Abstract
Brazing is a joining process that involves melting a filler metal and flowing it into the joint between two closely fitting parts. While brazing is primarily used for joining metals, it can also be adapted for certain coating deposition applications. The present study investigates the microstructure and corrosion behavior and sliding wear resistance of WC (Tungsten Carbide)-CoCr-Ni reinforced Co-based composite coatings deposited onto the surface of AISI 904L stainless steel using a vacuum brazing method. The primary objective of this experimental work was to evaluate the influence of WC-based particles added to the microstructure and the properties of the brazed Co composite coating. The focus was on enhancing the sliding wear resistance of the coatings while ensuring that their corrosion resistance in chloride media was not adversely affected. The morphology and microstructure of the composite coatings were investigated using scanning electron microscopy (SEM) and phase identification by X-ray diffraction (XRD). The SEM analysis revealed in the coating the presence of intermetallic compounds and carbides, which increase the hardness of the material. The sliding wear resistance was assessed using the pin-on-disk method, and the corrosion properties were determined using electrochemical measurements. The results obtained showed that as the WC particle ratio in the Co-based composite coating increased, the mechanical properties improved, the alloy became harder, and the tribological properties were improved. The evaluation of the electrochemical tests revealed no significant alterations of the manufactured composite in comparison with the Co-based alloys. In all cases, the corrosion behavior was better compared with that of the stainless-steel substrate.
1. Introduction
Cobalt-based alloys exhibit outstanding overall characteristics, including high hardness and resistance to elevated temperatures. Nevertheless, the mechanical attributes of a single Co-based coating may fall short of fulfilling the demands imposed by mechanical components operating in harsh environments, such as thermal shock and severe wear [1]. Traditional strengthening techniques, including controlling chemical compositions, optimizing the casting process, and introducing trace alloying materials, are typically used to fix the issue [2]. However, this procedure is complicated with regard to selecting the types of chemical elements and the proportions added. Surface modification treatment has emerged as a viable technique to enhance material performance in particular applications by optimizing material surfaces [1,2,3,4,5]. It is generally acknowledged that coating the surface of designed components can enhance performance [6]. Adding reinforcement phases to Co-based coatings has become a development trend to increase hardness and further improve wear resistance [3,7].
Over the past few years, there has been progressive development of surface modification techniques, comprising methods such as laser cladding [8,9], thermal spraying [10,11], electrodeposition [12], the Plasma Transferred Arc welding method [13], etc.
Wang et al. [14] successfully fabricated Co-Ti3SiC2/Cu composite coatings onto the surface of 304 stainless steel by laser cladding to improve the tribological behavior of the latter. The results revealed the excellent mechanical properties of the deposited coatings, solving the wear problem of SUS304 steel. Moreover, Yan and collab. [15] prepared Co-based alloy/TiC/CaF2 self-lubricating composite coatings on copper for continuous casting molds, which demonstrated good friction-reducing and anti-wear abilities. Bartkowski et al. [16] used laser cladding to deposit Stellite-6-based composite coatings reinforced with different ratios of WC particles onto the surface of low-carbon steel. The coatings were characterized in terms of microstructure, corrosion resistance, and wear properties. Increasing the tungsten carbide content improved the hardness and wear resistance. Nerz et al. [17] found that high-velocity oxygen fuel (HVOF)-sprayed tungsten carbide-cobalt coatings, when subjected to heat treatment, demonstrated improved wear performance owing to the recrystallization of the amorphous matrix. Graf and collab. [13] focused on the characteristics and attributes of CoCrMoSi alloy coatings applied to high-carbon ductile iron GGG40 using the Plasma Transferred Arc technique. The results demonstrated that the coating hardness was positively influenced by dilution and Laves phase formation.
Among these deposition methods, brazing, a lesser-known but effective coating technique, offers unique solutions for applying functional coatings to surfaces [18]. These coatings, produced through high-temperature brazing, can be used to protect surfaces, even at high temperatures, and can be relatively smooth, eliminating the need for reworking [19]. Uțu et al. [20] explored the use of Co-based brazed alloy coatings for high-temperature protection, demonstrating their enhanced hot corrosion resistance and reduced material loss. These studies collectively highlight the potential of surface engineering methods and Co-based composite materials for enhancing material surface properties.
