Ionic Liquid and NanoSuit® Methods Prevent Surface Alterations in the Probiotic Lacticaseibacillus paracasei Strain Shirota Caused by the Critical Point Drying Process on Field Emission Scanning Electron Microscopy
Abstract
1. Introduction
2. Materials and Methods
2.1. Evaluation of the CPD Method on the Bacterial Surface of LcS
2.2. Experimental Condition Optimization for IL and NanoSuit® Methods
2.3. LcS Preparation for FE-SEM Using the IL and NanoSuit® Methods
2.4. LcS Culture
2.5. FE-SEM Observations
2.6. Statistical Analysis
3. Results
3.1. Effect of the CPD Method on the Bacterial Surface of LcS
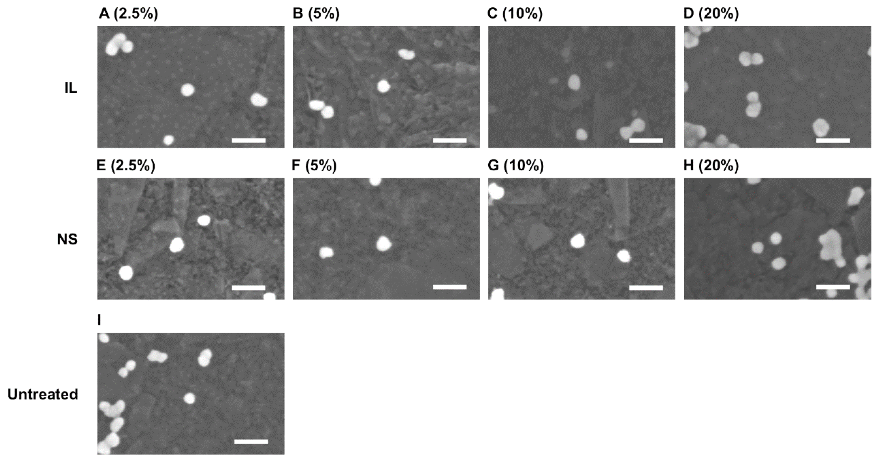
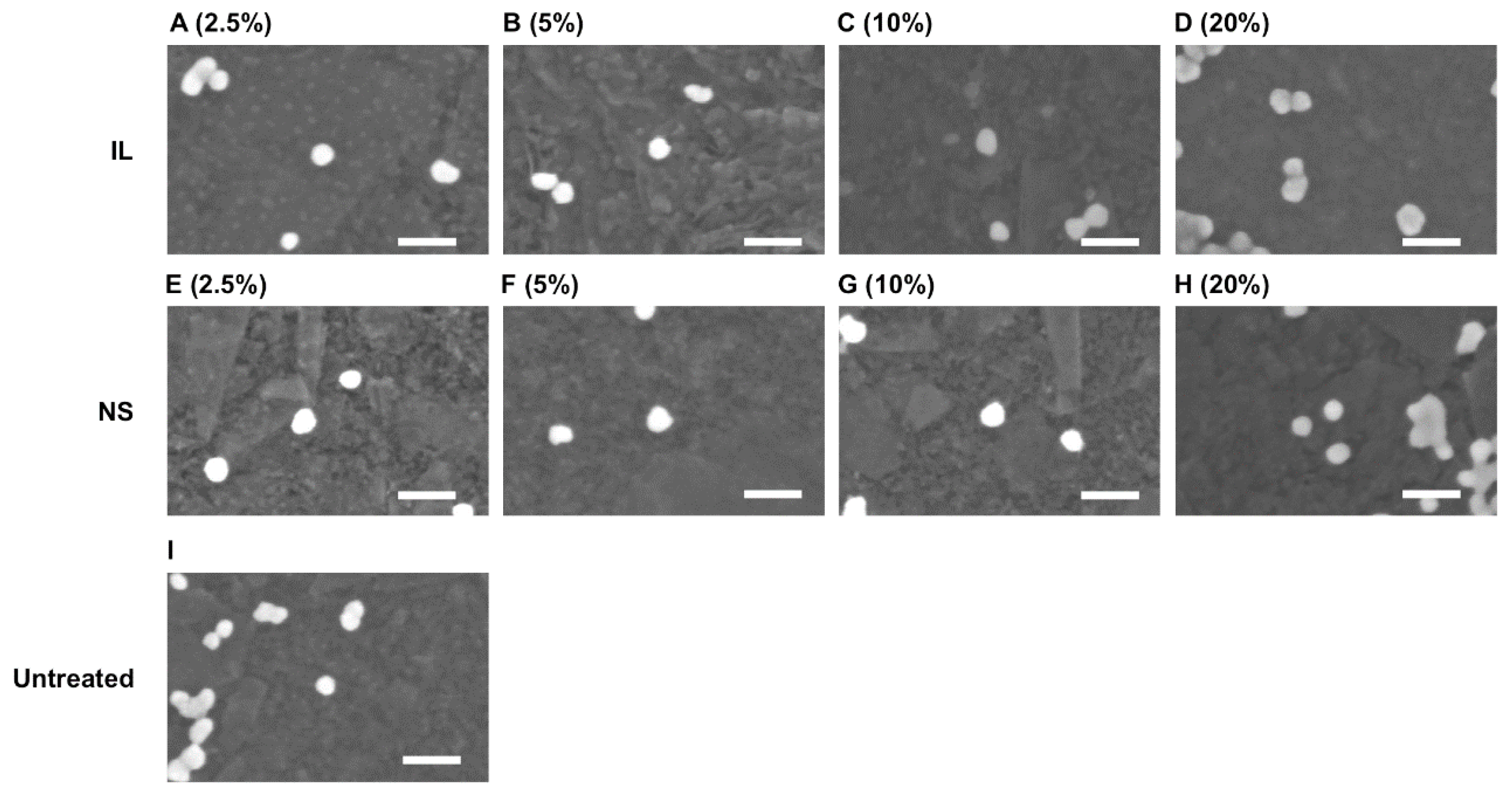
3.2. Dilution Concentrations of IL and NanoSuit® Solutions
3.3. FE-SEM Observations of LcS Prepared by the IL and NanoSuit® Methods
4. Discussion
5. Conclusions
Author Contributions
Funding
Institutional Review Board Statement
Data Availability Statement
Acknowledgments
Conflicts of Interest
References
- Pretorius, E. Influence of acceleration voltage on scanning electron microscopy of human blood platelets. Microsc. Res. Tech. 2010, 73, 225–228. [Google Scholar] [CrossRef]
- Khaleel, D.S.; Mutter, T.Y.; Huang, X. Potential mechanism of gallic acid-coated iron oxide nanoparticles against associated genes of Klebsiella pneumoniae capsule, antibacterial and antibiofilm. Microsc. Res. Tech. 2024, 87, 2774–2784. [Google Scholar] [CrossRef]
- Famuyide, I.M.; Fasina, F.O.; Eloff, J.N.; McGaw, L.J. The ultrastructural damage caused by Eugenia zeyheri and Syzygium legatii acetone leaf extracts on pathogenic Escherichia coli. BMC Vet. Res. 2020, 16, 326. [Google Scholar] [CrossRef]
- Kim, M.-A.; Rosa, V.; Min, K.-S. Characterization of Enterococcus faecalis in different culture conditions. Sci. Rep. 2020, 10, 21867. [Google Scholar] [CrossRef]
- Raulio, M.; Järn, M.; Ahola, J.; Peltonen, J.; Rosenholm, J.B.; Tervakangas, S.; Kolehmainen, J.; Ruokolainen, T.; Narko, P.; Salkinoja-Salonen, M. Microbe repelling coated stainless steel analysed by field emission scanning electron microscopy and physicochemical methods. J. Ind. Microbiol. Biotechnol. 2008, 35, 751–760. [Google Scholar] [CrossRef]
- Sommer, F.; Bäckhed, F. The gut microbiota—Masters of host development and physiology. Nat. Rev. Microbiol. 2013, 11, 227–238. [Google Scholar] [CrossRef]
