Tailoring the Microstructure and Mechanical Properties of Laser Directed Energy–Deposited Inconel 718 Alloys via Ultrasonic Frequency Modulation
Abstract
1. Introduction
2. Methods
2.1. Materials
2.2. UA-DED Setup and Procedure
2.3. Microstructure Characterization
2.4. Mechanical Property Assessment
3. Results
3.1. OM Analysis
3.2. XRD Analysis
3.3. SEM Analysis
3.4. EDS Analysis
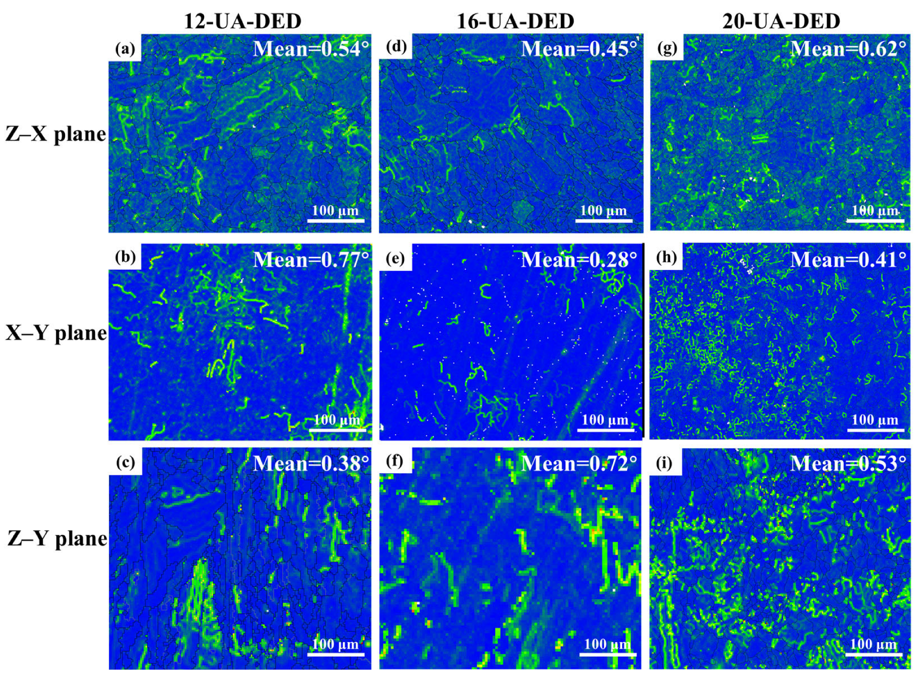
3.5. EBSD Analysis
3.6. X-Ray Residual Stress Analysis
3.7. Tensile Properties
4. Conclusions
Author Contributions
Funding
Data Availability Statement
Conflicts of Interest
References
- Hosseini, E.; Popovich, V.A. A review of mechanical properties of additively manufactured Inconel 718. Addit. Manuf. 2019, 30, 100877. [Google Scholar] [CrossRef]
- Panigrahi, S.K.; Sarangi, N.; Chandrasekhar, U. Experimental evaluation of overload capability of an annular combustor casing of a gas turbine engine. Exp. Tech. 2016, 40, 841–848. [Google Scholar] [CrossRef]
- Prasad, K.S.; Panda, S.K.; Kar, S.K.; Sen, M.; Murty, S.V.S.N.; Sharma, S.C. Microstructures, forming limit and failure analyses of Inconel 718 sheets for fabrication of aerospace components. J. Mater. Eng. Perform. 2017, 26, 1513–1530. [Google Scholar] [CrossRef]
- Deffley, R.J. Development of Processing Strategies for the Additive Layer Manufacture of Aerospace Components in Inconel 718. Ph.D. Thesis, University of Sheffield, Sheffield, UK, 2012. [Google Scholar]
- Kumar, S.P.; Elangovan, S.; Mohanraj, R.; Ramakrishna, J.R. A review on properties of Inconel 625 and Inconel 718 fabricated using direct energy deposition. Mater. Today Proc. 2021, 46, 7892–7906. [Google Scholar] [CrossRef]
- Alqawasmi, L.; Bijjala, S.T.; Khraishi, T.; Kumar, P. Mechanical property heterogeneity in Inconel 718 superalloy manufactured by directed energy deposition. J. Mater. Sci. 2024, 59, 5047–5065. [Google Scholar] [CrossRef]
- Godec, M.; Malej, S.; Feizpour, D.; Donik, Č.; Balažic, M.; Klobčar, D.; Pambaguian, L.; Conradi, M.; Kocijan, A. Hybrid additive manufacturing of Inconel 718 for future space applications. Mater. Charact. 2021, 172, 110842. [Google Scholar] [CrossRef]
- Cavalcante, T.R.F.; Mariani, F.E.; Diaz, J.A.A. Additive manufacturing of Inconel 718: A review on microstructures and mechanical properties of DED-LB-processed samples. J. Mater. Res. 2025, 1–23. [Google Scholar] [CrossRef]
- Chen, Y.; Zhou, Q. Directed energy deposition additive manufacturing of CoCrFeMnNi high-entropy alloy towards densification, grain structure control and improved tensile properties. Mater. Sci. Eng. A 2022, 860, 144272. [Google Scholar] [CrossRef]
- Ma, D.; Stoica, A.D.; Wang, Z.; Beese, A.M. Crystallographic texture in an additively manufactured nickel-base superalloy. Mater. Sci. Eng. A 2017, 684, 47–53. [Google Scholar] [CrossRef]
- Liu, W.; Zou, B.; Wang, X.; Ding, S.; Liu, J.; Li, L.; Huang, C.; Yao, P. Tailored microstructure and enhanced high temperature behavior of TiC/Inconel 718 composites through dual-gradient printing strategy in direct energy deposition. J. Mater. Process. Technol. 2025, 336, 118679. [Google Scholar] [CrossRef]
