Next Article in Journal
A Review of Research on Cloud Detection Methods for Hyperspectral Infrared Radiances
Previous Article in Journal
GLCANet: Global–Local Context Aggregation Network for Cropland Segmentation from Multi-Source Remote Sensing Images
Previous Article in Special Issue
Impact of Directly Assimilating Radar Reflectivity Using a Reflectivity Operator Based on a Double-Moment Microphysics Scheme on the Analysis and Forecast of Typhoon Lekima (1909)
 
 
Font Type:
Arial Georgia Verdana
Font Size:
Aa Aa Aa
Line Spacing:
Column Width:
Background:
Article

Improving Tornado Intensity Prediction by Assimilating Radar-Retrieved Vortex Winds After Vortex Relocation

by
Qin Xu
1,2,*,
Kang Nai
1,2,
Li Wei
2,
Nathan Snook
3,
Yunheng Wang
1,2 and
Ming Xue
3,4
1
National Severe Storms Laboratory (NSSL), Office of Oceanic and Atmospheric Research (OAR), National Oceanic and Atmospheric Administration (NOAA), Norman, OK 73072, USA
2
Cooperative Institute for Severe and High-Impact Weather Research and Operations, University of Oklahoma, Norman, OK 73072, USA
3
Center for Analysis and Prediction of Storms, University of Oklahoma, Norman, OK 73072, USA
4
School of Meteorology, University of Oklahoma, Norman, OK 73072, USA
*
Author to whom correspondence should be addressed.
Remote Sens. 2024, 16(24), 4628; https://doi.org/10.3390/rs16244628
Submission received: 4 June 2024 / Revised: 2 September 2024 / Accepted: 21 November 2024 / Published: 10 December 2024

Abstract

A time–space shift method was recently developed for relocating the best ensemble member predicted tornado vortex to the radar-observed location, aiming to improve the model’s initial condition and subsequent prediction of tornadoes. To further improve tornado prediction, a variational method for analyzing vortex flows, referred to as VF-Var, is used in this paper to retrieve high-resolution vortex winds from the earliest radar volume scan of tornado and the retrieved vortex winds are then assimilated as “observations” after the vortex relocation. The previous three-step method is also adaptively modified to estimate the tornado vortex center location, denoted by xc ≡ (xc, yc) as a continuous function of height z and time t, from the earliest two consecutive radar volume scans of the tornado, so the estimated xc(z, t) can have the VF-Var required accuracy for retrieving high-resolution vortex winds and the retrieved vortex winds can be assimilated as “observations” with a minimized observation latency. This approach, combined with vortex relocation, is applied to the 20 May 2013 Oklahoma Newcastle–Moore tornado, and is shown to be very effective in further improving the tornado intensity prediction and the continuity of predicted tornado track. Although assimilating the retrieved high-resolution vortex winds after the vortex relocation does not greatly affect the overall trajectory of the predicted tornado track, it proves highly beneficial.

1. Introduction

Inspired by the success of the operational implementation of tropical cyclone (TC) vortex relocation in improving the model’s initial condition and subsequent prediction of TC [1,2,3,4], a time–space shift method was developed [5]. This method focuses on selecting the best ensemble member from tornado-resolving ensemble predictions and smoothly relocating the best-member predicted tornado vortex to a radar-observed location to improve the model’s initial condition and subsequent prediction of tornados. The method was applied to the 20 May 2013 Oklahoma Newcastle–Moore tornado case and was shown to be very effective in improving the tornado track and intensity predictions. Since this method shifts the tornadic mesocyclone and its embedded tornado in time and space without modifying the vortex flow intensity and structure, there is potential to further improve the model’s initial condition and subsequent prediction of tornados by assimilating the high-resolution vortex winds retrieved by using the vortex flow (VF) variational method, known as VF-Var [6,7], after the vortex relocation. As a follow-up of [5], this possibility will be explored in this paper, which is again inspired by the success of observation-based modifications/corrections of TC intensity and structure in further improving the model’s initial condition and subsequent TC prediction [3]. The proposed approach is also motivated by the success of assimilating radar-retrieved vortex winds as “observations” to improve TC track and intensity predictions [8].
Tornadic mesocyclones are much smaller and much shorter-lived than TCs, so they are much harder to detect/observe than TCs and their strong small-scale vortex winds are more difficult to retrieve from radar observations than TC vortex winds. The related difficulties and challenges have been discussed and addressed when the VF-Var was developed and tested for diagnostic applications in [6,7]. However, when the VF-Var is employed for the prognostic application considered in this paper; that is, to not only retrieve high-resolution vortex winds but also assimilate the retrieved vortex winds as observations into the model’s initial condition after the vortex relocation to further improve the subsequent prediction of tornados, there is an important issue concerning the time latency caused by radar observations. This issue is new as it has not been addressed yet for the prognostic application of VF-Var considered in this paper, although this kind of issue was previously encountered and addressed for the vortex relocation implemented in [5], as explained below.
When the time–space shift method was developed in [5], the three-step method developed in [9] was modified to estimate the vortex center location, as a continuous function of height at the initial time, merely from the earliest radar volume scan that first detected the tornado vortex while the vortex center’s moving velocity was estimated as a constant vector on the lowest sweep from the earliest two volume scans (see Appendix A). The estimated vortex center location was used to effectively perform the vortex relocation with the observation latency reduced to 6 min for the forecast experiment in [5]. Moreover, as revealed by the small differences between the forecast and hindcast experiments presented in Figures 2, 6 and 8 of [5], the performance of vortex relocation and its improved tornado track and intensity predictions were not very sensitive to small errors in the estimated vortex center location at the initial time. The estimated constant vortex center’s moving velocity, however, is not suitable for defining the vortex-following moving coordinate system in the VF-Var to retrieve high-resolution vortex winds. This problem can be solved by modifying the three-step method [9] adaptively, as shown in this paper, to estimate the vortex center location and moving velocity from the earliest two consecutive volume scans. With this adaptive modification, the observation latency is reduced to 8.5 min, which is still acceptable for the 40 min model prediction of the 20 May 2013 Oklahoma Newcastle–Moore tornado.
This paper is organized as follows. The aforementioned adaptive modification of the three-step method is presented in the next section to estimate the vortex center location for the case of the 20 May 2013 Oklahoma Newcastle–Moore tornado, while the original three-step method and its previous modification are briefly reviewed in Appendix A. The estimated vortex center location is used with the VF-Var to retrieve high-resolution vortex winds from the earliest radar volume scan in Section 3. These retrieved high-resolution vortex winds are assimilated in Section 4, as “observations”, into the model background field at the initial time t0 after the vortex relocation. The impacts of assimilating retrieved high-resolution vortex winds after the vortex relocation on tornado track and intensity predictions are presented and examined in Section 5. Conclusions are drawn in Section 6.

