Automatic Point Cloud Semantic Segmentation of Complex Railway Environments
Abstract
1. Introduction
- (1)
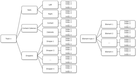
- It offers a complete segmentation of the railway environment, including rails, masts, wiring, droppers, traffic lights, and signals. Slab tracks were not considered a relevant item when the objectives of this project were discussed;
- (2)
- It is applied to a 90 km long railway scenario, showing its versatility and ability to be generalised to different scenarios such as tunnels, as well as to complex areas with a variable number of railway lanes.
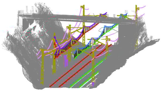
2. Case Study
3. Methodology
3.1. Point Cloud Preprocessing
3.1.1. Sectioning
3.1.2. Voxelisation
- Homogenising the cloud, i.e., allowing density-based analyses with no influence on the distance between the studied area and the sensor;
- Knowing the neighbourhood of each voxel, i.e., it is useful in the segmentation process to know the local properties of each voxel;
- Reducing the number of points, i.e., making the process faster and reducing the computational load. The impact of this reduction is driven by the voxel size .
3.2. Point Cloud Segmentation
3.2.1. Railway Track
- Voxelisation: this is performed with a voxel grid greater than the rail height, as rails will be considered part of the railway track. Let the voxel size and the resulting voxelised cloud be and , respectively.
- Track extraction: with an adequate definition of , it can be assumed that track voxels in do not have neighbours, neither just above them nor under them (neighbours 5 and 22 in Figure 5). Accordingly, voxels that comply with that criteria are selected. Then, neighbouring voxels whose Euclidean distance is less than are clustered, filtering out clusters with less than voxels. Then, voxels in clusters positioned under the trajectory are segmented as track voxels. Finally, voxels with any neighbour in the same height level (neighbours 10–17) segmented as track are also considered as track voxels. The voxels in segmented as track are referred to as . The correspondent voxels in are referred to as .
- Peripherical voxels extraction: voxels from the track limits in the direction are segmented as peripherical voxels, as these voxels do not have relevant information about the infrastructure. To do so, is split into sections perpendicularly to the axis, with a width . In each section, the limits of are calculated, and the voxels out of those margins, plus a small distance, , are segmented as peripherical voxels. The voxels in segmented as peripherical voxels are referred to as . It is important to note that this step is not applied in the sectioning process. There, the filter used in the direction perpendicular to the trajectory in the ground plane considers the distance to the trajectory. However, this process considers the limits of the railway track as obtained in the previous step, which are variable depending on the presence of walls, vegetation, or other types of built obstacles.
- Overpass extraction: at this point of the process a local principal component analysis is applied in order to analyse the local dimensionality of the point cloud. First, voxels which meet ] are selected. Then, PCA is applied to each selected voxel considering a neighbourhood that includes voxels whose Euclidean distance is less than from it. Since overpasses are planar elements with a vertical normal vector, voxels with a component in its third eigenvector greater than are selected. Then, neighbouring voxels whose Euclidean distance is less than are clustered, and groups with less than voxels are removed. Finally, voxels in the selected clusters are segmented as lining voxels. Overpass extraction is necessary because wiring and overpass are so close that it causes interferences in the wiring segmentation algorithm if overpasses are not previously removed. The highest part of tunnel linings is also segmented as an overpass. The voxels in segmented as lining voxels are referred to as .
3.2.2. Masts
- Voxels with , , and are selected. The objective is the detection of voxels whose neighbourhood has a vertical dispersion. Then, its neighbours are added. This is necessary because masts are not isolated since they are in contact with wires. Figure 7a shows the selected voxels.
- Voxels close to each cluster are added to complete the mast. The centroids of the selected clusters define the centres of the masts, but they might be incomplete. Therefore, all the voxels within the dimensional specifications of the “Mast without cantilever” model with respect to the centre of the mast are selected, except for the voxels in , which are not part of the mast segments. Then, those voxels are clustered again using DBSCAN with the same parameters as in the previous step. Next, the voxels of the cluster which shares most voxels with the cluster of the mast are added to that mast. Figure 7c shows the voxels added to each mast.
