Effects of Austenitizing Temperature on Tensile and Impact Properties of a Martensitic Stainless Steel Containing Metastable Retained Austenite
Abstract
1. Introduction
2. Experimental Procedure
2.1. Material Preparation
2.2. Microstructural Characterization
2.3. Mechanical Properties Measurement
3. Results
3.1. Phase Diagram
3.2. As-Quenched and Partitioned Microstructure
3.3. Mechanical Properties
4. Discussion.
4.1. Microstructure Evolution during Quenching and Partitioning
4.2. Effects of Microstructure on Ductility and Impact Toughness
4.2.1. Effect of Microstructure on Ductility
4.2.2. Effect of Microstructure on Impact Toughness
4.3. The Different Microstructure Effect on Tensile and Impact Tests
5. Conclusions
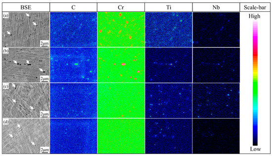
- Typical martensitic microstructure together with blocky RA and distributed carbides are observed in all partitioned alloys. The undissolved M23C6 carbides are spherical or elliptic with a submicron size, and mostly located at the prior austenite grain boundary. The prior austenite grain size (PAGS) increases slowly with increasing austenitizing temperature, and the grain growth can be restrained by the pinning effects of fine MC carbides. In addition, the elements (C, Cr) in the matrix content and volume fraction of RA increase with the gradual dissolution of M23C6.
- With the increasing austenitizing temperature from 1000 to 1060 °C, the ductility increases first and then decreases, but the impact toughness keeps increasing significantly. By optimizing austenitizing temperature (1060 °C for 40 min) and tempering (250 °C for 30 min) heat treatments, the MCMSSs demonstrate excellent mechanical properties with the ultimate tensile strength of 1740 ± 8 MPa, a yield strength of 1237 ± 19 MPa, total elongation of 10.3 ± 0.7 % and impact toughness of 94.6 ± 8.0 Jcm−2 at room temperature.
- The improving ductility is attributed to a synergic cooperation between the volume fraction and mechanical stability of RA. The depleted carbon and chromium content in the matrix also contribute to ductility by increasing the necking deformation needed for void nucleation. However, the undissolved M23C6 carbides decrease the impact toughness dramatically by acting as a crack initiator.
Supplementary Materials
Author Contributions
Funding
Institutional Review Board Statement
Informed Consent Statement
Data Availability Statement
Acknowledgments
Conflicts of Interest
References
- Isfahany, A.N.; Saghafian, H.; Borhani, G. The effect of heat treatment on mechanical properties and corrosion behavior of AISI420 martensitic stainless steel. J. Alloy. Compd. 2011, 509, 3931–3936. [Google Scholar] [CrossRef]
- Barlow, L.D.; Du Toit, M. Effect of Austenitizing Heat Treatment on the Microstructure and Hardness of Martensitic Stainless Steel AISI 420. J. Mater. Eng. Perform. 2012, 21, 1327–1336. [Google Scholar] [CrossRef]
- Choi, Y.-S.; Kim, J.-G.; Park, Y.-S.; Park, J.-Y. Austenitizing treatment influence on the electrochemical corrosion behavior of 0.3C–14Cr–3Mo martensitic stainless steel. Mater. Lett. 2007, 61, 244–247. [Google Scholar] [CrossRef]
- Prieto, G.; Ipiña, J.P.; Tuckart, W. Cryogenic treatments on AISI 420 stainless steel: Microstructure and mechanical properties. Mater. Sci. Eng. A 2014, 605, 236–243. [Google Scholar] [CrossRef]