- Aydinöz, M.E.; Brenne, F.; Schaper, M.; Schaak, C.; Tillmann, W.; Nellesen, J.; Niendorf, T. On the microstructural and mechanical properties of post-treated additively manufactured Inconel 718 superalloy under quasi-static and cyclic loading. Mater. Sci. Eng. A 2016, 669, 246–258. [Google Scholar] [CrossRef]
- Wu, Z.; Narra, S.P.; Rollett, A. Exploring the fabrication limits of thin-wall structures in a laser powder bed fusion process. Int. J. Adv. Manuf. Technol. 2020, 110, 191–207. [Google Scholar] [CrossRef]
- Han, S.B.; Lee, Y.; Lee, H.; Jang, J.S.; Park, S.H.; Song, H. Tailoring solidification and strength enhancement through process parameter optimization in Nb-added 316L stainless steel fabricated by directed energy deposition (DED). J. Mater. Res. Technol. 2025, 39, 4532–4543. [Google Scholar] [CrossRef]
- Chen, Y.; Guo, Y.; Xu, M.; Ma, C.; Zhang, Q.; Wang, L.; Yao, J.; Li, Z. Study on the element segregation and Laves phase formation in the laser metal deposited IN718 superalloy by flat top laser and gaussian distribution laser. Mater. Sci. Eng. A 2019, 754, 339–347. [Google Scholar] [CrossRef]
- Schirra, J.J.; Caless, R.H.; Hatala, R.W. The effect of Laves phase on the mechanical properties. In Superalloys 718, 625 and Various Derivatives; The Minerals, Metals & Materials Society (TMS): Pittsburgh, PA, USA, 1991; pp. 375–388. [Google Scholar]
- Li, C.; Liu, Z.Y.; Fang, X.Y.; Guo, Y.B. Residual stress in metal additive manufacturing. Procedia CIRP 2018, 71, 348–353. [Google Scholar] [CrossRef]
- Wang, F.; Del Bosque, H.; Hyder, J.; Corliss, M.; Hung, W.N. Experimental investigation of porosity distribution in selective laser melted Inconel 718. Procedia Manuf. 2020, 48, 807–813. [Google Scholar] [CrossRef]
- Yang, Z.; Wang, S.; Zhu, L.; Ning, J.; Xin, B.; Dun, Y.; Yan, W. Manipulating molten pool dynamics during metal 3D printing by ultrasound. Appl. Phys. Rev. 2022, 9, 021416. [Google Scholar] [CrossRef]
- Zhang, W.; Xu, C.; Li, C.; Wu, S. Advances in ultrasonic-assisted directed energy deposition (DED) for metal additive manufacturing. Crystals 2024, 14, 114. [Google Scholar] [CrossRef]
- Yang, Z.; Zhu, L.; Dun, Y.; Ning, J.; Wang, S.; Xue, P.; Xu, P.; Yu, M.; Yan, B.; Xin, B. In-situ monitoring of the melt pool dynamics in ultrasound-assisted metal 3D printing using machine learning. Virtual Phys. Prototyp. 2023, 18, e2251453. [Google Scholar] [CrossRef]
- Fang, Y.; Yamamoto, T.; Komarov, S. Cavitation and acoustic streaming generated by different sonotrode tips. Ultrason. Sonochem. 2018, 48, 79–87. [Google Scholar] [CrossRef]
- Wang, S.; Kang, J.; Guo, Z.; Lee, T.L.; Zhang, X.; Wang, Q.; Deng, C.; Mi, J. In situ high speed imaging study and modelling of the fatigue fragmentation of dendritic structures in ultrasonic fields. Acta Mater. 2019, 165, 388–397. [Google Scholar] [CrossRef]