- Once the mast segmentation process without cantilevers is performed, they are added. Voxels with and are selected and grouped using DBSCAN (same parameters as before) and discarding voxels in . The objective is the detection of voxels whose neighbourhood has no dispersion in the trajectory direction. Figure 7d shows the selected voxels.
- Then, clusters in contact with any mast are added to them as their cantilever. Figure 7e shows the masts and the cantilevers.
- Finally, after wiring extraction, which is presented in Section 3.2.3, masts that are not in contact with any wire are deleted. The voxels classified as masts without cantilever are referred to as , and those classified as masts with cantilever as .
3.2.3. Wiring
- Selecting voxels with and in : In this way, voxels whose neighbourhood has its main dispersion in the trajectory direction are selected. An example is shown in Figure 8a.
- Clustering: wiring voxels cannot be clustered either by distance or by neighbourhood because they can be in contact with each other; hence, they are grouped together. Moreover, wire voxels in contact with masts are segmented as masts, and therefore, this clustering would cause breakups in wire clusters. Consequently, a different cluster algorithm is applied considering the wiring casuistry. This algorithm is based on the proposed process in [30], which is a region growing algorithm that guides the growing areas. However, the following modification is applied: each cluster has a seed that is the voxel which define the starting point for the region growing of its cluster. The point cloud formed by the selected voxels is split into sections perpendicularly to the axis. The width of each section is equal to . Each section is analysed by order, assigning its voxel to a cluster existing in a previous section or making a new cluster. Distances between the voxels in the section under study and the seeds of the clusters in the previous sections are calculated. Each voxel is assigned to the cluster of its closest seed in if this distance is lower than the width of the wire, specified by the “Wire” model. The voxels that are not assigned to any cluster are grouped using DBSCAN. The wire width is used as distance, which is specified by the “Wire” model with at least one cluster per voxel; this process forms new clusters. Once the section is analysed, the seeds are updated. The new seed of each cluster is the closest voxel in this section to the seed of its cluster, measured in . In a new cluster, the seed is its central voxel. Those clusters that do not have propagation do not update their seed. Lastly, seeds in which the distance to the section under study is greater than are removed; hence, their cluster does not grow anymore. An example is shown in Figure 8b.
- Filtering clusters: the objective is to remove clusters that are not wires. Three considerations are made, namely, (1) a minimum wire longitude ; (2) , rejecting clusters that are not linear elements; (3) a minimum density equal to , avoiding noise such as vegetation. An example is shown in Figure 8c.
- Classifying wires as catenary, contact, or others: in a railway infrastructure, a contact wire has a catenary wire over it. From a bird’s eye view, contact and catenary wires share the same positions (they lay in the same projection on the ground). In order to do this analysis, the clusters are rasterised, applying an orthonormal projection in the plane. As a result of this rasterisation, a digital image is obtained, retaining the information of which voxels are contained in each pixel. The size of the pixels is set to . With this image, each cluster is studied independently. For each cluster, adjacent pixels in the horizontal direction are added to make it wider. In this way, it is considered a range search equal to from the wire. After that, pixels that contain voxels of the wire under study and voxels of the other wires are evaluated. The wire with the highest percentage of shared pixels, measured in the shorter of both, is classified as its couple only if this percentage is greater than . A couple of wires is formed by a contact wire and the catenary wire over it. Then, the of each wire and its couple is calculated, considering only the voxels corresponding to the pixels that the wires have in common. The wire with the highest is classified as catenary; otherwise, it is classified as contact wire. Additionally, considering that a wire might be wrongly classified as several wires, those wires with the same couple are grouped since they must be the same wire. Nevertheless, verification is necessary after the droppers’ extraction: contact–catenary couples must have droppers between them. Droppers are the element that joins catenary and contact wires. Finally, clusters that are neither catenary nor wire are classified as other wires only if they are in contact with any mast. Otherwise, their voxels are not segmented as wires. An example is shown in Figure 8d. The voxels classified as wires are referred to as .