As a result, the purpose of this work aimed to conduct experimental analyses of cobalt-based composite coatings (Co) reinforced with different ratios of WC-CoCr-Ni particles (WC) deposited by vacuum brazing onto the surface of a stainless-steel substrate. The experiments were carried out to explore the microstructure, phase composition, hardness, sliding wear properties, and corrosion resistance of the Co-based coatings in relation to the quantity of WC particle addition and compared with the substrate.
2. Materials and Experimental Procedure
The commercial feedstock powder Amdry MM509B-C (−125 +45 µm) from Oerlikon Metco, Langenfeld, Germany, with the chemical composition Co 24Cr 10Ni 7W 3.5Ta 2.5B 0.6C was mechanically dry mixed for two hours with 10 wt.%, 20 wt.%, and 30 wt.% WC CoCr Ni 85 9 5 1 powder (−106+45 µm) from Thermico GmbH, Dortmund, Germany [21]. According to the supplier, the Co-based powder contains boron as a melt-depressant and is designed to be used for activated diffusion brazing applications [22].
After homogenization, the powder particles were mixed with a water-adhesive glue, “Aleene’s Tack-It Over and Over” from Aleene’s Duncan Enterprises Company, Fresno, CA, USA, and rolled (DRM 150 RE rolling mill from Durston, UK) to manufacture flexible composite tapes [19]. The resulting tapes, having a thickness of about 3 mm, were shaped by cutting and applied to the AISI 904L stainless-steel (Fe, <0.02% C, 19–23% Cr, 23–28% Ni, 4–5% Mo, <2.0% Mn, <1.0% Si, <0.045% p, <0.035% S, 1.0–2.0% Cu) substrate surface. Before applying the tapes, the substrate was ground with SiC-P1000 abrasive paper and further cleaned with acetone.
A controlled atmosphere furnace, HITERM 80–200 from HITEC Materials, Karlsruhe, Germany, with a water cooling wall was used to support the brazing process. The parameters used for the process were established based on the Amdry MM509B-C powder supplier’s recommendation [22], literature [23], and the authors’ own investigations [20]. The heat treatment program used for the experiments is presented in Figure 1.
Figure 1.
Heat−treatment cyclogram of the vacuum brazing process.
The heating procedure was carried out gradually using holding ramps to give the organic binder enough time to evaporate and the powder alloy enough time to melt and partially fill the spaces left by the organic binder’s breakdown.
After the brazing process, the samples were characterized by scanning electron microscopy (SEM) and energy dispersive analyses (EDAX) using SEM equipment (Quanta FEG 250, FEI, Hillsboro, OR, USA). The phase identification was carried out on a Philips/Panalytical X’Pert Diffraction system using Cu Kα radiation.
A tribometer from CSM Instruments, Switzerland, was used to assess the sliding wear characteristics of the coatings using the pin-on-disk method. The measurements were carried out in compliance with ASTM G99–17. On polished samples, tribological tests were performed with a normal force of F = 10 N, wear radius of 3 mm, linear speed of 10 cm/s, and 10,000 laps (118 m). A 6-mm-diameter WC-Co ball served as the wear partner. Using a laser scanning microscope (Keyence VK-X260K, Osaka, Japan), the depth profile of each wear track was measured to calculate the material loss volume after the wear tests.
The hardness measurements (HV0.3) were recorded on cross sections using ZHVμ micro Vickers equipment from Zwick/Roell.
Potentiodynamic measurements, obtained using a SP-150 galvanostat from Biologic, Seyssinet-Pariset, France, were used to test the electrochemical behavior of the coatings. A three-electrode cell was used, consisting of a platinum auxiliary electrode, a reference saturated calomel electrode, and the working electrode (sample). The measurements were performed in a 3.5% NaCl solution at room temperature. The sample surface exposed in the testing corrosive media was 1 cm2. Before property evaluation in terms of corrosion and wear resistance, the surface of the samples was polished to a roughness of about 1 µm.
