Kalman-Based Scene Flow Estimation for Point Cloud Densification and 3D Object Detection in Dynamic Scenes
Abstract
1. Introduction
- We propose a novel method for densifying point clouds by utilizing motion information from multi-frame point clouds with a novel scene flow estimator using a two-branch pyramid network as the implicit regularizer.
- We address the issue of localization error in long-sequence scene flow estimation by utilizing a Kalman filter to precisely adjust the position of dynamic objects.
- We compare our point cloud densification method with the ICP-based point cloud densification method, and our method outperforms in terms of accuracy and precision.
- We conduct extensive experiments on the KITTI 3D tracking dataset to demonstrate that our method effectively improves the LiDAR-only detectors’ performance by achieving superior results to the baselines.
2. Related Work
2.1. Point Cloud Alignment and Densification
2.2. 3D Object Detection
3. Proposed Method
| Algorithm 1 Dynamic Point Cloud Densification Algorithm |
| Require: Point cloud Sequence: Ensure: Densification Results:
|
3.1. Long Sequence Scene Flow Estimation
3.2. Two-Branch Pyramid Network
3.3. Kalman Filter Correction
3.4. Point Cloud Refinement
4. Experiments
4.1. Experimental Setup
4.2. Scene Flow Results and Analysis
- End-Point Error in 3D (EPE3D): The average Euclidean distance between the estimated flow field and the ground truth , which provides a measure of the model’s predictive accuracy.
- Strict 3D Accuracy (Acc3d_strict): The percentage of points with an end-point error of less than 5 cm or a relative end-point error of less than 5%, measuring the model’s accuracy under stringent conditions.
- Relaxed 3D Accuracy (Acc3d_relax): The percentage of points with an end-point error of less than 10 cm or a relative end-point error of less than 10%, assessing the model’s performance under more lenient conditions.
- Outlier Ratio (Out.): The percentage of points where the end-point error exceeds 30 cm or the relative end-point error is greater than 10%, identifying predictions with substantial errors.
4.3. Densification Results and Analysis
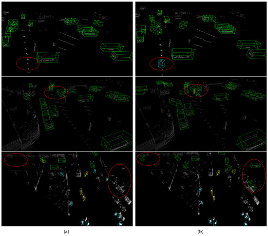
4.4. 3D Object Detection Results and Analysis
- PointPillars [40] is a novel 3D object detection framework for point cloud data. It converts point clouds into a pseudo-image of pillars, enabling efficient detection through 2D convolutional neural networks.
- SECOND [57] employs sparse convolutional networks to process spatially sparse but information-rich regions in point clouds, thereby enhancing both speed and accuracy in 3D object detection.
- PointRCNN [58] is a two-stage 3D object detector that operates directly on raw point clouds. It generates 3D bounding box proposals and refines them for precise object localization and classification.
- PV-RCNN [59] integrates voxel-based and point-based neural networks. This hybrid approach extracts rich contextual features from point clouds, leading to significant improvements in detection accuracy.
- [60] focuses on detailed part-level features for robust object recognition in point cloud data. It enhances detection precision by aggregating these fine-grained features effectively.
4.5. Limitations and Future Work
- Kalman Filter Integration: Our method uses a Kalman filter to correct localization errors in dynamic targets within point cloud scenes, especially in long sequence scene flows. However, this module’s integration with the deep learning-based scene flow estimator is not as tight as it could be, leading to additional computational overhead.
- Scene Flow Estimator Constraints: The constraints of our scene flow estimator require further exploration. The model currently faces significant computational challenges when estimating point cloud scene flows in large scenes, indicating a need for further optimization.
- Validation on 3D Object Detection Models: There is a need for more extensive validation across various 3D object detection models to ensure the method’s adaptability to different applications.
- Integrating Kalman Filter into Scene Flow Estimation: One avenue for improvement involves embedding the Kalman filter module directly into the scene flow estimation model. This integration, along with developing appropriate constraints, could be advantageous for long sequence point cloud scene flow estimation.
- Lightweight Data Representation: Adopting more lightweight data representation mechanisms could significantly reduce the overall latency of the algorithm.
- Experiments with Additional 3D Object Detection Models: Expanding our experiments to include a wider range of 3D object detection models is crucial. Given the issues of multi-frame label mismatch, implementing an appropriate label modification mechanism will be essential to maintain the accuracy of model training.