3.2.4. Droppers
- Voxels inside the bounding box of contact and catenary wires in are selected. Figure 9a shows this step.
- Neighbours of the selected voxels are added. This step aims to include voxels of catenary and contact wires that are in contact with droppers. Figure 9b shows an example with the selected voxels and their neighbours.
- Clustering is performed using DBSCAN, considering distance and at least one cluster per voxel.
- Clusters that do not have common voxels with any pair of contact–catenary wiring are removed. They must have common voxels with both wires. Moreover, clusters that do not meet the “Dropper” model specifications are also removed.
- Lastly, selected clusters are classified as droppers, removing . Each dropper voxel is associated with a cluster and each cluster with a catenary–contact pair. An example with the classified droppers is shown in Figure 9c. The voxels classified as droppers are referred to as .
3.2.5. Signage Elements
- Orientation: this is defined by the eigenvectors obtained by applying PCA to the cluster and the specified ones. Its deviation to the model is measured as the angle between these eigenvectors and the vectors of the model. This process is shown in Figure 11a.
- Shape: it includes the normalised eigenvalues. Its process is shown in Figure 11b.
- Dimensions: first, they are measured as the ranges of the cluster in the directions. If the element does not meet the required tolerance, they are measured in their eigenvector’s directions. In other words, if the ranges do not meet with the element oriented using the trajectory, it is oriented using its own dimensionality. The range parameter considered in each new dimension is the range parameter of their principal direction. It is necessary because some signage elements may be slightly tilted in their principal direction. This process is shown in Figure 11c.
- Similitude with a template point cloud: this similitude is evaluated as the distance between the clouds, calculated as shown in Equation (3), being the points of the model and the points of the cluster under study. These distances are measured using k-nearest neighbours [31]. The point clouds of the models only include the highest part of the signs, with a small part of the pole. Consequently, points under study below the lowest point of the model are not included. Moreover, signage elements might be oriented in opposite directions. Hence, if the cluster does not meet the distance specification, it is rotated 180° on axis. If it still does not meet the requirement, the same process is repeated by orienting the cluster using its eigenvector’s directions, following the same reasoning as in the previous step. This process is shown in Figure 11d.
3.2.6. Rails
- Contact wire with rails under it: since wires start and end in a mast but not the rails, it is necessary to verify which portion of the wire is over the rails. A contact wire does not have rails under it from its last contact with a cantilever to its contact with a mast. Additionally, in that part of the wire, there are no droppers. Consequently, the ends of the wire are analysed. If they are in contact with a mast or there are no droppers between them and its closest cantilever, that wire part is not considered for rail segmentation purposes. This process is shown in Figure 13a.
- Rough rails: is rasterised, applying an orthonormal projection in plane. Pixels corresponding to the segment of the wire with rails are selected. Then, the digital image is analysed column by column (moving forward along the axis) selecting pixels at both sides of wire pixels where rails are supposed to be, knowing the distance between one rail and its pair, and also knowing that the contact wire is in the middle of both. This distance is defined by the “Pair of rails” model. To obtain a rough segmentation of the rails, pixels at a distance less than from the pixels where the rail is supposed to be are also included. The right and left pixels are organised separately. Next, voxels corresponding to the selected pixels and segmented as are chosen. These voxels contain rails and their surroundings.
- Filtering each rough rail by height individually: each rail is analysed individually, applying MPCA to orient and section it in the rail direction, with as the section width. Then, a histogram of coordinates in each section is computed. The largest bin is considered the ground height. Therefore, voxels with a lower coordinate are removed.
- Filtering the pair of rails by distance: in order to remove false negatives caused by irregularities in the track, voxels that do not have the rail pair at the right distance are removed. This process is performed in the digital image. The image is analysed column by column (moving forward along axis), saving pixels that have any pixel of its rail pair at the correct distance. Voxels corresponding to those pixels are segmented as rails.