- Lu, S.-Y.; Yao, K.-F.; Chen, Y.-B.; Wang, M.-H.; Shao, Y.; Ge, X.-Y. Effects of austenitizing temperature on the microstructure and electrochemical behavior of a martensitic stainless steel. J. Appl. Electrochem. 2015, 45, 375–383. [Google Scholar] [CrossRef]
- Rajasekhar, A.; Reddy, G.M.; Mohandas, T.; Murti, V. Influence of austenitizing temperature on microstructure and mechanical properties of AISI 431 martensitic stainless steel electron beam welds. Mater. Des. 2009, 30, 1612–1624. [Google Scholar] [CrossRef]
- Landon, P.R.; Caligiuri, R.D.; Duletsky, P.S. The influence of the M23 (C,N)6 compound on the mechanical properties of type 422 stainless steel. Met. Mater. Trans. A 1983, 14, 1395–1408. [Google Scholar] [CrossRef]
- Huang, Q.; Volkova, O.; Biermann, H.; Mola, J. Dilatometry Analysis of Dissolution of Cr-Rich Carbides in Martensitic Stainless Steels. Met. Mater. Trans. A 2017, 48, 5771–5777. [Google Scholar] [CrossRef]
- Tobata, J.; Ngo-Huynh, K.-L.; Nakada, N.; Tsuchiyama, T.; Takaki, S. Role of Silicon in Quenching and Partitioning Treatment of Low-carbon Martensitic Stainless Steel. ISIJ Int. 2012, 52, 1377–1382. [Google Scholar] [CrossRef]
- Tsuchiyama, T.; Tobata, J.; Tao, T.; Nakada, N.; Takaki, S. Quenching and partitioning treatment of a low-carbon martensitic stainless steel. Mater. Sci. Eng. A 2012, 532, 585–592. [Google Scholar] [CrossRef]
- Mola, J.; De Cooman, B.C. Quenching and Partitioning (Q&P) Processing of Martensitic Stainless Steels. Met. Mater. Trans. A 2013, 44, 946–967. [Google Scholar] [CrossRef]
- Deng, B.; Hou, Z.Y.; Wang, G.D.; Yi, H.L. Toughness improvement in a novel martensitic stainless steel achieved by quenching-tempering and partitioning. Metall. Mater. Trans. A 2021. under review. [Google Scholar]
- Capdevila, C.; Caballero, F.; De Andrés, C.G. Analysis of effect of alloying elements on martensite start temperature of steels. Mater. Sci. Technol. 2003, 19, 581–586. [Google Scholar] [CrossRef]
- Yang, H.-S.; Bhadeshia, H. Austenite grain size and the martensite-start temperature. Scr. Mater. 2009, 60, 493–495. [Google Scholar] [CrossRef]
- Hidalgo, J.; Findley, K.; Santofimia, M. Thermal and mechanical stability of retained austenite surrounded by martensite with different degrees of tempering. Mater. Sci. Eng. A 2017, 690, 337–347. [Google Scholar] [CrossRef]
- Koistinen, D.; Marburger, R. A general equation prescribing the extent of the austenite-martensite transformation in pure iron-carbon alloys and plain carbon steels. Acta Met. 1959, 7, 59–60. [Google Scholar] [CrossRef]
- Sugimoto, K.-I.; Usui, N.; Kobayashi, M.; Hashimoto, S.-I. Effects of Volume Fraction and Stability of Retained Austenite on Ductility of TRIP-aided Dual-phase Steels. ISIJ Int. 1992, 32, 1311–1318. [Google Scholar] [CrossRef]
- Atkins, E. Elements of X-ray Diffraction. Phys. Bull. 1978, 29, 572. [Google Scholar] [CrossRef]
- Minemura, T.; Inoue, A.; Masumoto, T. Metastable Austenite Phase in Rapidly Quenched Fe-Cr-C Alloys. Trans. Iron Steel Inst. Jpn. 1981, 21, 649–655. [Google Scholar] [CrossRef]
- Alan, T. Compilation of ASTM Standard Definitions, 7th ed.; American Society for Testing and Materials: Philadelphia, PA, USA, 1992; p. 351. [Google Scholar]
- Sundman, B.; Jansson, B.; Andersson, J.-O. The Thermo-Calc databank system. Calphad 1985, 9, 153–190. [Google Scholar] [CrossRef]
