K092A and K092B, Two Peptides Isolated from the Dogfish (Scyliorhinus canicula L.), with Potential Antineoplastic Activity Against Human Prostate and Breast Cancer Cells
Abstract
1. Introduction
2. Results
2.1. Decrease in Mitochondrial Activity and Cell Number Was Reported in K092A-Treated Human Mammary Carcinoma and K092B-Treated Human Prostate Cancer Cells
2.2. K092A- and K092B-Induced Perturbation of Electric Impedance in Culture Plates of Treated Cells
2.3. K092A and K092B Induced Perturbation of the Cell Cycle Repartition
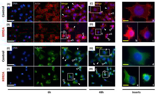
2.4. K092A Induced Cytoskeleton Perturbation Followed by Membrane Destabilization and Necrosis in ZR-75-1 Cells
2.5. K092B Induced Prolonged Necrosis and Membrane Destabilization in MDA-Pca-2b Cells
2.6. K092B Induced Early Autophagy Inhibition, Increase of Neutral Red Retention and Cytoskeleton Perturbation in MDA-Pca-2b Cells
3. Discussion
4. Materials and Methods
4.1. Cell Culture and Treatments Conditions
4.2. Mitochondrial Activity Assay
4.3. Lactate Dehydrogenase Activity Assay
4.4. Neutral Red Retention Assay
4.5. Apoptosis/Necrosis and Membranes Integrity Analysis
4.6. Cell Cycle Analysis
4.7. Electric Impedance Measurement
4.8. Autophagy Measurement
4.9. Immunocytochemistry Analysis
5. Conclusions
Author Contributions
Funding
Acknowledgments
Conflicts of Interest
Appendix A. In Vivo Inhibition of Cell-Derived Tumor in Nude Mice Model

References
- Yavari, B.; Mahjub, R.; Saidijam, M.; Raigani, M.; Soleimani, M. The potential use of peptides in cancer treatment. Curr. Protein Pept. Sci. 2018, 19, 759–770. [Google Scholar] [CrossRef] [PubMed]
- Thundimadathil, J. Cancer treatment using peptides: Current therapies and future prospects. J. Amino Acids 2012, 2012, 967347. [Google Scholar] [CrossRef] [PubMed]
- Blanco-Míguez, A.; Gutiérrez-Jácome, A.; Pérez-Pérez, M.; Pérez-Rodríguez, G.; Catalán-García, S.; Fdez-Riverola, F.; Lourenço, A.; Sánchez, B. From amino acid sequence to bioactivity: The biomedical potential of antitumor peptides. Protein Sci. 2016, 25, 1084–1095. [Google Scholar] [CrossRef] [PubMed]
- Vlieghe, P.; Lisowski, V.; Martinez, J.; Khrestchatisky, M. Synthetic therapeutic peptides: Science and market. Drug Discov. Today 2010, 15, 40–56. [Google Scholar] [CrossRef]
- Zheng, L.-H.; Wang, Y.-J.; Sheng, J.; Wang, F.; Zheng, Y.; Lin, X.-K.; Sun, M. Antitumor peptides from marine organisms. Mar. Drugs 2011, 9, 1840–1859. [Google Scholar] [CrossRef] [PubMed]
- Cicero, A.F.G.; Fogacci, F.; Colletti, A. Potential role of bioactive peptides in prevention and treatment of chronic diseases: A narrative review. Br. J. Pharmacol. 2017, 174, 1378–1394. [Google Scholar] [CrossRef]
