Effect of Deposition Parameters for Ni-Au Coatings on Corrosion Protection Properties of 2A12 Aluminum Alloy
Abstract
1. Introduction
2. Materials and Methods
2.1. Materials
2.2. Preparation of Ni-Au Coatings
2.3. Characterization of Ni-Au Coatings
2.4. Life Prediction of Ni-Au Coatings
3. Results and Discussion
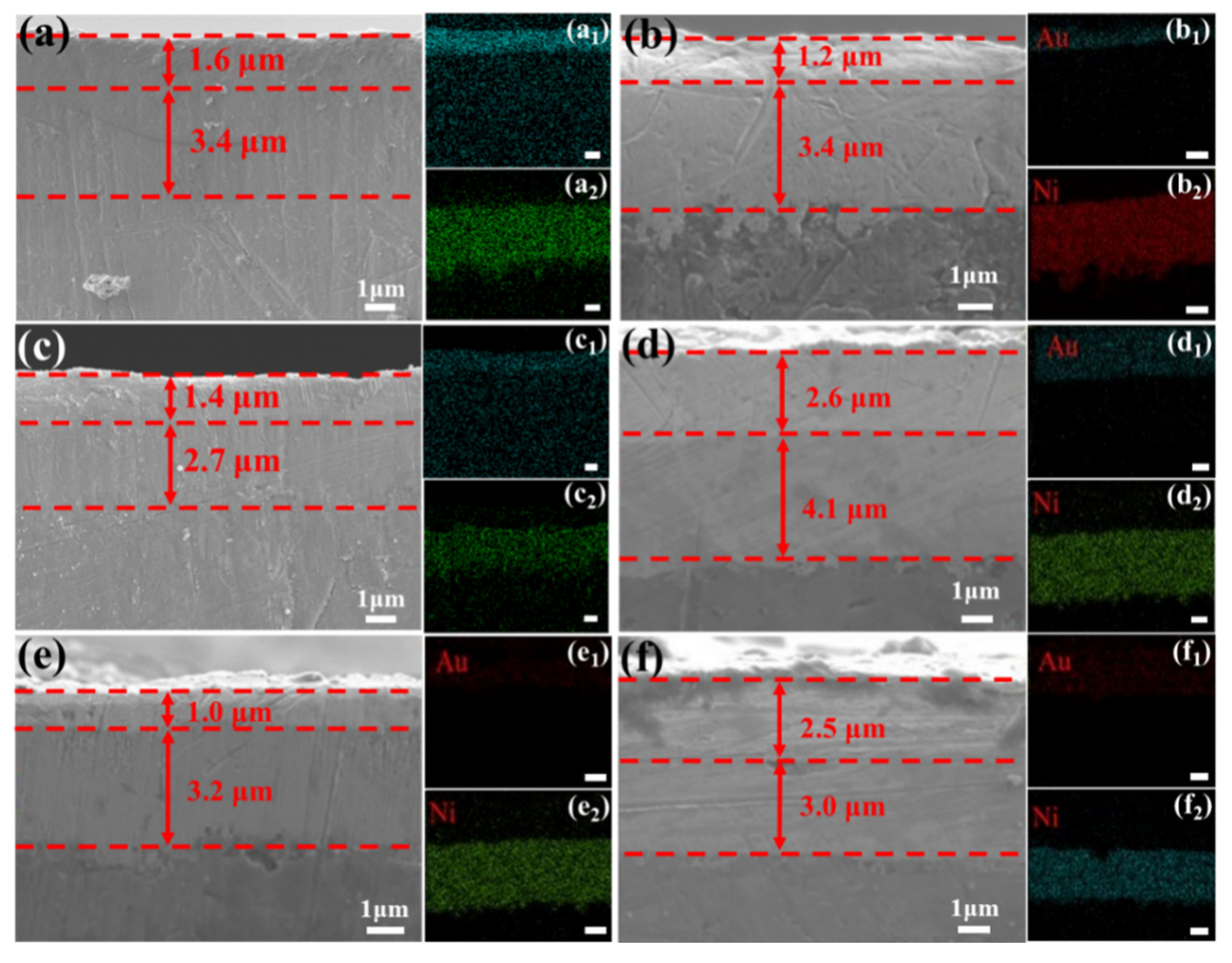
3.1. Morphologies of Ni-Au Coatings
3.2. Structures and Adhesion Forces of Ni-Au Coatings
3.3. Anti-Corrosion Performance
3.4. Life Prediction of Al-Au-2
3.5. Corrosion Protection and Failure Mechanisms
4. Conclusions
- (a)
- The higher the current density and the longer the deposition time, the thicker the Au layer became. However, it was not necessarily true that a thicker Au layer equates to better protective performance. Compared with the thickness of the Au layer, the grain size of the Au layer had a more significant effect on the surface state and density of the Au layer. Smaller grain size resulted in a smoother surface and better protection performance.