2. Modified Method for Estimating Vortex Center Location

The original three-step method [9] and its previous modification made in [5] are briefly reviewed in Appendix A. As mentioned in the Introduction Section and reviewed in Appendix A, the constant vortex center moving velocity assumed and estimated in the previously modified three-step method is not generally suitable for defining the vortex-following moving coordinate system in VF-Var to retrieve high-resolution vortex winds. To solve this problem, the vortex center location, denoted by xc ≡ (xc, yc), needs to be estimated directly as a continuous function in the two-dimensional space of height z and time t from the earliest two consecutive volume scans with the vortex center moving velocity given by uc ≡ ∂txc(z, t) also as a continuous function of (z, t). To achieve this, the original three-step method is modified adaptively as described below. The first step remains unchanged but is used to estimate xc on each sweep of the earliest two consecutive volume scans. The second step is modified to estimate xc(z, t) by reducing the cubic basis functions of time to linear basis functions of time [with the ßth order reduced from ß = 0, 1, 2 to merely ß = 0 in Equation (A1)] for the expansion of B-spline basis functions in the original three-step method and fitting this reduced expansion of B-spline basis functions to xci ≡ (xci, yci) generated at (zi, ti) in the first step. This modification is necessary because xci is available only at two discrete time levels (on each sweep of the earliest two consecutive volume scans), and should thus be fitted by a linear function in time, rather than overfitted by an expansion of cubic basis functions in time. The third step remains unchanged but is used to refine the second-step estimated xc(z, t) only for the time period of the earliest two volume scans by applying a continuous version of statistical interpolation to the residuals of the second-step fitting and adding the obtained incremental field to the second-step estimated xc(z, t).
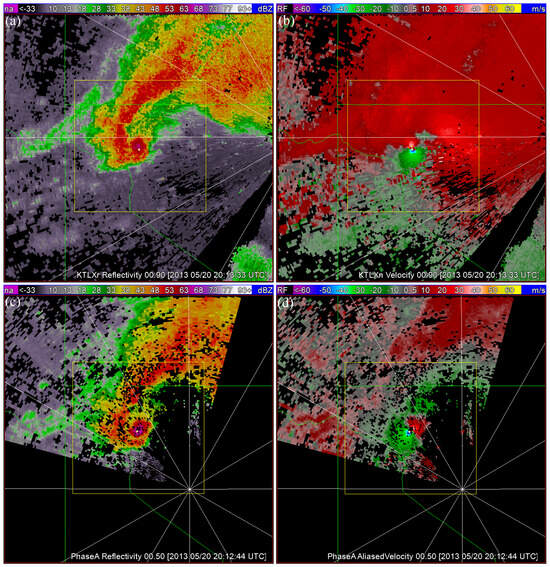
The adaptively modified method described above is applied to the earliest two consecutive volume scans from the operational KTLX radar that first detected the tornado vortex at different heights on 10 and 8 sweeps in the first and second volume scans, respectively. The locally estimated xc(z, t) and yc(z, t) from the third (or second) step of the adaptively modified method are plotted with color (or grey) contours every 0.5 km within 0 ≤ z ≤ 5 km and 0 ≤ t ≤ 8.5 min in Figure 1a and Figure 1b, respectively, where t = 0 corresponds to the initial time t0 at 1950 UTC. The black contours in Figure 1a (or Figure 1b) present the extensively estimated xc(z, t) [or yc(z, t)] by applying the original three-step method to all the 10 volume scans from the KTLX radar and 22 sector scans from PAR that detected the tornado vortex (over the time period from 1951:42 to 2033:44 UTC). In Figure 1a (or Figure 1b), the red + signs mark the 18 discrete points (zi, ti), with 10 points from the first volume scan and 8 points from the second volume scan, at which xci are generated in the first step, while the red number near each red + sign displays the value of xci (or yci) in km.
As shown in Figure 1a (or Figure 1b), the values of xci (or yci) at the 18 discrete points are most closely fitted by the extensively estimated xc(z, t) [or yc(z, t)] plotted by the black curves, slightly less closely fitted by the third-step estimated xc(z, t) [or yc(z, t)] plotted by the color curves, and even less closely fitted by the second-step estimated xc(z, t) [or yc(z, t)] plotted by the grey curves. The fitting residual of each type of estimated xc(z, t) at each discrete point (zi, ti) can be defined and compute by |∆xci| ≡ |xc(zi, ti) − xci| = {[xc(z, t) − xci]2 + [yc(z, t) − yci]2}1/2. For the second-step estimated xc(z, t), the values of |∆xci| computed at the 10 discrete points of xci from the earliest KTLX volume are 0.099, 0.310, 0.129, 0.178, 0.499, 0.111, 0.026, 0.244, 0.288, 0.370 and 0.225 km, respectively, which indicates that errors in the second-step estimated xc(z, t) are not well confined within Rc/2, where Rc (≈ 0.6 km) is the vortex core radius. The second-step estimated xc(z, t) is thus not sufficiently accurate for defining the vortex-following coordinate system in the VF-Var, because the VF-Var cannot reliably retrieve vortex winds around the vortex core (from single-Doppler velocity observations) when errors in the estimated xc(z, t) become larger than Rc/2, as shown in [10].
For the third-step estimated xc(z, t), the values of |∆xci| computed at the 10 discrete points of xci from the earliest KTLX volume are 0.065, 0.112, 0.115, 0.140, 0.156, 0.094, 0.033, 0.004, 0.005 and 0.089 km, respectively. This indicates that errors in the third-step estimated xc(z, t) are well confined within Rc/2, so this estimated xc(z, t) can and will be used in the next section to define the vortex-following coordinate system in the VF-Var for retrieving high-resolution vortex winds over the time period of the earliest volume scan.
However, at the initial time t0, the third-step estimated xc(z, t0) differs from the extensively estimated xc(z, t0) significantly, as revealed by the values displayed by the color curves versus the black curves along the left boundary of t = t0 in each panel of Figure 1. In particular, as shown in Figure 1a, the difference between the two estimated xc(z, t0) becomes even larger than 1 km above z = 3.5 km, indicating large errors in the third-step estimated xc(z, t0) for z > 3.5 km. These large errors are caused by the absence of data at and near t = t0, especially above z = 3.5 km, where the two data points from the first volume scan are temporally displaced from t0 by more than 4 min and there is no data point from the second volume scan. Nevertheless, as shown in [5], the tornado track and intensity predictions improved by using the time–space shift method for vortex relocation are insensitive to errors in the estimated xc(z, t0), so the third-step estimated xc(z, t0) can still be used to perform the vortex relocation.
The third-step estimated xc(z, t0) mentioned above is shown in Figure 2 by the red line connecting the red + signs as a function of zk with k increasing from 1 to 22, where zk is the height of the model kth vertical level above the ground. The time-shifted vortex center valid at t = t0 (1950 UTC) from the best ensemble member run is shown in Figure 2 by the blue line connecting the blue × signs as a function of zk also with k increasing from 1 to 22. As explained in [5], a time–space shift is applied to each model prognostic variable from the best ensemble member run on the same tornado-resolving (50 m) grid as that used for the ensemble predictions initialized at 1930 UTC in [11]. The time-shifted model fields valid at t = t0 from the best ensemble member run correspond to those detailed in Section 4 of [5]. As an example, the wind field produced by the time-shifted vortex relocation at t = t0 from the best ensemble member run is shown at the first model level (z = 10 m above the ground) in Figure 3a, while the wind field produced by the space-shifted vortex relocation (after the time-shifted vortex relocation) is shown at the first model level in Figure 3b.
Upon comparing the first two panels of Figure 3, it becomes evident that the strong wind convergence and cyclonic rotation around the vortex center are well preserved by the space-shifted vortex relocation while the time-shifted vortex center (see the blue + sign in Figure 3a) is further shifted to collocate with the estimated vortex center (see the red + sign in Figure 3a or Figure 3b) via the space-shifted vortex relocation. The surface winds in Figure 3b preserve not only the first rear-flank gust-front (which curves and extends southwestward), but also the second rear-flank gust-front (which curves and extends westward behind the first rear-flank gust-front), as well as the extended zone of strong wind shift and convergence north of the vortex core. Additionally, as shown in Figure 3c,d, the time–space shift preserves the temperature and humidity variations across and along these frontal zones in the vicinity of the vortex core. These time–space shifted wind fields, valid at t = t0, serve as the initial background for assimilating retrieved vortex winds in Section 4.

3. VF-Var Retrievals of High-Resolution Vortex Winds

The estimated xc(z, t) produced in the third step of the adaptively modified method is used here to define the vortex-following coordinate system in VF-Var. VF-Var is applied to the KTLX radar’s earliest volume scan that first detected the vortex signature for the 20 May 2013 Oklahoma Newcastle–Moore tornado. This earliest KTLX volume scan consists of 14 sweeps (tilted at 0.5°, 0.9°, 1.3°, 1.8°, 2.4°, 3.1°, 4.0°, 5.1°, 6.4°, 8.0°, 10.0°, 12.5°, 15.6° and 19.5°) over the time period from 1951:42 to 1955:20 UTC. The radial velocities in this volume are thoroughly dealiased [12] and then used for the single-Doppler wind analysis in this section. The range gate spacing is 0.25 km in the radial direction, and the beam spacing in the azimuthal direction is 0.5°. The analysis time window is set to 4 min, from 1951:42 to 1955:42, to cover the time period of the earliest KTLX volume scan, that is, between 0 ≤ tt1 ≤ 4 min, with t = t1 corresponding to 1951:42 UTC.
Figure 4a and Figure 4b depict images of reflectivity and dealiased radial velocity, respectively, taken from the lowest tilt (0.5°) at 1951:42 UTC during the earliest KTLX volume scan. The observed tornado vortex center is denoted by a yellow dot in each panel of Figure 4. The tornado vortex was first detected and visualized by the hook echo pattern in the radar reflectivity image (Figure 4a) and by the dipole of positive and negative radial velocities in the dealiased radial velocity image (Figure 4b) obtained from the lowest tilt of the KTLX scan. As shown by the yellow dot in each panel of Figure 4, the vortex center’s location on this lowest tilt is accurately estimated in the first step of the adaptively modified method. This estimated xc1 (that is, xci for i = 1) is closely fitted by the third-step estimated xc(z, t) and the fitting residual is merely |∆xc1| = 0.065 km on this lowest tilt. The vortex center on this lowest tilt at 1951:42 UTC was situated approximately 33 km west of the KTLX radar site.
Figure 5 shows a 3D perspective of the estimated vortex center axis viewed in the local Cartesian coordinate system (x, y, z) at one minute intervals from the beginning to the end of the analysis time window, where the origin of (x, y, z) is at xc(0, t1), that is, in the estimated vortex center location at (z, t) = (0, t1), t1 corresponds to 1951:42 UTC which is 1 min 42 s after t0 (1950:00 UTC), and the vortex center axis is a continuous vector function of z defined by xc(z, t) at given t. As shown, during the 4 min of the analysis time window, the vortex center axis becomes more slanted and less upright, especially above z = 2 km, as it moves northeastward. This vortex center axis is taken to be the slantwise vertical coordinate axis for z’ in the vortex-following coordinate system (x’, y’, z’, t’) defined, as in Equation (2.1a) of [6], by
(x’, y’, z’, t’) ≡ (xxc, yyc, z, t)
The analysis domain is defined by |x’| ≤ 10 km, |y’| ≤ 10 km and 0 ≤ z’ ≤ 5 km in the vortex-following coordinate system (x’, y’, z’, t’) with t’ = t confined by t1t’ ≤ t1 + 4 min within the analysis time window. In (x, y, z, t), the analysis domain is a moving and time-varying slantwise cubic box. In the vortex-following coordinate system, the KTLX antenna’s position shifts horizontally from (x’, y’) = (32.277, 6.171) to (31.251, 4.999) km during the 4 min of the analysis time window. The dealiased radial velocities from the earliest KTLX volume scan undergo transformation from the radar coordinate system into the local Cartesian coordinate system, and then into the vortex-following coordinate system by neglecting small time differences (< or << 20 s) between radar beams in different azimuthal directions on the same tilt of radar scans. However, time differences (approximately 20 s for KTLX radar) between different tilts of radar scans are not neglected, so data points on each tilt of radar scans are transformed into (x’, y’, z’, t’) corresponding to each value of t’ and thus each radar antenna location in (x’, y’, z’). These radial velocity observations are assumed to have spatially uncorrelated errors with their error standard deviation set to 2 m/s based on previous studies of radar radial velocity observation error statistics [13].
As explained in Section 2c of [6], for the stand-alone applications considered in this paper, the background velocity is zero in (x’, y’, z’), so the background error field is simply the true VF field, that is, the ground-relative velocity v ≡ (u, v, w) minus the coordinate moving velocity uctxc(z, t) = (txc, tyc). As shown in Figure 1 and Table 1 of [6], the VF field is expressed in (x’, y’, z’) by the contravariant velocity that is defined by (u’, v’, w’) ≡ dt(x’, y’, z’) and is related to the ground-relative velocity in the local Cartesian coordinate system (x, y, z) by
(u’, v’, w’) = (utxcw∂zxc, vtycw∂zyc, w)
Since the background error field is simply the true VF field, the background error variance and associated VF-dependent covariance parameters can be properly specified for each control variable in consistency with the true VF structure and intensity estimated by a dual-Doppler analysis, as shown in Section 3 of [7].
VF-Var was tested for both dual-Doppler and single-Doppler VF retrievals in [7]. The test results indicate that the true VF can be captured quite accurately by the dual-Doppler retrieval but the single-Doppler retrieval falls short. However, the single-Doppler retrieval can still largely capture the axisymmetric part of the true VF. Based on these previous findings, only the axisymmetric part of the VF is retrieved from the earliest KTLX single-Doppler velocity observations in this paper. This kind of simplification was also implemented effectively by using only zero-wavenumber increments to update the inner-core wind field in the recently upgraded data assimilation system of the operational Hurricane Weather Research and Forecasting Model [14]. Here, with this simplification, retrieving the axisymmetric part of the VF can be achieved very efficiently via a direct matrix inversion in a relatively small control-variable space (as explained at the end of Section 3 in [6]). This process requires only a few seconds of CPU time. However, if the asymmetric part of the VF is also to be retrieved, the cost function must be minimized via iterative descent in a very large control-variable space, increasing the required CPU time to 8 min. This will delay the model forecast run substantially [in addition to the 8.5 min observation latency caused by using the KTLX’s two earliest volume scans to estimate xc(z, t)]. This is another important reason, in terms of computational efficiency, why only the axisymmetric part of VF can and should be retrieved for a real-time application. Consequently, in this paper, the background error variances and VF-dependent covariance parameters need to be specified only for the axisymmetric part of vortex velocity field, following the methodology outlined in Section 3 of [7].
VF-Var is applied to the earliest single-Doppler velocity observations from KTLX within the analysis domain over the analysis time window. The retrieved axisymmetric part of vortex velocity field is still denoted by (u’, v’, w’), and its horizontal components (u’, v’) are converted to the ground-relative vortex winds in (x, y, z) via (u, v) = (u’ + txc + w∂zxc, v’ + tyc + w∂zyc) according to Equation (2). As examples, these ground-relative vortex winds are illustrated by black arrows atop of reflectivity images at the first (or ninth) model vertical level in Figure 6a (or Figure 6b). As shown in Figure 6a, the retrieved ground-relative vortex winds are strongly rotational in and around the vortex core and strongly convergent outside the vortex core over the retrieval domain at the surface level. As displayed in Figure 6b, the cyclonic rotation intensifies around the vortex core and the convergency becomes slightly weak outside the vortex core over the retrieval domain as the vertical level increases to 1 km above the ground. These ground-relative vortex winds also closely match the hook echo patterns observed in KTLX-scanned reflectivity projected onto the model’s vertical levels, as depicted in Figure 6. The retrieved axisymmetric part of the vortex velocity field is stationary in the vortex-following coordinate system (x’, y’, z’, t’) and is assumed to remain stationary in (x’, y’, z’, t’) over the extended time period for t’ (= t) from t0 to t1. As explained in [6], the retrieved vortex velocity field is spatially continuous as it is constructed from analytical VF-dependent covariance functions. The above converted field of ground-relative vortex wind is thus also spatially continuous and will be properly sampled in the next section to generate two batches of “observations” with different spatial resolutions and coverages.