- Edgar, S.; Hopley, B.; Genovese, L.; Sibilla, S.; Laight, D.; Shute, J. Effects of collagen-derived bioactive peptides and natural antioxidant compounds on proliferation and matrix protein synthesis by cultured normal human dermal fibroblasts. Sci. Rep. 2018, 8, 10474. [Google Scholar] [CrossRef]
- Hossein-Nejad-Ariani, H.; Althagafi, E.; Kaur, K. Small peptide ligands for targeting EGFR in triple negative breast cancer cells. Sci. Rep. 2019, 9, 2723. [Google Scholar] [CrossRef]
- Gogineni, V.; Hamann, M.T. Marine natural product peptides with therapeutic potential: Chemistry, biosynthesis, and pharmacology. Biochim. Biophys. Acta Gen. Subj. 2018, 1862, 81–196. [Google Scholar] [CrossRef]
- Cheung, R.C.F.; Ng, T.B.; Wong, J.H. Marine peptides: Bioactivities and applications. Mar. Drugs 2015, 13, 4006–4043. [Google Scholar] [CrossRef]
- Pangestuti, R.; Kim, S.K. Bioactive peptide of marine origin for the prevention and treatment of non-communicable diseases. Mar. Drugs 2017, 15, 67–90. [Google Scholar] [CrossRef] [PubMed]
- Khalifa, S.A.M.; Elias, N.; Farag, M.A.; Chen, L.; Saeed, A.; Hegazy, M.F.; Moustafa, M.S.; Abd El-Wahed, A.; Al-Mousawi, S.M.; Musharraf, S.G.; et al. Marine natural products: A source of novel anticancer drugs. Mar. Drugs 2019, 17, 491. [Google Scholar] [CrossRef] [PubMed]
- Bohlin, L.; Cárdenas, P.; Backlund, A.; Göransson, U. 35 years of marine natural product research in sweden: Cool molecules and models from cold waters. Prog. Mol. Subcell. Biol. 2017, 55, 1–34. [Google Scholar] [PubMed]
- Shai, Y.; Fox, J.; Caratsch, C.; Shih, Y.-L.; Edwards, C.; Lazarovici, P. Sequencing and synthesis of pardaxin, a polypeptide from the Red Sea Moses sole with ionophore activity. FEBS Lett. 1988, 242, 161–166. [Google Scholar] [CrossRef]
- Wang, M.; Nie, Y.; Peng, Y.; He, F.; Yang, J.; Wu, C.; Li, X. Purification, characterization and antitumor activities of a new protein from Syngnathus acus, an officinal marine fish. Mar. Drugs 2011, 10, 35–50. [Google Scholar] [CrossRef]
- Chen, J.-Y.; Lin, W.-J.; Wu, J.-L.; Her, G.M.; Hui, C.-F. Epinecidin-1 peptide induces apoptosis which enhances antitumor effects in human leukemia U937 cells. Peptides 2009, 30, 2365–2373. [Google Scholar] [CrossRef]
- Hsu, K.-C.; Li-Chan, E.C.; Jao, C.-L. Antiproliferative activity of peptides prepared from enzymatic hydrolysates of tuna dark muscle on human breast cancer cell line MCF-7. Food Chem. 2011, 126, 617–662. [Google Scholar] [CrossRef]
- Song, R.; Wei, R.-B.; Luo, H.-Y.; Yang, Z.-S. Isolation and identification of an antiproliferative peptide derived from heated products of peptic hydrolysates of half-fin anchovy (Setipinna taty). J. Funct. Foods 2014, 10, 104–111. [Google Scholar] [CrossRef]