- Han, J.; Wang, S.; Ge, W.; Chen, H.; Sun, Y.; Ai, Y.; Yuan, W.; Ruan, S.; Niu, W.; Yang, H.; et al. Non-contact ultrasound to assist laser additive manufacturing. Nat. Commun. 2025, 16, 7613. [Google Scholar] [CrossRef] [PubMed]
- Zhang, T.; Li, P.; Zhou, J.; Wang, C.; Meng, X.; Huang, S. Microstructure evolution of laser cladding Inconel 718 assisted hybrid ultrasonic-electromagnetic field. Mater. Lett. 2021, 289, 129401. [Google Scholar] [CrossRef]
- Han, J.; Chen, H.; Huang, Y.; Xiang, L.; Tao, J.; Lin, X. Printability and grain refinement in stainless steel processed by non-contact ultrasound-assisted additive manufacturing. J. Mater. Res. Technol. 2025, 39, 548–557. [Google Scholar] [CrossRef]
- Ning, F.; Hu, Y.; Liu, Z.; Wang, X.; Li, Y.; Cong, W. Ultrasonic vibration-assisted laser engineered net shaping of Inconel 718 parts: Microstructural and mechanical characterization. J. Manuf. Sci. Eng. 2018, 140, 061012. [Google Scholar] [CrossRef]
- Yang, Z.; Zhu, L.; Ning, J.; Wang, S.; Xue, P.; Xu, P.; Dun, Y.; Xin, B.; Zhang, G. Revealing the Influence of Ultrasound/Heat Treatment on Microstructure Evolution and Tensile Failure Behavior in 3D-Printing of Inconel 718. J. Mater. Process. Technol. 2022, 305, 117574. [Google Scholar] [CrossRef]
- Zhou, H.; Yang, Y.; Han, C.; Liu, L.; Yan, Z.; Wei, Y.; Jiang, R.; Chen, X.; Wang, D. Microstructure and mechanical properties of GH4169 thin-walled parts fabricated by ultrasonic vibration assisted laser directed energy deposition/milling hybrid process. Thin-Walled Struct. 2024, 205, 112349. [Google Scholar] [CrossRef]
- Peng, B.; Zhang, X.; Zhang, M.; Chai, Z.; Ba, F.; Chen, X. Microstructure and mechanical property of thin-walled Inconel 718 parts fabricated by ultrasonic-assisted laser-directed energy deposition. Crystals 2025, 15, 815. [Google Scholar] [CrossRef]
- Yang, Z.; Zhu, L.; Wang, S.; Ning, J.; Dun, Y.; Meng, G.; Xue, P.; Xu, P.; Xin, B. Effects of ultrasound on multilayer forming mechanism of Inconel 718 in directed energy deposition. Addit. Manuf. 2021, 48, 102462. [Google Scholar] [CrossRef]
- Wang, Y.; Shi, B.; Xu, C.; Li, X.; Yu, Y.; Zhu, Z.; Xu, R. Ultrasonic-assisted laser directed energy deposition of Inconel 718 alloy. SSRN Prepr. 2025. [Google Scholar] [CrossRef]
- Wang, H.; Hu, Y.; Ning, F.; Cong, W. Ultrasonic vibration-assisted laser engineered net shaping of Inconel 718 parts: Effects of ultrasonic frequency on microstructural and mechanical properties. J. Mater. Process. Technol. 2020, 276, 116395. [Google Scholar] [CrossRef]
- Ning, F.; Jiang, D.; Liu, Z.; Wang, H.; Cong, W. Ultrasonic frequency effects on the melt pool formation, porosity, and thermal-dependent property of Inconel 718 fabricated by ultrasonic vibration-assisted directed energy deposition. J. Manuf. Sci. Eng. 2021, 143, 051009. [Google Scholar] [CrossRef]
- Postema, M.; Marmottant, P.; Lancée, C.T.; Hilgenfeldt, S.; de Jong, N. Ultrasound-induced microbubble coalescence. Ultrasound Med. Biol. 2004, 30, 1337–1344. [Google Scholar] [CrossRef] [PubMed]