- (b)
- Increasing the deposition current density of the Au layer significantly improved the surface condition of the coating, rather than being determined by the total electricity used in the deposition process. Additionally, extending the Ni deposition time could effectively increase the thickness of the Ni layer, providing a secondary protective barrier against corrosion. Zinc immersion subtly affected the bonding strength of the coating, significantly influencing its resistance to the incursion of corrosive media.
- (c)
- The surface state and density of the coating exert a more noticeable effect on its protective efficacy. Al-Au-2 exhibited superior corrosion resistance compared to the other samples, which was attributed to the thick Ni layer, dense Au layer, and smooth surface microstructure in Al-Au-2.
- (d)
- The Rc value obtained from the electrochemical fitting of samples was utilized to develop a corrosion life prediction model based on grey theory. Applying this model to Al-Au-2, a life prediction analysis was conducted. The results indicated that the protective properties of Al-Au-2 sample failed after 12.89 days of immersion with Rc reaching 100 Ω·cm2. This aligns with the trends observed in the electrochemical experiments.
Author Contributions
Funding
Institutional Review Board Statement
Informed Consent Statement
Data Availability Statement
Acknowledgments
Conflicts of Interest
References
- Wang, Q.F.; Pu, Z.; Shuai, M.B.; Lang, D.M. Galvanic corrosion behavior of Du-2A12 aluminium alloy couple in 3.5% NaCl solution. Rare Met. Mat. Eng. 2014, 43, 393–396. [Google Scholar]
- Zhang, D.F.; Xia, J.; Yang, Q.G.; Wei, T.H.; Gong, L.; She, S. Corrosion behavior study of aluminum alloy 7075-T6 and 2A12-T6 joints prepared using friction stir welding. Int. J. Electrochem. Sci. 2020, 15, 1072–1081. [Google Scholar] [CrossRef]
- Zhang, P.; Liu, Z.H.; Yue, X.J.; Wang, P.H.; Zhai, Y.C. Water jet impact damage mechanism and dynamic penetration energy absorption of 2A12 aluminum alloy. Vacuum 2022, 206, 111532. [Google Scholar] [CrossRef]
- Guerrero-Vacas, G.; Comino, F.; Rodríguez-Alabanda, O. Models for the design and optimization of the multi-stage wiredrawing process of ZnAl15% wires for spray metallization. Materials 2024, 17, 5307. [Google Scholar] [CrossRef] [PubMed]
- Cai, J.; Liu, D.X.; Ye, Z.Y.; Zhang, X.H. Influence of cyclic action of corrosion and alternate load on fatigue life of 2A12-T4 aluminum alloy. J. Chin. Soc. Corros. Prot. 2015, 35, 61–68. [Google Scholar]
- Gao, P.C.; Zhao, X.; Yan, F.F.; Li, S.C.; Zhang, Z. Effects of annular channel angular extrusion process and heat treatment on microstructure and mechanical properties of 2A12 aluminum alloy cabin. Mater. Res. Express 2019, 6, 126578. [Google Scholar] [CrossRef]
- Qiao, J.S.; Xia, Z.H.; Liu, L.B.; Xu, J.M.; Liu, X.D. Corrosion resistance of aluminum-magnesium bimetal composite material prepared by isothermal indirect extrusion. J. Chin. Soc. Corros. Prot. 2021, 41, 255–262. [Google Scholar]
- Li, Y.; Yu, M.Y.; Li, X.; Wen, K.; Yan, L.; Zhu, K.; Xiao, W. Enhancing stress corrosion cracking resistance of low Cu-containing Al-Zn-Mg-Cu alloys by aging treatment control. Materials 2024, 17, 5678. [Google Scholar] [CrossRef]
- Esquivel, J.; Gupta, R.K. Review-corrosion-resistant metastable Al alloys: An overview of corrosion mechanisms. J. Electrochem. Soc. 2020, 167, 081504. [Google Scholar] [CrossRef]
