Integration of Terrestrial Laser Scanner (TLS) and Ground Penetrating Radar (GPR) to Characterize the Three-Dimensional (3D) Geometry of the Maoyaba Segment of the Litang Fault, Southeastern Tibetan Plateau
Abstract
1. Introduction
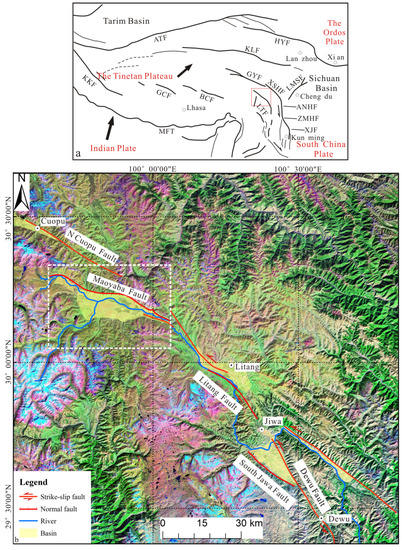
2. Geological Setting
3. Materials and Methods
3.1. TLS Data Acquisition and Processing
3.2. GPR Data Acquisition and Processing
3.3. Data Integration Method of TLS and GPR
4. Results
4.1. Terrestrial Laser Scanning
4.2. Ground Penetrating Radar
4.2.1. 2D GPR Data
4.2.2. 3D GPR Data
4.3. Data Visualization of Point Clouds and GPR Data
5. Discussion
5.1. The Integrated of TLS and GPR Method
5.2. The Maoyaba Fault
6. Conclusions
- (1)
- The fault offset T1 and T2 landscape with nearly the W-E trending and other geomorphic evidences of faulting were revealed by the TLS-derived data. A relative lower elevation area, paralleling to the fault, was revealed on the TLS results and it implied that the hanging wall had been locally affected by later sedimentation.
- (2)
- On the 250 MHz and 500 MHz GPR profiles along the survey lines 2 to 4, a wedge-shaped zone of the electromagnetic wave was observed and it was considered as the main fault zone with a small graben structure, which the maximum width at the surface could up to ~40 m.
- (3)
- The characteristics of the fault F1 and F2 were directly confirmed on the 3D GPR data, such as the location of the fault plane, the strikes and dipping. The fault F1 was regarded as the main fault with a SE dipping of the nearly 90°, while the fault F2 was the secondary fault in the fault zone with a NE dipping.
- (4)
- The 3D surface and subsurface geometry of the fault were established by the integrated data of TLS and GPR. This hybrid data rendered more the realistic surface and subsurface geometry of active faults, which not only allows discerning the fault traces at the surface and its strikes, but also obtain the range of the deformation zone and the location of fault dislocation.
- (5)
- The study results demonstrate that integration of the TLS and GPR is suitable for delineating the 3D surface and subsurface geometry of the fault on the Maoyaba fault. In future research, the integration of TLS and GPR will be widely used for active fault investigation and seismic hazard assessment in different geological environments, especially in the Qinghai-Tibet Plateau area.
