Preliminary Preclinical Evaluation of Innovative Bone Scaffolds Composed of Natural Sources–Whey Protein Isolate and Pearl Powder
Abstract
1. Introduction
2. Results and Discussion
2.1. Microstructure and Macrostructure of Biomaterials
2.2. Fourier-Transform Infrared (FTIR) Analysis of Biomaterials
| Wavenumber cm−1 | Region/Potential Interactions |
|---|---|
| 3271 | Amide A—O-H and N-H stretching |
| 2955 | Unfunctional CH–CH stretching modes, both symmetric and asymmetric |
| 1615 | Amide I |
| Arginine side chain symmetric stretching vibrations—CN3H5+ | |
| Asparagine side chain in-plane bending vibrations—NH2 | |
| Glutamine side chain in-plane bending vibrations—NH2 | |
| Lysine side chain antisymmetric in-plane bending vibrations—NH3+ | |
| Tryptophan side chain stretching vibration CC, stretching vibration C = C, NH | |
| Tyrosine side chain stretching vibrations CC ring, in-plane bending vibrations CH | |
| 1520 | Amide II |
| Tyrosine—OH, CC stretching vibrations, CH in-plane bending vibrations | |
| Lysine side chain interaction—symmetric in-plane bending vibrations—NH3+ | |
| Tryptophan—stretching vibration—CN, in-plane bending vibration CH, NH | |
| stretching vibrations CC ring, in-plane bending vibrations CH | |
| 1444 | CO32−–Asymmetric stretching |
| Proline—CN stretching vibrations, CH2 in-plane bending vibrations, CH3 antisymmetric bending vibrations | |
| Glutamic acid side chain interactions—in-plane bending vibrations—CH2 | |
| Glutamic acid side chain interactions—in-plane bending vibrations—CH3 | |
| Glutamine side chain interactions—in-plane bending vibration—CH2 | |
| Histidine side chain interactions—in-plane bending vibrations CH, stretching vibrations CN | |
| Lysine side chain interactions—in-plane bending vibrations—CH2 | |
| Proline side chain interactions—in-plane bending vibrations—CH2 | |
| Serine side chain interaction—in-plane bending vibrations—CH2 | |
| Tryptophan side chain interaction—in-plane bending vibration—NH, stretching vibration—CC, in-plane bending vibration CH | |
| Tryptophan side chain interactions in-plane bending vibration—CH, stretching vibration—CC, CN | |
| Tyrosine side chain interactions in-plane bending vibrations—CH2 | |
| 1399 | Aspartic acid and glutamic acid—in-plane bending vibrations |
| Aspartic acid side chain interaction—symmetric stretching—COO-, COH | |
| Glutamic acid side chain interactions—wagging vibrations—CH2 | |
| Threonine—in-plane bending vibrations—COH, CH | |
| Tyrosine side chain interaction—wagging vibration—CH2 | |
| 1233 | Amide III |
| Tyrosine side chain interactions—in-plane bending vibrations—COH | |
| Histidine interactions—in-plane bending vibrations CH, stretching vibrations—CN, and in-plane bending vibrations—NH | |
| Glutamic acid side chain interactions—stretching vibrations—C-O | |
| Glutamic acid side chain interactions—twisting vibrations—CH2, in-plane bending vibrations—CH | |
| Histidine side chain interactions—stretching vibrations—CN | |
| Threonine side chain interactions—in-plane bending vibrations—COH, CH | |
| Tryptophan side chain interactions—twisting vibrations—CH2, in-plane bending vibrations—CH | |
| Tyrosine—stretching vibration—CO, stretching vibrations—CC | |
| 859 | CO32− bending vibrations |
2.3. Swelling Ability of Biomaterials
2.4. Mechanical Properties of Biomaterials
2.5. The Ability of Biomaterials to Undergo Proteolysis
2.6. The Ability of Biomaterials to Release Calcium Ions
2.7. The Ability of Biomaterials to Release Proteins
2.8. Cell Culture Experiments In Vitro