5. Conclusions
- With a novel scene flow estimator using a two-branch pyramid network as the implicit regularizer, we are capable of utilizing motion information from multi-frame point clouds to densify point clouds, which achieves excellent performance in both accuracy and precision.
- The issue of localization error in long-sequence scene flow estimation can be effectively addressed by utilizing a Kalman filter to precisely adjust the position of dynamic objects. This mechanism makes the densification result more robust.
- Compared with the ICP-based point cloud densification method, our method is based on the implicit constrainer-guided scene flow results, whose ability to fine-tune the position of the point cloud makes the results more accurate and outperforms the traditional methods.
- Extensive experiments on the KITTI 3D tracking dataset demonstrate that our method effectively improves the LiDAR-only detectors’ performance by adding more semantic and structural details.
Author Contributions
Funding
Institutional Review Board Statement
Informed Consent Statement
Data Availability Statement
Conflicts of Interest
References
- Arnold, E.; Al-Jarrah, O.Y.; Dianati, M.; Fallah, S.; Oxtoby, D.; Mouzakitis, A. A survey on 3d object detection methods for autonomous driving applications. IEEE Trans. Intell. Transp. Syst. 2019, 20, 3782–3795. [Google Scholar] [CrossRef]
- Xie, Y.; Tian, J.; Zhu, X.X. Linking points with labels in 3D: A review of point cloud semantic segmentation. IEEE Geosci. Remote Sens. Mag. 2020, 8, 38–59. [Google Scholar] [CrossRef]
- Hu, H.N.; Yang, Y.H.; Fischer, T.; Darrell, T.; Yu, F.; Sun, M. Monocular quasi-dense 3d object tracking. IEEE Trans. Pattern Anal. Mach. Intell. 2022, 45, 1992–2008. [Google Scholar] [CrossRef]
- Rusinkiewicz, S.; Levoy, M. Efficient variants of the ICP algorithm. In Proceedings of the Third International Conference on 3-D Digital Imaging and Modeling, Quebec City, QC, Canada, 28 May–1 June 2001; pp. 145–152. [Google Scholar]
- Chen, Y.; Medioni, G. Object modelling by registration of multiple range images. Image Vis. Comput. 1992, 10, 145–155. [Google Scholar] [CrossRef]
- Segal, A.; Haehnel, D.; Thrun, S. Generalized-icp. In Proceedings of the Robotics: Science and Systems, Seattle, WA, USA, 28 June–1 July 2009; p. 435. [Google Scholar]
- Kim, K.; Kim, C.; Jang, C.; Sunwoo, M.; Jo, K. Deep learning-based dynamic object classification using LiDAR point cloud augmented by layer-based accumulation for intelligent vehicles. Expert Syst. Appl. 2021, 167, 113861. [Google Scholar] [CrossRef]
- Fontana, E.; Lodi Rizzini, D. Accurate Global Point Cloud Registration Using GPU-Based Parallel Angular Radon Spectrum. Sensors 2023, 23, 8628. [Google Scholar] [CrossRef] [PubMed]
- Besl, P.J.; McKay, N.D. Method for registration of 3-D shapes. In Proceedings of the Sensor fusion IV: Control Paradigms and Data Structures, Boston, MA, USA, 12–15 November 1992; Volume 1611, pp. 586–606. [Google Scholar]
- Wang, W.; Saputra, M.R.U.; Zhao, P.; Gusmao, P.; Yang, B.; Chen, C.; Markham, A.; Trigoni, N. Deeppco: End-to-end point cloud odometry through deep parallel neural network. In Proceedings of the 2019 IEEE/RSJ International Conference on Intelligent Robots and Systems (IROS), Macau, China, 3–8 November 2019; pp. 3248–3254. [Google Scholar]
- Li, Z.; Wang, N. Dmlo: Deep matching lidar odometry. In Proceedings of the 2020 IEEE/RSJ International Conference on Intelligent Robots and Systems (IROS), Las Vegas, NV, USA, 24 October–24 January 2021; pp. 6010–6017. [Google Scholar]