Author Contributions
Funding
Data Availability Statement
Acknowledgments
Conflicts of Interest
References
- Maruyama, T.; Lin, A. Active strike-slip faulting history inferred from offsets of topographic features and basement rocks: A case study of the Arima–Takatsuki Tectonic Line, southwest Japan. Tectonophysics 2002, 344, 81–101. [Google Scholar] [CrossRef]
- Hooper, D.M.; Bursik, M.I.; Webb, F.H. Application of high-resolution, interferometric DEMs to geomorphologic studies of fault scarps, Fish Lake Valley, Nevada-California, USA. Remote Sens. Environ. 2003, 84, 255–267. [Google Scholar] [CrossRef]
- Deng, Q.D.; Chen, L.C.; Ran, Y.K. Quantitative studies and applications of active tectonic. Earth Sci. Front. 2004, 11, 383–392. [Google Scholar]
- Arrowsmith, J.R.; Zielke, O. Tectonic geomorphology of the San Andreas Fault zone from high resolution topography: An example from the Cholame segment. Geomorphology 2009, 113, 70–81. [Google Scholar] [CrossRef]
- Liu, J.; Chen, T.; Zhang, P.Z.; Zhang, H.P.; Zheng, W.J.; Ren, Z.K.; Liang, S.M.; Sheng, C.Z.; Gan, W.J. Illuminating the active Haiyuan fault, China by Airborne Light Detection and Ranging. Chin. Sci. Bull. 2013, 58, 41–45. [Google Scholar]
- Ren, Z.K.; Zielke, O.; Yu, J.X. Active tectonics in 4D high-resolution. J. Struct. Geol. 2018, 117, 264–271. [Google Scholar] [CrossRef]
- Wu, Z.H. The Definition and Classification of Active faults: History, Current Status and Progress. Acta Geosci. Sin. 2019, 40, 661–697. [Google Scholar]
- Zhou, L.; Kaneda, H.; Mukoyama, S.; Nonomura, A.; Chibae, T. Detection of subtle tectonic–geomorphic features in densely forested mountains by very high-resolution airborne LiDAR survey. Geomorphology 2013, 182, 104–115. [Google Scholar]
- Chen, T.; Zhang, P.Z.; Liu, J.; Li, C.Y.; Ren, Z.K.; Hudnut, K.W. Quantitative study of tectonic geomorphology along Haiyuan fault based on airborne LiDAR. Chin. Sci. Bull. 2014, 59, 1293–1304. [Google Scholar] [CrossRef]
- Tang, Y. Measurement of the Spatial Scale of Fracture Dislocation through High-resolution Remote Sensing Images. China Earthq. Eng. J. 2019, 41, 1274–1279+1373. [Google Scholar]
- Wei, Z.Y.; He, H.L.; Su, P.; Zhuang, Q.T.; Sun, W. Investigating paleoseismicity using fault scarp morphology of the Dushanzi Reverse Fault in the northern Tian Shan, China. Geomorphology 2019, 327, 542–553. [Google Scholar] [CrossRef]
- Xiong, B.; Li, X. Offset measurements along active faults based on the structure from motion method-A case study of Gebiling in the Xorkoli section of the Altyn Tagh Fault. Sci. Technol. Eng. 2020, 20, 10848–10855. [Google Scholar] [CrossRef]
- Rao, G.; He, C.Q.; Chen, H.L.; Yang, X.P.; Shi, X.H.; Chen, P.; Hu, J.M.; Yao, Q.; Yang, C.J. Use of small unmanned aerial vehicle (sUAV)-acquired topography for identifying and characterizing active normal faults along the Seerteng Shan, North China. Geomorphology 2020, 359, 107168. [Google Scholar] [CrossRef]
- Ran, Y.K.; Deng, Q.D. History, status and trend about research of paleseismology. Chin. Sci. Bull. 1999, 44, 12–20. [Google Scholar] [CrossRef]
- Deng, Q.D. Advances and overview on researches of active tectonics in China. Geol. Rev. 2002, 18, 168–177. [Google Scholar]
- Wu, Z.H.; Zhang, Y.Q.; Hu, D.G. Neotectonics, active tectonics and earthquake geology. Geol. Bull. China 2014, 33, 391–402. [Google Scholar]
