [Google Scholar] [CrossRef]
- Chang, M.C.; Ko, C.C.; Douglas, W.H. Preparation of hydroxyapatite-gelatin nanocomposite. Biomaterials 2003, 24, 2853–2862. [Google Scholar] [CrossRef]
- Yamaguchi, I.; Tokuchi, K.; Fukuzaki, H.; Koyama, Y.; Takakuda, K.; Monma, H.; Tanaka, J. Preparation andmicrostructure analysis of chitosan/hydroxyapatite nanocomposites. J. Biomed. Mater. Res. 2001, 55, 20–27. [Google Scholar] [CrossRef]
- Rusu, V.M.; Ng, C.-H.; Wilke, M.; Tiersch, B.; Fratzl, P.; Peter, M.G. Size-controlled hydroxyapatite nanoparticles as self-organized organic–inorganic composite materials. Biomaterials 2005, 26, 5414–5426. [Google Scholar] [CrossRef]
- Hu, Q.; Li, B.; Wang, M.; Shen, J. Preparation and characterization of biodegradable chitosan/hydroxyapatite nanocomposite rods via in situ hybridization: A potential material as internal fixation of bone fracture. Biomaterials 2004, 25, 779–785. [Google Scholar] [CrossRef]
- Dhillon, G.S.; Kaur, S.; Sarma, S.J.; Brar, S.K.; Verma, M.; Surampalli, R.Y. Recent development in applications of important biopolymer chitosan in biomedicine, pharmaceuticals and personal care products. Curr. Tissue Eng. 2013, 2, 20–40. [Google Scholar] [CrossRef]
- Hoemann, C.D.; Sun, J.; Le’gare, M.D.; McKee, A.; Buschmann, M.D. Tissue engineering of cartilage using an injectable andadhesive chitosan-based cell-delivery vehicle. Osteo Arthritis Cartil. 2005, 13, 318–329. [Google Scholar] [CrossRef] [PubMed]
- Saravanan, S.; Leena, R.S.; Selvamurugan, N. Chitosan based biocomposite scaffolds for bone tissue engineering. Elsevier Int. J. Biol. Macromol. 2016, 93, 1354–1365. [Google Scholar] [CrossRef]
- Ahmed, T.A.; Aljaeid, B.M. Preparation, characterization, and potential application of chitosan, chitosan derivatives, and chitosan metal nanoparticles in pharmaceutical drug delivery. Drug Des. Dev. Ther. 2016, 10, 483–507. [Google Scholar] [CrossRef] [PubMed]
- Zhang, D.; Wu, X.; Chen, J.; Lin, K. The development of collagen based composite scaffolds for bone regeneration. Bioact. Mater. 2018, 3, 129–138. [Google Scholar] [CrossRef] [PubMed]
- Jayakumara, R.; Ramachandrana, R.; Sudheesh Kumara, P.T.; Divyarania, V.V.; Srinivasana, S.; Chennazhia, K.P.; Tamurab, H.; Naira, S.V. Fabrication of chitin–chitosan/nano ZrO2 composite scaffolds for tissue engineering applications. Int. J. Biol. Macromol. 2011, 49, 274–280. [Google Scholar] [CrossRef] [PubMed]
- Ferraris, M.; Verne, E.; Appendino, P.; Moisescu, C.; Krajewski, A.; Ravaglioli, A.; Piancastelli, A. Coatings on zirconia for medical applications. Biomaterials 2000, 21, 765–773. [Google Scholar] [CrossRef]
- Bosetti, M.; Vernei, E.; Ferraris, M.; Ravaglioli, A.; Cannas, M. In vitro characterisation of zirconia coated by bioactive glass. Biomaterials 2001, 22, 987–994. [Google Scholar] [CrossRef]
- Gua, Y.W.; Yapb, A.U.J.; Cheanga, P.; Khor, K.A. Effects of incorporation of HA/ZrO2 into glass ionomer cement (GIC). Biomaterials 2005, 26, 713–720. [Google Scholar] [CrossRef]
- Kim, H.W.; Lee, S.Y.; Bae, C.J.; Noh, Y.J.; Kim, H.E.; Kim, H.M.; Ko, J.S. Porous ZrO2 bone scaffold coated with hydroxyapatite with fluorapatite intermediate layer. Biomaterials 2003, 24, 3277–3284. [Google Scholar] [CrossRef]
- Heimann, R.B. Structure, properties, and biomedical performance of osteoconductivebioceramic coatings. Surf. Coat. Technol. 2013, 233, 27–38. [Google Scholar] [CrossRef]
- Pattnaik, S.; Nethala, S.; Tripathi, A.; Saravanan, S.; Moorthi, A.; Selvamurugan, N. Chitosan scaffolds containing silicon dioxide and zirconia nano particles for bone tissue engineering. Int. J. Biol. Macromol. 2011, 49, 1167–1172. [Google Scholar] [CrossRef] [PubMed]