- Ye, L.; Zhu, X.; He, Y. Micro-cutting force model of micro-jet induced by cavitation collapse in the ultrasonic field at micro-nano scale. Int. J. Adv. Manuf. Technol. 2022, 119, 3695–3702. [Google Scholar] [CrossRef]
- Van Reet, J.; Tunnell, K.; Anderson, K.; Kim, H.-C.; Kim, E.; Kowsari, K.; Yoo, S.-S. Evaluation of advective solute infiltration into porous media by pulsed focused ultrasound-induced acoustic streaming effects. Ultrasonography 2023, 43, 35–46. [Google Scholar] [CrossRef]
- Zhao, Z.; Li, L.; Yang, W.; Zeng, Y.; Lian, Y.; Yue, Z. A comprehensive study of the anisotropic tensile properties of laser additive manufactured Ni-based superalloy after heat treatment. Int. J. Plast. 2022, 148, 103147. [Google Scholar] [CrossRef]
- Sumiya, H.; Toda, N.; Nishibayashi, Y.; Satoh, S. Crystalline perfection of high purity synthetic diamond crystal. J. Cryst. Growth 1997, 178, 485–494. [Google Scholar] [CrossRef]
- Chai, Z.; Huang, X.; Xu, J.; Yu, Z.; Ji, V.; Jiang, C.; Chen, X. Kinetics and energetics of room-temperature microstructure in nanocrystalline Cu films: The grain-size dependent intragrain strain energy. J. Appl. Phys. 2022, 131, 5. [Google Scholar] [CrossRef]
- David, W.I.F.; Leoni, M.; Scardi, P. Domain size analysis in the Rietveld method. Mater. Sci. Forum 2010, 651, 187–200. [Google Scholar] [CrossRef]
- Abdel-Rahman, A.S.; Sabry, Y.A. An approach to the micro-strain distribution inside nanoparticle structure. Int. J. Non-Linear Mech. 2024, 161, 104670. [Google Scholar] [CrossRef]
- Li, P.; Wang, Z.; Diao, M.; Guo, C.; Wang, J.; Zhao, C.; Jiang, F. Dynamic recrystallization and recovery in very high-power ultrasonic additive manufacturing. Adv. Eng. Mater. 2021, 23, 2000958. [Google Scholar] [CrossRef]
- Alexander, A.J.; Camp, P.J. Single pulse, single crystal laser-induced nucleation of potassium chloride. Cryst. Growth Des. 2009, 9, 958–963. [Google Scholar] [CrossRef]
- Lee, J.; Yang, S. Antisolvent sonocrystallisation of sodium chloride and the evaluation of the ultrasound energy using modified classical nucleation theory. Crystals 2018, 8, 320. [Google Scholar] [CrossRef]
- Manikandan, S.G.K.; Sivakumar, D.; Rao, K.P.; Kamaraj, M. Effect of weld cooling rate on Laves phase formation in Inconel 718 fusion zone. J. Mater. Process. Technol. 2014, 214, 358–364. [Google Scholar] [CrossRef]
- Cieslak, M.J.; Knorovsky, G.A.; Headley, T.J.; Romig, A.D., Jr. The Solidification Metallurgy of Alloy 718 and Other Nb-Containing Superalloys; Technical Report; Sandia National Laboratories: Albuquerque, NM, USA, 1988. [Google Scholar]
- Xiao, H.; Li, S.; Han, X.; Mazumder, J.; Song, L. Laves phase control of Inconel 718 alloy using quasi-continuous-wave laser additive manufacturing. Mater. Des. 2017, 122, 330–339. [Google Scholar] [CrossRef]
- Li, X.; Fang, X.; Zhang, M.; Wang, B.; Huang, K. Enhanced strength–ductility synergy of magnesium alloy fabricated by ultrasound assisted directed energy deposition. J. Mater. Sci. Technol. 2024, 178, 247–261. [Google Scholar] [CrossRef]