3. Results and Discussion
3.1. Analysis of Brazed Coating Microstructures
The microstructures of the brazed coatings with 0 wt.%, 10 wt.%, 20 wt.%, and 30 wt.% WC are presented in the SEM micrographs in Figure 2. One can observe that all coatings reveal a dense homogenous microstructure with no visible defects like pores or microcracks. The coatings are well bonded to the substrate. A diffusion zone can be clearly identified at the interface between the substrate and coating. Despite the fact that the tapes were mechanically shaped to a 3 mm thickness during the vacuum heating process, the organic binder was evaporated, and the deposited material was melted and densified, the coating thickness decreased to values of about 2 mm. Also, it should be noted that during the brazing process, segregation of the WC particles (marked by arrows) on the surface of the coating, at different depths, was observed depending on their ratios. The largest distribution of the carbides in the coating depth occurred in the sample with the highest WC particle content (Figure 2d).
Figure 2.
SEM images of the brazed coatings: (a) Co+0% WC, (b) Co+10% WC, (c) Co+20% WC, (d) Co+30% WC.
From Figure 3, one can observe that the structure of the coating with WC particles added consisted of three distinct zones: in the upper layer a carbide-rich zone, whose thickness varied depending on the WC ratio, a transition zone, and the interface with the substrate, where a diffusion area is highlighted.
Figure 3.
SEM microstructural images of the brazed Co+20% WC-based composite coating.
The SEM micrographs in Figure 4 at different magnifications show that Co-based coating free from WC particles has a randomly oriented dendritic microstructure dispersed in a Co/Ni-based solid-solution matrix [20].
Figure 4.
SEM microstructural images (at different magnification) of the brazed Co+0% WC coating.
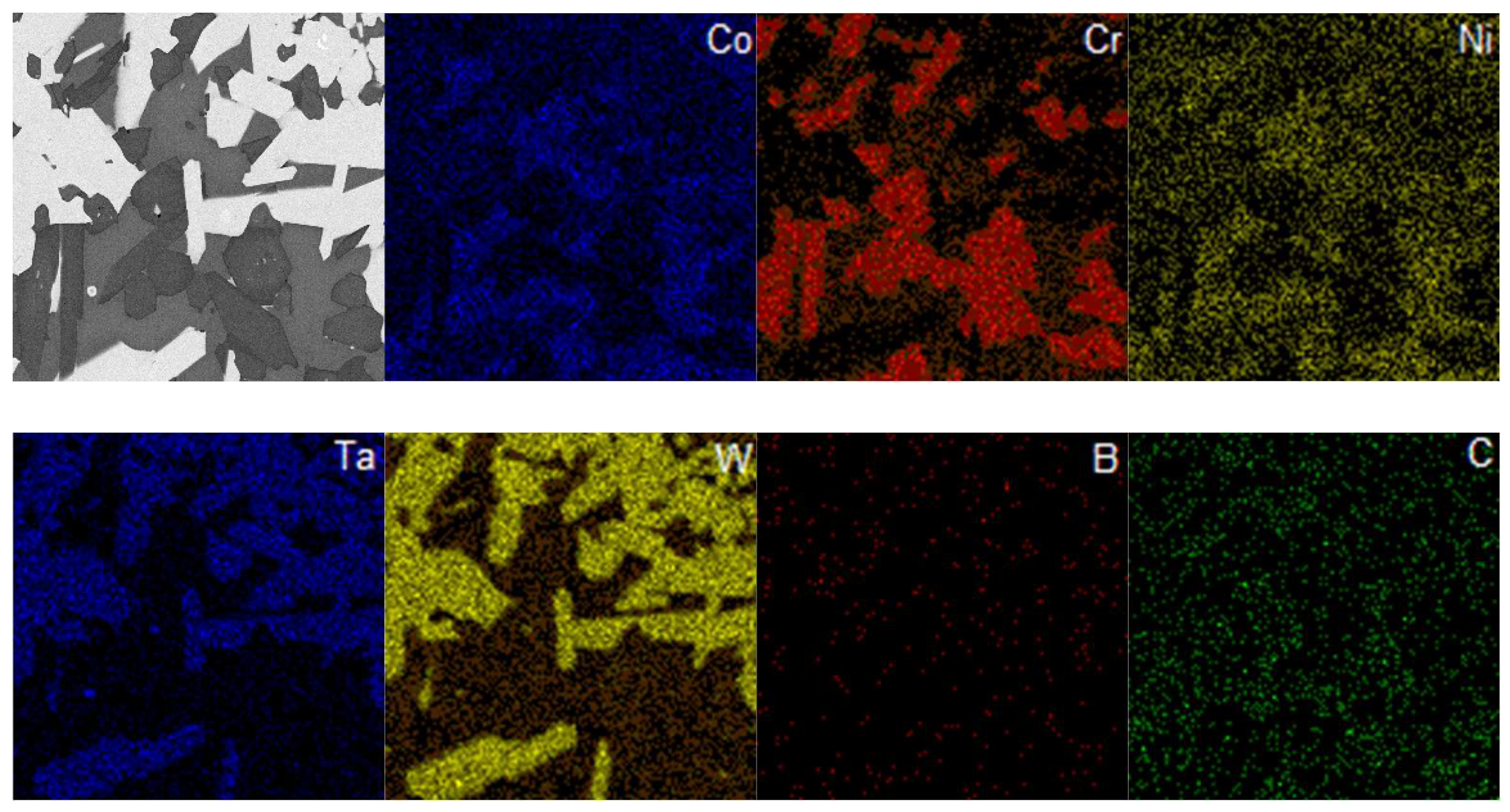
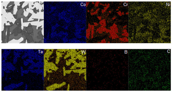