- Wang, G.; Wu, X.; Liu, Z.; Wang, H. Hierarchical attention learning of scene flow in 3d point clouds. IEEE Trans. Image Process. 2021, 30, 5168–5181. [Google Scholar] [CrossRef]
- Chen, J.; Wang, H.; Yang, S. Tightly Coupled LiDAR-Inertial Odometry and Mapping for Underground Environments. Sensors 2023, 23, 6834. [Google Scholar] [CrossRef]
- Liu, J.; Xu, Y.; Zhou, L.; Sun, L. PCRMLP: A Two-Stage Network for Point Cloud Registration in Urban Scenes. Sensors 2023, 23, 5758. [Google Scholar] [CrossRef] [PubMed]
- Chen, S.; Xiao, G.; Shi, Z.; Guo, J.; Ma, J. SSL-Net: Sparse semantic learning for identifying reliable correspondences. Pattern Recognit. 2024, 146, 110039. [Google Scholar] [CrossRef]
- Liu, X.; Xiao, G.; Chen, R.; Ma, J. Pgfnet: Preference-guided filtering network for two-view correspondence learning. IEEE Trans. Image Process. 2023, 32, 1367–1378. [Google Scholar] [CrossRef]
- Huguet, F.; Devernay, F. A variational method for scene flow estimation from stereo sequences. In Proceedings of the 2007 IEEE 11th International Conference on Computer Vision (ICCV), Rio de Janeiro, Brazil, 14–21 October 2007; pp. 1–7. [Google Scholar]
- Quiroga, J.; Devernay, F.; Crowley, J. Local/global scene flow estimation. In Proceedings of the 2013 IEEE International Conference on Image Processing, Melbourne, VIC, Australia, 15–18 September 2013; pp. 3850–3854. [Google Scholar]
- Hadfield, S.; Bowden, R. Kinecting the dots: Particle based scene flow from depth sensors. In Proceedings of the 2011 International Conference on Computer Vision (ICCV), Barcelona, Spain, 6–13 November 2011; pp. 2290–2295. [Google Scholar]
- Quiroga, J.; Devernay, F.; Crowley, J. Scene flow by tracking in intensity and depth data. In Proceedings of the 2012 IEEE Computer Society Conference on Computer Vision and Pattern Recognition Workshops, Providence, RI, USA, 16–21 June 2012; pp. 50–57. [Google Scholar]
- Liu, X.; Qi, C.R.; Guibas, L.J. Flownet3d: Learning scene flow in 3d point clouds. In Proceedings of the 2019 IEEE/CVF Conference on Computer Vision and Pattern Recognition (CVPR), Long Beach, CA, USA, 15–20 June 2019; pp. 529–537. [Google Scholar]
- Qi, C.R.; Yi, L.; Su, H.; Guibas, L.J. Pointnet++: Deep hierarchical feature learning on point sets in a metric space. Adv. Neural Inf. Process. Syst. 2017, 30, 5105–5114. [Google Scholar]
- Li, X.; Kaesemodel Pontes, J.; Lucey, S. Neural scene flow prior. Adv. Neural Inf. Process. Syst. 2021, 34, 7838–7851. [Google Scholar]
- Li, J.; Huang, X.; Zhan, J. High-Precision Motion Detection and Tracking Based on Point Cloud Registration and Radius Search. IEEE Trans. Intell. Transp. Syst. 2023, 24, 6322–6335. [Google Scholar] [CrossRef]
- Yang, Y.; Jiang, K.; Yang, D.; Jiang, Y.; Lu, X. Temporal point cloud fusion with scene flow for robust 3D object tracking. IEEE Signal Process. Lett. 2022, 29, 1579–1583. [Google Scholar] [CrossRef]
- Biber, P.; Straßer, W. The normal distributions transform: A new approach to laser scan matching. In Proceedings of the 2003 IEEE/RSJ International Conference on Intelligent Robots and Systems (IROS 2003) (Cat. No.03CH37453), Las Vegas, NV, USA, 27–31 October 2003; Volume 3, pp. 2743–2748. [Google Scholar]
- Li, Y.; Harada, T. Lepard: Learning partial point cloud matching in rigid and deformable scenes. In Proceedings of the 2022 IEEE/CVF conference on Computer Vision and Pattern Recognition (CVPR), New Orleans, LA, USA, 18–24 June 2022; pp. 5554–5564. [Google Scholar]