4. Assimilation of Retrieved High-Resolution Vortex Winds After Vortex Relocation

As described in the previous section, the horizontal components of the retrieved axisymmetric part of the vortex velocity field are converted to ground-relative vortex winds. These converted ground-relative vortex winds are then sampled in two batches and used as “observations” for data assimilation to be performed in this section. The “observations” in the first batch, referred to as “coarse-resolution observations”, are sampled every ∆x = ∆y = 1 km within a 7 km radius from the estimated vortex center on each odd model level below 5 km above the ground (that is, at z = zk from k = 1 to 19). The “observations” in the second batch, referred to as “fine-resolution observations”, are sampled every ∆x = ∆y = 0.3 km within a 2.5 km radius from the estimated vortex center on each model level below 1.2 km above the ground (that is, at z = zk from k = 1 to 8). Since the asymmetric part of the vortex velocity field is not included in these “observations”, the observation error standard deviation can be estimated by the root mean square (RMS) of the asymmetric vortex winds. According to the dual-Doppler radar wind retrievals performed in Section 4 of [7], the RMS of the asymmetric vortex winds is about 10 m/s, and this value can be used as the observation error standard deviation for each horizontal wind component in each batch of “observations”.
The time–space shift is executed similarly to [6] for each model prognostic variable on the same tornado-resolving (50 m) grid as that used for the ensemble predictions initialized at 1930 UTC in [11] with the advanced regional prediction system [15,16]. However, the time–space-shifted fields (for all the model prognostic variables) are coarsened from 50 m to 100 m in the horizontal resolution and then used to re-initialize the model prediction at t = t0 (1950 UTC) to reduce data volume and thus avoid complicated model domain partitioning in re-initialized model prediction runs. The variational method developed within a radar wind analysis system (see Section 3.3 of [17]) is employed, by simply setting the background wind error standard deviation to 10 m/s rather than estimating it as a smooth function of (x, y, z) using Equation (9) in [17], to assimilate the two batches of “observations” incrementally in two steps of analysis onto the time–space-shifted wind field with the aforementioned horizontal resolution of ∆x = ∆y = 100 m.
In the first step of the analysis, the background wind field is given by the time–space-shifted wind field, and coarse-resolution innovations are computed by subtracting the background wind from the “coarse-resolution observation” at each observation point in the first batch. These coarse-resolution innovations (generated within a 7 km radius from the vortex center) are depicted on the first model level at z = 10 m in Figure 7a over the entire model domain and in Figure 8a within a zoomed-in area around the vortex center. As shown in Figure 7a and Figure 8a, these coarse-resolution innovations can capture/resolve the coarse-grain divergent-flow differences between the retrieved winds (see Figure 6a) and the background winds (see Figure 3b) outside the vortex core within the 7 km radius from the vortex center. However, they cannot capture/resolve the fine-grain rotational-flow differences in and around the vortex core.
With the background error standard deviation set to 10 m/s and the background error decorrelation length (or depth) set to 3 km (or 0.4 km), the coarse-resolution innovations are analyzed to produce the incremental wind field. Adding this incremental wind field to the background wind field gives the first-step analyzed wind field. The first-step analyzed wind field is shown on the first model level at z = 10 m in Figure 7b over the entire model domain and in Figure 8b over the same zoomed-in area as in Figure 8a but with the horizontal wind vectors plotted every 0.3 km. By comparing Figure 7b and Figure 8b with Figure 3b and Figure 6a, we can see that the coarse-grain divergent-flow patterns outside the vortex core in the retrieved wind field are well assimilated into the first-step analyzed wind field. However, the fine-grain rotational-flow patterns in and around the vortex core are not well captured, as these fine-grain patterns are not well resolved by the coarse-resolution innovations generated from the “coarse-resolution observations” (compare Figure 8a and Figure 8c).
In the second step of the analysis, the above first-step analyzed wind field is used as the new background wind field, and fine innovations are generated by computing the difference between “fine-resolution observation” and the new background wind at each observation point in the second batch. The fine-resolution innovations every ∆x = ∆y = 0.3 km within a 2.5 km radius from the vortex center are shown on the first model level at z = 10 m in Figure 8c within the same zoomed-in area as in Figure 8a. As shown, these fine-resolution innovations can capture/resolve the fine-grain rotational-flow differences between the retrieved winds (see Figure 6a) and the background winds (see Figure 8b) in and around the vortex core.
By setting the background error standard deviation to 10 m/s and the background error decorrelation length (or depth) to 0.5 km (or 0.4 km), the fine-resolution innovations are analyzed to produce the new incremental wind field. Adding this new incremental wind field to the aforementioned new background wind field yields the second-step analyzed wind field. The second-step analyzed wind field is shown on the first model level at z = 10 m in Figure 8d over the same zoomed-in area as in Figure 8b. By comparing Figure 8d with Figure 8b, we can see that the fine-grain rotational-flow patterns in and around the vortex core in the retrieved wind field are well captured in the second-step analyzed wind field, because the “fine-resolution observations” can capture/resolve these fine-grain flow patterns.