2.8.1. Cell Viability in Indirect Contact
2.8.2. Cell Viability in Direct Contact
2.8.3. Cell Proliferation in Direct Contact
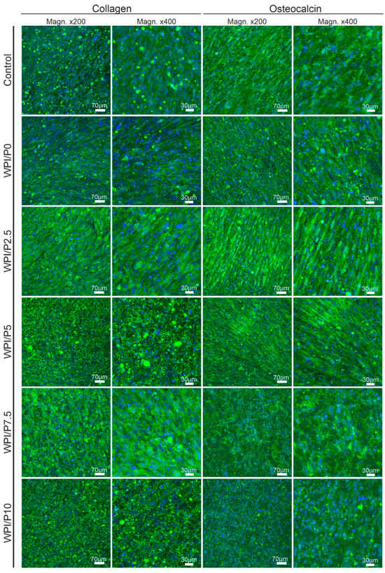
2.8.4. Cell Differentiation in Direct Contact
2.9. In Vivo Toxicological Assessment Using Zebrafish Larvae (Danio Rerio)–FET Test
3. Materials and Methods
3.1. Fabrication of Biomaterials
3.2. Scanning Electron Microscopy and Stereoscopic Microscopy
3.3. Evaluation of Chemical Interactions by FTIR
3.4. Evaluation of Water Uptake
3.5. Evaluation of Young’s Modulus and Compressive Strength
3.6. Evaluation of Proteolysis
3.7. Evaluation of Calcium Ions Profile
3.8. Evaluation of Protein Profile
3.9. Evaluation of Influence of Biomaterial’s Extract on Osteoblast Viability
3.10. Evaluation of Influence of Biomaterial’s Surface on Osteoblast Viability
3.11. Evaluation of Influence of Biomaterial’s Surface on Osteoblast Proliferation
3.12. Evaluation of Influence of Biomaterial’s Surface on Osteoblast Differentiation
3.13. Evaluation of Influence of Biomaterial’s Extract on Toxicity In Vivo
4. Conclusions
Author Contributions
Funding
Institutional Review Board Statement
Informed Consent Statement
Data Availability Statement
Acknowledgments
Conflicts of Interest
Abbreviations
| ACP | amorphous calcium phosphate |
| BMPs | bone morphogenetic proteins |
| BSA | bovine serum albumin |
| CaCO3 | calcium carbonate |
| CaSiO3 | calcium silicate |
| CLSM | confocal laser scanning microscope |
| CO2 | carbon dioxide |
| CSDs | critical-sized defects |
| FTIR | Fourier-Transform Infrared Spectroscopy |
| FBS | fetal bovine serum |
| GelMa | gelatin methacrylate |
| Hap | Hydroxyapatite |
| PLA | polylactic acid |
| SEM | scanning electron microscopy |
| TCP | tricalcium phosphate |
| TEP | tissue engineering products |
| TTCP | tetracalcium phosphate |
| VEGF | vascular endothelial growth factor |
| WPI | whey protein isolate |
References
- Zhou, Z.; Feng, W.; Moghadas, B.K.; Baneshi, N.; Noshadi, B.; Baghaei, S.; Dehkordi, D.A. Review of recent advances in bone scaffold fabrication methods for tissue engineering for treating bone diseases and sport injuries. Tissue Cell 2024, 88, 102390. [Google Scholar] [CrossRef]
- Lee, S.S.; Du, X.; Kim, I.; Ferguson, S.J. Scaffolds for bone-tissue engineering. Matter 2022, 5, 2722–2759. [Google Scholar] [CrossRef]
- Wu, A.M.; Bisignano, C.; James, S.L.; Abady, G.G.; Abedi, A.; Abu-Gharbieh, E.; Alhassan, R.K.; Alipour, V.; Arabloo, J.; Asaad, M.; et al. Global, regional, and national burden of bone fractures in 204 countries and territories, 1990–2019: A systematic analysis from the Global Burden of Disease Study 2019. Lancet Heal. Longev. 2021, 2, e580–e592. [Google Scholar] [CrossRef]
- Yazdanpanah, Z.; Johnston, J.D.; Cooper, D.M.L.; Chen, X. 3D Bioprinted Scaffolds for Bone Tissue Engineering: State-of-the-Art and Emerging Technologies. Front. Bioeng. Biotechnol. 2022, 10, 824156. [Google Scholar] [CrossRef] [PubMed]
- Percival, K.M.; Paul, V.; Husseini, G.A. Recent Advancements in Bone Tissue Engineering: Integrating Smart Scaffold Technologies and Bio-Responsive Systems for Enhanced Regeneration. Int. J. Mol. Sci. 2024, 25, 6012. [Google Scholar] [CrossRef] [PubMed]
- Todd, E.A.; Mirsky, N.A.; Silva, B.L.G.; Shinde, A.R.; Arakelians, A.R.L.; Nayak, V.V.; Marcantonio, R.A.C.; Gupta, N.; Witek, L.; Coelho, P.G. Functional Scaffolds for Bone Tissue Regeneration: A Comprehensive Review of Materials, Methods, and Future Directions. J. Funct. Biomater. 2024, 15, 280. [Google Scholar] [CrossRef]
