Landscape of 4D Cell Interaction in Hodgkin and Non-Hodgkin Lymphomas
Abstract
Simple Summary
Abstract
1. Introduction
2. Materials and Methods
2.1. Embedding and Live Cell Imaging
2.2. Data Analysis
3. Results
3.1. Cases
3.2. PD1-Positive T Cells Move Faster Than CD20-Positive B Cells and CD30-Positive Cells
3.3. B Cells Are Faster in Reactive Than in Neoplastic Conditions
3.4. The Fastest PD1-Positive T Cells Occur in NLPHL and MCL
3.5. CD30-Positive Normal Cells Move Faster Than CD30-Positive Lymphoma Cells
3.6. The Number of Contacts between B Cells and T Cells Is Similar in Reactive and Neoplastic Conditions
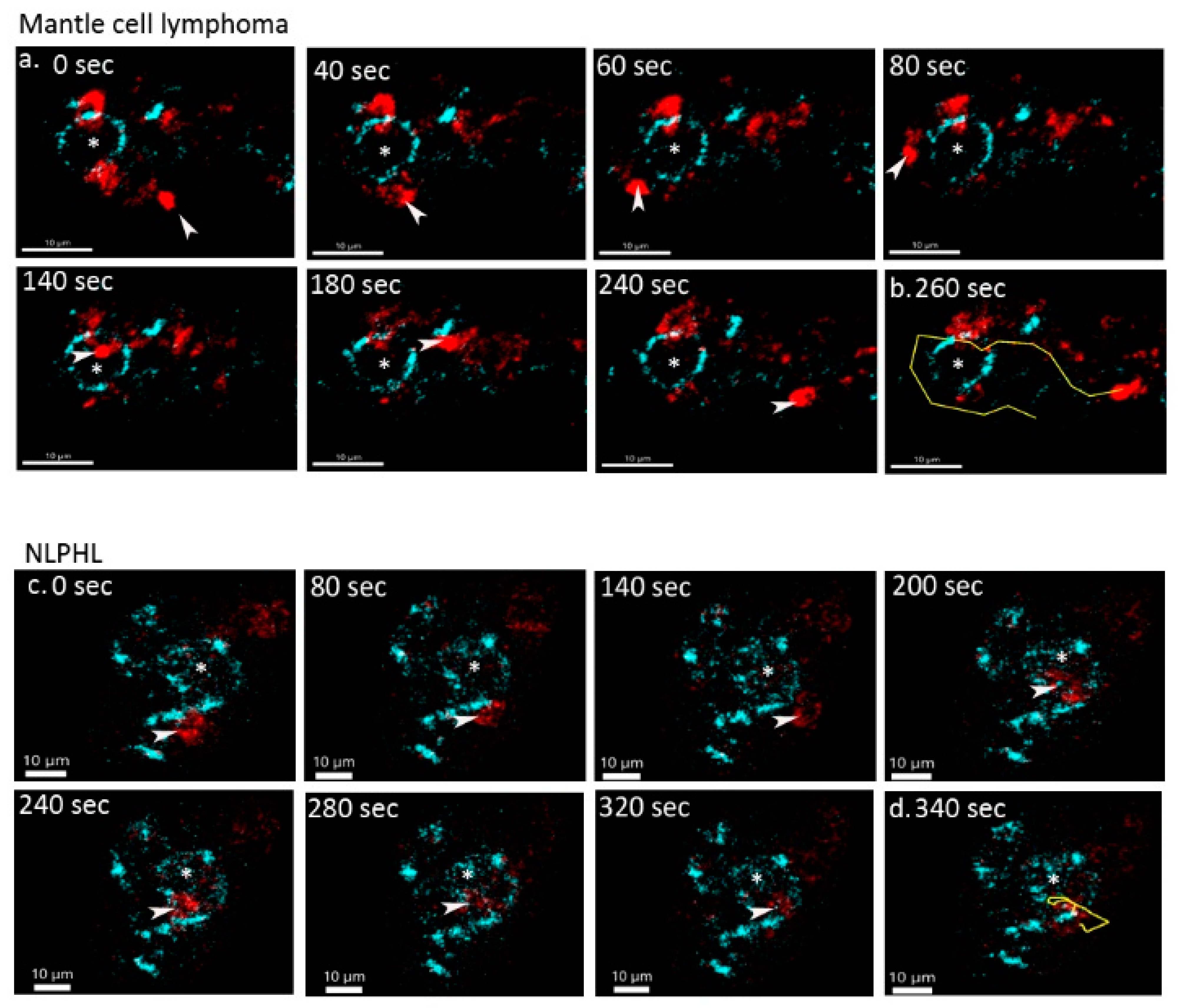
3.7. Different Lymphoma Entities Differ in the Duration and Manner of Cell–Cell Contacts
4. Discussion
5. Conclusions
Supplementary Materials
Author Contributions
Funding
Institutional Review Board Statement
Informed Consent Statement
Data Availability Statement
Acknowledgments
Conflicts of Interest
References
- Swerdlow, S.H.; Campo, E.; Harris, N.L.; Jaffee, E.S.; Pileri, S.A.; Stein, H.; Thiele, J.; Arber, D.A.; Hasserjian, R.P.; le Beau, M.M.; et al. WHO Classification of Tumours of Haematopoietic and Lymphoid Tissues; International Agency for Research on Cancer: Lyon, France, 2017. [Google Scholar]
- Swerdlow, S.H.; Campo, E.; Pileri, S.A.; Harris, N.L.; Stein, H.; Siebert, R.; Advani, R.; Ghielmini, M.; Salles, G.A.; Zelenetz, A.D.; et al. The 2016 revision of the World Health Organization classification of lymphoid neoplasms. Blood 2016, 127, 2375–2390. [Google Scholar] [CrossRef]
- Chapuy, B.; Stewart, C.; Dunford, A.J.; Kim, J.; Kamburov, A.; Redd, R.A.; Lawrence, M.S.; Roemer, M.G.M.; Li, A.J.; Ziepert, M.; et al. Molecular subtypes of diffuse large B cell lymphoma are associated with distinct pathogenic mechanisms and outcomes. Nat. Med. 2018, 24, 679–690. [Google Scholar] [CrossRef]
- Wright, G.W.; Huang, D.W.; Phelan, J.D.; Coulibaly, Z.A.; Roulland, S.; Young, R.M.; Wang, J.Q.; Schmitz, R.; Morin, R.; Tang, J.; et al. A Probabilistic Classification Tool for Genetic Subtypes of Diffuse Large B Cell Lymphoma with Therapeutic Implications. Cancer Cell 2020, 37, 551–568.e14. [Google Scholar] [CrossRef]
- Iqbal, J.; Wright, G.; Wang, C.; Rosenwald, A.; Gascoyne, R.D.; Weisenburger, D.D.; Greiner, T.C.; Smith, L.; Guo, S.; Wilcox, R.A.; et al. Gene expression signatures delineate biological and prognostic subgroups in peripheral T-cell lymphoma. Blood 2014, 123, 2915–2923. [Google Scholar] [CrossRef] [PubMed]