- Bhargava, P.; Marshall, J.L.; Dahut, W.; Rizvi, N.; Trocky, N.; Williams, J.I.; Hait, H.; Song, S.; Holroyd, K.J.; Hawkins, M.J. A phase I and pharmacokinetic study of Squalamine, a novel antiangiogenic agent, in patients with advanced cancers. Clin. Cancer Res. 2001, 7, 3912–3919. [Google Scholar]
- Connolly, B.; Desai, A.; Garcia, C.A.; Thomas, E.; Gast, M.J. Squalamine lactate for exudative age-related macular degeneration. Ophthalmol. Clin. N. Am. 2006, 19, 381–391. [Google Scholar]
- Zasloff, M.; Adams, A.P.; Beckerman, B.; Campbell, A.; Han, Z.; Luijten, E.; Meza, I.; Julander, J.; Mishra, A.; Qu, W.; et al. Squalamine as a broad-spectrum systemic antiviral agent with therapeutic potential. Proc. Natl. Acad. Sci. USA 2011, 108, 15978–15983. [Google Scholar] [CrossRef] [PubMed]
- Márquez-Garbán, D.C.; Gorrín-Rivas, M.; Chen, H.W.; Sterling, C., Jr.; Elashoff, D.; Hamilton, N.; Pietras, R.J. Squalamine blocks tumor-associated angiogenesis and growth of human breast cancer cells with or without HER-2/neu overexpression. Cancer Lett. 2019, 449, 66–75. [Google Scholar] [CrossRef] [PubMed]
- Lv, Z.; Ou, Y.; Li, Q.; Zhang, W.; Ye, B.; Wu, W. Expression, purification and bioactivities analysis of recombinant active peptide from shark liver. Mar. Drugs 2009, 7, 258–267. [Google Scholar] [CrossRef] [PubMed]
- Nomura, A.; Noda, N.; Maruyama, S. Purification of angiotensin I-converting enzyme inhibitors in pelagic thresher Alopias pelagicus muscle hydrolysate and viscera extracts. Fish. Sci. 2002, 68, 954–956. [Google Scholar] [CrossRef]
- García-Moreno, P.J.; Espejo-Carpio, F.J.; Guadix, A.; Guadix, E.M. Production and identification of angiotensin I-converting enzyme (ACE) inhibitory peptides from Mediterranean fish discards. J. Funct. Foods 2015, 18, 95–105. [Google Scholar] [CrossRef]
- Ngo, D.-H.; Kang, K.-H.; Ryu, B.; Vo, T.-S.; Jung, W.-K.; Byun, H.-G.; Kim, S.-K. Angiotensin-I converting enzyme inhibitory peptides from antihypertensive skate (Okamejei kenojei) skin gelatin hydrolysate in spontaneously hypertensive rats. Food Chem. 2015, 174, 37–43. [Google Scholar] [CrossRef]
- Zheng, L.; Ling, P.; Wang, Z.; Niu, R.; Hu, C.; Zhang, T.; Lin, X. A novel polypeptide from shark cartilage with potent anti-angiogenic activity. Cancer Biol. Ther. 2007, 6, 775–780. [Google Scholar] [CrossRef]
- Pan, X.; Zhao, Y.Q.; Hu, F.Y.; Chi, C.F.; Wang, B. Anticancer activity of a hexapeptide from skate (Raja porosa) cartilage protein hydrolysate in HeLa cells. Mar. Drugs 2016, 14, 153. [Google Scholar] [CrossRef]