- Refining rails: As rails are continuous elements always in contact with the track, it is not possible to determine their limits in with a voxel size . Hence, after the merging section process. shown in Section 3.3, points corresponding to the extracted voxels are denoised. Each rail is individually analysed. Their points are oriented using MPCA and sectioned in the direction of the rails, with as the section width. Then, a histogram is computed in each section detecting the largest bin, its width being . The of the largest bin is the average of the rail. Then, points whose distance in to that position is lower than rails width are selected. Finally, track points are removed by deleting points with a lower than the mean of the selected voxels.
3.3. Merging Sections
4. Results
5. Discussion
6. Conclusions
Author Contributions
Funding
Institutional Review Board Statement
Informed Consent Statement
Conflicts of Interest
Glossary
| ) | |
| of a point cloud | |
| Trajectory of the mobile mapping vehicle | |
| Timestamp of each point in a point cloud | |
| Intensity value of each point in a point cloud | |
| used in ground segmentation | |
| Eigenvectors result of applying PCA to voxel i and its neighbourhood | |
| Eigenvalues result of applying PCA to voxel i and its neighbourhood | |
| segmented as track | |
| Track voxels | |
| Peripherical voxels | |
| Overpass voxels | |
| Mast without cantilever voxels | |
| Mast voxels | |
| Wire voxels | |
| Dropper voxels |
Appendix A





References
- Transport-Passenger transport-OECD Data. Available online: https://data.oecd.org/transport/passenger-transport.htm#indicator-chart (accessed on 26 January 2021).
- Statistics|Eurostat. Available online: https://ec.europa.eu/eurostat/databrowser/view/rail_ac_dnggood/default/line?lang=en (accessed on 26 January 2021).
- Borrmann, A.; König, M.; Koch, C.; Beetz, J. Building information modeling: Why? What? How? In Building Information Modeling: Technology Foundations and Industry Practice; Springer International Publishing: Cham, Switzerland, 2018; pp. 1–24. [Google Scholar]
- Isikdag, U.; Aouad, G.; Underwood, J.; Wu, S. Building Information Models: A Review on Storage and Exchange Mechanisms. Available online: https://www.researchgate.net/publication/235758990_Building_Information_Models_A_review_on_storage_and_exchange_mechanisms (accessed on 26 February 2021).
- Biancardo, S.A.; Intignano, M.; Viscione, N.; De Oliveira, S.G.; Tibaut, A. Procedural Modeling-Based BIM Approach for Railway Design. J. Adv. Transp. 2021, 2021, 8839362. [Google Scholar] [CrossRef]
- Bensalah, M.; Elouadi, A.; Mharzi, H. Integrating bim in railway projects: Review & perspectives for morocco & mena. Int. J. Recent Sci. Res. 2018, 9, 23398–23403. [Google Scholar] [CrossRef]
- Soilán, M.; Justo, A.; Sánchez-Rodríguez, A.; Riveiro, B. 3D Point Cloud to BIM: Semi-Automated Framework to Define IFC Alignment Entities from MLS-Acquired LiDAR Data of Highway Roads. Remote Sens. 2020, 12, 2301. [Google Scholar] [CrossRef]
- Cheng, Y.-J.; Qiu, W.-G.; Duan, D.-Y. Automatic creation of as-is building information model from single-track railway tunnel point clouds. Autom. Constr. 2019, 106, 102911. [Google Scholar] [CrossRef]
- MicroStation-Industrial Strength CAD Software for Professionals. Available online: https://www.bentley.com/en/products/product-line/modeling-and-visualization-software/microstation (accessed on 2 March 2021).