- Saint Fleur, N.; Klinger, Y.; Feuillet, N. Detailed map, displacement, paleoseismology, and segmentation of the Enriquillo-Plantain Garden Fault in Haiti. Tectonophysics 2020, 778, 228368. [Google Scholar] [CrossRef]
- Kayen, R.; Pack, R.T.; Bay, J.; Sugimoto, S.; Tanaka, H. Terrestrial-LIDAR Visualization of Surface and Structural Deformations of the 2004 Niigata Ken Chuetsu, Japan, Earthquake. Earthq. Spectra 2006, 22, 147–162. [Google Scholar] [CrossRef]
- Derron, M.H.; Jaboyedoff, M. Preface “LIDAR and DEM techniques for landslides monitoring and characterization”. Nat. Hazards Earth Syst. Sci. 2010, 10, 1877–1879. [Google Scholar] [CrossRef]
- Wei, Z.Y.; Shi, F.; Gao, X.; Xu, C.P.; He, H.L. Topographic characteristics of rupture associated with Wenchuan earthquake. Earth Sci. Front. 2010, 17, 53–66. [Google Scholar]
- Ma, H.C. Review on applications of LiDAR mapping technology to geosciences. Earth Sci. J. China Univ. Geosci. 2011, 36, 347–354. [Google Scholar]
- Gold, P.O.; Oskin, M.E.; Elliott, A.J.; Hinojosa-Corona, A.; Taylor, M.H.; Kreylos, O.; Cowgill, E. Coseismic slip variation assessed from terrestrial lidar scans of the El Mayor-Cucapah surface rupture. Earth Planet. Sci. Lett. 2013, 366, 151–162. [Google Scholar] [CrossRef]
- Ren, Z.K.; Chen, T.; Zhang, H.P.; Zheng, W.Z.; Zhang, P.Z. LiDAR Survey in Active Tectonics Studies:An Introduction and Overview. Acta Geol. Sin. 2014, 88, 1197–1202. [Google Scholar]
- Zheng, W.J.; Lei, Q.Y.; Du, P.; Chen, T.; Ren, Z.; Yu, J.X.; Zhang, N. 3D laser scanning (LiDAR): A new technology acquiring high precision palaeoearthquake trench information. Seismol. Geol. 2015, 37, 232–241. [Google Scholar]
- Tang, Y.Y.; Wei, S.Q.; Song, J.H.; Zhang, D.L.; Zheng, W.J. Key technology and application of terrestrial LiDAR in 3D active faults model. Acta Sci. Nat. Univ. Sunyatseni 2021, 60, 78–87. [Google Scholar]
- Zhang, D.; Li, J.C.; Wu, Z.H.; Liu, S.D.; Lu, Y. Using terrestrial LiDAR to accurately measure the microgeomorphologic geometry of active faults: A case study of fault scarp on the Maoyababa fault zone. J. Geomech. 2021, 27, 63–72. [Google Scholar]
- Carbonel, D.; Rodríguez-Tribaldos, V.; Gutiérrez, F.; Galve, J.P.; Guerrero, J.; Zarroca, M.; Roqué, C.; Linares, R.; McCalpin, J.P.; Acosta, E. Investigating a damaging buried sinkhole cluster in an urban area (Zaragoza city, NE Spain) integrating multiple techniques: Geomorphological surveys, DInSAR, DEMs, GPR, ERT, and trenching. Geomorphology 2015, 229, 3–16. [Google Scholar] [CrossRef]
- Wang, Z.P.; Liu, J.P.; Lei, Y.I. Effect and Application of 2D and 3D High Density Resistivity Method for Fault Detection. Sci. Technol. Eng. 2019, 19, 75–82. [Google Scholar]
- Nappi, R.; Paoletti, V.; D’Antonio, D.; Soldovieri, F.; Capozzoli, L.; Ludeno, G.; Porfido, S.; Michetti, A.M. Joint Interpretation of Geophysical Results and Geological Observations for Detecting Buried Active Faults: The Case of the “Il Lago” Plain (Pettoranello del Molise, Italy). Remote Sens. 2021, 13, 1555. [Google Scholar] [CrossRef]
- Finizola, A.; Ricci, T.; Deiana, R.; Cabusson, S.B.; Rossi, M.; Praticelli, N.; Giocoli, A.; Romano, G.; Delcher, E.; Suski, B.; et al. Adventive hydrothermal circulation on Stromboli volcano (Aeolian Islands, Italy) revealed by geophysical and geochemical approaches: Implications for general fluid flow models on volcanoes. J. Volcanol. Geotherm. Res. 2010, 196, 111–119. [Google Scholar] [CrossRef]
- Yalçıner, C.Ç.; Altunel, E.; Bano, M.; Meghraoui, M.; Karabacak, V.; Akyüz, H.S. Application of GPR to normal faults in the Buyuk Menderes Graben, western Turkey. J. Geodyn. 2013, 65, 218–227. [Google Scholar] [CrossRef]