- Schroeder, B.O.; Bäckhed, F. Signals from the gut microbiota to distant organs in physiology and disease. Nat. Med. 2016, 22, 1079–1089. [Google Scholar] [CrossRef]
- Togao, M.; Kurakawa, T.; Tajima, S.; Wagai, G.; Ohta-Takada, Y.; Otsuka, J.; Kurita, A.; Kawakami, K. Human gut microbiota influences drug-metabolizing enzyme hepatic Cyp3a: A human flora-associated mice study. J. Toxicol. Sci. 2023, 48, 333–343. [Google Scholar] [CrossRef]
- Hill, C.; Guarner, F.; Reid, G.; Gibson, G.R.; Merenstein, D.J.; Pot, B.; Morelli, L.; Canani, R.B.; Flint, H.J.; Salminen, S.; et al. The International Scientific Association for Probiotics and Prebiotics Consensus Statement on the Scope and Appropriate Use of the Term Probiotic. Nat. Rev. Gastroenterol. Hepatol. 2014, 11, 506–514. [Google Scholar] [CrossRef]
- Chapot-Chartier, M.-P.; Kulakauskas, S. Cell wall structure and function in lactic acid bacteria. Microb. Cell Fact. 2014, 13, S9. [Google Scholar] [CrossRef]
- Yasuda, E.; Serata, M.; Sako, T. Suppressive effect on activation of macrophages by Lactobacillus casei strain Shirota genes determining the synthesis of cell wall-associated polysaccharides. Appl. Environ. Microbiol. 2008, 74, 4746–4755. [Google Scholar] [CrossRef] [PubMed]
- Matsumoto, S.; Hara, T.; Nagaoka, M.; Mike, A.; Mitsuyama, K.; Sako, T.; Yamamoto, M.; Kado, S.; Takada, T. A component of polysaccharide peptidoglycan complex on Lactobacillus induced an improvement of murine model of inflammatory bowel disease and colitis-associated cancer. Immunology 2009, 128 Pt 2, e170–e180. [Google Scholar] [CrossRef] [PubMed]
- Couvigny, B.; Lapaque, N.; Rigottier-Gois, L.; Guillot, A.; Chat, S.; Meylheuc, T.; Kulakauskas, S.; Rohde, M.; Mistou, M.; Renault, P. Three glycosylated serine-rich repeat proteins play a pivotal role in adhesion and colonization of the pioneer commensal bacterium, Streptococcus salivarius. Environ. Microbiol. 2017, 19, 3579–3594. [Google Scholar] [CrossRef] [PubMed]
- Oxaran, V.; Ledue-Clier, F.; Dieye, Y.; Herry, J.-M.; Péchoux, C.; Meylheuc, T.; Briandet, R.; Juillard, V.; Piard, J.-C. pilus biogenesis in Lactococcus lactis: Molecular characterization and role in aggregation and biofilm formation. PLoS ONE 2012, 7, e50989. [Google Scholar] [CrossRef]
- Hazrin-Chong, N.H.; Manefield, M. An Alternative SEM Drying Method Using Hexamethyldisilazane (HMDS) for Microbial Cell Attachment Studies on Sub-bituminous Coal. J. Microbiol. Methods 2012, 90, 96–99, Corrigendum in J. Microbiol. Methods 2015, 110, 102. https://doi.org/10.1016/j.mimet.2015.01.006. [Google Scholar]