5. Improved Tornado Intensity Prediction

In this section, the time–space-shifted fields (for all model prognostic variables), valid at t = t0 (1950 UTC), are used to initialize the model forecast in the first test experiment, named Exp-T1. Meanwhile, the second-step analyzed wind field (shown locally in Figure 8d at z = 10 m) is used instead of the time–space-shifted wind field (shown in Figure 3b at z = 10 m) to initialize the model forecast in the second test experiment, named Exp-T2. As mentioned earlier, the horizontal resolution is 100 m for both the initial fields and subsequent model forecast runs.
Figure 9 shows that the predicted tornado track in Exp-T1 (green dots in Figure 9) closely matches the observed track (black dots in Figure 9) in comparison to the predicted track from the best ensemble member without vortex relocation (blue × markers in Figure 9). Here, the observed tornado track is determined from the trajectory of the extensively estimated xc(z, t) at the ground level, verified with the tornado damage survey data [18,19]. The extensively estimated xc(z, t) is produced by applying the three-step method [9] to all the 10 volume scans from the KTLX radar and 22 sector scans from PAR over the entire time period (from 1951:42 to 2033:44 UTC) during which the tornado vortex was detected by these two radars. Note that the predicted tornado track in Exp-T1 has a gap between 25 and 30 min of forecast time. This gap arises from the fact that the predicted vertical vorticity at z = 10 m becomes too weak or too noisy to properly define/identify the vortex center during that period.
The predicted tornado track in Exp-T2 (red + signs in Figure 9) is very close to the predicted track in Exp-T1 but becomes continuous without a gap between 25 and 30 min of forecast time. The close alignment between the tornado tracks predicted in Exp-T1 and Exp-T2 indicates that the tornado track prediction is not very impacted by assimilating retrieved high-resolution vortex winds after the vortex relocation. Furthermore, like the predicted track in Exp-T1, the predicted track in Exp-T2 also turns northward away from the observed track after 2018 UTC, so the initial condition in Exp-T2 still has a time-limited impact on correcting the northward bias of the predicted track in late forecast time. However, the elimination of the gap between 25 and 30 min of forecast time in the tornado track predicted in Exp-T2, compared to Exp-T1, indicates that assimilating retrieved high-resolution vortex winds after the vortex relocation can substantially impact the tornado intensity prediction. This implication is further examined below.
Figure 10a (or Figure 10b) shows the predicted surface winds in Exp-T1 (or Exp-T2) valid at the time of 10 min forecast (that is, tt0 = 10 min). As depicted in Figure 10a, during the first 10 min of forecast, the predicted vortex center (marked by the blue + sign) in Exp-T1 moves northeastward slightly faster than the observed vortex center (marked by the red + sign). As the vortex predicted in Exp-T1 moves northeastward, it also intensifies along with the first and second rear-flank gust-fronts, as well as the northeastward extended zone of wind shift and convergence. At this time, the second rear-flank gust-front becomes more intense than the first gust-front in Exp-T1. Figure 10b shows that the predicted vortex center in Exp-T2 also moves northeastward faster than the observed vortex center and slightly faster than the predicted vortex center in Exp-T1 during the first 10 min of forecast time. The vortex predicted in Exp-T2 is more convergent than in Exp-T1, with its associated second rear-flank gust-front significantly more intense than that predicted in Exp-T1.
Figure 11a (or Figure 11b) shows the predicted surface winds in Exp-T1 (or Exp-T2) valid at the time of 20 min forecast (that is, tt0 = 20 min). As displayed in Figure 11a, during the second 10 min of the forecast, the predicted vortex center in Exp-T1 continues to move further northeastward slightly faster than the observed vortex center. The three gust-fronts also progress further northeastward, but slightly faster than the vortex movement, with all three gust-fronts and their generated surface wind convergences weakening. Consequently, as the triple cross point of the three gust-fronts moves northeastward faster than the vortex center and thus shifts away from the vortex center, the surface winds around the vortex center (marked by the blue + sign in Figure 11a) become weak and divergent at this time (20 min forecast) in Exp-T1. As shown in Figure 11b versus Figure 11a, the vortex center predicted in Exp-T2 still moves northeastward faster than in Exp-T1 during the second 10 min of forecast. Notably, its movement closely aligns with the northeastward movement of the triple cross point of the three gust-fronts. During this second 10 min, the three gust-fronts in Exp-T2 all become increasingly intense and so does the surface wind convergence at their triple cross point. As the vortex center moves closely following the triple cross point of the three gust-fronts, the surface winds around the vortex center (marked by the blue + signs in Figure 11b) become increasingly intense and convergent in Exp-T2.
The above analysis of Figure 10 and Figure 11 confirms the implication inferred from Figure 9 regarding the positive impact of assimilating retrieved high-resolution vortex winds (in addition to vortex relocation) on the tornado intensity prediction. This positive impact is clearly evident. The positive impact of vortex relocation and additional positive impact of assimilating retrieved high-resolution vortex winds are further examined quantitatively below by comparing the maximum surface wind speed and vorticity predicted in Exp-T1 with those predicted without vortex relocation and with those predicted in Exp-T2. The predicted maximum surface wind speed and vorticity in Exp-T2 can also be verified against those extracted from the dual-Doppler retrieved vortex wind fields produced in [7], where VF-Var was applied to eight consecutive volume scans from the KTLX radar and 22 consecutive sector scans from PAR over the time period (from 2000:54 to 2033:44 UTC) during which the tornado vortex was detected by both radars. An example is presented in Appendix B to demonstrate how the verification maximum surface wind speed and vorticity are extracted from dual-Doppler retrieved vortex winds.
Figure 12a shows that the predicted maximum surface wind speed (at z = 10 m) with the vortex relocation in Exp-T1 (plotted by the green curve) is higher and lasts a longer time than that predicted without vortex relocation (plotted by the blue curve). It is important to note that the time–space-shifted vortex preserves the best-member predicted vortex structure (valid at 1936:20 UTC) while the latter is much weaker than the radar-observed vortex. Consequently, the predicted maximum surface wind speed with the vortex relocation in Exp-T1 is still substantially weaker than the tornado intensity listed in Table 1 in terms of EF scale and estimated three-second gust based on tornado damage survey [18,19] and is also significantly lower than the verification maximum surface wind speed (plotted by the black curve in Figure 12a). This insufficiently positive impact of vortex relocation on tornado intensity prediction (measured by the maximum surface wind) was similarly seen in Figure 8a of [5]. On the other hand, the predicted maximum surface wind speed in Exp-T2 (plotted by the red curve in Figure 12a) is higher or much higher than that predicted in Exp-T1 after 10 min of forecast time and becomes closer to the intensity listed in Table 1 and much closer to the verification maximum surface wind speed (plotted by the black curve in Figure 12a). Thus, the additional positive impact of assimilating retrieved high-resolution vortex winds (after vortex relocation) on tornado intensity prediction is significant and sufficiently strong.
Figure 12b illustrates that the predicted maximum vertical vorticity at z = 10 m, referred to as maximum vorticity hereafter, in Exp-T1 is also higher and lasts a longer time than that predicted without vortex relocation (plotted by the blue curve). However, similar to the tornado track prediction, its time series also has a gap between 25 and 30 min of forecast time, as explained earlier (see the green dots in Figure 9). The maximum vorticity predicted in Exp-T2 (plotted by the red curve in Figure 12b) is higher or much higher than that predicted in Exp-T1 after 20 min of forecast time, and also exceeds or significantly exceeds the extracted maximum vorticity (plotted by the black curve) before 38 min of forecast time. As explained in Appendix B, the spatial resolutions of dual-Doppler retrieved winds in the vortex core area are intrinsically limited by the background error de-correlation lengths (>0.75 km) and the along-beam resolution (0.25 km) of radar observations, so they are much coarser than the horizontal resolution (0.1 km) of model-predicted wind fields. Consequently, the verification maximum vorticity extracted from the dual-Doppler retrieved wind field peaks only at 0.38 s−1, which is much lower than the maximum vorticity predicted in Exp-T2 topped at 1.1 s−1. It is noteworthy that the verification maximum surface wind speed (see the black curve in Figure 12a) and maximum vorticity (see the black curve in Figure 12b) exhibit similar variations over time, peaking around the same time (at 25 min forecast time). This consistency is largely aligned with the surveyed tornado intensity variation along the tornado track [18,19]. Furthermore, the maximum vorticity predicted in Exp-T2 varies with time more similarly to the verification maximum vorticity (plotted by the black curve) than that predicted in Exp-T1. This suggests that the maximum vorticity is better predicted in Exp-T2 than in Exp-T1. Thus, even measured by the maximum vorticity, tornado intensity prediction is still significantly improved by assimilating retrieved high-resolution vortex winds in addition to the vortex relocation.