- Abdelaziz, A.G.; Nageh, H.; Abdo, S.M.; Abdalla, M.S.; Amer, A.A.; Abdal-hay, A.; Barhoum, A. A Review of 3D Polymeric Scaffolds for Bone Tissue Engineering: Principles, Fabrication Techniques, Immunomodulatory Roles, and Challenges. Bioengineering 2023, 10, 204. [Google Scholar] [CrossRef]
- Schmidt, A.H. Autologous bone graft: Is it still the gold standard? Injury 2021, 52, S18–S22. [Google Scholar] [CrossRef] [PubMed]
- Baldwin, P.; Li, D.; Auston, D.; Hassan, S.; Yoon, R.; Koval, K. Autografts, allografts, and bone graft substitutes: Clinical evidence and indications for use in the setting of orthopaedic trauma surgery. J. Orthop. Trauma 2019, 33, 203–213. [Google Scholar] [CrossRef]
- Vidal, L.; Kampleitner, C.; Brennan, M.; Hoornaert, A.; Layrolle, P. Reconstruction of Large Skeletal Defects: Current Clinical Therapeutic Strategies and Future Directions Using 3D Printing. Front. Bioeng. Biotechnol. 2020, 8, 61. [Google Scholar] [CrossRef]
- Tsang, S.T.J.; van Rensburg, A.J.; van Heerden, J.; Epstein, G.Z.; Venter, R.; Ferreira, N. The management of critical bone defects: Outcomes of a systematic approach. Eur. J. Orthop. Surg. Traumatol. 2024, 34, 3225–3231. [Google Scholar] [CrossRef]
- Brochu, B.M.; Sturm, S.R.; Kawase De Queiroz Goncalves, J.A.; Mirsky, N.A.; Sandino, A.I.; Panthaki, K.Z.; Panthaki, K.Z.; Nayak, V.V.; Daunert, S.; Witek, L.; et al. Advances in Bioceramics for Bone Regeneration: A Narrative Review. Biomimetics 2024, 9, 690. [Google Scholar] [CrossRef]
- Qu, H.; Fu, H.; Han, Z.; Sun, Y. Biomaterials for bone tissue engineering scaffolds: A review. RSC Adv. 2019, 9, 26252–26262. [Google Scholar] [CrossRef]
- Huo, Y.; Lu, Y.; Meng, L.; Wu, J.; Gong, T.; Zou, J.; Bosiakov, S.; Cheng, L. A Critical Review on the Design, Manufacturing and Assessment of the Bone Scaffold for Large Bone Defects. Front. Bioeng. Biotechnol. 2021, 9, 753715. [Google Scholar] [CrossRef] [PubMed]
- Abbasi, N.; Hamlet, S.; Love, R.M.; Nguyen, N.T. Porous scaffolds for bone regeneration. J. Sci. Adv. Mater. Devices 2020, 5, 1–9. [Google Scholar] [CrossRef]
- Bai, X.; Gao, M.; Syed, S.; Zhuang, J.; Xu, X.; Zhang, X.Q. Bioactive hydrogels for bone regeneration. Bioact. Mater. 2018, 3, 401–417. [Google Scholar] [CrossRef]
- Xue, N.; Ding, X.; Huang, R.; Jiang, R.; Huang, H.; Pan, X.; Min, W.; Chen, J.; Duan, J.A.; Liu, P.; et al. Bone Tissue Engineering in the Treatment of Bone Defects. Pharmaceuticals 2022, 15, 879. [Google Scholar] [CrossRef] [PubMed]
- Przekora, A. Current trends in fabrication of biomaterials for bone and cartilage regeneration: Materials modifications and biophysical stimulations. Int. J. Mol. Sci. 2019, 20, 435. [Google Scholar] [CrossRef]
- Dai, J.; Bai, J.; Jin, J.; Yang, S.; Li, G. Stimulation by Pearl of Mineralization and Biocompatibility of PLA. Adv. Eng. Mater. 2015, 17, 1691–1697. [Google Scholar] [CrossRef]
- Dai, J.; Yang, S.; Jin, J.; Li, G. Electrospinning of PLA/pearl powder nanofibrous scaffold for bone tissue engineering. RSC Adv. 2016, 6, 106798–106805. [Google Scholar] [CrossRef]
- Song, Y.; Chen, W.; Fu, K.; Wang, Z. The Application of Pearls in Traditional Medicine of China and Their Chemical Constituents, Pharmacology, Toxicology, and Clinical Research. Front. Pharmacol. 2022, 13, 893229. [Google Scholar] [CrossRef]
- Pei, J.; Wang, Y.; Zou, X.; Ruan, H.; Tang, C.; Liao, J.; Si, G.; Sun, P. Extraction, Purification, Bioactivities and Application of Matrix Proteins From Pearl Powder and Nacre Powder: A Review. Front. Bioeng. Biotechnol. 2021, 9, 649665. [Google Scholar] [CrossRef]