- Logan, M.A.; O’Meara, D.L.; Monkowski, J.R.; Cowles, H. Particulate Contamination on Wafer Surfaces Resulting from Hexamethyldisilazane/Water Interactions. In Particles on Surfaces 1; Mittal, K.L., Ed.; Springer: Boston, MA, USA, 1988; pp. 57–68. [Google Scholar] [CrossRef]
- Malyshev, D.; Lee, C.C.; Andersson, M. Evaluating Bacterial Spore Preparation Methods for Scanning Electron Microscopy. Microsc. Microanal. 2024, 30, 564–573. [Google Scholar] [CrossRef]
- Amako, K.; Umeda, A. Bacterial surfaces as revealed by the high resolution scanning electron microscope. J. Gen. Microbiol. 1977, 98, 297–299. [Google Scholar] [CrossRef]
- Kusamichi, M.; Monodane, T.; Tokunaga, M.; Koike, H. Influence of surrounding media on preservation of cell wall ultrastructure of Candida albicans revealed by low temperature scanning electron microscopy. J. Electron. Microsc. 1990, 39, 477–486. [Google Scholar] [CrossRef]
- Kawasaki, H.; Itoh, T.; Takaku, Y.; Suzuki, H.; Kosugi, I.; Meguro, S.; Iwashita, T.; Hariyama, T. The Nanosuit method: A novel histological approach for examining paraffin sections in a nondestructive manner by correlative light and electron microscopy. Lab. Investig. 2020, 100, 161–173. [Google Scholar] [CrossRef]
- Joubert, L.-M.; McDonald, K. SEM visualization of biological samples using Hitachi ionic liquid HILEM® IL 1000: A comparative study. Microsc. Microanal. 2016, 22, 1170–1171. [Google Scholar] [CrossRef]
- Takaku, Y.; Suzuki, H.; Ohta, I.; Ishii, D.; Muranaka, Y.; Shimomura, M.; Hariyama, T. A Thin polymer membrane, nano-suit, enhancing survival across the continuum between air and high vacuum. Proc. Natl. Acad. Sci. USA 2013, 110, 7631–7635. [Google Scholar] [CrossRef]
- Takaku, Y.; Suzuki, H.; Kawasaki, H.; Ohta, I.; Ishii, D.; Hirakawa, S.; Tsutsui, T.; Matsumoto, H.; Takehara, S.; Nakane, C.; et al. A modified ‘NanoSuit®’ preserves wet samples in high vacuum: Direct observations on cells and tissues in field-emission scanning electron microscopy. R. Soc. Open Sci. 2017, 4, 160887. [Google Scholar] [CrossRef]
- Inoue, M.; Suganami, M.; Hahimoto, Y.; Iyasu, T.; Saito, H.; Moriguchi, K.; Tanaka, T. Application of ionic liquid coating method to observation of non-conductive samples by a mobile scanning electron microscope for elementary science education. J. Surf. Anal. 2011, 18, 105–109. [Google Scholar] [CrossRef][Green Version]