- Dujardin, J.R.; Bano, M.; Schlupp, A.; Ferry, M.; Munkhuu, U.; Tsend-Ayush, N.; Enkhee, B. GPR measurements to assess the Emeelt active faults’s characteristics in a highly smooth topographic context, Mongolia. Geophys. J. Int. 2014, 198, 174–186. [Google Scholar] [CrossRef]
- Anchuela, Ó.P.; Lafuente, P.; Arlegui, L.; Liesa, C.L.; Simón, J.L. Geophysical characterization of buried active faults: The Concud Fault (Iberian Chain, NE Spain). Int. J. Earth Sci. 2016, 105, 2221–2239. [Google Scholar] [CrossRef]
- Zhang, D.; Li, J.C.; Wu, Z.H.; Ren, L.L. Review and application of ground penetrating radar in active faults. J. Geomech. 2016, 22, 733–746. [Google Scholar]
- Maurya, D.; Chowksey, V.; Tiwari, P.; Chamyal, L. Tectonic geomorphology and neotectonic setting of the seismically active South Wagad Fault (SWF), Western India, using field and GPR data. Acta Geophys. 2017, 65, 1167–1184. [Google Scholar] [CrossRef]
- Lunina, O.V.; Gladkov, A.S.; Gladkov, A.A. Surface and shallow subsurface structure of the Middle Kedrovaya paleoseismic rupture zone in the Baikal Mountains from geomorphological and ground-penetrating radar investigations. Geomorphology 2019, 326, 54–67. [Google Scholar] [CrossRef]
- Lubowiecka, L.; Armesto, J.; Arias, P.; Lorenzo, H. Historic bridge modelling using laser scanning, ground penetrating radar and finite element methods in the context of structural dynamics. Eng. Struct. 2009, 31, 2667–2676. [Google Scholar] [CrossRef]
- Solla, M.; Lorenzo, H.; Novo, A.; Riveiro, B. Evaluation of ancient structures by GPR (ground penetrating radar): The arch bridges of Galicia (Spain). Sci. Res. Essays 2011, 6, 1877–1884. [Google Scholar]
- Solla, M.; Lorenzo, H.; Rial, F.; Novo, A. Ground-penetrating radar for the structural evaluation of masonry bridges: Results and interpretational tools. Constr. Build. Mater. 2012, 29, 458–465. [Google Scholar] [CrossRef]
- Teixidó, T.; Peña, J.A.; Fernández, G.; Burillo, F.; Mostaza, T.; Zancajo, J. Ultradense topographic correction by 3D-laser scanning in pseudo-3D ground-penetrating radar data: Application to the constructive pattern of the monumental platform at the Segeda I Site (Spain). Archaeol. Prospect. 2014, 21, 113–123. [Google Scholar] [CrossRef]
- Zhao, W.K.; Forte, E.; Levi, S.T.; Pipan, M.; Tian, G. Improved high-resolution GPR imaging and characterization of prehistoric archaeological features by means of attribute analysis. J. Archaeol. Sci. 2015, 54, 77–85. [Google Scholar] [CrossRef]
- Aziz, A.S.; Stewart, R.R.; Green, S.L.; Flores, J.B. Locating and characterizing burials using 3D ground-penetrating radar (GPR) and terrestrial laser scanning (TLS) at the historic Mueschke Cemetery, Houston, Texas. J. Archaeol. Sci. Rep. 2016, 8, 392–405. [Google Scholar]
- Masini, N.; Capozzoli, L.; Chen, P.; Chen, F.; Romano, G.; Lu, P.; Tang, P.; Sileo, M.; Ge, Q.; Lasaponara, R. Towards an Operational Use of Geophysics for Archaeology in Henan (China): Methodological Approach and Results in Kaifeng. Remote Sens. 2017, 9, 809. [Google Scholar] [CrossRef]
- Puente, I.; Solla, M.; Lagüela, S.; Sanjurjo-Pinto, J. Reconstructing the Roman Site “Aquis Querquennis” (Bande, Spain) from GPR, T-LiDAR and IRT Data Fusion. Remote Sens. 2018, 10, 379. [Google Scholar] [CrossRef]
- Downs, C.; Rogers, J.; Collins, L.; Doering, T. Integrated Approach to Investigating Historic Cemeteries. Remote Sens. 2020, 12, 2690. [Google Scholar] [CrossRef]