- Guo, J.; Wang, J.; Cheng, L.; Duan, Y.; Zhan, X. Unravelling the mechanism of columnar-to-equiaxed transition and grain refinement in ultrasonic vibration assisted laser welding of Ti6Al4V titanium alloy. Ultrasonics 2024, 141, 107342. [Google Scholar] [CrossRef]
- Absar, S.; Pasumarthi, P.; Choi, H. Numerical and experimental studies about the effect of acoustic streaming on ultrasonic processing of metal matrix nanocomposites (MMNCs). J. Manuf. Process. 2017, 28, 515–522. [Google Scholar] [CrossRef]
- Yuan, K.; Sumi, Y. Simulation of residual stress and fatigue strength of welded joints under the effects of ultrasonic impact treatment (UIT). Int. J. Fatigue 2016, 92, 321–332. [Google Scholar] [CrossRef]
- Zhang, Q.; Yu, L.; Shang, X.; Zhao, S. Residual stress relief of welded aluminum alloy plate using ultrasonic vibration. Ultrasonics 2020, 107, 106164. [Google Scholar] [CrossRef]
- Giang, N.A.; Seupel, A.; Kuna, M.; Hütter, G. Dislocation pile-up and cleavage: Effects of strain gradient plasticity on micro-crack initiation in ferritic steel. Int. J. Fract. 2018, 214, 1–15. [Google Scholar] [CrossRef]
- Johnston, W.G.; Gilman, J.J. Dislocation velocities, dislocation densities, and plastic flow in lithium fluoride crystals. J. Appl. Phys. 1959, 30, 129–144. [Google Scholar] [CrossRef]
- Ghosh, A.K. Tensile instability and necking in materials with strain hardening and strain-rate hardening. Acta Metall. 1977, 25, 1413–1424. [Google Scholar] [CrossRef]
- Foster, B.K.; Beese, A.M.; Keist, J.S.; McHale, E.T.; Palmer, T.A. Impact of interlayer dwell time on microstructure and mechanical properties of nickel and titanium alloys. Metall. Mater. Trans. A 2017, 48, 4411–4422. [Google Scholar] [CrossRef]
- Hasani, N.; Dharmendra, C.; Sanjari, M.; Fazeli, F.; Amirkhiz, B.S.; Pirgazi, H.; Janaki Ram, G.D.; Mohammadi, M. Laser powder bed fused Inconel 718 in stress-relieved and solution heat-treated conditions. Mater. Charact. 2021, 181, 111499. [Google Scholar] [CrossRef]
- Chen, Y.Q.; Pan, S.P.; Zhou, M.Z.; Yi, D.Q.; Xu, D.Z.; Xu, Y.F. Effects of inclusions, grain boundaries and grain orientations on the fatigue crack initiation and propagation behavior of 2524-T3 Al alloy. Mater. Sci. Eng. A 2013, 580, 150–158. [Google Scholar] [CrossRef]
- Barrett, C.D.; El Kadiri, H.; Tschopp, M.A. Breakdown of the Schmid law in homogeneous and heterogeneous nucleation events of slip and twinning in magnesium. J. Mech. Phys. Solids 2012, 60, 2084–2099. [Google Scholar] [CrossRef]
- Jiang, J.; Britton, T.B.; Wilkinson, A.J. Evolution of intragranular stresses and dislocation densities during cyclic deformation of polycrystalline copper. Acta Mater. 2015, 94, 193–204. [Google Scholar] [CrossRef]
- Yang, B.; Wei, B.; Fu, W.; Ye, P.; Wang, X.; Fang, W.; Li, X.; Li, R.; Wu, H.; Fan, G. Effect of interfacial reaction layers on crack propagation behavior of Ti/Al layered metal composites in uniaxial tensile test from the perspective of local strain. Mater. Sci. Eng. A 2025, 942, 148669. [Google Scholar] [CrossRef]