- Vizzo, I.; Guadagnino, T.; Mersch, B.; Wiesmann, L.; Behley, J.; Stachniss, C. Kiss-icp: In defense of point-to-point icp–simple, accurate, and robust registration if done the right way. IEEE Robot. Autom. Lett. 2023, 8, 1029–1036. [Google Scholar] [CrossRef]
- Lee, S.; Kim, C.; Cho, S.; Myoungho, S.; Jo, K. Robust 3-Dimension Point Cloud Mapping in Dynamic Environment Using Point-Wise Static Probability-Based NDT Scan-Matching. IEEE Access 2020, 8, 175563–175575. [Google Scholar] [CrossRef]
- Yan, D.; Wang, W.; Li, S.; Sun, P.; Duan, W.; Liu, S. A speedy point cloud registration method based on region feature extraction in intelligent driving scene. Sensors 2023, 23, 4505. [Google Scholar] [CrossRef] [PubMed]
- Shen, Y.; Liu, Y.; Tian, Y.; Liu, Z.; Wang, F. A New Parallel Intelligence Based Light Field Dataset for Depth Refinement and Scene Flow Estimation. Sensors 2022, 22, 9483. [Google Scholar] [CrossRef]
- Shi, Z.; Xiao, G.; Zheng, L.; Ma, J.; Chen, R. JRA-Net: Joint representation attention network for correspondence learning. Pattern Recognit. 2023, 135, 109180. [Google Scholar] [CrossRef]
- Zheng, L.; Xiao, G.; Shi, Z.; Wang, S.; Ma, J. MSA-Net: Establishing reliable correspondences by multiscale attention network. IEEE Trans. Image Process. 2022, 31, 4598–4608. [Google Scholar] [CrossRef] [PubMed]
- Huang, S.; Gojcic, Z.; Huang, J.; Wieser, A.; Schindler, K. Dynamic 3d scene analysis by point cloud accumulation. In Proceedings of the 2022 European Conference on Computer Vision (ECCV), Tel Aviv, Israel, 23–27 October 2022; pp. 674–690. [Google Scholar]
- Wang, C.; Li, X.; Pontes, J.K.; Lucey, S. Neural prior for trajectory estimation. In Proceedings of the 2022 IEEE/CVF Conference on Computer Vision and Pattern Recognition (CVPR), New Orleans, LA, USA, 18–24 June 2022; pp. 6532–6542. [Google Scholar]
- Wu, C.; Lin, Y.; Guo, Y.; Wen, C.; Shi, Y.; Wang, C. Vehicle Completion in Traffic Scene Using 3D LiDAR Point Cloud Data. In Proceedings of the IGARSS 2022—2022 IEEE International Geoscience and Remote Sensing Symposium, Kuala Lumpur, Malaysia, 17–22 July 2022; pp. 7495–7498. [Google Scholar]
- Wen, X.; Xiang, P.; Han, Z.; Cao, Y.P.; Wan, P.; Zheng, W.; Liu, Y.S. PMP-Net++: Point cloud completion by transformer-enhanced multi-step point moving paths. IEEE Trans. Pattern Anal. Mach. Intell. 2022, 45, 852–867. [Google Scholar] [CrossRef] [PubMed]
- Yuan, W.; Khot, T.; Held, D.; Mertz, C.; Hebert, M. Pcn: Point completion network. In Proceedings of the 2018 International Conference on 3D Vision (3DV), Verona, Italy, 5–8 September 2018; pp. 728–737. [Google Scholar]
- Qi, C.R.; Su, H.; Mo, K.; Guibas, L.J. Pointnet: Deep learning on point sets for 3D classification and segmentation. In Proceedings of the 2017 IEEE Conference on Computer Vision and Pattern Recognition (CVPR), Honolulu, HI, USA, 21–26 July 2017; pp. 652–660. [Google Scholar]
- Lang, A.H.; Vora, S.; Caesar, H.; Zhou, L.; Yang, J.; Beijbom, O. Pointpillars: Fast encoders for object detection from point clouds. In Proceedings of the 2019 IEEE/CVF Conference on Computer Vision and Pattern Recognition (CVPR), Long Beach, CA, USA, 15–20 June 2019; pp. 12697–12705. [Google Scholar]
- Zhou, Y.; Tuzel, O. Voxelnet: End-to-end learning for point cloud based 3D object detection. In Proceedings of the 2018 IEEE/CVF Conference on Computer Vision and Pattern Recognition (CVPR), Salt Lake City, UT, USA, 18–23 June 2018; pp. 4490–4499. [Google Scholar]