6. Conclusions

In this paper, the vortex relocation method [5] is leveraged to provide an improved background field, in which the best ensemble member predicted tornado vortex is shifted in time and space to the radar-observed location at the initial time. Consequently, high-resolution vortex winds, retrieved by applying VF-Var [6,7] to the earliest radar volume scan of tornado, can be assimilated as “observations” into the background field (improved by the vortex relocation) to further improve the model initial condition, leading to improved tornado prediction. To facilitate this approach, the three-step method [9] is also modified adaptively to estimate the tornado vortex center location as a continuous function of height z and time t, denoted by xc(z, t), from the earliest two consecutive radar volume scans of the tornado, so the estimated xc(z, t) can have the VF-Var-required accuracy for retrieving high-resolution vortex winds and the retrieved vortex winds can be assimilated as “observations” with a minimized observation latency (8.5 min).
Since VF-Var is applied (with no modification) to the earliest radar volume scan of the tornado, only single-Doppler velocity observations are available for retrieving high-resolution vortex winds. According to the tests performed in [7] for VF-Var, a single-Doppler analysis of vortex winds can largely capture the axisymmetric part of the true vortex winds, but not the remaining asymmetric part. Therefore, in this paper, only the axisymmetric part of high-resolution vortex winds is retrieved and assimilated as “observations”. Moreover, the computational time required for retrieving the axisymmetric part is merely a few seconds. However, this time increases significantly, up to 8 min, for retrieving the asymmetric part. Thus, retrieving the asymmetric part would delay the forecast run by another 8 min (in addition to the aforementioned 8.5 min observation latency) in a real-time application. This is another important reason, in terms of computational efficiency, why only the axisymmetric part of high-resolution vortex winds is retrieved.
The approach outlined above, combined with vortex relocation, is applied to the 20 May 2013 Oklahoma Newcastle–Moore tornado, and is shown to be very effective in further improving the tornado intensity prediction and improving the continuity of predicted tornado track, although the overall trajectory of predicted tornado track is not much affected by assimilating the retrieved high-resolution vortex winds after the vortex relocation. In particular, assimilating the retrieved high-resolution vortex winds into the background field (improved by the vortex relocation) further significantly improves the predictions of maximum surface wind speed and vorticity. The predicted maximum surface wind speed increased notably well, reaching levels consistent with observed tornado intensities (see Table 1). These improvements are also verified against the maximum surface wind speed and vorticity extracted from the dual-Doppler retrieved vortex wind fields (see Figure 12). Based on the accuracies of dual-Doppler retrieved vortex winds assessed in [7], the extracted maximum surface wind speed is accurate enough to be used as pseudo-observation for quantitatively verifying each predicted maximum surface wind speed (see Figure 12a). However, since the spatial resolutions of dual-Doppler retrieved winds are intrinsically limited, the extracted maximum surface vorticity is clearly too low to be qualitatively useful, while its temporal variation is used merely for qualitative verifications in this paper.
When the variational method [17] is used in this paper to assimilate the VF-Var-retrieved high-resolution vortex winds, the two horizontal components of retrieved vortex winds are analyzed independently (see Section 2.4 of [17]) with the same background error covariance setting for each velocity component. Presumably and intuitively, the vortex relocation should improve wind directions more than wind speeds in its updated background vortex winds, so the background wind error should be reduced more in wind direction than in wind speed. In this case, the VF-Var-retrieved vortex winds may be better assimilated by analyzing the wind direction and wind speed independently with the background error variance properly reduced for wind direction. This approach may be implemented similarly to those developed and successfully employed in [20,21], and it requires continued research beyond this paper.
As described in [6], VF-Var retrieves only time-averaged vortex flows over the retrieval time window in the vortex-following coordinate system. In the application described above, high-resolution vortex winds retrieved from the earliest radar volume scan of the tornado are considered to be stationary in the vortex-following coordinate system, defined by the estimated xc(z, t). This stationarity is originally applied to the 4 min retrieval time window that covers the earliest volume scan. However, it is assumed to remain applicable as the vortex-following coordinate system moves with the estimated xc(z, t) backward in time (by 1 min 42 s from the starting time of the earliest volume scan) to the initial time of model forecast. This assumption is needed for using the retrieved high-resolution vortex winds to generate “observations” at the initial time. However, this extended assumption will become unnecessary if the initial time is chosen at a time within the time window of the earliest radar volume scan that first detected the tornado vortex. In this case, it may be possible or even better to directly assimilate high-resolution velocity data from the earliest radar volume scan of the tornado into the background field, following vortex relocation, using VF-Var directly, in place of the variational method [17] that is used in this paper for assimilating the retrieved high-resolution vortex winds as “observations”. This possibility and related advantages require continuous research beyond the study presented in this paper.
For real-time/operational applications, the method presented in this paper faces the following two major challenges: (i) The estimation of vortex center location (using the three-step method adaptively modified in this paper), the vortex relocation (implemented in [5]) and the vortex wind retrieval/assimilation (implemented in this paper) must be implemented automatically (to replace the current manual implementations). Automizing these implementations requires additional efforts beyond this paper. (ii) The CPU time (currently 3.5 h) is too long for the 40 min prediction. To reduce this CPU time to an acceptable level (<5 min), it is necessary to coarsen the horizontal resolution from the current 100 m to 500 m (with the horizontal grid size reduced from 503 × 303 to 101 × 61) so the tornado vortex is still resolvable. Continued research is required in this direction.

Author Contributions

Method formulations, experiment design, manuscript writing and project administration: Q.X. Algorithm development/coding, experiment execution/visualization, and manuscript review/revision: K.N. and L.W. High-resolution model data curation, and manuscript review/revision: N.S. and Y.W. Manuscript review/revision: M.X. All authors have read and agreed to the published version of the manuscript.

Funding

The research work was supported by the Warn-on-Forecast project at NSSL and the ONR Grant N000142012449 to University of Oklahoma (OU). Funding was also provided by NOAA/Office of Oceanic and Atmospheric Research under NOAA-OU Cooperative Agreement #NA21OAR4320204, U.S. Department of Commerce.

Data Availability Statement

Data contained within this article can be made available by the authors on request.

Acknowledgments

The authors are thankful to Jidong Gao at NSSL and the three anonymous reviewers for their constructive comments and suggestions. The numerical experiments were performed at the OU Supercomputing Center for Education and Research.

Conflicts of Interest

The authors declare no conflicts of interest.

Appendix A

Review of the original three-step method and its previous modification.
In the original three-step method [9], the first step estimates the vortex center location, denoted by xc ≡ (xc, yc), on each sweep of radar scan, as a by-product of the mesocyclone-targeted dealiasing [12], to generate a discrete dataset of xci = xc(zi, ti) at M irregularly distributed points in (z, t), where (zi, ti) denotes the ith irregularly distributed point and M is the total number of irregularly distributed points. The second step estimates xc(z, t), as a continuous function of (z, t), by fitting the following expansion of B-spline basis functions to xci generated at (zi, ti):
xc(z, t |aknß) = ∑knßaknßBk(z)Bnß(t)
where ∑knß denotes the summation over k, n and ß, aknß ≡ (aknß, bknß) is the vector coefficient associated Bk(z)Bnß(t) in the expansion, Bk(z) denotes the linear basis function at the kth node point of z, Bnß(t) denotes the cubic basis function of the ßth order (with ß = 0, 1, 2) at the nth node point of t. These B-spline basis functions are constructed similarly to those in Section 6 of [22]. The third step refines the second-step estimated xc(z, t) by applying a continuous version of statistical interpolation to the residuals of the second-step fitting and adding the obtained incremental field to the second-step estimated xc(z, t).
The original three-step method was used in [5] to estimate xc as a function of (z, t) up to z = 5 km over the entire time period during which the tornado vortex was detected from the operational KTLX radar and the NSSL phased-array radar for the 20 May 2013 Oklahoma Newcastle–Moore tornado. In this case, the discrete dataset of xci was generated at 319 discrete points in the first step, and the final estimated xc(z, t) in the third step was deemed sufficiently accurate as assessed in [7]. This estimated xc(z, t), however, can only be used for a hindcast experiment, as shown in [5], because the observation latency (44 min beyond t0) exceeds the model prediction time (40 min from t0).
To reduce the observation latency to an acceptable level (< 10 min), the original three-step method was modified in [5] to estimate xc(z, t0) from the earliest radar volume scan (that first detected the tornado vortex) plus the subsequent lowest sweep scan. In this modification, the first step remained unchanged but was used to estimate the tornado vortex center location on each sweep of the earliest radar volume scan and the lowest sweep of the subsequent volume scan. This step generates a discrete dataset of xci = xc(zi, ti) at only 11 discrete points. Due to its greatly reduced size, this discrete dataset cannot be used to fit (A1) for directly and reliably estimating xc(z, t). The subsequent two steps in the original three-step method were thus replaced by the following five steps to estimate xc as a continuous function of z at the initial time t0: (i) Estimate t = τ(z) as a quadratic function of z from the discrete trajectory of (zi, ti). (ii) Estimate xc[z, τ(z)] as a vector function of z by fitting xci = xc[zi, τ(zi)] with the following reduced one-dimensional version of (A1):
xc(z |ak) = ∑kakBk(z)
(iii) Refine the step-(ii) estimated xc[z, τ(z)] by applying an one-dimensional continuous version of statistical interpolation to the residuals of the step-(ii) fitting and adding the obtained incremental field to the step-(ii) estimated xc[z, τ(z)]. (iv) Assume the vortex moving velocity to be constantly independent of (z, t) and estimate it from the displacement of vortex center location detected on the lowest sweep from the earliest two consecutive volume scans. (v) Use the estimated constant moving velocity to shift xc[z, τ(z)] backward in time from τ(z) to t0 to finally and crudely estimate xc(z, t0). This estimated xc(z, t0) was used to successfully relocate the vortex and improve tornado track and intensity predictions in the forecast experiment [5]. However, the constant vortex center moving velocity assumed and estimated in the above modified method is not generally suitable for defining the vortex-following moving coordinate system in VF-Var to retrieve vortex winds.