- Soilán, M.; Sánchez-Rodríguez, A.; Del Río-Barral, P.; Perez-Collazo, C.; Arias, P.; Riveiro, B. Review of Laser Scanning Technologies and Their Applications for Road and Railway Infrastructure Monitoring. Infrastructures 2019, 4, 58. [Google Scholar] [CrossRef]
- Ma, L.; Li, Y.; Li, J.; Wang, C.; Wang, R.; Chapman, M.A. Mobile Laser Scanned Point-Clouds for Road Object Detection and Extraction: A Review. Remote Sens. 2018, 10, 1531. [Google Scholar] [CrossRef]
- Guan, H.; Li, J.; Cao, S.; Yu, Y. Use of mobile LiDAR in road information inventory: A review. Int. J. Image Data Fusion 2016, 7, 219–242. [Google Scholar] [CrossRef]
- Gargoum, S.; El-Basyouny, K. Automated extraction of road features using LiDAR data: A review of LiDAR applications in transportation. In Proceedings of the 2017 4th International Conference on Transportation Information and Safety (ICTIS), Banff, AB, Canada, 8–10 August 2017; Institute of Electrical and Electronics Engineers (IEEE): Piscataway, NJ, USA, 2017; pp. 563–574. [Google Scholar]
- Leslar, M.; Perry, G.; McNease, K. Using mobile lidar to survey a railway line for asset inventory. In Proceedings of the ASPRS 2010 Annual Conference, San Diego, CA, USA, 26–30 April 2010; pp. 26–30. [Google Scholar]
- Han, Q.; Wang, S.; Fang, Y.; Wang, L.; Du, X.; Li, H.; He, Q.; Feng, Q. A Rail Fastener Tightness Detection Approach Using Multi-source Visual Sensor. Sensors 2020, 20, 1367. [Google Scholar] [CrossRef]
- Gabara, G.; Sawicki, P. A New Approach for Inspection of Selected Geometric Parameters of a Railway Track Using Image-Based Point Clouds. Sensors 2018, 18, 791. [Google Scholar] [CrossRef] [PubMed]
- Zhu, L.; Hyyppa, J. The Use of Airborne and Mobile Laser Scanning for Modeling Railway Environments in 3D. Remote Sens. 2014, 6, 3075–3100. [Google Scholar] [CrossRef]
- Yang, B.; Fang, L. Automated Extraction of 3-D Railway Tracks from Mobile Laser Scanning Point Clouds. IEEE J. Sel. Top. Appl. Earth Obs. Remote Sens. 2014, 7, 4750–4761. [Google Scholar] [CrossRef]
- Elberink, S.O.; Khoshelham, K. Automatic Extraction of Railroad Centerlines from Mobile Laser Scanning Data. Remote Sens. 2015, 7, 5565–5583. [Google Scholar] [CrossRef]
- Arastounia, M. Automated Recognition of Railroad Infrastructure in Rural Areas from LIDAR Data. Remote Sens. 2015, 7, 14916–14938. [Google Scholar] [CrossRef]
- Sánchez-Rodríguez, A.; Riveiro, B.; Soilán, M.; González-Desantos, L. Automated detection and decomposition of railway tunnels from Mobile Laser Scanning Datasets. Autom. Constr. 2018, 96, 171–179. [Google Scholar] [CrossRef]
- Soilán, M.; Nóvoa, A.; Rodríguez, A.S.; Riveiro, B.; Arias, P. Semantic segmentation of point clouds with pointnet and kpconv architectures applied to railway tunnels. ISPRS Ann. Photogramm. Remote Sens. Spat. Inf. Sci. 2020, 2, 281–288. [Google Scholar] [CrossRef]
- Qi, C.R.; Su, H.; Mo, K.; Guibas, L.J. PointNet: Deep Learning on Point Sets for 3D Classification and Segmentation. In Proceedings of the IEEE Conference on Computer Vision and Pattern Recognition (CVPR), Honolulu, HI, USA, 21–26 July 2017; pp. 652–660. [Google Scholar]
- Thomas, H.; Qi, C.R.; Deschaud, J.-E.; Marcotegui, B.; Goulette, F.; Guibas, L.J. KPConv: Flexible and De-formable Convolution for Point Clouds. In Proceedings of the IEEE/CVF International Conference on Computer Vision, Seoul, Korea, 27 October–3 November 2019; pp. 6411–6420. [Google Scholar]
- Soilán, M.; Nóvoa, A.; Sánchez-Rodríguez, A.; Justo, A.; Riveiro, B. Fully automated methodology for the delineation of railway lanes and the generation of IFC alignment models using 3D point cloud data. Autom. Constr. 2021, 126, 103684. [Google Scholar] [CrossRef]
- Home|Teledyne Optech. Available online: https://www.teledyneoptech.com/en/home/ (accessed on 3 February 2021).