- Zheng, W.; Tang, W.; Jiang, L.; Fu, C.W. SE-SSD: Self-ensembling single-stage object detector from point cloud. In Proceedings of the 2021 IEEE/CVF Conference on Computer Vision and Pattern Recognition (CVPR), Nashville, TN, USA, 20–25 June 2021; pp. 14494–14503. [Google Scholar]
- Wu, H.; Wen, C.; Li, W.; Li, X.; Yang, R.; Wang, C. Transformation-equivariant 3D object detection for autonomous driving. In Proceedings of the AAAI Conference on Artificial Intelligence, Washington, DC, USA, 7–14 February 2023; pp. 2795–2802. [Google Scholar]
- Zhang, Y.; Liu, K.; Bao, H.; Zheng, Y.; Yang, Y. PMPF: Point-Cloud Multiple-Pixel Fusion-Based 3D Object Detection for Autonomous Driving. Remote Sens. 2023, 15, 1580. [Google Scholar] [CrossRef]
- Duffhauss, F.; Baur, S.A. PillarFlowNet: A real-time deep multitask network for LiDAR-based 3D object detection and scene flow estimation. In Proceedings of the 2020 IEEE/RSJ International Conference on Intelligent Robots and Systems (IROS), Las Vegas, NV, USA, 24 October–24 January 2021; pp. 10734–10741. [Google Scholar]
- Geiger, A.; Lenz, P.; Stiller, C.; Urtasun, R. Vision meets robotics: The kitti dataset. Int. J. Robot. Res. 2013, 32, 1231–1237. [Google Scholar] [CrossRef]
- Xu, J.; Li, Z.; Du, B.; Zhang, M.; Liu, J. Reluplex made more practical: Leaky ReLU. In Proceedings of the 2020 IEEE Symposium on Computers and communications, Rennes, France, 7–10 July 2020; pp. 1–7. [Google Scholar]
- Fan, H.; Su, H.; Guibas, L.J. A point set generation network for 3D object reconstruction from a single image. In Proceedings of the 2017 IEEE Conference on Computer Vision and Pattern Recognition (CVPR), Honolulu, HI, USA, 21–26 July 2017; pp. 605–613. [Google Scholar]
- Bishop, G.; Welch, G. An introduction to the kalman filter. Proc Siggraph Course 2001, 8, 41. [Google Scholar]
- Menze, M.; Geiger, A. Object scene flow for autonomous vehicles. In Proceedings of the IEEE Conference on Computer Vision and Pattern Recognition, Boston, MA, USA, 7–12 June 2015; pp. 3061–3070. [Google Scholar]
- Wang, Z.; Li, S.; Howard-Jenkins, H.; Prisacariu, V.; Chen, M. Flownet3d++: Geometric losses for deep scene flow estimation. In Proceedings of the 2020 IEEE/CVF Winter Conference on Applications of Computer Vision, Snowmass, CO, USA, 1–5 March 2020; pp. 91–98. [Google Scholar]
- Mittal, H.; Okorn, B.; Held, D. Just go with the flow: Self-supervised scene flow estimation. In Proceedings of the 2020 IEEE/CVF Conference on Computer Vision and Pattern Recognition (CVPR), Seattle, WA, USA, 13–19 June 2020; pp. 11177–11185. [Google Scholar]
- Pontes, J.K.; Hays, J.; Lucey, S. Scene flow from point clouds with or without learning. In Proceedings of the 2020 International Conference on 3D Vision (3DV), Fukuoka, Japan, 25–28 November 2020; pp. 261–270. [Google Scholar]
- Lang, I.; Aiger, D.; Cole, F.; Avidan, S.; Rubinstein, M. Scoop: Self-supervised correspondence and optimization-based scene flow. In Proceedings of the 2023 IEEE/CVF Conference on Computer Vision and Pattern Recognition (CVPR), Vancouver, BC, Canada, 17–24 June 2023; pp. 5281–5290. [Google Scholar]
- Ahuja, R.; Baker, C.; Schwarting, W. OptFlow: Fast Optimization-based Scene Flow Estimation without Supervision. In Proceedings of the IEEE/CVF Winter Conference on Applications of Computer Vision, Waikoloa, HI, USA, 1–5 January 2024; pp. 3161–3170. [Google Scholar]
- Team, O.D. OpenPCDet: An Open-Source Toolbox for 3D Object Detection from Point Clouds. 2020. Available online: https://github.com/open-mmlab/OpenPCDet (accessed on 2 October 2023).