- Pastore, A.; Jurinovic, V.; Kridel, R.; Hoster, E.; Staiger, A.M.; Szczepanowski, M.; Pott, C.; Kopp, N.; Murakami, M.; Horn, H.; et al. Integration of gene mutations in risk prognostication for patients receiving first-line immunochemotherapy for follicular lymphoma: A retrospective analysis of a prospective clinical trial and validation in a population-based registry. Lancet Oncol. 2015, 16, 1111–1122. [Google Scholar] [CrossRef]
- Lammermann, T.; Sixt, M. Mechanical modes of ‘amoeboid’ cell migration. Curr. Opin. Cell Biol. 2009, 21, 636–644. [Google Scholar] [CrossRef] [PubMed]
- Karolak, A.; Markov, D.A.; McCAWLEY, L.J.; Rejniak, K.A. Towards personalized computational oncology: From spatial models of tumour spheroids, to organoids, to tissues. J. R. Soc. Interface 2018, 15, 20170703. [Google Scholar] [CrossRef] [PubMed]
- Krummel, M.F.; Bartumeus, F.; Gérard, A. T cell migration, search strategies and mechanisms. Nat. Rev. Immunol. 2016, 16, 193–201. [Google Scholar] [CrossRef] [PubMed]
- Redondo-Muñoz, J.; García-Pardo, A.; Teixidó, J. Molecular Players in Hematologic Tumor Cell Trafficking. Front. Immunol. 2019, 10, 156. [Google Scholar] [CrossRef]
- Body, S.; Arenys, A.E.; Miloudi, H.; Recasens-Zorzo, C.; Tchakarska, G.; Moros, A.; Bustany, S.; Vidal-Crespo, A.; Rodriguez, V.; Lavigne, R.; et al. Cytoplasmic cyclin D1 controls the migration and invasiveness of mantle lymphoma cells. Sci. Rep. 2017, 7, 1–12. [Google Scholar] [CrossRef]
- Corcione, A.; Arduino, N.; Ferretti, E.; Raffaghello, L.; Roncella, S.; Rossi, D.; Fedeli, F.; Ottonello, L.C.; Trentin, L.; Dallegri, F.; et al. CCL19 and CXCL12 Trigger in Vitro Chemotaxis of Human Mantle Cell Lymphoma B Cells. Clin. Cancer Res. 2004, 10, 964–971. [Google Scholar] [CrossRef][Green Version]
- Ding, N.; Ping, L.; Feng, L.; Zheng, X.; Song, Y.; Zhu, J. Histone deacetylase 6 activity is critical for the metastasis of Burkitt’s lymphoma cells. Cancer Cell Int. 2014, 14, 139. [Google Scholar] [CrossRef]
- Lu, X.; Chen, J.; Malumbres, R.; Gil, E.C.; Helfman, D.M.; Lossos, I.S. HGAL, a lymphoma prognostic biomarker, interacts with the cytoskeleton and mediates the effects of IL-6 on cell migration. Blood 2007, 110, 4268–4277. [Google Scholar] [CrossRef] [PubMed]
- Linke, F.; Zaunig, S.; Nietert, M.; Von Bonin, F.; Lutz, S.; Dullin, C.; Janovská, P.; Beissbarth, T.; Alves, F.; Klapper, W.; et al. WNT5A: A motility-promoting factor in Hodgkin lymphoma. Oncogene 2016, 36, 13–23. [Google Scholar] [CrossRef] [PubMed]