- Soilán, M.; Riveiro, B.; Sánchez-Rodríguez, A.; Arias, P. Safety assessment on pedestrian crossing environments using MLS data. Accid. Anal. Prev. 2018, 111, 328–337. [Google Scholar] [CrossRef]
- Cohen-Or, D.; Kaufman, A. Fundamentals of Surface Voxelization. Graph. Model. Image Process. 1995, 57, 453–461. [Google Scholar] [CrossRef]
- Ester, M.; Kriegel, H.P.; Sander, J.; Xu, X. A Density-Based Algorithm for Discovering Clusters in Large Spatial Databases with Noise. In Proceedings of the 2nd International Conference on Knowledge Discovery and Data Mining KDD-96, Portland, OR, USA, 2–4 August 1996; pp. 226–231. [Google Scholar]
- Zhang, S.; Wang, C.; Yang, Z.; Chen, Y.; Li, J. Automatic railway power line extraction using mobile laser scanning data. Int. Arch. Photogramm. Remote Sens. Spat. Inf. Sci. 2016, XLI-B5, 615–619. [Google Scholar] [CrossRef]
- Silverman, B.W.; Jones, M.C.; Fix, E. An Important Contribution to Nonparametric Discriminant Analysis and Density Estimation: Commentary on Fix and Hodges (1951). Int. Stat. Rev. 1989, 57, 233–238. [Google Scholar] [CrossRef]
- Sánchez-Rodríguez, A.; Soilán, M.; Cabaleiro, M.; Arias, P. Automated Inspection of Railway Tunnels’ Power Line Using LiDAR Point Clouds. Remote Sens. 2019, 11, 2567. [Google Scholar] [CrossRef]
- Arastounia, M.; Elberink, S.O. Application of Template Matching for Improving Classification of Urban Railroad Point Clouds. Sensors 2016, 16, 2112. [Google Scholar] [CrossRef] [PubMed]















| Models | Shape (Eigenvalues PCA) | Orientation (Eigenvectors PCA) | Tolerance Orientation [Degrees] | Template | ||
|---|---|---|---|---|---|---|
| No | - | |||||
| Yes (3 templates) | 0.03 | |||||
| Yes (2 templates) | 0.001 | |||||
| No | - | |||||
| No | - | |||||
| No | - | |||||
| No | - | |||||
| No | - |
| Process | Parameter | Value | Parameter | Value |
|---|---|---|---|---|
| General | 0.1 m | Elements | Table 2 | |
| m | m | |||
| Sectioning | 100 m | 5 m | ||
| 20 m | 5 m | |||
| Track segmentation | 0.5 m | 0.3 m | ||
| m | voxels/cluster | |||
| m | voxels/cluster | |||
| 0.7 | ||||
| Masts segmentation | 0.7 | 0.5 | ||
| 0.5 | 0.5 | |||
| m | 50% | |||
| Wiring segmentation | 0.5 | 9 m | ||
| 0.7 | voxel/m | |||
| 0.2 m | 4 m | |||
| 0.1 m | ||||
| Droppers segmentation | m | voxels/cluster | ||
| Signs on masts segmentation | 2% | m | ||
| 20 | voxels/cluster | |||
| Rails segmentation | 0.75 m | 0.5 | ||
| 0.02 m | ||||
| Merging | 10 m | 2 m |
| Predicted | Rail [m] | Contact [m] | Catenary [m] | Other Wire [m] | No Class [m] | |
|---|---|---|---|---|---|---|
| Real | ||||||
| Rail [m] | 37474 | 0 | 0 | 0 | 90 | |