- Yan, Y.; Mao, Y.; Li, B. Second: Sparsely embedded convolutional detection. Sensors 2018, 18, 3337. [Google Scholar] [CrossRef]
- Shi, S.; Wang, X.; Li, H. Pointrcnn: 3D Object proposal generation and detection from point cloud. In Proceedings of the 2019 IEEE/CVF Conference on Computer Vision and Pattern Recognition (CVPR), Long Beach, CA, USA, 15–20 June 2019; pp. 770–779. [Google Scholar]
- Shi, S.; Guo, C.; Jiang, L.; Wang, Z.; Shi, J.; Wang, X.; Li, H. Pv-rcnn: Point-voxel feature set abstraction for 3d object detection. In Proceedings of the 2020 IEEE/CVF conference on Computer Vision and Pattern Recognition (CVPR), Seattle, WA, USA, 13–19 June 2020; pp. 10529–10538. [Google Scholar]
- Shi, S.; Wang, Z.; Shi, J.; Wang, X.; Li, H. From points to parts: 3D object detection from point cloud with part-aware and part-aggregation network. IEEE Trans. Pattern Anal. Mach. Intell. 2020, 43, 2647–2664. [Google Scholar] [CrossRef]










| Configuration | Hardware/Software |
|---|---|
| System | Ubuntu20.04 |
| Environment | Pytorch1.12.0 + CUDA11.6 |
| CPU | Intel i7-12700H@ |
| GPU | NVIDIA RTX 3080 Ti |
| Method | Learning Based | EPE3D | Acc3d_strict | Acc3d_relax | Out. |
|---|---|---|---|---|---|
| Graph Prior [53] | False | 0.082 | 84.0 | 88.5 | - |
| Neural Prior [23] | False | 0.034 | 92.3 | 96.4 | 12.0 |
| [54] | Partial | 0.039 | 93.6 | 96.5 | 15.2 |
| OptFlow [55] | False | 0.028 | 96.1 | 97.8 | 13.2 |
| Our Method | False | 0.027 | 94.3 | 96.8 | 10.4 |
| Car1 | Car2 | Truck1 | Truck2 | Cyclist1 | Cyclist2 | |
|---|---|---|---|---|---|---|
| OURS-CD | 0.228993 | 0.206742 | 0.207862 | 0.277185 | 0.155147 | 0.099149 |
| ICP-CD | 0.321194 | 0.295102 | 0.250756 | 0.528042 | 0.172999 | 0.134865 |
| OURS-RMSE | 0.064533 | 0.048028 | 0.051484 | 0.061112 | 0.059912 | 0.050888 |
| ICP-RMSE | 0.069794 | 0.065152 | 0.063821 | 0.070297 | 0.068576 | 0.059299 |
| Configuration | Car1 | Car2 | Truck1 | Truck2 | Cyclist1 | Cyclist2 |
|---|---|---|---|---|---|---|
| Scene flow + Kalman filter + Refinement | 0.228993 | 0.206742 | 0.207862 | 0.277185 | 0.155147 | 0.099149 |
| Scene flow + Kalman filter | 0.235468 | 0.212346 | 0.231681 | 0.281356 | 0.155987 | 0.100548 |
| Scene flow + Refinement | 0.288802 | 0.249351 | 0.581330 | 0.616738 | 0.239621 | 0.182909 |
| Configuration | Car1 | Car2 | Truck1 | Truck2 | Cyclist1 | Cyclist2 |
|---|---|---|---|---|---|---|
| Scene flow + Kalman filter + Refinement | 0.064533 | 0.048028 | 0.051484 | 0.061112 | 0.059912 | 0.050888 |
| Scene flow + Kalman filter | 0.065131 | 0.049756 | 0.051599 | 0.061192 | 0.062988 | 0.054037 |
| Scene flow + Refinement | 0.066378 | 0.052751 | 0.054257 | 0.064125 | 0.067561 | 0.058043 |
| Method | Dataset | mAP | Car | Pedestrain | Cyclist | ||||||
|---|---|---|---|---|---|---|---|---|---|---|---|
| Hard | Easy | Mod. | Hard | Easy | Mod. | Hard | Easy | Mod. | Hard | ||
| Raw Dataset | 81.70 | 97.18 | 95.49 | 90.47 | 66.11 | 65.48 | 65.51 | 92.98 | 89.61 | 89.11 | |