- Wang, Z.; Zu, X.; Huo, Y. Effect of heating/cooling rate on the transformation temperatures in TiNiCu shape memory alloys. Thermochim. Acta 2005, 436, 153–155. [Google Scholar] [CrossRef]
- Kelton, K.F.; Greer, A.L.; Thompson, C.V. Transient nucleation in condensed systems. J. Chem. Phys. 1983, 79, 6261–6276. [Google Scholar] [CrossRef]
- Mecozzi, M.G.; Eiken, J.; Santofimia, M.J.; Sietsma, J. Phase field modelling of microstructural evolution during the quenching and partitioning treatment in low-alloy steels. Comput. Mater. Sci. 2016, 112, 245–256. [Google Scholar] [CrossRef]
- Scott, C.; Drillet, J. A study of the carbon distribution in retained austenite. Scr. Mater. 2007, 56, 489–492. [Google Scholar] [CrossRef]
- Kim, H.D.; Kim, I.S. Effect of Austenitizing Temperature on Microstructure and Mechanical Properties of 12% Cr Steel. ISIJ Int. 1994, 34, 198–204. [Google Scholar] [CrossRef]
- Nakada, N.; Ishibashi, Y.; Tsuchiyama, T.; Takaki, S. Self-stabilization of untransformed austenite by hydrostatic pressure via martensitic transformation. Acta Mater. 2016, 110, 95–102. [Google Scholar] [CrossRef]
- Yuan, L.; Ponge, D.; Wittig, J.E.; Choi, P.; Jiménez, J.A.; Raabe, D. Nanoscale austenite reversion through partitioning, segregation and kinetic freezing: Example of a ductile 2GPa Fe–Cr–C steel. Acta Mater. 2012, 60, 2790–2804. [Google Scholar] [CrossRef]
- Speer, J.; Matlock, D.; De Cooman, B.; Schroth, J. Carbon partitioning into austenite after martensite transformation. Acta Mater. 2003, 51, 2611–2622. [Google Scholar] [CrossRef]
- Speer, J.; Matlock, D.; DeCooman, B.; Schroth, J. Comments on “On the definitions of paraequilibrium and orthoequilibrium” by M. Hillert and J.; Ågren, Scripta Materialia, 50, 697–699 (2004). Scr. Mater. 2005, 52, 83–85. [Google Scholar] [CrossRef]
- Hou, Z.Y.; Wu, D.; Zheng, S.X.; Yang, X.L.; Li, Z.; Xu, Y.B. Effect of Holding Temperature on Microstructure and Mechanical Properties of High-Strength Multiphase Steel. Steel Res. Int. 2016, 87, 1203–1212. [Google Scholar] [CrossRef]
- Misra, R.; Weatherly, G.; Hartmann, J.; Boucek, A. Ultrahigh strength hot rolled microalloyed steels: Microstructural aspects of development. Mater. Sci. Technol. 2001, 17, 1119–1129. [Google Scholar] [CrossRef]
- Hall, E. The Deformation and Ageing of Mild Steel: II Characteristics of the L ders Deformation. In Proceedings of the Physical Society. Section B; IOP Publishing: London, UK, 1951; Volume 64, pp. 742–747. [Google Scholar]
- Hillert, M. Nuclear composition—A factor of interest in nucleation. Acta Met. 1953, 1, 764–766. [Google Scholar] [CrossRef]
- Seo, E.J.; Cho, L.; Estrin, Y.; De Cooman, B.C. Microstructure-mechanical properties relationships for quenching and partitioning (Q&P) processed steel. Acta Mater. 2016, 113, 124–139. [Google Scholar] [CrossRef]
- Santofimia, M.; Zhao, L.; Sietsma, J. Model for the interaction between interface migration and carbon diffusion during annealing of martensite–austenite microstructures in steels. Scr. Mater. 2008, 59, 159–162. [Google Scholar] [CrossRef]
- Wang, C.; Wang, M.; Shi, J.; Hui, W.; Dong, H. Effect of microstructural refinement on the toughness of low carbon martensitic steel. Scr. Mater. 2008, 58, 492–495. [Google Scholar] [CrossRef]