- Van Loo, P.; Tousseyn, T.; Vanhentenrijk, V.; Dierickx, D.; Malecka, A.; Bempt, I.V.; Verhoef, G.; Delabie, J.; Marynen, P.; Matthys, P.; et al. T-cell/histiocyte-rich large B-cell lymphoma shows transcriptional features suggestive of a tolerogenic host immune response. Haematologica 2009, 95, 440–448. [Google Scholar] [CrossRef]
- Calabretta, E.; D’Amore, F.; Carlo-Stella, C. Immune and Inflammatory Cells of the Tumor Microenvironment Represent Novel Therapeutic Targets in Classical Hodgkin Lymphoma. Int. J. Mol. Sci. 2019, 20, 5503. [Google Scholar] [CrossRef]
- Lenz, G.; Wright, G.; Dave, S.; Xiao, W.; Powell, J.; Zhao, H.; Xu, W.; Tan, B.; Goldschmidt, N.; Iqbal, J.; et al. Stromal Gene Signatures in Large-B-Cell Lymphomas. N. Engl. J. Med. 2008, 359, 2313–2323. [Google Scholar] [CrossRef] [PubMed]
- Kumar, D.; Xu, M.L. Microenvironment Cell Contribution to Lymphoma Immunity. Front. Oncol. 2018, 8, 288. [Google Scholar] [CrossRef]
- Townsend, W.; Pasikowska, M.; Yallop, D.; Phillips, E.; Patten, P.; Salisbury, J.; Marcus, R.; Pepper, A.; Devereux, S. The architecture of neoplastic follicles in follicular lymphoma; analysis of the relationship between the tumor and follicular helper T cells. Haematologica 2019, 105, 1593–1603. [Google Scholar] [CrossRef]
- Bein, J.; Thurner, L.; Hansmann, M.; Hartmann, S. Lymphocyte predominant cells of nodular lymphocyte predominant Hodgkin lymphoma interact with rosetting T cells in an immunological synapse. Am. J. Hematol. 2020, 95, 1495–1502. [Google Scholar] [CrossRef]
- Laurent, C.; Fazilleau, N.; Brousset, P. A novel subset of T-helper cells: Follicular T-helper cells and their markers. Haematologica 2010, 95, 356–358. [Google Scholar] [CrossRef] [PubMed]
- Qin, L.; Waseem, T.; Sahoo, A.; Bieerkehazhi, S.; Zhou, H.; Galkina, E.V.; Nurieva, R. Insights Into the Molecular Mechanisms of T Follicular Helper-Mediated Immunity and Pathology. Front. Immunol. 2018, 9, 1884. [Google Scholar] [CrossRef] [PubMed]
- Donnadieu, E.; Michel, Y.; Hansmann, M.-L. Live Imaging of Resident T-Cell Migration in Human Lymphoid Tissue Slices Using Confocal Microscopy. In T-Cell Motility; Humana Press: New York, NY, USA, 2019; Volume 1930, pp. 75–82. [Google Scholar] [CrossRef]
- Donnadieu, E.; Reisinger, K.B.; Scharf, S.; Michel, Y.; Bein, J.; Hansen, S.; Loth, A.G.; Flinner, N.; Hartmann, S.; Hansmann, M.-L. Landscape of T Follicular Helper Cell Dynamics in Human Germinal Centers. J. Immunol. 2020, 205, 1248–1255. [Google Scholar] [CrossRef]
- Miller, M.J.; Wei, S.H.; Parker, I.; Cahalan, M.D. Two-Photon Imaging of Lymphocyte Motility and Antigen Response in Intact Lymph Node. Science 2002, 296, 1869–1873. [Google Scholar] [CrossRef]