| PointPillars [40] | One-frame densified | 82.80 | 98.88 | 98.06 | 90.61 | 66.23 | 65.65 | 65.60 | 93.18 | 92.35 | 92.18 |
| Three-frame densified | 86.06 | 98.83 | 98.51 | 96.15 | 67.76 | 67.50 | 67.30 | 98.06 | 95.78 | 94.73 | |
| Raw Dataset | 84.24 | 98.77 | 95.87 | 90.44 | 75.02 | 72.45 | 72.35 | 94.61 | 94.54 | 89.95 | |
| SECOND [57] | One-frame densified | 87.34 | 98.25 | 96.03 | 96.25 | 76.38 | 73.65 | 73.63 | 96.36 | 92.21 | 92.13 |
| Three-frame densified | 87.64 | 98.21 | 97.42 | 96.15 | 76.15 | 74.28 | 74.69 | 94.78 | 92.11 | 92.09 | |
| Raw Dataset | 83.93 | 98.35 | 90.09 | 89.90 | 72.03 | 73.33 | 72.98 | 90.68 | 90.01 | 88.92 | |
| PointRCNN [58] | One-frame densified | 85.85 | 98.19 | 90.51 | 90.37 | 82.99 | 77.20 | 77.12 | 90.85 | 90.41 | 90.07 |
| Three-frame densified | 86.16 | 98.95 | 90.55 | 90.39 | 80.76 | 79.35 | 77.13 | 96.91 | 91.37 | 90.97 | |
| Raw Dataset | 89.59 | 99.49 | 96.70 | 96.82 | 82.34 | 82.05 | 81.91 | 98.16 | 96.17 | 90.03 | |
| PV-RCNN [59] | One-frame densified | 91.54 | 99.50 | 97.33 | 96.89 | 81.20 | 80.85 | 81.54 | 98.78 | 96.11 | 96.20 |
| Three-frame densified | 92.52 | 99.52 | 98.63 | 98.60 | 78.49 | 80.10 | 80.98 | 99.22 | 98.17 | 97.98 | |
| Raw Dataset | 87.09 | 99.41 | 90.48 | 90.35 | 81.28 | 80.54 | 80.86 | 98.14 | 90.18 | 90.06 | |
| [60] | One-frame densified | 88.85 | 99.48 | 96.26 | 96.51 | 80.87 | 80.81 | 79.94 | 98.74 | 95.86 | 90.11 |
| Three-frame densified | 89.60 | 96.30 | 94.87 | 95.22 | 79.42 | 78.94 | 79.44 | 98.60 | 94.02 | 94.13 | |
Disclaimer/Publisher’s Note: The statements, opinions and data contained in all publications are solely those of the individual author(s) and contributor(s) and not of MDPI and/or the editor(s). MDPI and/or the editor(s) disclaim responsibility for any injury to people or property resulting from any ideas, methods, instructions or products referred to in the content. |
© 2024 by the authors. Licensee MDPI, Basel, Switzerland. This article is an open access article distributed under the terms and conditions of the Creative Commons Attribution (CC BY) license (https://creativecommons.org/licenses/by/4.0/).
Share and Cite
Ding, J.; Zhang, J.; Ye, L.; Wu, C. Kalman-Based Scene Flow Estimation for Point Cloud Densification and 3D Object Detection in Dynamic Scenes. Sensors 2024, 24, 916. https://doi.org/10.3390/s24030916
Ding J, Zhang J, Ye L, Wu C. Kalman-Based Scene Flow Estimation for Point Cloud Densification and 3D Object Detection in Dynamic Scenes. Sensors. 2024; 24(3):916. https://doi.org/10.3390/s24030916
Chicago/Turabian StyleDing, Junzhe, Jin Zhang, Luqin Ye, and Cheng Wu. 2024. "Kalman-Based Scene Flow Estimation for Point Cloud Densification and 3D Object Detection in Dynamic Scenes" Sensors 24, no. 3: 916. https://doi.org/10.3390/s24030916
APA StyleDing, J., Zhang, J., Ye, L., & Wu, C. (2024). Kalman-Based Scene Flow Estimation for Point Cloud Densification and 3D Object Detection in Dynamic Scenes. Sensors, 24(3), 916. https://doi.org/10.3390/s24030916