- Morito, S.; Saito, H.; Ogawa, T.; Furuhara, T.; Maki, T. Effect of Austenite Grain Size on the Morphology and Crystallography of Lath Martensite in Low Carbon Steels. ISIJ Int. 2005, 45, 91–94. [Google Scholar] [CrossRef]
- Tomita, Y.; Okabayashi, K. Effect of microstructure on strength and toughness of heat-treated low alloy structural steels. Met. Mater. Trans. A 1986, 17, 1203–1209. [Google Scholar] [CrossRef]
- Holzweissig, M.J.; Lackmann, J.; Konrad, S.; Schaper, M.; Niendorf, T. Influence of Short Austenitization Treatments on the Mechanical Properties of Low-Alloy Steels for Hot Forming Applications. Met. Mater. Trans. A 2015, 46, 3199–3207. [Google Scholar] [CrossRef]
- De Moor, E.; Lacroix, S.; Clarke, A.; Penning, J.; Speer, J. Effect of Retained Austenite Stabilized via Quench and Partitioning on the Strain Hardening of Martensitic Steels. Met. Mater. Trans. A 2008, 39, 2586–2595. [Google Scholar] [CrossRef]
- Bhadeshia, H.; Honeycombe, R. Steels: Microstructure and Properties; Butterworth-Heinemann: London, UK, 2006; pp. 251–253. [Google Scholar]
- Saeglitz, M.; Krauss, G. Deformation, fracture, and mechanical properties of low-temperature-tempered martensite in SAE 43xx steels. Met. Mater. Trans. A 1997, 28, 377–387. [Google Scholar] [CrossRef]
- Krauss, G. Deformation and fracture in martensitic carbon steels tempered at low temperatures. Met. Mater. Trans. A 2001, 32, 205–221. [Google Scholar] [CrossRef]
- Wu, R.; Li, W.; Zhou, S.; Zhong, Y.; Wang, L.; Jin, X. Effect of Retained Austenite on the Fracture Toughness of Quenching and Partitioning (Q&P)-Treated Sheet Steels. Met. Mater. Trans. A 2014, 45, 1892–1902. [Google Scholar] [CrossRef]
- Gao, G.; Zhang, H.; Gui, X.; Luo, P.; Tan, Z.; Bai, B. Enhanced ductility and toughness in an ultrahigh-strength Mn–Si–Cr–C steel: The great potential of ultrafine filmy retained austenite. Acta Mater. 2014, 76, 425–433. [Google Scholar] [CrossRef]
- Chen, J.; Zhang, W.-N.; Liu, Z.-Y.; Wang, G.-D. The Role of Retained Austenite on the Mechanical Properties of a Low Carbon 3Mn-1.5Ni Steel. Met. Mater. Trans. A 2017, 48, 5849–5859. [Google Scholar] [CrossRef]
- Zhang, M.-X.; Kelly, P.M. Stress-induced martensitic transformation and impact toughness of cast irons and high-carbon Fe-Ni-C steel. Met. Mater. Trans. A 2001, 32, 2695–2708. [Google Scholar] [CrossRef]
- Wang, Z.; Huang, M.X. Optimising the strength-ductility-toughness combination in ultra-high strength quenching and partitioning steels by tailoring martensite matrix and retained austenite. Int. J. Plast. 2020, 134, 102851. [Google Scholar] [CrossRef]
- Krauss, G. Tempering of Lath Martensite in Low and Medium Carbon Steels: Assessment and Challenges. Steel Res. Int. 2017, 88, 1700038. [Google Scholar] [CrossRef]
- Jacobs, T.R.; Matlock, D.K.; Findley, K.O. Characterization of localized plastic deformation behaviors associated with dynamic strain aging in pipeline steels using digital image correlation. Int. J. Plast. 2019, 123, 70–85. [Google Scholar] [CrossRef]
- Wang, H.C.; Somsen, C.; Li, Y.J.; Fries, S.G.; Detemple, E.; Eggeler, G. Effect of Nb on improving the impact toughness of Mo-containing low-alloyed steels. J. Mater. Sci. 2019, 54, 7307–7321. [Google Scholar] [CrossRef]
- Yan, W.; Shan, Y.Y.; Yang, K. Effect of TiN inclusions on the impact toughness of low-carbon microalloyed steels. Met. Mater. Trans. A 2006, 37, 2147–2158. [Google Scholar] [CrossRef]