- Solla, M.; Lorenzo, H.; Novo, A.; Caamaño, J.C. Structural analysis of the Roman Bibei bridge (Spain) based on GPR data and numerical modeling. Autom. Constr. 2012, 22, 334–339. [Google Scholar] [CrossRef]
- Puente, I.; Solla, M.; González-Jorge, H.; Arias, P. Validation of mobile LiDAR surveying for measuring pavement layer thicknesses and volumes. NDT E Int. 2013, 60, 70–76. [Google Scholar] [CrossRef]
- Lagüela, S.; Solla, M.; Puente, I.; Prego, F.J. Joint use of GPR, IRT and TLS techniques for the integral damage detection in paving. Constr. Build. Mater. 2018, 174, 749–760. [Google Scholar] [CrossRef]
- Pérez, J.P.C.; De Sanjosé Blasco, J.J.; Atkinson, A.D.J.; Del Río Pérez, L.M. Assessment of the Structural Integrity of the Roman Bridge of Alcántara (Spain) Using TLS and GPR. Remote Sens. 2018, 10, 387. [Google Scholar] [CrossRef]
- Kayen, R.; Barnhardt, A.; Carkin, B.A.; Grossman, E.E.; Minasian, D.; Thompson, M. Imaging the M7.9 Denali Fault Earthquake 2002 Rupture at the Delta River Using LiDAR, RADAR, and SASW Surface Wave Geophysics; AGU Fall Meeting: San Francisco, CA, USA, 2004. [Google Scholar]
- Lee, K.; Tomasso, M.; Ambrose, W.A.; Bouroullec, R. Integration of GPR with stratigraphic and lidar data to investigate behind-the-outcrop 3D geometry of a tidal channel reservoir analog, upper Ferron Sandstone, Utah. Lead. Edge 2007, 26, 929–1080. [Google Scholar] [CrossRef]
- Spahic, D.; Exner, U.; Behm, M.; Grasemann, B.; Haring, A. Structural 3D modeling using GPR in unconsolidated sediments (Vienna basin, Austria). Trabajos de Geología 2010, 30, 250–252, Erratum in Trabajos de Geología 2010, 29, 250–252. [Google Scholar]
- Aqeel, A.M. Measuring the Orientations of Hidden Subvertical Joints in Highways Rock Cuts Using Ground Penetrating Radar in Combination with LIDAR; Missouri University of Science and Technology: Rolla, MO, USA, 2012. [Google Scholar]
- Zhu, R.K.; Bai, B.; Yuan, X.J.; Luo, Z.; Wang, P.; Gao, Z.Y.; Su, L.; Li, T.T. A new approach for outcrop characterization and geostatistical analysis of meandering channels sandbodies within a delta plain setting using digital outcrop models: Upper triassic Yanchang tight sandstone formation, Yanhe outcrop, Ordos Basin. Acta Sedimentol. Sin. 2013, 31, 867–877. [Google Scholar]
- Maerz, N.H.; Aqeel, A.M.; Anderson, N. Measuring Orientations of Individual Concealed Sub-Vertical Discontinuities in Sandstone Rock Cuts Integrating Ground Penetrating Radar and Terrestrial LIDAR. Environ. Eng. Geosci. 2015, 21, 293–309. [Google Scholar] [CrossRef]
- Schneiderwind, S.; Mason, J.; Wiatr, T.; Papanikolaou, I.; Reicherter, K. 3-D visualisation of palaeoseismic trench stratigraphy and trench logging using terrestrial remote sensing and GPR—A multiparametric interpretation. Solid Earth 2016, 7, 323–340. [Google Scholar] [CrossRef]
- Bubeck, A.; Wilkinson, M.; Roberts, G.P.; Cowie, P.A.; McCaffrey, K.J.W.; Phillips, R.; Sammonds, P. The tectonic geomorphology of bedrock scarps on active normal faults in the Italian Apennines mapped using combined ground penetrating radar and terrestrial laser scanning. Geomorphology 2015, 237, 38–51. [Google Scholar] [CrossRef]
- Cowie, P.A.; Phillips, R.J.; Roberts, G.P.; McCaffrey, K.; Zijerveld, L.J.J.; Gregory, L.C.; Faure Walker, J.; Wedmore, L.N.J.; Dunai, T.J.; Binnie, S.A.; et al. Orogen-scale uplift in the central Italian Apennines drives episodic behaviour of earthquake faults. Sci. Rep. 2017, 7, 44858. [Google Scholar] [CrossRef]