- Stoll, S.; Delon, J.; Brotz, T.; Germain, R.N. Dynamic Imaging of T Cell-Dendritic Cell Interactions in Lymph Nodes. Science 2002, 296, 1873–1876. [Google Scholar] [CrossRef]
- Liu, Y.; Razak, F.R.A.; Terpstra, M.; Chan, F.C.; Saber, A.; Nijland, M.; Van Imhoff, G.; Visser, L.; Gascoyne, R.; Steidl, C.; et al. The mutational landscape of Hodgkin lymphoma cell lines determined by whole-exome sequencing. Leukemia 2014, 28, 2248–2251. [Google Scholar] [CrossRef]
- Vallois, D.; Dobay, M.P.D.; Morin, R.D.; Lemonnier, F.; Missiaglia, E.; Juilland, M.; Iwaszkiewicz, J.; Fataccioli, V.; Bisig, B.; Roberti, A.; et al. Activating mutations in genes related to TCR signaling in angioimmunoblastic and other follicular helper T-cell–derived lymphomas. Blood 2016, 128, 1490–1502. [Google Scholar] [CrossRef] [PubMed]
- Fowell, D.J.; Kim, M. The spatio-temporal control of effector T cell migration. Nat. Rev. Immunol. 2021, 21, 582–596. [Google Scholar] [CrossRef]
- Friedl, P.; Bröcker, E.-B. TCR triggering on the move: Diversity of T-cell interactions with antigen-presenting cells. Immunol. Rev. 2002, 186, 83–89. [Google Scholar] [CrossRef]
- Dustin, M.L. Visualization of Cell-Cell Interaction Contacts-Synapses and Kinapses. Multichain Immune Recognit. Recept. Signal. 2008, 640, 164–182. [Google Scholar] [CrossRef]
- Jares, P.; Colomer, D.; Campo, E. Genetic and molecular pathogenesis of mantle cell lymphoma: Perspectives for new targeted therapeutics. Nat. Rev. Cancer 2007, 7, 750–762. [Google Scholar] [CrossRef] [PubMed]
- Alikhan, M.; Song, J.Y.; Sohani, A.R.; Moroch, J.; Plonquet, A.; Duffield, A.S.; Borowitz, M.J.; Jiang, L.; Bueso-Ramos, C.; Inamdar, K.; et al. Peripheral T-cell lymphomas of follicular helper T-cell type frequently display an aberrant CD3−/dimCD4+ population by flow cytometry: An important clue to the diagnosis of a Hodgkin lymphoma mimic. Mod. Pathol. 2016, 29, 1173–1182. [Google Scholar] [CrossRef] [PubMed]
- Heavican, T.B.; Bouska, A.; Yu, J.; Lone, W.; Amador, C.; Gong, Q.; Zhang, W.; Li, Y.; Dave, B.J.; Nairismägi, M.-L.; et al. Genetic drivers of oncogenic pathways in molecular subgroups of peripheral T-cell lymphoma. Blood 2019, 133, 1664–1676. [Google Scholar] [CrossRef] [PubMed]





| CD20 | PD1 | CD3 | CD19 | CD30 | |||||||||||
|---|---|---|---|---|---|---|---|---|---|---|---|---|---|---|---|