- Bennani, B.; Picart, P.; Oudin, J. Some basic finite element analysis of microvoid nucleation, growth and coalescence. Eng. Comput. 1993, 10, 409–421. [Google Scholar] [CrossRef]

















| Elements | Cr | Nb | Mo | Al | Ti | Mn | Si | C | Fe | Ni |
|---|---|---|---|---|---|---|---|---|---|---|
| Inconel 718 powder | 19.79 | 5.13 | 2.95 | 0.52 | 1.07 | 0.01 | 0.04 | 0.03 | 17.45 | Bal. |
| Samples | Plane | FWHM of (111) Diffraction Peak (°) |
|---|---|---|
| 12-UA-DED | Z–X | 0.317 (±0.004) |
| 12-UA-DED | X–Y | 0.377 (±0.004) |
| 12-UA-DED | Z–Y | 0.372 (±0.004) |
| 16-UA-DED | Z–X | 0.359 (±0.005) |
| 16-UA-DED | X–Y | 0.313 (±0.004) |
| 16-UA-DED | Z–Y | 0.308 (±0.004) |
| 20-UA-DED | Z–X | 0.393 (±0.005) |
| 20-UA-DED | X–Y | 0.374 (±0.004) |
| 20-UA-DED | Z–Y | 0.304 (±0.003) |
| Position | Al | Ti | Cr | Fe | Nb | Mo | Ni |
|---|---|---|---|---|---|---|---|
| A (γ matrix) | 0.7 | 0.6 | 20.5 | 20.4 | 2.3 | 2.9 | Bal. |
| B (Laves) | 0.3 | 1.3 | 13.8 | 12.3 | 28.3 | 5.4 | Bal. |
| C (γ matrix) | 0.8 | 0.9 | 19.9 | 19.1 | 4 | 3 | Bal. |
| D (Laves) | 0.4 | 1.4 | 14.1 | 12.6 | 26.5 | 5.9 | Bal. |
| E (γ matrix) | 0.8 | 1.2 | 19.9 | 19 | 4.7 | 3.1 | Bal. |
| F (Laves) | 0.5 | 1.4 | 14.9 | 13.6 | 21.2 | 4.5 | Bal. |
Disclaimer/Publisher’s Note: The statements, opinions and data contained in all publications are solely those of the individual author(s) and contributor(s) and not of MDPI and/or the editor(s). MDPI and/or the editor(s) disclaim responsibility for any injury to people or property resulting from any ideas, methods, instructions or products referred to in the content. |
© 2026 by the authors. Licensee MDPI, Basel, Switzerland. This article is an open access article distributed under the terms and conditions of the Creative Commons Attribution (CC BY) license.
Share and Cite
Peng, B.; Zhang, M.; Zhang, X.; Chai, Z.; Ba, F.; Chen, X. Tailoring the Microstructure and Mechanical Properties of Laser Directed Energy–Deposited Inconel 718 Alloys via Ultrasonic Frequency Modulation. Crystals 2026, 16, 72. https://doi.org/10.3390/cryst16010072
Peng B, Zhang M, Zhang X, Chai Z, Ba F, Chen X. Tailoring the Microstructure and Mechanical Properties of Laser Directed Energy–Deposited Inconel 718 Alloys via Ultrasonic Frequency Modulation. Crystals. 2026; 16(1):72. https://doi.org/10.3390/cryst16010072
Chicago/Turabian StylePeng, Bo, Mengmeng Zhang, Xiaoqiang Zhang, Ze Chai, Fahai Ba, and Xiaoqi Chen. 2026. "Tailoring the Microstructure and Mechanical Properties of Laser Directed Energy–Deposited Inconel 718 Alloys via Ultrasonic Frequency Modulation" Crystals 16, no. 1: 72. https://doi.org/10.3390/cryst16010072
APA StylePeng, B., Zhang, M., Zhang, X., Chai, Z., Ba, F., & Chen, X. (2026). Tailoring the Microstructure and Mechanical Properties of Laser Directed Energy–Deposited Inconel 718 Alloys via Ultrasonic Frequency Modulation. Crystals, 16(1), 72. https://doi.org/10.3390/cryst16010072