- Stanic, V.; Nicoli-Aldini, N.; Fini, M.; Giavaresi, G.; Giardino, R.; Krajewski, A.; Ravaglioli, A.; Mazzocchi, M.; Dubini, B.; Ponzi Bossi, M.G.; et al. Osteointegration of bioactive glass-coated zirconia in healthy bone: an in vivo evaluation. Biomaterials 2002, 23, 3833–3841. [Google Scholar] [CrossRef]
- Wang, W.; Yeung, K.W.K. Bone grafts and biomaterials substitutes for bone defect repair: A review. Bioact. Mater. 2017, 2, 224–247. [Google Scholar] [CrossRef] [PubMed]
- Muzzarelli, R.A.A. Chitosan composites with inorganics, morphogenetic proteins and stem cells, for bone regeneration. Carbohydr. Polym. 2011, 83, 1433–1445. [Google Scholar] [CrossRef]
- Scheinpflug, J.; Pfeiffenberger, M.; Damerau, A.; Schwarz, F.; Textor, M.; Lang, A.; Schulze, F. Journey into Bone Models: A Review. Genes 2018, 9, 247. [Google Scholar] [CrossRef] [PubMed]
- Dhivya, S.; Saravanan, S.; Sastry, T.P.; Selvamurugan, N. Nanohydroxyapatite-reinforced chitosan composite hydrogel for bone tissue repair in vitro and in vivo. J. Nanobiotechnol. 2015, 13–40. [Google Scholar] [CrossRef] [PubMed]
- Alarcon, E.I.; Udekwu, K.I.; Noel, C.W.; Gagnon, L.B.; Taylor, P.K.; Vulesevic, B.; Simpson, M.J.; Gkotzis, S.; Islam, M.M.; Lee, C.J.; et al. Safety and efficacy of composite collagen-silver nanoparticle hydrogels as tissue engineering scaffolds. Nanoscale 2015, 7, 18789–18798. [Google Scholar] [CrossRef] [PubMed]
- Vieira, S.; Vial, S.; Reis, R.L.; Oliveira, J.M. Nanoparticles for bone tissue engineering. Biotechnol. Prog. 2017, 33, 590–611. [Google Scholar] [CrossRef] [PubMed]
- Hasan, A.; Morshed, M.; Memic, A.; Hassan, S.; Webster, T.J.; Marei, H.E.-S. Nanoparticles in tissue engineering: Applications, challenges and prospects. Int. J. Nanomed. 2018, 13, 5637–5655. [Google Scholar] [CrossRef] [PubMed]
- Daskalova, A.; Trifonov, A.; Bliznakova, I.; Nathala, C.; Ajami, A.; Husinsky, W.; Declercq, H.; Buchvarov, I. Selective cell response on natural polymer bio-interfaces textured by femtosecond laser. Appl. Phys. A 2018, 124, 2–18. [Google Scholar] [CrossRef]
- Daskalova, A.; Ostrowskа, B.; Zhelyazkova, A.; Święszkowski, W.; Trifonov, A.; Declercq, H.; Nathala, C.; Szlazak, K.; Lojkowski, M.; Husinsky, W.; et al. Improving osteoblasts cells proliferation via femtosecond laser surface modification of 3D-printed poly-ε-caprolactone scaffolds for bone tissue engineering applications. Appl. Phys. A 2018, 124, 413. [Google Scholar] [CrossRef]
- Daskalova, A.; Nathala, C.S.R.; Kavatzikidou, P.; Ranella, A.; Szoszkiewicz, R.; Husinsky, W.; Fotakis, C. FS laser processing of bio-polymer thin films for studying cell-to-substrate specific response. Appl. Surf. Sci. 2016, 382, 178–191. [Google Scholar] [CrossRef]
- Nathala, C.S.R.; Ajami, A.; Farooq, B.; Husinsky, W.; Daskalova, A.; Bliznakova, I.; Assion, A. Ultra-short pulse laser ablation of copper, silicon and gelatin: Effect of the pulse duration on the ablation thresholds and the incubation coefficients. Appl. Phys. A. Invit. Pap. 2016, 122, 1–8. [Google Scholar]
- Daskalova, A.; Nathala, C.; Bliznakova, I.; Stoyanova, E.; Zhelyazkova, A.; Ganz, T.; Lueftenegger, S.; Husinsky, W. Controlling the porosity of collagen, gelatin and elastin biomaterials by ultrashort laser pulses. Appl. Surf. Sci. 2014, 292, 367–377. [Google Scholar] [CrossRef]
- Rebollar, E.; Castillejo, M.; Ezquerra, T. Laser induced periodic surface structures on polymer films: From fundamentals to applications. Eur. Polym. J. 2015, 73, 162–174. [Google Scholar] [CrossRef]