- Asahi, Y.; Miura, J.; Tsuda, T.; Kuwabata, S.; Tsunashima, K.; Noiri, Y.; Sakata, T.; Ebisu, S.; Hayashi, M. Simple observation of Streptococcus mutans biofilm by scanning electron microscopy using ionic liquids. AMB Express 2015, 5, 6. [Google Scholar] [CrossRef]
- Takahashi, C.; Ogawa, N.; Kawashima, Y.; Yamamoto, H. Observation of antibacterial effect of biodegradable polymeric nanoparticles on Staphylococcus epidermidis biofilm using FE-SEM with an ionic liquid. Microscopy 2015, 64, 169–180. [Google Scholar] [CrossRef]
- Takahashi, C.; Kalita, G.; Ogawa, N.; Moriguchi, K.; Tanemura, M.; Kawashima, Y.; Yamamoto, H. Electron microscopy of Staphylococcus epidermidis fibril and biofilm formation using image-enhancing ionic liquid. Anal. Bioanal. Chem. 2015, 407, 1607–1613. [Google Scholar] [CrossRef]
- Kato, K.; Serata, M.; Nakamura, M.; Ando, M.; Suzuki, T.; Okumura, T. Cell wall polysaccharide enhances Lacticaseibacillus paracasei strain Shirota growth in milk and contributes to acid and bile tolerance. Int. J. Food. Microbiol. 2024, 422, 110811. [Google Scholar] [CrossRef]
- Kanda, Y. Investigation of the freely available easy-to-use software “EZR” for medical statistics. Bone. Marrow Transplant. 2013, 48, 452–458. [Google Scholar] [CrossRef]
- Gonçalves, A.R.P.; Paredes, X.; Cristino, A.F.; Santos, F.J.V.; Queirós, C.S.G.P. Ionic liquids—A review of their toxicity to living organisms. Int. J. Mol. Sci. 2021, 22, 5612. [Google Scholar] [CrossRef]
- Gomez-Herrero, E.; Tobajas, M.; Polo, A.; Rodriguez, J.J.; Mohedano, A.F. Toxicity and inhibition assessment of ionic liquids by activated sludge. Ecotoxicol. Environ. Saf. 2020, 187, 109836. [Google Scholar] [CrossRef]
- Kim, K.W. Biological applications of the NanoSuit for electron imaging and X-microanalysis of insulating specimens. Appl. Microsc. 2022, 52, 4. [Google Scholar] [CrossRef] [PubMed]
- Yu, W.; Kang, L.; Tsang, V.T.; Zhang, Y.; Wong, I.H.; Wong, T.T. translational rapid ultraviolet-excited sectioning tomography for whole-organ multicolor imaging with real-time molecular staining. eLife 2022, 11, e81015. [Google Scholar] [CrossRef] [PubMed]
- Yogi, O.; Kawakami, T.; Mizuno, A. On-demand mixing droplet spotter for preparing picoliter droplets on surfaces. Anal. Chem. 2004, 76, 2991–2996. [Google Scholar] [CrossRef] [PubMed]