- Chen, S.; Gan, D. Effects of grain boundary carbides on the tensile and impact properties of type 316 stainless steel. Mater. Sci. Eng. 1986, 84, 65–76. [Google Scholar] [CrossRef]
- Im, Y.-R.; Oh, Y.J.; Lee, B.-J.; Hong, J.H.; Lee, H.-C. Effects of carbide precipitation on the strength and Charpy impact properties of low carbon Mn–Ni–Mo bainitic steels. J. Nucl. Mater. 2001, 297, 138–148. [Google Scholar] [CrossRef]
- Lee, W.-S.; Lin, C.-F. Impact properties and microstructure evolution of 304L stainless steel. Mater. Sci. Eng. A 2001, 308, 124–135. [Google Scholar] [CrossRef]
- Hull, D.; Bacon, D.J. Introduction to Dislocations; Butterworth-Heinemann: London, UK, 2011; pp. 119–121. [Google Scholar]
- Zhou, Q.; Qian, L.; Tan, J.; Meng, J.; Zhang, F. Inconsistent effects of mechanical stability of retained austenite on ductility and toughness of transformation-induced plasticity steels. Mater. Sci. Eng. A 2013, 578, 370–376. [Google Scholar] [CrossRef]


















| Samples | VPγ (%) | CPγ (wt.%) | CTα (wt.%) | Crγ (wt.%) | AM23C6 (%) |
|---|---|---|---|---|---|
| 1000-P | 3.4 ± 0.6 | 0.66 ± 0.08 | 0.11 ± 0.02 | 11.6 ± 0.2 | 0.57 ± 0.11 |
| 1020-P | 6.8 ± 2.3 | 0.79 ± 0.06 | 0.12 ± 0.01 | 11.9 ± 0.3 | 0.29 ± 0.08 |
| 1040-P | 10.3 ± 0.7 | 0.92 ± 0.06 | 0.13 ± 0.02 | 12.4 ± 0.1 | 0.09 ± 0.05 |
| 1060-P | 10.8 ± 0.5 | 0.85 ± 0.1 | 0.14 ± 0.01 | 12.5 | 0 |
| 1060-NP | 3.2 ± 0.4 | 1.16 ± 0.12 | 0.18 ± 0.02 | 12.5 | 0 |
| Samples | YS (MPa) | UTS (MPa) | UE (%) | TE (%) | IT (Jcm−2) |
|---|---|---|---|---|---|
| 1000-P | 1292 ± 18 | 1677 ± 2 | 5.7 ± 0.4 | 8.6 ± 0.6 | 53.3 ± 10.2 |
| 1020-P | 1250 ± 28 | 1682 ± 4 | 6.4 ± 0.4 | 10.2 ± 0.2 | 68.2 ± 6.3 |
| 1040-P | 1258 ± 25 | 1739 ± 40 | 7.0 ± 0.6 | 11.5 ± 0.7 | 77.2 ± 5.3 |
| 1060-P | 1237 ± 19 | 1740 ± 8 | 6.7 ± 0.3 | 10.3 ± 0.7 | 94.6 ± 8.0 |
| 1060-NP | 1501 ± 34 | 1820 ± 12 | 5.7 ± 0.1 | 7.1 ± 0.3 | 87.4 ± 6.2 |
Publisher’s Note: MDPI stays neutral with regard to jurisdictional claims in published maps and institutional affiliations. |
© 2021 by the authors. Licensee MDPI, Basel, Switzerland. This article is an open access article distributed under the terms and conditions of the Creative Commons Attribution (CC BY) license (http://creativecommons.org/licenses/by/4.0/).
Share and Cite
Deng, B.; Yang, D.; Wang, G.; Hou, Z.; Yi, H. Effects of Austenitizing Temperature on Tensile and Impact Properties of a Martensitic Stainless Steel Containing Metastable Retained Austenite. Materials 2021, 14, 1000. https://doi.org/10.3390/ma14041000
Deng B, Yang D, Wang G, Hou Z, Yi H. Effects of Austenitizing Temperature on Tensile and Impact Properties of a Martensitic Stainless Steel Containing Metastable Retained Austenite. Materials. 2021; 14(4):1000. https://doi.org/10.3390/ma14041000
Chicago/Turabian StyleDeng, Biao, Dapeng Yang, Guodong Wang, Ziyong Hou, and Hongliang Yi. 2021. "Effects of Austenitizing Temperature on Tensile and Impact Properties of a Martensitic Stainless Steel Containing Metastable Retained Austenite" Materials 14, no. 4: 1000. https://doi.org/10.3390/ma14041000
APA StyleDeng, B., Yang, D., Wang, G., Hou, Z., & Yi, H. (2021). Effects of Austenitizing Temperature on Tensile and Impact Properties of a Martensitic Stainless Steel Containing Metastable Retained Austenite. Materials, 14(4), 1000. https://doi.org/10.3390/ma14041000