The EDX mapping analysis of the Co coatings with 0% WC (Figure 5) and 20% WC (Figure 6) revealed the distribution of the chemical elements. Correlating the microstructure from Figure 4 with the EDX analysis from Figure 5, it is noted that the light gray regions are attributed to the Co/Ni solid solution, while the dark gray area represents Cr-rich phases. The dendritic eutectic regions are W-rich phases. Some random white inclusions are identified as Ta-rich formations.
Figure 5.
Chemical element distributions of the Co+0% WC-brazed coating.
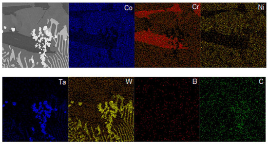
Figure 6.
Chemical element distribution of the Co+20% WC-brazed coating.
The EDX mapping for the Co+20% WC coating (Figure 6) was recorded in the upper region of the layer where WC carbides were segregated. The analysis demonstrates an increased amount of tungsten in the matrix.
3.2. X-ray Diffraction Measurements
XRD analysis was performed to compare the Co-based coatings containing 0% WC and 20% WC (Figure 7). For the Co-based coating with no added tungsten carbide particles (Figure 7a), the identified phases were Co-based solid solution, the intermetallic compounds (Laves phases) Cr3Ni and Co2W4, and the chromium carbide Cr7C3. In addition, for the Co+20% WC coating, some peaks corresponding to W2C carbides were recorded.
Figure 7.
Example XRD patterns of the Co-based coatings: (a) Co+0% WC, (b) Co+20% WC.
3.3. Hardness and Wear Measurements
The results of the hardness measurements recorded in the cross-sections of the samples are presented in Figure 8. The displayed histograms represent the average values measured in 10 points from the upper zone of the coating to the interface with the substrate and base material. One can observe that WC particle addition had a positive influence on the hardness of the material. The lowest values are observed for the Co coating with no carbide inclusions (approx. 500HV0.3) and the highest for the Co+30% WC coating (approx. 880 HV0.3). Higher amounts of WC particles resulted in the enrichment of the Co-based metallic matrix in carbon and tungsten by diffusion, thereby improving the hardness. All coatings exhibited higher hardness values compared with the stainless-steel substrate (approx. 185HV0.3).