| Contact [m] | 0 | 21348 | 0 | 2900 | 134 | |
| Catenary [m] | 0 | 0 | 21198 | 3050 | 134 | |
| Other wire [m] | 0 | 100 | 100 | 24929 | 1838 | |
| No class [m] | 6 | 0 | 0 | 5 | - | |
| Predicted | Dropper | Mast | Traffic Light | Sign | Mark | Sign Mast | No Class | |
|---|---|---|---|---|---|---|---|---|
| Real | ||||||||
| Dropper | 5597 | 0 | 0 | 0 | 0 | 0 | 910 | |
| Mast | 0 | 435 | 0 | 0 | 0 | 0 | 9 | |
| Traffic Light | 0 | 0 | 14 | 0 | 0 | 0 | 1 | |
| Sign | 0 | 0 | 0 | 15 | 0 | 0 | 2 | |
| Mark | 0 | 0 | 0 | 0 | 59 | 0 | 3 | |
| Sign mast | 0 | 0 | 0 | 0 | 0 | 23 | 4 | |
| No class | 8 | 5 | 0 | 0 | 0 | 1 | - | |
| Element | Precision | Recall | F1 Score |
|---|---|---|---|
| Rail | 99.98% | 99.76% | 99.87% |
| Contact | 99.53% | 87.56% | 93.16% |
| Catenary | 99.53% | 86.94% | 92.81% |
| Other wires | 80.72% | 92.44% | 86.18% |
| Dropper | 99.86% | 86.02% | 92.42% |
| Masts | 98.86% | 97.97% | 98.42% |
| Traffic light | 100.00% | 93.33% | 96.55% |
| Sign | 100.00% | 88.24% | 93.75% |
| Mark | 100.00% | 95.16% | 97.52% |
| Sign in mast | 95.83% | 85.19% | 90.20% |
| Process | Time |
|---|---|
| Total process | 1.96 s/m |
| Loading point cloud | 1.71% |
| Sectioning | 1.14% |
| Voxelised | 6.36% |
| Segmentation | 90.79% |
| Selecting section | 1.88% |
| Track | 4.01% |
| Local PCA | 11.88% |
| Masts | 41.17% |
| Wiring | 7.69% |
| Droppers | 0.57% |
| Signs | 6.51% |
| Rails | 16.68% |
| Merging sections | 0.05% |
| 0.35% |
Publisher’s Note: MDPI stays neutral with regard to jurisdictional claims in published maps and institutional affiliations. |
© 2021 by the authors. Licensee MDPI, Basel, Switzerland. This article is an open access article distributed under the terms and conditions of the Creative Commons Attribution (CC BY) license (https://creativecommons.org/licenses/by/4.0/).
Share and Cite
Lamas, D.; Soilán, M.; Grandío, J.; Riveiro, B. Automatic Point Cloud Semantic Segmentation of Complex Railway Environments. Remote Sens. 2021, 13, 2332. https://doi.org/10.3390/rs13122332
Lamas D, Soilán M, Grandío J, Riveiro B. Automatic Point Cloud Semantic Segmentation of Complex Railway Environments. Remote Sensing. 2021; 13(12):2332. https://doi.org/10.3390/rs13122332
Chicago/Turabian StyleLamas, Daniel, Mario Soilán, Javier Grandío, and Belén Riveiro. 2021. "Automatic Point Cloud Semantic Segmentation of Complex Railway Environments" Remote Sensing 13, no. 12: 2332. https://doi.org/10.3390/rs13122332
APA StyleLamas, D., Soilán, M., Grandío, J., & Riveiro, B. (2021). Automatic Point Cloud Semantic Segmentation of Complex Railway Environments. Remote Sensing, 13(12), 2332. https://doi.org/10.3390/rs13122332