| Lymph Node Type | Number of Movies | From Number of Cases | Number of Cells Analyzed in Total | Number of Movies | From Number of Cases | Number of Cells Analyzed in Total | Number of Movies | From Number of Cases | Number of Cells Analyzed in Total | Number of Movies | From Number of Cases | Number of Cells Analyzed in Total | Number of Movies | From Number of Cases | Number of Cells Analyzed in Total |
| Lymphadenitis | 12 | 4 | 1609 | 16 | 5 | 3760 | 14 | 5 | 6337 | 11 | 4 | 2768 | 2 | 1 | 78 |
| AITL | 6 | 1 | 1689 | 7 | 1 | 5113 | - | - | - | - | - | - | 5 | 1 | 1289 |
| DLBCL | 4 | 1 | 665 | 11 | 2 | 2855 | 8 | 2 | 3845 | 8 | 2 | 2340 | 3 | 1 | 264 |
| MGZL | 3 | 2 | 1068 | 12 | 2 | 2282 | 7 | 2 | 2090 | - | - | - | 12 | 2 | 1557 |
| cHL | 20 | 3 | 3438 | 20 | 3 | 11296 | 3 | 2 | 799 | 2 | 1 | 420 | 23 | 3 | 1661 |
| NLPHL | 7 | 2 | 1029 | 9 | 2 | 11486 | 4 | 2 | 1837 | - | - | - | - | - | - |
| FL | - | - | - | 3 | 2 | 1409 | - | - | - | 4 | 1 | 1794 | - | - | - |
| MCL | 3 | 1 | 583 | 5 | 1 | 4416 | 2 | 1 | 446 | - | - | - | 2 | 1 | 177 |
Publisher’s Note: MDPI stays neutral with regard to jurisdictional claims in published maps and institutional affiliations. |
© 2021 by the authors. Licensee MDPI, Basel, Switzerland. This article is an open access article distributed under the terms and conditions of the Creative Commons Attribution (CC BY) license (https://creativecommons.org/licenses/by/4.0/).
Share and Cite
Hartmann, S.; Scharf, S.; Steiner, Y.; Loth, A.G.; Donnadieu, E.; Flinner, N.; Poeschel, V.; Angel, S.; Bewarder, M.; Bein, J.; et al. Landscape of 4D Cell Interaction in Hodgkin and Non-Hodgkin Lymphomas. Cancers 2021, 13, 5208. https://doi.org/10.3390/cancers13205208
Hartmann S, Scharf S, Steiner Y, Loth AG, Donnadieu E, Flinner N, Poeschel V, Angel S, Bewarder M, Bein J, et al. Landscape of 4D Cell Interaction in Hodgkin and Non-Hodgkin Lymphomas. Cancers. 2021; 13(20):5208. https://doi.org/10.3390/cancers13205208
Chicago/Turabian StyleHartmann, Sylvia, Sonja Scharf, Yvonne Steiner, Andreas G. Loth, Emmanuel Donnadieu, Nadine Flinner, Viola Poeschel, Stephanie Angel, Moritz Bewarder, Julia Bein, and et al. 2021. "Landscape of 4D Cell Interaction in Hodgkin and Non-Hodgkin Lymphomas" Cancers 13, no. 20: 5208. https://doi.org/10.3390/cancers13205208
APA StyleHartmann, S., Scharf, S., Steiner, Y., Loth, A. G., Donnadieu, E., Flinner, N., Poeschel, V., Angel, S., Bewarder, M., Bein, J., Brunnberg, U., Bozzato, A., Schick, B., Stilgenbauer, S., Bohle, R. M., Thurner, L., & Hansmann, M.-L. (2021). Landscape of 4D Cell Interaction in Hodgkin and Non-Hodgkin Lymphomas. Cancers, 13(20), 5208. https://doi.org/10.3390/cancers13205208