Appendix B

Verification maximum surface wind speed and vorticity.
An example is given here to demonstrate how the verification maximum surface wind speed (58.2 m/s) and vorticity (0.38 s−1) at the forecast time of t = 25 min is extracted from the dual-Doppler retrieved vortex wind field produced by applying VF-Var to the KTLX volume scan (consisting of 10 tilts from 0.9° to 12.5°) over the time period from 2013:33 to 2016:09 UTC and the PAR sector scan (consisting of 14 tilts from 0.5° to 23.4°) over the time period from 2013:55 to 2014:48 UTC. Images of reflectivity and dealiased radial velocity, on 0.9° tilt of the above KTLX volume scan, are depicted, respectively, in Figure A1a and Figure A1b where the square area (of 20 × 20 km2) enclosed by the thin yellow boundary line shows the retrieval domain at the height of the observed vortex center (z = 450 m) on 0.9° tilt. Images of reflectivity and dealiased radial velocity on 0.5° tilt of the above PAR sector scan are depicted, respectively, in Figure A1c and Figure A1d where the square area enclosed by the thin yellow boundary line shows the retrieval domain at the height (z = 127 m) of observed vortex center on PAR 0.5° tilt.
As shown by the small yellow dot that marks the center of the retrieval domain in each panel of Figure A1, the retrieval domain is well co-centered with the observed vortex on each tilt. This co-centered feature is seen on every KTLX tilt and PAR tilt, while the vortex core and its vicinity areas are well covered by the dealiased radial velocity data from the KTLX volume scan and PAR sector scan over the 20 × 20 × 5 km3 slantwise retrieval domain in the vortex-following coordinate system. Thus, the dual-Doppler retrieved vortex winds should be adequately accurate as assessed in Table 1 of [7]. The retrieved surface winds (10 m above the ground) are plotted every ∆x = ∆y = 0.25 km in Figure A2a over a 6 × 6 km2 zoomed-in area co-centered with the retrieval domain, while the retrieved surface vorticity field is shown in Figure A2b. The verification maximum surface wind speed of 58.2 m/s (or vorticity of 0.38 s−1) at the forecast time of t = 25 min is searched/extracted from the wind (or vorticity) field over the 6 × 6 km2 zoomed-in area in Figure A2a (or Figure A2b), where the red + sign marks the location of the searched verification maximum surface wind speed (or vorticity). The predicted surface winds (10 m above the ground) at the forecast time of t = 25 min are plotted every ∆x = ∆y = 0.1 km in Figure A2c over a 6 × 6 km2 zoomed-in area co-centered with the predicted vortex, while the predicted surface vorticity field is shown in Figure A2d. The predicted maximum surface wind speed of 68.4 m/s (or vorticity of 0.91 s−1) at t = 25 min is searched/extracted from the wind (or vorticity) field over the 6 × 6 km2 zoomed-in area in Figure A2c (or Figure A2d), where the purple + sign marks the location of searched maximum surface wind speed (or vorticity).
Figure A1. Images of (a) reflectivity and (b) dealiased radial velocity on 0.9° tilt of KTLX scan at 2013:33 UTC. Images of (c) reflectivity and (d) dealiased radial velocity on 0.5° tilt of PAR sector scan at 2013:55 UTC. In each panel, the square area (of 20 × 20 km2) enclosed by the thin yellow boundary line shows the retrieval domain at the height of observed vortex center on the displayed tilt, while the small yellow dot marks the center of retrieval domain.
Figure A1. Images of (a) reflectivity and (b) dealiased radial velocity on 0.9° tilt of KTLX scan at 2013:33 UTC. Images of (c) reflectivity and (d) dealiased radial velocity on 0.5° tilt of PAR sector scan at 2013:55 UTC. In each panel, the square area (of 20 × 20 km2) enclosed by the thin yellow boundary line shows the retrieval domain at the height of observed vortex center on the displayed tilt, while the small yellow dot marks the center of retrieval domain.
Remotesensing 16 04628 g0a1
Figure A2. (a) Dual-Doppler retrieved surface vortex winds (10 m above the ground) plotted by black arrows every ∆x = ∆y = 0.25 km (in a square area of 6 × 6 km2 co-centered with the observed vortex) with the location of the searched verification maximum surface wind speed (58.2 m/s) marked by red + sign, while the dual-Doppler retrieval was performed in [7] by applying VF-Var to the KTLX volume scan and PAR sector scan around the forecast time of t = 25 min. (b) As in (a) but for dual-Doppler retrieved surface vorticity field plotted by black contours with the location of the searched verification maximum surface vorticity (0.38 s−1) marked by red + sign. (c) Surface winds predicted in Exp-T2 at the forecast time of t = 25 min plotted by black arrows every ∆x = ∆y = 0.1 km (in a square area of 6 × 6 km2 co-centered with the predicted vortex) with the location of the predicted maximum surface wind speed (68.4 m/s) marked by purple + sign. (d) As in (c) but for surface vorticity field plotted by black contours with the location of predicted maximum surface vorticity (0.91 s−1) marked by purple + sign. In (a,c), the wind vector scale is shown at the lower-left corner. In (b,d), the vorticity contours are labeled in the unit of s−1.
Figure A2. (a) Dual-Doppler retrieved surface vortex winds (10 m above the ground) plotted by black arrows every ∆x = ∆y = 0.25 km (in a square area of 6 × 6 km2 co-centered with the observed vortex) with the location of the searched verification maximum surface wind speed (58.2 m/s) marked by red + sign, while the dual-Doppler retrieval was performed in [7] by applying VF-Var to the KTLX volume scan and PAR sector scan around the forecast time of t = 25 min. (b) As in (a) but for dual-Doppler retrieved surface vorticity field plotted by black contours with the location of the searched verification maximum surface vorticity (0.38 s−1) marked by red + sign. (c) Surface winds predicted in Exp-T2 at the forecast time of t = 25 min plotted by black arrows every ∆x = ∆y = 0.1 km (in a square area of 6 × 6 km2 co-centered with the predicted vortex) with the location of the predicted maximum surface wind speed (68.4 m/s) marked by purple + sign. (d) As in (c) but for surface vorticity field plotted by black contours with the location of predicted maximum surface vorticity (0.91 s−1) marked by purple + sign. In (a,c), the wind vector scale is shown at the lower-left corner. In (b,d), the vorticity contours are labeled in the unit of s−1.
Remotesensing 16 04628 g0a2
As explained in [6], the retrieved vortex winds are continuous fields but their intrinsic spatial resolutions are limited by the length scale resolvable by the background error correlation functions in connection with the spatial resolutions and distributions of radar observations used by VF-Var. Because of this, the spatial resolutions of dual-Doppler retrieved winds in the vortex core area are intrinsically limited by the background error de-correlation lengths (> Rc/2 = 0.75 km) and the along-beam resolution (0.25 km) of radar observations and thus are much coarser than the horizontal resolution (0.1 km) of the predicted wind fields. This explains why the dual-Doppler retrieved vortex wind field in Figure A2a is smoother than the predicted vortex wind field in Figure A2c, why the retrieved vorticity field in Figure A2b is much smoother than the predicted vorticity field in Figure A2d, and why the verification maximum surface vorticity (0.38 s−1) in Figure A2b is much lower than the predicted maximum surface vorticity (0.91 s−1) in Figure A2d.