Figure 8.
Hardness values of the samples.
The different hardness values directly impacted the sliding wear characteristics of the tested materials. Figure 9 illustrates the variation of the coefficient of friction (COF) for each tested material, while Figure 10 presents the wear rate calculated based on the volume of lost material. One can observe that the COF values for the base material did not stabilize throughout the testing period. While the Co coating without tungsten carbide (WC) addition stabilized after completing 70–80% of the testing laps, the Co-WC composite coating achieved a stable state after 35–40% of the testing laps. Overall, it is evident that the addition of WC-based powder particles decreased the values of the coefficient of friction compared with those of the substrate material and Co-based coating, respectively. Moreover, the presence of tungsten carbide particles led to the stabilization of the COF values during the sliding wear test.
Figure 9.
Variation of the coefficients of friction (COF) for the tested samples.
Figure 10.
Wear rate evolution of the tested materials.
From Figure 10, it can clearly be seen that the determined wear rate values correlate well with the hardness values and the coefficient of friction. The coating with the highest WC particle content (30 weight percent) among the evaluated samples showed the best sliding wear resistance and the least amount of material loss. Nevertheless, the deposition of coatings using cobalt composite materials significantly enhanced the wear resistance of the steel substrate, regardless of the content of added WC-based particles. The material loss was reduced up to 16 times (coating with 30% WC) compared with that of the substrate. It is known that tungsten carbides possess excellent wear resistance and high hardness. By dispersing these particles within the cobalt base matrix, they served as diffusion-strengthening agents, improving the tribological properties.
3.4. Electrochemical Corrosion Test
The corrosion behavior of the stainless-steel substrate, as well as of the Co-based composite coatings was assessed using the potentiodynamic polarization method in a chloride solution (3.5% NaCl). The electrochemical data, including corrosion potential (Ecorr) and corrosion current density (icorr), are presented in Table 1. Additionally, Figure 11 shows a comparison of the polarization curves.
Table 1.
Parameters recorded during electrochemical measurements.
Figure 11.
Polarization curves of the tested materials.
AISI 904L substrate is a highly corrosion-resistant austenitic stainless steel that has wide applications in industries where resistance to aggressive environments is critical.
It is clear from analyzing the polarization curves (Figure 10) and the electrochemical data parameters (Table 1) that the coating deposition does not change the steel substrate’s corrosion capabilities. Moreover, the Co coating without WC particle addition showed better electrochemical properties compared with that of the substrate. The current density values slightly decreased from 0.148 µA/cm2 for the substrate to 0.133 µA/cm2 for the free WC Co coating. The addition of tungsten carbides into the Co coating did not significantly affect the corrosion resistance. The highest current density of 0.232 µA/cm2 was recorded for the Co coating with 30% WC. For the coatings with WC particles, the corrosion potential values were moved slightly to the left.
4. Conclusions
Cobalt composite coatings containing 0%, 10%, 20, and 30% WC were manufactured using a vacuum brazing method on a stainless-steel substrate and analyzed in terms of surface characteristics and microstructure. The outcomes demonstrated that brazing might be an economical surface technique to create coatings with improved resistance to sliding wear and corrosion.
The deposited coatings, which were well bonded to the substrate, showed dense and homogenous microstructures with no visible defects like pores or microcracks. Segregation of the WC particles at the surface of the coating was observed depending on their ratio.
The tribological properties of the four brazed coatings were significantly enhanced compared with that of the substrate. The inclusion of the ceramic particles improved the wear rate by lowering the mass loss and coefficient of friction in the Co-based composite coating. The best wear resistance was recorded by the Co+30% WC coating.
The substrate and the brazed depositions exhibited similar corrosion behaviors in an aqueous solution containing 3.5% NaCl. The electrochemical properties remained almost unaffected by the presence of WC ceramic particles.
According to the experimental results, AISI 904L stainless steel can benefit from surface protection through vacuum brazing of Co-based composite coatings, which improves the material’s sliding wear behavior without affecting its strong corrosion resistance.