- Ji, Y.Y.; Xu, Y.Z.; Zhang, B.B.; Behnamian, Y.; Xia, D.-H.; Hu, W.-B. Review of micro-scale and atomic-scale corrosion mechanisms of second phases in aluminum alloys. Trans. Nonferrous Met. Soc. China 2021, 31, 3205–3227. [Google Scholar] [CrossRef]
- Liu, J.H.; Shi, H.B.; Yu, M.; Du, R.T.; Rong, G.; Li, S. Effect of divalent metal ions on durability and anticorrosion performance of layered double hydroxides on anodized 2A12 aluminum alloy. Surf. Coat. Technol. 2019, 373, 56–64. [Google Scholar] [CrossRef]
- Yu, M.; Liu, Y.X.; Liu, J.H.; Li, S.M.; Xue, B.; Zhang, Y.; Yin, X. Effects of Cerium Salts on Corrosion Behaviors of Si-Zr Hybrid Sol-Gel Coatings. Chin. J. Aeronaut. 2015, 28, 600–608. [Google Scholar] [CrossRef]
- Zhang, Y.; Wang, J.P.; Zhao, S.; Serdechnova, M.; Blawert, C.; Wang, H.; Zheludkevich, M.L.; Chen, F. Double-ligand strategy to construct an inhibitor-loaded Zn-MOF and its corrosion protection ability for aluminum alloy 2A12. ACS Appl. Mater. Interfaces 2021, 13, 51685–51694. [Google Scholar] [CrossRef]
- Zhang, Z.; Wang, J.P.; Serdechnova, M.; Kasneryk, V.; Zhang, Z.; Blawert, C.; Wang, H.; Zheludkevich, M.L.; Chen, F.; Zhang, Y. An inhibitor-loaded LDH and MOF-based bilayer hybrid system for active corrosion protection of aluminum alloys. ACS Appl. Mater. Interfaces 2024, 16, 11944–11956. [Google Scholar] [CrossRef]
- Xie, H.H.; Zhang, L.; Zhang, X.Y.; Han, Y. A hierarchically structured coating on 2A12-T4 aluminum alloy for anti-wear and corrosion. Corros. Sci. 2022, 207, 110598. [Google Scholar] [CrossRef]
- Shen, Y.; Xie, R.; Wang, T.W. Corrosion resistance property of micro-arc oxidation coating of aluminum alloys for offshore engineering. Ship Eng. 2018, 40, 4–9. [Google Scholar]
- Zhang, X.X.; Zhang, Y.P.; Lv, Y.; Dong, Z.; Hashimoto, T.; Zhou, X. Enhanced corrosion resistance of AZ31 Mg alloy by one-step formation of PEO/Mg-Al LDH composite coating. Corros. Commun. 2022, 6, 67–83. [Google Scholar] [CrossRef]
- Xu, L.K.; Xin YLZhang, H.B.; Lin, Z.F.; Li, X.B. Challenges and solutions of cathodic protection for marine ships. Corros. Commun. 2021, 2, 33–40. [Google Scholar] [CrossRef]
- Qian, J.C.; Zou, H.Q.; Xu, B.; Wu, H.C. Influence of electrolyte on the properties of hard anodic oxide coating on 2A12 aluminium alloy. Surf. Technol. 2015, 44, 40–45. [Google Scholar]
- Zellele, D.M.; Yar-Mukhamedova, G.S. A Review on properties of electrodeposited nickel composite coatings: Ni-Al2O3, Ni-SiC, Ni-ZrO2, Ni-TiO2 and Ni-WC. Materials 2024, 17, 5715. [Google Scholar] [CrossRef]
- Zhang, C.Y.; Chen, Y.Y.; Yu, B.X.; Zhou, P.; Zhai, Y.F.; Chen, Y.; Zhang, X.; Zhang, T.; Wang, F. Effects of Nucleation Pretreatment on corrosion resistance of conversion coating on magnesium alloy mg-10GD-3Y-0.4Zr. Corros. Commun. 2023, 10, 69–79. [Google Scholar] [CrossRef]
- Zhang, T.; Xiong, L.; Cai, M.; He, Y.S.; Fan, X.Q.; Zhu, M. Self-assembled Ti3C2Tx membrane driven by Marangoni effect for anti-corrosive and anti-wear applications. Appl. Surf. Sci. 2024, 670, 160674. [Google Scholar] [CrossRef]
- Takada, R.; Hirasawa, K.; Takahashi, H.; Chiba, M. Self-healing coatings consisting of an outer electrodeposited epoxy resin layer and an inner porous anodic oxide layer with healing agents for the corrosion protection of al alloys. Corros. Mater. Degrad. 2023, 4, 27. [Google Scholar] [CrossRef]