References

  1. Kurihara, Y.; Bender, M.; Ross, R. An initialization scheme of hurricane models by vortex specification. Mon. Weather Rev. 1993, 121, 2030–2045. [Google Scholar] [CrossRef]
  2. Kurihara, Y.; Bender, M.; Tuleya, R.; Ross, R. Improvements in the GFDL hurricane prediction system. Mon. Weather Rev. 1995, 123, 2791–2801. [Google Scholar] [CrossRef]
  3. Liu, Q.; Zhang, X.; Tong, M.; Zhang, Z.; Liu, B.; Wang, W.; Zhu, L.; Zhang, B.; Xu, X.; Trahan, S.; et al. Vortex Initialization in the NCEP Operational Hurricane Models. Atmosphere 2020, 11, 968. [Google Scholar] [CrossRef]
  4. Hsiao, L.; Liou, C.; Yeh, T.; Guo, Y.; Chen, D.; Huang, K.; Terng, C.; Chen, J. A vortex relocation scheme for tropical cyclone initialization in advanced research WRF. Mon. Weather Rev. 2010, 138, 3298–3315. [Google Scholar] [CrossRef]
  5. Xu, Q.; Nai, K.; Wei, L.; Snook, N.; Wang, Y.; Xue, M. A vortex relocation method for improving initial conditions and subsequent predictions of tornados. Weather Forecast. 2023, 38, 391–399. [Google Scholar] [CrossRef]
  6. Xu, Q. A variational method for analyzing vortex flows in radar-scanned tornadic mesocyclones. Part I: Formulations and theoretical considerations. J. Atmos. Sci. 2021, 78, 825–841. [Google Scholar] [CrossRef]
  7. Xu, Q.; Wei, L.; Nai, K. A variational method for analyzing vortex flows in radar-scanned tornadic mesocyclones. Part IV: Applications to the 20 May 2013 Oklahoma tornadic mesocyclone. J. Atmos. Sci. 2022, 79, 1531–1547. [Google Scholar] [CrossRef]
  8. Zhao, K.; Xue, M.; Lee, W.-C. Assimilation of GBVTD-retrieved winds from single-Doppler radar for short-term forecasting of Super Typhoon Saomai (0608) at landfall. Q. J. R. Meteorol. Soc. 2012, 138, 1055–1071. [Google Scholar] [CrossRef]
  9. Xu, Q.; Wei, L.; Nai, K. A three-step method for estimating vortex center locations in four-dimensional space from radar observed tornadic mesocyclones. J. Atmos. Ocean. Technol. 2017, 34, 2275–2281. [Google Scholar] [CrossRef]
  10. Xu, Q.; Wei, L. A variational method for analyzing vortex flows in radar-scanned tornadic mesocyclones. Part III: Sensitivities to vortex center location errors. J. Atmos. Sci. 2022, 79, 1515–1530. [Google Scholar] [CrossRef]
  11. Snook, N.; Xue, M.; Jung, Y. Tornado-resolving ensemble and probabilistic predictions of the 20 May 2013 Newcastle–Moore EF5 tornado. Mon. Weather Rev. 2019, 147, 1215–1235. [Google Scholar] [CrossRef]
  12. Xu, Q.; Nai, K. Mesocyclone-targeted Doppler velocity dealiasing. J. Atmos. Ocean. Technol. 2017, 34, 841–853. [Google Scholar] [CrossRef]
  13. Xu, Q.; Nai, K.; Wei, L. An innovation method for estimating radar radial-velocity observation error and background wind error covariances. Q. J. R. Meteorol. Soc. 2007, 133, 407–415. [Google Scholar] [CrossRef]
  14. Alaka, G.J.; Sippel, J.A.; Zhang, Z.; Kim, H.-S.; Marks, F.D.; Tallapragada, V.; Mehra, A.; Zhang, X.; Poyer, A.; Gopalakrishnan, S.G. Lifetime performance of the operational hurricane weather research and forecasting model (HWRF) for north Atlantic tropical cyclones. Bull. Am. Meteorol. Soc. 2024, 105, E932–E961. [Google Scholar] [CrossRef]
  15. Xue, M.; Droegemeier, K.K.; Wong, V. The Advanced Regional Prediction System (ARPS)—A multi-scale nonhydrostatic atmospheric simulation and prediction tool. Part I: Model dynamics and verification. Meteorol. Atmos. Phys. 2020, 75, 161–193. [Google Scholar] [CrossRef]
  16. Xue, M.; Droegemeier, K.K.; Wong, V.; Shapiro, A.; Brewster, K.; Carr, F.; Weber, D.; Liu, Y.; Wang, D. The Advanced Regional Prediction System (ARPS)—A multi-scale nonhydrostatic atmospheric simulation and prediction tool. Part II: Model physics and applications. Meteorol. Atmos. Phys. 2021, 76, 143–165. [Google Scholar] [CrossRef]
  17. Xu, Q.; Wei, L.; Nai, K.; Liu, S.; Rabin, R.; Zhao, Q. A radar wind analysis system for nowcast applications. Adv. Meteorol. 2015, 2015, 264515. [Google Scholar] [CrossRef]
  18. Burgess, D.; Ortega, K.; Stumpf, G.; Garfield, G.; Karstens, C.; Meyer, T.; Smith, B. 20 May 2013 Moore, Oklahoma, tornado: Damage survey and analysis. Weather Forecast. 2014, 29, 1229–1237. [Google Scholar] [CrossRef]
  19. Atkins, N.; Butler, K.; Flynn, K.; Wakimoto, R. An integrated damage, visual, and radar analysis of the 2013 Moore, Oklahoma, EF5 tornado. Bull. Am. Meteorol. Soc. 2014, 95, 1549–1561. [Google Scholar] [CrossRef]
  20. Gao, F.; Huang, X.-Y.; Jacobs, N.A.; Wang, H. Assimilation of wind speed and direction observations: Results from real observation experiments. Tellus A 2015, 67, 27132. [Google Scholar] [CrossRef]
  21. Wang, C.; Chen, Y.; Chen, M.; Huang, X.-Y. Evaluation of two observation operator schemes for wind profiler radar data assimilation and its impacts on short-term forecasting. Atmos. Res. 2023, 283, 106549. [Google Scholar] [CrossRef]
  22. Xu, Q. Extended Sawyer-Eliassen equation for frontal circu lations in the presence of small viscous moist symmetric stability. J. Atmos. Sci. 1989, 46, 2671–2683. [Google Scholar] [CrossRef]
Figure 1. (a) xc(z, t) estimated in the third (or second) step plotted by color (or grey) counters of every 0.5 km within 0 ≤ z ≤ 5 km and 0 < t < 8.5 min for the adaptively modified three-step method applied to the earliest two consecutive volume scans (over the time period from 1951:42 to 1959:07 UTC) from the operational KTLX radar that first detected the tornado vortex, while the black contours plot, also every 0.5 km, the extensively estimated xc(z, t) produced by applying the original three-step method to all the 10 volume scans from the KTLX radar and 22 sector scans from PAR that detected the tornado vortex (over the time period from 1951:42 to 2033:44 UTC). (b) As in (a) but for yc(z, t) plotted every 0.5 km. The local (x, y, z) coordinate system is the same as in Figure 2 of [7], and t = 0 corresponds to the initial time t0 for model forecast integrations at 1950 UTC. In each panel, the red + signs mark the 18 discrete points (zi, ti), with 10 points from the first volume scan and 8 points from the second volume scan, at which xci ≡ (xci, yci) are generated in the first step, while the red number near each red + sign displays the value of xci (or yci) in km in panel (a) [or (b)].
Figure 1. (a) xc(z, t) estimated in the third (or second) step plotted by color (or grey) counters of every 0.5 km within 0 ≤ z ≤ 5 km and 0 < t < 8.5 min for the adaptively modified three-step method applied to the earliest two consecutive volume scans (over the time period from 1951:42 to 1959:07 UTC) from the operational KTLX radar that first detected the tornado vortex, while the black contours plot, also every 0.5 km, the extensively estimated xc(z, t) produced by applying the original three-step method to all the 10 volume scans from the KTLX radar and 22 sector scans from PAR that detected the tornado vortex (over the time period from 1951:42 to 2033:44 UTC). (b) As in (a) but for yc(z, t) plotted every 0.5 km. The local (x, y, z) coordinate system is the same as in Figure 2 of [7], and t = 0 corresponds to the initial time t0 for model forecast integrations at 1950 UTC. In each panel, the red + signs mark the 18 discrete points (zi, ti), with 10 points from the first volume scan and 8 points from the second volume scan, at which xci ≡ (xci, yci) are generated in the first step, while the red number near each red + sign displays the value of xci (or yci) in km in panel (a) [or (b)].
Remotesensing 16 04628 g001
Figure 2. xc(zk, t0) estimated in the third step of the adaptively modified method marked by red line connecting the red + signs at z = zk with k increasing from 1 to 22, where zk is the height of the model kth vertical level above the ground. The blue line connecting the blue × signs marks the time-shifted vortex center at (zk, t0), also with k increasing from 1 to 22, from the best ensemble member run.
Figure 2. xc(zk, t0) estimated in the third step of the adaptively modified method marked by red line connecting the red + signs at z = zk with k increasing from 1 to 22, where zk is the height of the model kth vertical level above the ground. The blue line connecting the blue × signs marks the time-shifted vortex center at (zk, t0), also with k increasing from 1 to 22, from the best ensemble member run.
Remotesensing 16 04628 g002
Figure 3. (a) Surface winds (plotted by black arrows on a coarsened grid of every ∆x = ∆y = 1 km at z = 10 m with the associated vortex center marked by the blue + sign) valid at t = t0 (1950 UTC) produced by time-shifted vortex relocation from the best ensemble member run. (b) As in (a) but produced by space-shifted vortex relocation (after the time-shifted vortex relocation). (c) As in (b) but for temperature (in °K) at z = 10 m plotted by color shades with the color scale displayed on the bottom of the panel. (d) As in (c) but for specific humidity (in g/kg) at z = 10 m. In each panel, the red + sign marks the estimated vortex center at z = 10 m and t = t0 (1950 UTC), and the thin cyan lines show county boundaries.
Figure 3. (a) Surface winds (plotted by black arrows on a coarsened grid of every ∆x = ∆y = 1 km at z = 10 m with the associated vortex center marked by the blue + sign) valid at t = t0 (1950 UTC) produced by time-shifted vortex relocation from the best ensemble member run. (b) As in (a) but produced by space-shifted vortex relocation (after the time-shifted vortex relocation). (c) As in (b) but for temperature (in °K) at z = 10 m plotted by color shades with the color scale displayed on the bottom of the panel. (d) As in (c) but for specific humidity (in g/kg) at z = 10 m. In each panel, the red + sign marks the estimated vortex center at z = 10 m and t = t0 (1950 UTC), and the thin cyan lines show county boundaries.
Remotesensing 16 04628 g003
Figure 4. Images of (a) reflectivity and (b) dealiased radial velocity from KTLX on 0.5° tilt at 1951:42 UTC. In each panel, the yellow dot marks the vortex center detected and estimated in the first step of the adaptively modified method and the analysis domain at the height of this estimated vortex center is shown by the square area of 20 × 20 km2 enclosed by the thin yellow boundary line.
Figure 4. Images of (a) reflectivity and (b) dealiased radial velocity from KTLX on 0.5° tilt at 1951:42 UTC. In each panel, the yellow dot marks the vortex center detected and estimated in the first step of the adaptively modified method and the analysis domain at the height of this estimated vortex center is shown by the square area of 20 × 20 km2 enclosed by the thin yellow boundary line.
Remotesensing 16 04628 g004
Figure 5. Three-dimensional perspective of the estimated vortex center axis viewed in the local Cartesian coordinate system (x, y, z) at five different times, 1 min apart, from the beginning to the end of the analysis time window between 0 ≤ tt1 ≤ 4 min. The origin of (x, y, z) is at the estimated vortex center location at (z, t) = (0, t1), and t1 corresponds to 1951:42 UTC which is 1 min 42 s after the initial time of t0 (1950:00 UTC). The five colored segments (in red, green, blue, purple and cyan) of vortex center axis at each time indicate the estimated vortex center axis in five different vertical layers of 1 km depth from z = 0 to 5 km. The black dashed curve on the surface of z = 0 is the vertical projection of the cyan curve that shows the track of vortex center at z = 5 km.
Figure 5. Three-dimensional perspective of the estimated vortex center axis viewed in the local Cartesian coordinate system (x, y, z) at five different times, 1 min apart, from the beginning to the end of the analysis time window between 0 ≤ tt1 ≤ 4 min. The origin of (x, y, z) is at the estimated vortex center location at (z, t) = (0, t1), and t1 corresponds to 1951:42 UTC which is 1 min 42 s after the initial time of t0 (1950:00 UTC). The five colored segments (in red, green, blue, purple and cyan) of vortex center axis at each time indicate the estimated vortex center axis in five different vertical layers of 1 km depth from z = 0 to 5 km. The black dashed curve on the surface of z = 0 is the vertical projection of the cyan curve that shows the track of vortex center at z = 5 km.
Remotesensing 16 04628 g005
Figure 6. (a) Ground-relative vortex winds converted from single-Doppler retrieved axisymmetric part of VF plotted by black arrows atop of reflectivity image (from KTLX at 1951:42 UTC) projected on the first model vertical level (at z = 10 m) over the retrieval domain. (b) As in (a) but on the nineth model vertical level (at z = 1.089 km). The wind vector scale is shown at the lower-left corner and the reflectivity color scale is shown on the right side of the figure.
Figure 6. (a) Ground-relative vortex winds converted from single-Doppler retrieved axisymmetric part of VF plotted by black arrows atop of reflectivity image (from KTLX at 1951:42 UTC) projected on the first model vertical level (at z = 10 m) over the retrieval domain. (b) As in (a) but on the nineth model vertical level (at z = 1.089 km). The wind vector scale is shown at the lower-left corner and the reflectivity color scale is shown on the right side of the figure.
Remotesensing 16 04628 g006
Figure 7. (a) Surface wind innovations (plotted by black arrows every ∆x = ∆y = 1 km within 7 km radius from the radar-estimated vortex center at z = 10 m) generated from the first-batch “observations” by subtracting the background wind from “observation” at each observation point, while the background wind field is given by the time–space-shifted wind field (see in Figure 3b). (b) First-step analyzed surface winds (plotted by black arrows every ∆x = ∆y = 1 km at z = 10 m) produced by assimilating the first-batch “observations” after the time–space-shifted vortex relocation. In each panel, the red + sign marks the estimated vortex center at z = 10 m and t = t0 (1950 UTC), and the thin cyan lines show county boundaries.
Figure 7. (a) Surface wind innovations (plotted by black arrows every ∆x = ∆y = 1 km within 7 km radius from the radar-estimated vortex center at z = 10 m) generated from the first-batch “observations” by subtracting the background wind from “observation” at each observation point, while the background wind field is given by the time–space-shifted wind field (see in Figure 3b). (b) First-step analyzed surface winds (plotted by black arrows every ∆x = ∆y = 1 km at z = 10 m) produced by assimilating the first-batch “observations” after the time–space-shifted vortex relocation. In each panel, the red + sign marks the estimated vortex center at z = 10 m and t = t0 (1950 UTC), and the thin cyan lines show county boundaries.
Remotesensing 16 04628 g007
Figure 8. (a) As in Figure 7a but zoomed in around the vortex center (marked by the red + sign). (b) As in Figure 7b but with arrows plotted every 0.3 km in the same zoomed-in area as in (a). (c) Surface wind innovations [plotted by arrows every 0.3 km within 2.5 km radius from the radar-estimated vortex center in the same zoomed-in area as in (a) at z = 10 m] generated from the second-batch “observations” by subtracting the background wind from “observation” at each observation point, while the background wind field is given by the first-step analyzed surface wind field (see Figure 7b and Figure 8b). (d) Second-step analyzed surface winds [plotted by black arrows every 0.3 km in the same zoomed-in area as in (a) at z = 10 m] produced by assimilating the second-batch “observations” in the second step.
Figure 8. (a) As in Figure 7a but zoomed in around the vortex center (marked by the red + sign). (b) As in Figure 7b but with arrows plotted every 0.3 km in the same zoomed-in area as in (a). (c) Surface wind innovations [plotted by arrows every 0.3 km within 2.5 km radius from the radar-estimated vortex center in the same zoomed-in area as in (a) at z = 10 m] generated from the second-batch “observations” by subtracting the background wind from “observation” at each observation point, while the background wind field is given by the first-step analyzed surface wind field (see Figure 7b and Figure 8b). (d) Second-step analyzed surface winds [plotted by black arrows every 0.3 km in the same zoomed-in area as in (a) at z = 10 m] produced by assimilating the second-batch “observations” in the second step.
Remotesensing 16 04628 g008
Figure 9. Radar-observed tornado track plotted by black • signs (every minute from the initial time t0 at 1950 to 2035 UTC), predicted track from the best ensemble member without vortex relocation plotted by blue × signs (every minute from t0 to 2008 UTC), predicted track in EXP-T1 plotted by green • signs (every minute from t0 at 1950 to 2014 and from 2019 to 2030 UTC) and predicted track in EXP-T2 plotted by red + signs (every minute from t0 to 2030 UTC). The thin black lines show county boundaries.
Figure 9. Radar-observed tornado track plotted by black • signs (every minute from the initial time t0 at 1950 to 2035 UTC), predicted track from the best ensemble member without vortex relocation plotted by blue × signs (every minute from t0 to 2008 UTC), predicted track in EXP-T1 plotted by green • signs (every minute from t0 at 1950 to 2014 and from 2019 to 2030 UTC) and predicted track in EXP-T2 plotted by red + signs (every minute from t0 to 2030 UTC). The thin black lines show county boundaries.
Remotesensing 16 04628 g009
Figure 10. (a) Predicted surface winds after vortex relocation in EXP-T1 plotted by black arrows (at z = 10 m) with the predicted vortex center marked by the blue + sign valid at t = t0 + 10 min (2000 UTC), while the red + sign marks the estimated vortex center at z = 10 m valid at t = t0 + 10 min) and the thin cyan lines show county boundaries. (b) As in (a) but for predicted surface winds after vortex relocation and assimilating the retrieved vortex winds in EXP-T2.
Figure 10. (a) Predicted surface winds after vortex relocation in EXP-T1 plotted by black arrows (at z = 10 m) with the predicted vortex center marked by the blue + sign valid at t = t0 + 10 min (2000 UTC), while the red + sign marks the estimated vortex center at z = 10 m valid at t = t0 + 10 min) and the thin cyan lines show county boundaries. (b) As in (a) but for predicted surface winds after vortex relocation and assimilating the retrieved vortex winds in EXP-T2.
Remotesensing 16 04628 g010
Figure 11. As in Figure 10 but for predicted surface winds valid at t = t0 + 20 min (2010 UTC).
Figure 11. As in Figure 10 but for predicted surface winds valid at t = t0 + 20 min (2010 UTC).
Remotesensing 16 04628 g011
Figure 12. (a) Time series of maximum surface wind speed (at z = 10 m) of tornado vortex predicted without vortex relocation plotted by blue curve, predicted in Exp-T1 (with vortex relocation at t0) plotted by green curve, and predicted in Exp-T2 (with assimilation of retrieved vortex winds after vortex relocation at t0) plotted by red curve, while the black curve plots the time series of maximum surface wind speed extracted from dual-Doppler retrieved vortex wind fields. (b) As in (a) but for time series of maximum vorticity.
Figure 12. (a) Time series of maximum surface wind speed (at z = 10 m) of tornado vortex predicted without vortex relocation plotted by blue curve, predicted in Exp-T1 (with vortex relocation at t0) plotted by green curve, and predicted in Exp-T2 (with assimilation of retrieved vortex winds after vortex relocation at t0) plotted by red curve, while the black curve plots the time series of maximum surface wind speed extracted from dual-Doppler retrieved vortex wind fields. (b) As in (a) but for time series of maximum vorticity.
Remotesensing 16 04628 g012
Table 1. Ranges of tornado EF scale listed for nine forecast time intervals (every 5 min from t = 0 to 45 min). The listed EF scales are extracted from those displayed along the tornado track in Figure 4b of [9] based on tornado damage survey [18,19]. The forecast initial time t = 0 (1950:00 UTC) corresponds to the local time 1450:00 CT (see the local times marked along the tornado track in Figure 4a of [9]). For EF scales of 0, 1, 2, 3, 4 and 5, the three-second gusts are estimated in the ranges of 18~38, 38~49, 50~60, 60~74, 74~89 and over 89 m/s, respectively.
Table 1. Ranges of tornado EF scale listed for nine forecast time intervals (every 5 min from t = 0 to 45 min). The listed EF scales are extracted from those displayed along the tornado track in Figure 4b of [9] based on tornado damage survey [18,19]. The forecast initial time t = 0 (1950:00 UTC) corresponds to the local time 1450:00 CT (see the local times marked along the tornado track in Figure 4a of [9]). For EF scales of 0, 1, 2, 3, 4 and 5, the three-second gusts are estimated in the ranges of 18~38, 38~49, 50~60, 60~74, 74~89 and over 89 m/s, respectively.
t interval0~55~1010~1515~2020~2525~3030~3535~4040~45
EF scale0~11~31~23~444~54~543~0
Disclaimer/Publisher’s Note: The statements, opinions and data contained in all publications are solely those of the individual author(s) and contributor(s) and not of MDPI and/or the editor(s). MDPI and/or the editor(s) disclaim responsibility for any injury to people or property resulting from any ideas, methods, instructions or products referred to in the content.