| Control | IL | NS | |||||||
|---|---|---|---|---|---|---|---|---|---|
| 2.5% | 5% | 10% | 20% | 2.5% | 5% | 10% | 20% | ||
| Mean size (nm) | 22.1 | 25.1 ** | 22.4 | 24.1 | 27.1 ** | 25.6 * | 23.5 | 22.6 | 23.0 |
| Standard deviation | 2.9 | 2.5 | 1.8 | 3.1 | 3.2 | 3.7 | 2.5 | 2.9 | 2.4 |
Disclaimer/Publisher’s Note: The statements, opinions and data contained in all publications are solely those of the individual author(s) and contributor(s) and not of MDPI and/or the editor(s). MDPI and/or the editor(s) disclaim responsibility for any injury to people or property resulting from any ideas, methods, instructions or products referred to in the content. |
© 2025 by the authors. Licensee MDPI, Basel, Switzerland. This article is an open access article distributed under the terms and conditions of the Creative Commons Attribution (CC BY) license (https://creativecommons.org/licenses/by/4.0/).
Share and Cite
Ando, M.; Hata, C.; Nishizaki, H.; Togao, M.; Kawakami, K. Ionic Liquid and NanoSuit® Methods Prevent Surface Alterations in the Probiotic Lacticaseibacillus paracasei Strain Shirota Caused by the Critical Point Drying Process on Field Emission Scanning Electron Microscopy. Microbiol. Res. 2025, 16, 234. https://doi.org/10.3390/microbiolres16110234
Ando M, Hata C, Nishizaki H, Togao M, Kawakami K. Ionic Liquid and NanoSuit® Methods Prevent Surface Alterations in the Probiotic Lacticaseibacillus paracasei Strain Shirota Caused by the Critical Point Drying Process on Field Emission Scanning Electron Microscopy. Microbiology Research. 2025; 16(11):234. https://doi.org/10.3390/microbiolres16110234
Chicago/Turabian StyleAndo, Minoru, Chie Hata, Haruka Nishizaki, Masao Togao, and Koji Kawakami. 2025. "Ionic Liquid and NanoSuit® Methods Prevent Surface Alterations in the Probiotic Lacticaseibacillus paracasei Strain Shirota Caused by the Critical Point Drying Process on Field Emission Scanning Electron Microscopy" Microbiology Research 16, no. 11: 234. https://doi.org/10.3390/microbiolres16110234
APA StyleAndo, M., Hata, C., Nishizaki, H., Togao, M., & Kawakami, K. (2025). Ionic Liquid and NanoSuit® Methods Prevent Surface Alterations in the Probiotic Lacticaseibacillus paracasei Strain Shirota Caused by the Critical Point Drying Process on Field Emission Scanning Electron Microscopy. Microbiology Research, 16(11), 234. https://doi.org/10.3390/microbiolres16110234