- Zhang, F.; Chen, S.; Wu, X.M.; Liu, J.L.; Long, R.L. Study on the performance of anti -corrosive coating containing flaky Zn-Al-Mg-Ce alloy based on water-borne epoxy resin latex. Mater. Prot. 2021, 54, 109–112,136. [Google Scholar]
- Huang, Z.H.; Zhou, Y.J.; He, W. A Combination of self-assembled monolayer and hydrophobic conformal coating for anti-corrosion of Cu/Nip/Au 3d circuitry in artificial sweat solution. Surf. Coat. Technol. 2017, 320, 126–131. [Google Scholar] [CrossRef]
- Ortiz, N.; González-Parra, J.R.; Olaya, J.; Agredo, D.; Valdez, R.; Waage, H.; Bolarín, A.M.; Sánchez, F.; Barba-Pingarrón, A. Morphological and corrosion characterization of electroless Ni-P coatings deposited on ductile iron. Coatings 2024, 14, 1317. [Google Scholar] [CrossRef]
- Kong, Z.G.; Xu, L.J. Morphology and electrical contact properties of electrical connection materials in corrosive atmosphere. Rare Met. 2013, 32, 174–178. [Google Scholar] [CrossRef]
- Li, D.J.; Huh, S.H.; Kim, C.S.; Mun, S.; Shin, H.K.; Lee, H.-J. Corrosion behavior of electroless nickel/immersion gold plating by interfacial morphology. Electron. Mater. Lett. 2015, 11, 695–701. [Google Scholar]
- GJB 150.11A-2009; Environmental Test Methods for Military Equipment—Part 11: Ballistic Shock. Standardization Administration of China: Beijing, China, 2009.
- Xie, Z.P.; Quan, B.L. Corrosion analysis and studies on prediction model of 16Mn steel by grey system theory. Mater. Res. Express 2020, 7, 106510. [Google Scholar] [CrossRef]
- Lv, H.F.; Xi, Z.; Chen, Z.Z.; Guo, S.J.; Yu, Y.S.; Zhu, W.; Li, Q.; Zhang, X.; Pan, M.; Lu, G.; et al. A new core/shell NiAu/Au nanoparticle catalyst with Pt-like activity for hydrogen evolution reaction. J. Am. Chem. Soc. 2015, 137, 5859–5862. [Google Scholar] [CrossRef] [PubMed]
- Hall, B.D.; Zanchet, D.; Ugarte, D. Estimating nanoparticle size from diffraction measurements. J. Appl. Cryst. 2000, 33, 1335–1341. [Google Scholar] [CrossRef]
- Liu, B.; Yan, S.M.; He, Y.; He, T.; He, Y.H.; Song, R.X. Study on wear resistance and corrosion resistance of zirconium phenylphosphonate reinforced Ni-W composite coating. Appl. Surf. Sci. 2022, 603, 154483. [Google Scholar] [CrossRef]
- Wang, X.G.; Qi, J.J.; Zhang, H.; Zhao, N.; Shao, Z.B. Study on wear and corrosion resistance of Ni60/WC coating by laser cladding on reciprocating pump plunger: Comparison with flame-sprayed plungers. Materials 2024, 17, 5183. [Google Scholar] [CrossRef] [PubMed]
- Chang, X.T.; Chen, X.Q.; Zhang, Q.Y.; Lei, Y.H. Alumina nanoparticles-reinforced graphene-containing waterborne polyurethane coating for enhancing corrosion and wear resistance. Corros. Commun. 2021, 4, 1–11. [Google Scholar] [CrossRef]
- Su, Y.; Qiu, S.H.; Yang, D.P.; Li, S.; Zhao, H.C.; Wang, L.P.; Xue, Q. Active anti-corrosion of epoxy coating by nitrite ions intercalated mgal ldh. J. Hazard. Mater. 2020, 391, 122215. [Google Scholar] [CrossRef]
- Ramezanzadeh, B.; Ghasemi, E.; Mahdavian, M.; Changizi, E.; Moghadam, M.M. Covalently-grafted graphene oxide nanosheets to improve barrier and corrosion protection properties of polyurethane coatings. Carbon 2015, 93, 555–573. [Google Scholar] [CrossRef]
- GB/T 6461-2002; Evaluation of Corrosion Resistance and Rating of Corrosion Resistance of Coatings. Standards Press of China: Beijing, China, 2002.