Share and Cite

MDPI and ACS Style

Xu, Q.; Nai, K.; Wei, L.; Snook, N.; Wang, Y.; Xue, M. Improving Tornado Intensity Prediction by Assimilating Radar-Retrieved Vortex Winds After Vortex Relocation. Remote Sens. 2024, 16, 4628. https://doi.org/10.3390/rs16244628

AMA Style

Xu Q, Nai K, Wei L, Snook N, Wang Y, Xue M. Improving Tornado Intensity Prediction by Assimilating Radar-Retrieved Vortex Winds After Vortex Relocation. Remote Sensing. 2024; 16(24):4628. https://doi.org/10.3390/rs16244628

Chicago/Turabian Style

Xu, Qin, Kang Nai, Li Wei, Nathan Snook, Yunheng Wang, and Ming Xue. 2024. "Improving Tornado Intensity Prediction by Assimilating Radar-Retrieved Vortex Winds After Vortex Relocation" Remote Sensing 16, no. 24: 4628. https://doi.org/10.3390/rs16244628

APA Style

Xu, Q., Nai, K., Wei, L., Snook, N., Wang, Y., & Xue, M. (2024). Improving Tornado Intensity Prediction by Assimilating Radar-Retrieved Vortex Winds After Vortex Relocation. Remote Sensing, 16(24), 4628. https://doi.org/10.3390/rs16244628

Note that from the first issue of 2016, this journal uses article numbers instead of page numbers. See further details here.

Article Metrics

Back to TopTop