- Wang, S.; Yu, Y.; Li, R.; Feng, G.; Wu, Z.; Compagnini, G.; Gulino, A.; Feng, Z.; Hu, A. High-performance stacked in-plane supercapacitors and supercapacitor array fabricated by femtosecond laser 3D direct writing on polyimide sheets. Electrochim. Acta 2017, 241, 153–161. [Google Scholar] [CrossRef]
- Szatkowski, T.; Kolodziejczak-Radzimska, A.; Zdarta, J.; Szwarc-Rzepka, K.; Paukszta, D.; Wysokowski, M.; Ehrlich, H.; Jesionowski, T. Synthesis and characterization of hydroxyapatite/chitosan composite. Physicochem. Probl. Miner. Process. 2015, 51, 575–585. [Google Scholar]
- Pighinelli, L.; Kucharska, M. Properties and structure of microcrystalline chitosan and hydroxyapatite composites. J. Biomater. Nanobiotechnol. 2014, 5, 128–138. [Google Scholar] [CrossRef]
- Evangelista, S.M.; De Oliveira, E.; Castro, G.R.; Zara, L.F.; Prado, A.G.S. Hexagonal mesoporous silica modified with 2-mercaptothiazoline for removing mercury from water solution. Surf. Sci. 2007, 601, 2194–2202. [Google Scholar] [CrossRef]
- Andrianainarivelo, M.; Corriu, R.; Leclercq, D.; Mutin, P.H.; Vioux, A. Mixed oxides SiO2–ZrO2 and SiO2–TiO2 by a non-hydrolytic sol–gel route. J. Mater. Chem. 1996, 6, 1665. [Google Scholar] [CrossRef]
- Nazeer, M.; Yilgör, E.; Yilgör, I. Intercalated chitosan/hydroxyapatite nanocomposites: Promising materials for bone tissue engineering applications. Carbohydr. Polym. 2017, 175, 38–46. [Google Scholar] [CrossRef] [PubMed]
- Yildirim, O. Preparation and Characterization of Chitosan/Calcium Phosphate Based Composite Biomaterials. Master’s Thesis, Izmir Institute of Technology, Izmir, Turkey, August 2004. [Google Scholar]
- Turkmen, A.; Cavalu, S.; Goller, G. Development of chitosan-hydroxyapatite-fibrinogen 3D scaffolds for bone tissue regeneration. J. Aust. Ceram. Soc. Vol. 2016, 52, 34–41. [Google Scholar]
- Terakawa, M. Femtosecond laser processing of biodegradable polymers. Appl. Sci. 2018, 8, 1123. [Google Scholar] [CrossRef]
- Miller, J.C.; Hagland, R.F., Jr. (Eds.) Laser Ablation and Desorption 1998.
- Hendow, T.; Sami, S.S. Structuring materials with nanosecond laser pulses. Opt. Express 2010, 18, 10188–10199. [Google Scholar] [CrossRef] [PubMed]
- Malinauskas, M.; Rekštyte, S.; Lukoševicius, L.; Butkus, S.; Balciunas, E.; Peciukaityte, M.; Baltriukiene, D.; Bukelskiene, V.; Butkevicius, A.; Kucevicius, P.; et al. 3D microporous scaffolds manufactured via combination of fused filament fabrication and direct laser writing ablation. Micromachines 2014, 5, 839. [Google Scholar] [CrossRef]
- Fiedler, S.; Irsig, R.; Gieseke, M.; Vehse, M.; Senz, V.; Oniszczuk, A.W.; Tiggesbäumker, J.; Schuster, C.; Svanidze, A.V.; Rothe, N.; et al. Material processing with femtosecond laser pulses for medical applications. Biomed. Tech. 2012, 57 (Suppl. 1), 603–605. [Google Scholar] [CrossRef]
- Chichkov, B.N.; Momma, C.; Nolte, S.; Von Alvensleben, F.; Tünnermann, A. Femtosecond, picosecond and nanosecond laser ablation of solids. Appl. Phys. A 1996, 63, 109. [Google Scholar] [CrossRef]
- Krüger, J.; Kautek, W. The femtosecond pulse laser: A new tool for micromachining. Laser Phys. 1999, 9, 30. [Google Scholar]
- Schuster, C.; Rothe, N.; Svanidze, A.V.; Fiedler, S.; Irsig, R.; Tiggesbäumker, J.; Senz, V.; Vehse, M.; Seitz, H.; Lochbrunner, S. Material processing with shaped femtosecond laser pulses. Biomed. Eng. Biomed. Tech. 2012, 57, 894–896. [Google Scholar] [CrossRef]