Author Contributions
Conceptualization, I.-D.U.; methodology, I.-D.U., I.H. and G.M.; investigation, I.-D.U., I.-M.A., I.H. and G.M.; writing—original draft preparation, I.-D.U. and I.-M.A.; writing—review and editing, I.-D.U., I.-M.A., I.H. and G.M.; visualization, I.-D.U., I.-M.A., I.H. and G.M.; supervision, I.-D.U. All authors have read and agreed to the published version of the manuscript.
Funding
This research received no external funding.
Data Availability Statement
Data are contained within the article.
Conflicts of Interest
The authors declare no conflicts of interest.
References
- Chang, W.; Xiao, G.; Zhang, H.; Chen, H.; Yi, M.; Zhang, J.; Chen, Z.; Xu, C. Microstructure and properties of graphene reinforced co-based composite coating by laser cladding. Surf. Coat. Technol. 2023, 453, 129139. [Google Scholar] [CrossRef]
- Li, D.; Zhang, Z.; Cui, X.; Feng, L.; Zhang, D.; Jin, G.; Liu, J.; Zheng, W. Effect of graphite/CeO2 on microstructure and tribological property of plasma cladded Co-based coatings. Mater. Chem. Phys. 2022, 280, 125756. [Google Scholar] [CrossRef]
- Zhou, J.; Kong, D. Friction–wear performances and oxidation behaviors of Ti3AlC2 reinforced Co–based alloy coatings by laser cladding. Surf. Coat. Technol. 2021, 408, 126816. [Google Scholar] [CrossRef]
- Pogrebnjak, A.D.; Ruzimov, S.M.; Alontseva, D.L.; Żukowski, P.; Karwat, C.; Kozak, C.; Kolasik, M. Structure and properties of coatings on Ni base deposited using a plasma jet before and after electron beam irradiation. Vacuum 2007, 81, 1243–1251. [Google Scholar] [CrossRef]
- Pogrebnyak, A.D.; Tyurin, Y.N. Modification of material properties and coating deposition using plasma jets. Physics-Uspekhi 2005, 48, 487–514. [Google Scholar] [CrossRef]
- Di, R.; Zhang, J.; Qian, Z.; Fang, Y.; Tian, H.; Song, H.; Lei, J. Effect of WC-12Co on the mechanical and wear performance of laser melting deposition nickel-based alloy. Opt. Laser Technol. 2022, 152, 108094. [Google Scholar] [CrossRef]
- Ardila, L.C.; Dueñas, R.; Orozco, G.; Olaya, J.J.; Ordoñez, A.F.; Moreno, C.M.; Pineda, Y. Influence of Si Addition on the Chemical and Tribological Performance of TiAlCrN Coating Deposited by Co-Sputtering. Crystals 2023, 13, 1666. [Google Scholar] [CrossRef]
- Nurminen, J.; Näkki, J.; Vuoristo, P. Microstructure and properties of hard and wear resistant MMC coatings deposited by laser cladding. Int. Conf. Sci. Hard Mater. 2009, 27, 472–478. [Google Scholar] [CrossRef]
- Verwimp, J.; Rombouts, M.; Geerinckx, E.; Motmans, F. Applications of laser cladded WC-based wear resistant coatings. Phys. Proc. A 2011, 12, 330–336. [Google Scholar] [CrossRef]
- Kong, G.; Zhang, D.; Brown, P.D.; McCartney, D.G.; Harris, S.J. Microstructural characterisation of high velocity oxyfuel thermally sprayed Stellite 6. Mater. Sci. Technol. 2003, 19, 1003–1011. [Google Scholar] [CrossRef]
- Singh Sidhu, H.; Singh Sidhu, B.; Prakash, S. Solid particle erosion of HVOF sprayed NiCr and Stellite-6 coatings. Surf. Coat. Technol. 2007, 202, 232–238. [Google Scholar] [CrossRef]
- Zhang, D.; Cui, X.; Jin, G.; Jiao, Y.; Li, D. Preparation, deposited behavior and hydrophobic property of modified graphene oxide reinforced Ni composite coatings by magnetic field assisted electro-brush plating. Surf. Coat. Technol. 2020, 403, 126363. [Google Scholar] [CrossRef]