- Babu, A.P.; Choudhary, S.; Griffith, J.C.; Huang, A.; Birbilis, N. On the corrosion of a high solute Al-Zn-Mg alloy produced by laser powder bed fusion. Corros. Sci. 2021, 189, 109626. [Google Scholar] [CrossRef]
- Meng, Y.; Deng, S.X.; Liu, Z.Z.; Xiang, H.; Li, H.S.; Wang, Y.; Yan, Y.M.; Li, J.-F.; Zhang, R.-F. Analyzing through-thickness corrosion homogeneity of stabilized AA5083 alloy after artificial sensitization. Corros. Commun. 2024, 16, 24–34. [Google Scholar] [CrossRef]
- Ananiadis, E.A.; Karantzalis, A.E.; Sfikas, A.K.; Georgatis, E.; Matikas, T.E. Aluminium matrix composites reinforced with AlCrFeMnNi HEA particulates: Microstructure, mechanical and corrosion properties. Materials 2023, 16, 5491. [Google Scholar] [CrossRef] [PubMed]










| Number | Zincating Times | Ni Plating Time (min) | Au Electroplating Current Density (A/m2) | Au Electroplating Time (min) |
| Al-Au-1 | 2 | 12 | 0.2 | 60 |
| Al-Au-2 | 2 | 12 | 0.2 | 30 |
| Al-Au-3 | 1 | 12 | 0.2 | 60 |
| Al-Au-4 | 2 | 20 | 0.2 | 60 |
| Al-Au-5 | 2 | 12 | 0.1 | 120 |
| Al-Au-6 | 2 | 12 | 0.3 | 40 |
| Number | Au-Plated Current Density (A/m2) | Au-Plated Time (min) | Grain Size of Au (nm) |
|---|---|---|---|
| Al-Au-1 | 0.2 | 60 | 21.7 |
| Al-Au-2 | 0.2 | 30 | 21.9 |
| Al-Au-3 | 0.2 | 60 | 21.9 |
| Al-Au-4 | 0.2 | 60 | 21.7 |
| Al-Au-5 | 0.1 | 120 | 27.5 |
| Al-Au-6 | 0.3 | 40 | 20.8 |
| Time (h) | Al-Au-1 | Al-Au-2 | Al-Au-3 | Al-Au-4 | Al-Au-5 | Al-Au-6 |
|---|---|---|---|---|---|---|
| 3 | 9 | 10 | 10 | 9 | 10 | 9 |
| 6 | 8 | 10 | 9 | 9 | 9 | 9 |
| 9 | 8 | 9 | 9 | 9 | 9 | 9 |
| 12 | 8 | 9 | 9 | 9 | 9 | 9 |
| 15 | 6 | 9 | 9 | 8 | 9 | 9 |
| 18 | 6 | 9 | 9 | 8 | 9 | 9 |
| 21 | 6 | 9 | 8 | 8 | 8 | 8 |
| 24 | 6 | 8 | 7 | 7 | 6 | 6 |
| Time/d | lgRc |
|---|---|
| 0 | 8.15 |
| 3 | 2.90 |
| 6 | 2.81 |
| 9 | 2.30 |
Disclaimer/Publisher’s Note: The statements, opinions and data contained in all publications are solely those of the individual author(s) and contributor(s) and not of MDPI and/or the editor(s). MDPI and/or the editor(s) disclaim responsibility for any injury to people or property resulting from any ideas, methods, instructions or products referred to in the content. |
© 2025 by the authors. Licensee MDPI, Basel, Switzerland. This article is an open access article distributed under the terms and conditions of the Creative Commons Attribution (CC BY) license (https://creativecommons.org/licenses/by/4.0/).
Share and Cite
Chen, S.; Xu, J.; Huang, D.; Zhang, W.; Zhang, T.; Xiong, L.; Fan, X. Effect of Deposition Parameters for Ni-Au Coatings on Corrosion Protection Properties of 2A12 Aluminum Alloy. Materials 2025, 18, 969. https://doi.org/10.3390/ma18050969
Chen S, Xu J, Huang D, Zhang W, Zhang T, Xiong L, Fan X. Effect of Deposition Parameters for Ni-Au Coatings on Corrosion Protection Properties of 2A12 Aluminum Alloy. Materials. 2025; 18(5):969. https://doi.org/10.3390/ma18050969
Chicago/Turabian StyleChen, Shipeng, Jinglan Xu, Dingchuan Huang, Weiwei Zhang, Tian Zhang, Liangliang Xiong, and Xiaoqiang Fan. 2025. "Effect of Deposition Parameters for Ni-Au Coatings on Corrosion Protection Properties of 2A12 Aluminum Alloy" Materials 18, no. 5: 969. https://doi.org/10.3390/ma18050969
APA StyleChen, S., Xu, J., Huang, D., Zhang, W., Zhang, T., Xiong, L., & Fan, X. (2025). Effect of Deposition Parameters for Ni-Au Coatings on Corrosion Protection Properties of 2A12 Aluminum Alloy. Materials, 18(5), 969. https://doi.org/10.3390/ma18050969