- Zhang, D.; Wu, Z.H.; Li, C.Y.; Liu, S.T.; Ma, D.; Lu, Y. The delineation of three-dimensional shallow geometry of active fault based on TLS and GPR: A case study of an normal fault on the north margin of Maoyaba Basin in Litang, Western Sichuan Province. Seismol. Geol. 2019, 41, 377–399. [Google Scholar]
- Colucci, R.R.; Forte, E.; Boccali, C.; Dossi, M.; Lanza, L.; Pipan, M.; Guglielmin, M. Evaluation of Internal Structure, Volume and Mass of Glacial Bodies by Integrated LiDAR and Ground Penetrating Radar Surveys: The Case Study of Canin Eastern Glacieret (Julian Alps, Italy). Surv. Geophys. 2015, 36, 231–252. [Google Scholar] [CrossRef]
- Xu, X.W.; Wen, X.Z.; Yu, G.H.; Zheng, R.Z.; Luo, H.Y.; Zheng, B. Average slip rate, earthquake rupturing segmentation and recurrence behavior on the Litang fault zone, western Sichuan Province, China. Sci. China Ser. D Earth Sci. 2005, 48, 1183–1196. [Google Scholar] [CrossRef]
- Ma, D.; Wu, Z.H.; Li, J.C.; Li, Y.H.; Jiang, Y.; Liu, Y.H.; Zhou, C.J. Geometric Distribution and the Quaternary Activity of Litang Active Fault Zone Based on Remote Sensing. Acta Geol. Sin. 2014, 88, 1417–1435. [Google Scholar]
- Wu, Z.H.; Long, C.X.; Fan, T.Y.; Zhou, C.J.; Feng, H.; Yang, Z.Y.; Tong, Y.B. The arc rotational-shear active tectonic system on the southeastern margin of Tibetan Plateau and its dynamic characteristics and mechanism. Geol. Bull. China 2015, 34, 1–31. [Google Scholar]
- Chevalier, M.L.; Leloup, P.H.; Replumaz, A.; Pan, J.W.; Liu, D.L.; Li, H.B.; Gourbet, L.; Métois, M. Tectonic-geomorphology of the Litang fault system, SE Tibetan Plateau, and implication for regional seismic hazard. Tectonophysics 2016, 682, 278–292. [Google Scholar] [CrossRef]
- Zhou, C.J.; Wu, Z.H.; Zhang, K.Q.; Li, J.C.; Jiang, Y.; Tian, T.T.; Liu, Y.H.; Huang, X.J. New chronological constraint on the co-seismic surface rupture segments associated with the Litang Fault. Seismol. Geol. 2015, 37, 455–467. [Google Scholar]
- Zhou, R.J.; Chen, G.X.; Li, R.; Zhou, C.G.; Gong, Y.; He, Y.L.; Li, X.G. Study on Active Faults and Seismogenic Structure for the 1989 Batang M6.2~6.7 Earthquake Swarm in the Litang-Batang Region of West Sichuan,China %J Earthquake Research in China. Earthq. Res. China 2005, 3, 292–305. [Google Scholar]
- Zhang, Y.Z.; Replumaz, A.; Wang, G.C.; Leloup, P.H.; Gautheron, C.; Bernet, M.; Beek, P.V.D.; Paquette, J.L.; Wang, A.; Zhang, K.X.; et al. Timing and rate of exhumation along the Litang fault system, implication for fault reorganization in Southeast Tibet. Tectonics 2015, 34, 1219–1243. [Google Scholar] [CrossRef]
- Guo, C.B.; Zhang, Y.S.; Montgomery, D.R.; Du, Y.B.; Zhang, G.Z.; Wang, S.F. How unusual is the long-runout of the earthquake-triggered giant Luanshibao landslide, Tibetan Plateau, China? Geomorphology 2016, 259, 145–154. [Google Scholar] [CrossRef]
- Dai, Z.L.; Wang, F.W.; Cheng, Q.G.; Wang, Y.F.; Yang, H.F.; Lin, Q.W.; Yan, K.M.; Liu, F.C.; Li, K. A giant historical landslide on the eastern margin of the Tibetan Plateau. Bull. Eng. Geol. Environ. 2019, 78, 2055–2068. [Google Scholar] [CrossRef]
- Guo, C.B.; Du, Y.B.; Tong, Y.Q.; Zhang, Y.S.; Zhang, G.Z.; Zhang, M.; Ren, S.S. Huge long-runout landslide characteristics and for-mation mechanism: A case study of the Luanshibao landslide, Litang County, Tibetan Plateau. Geol. Bull. China 2016, 35, 1332–1345. [Google Scholar]