- Graf, K.; Tetzlaff, U.; Biscaia de Souza, G.; Scheid, A. Effect of Dilution on the Microstructure and Properties of CoCrMoSi alloy Coatings Processed on High-Carbon Substrate. Mater. Res. 2019, 22, e20180502. [Google Scholar] [CrossRef]
- Wang, G.; Liua, X.-B.; Zhu, G.-X.; Zhu, Y.; Liu, Y.-L.; Zhang, L.; Wang, J.-L. Tribological study of Ti3SiC2/Cu5Si/TiC reinforced Co-based coatings on SUS304 steel by laser cladding. Surf. Coat. Technol. 2022, 432, 128064. [Google Scholar] [CrossRef]
- Yan, H.; Zhang, J.; Zhang, P.; Yu, Z.; Li, C.; Xu, P.; Lu, Y. Laser cladding of Co-based alloy/TiC/CaF2 self-lubricating composite coatings on copper for continuous casting mold. Surf. Coat. Technol. 2013, 232, 362–369. [Google Scholar] [CrossRef]
- Bartkowski, D.; Młynarczak, A.; Piasecki, A.; Dudziak, B.; Gościański, M.; Bartkowska, A. Microstructure, microhardness and corrosion resistance of Stellite-6 coatings reinforced with WC particles using laser cladding. Opt. Laser Technol. 2015, 68, 191–201. [Google Scholar] [CrossRef]
- Nerz, J.; Kushner, B.; Rotolico, A. Microstructural evaluation of tungsten carbide-cobalt coatings. J. Therm. Spray Technol. 1992, 1, 147–152. [Google Scholar] [CrossRef]
- Krappitz, H. 15—Coating Techniques Using Brazing; Advances in Brazing Science, Technology and Applications; Woodhead Publishing Series in Welding and Other Joining Technologies; Woodhead Publishing: Cambridge, UK, 2013; pp. 472–497. [Google Scholar]
- Rass, I. Functional Coatings Made by Brazing. In Thermal Spray 2022: Proceedings from the International Thermal Spray Conference; Paper No: itsc2022p0601; ASM International: Materials Park, OH, USA, 2022; pp. 601–606. [Google Scholar]
- Uțu, I.D.; Hulka, I.; Kazamer, N.; Constantin, A.; Mărginean, G. Hot-Corrosion and Particle Erosion Resistance of Co-Based Brazed Alloy Coatings. Crystals 2022, 12, 762. [Google Scholar] [CrossRef]
- Anghel, I.-M.; Uțu, I.D.; Pascu, A.; Hulka, I.; Woelk, D.H.; Mărginean, G. Microstructure and properties of Co based laser cladded composite coatings. Mater. Test. 2024, 66, 665–674. [Google Scholar] [CrossRef]
- Amdry MM509B-C Cobalt Braze Alloy Powder. Available online: https://www.metcojoiningcladding.com/en/materials-e-guide/amdry-mm509b-c/ (accessed on 20 May 2024).
- Pascal, D.-T. Development of High Temperature Vacuum Brazed WC-Co-NiP Functional Composite Coatings. Ph.D. Thesis, University Politehnica Timisoara, Timisoara, Romania, 2017. [Google Scholar]
Disclaimer/Publisher’s Note: The statements, opinions and data contained in all publications are solely those of the individual author(s) and contributor(s) and not of MDPI and/or the editor(s). MDPI and/or the editor(s) disclaim responsibility for any injury to people or property resulting from any ideas, methods, instructions or products referred to in the content. |
© 2024 by the authors. Licensee MDPI, Basel, Switzerland. This article is an open access article distributed under the terms and conditions of the Creative Commons Attribution (CC BY) license (https://creativecommons.org/licenses/by/4.0/).