- Tao, J.; Zhao, Y.Q.; Chi, C.F.; Wang, B. Bioactive peptides from cartilage protein hydrolysate of spotless smoothhound and their antioxidant activity in vitro. Mar. Drugs. 2018, 16, 100–118. [Google Scholar] [CrossRef]
- Wu, D.; Gao, Y.; Qi, Y.; Chen, L.; Ma, Y.; Li, Y. Peptide-based cancer therapy: Opportunity and challenge. Cancer Lett. 2014, 351, 13–22. [Google Scholar] [CrossRef]
- Walsh, C.J.; Luer, C.A.; Bodine, A.B.; Smith, C.A.; Cox, H.L.; Noyes, D.R.; Maura, G. Elasmobranch immune cells as a source of novel tumor cell inhibitors: Implications for public health. Integr. Comp. Biol. 2006, 46, 1072–1081. [Google Scholar] [CrossRef] [PubMed]
- Walsh, C.J.; Luer, C.A.; Yordy, J.E.; Cantu, T.; Miedema, J.; Leggett, S.R.; Leigh, B.; Adams, P.; Ciesla, M.; Bennett, C.; et al. Epigonal conditioned media from bonnethead shark, Sphyrna tiburo, induces apoptosis in a T-cell leukemia cell line, Jurkat E6-1. Mar. Drugs 2013, 11, 3224–3257. [Google Scholar] [CrossRef] [PubMed]
- Auvray, P.; Duval, E.; Baron, A.; Chauvin, C.; Hesry, V.; Jouquan, D.; Martin, M.; Redon, E.; Sourdaine, P.; Bourgeon, F.; et al. Peptide Isolés et Purifiés à Partir de Testicules de Roussettes. Patent 2012/130999 A1, 4 October 2012. [Google Scholar]
- Keogh, R.J. New technology for investigating trophoblast function. Placenta 2010, 31, 347–350. [Google Scholar] [CrossRef] [PubMed]
- Drechsler, S.; Andrä, J. Online monitoring of metabolism and morphology of peptide-treated neuroblastoma cancer cells and keratinocytes. J. Bioenerg. Biomembr. 2011, 43, 275–285. [Google Scholar] [CrossRef]
- Verma, N.K.; Crosbie-Staunton, K.; Satti, A.; Gallagher, S.; Ryan, K.B.; Doody, T.; McAtamney, C.; MacLoughlin, R.; Galvin, P.; Burke, C.S.; et al. Magnetic core-shell nanoparticles for drug delivery by nebulization. J. Nanobiotechnol. 2013, 11, 1. [Google Scholar] [CrossRef]
- Zhou, X.; Shan, Z.; Yang, H.; Xu, J.; Li, W.; Guo, F. RelB plays an oncogenic role and conveys chemo—resistance to DLD—1 colon cancer cells. Cancer Cell Int. 2018, 18, 181–197. [Google Scholar] [CrossRef]
- Pawlik, A.; Szczepanski, M.A.; Klimaszewska, A.; Gackowska, L.; Zuryn, A.; Grzanka, A. Phenethyl isothiocyanate-induced cytoskeletal changes and cell death in lung cancer cells. Food Chem. Toxicol. 2012, 10, 3577–3594. [Google Scholar] [CrossRef]
- Duangmano, S.; Sae-Lim, P.; Suksamrarn, A.; Domann, F.E.; Patmasiriwat, P. Cucurbitacin B inhibits human breast cancer cell proliferation through disruption of microtubule polymerization and nucleophosmin/B23 translocation. BMC Complement. Altern. Med. 2012, 12, 185. [Google Scholar] [CrossRef]