- Zheng, Z.; Zheng, Z.; Wei, Y.; Wang, G.; Wang, A.; Ao, Q.; Gong, Y.; Zhang, X. Surface Properties of chitosan films modified with polycations and their effects on the behavior of PC12 cells. J. Bioact. Compat. Polym. 2009, 24, 63–82. [Google Scholar] [CrossRef]
- Roitero, E.; Lasserre, F.; Anglada, M.; Mücklich, F.; Jiménez-Piquéa, E. A parametric study of laser interference surface patterning of dental zirconia: Effects of laser parameters on topography and surface quality. Dent. Mater. 2017, 33, e28–e38. [Google Scholar] [CrossRef] [PubMed]
- Ovsianikov, A.; Mironov, V.; Stampfl, J.; Liska, R. Engineering 3D cell-culture matrices: Multiphoton processing technologies for biological and tissue engineering applications. Expert Rev. Med. Devices 2012, 9, 613–633. [Google Scholar] [CrossRef] [PubMed]
- Saito, T.; Teraoka, K.; Ota, K. Arrayed three-dimensional structures designed to induce and maintain a cell pattern by a topographical effect on cell behavior. Mater. Sci. Eng. C 2015, 49, 256–261. [Google Scholar] [CrossRef] [PubMed]
- Fujita, S.; Ohshima, M.; Iwata, H. Time-lapse observation of cell alignment on nanogrooved patterns. J. R. Soc. Interface 2009, 6, 269–277. [Google Scholar] [CrossRef] [PubMed]
- Khalili, A.A.; Ahmad, M.R. A review of cell adhesion studies for biomedical and biological applications. Int. J. Mol. Sci. 2015, 16, 18149–18184. [Google Scholar] [CrossRef] [PubMed]
- Sampath, U.G.; Ching, Y.C.; Chuah, C.H.; Sabariah, J.J.; Lin, P. Fabrication of porous materials from natural/synthetic biopolymers and their composites. Materials 2016, 12, 991. [Google Scholar] [CrossRef] [PubMed]















| Group Number | Material |
|---|---|
| I | Ch/1% Hap/1% ZrO2 |
| II | 70% Ch/30% Hap + 1% ZrO2 |
| III | 70% Ch/30% Hap + 10% AgNps |
| IV | 30% Ch/70% Hap + 10% AgNps |
| V | 70% Ch/30% HAp |
| VI | 30% Ch/70% HAp |
| Wave Number (cm−1) | ||||||||
|---|---|---|---|---|---|---|---|---|
| Samples | P=O | PO43− | CO32− | –CH3; –CH2 | C=O; =N–H I/II | =N–H III | C–H “backbone” | –OH |
| Ch + 1% Hap + 1% ZrO2 | 1130–1150 | 600–500; 1032 | 2363 | 1400 | 1650 | 1267 | 2900–2880 | 3400–3000 |
| 70% Ch/30% Hap + 1% ZrO2 | 1130–1150 | 600–500; 1032 | 2363 | 1400 | 1650 | 1267 | 2900–2880 | 3400–3000 |
© 2019 by the authors. Licensee MDPI, Basel, Switzerland. This article is an open access article distributed under the terms and conditions of the Creative Commons Attribution (CC BY) license (http://creativecommons.org/licenses/by/4.0/).
Share and Cite
Daskalova, A.; Bliznakova, I.; Angelova, L.; Trifonov, A.; Declercq, H.; Buchvarov, I. Femtosecond Laser Fabrication of Engineered Functional Surfaces Based on Biodegradable Polymer and Biopolymer/Ceramic Composite Thin Films. Polymers 2019, 11, 378. https://doi.org/10.3390/polym11020378
Daskalova A, Bliznakova I, Angelova L, Trifonov A, Declercq H, Buchvarov I. Femtosecond Laser Fabrication of Engineered Functional Surfaces Based on Biodegradable Polymer and Biopolymer/Ceramic Composite Thin Films. Polymers. 2019; 11(2):378. https://doi.org/10.3390/polym11020378
Chicago/Turabian StyleDaskalova, Albena, Irina Bliznakova, Liliya Angelova, Anton Trifonov, Heidi Declercq, and Ivan Buchvarov. 2019. "Femtosecond Laser Fabrication of Engineered Functional Surfaces Based on Biodegradable Polymer and Biopolymer/Ceramic Composite Thin Films" Polymers 11, no. 2: 378. https://doi.org/10.3390/polym11020378
APA StyleDaskalova, A., Bliznakova, I., Angelova, L., Trifonov, A., Declercq, H., & Buchvarov, I. (2019). Femtosecond Laser Fabrication of Engineered Functional Surfaces Based on Biodegradable Polymer and Biopolymer/Ceramic Composite Thin Films. Polymers, 11(2), 378. https://doi.org/10.3390/polym11020378