- Cao, Y.Y.; Huang, T.; Yin, X.K.; Zhou, P.H.; Xia, B. Shallow seismic explorations on unfavorable geological bodies in the Maoyaba basin of the Litang section of the Sichuan-Tibet railway. Prog. Geophys. 2022, 37, 774–785. [Google Scholar]
- Jol, H.M. Ground Penetrating Radar: Theory and Applications; Elsevier Science: Kidlington, UK, 2009. [Google Scholar]
- Zhou, R.J.; Chen, G.X.; Li, Y.; Zhou, C.H.; Gong, Y.; He, Y.L.; Li, X.G. Research on active faults in Litang-Batng region, Western Sichuan Province, and the seismogenic structures of the 1989 Batang M 6.7 earthquake swarm. Seismol. Geol. 2005, 27, 31–43. [Google Scholar]
- Li, Y.H.; Hao, M.; Ji, L.Y.; Qin, S.L. Fault slip rate and seismic moment deficit on major active faults in mid and south part of the Eastern margin of Tibet plateau. Chin. J. Geophys. 2014, 57, 1062–1078. [Google Scholar]
- Yin, G.X.; Long, F.; Liang, M.J.; Zhao, M.; Qi, Y.P.; Gong, Y.; Qiao, H.Z.; Wang, Z.; Wang, S.W.; Shui, L.R. Seismogenic structure of the M 4.9 and M5.1 Litang earthquakes on 23 September 2016 in southwestern China. Seismol. Geol. 2017, 39, 949–963. [Google Scholar]
- Zhao, B.; Gao, Y.; Liu, J.; Liang, S.S.; Xu, Z.G.; Du, G.B. Focal mechanism inversion and source depth locating of moderate-major b earthquakes in the Sichuan region since 2010. Chin. J. Geophys. 2019, 62, 130–142. [Google Scholar]












| Antenna Frequency (MHz) | 500 | 250 |
|---|---|---|
| Antenna Distance (m) | 0.18 | 0.31 |
| Trace interval (m) | 0.05 | 0.1 |
| Samples | 488 | 470 |
| Sampling frequency (MHz) | 6633 | 2341 |
| Stacking times (times) | 8 | 8 |
| Time window (ns) | 80 | 200 |
| Detection depth (m) | 3~4 | 7~10 |
| Vertical resolution (m) | about 0.05 | about 0.1 |
| Wheel calibration | 526 | 526 |
Publisher’s Note: MDPI stays neutral with regard to jurisdictional claims in published maps and institutional affiliations. |
© 2022 by the authors. Licensee MDPI, Basel, Switzerland. This article is an open access article distributed under the terms and conditions of the Creative Commons Attribution (CC BY) license (https://creativecommons.org/licenses/by/4.0/).
Share and Cite
Zhang, D.; Wu, Z.; Shi, D.; Li, J.; Lu, Y. Integration of Terrestrial Laser Scanner (TLS) and Ground Penetrating Radar (GPR) to Characterize the Three-Dimensional (3D) Geometry of the Maoyaba Segment of the Litang Fault, Southeastern Tibetan Plateau. Remote Sens. 2022, 14, 6394. https://doi.org/10.3390/rs14246394
Zhang D, Wu Z, Shi D, Li J, Lu Y. Integration of Terrestrial Laser Scanner (TLS) and Ground Penetrating Radar (GPR) to Characterize the Three-Dimensional (3D) Geometry of the Maoyaba Segment of the Litang Fault, Southeastern Tibetan Plateau. Remote Sensing. 2022; 14(24):6394. https://doi.org/10.3390/rs14246394
Chicago/Turabian StyleZhang, Di, Zhonghai Wu, Danni Shi, Jiacun Li, and Yan Lu. 2022. "Integration of Terrestrial Laser Scanner (TLS) and Ground Penetrating Radar (GPR) to Characterize the Three-Dimensional (3D) Geometry of the Maoyaba Segment of the Litang Fault, Southeastern Tibetan Plateau" Remote Sensing 14, no. 24: 6394. https://doi.org/10.3390/rs14246394
APA StyleZhang, D., Wu, Z., Shi, D., Li, J., & Lu, Y. (2022). Integration of Terrestrial Laser Scanner (TLS) and Ground Penetrating Radar (GPR) to Characterize the Three-Dimensional (3D) Geometry of the Maoyaba Segment of the Litang Fault, Southeastern Tibetan Plateau. Remote Sensing, 14(24), 6394. https://doi.org/10.3390/rs14246394