- Bury, M.; Girault, A.; Mégalizzi, V.; Spiegl-Kreinecker, S.; Mathieu, V.; Berger, W.; Evidente, A.; Kornienko, A.; Gailly, P.; Vandier, C.; et al. Ophiobolin A induces paraptosis-like cell death in human glioblastoma cells by decreasing BKCa channel activity. Cell Death Dis. 2013, 4, e561. [Google Scholar] [CrossRef]
- Jackson, S.J.T.; Singletary, K.W. Sulforaphane: A naturally occurring mammary carcinoma mitotic inhibitor, which disrupts tubulin polymerization. Carcinogenesis 2004, 25, 219–227. [Google Scholar] [CrossRef]
- Appierto, V.; Tiberio, P.; Cavadini, E.; Casalini, P.; Cappelletti, G.; Formelli, F. Antimitotic effect of the retinoid 4-oxo-fenretinide through inhibition of tubulin polymerization: A novel mechanism of retinoid growth-inhibitory activity. Mol. Cancer Ther. 2009, 8, 3360–3368. [Google Scholar] [CrossRef] [PubMed]
- Head, B.P.; Patel, H.H.; Insel, P.A. Interaction of membrane/lipid rafts with the cytoskeleton: Impact on signaling and function. Membrane/lipid rafts, mediators of cytoskeletal arrangement and cell signaling. Biochim. Biophys. Acta 2014, 1838, 532–545. [Google Scholar] [CrossRef]
- White, E.J.; Martin, V.; Liu, J.-L.; Klein, S.R.; Piya, S.; Gomez-Manzano, C.; Fueyo, J.; Jiang, H. Autophagy regulation in cancer development and therapy. Am. J. Cancer Res. 2011, 1, 362–372. [Google Scholar]
- Esteve, J.M.; Knecht, E. Mechanisms of autophagy and apoptosis: Recent developments in breast cancer cells. World J. Biol. Chem. 2011, 2, 232–238. [Google Scholar] [CrossRef]
- Kimmelman, A.C. The dynamic nature of autophagy in cancer. Genes Dev. 2011, 25, 1999–2010. [Google Scholar] [CrossRef]
- Boya, P.; Casares, N.; Perfettini, J.; Dessen, P.; Larochette, N.; Métivier, D.; Meley, D.; Souquere, S.; Pierron, G.; Codogno, P.; et al. Inhibition of macroautophagy triggers apoptosis. Mol. Cell. Biol. 2005, 25, 1025–1040. [Google Scholar] [CrossRef] [PubMed]
- Amaravadi, R.K.; Yu, D.; Lum, J.J.; Bui, T.; Christophorou, M.A.; Evan, G.I.; Thomas-tikhonenko, A.; Thompson, C.B. Autophagy inhibition enhances therapy-induced apoptosis in a Myc-induced model of lymphoma. J. Clin. Investig. 2007, 117, 326–336. [Google Scholar] [CrossRef] [PubMed]
- Racoma, I.O.; Meisen, W.H.; Wang, Q.-E.; Kaur, B.; Wani, A.A. Thymoquinone inhibits autophagy and induces cathepsin-mediated, caspase-independent cell death in glioblastoma cells. PLoS ONE 2013, 8, e72882. [Google Scholar] [CrossRef] [PubMed]
- Hirokawa, N.; Noda, Y.; Tanaka, Y.; Niwa, S. Kinesin superfamily motor proteins and intracellular transport. Nat. Rev. Mol. Cell Biol. 2009, 10, 682–696. [Google Scholar] [CrossRef]
- Kardon, J.R.; Vale, R.D. Regulators of the cytoplasmic dynein motor. Nat. Rev. Mol. Cell Biol. 2009, 10, 854–865. [Google Scholar] [CrossRef]
- Raposo, G.; Cordonnier, M.N.; Tenza, D.; Menichi, B.; Dürrbach, A.; Louvard, D.; Coudrier, E. Association of myosin I alpha with endosomes and lysosomes in mammalian cells. Mol. Biol. Cell 1999, 10, 1477–1494. [Google Scholar] [CrossRef] [PubMed]
- Groth-Pedersen, L.; Aits, S.; Corcelle-Termeau, E.; Petersen, N.H.T.; Nylandsted, J.; Jäättelä, M. Identification of cytoskeleton-associated proteins essential for lysosomal stability and survival of human cancer cells. PLoS ONE 2012, 7, e45381. [Google Scholar] [CrossRef] [PubMed]
- Wills, J.; Credle, J.; Oaks, A.W.; Duka, V.; Lee, J.-H.; Jones, J.; Sidhu, A. Paraquat, but not maneb, induces synucleinopathy and tauopathy in striata of mice through inhibition of proteasomal and autophagic pathways. PLoS ONE 2012, 7, e30745. [Google Scholar] [CrossRef]
- Figueiredo, C.R.; Matsuo, A.L.; Azevedo, R.A.; Massaoka, M.H.; Girola, N.; Polonelli, L.; Travassos, L.R. A novel microtubule de-stabilizing complementarity-determining region C36L1 peptide displays antitumor activity against melanoma in vitro and in vivo. Sci. Rep. 2015, 5, 14310. [Google Scholar] [CrossRef]











| Cycle | Sample | 4 h | 8 h | 12 h | 24 h | 48 h | 72 h |
|---|---|---|---|---|---|---|---|
| G0/G1 | Control | 60.7 ± 3.6 | 65.4 ± 3.3 | 70.9 ± 1.1 | 67.9 ± 2.1 | 74.3 ± 1.0 | 78.0 ± 1.2 |
| K092A | 64.6 ± 6.8 | 65.5 ± 4.5 | 66.4 ± 2.9 | 71.5 ± 2.4 | 80.2 ± 1.0 * | 66.6 ± 2.2 * | |
| S | Control | 13.7 ± 0.7 | 11.0 ± 1.1 | 8.0 ± 0.3 | 15.5 ± 1.5 | 14.0 ± 0.8 | 8.7 ± 2.4 |
| K092A | 13.0 ± 2.7 | 10.0 ± 1.4 | 10.2 ± 2.4 | 11.5 ± 1.9 * | 8.9 ± 0.9 * | 14.9 ± 2.7 * | |
| G2/M | Control | 23.8 ± 2.8 | 22.1 ± 2.7 | 19.8 ± 1.2 | 16.6 ± 1.5 | 11.8 ± 1.2 | 9.0 ± 1.8 |
| K092A | 21.0 ± 3.6 | 23.0 ± 3.0 | 22.3 ± 1.7 | 16.9 ± 1.6 | 8.7 ± 0.8 * | 16.6 ± 2.5 * |
| Cycle | Sample | 4 h | 8 h | 12 h | 24 h | 48 h | 72 h |
|---|---|---|---|---|---|---|---|
| G0/G1 | Control | 55.4 ± 2.8 | 59.2 ± 1.3 | 49.8 ± 1.8 | 66.8 ± 0.6 | 72.5 ± 0.7 | 67.4 ± 0.8 |
| K092B | 53.4 ± 4.2 | 64.5 ± 0.6 * | 60.0 ± 2.1 * | 60.5 ± 0.3 * | 69.7 ± 1.1 * | 73.2 ± 1.8 | |
| S | Control | 14.7 ± 0.4 | 22.4 ± 0.4 | 22.9 ± 2.5 | 15.2 ± 0.4 | 10.5 ± 0.9 | 15.2 ± 0.3 |
| K092B | 14.9 ± 0.0 | 14.3 ± 1.3 * | 17.4 ± 2.2 * | 16.7 ± 1.0 | 12.5 ± 2.8 | 10.2 ± 1.1 * | |
| G2/M | Control | 28.7 ± 1.3 | 20.8 ± 2.3 | 26.7 ± 3.7 | 16.8 ± 0.3 | 16.5 ± 1.2 | 17.7 ± 0.5 |
| K092B | 30.9 ± 3.7 | 20.7 ± 1.4 | 19.0 ± 1.9 * | 21.5 ± 0.7 * | 17.1 ± 1.1 | 16.2 ± 3.3 |
| Cell Death | Sample | 24 h | 48 h | 72 h |
|---|---|---|---|---|
| Apoptosis | Control | 1.5 ± 0.4 | 1.6 ± 0.3 | 1.5 ± 0.3 |
| K092A | 1.4 ± 0.1 | 2.1 ± 1.0 | 3.7 ± 0.7 * | |
| Necrosis | Control | 3.8 ± 1.2 | 3.0 ± 1.3 | 3.3 ± 1.0 |
| K092A | 4.1 ± 0.4 | 4.2 ± 1.2 | 10.8 ± 1.9 * | |
| Destabilized membranes | Control | 3.1 ± 1.1 | 5.4 ± 1.5 | 6.5 ± 1.3 |
| K092A | 3.4 ± 1.7 | 8.4 ± 1.1 * | 17.6 ± 3.3 * | |
| Cell fragments | Control | 2.2 ± 0.3 | 2.0 ± 1.1 | 3.5 ± 1.1 |
| K092A | 2.7 ± 0.7 | 3.7 ± 0.1 * | 8.7 ± 1.7 * |
| Cell Death | Sample | 4 h | 8 h | 12 h | 24 h | 48 h | 72 h |
|---|---|---|---|---|---|---|---|
| Apoptosis | Control | 1.7 ± 0.4 | 2.2 ± 0.2 | 2.1 ± 0.2 | 2.0 ± 0.1 | 1.6 ± 0.5 | 2.0 ± 1.0 |
| K092B | 2.2 ± 0.8 | 2.4 ± 0.4 | 3.0 ± 0.5 | 2.2 ± 0.7 | 2.3 ± 0.3 | 2.2 ± 0.7 | |
| Necrosis | Control | 5.2 ± 0.4 | 2.8 ± 1.1 | 3.9 ± 0.9 | 2.7 ± 1.2 | 2.4 ± 0.1 | 3.5 ± 1.7 |
| K092B | 5.8 ± 0.4 | 4.6 ± 0.5 * | 12.7 ± 4.1 * | 4.1 ± 0.6 | 3.8 ± 0.2 | 6.5 ± 0.8 * | |
| Destabilized membranes | Control | 7.8 ± 0.9 | 6.8 ± 0.2 | 7.0 ± 0.9 | 4.8 ± 1.1 | 3.5 ± 0.6 | 3.7 ± 0.2 |
| K092B | 8.8 ± 0.3 | 6.2 ± 0.8 | 11.5 ± 1.8 * | 6.6 ± 1.5 | 5.2 ± 1.1 | 7.6 ± 0.3 * | |
| Cell fragments | Control | 4.3 ± 0.2 | 4.5 ± 0.2 | 4.9 ± 0.4 | 3.1 ± 0.3 | 2.9 ± 0.1 | 3.4 ± 0.1 |
| K092B | 4.5 ± 1.4 | 4.3 ± 2.1 | 4.7 ± 0.4 | 3.7 ± 0.4 | 5.7 ± 0.7 * | 5.9 ± 0.7 * |
© 2019 by the authors. Licensee MDPI, Basel, Switzerland. This article is an open access article distributed under the terms and conditions of the Creative Commons Attribution (CC BY) license (http://creativecommons.org/licenses/by/4.0/).
Share and Cite
Bosseboeuf, A.; Baron, A.; Duval, E.; Gautier, A.; Sourdaine, P.; Auvray, P. K092A and K092B, Two Peptides Isolated from the Dogfish (Scyliorhinus canicula L.), with Potential Antineoplastic Activity Against Human Prostate and Breast Cancer Cells. Mar. Drugs 2019, 17, 672. https://doi.org/10.3390/md17120672
Bosseboeuf A, Baron A, Duval E, Gautier A, Sourdaine P, Auvray P. K092A and K092B, Two Peptides Isolated from the Dogfish (Scyliorhinus canicula L.), with Potential Antineoplastic Activity Against Human Prostate and Breast Cancer Cells. Marine Drugs. 2019; 17(12):672. https://doi.org/10.3390/md17120672
Chicago/Turabian StyleBosseboeuf, Adrien, Amandine Baron, Elise Duval, Aude Gautier, Pascal Sourdaine, and Pierrick Auvray. 2019. "K092A and K092B, Two Peptides Isolated from the Dogfish (Scyliorhinus canicula L.), with Potential Antineoplastic Activity Against Human Prostate and Breast Cancer Cells" Marine Drugs 17, no. 12: 672. https://doi.org/10.3390/md17120672
APA StyleBosseboeuf, A., Baron, A., Duval, E., Gautier, A., Sourdaine, P., & Auvray, P. (2019). K092A and K092B, Two Peptides Isolated from the Dogfish (Scyliorhinus canicula L.), with Potential Antineoplastic Activity Against Human Prostate and Breast Cancer Cells. Marine Drugs, 17(12), 672. https://doi.org/10.3390/md17120672