- Li, Z.; Ur Rehman, I.; Shepherd, R.; Douglas, T.E.L. Generation of Pearl/Calcium Phosphate Composite Particles and Their Integration into Porous Chitosan Scaffolds for Bone Regeneration. J. Funct. Biomater. 2024, 15, 55. [Google Scholar] [CrossRef]
- Liu, Y.S.; Huang, Q.L.; Kienzle, A.; Müller, W.E.G.; Feng, Q.L. In vitro degradation of porous PLLA/pearl powder composite scaffolds. Mater. Sci. Eng. C 2014, 38, 227–234. [Google Scholar] [CrossRef] [PubMed]
- Li, X.; Xu, P.; Cheng, Y.; Zhang, W.; Zheng, B.; Wang, Q. Nano-pearl powder/chitosan-hyaluronic acid porous composite scaffold and preliminary study of its osteogenesis mechanism. Mater. Sci. Eng. C 2020, 111, 110749. [Google Scholar] [CrossRef]
- Yang, Y.L.; Chang, C.H.; Huang, C.C.; Kao, W.M.W.; Liu, W.C.; Liu, H.W. Osteogenic activity of nanonized pearl powder/poly (lactide-co-glycolide) composite scaffolds for bone tissue engineering. Biomed. Mater. Eng. 2014, 24, 979–985. [Google Scholar] [CrossRef]
- Nie, D.; Luo, Y.; Li, G.; Jin, J.; Yang, S.; Li, S.; Zhang, Y.; Dai, J.; Liu, R.; Zhang, W. The construction of multi-incorporated polylactic composite nanofibrous scaffold for the potential applications in bone tissue regeneration. Nanomaterials 2021, 11, 2402. [Google Scholar] [CrossRef]
- Guo, F.; Wang, E.; Yang, Y.; Mao, Y.; Liu, C.; Bu, W.; Li, P.; Zhao, L.; Jin, Q.; Liu, B.; et al. A natural biomineral for enhancing the biomineralization and cell response of 3D printed polylactic acid bone scaffolds. Int. J. Biol. Macromol. 2023, 242, 124728. [Google Scholar] [CrossRef]
- Yang, L.; Fan, L.; Lin, X.; Yu, Y.; Zhao, Y. Pearl Powder Hybrid Bioactive Scaffolds from Microfluidic 3D Printing for Bone Regeneration. Adv. Sci. 2023, 10, e2304190. [Google Scholar] [CrossRef] [PubMed]
- Zhang, X.; Du, X.; Li, D.; Ao, R.; Yu, B.; Yu, B. Three dimensionally printed pearl powder/poly-caprolactone composite scaffolds for bone regeneration. J. Biomater. Sci. Polym. Ed. 2018, 29, 1686–1700. [Google Scholar] [CrossRef] [PubMed]
- Lamghari, M.; Berland, S.; Laurent, A.; Huet, H.; Lopez, E. Bone reactions to nacre injected percutaneously into the vertebrae of sheep. Biomaterials 2001, 22, 555–562. [Google Scholar] [CrossRef]
- Nguyen, D.K.; Laroche, N.; Vanden-Bossche, A.; Linossier, M.T.; Thomas, M.; Peyroche, S.; Normand, M.; Bertache-Djenadi, Y.; Thomas, T.; Marotte, H.; et al. Protective Effect on Bone of Nacre Supplementation in Ovariectomized Rats. JBMR Plus 2022, 6, e10655. [Google Scholar] [CrossRef] [PubMed]
- Zhao, L.; Zhou, Y.; Zhang, J.; Liang, H.; Chen, X.; Tan, H. Natural Polymer-Based Hydrogels: From Polymer to Biomedical Applications. Pharmaceutics 2023, 15, 2514. [Google Scholar] [CrossRef]
- Di Francesco, D.; Bertani, F.; Fusaro, L.; Clemente, N.; Carton, F.; Talmon, M.; Fresu, L.G.; Boccafoschi, F. Regenerative Potential of A Bovine ECM-Derived Hydrogel for Biomedical Applications. Biomolecules 2022, 12, 1222. [Google Scholar] [CrossRef]
- Sepe, F.; Valentino, A.; Marcolongo, L.; Petillo, O.; Conte, R.; Margarucci, S.; Peluso, G.; Calarco, A. Marine-Derived Polysaccharide Hydrogels as Delivery Platforms for Natural Bioactive Compounds. Int. J. Mol. Sci. 2025, 26, 764. [Google Scholar] [CrossRef] [PubMed]
- Dziadek, M.; Douglas, T.E.L.; Dziadek, K.; Zagrajczuk, B.; Serafim, A.; Stancu, I.C.; Cholewa-Kowalska, K. Novel whey protein isolate-based highly porous scaffolds modified with therapeutic ion-releasing bioactive glasses. Mater. Lett. 2020, 261, 127115. [Google Scholar] [CrossRef]
- Ivory-Cousins, T.; Nurzynska, A.; Klimek, K.; Baines, D.K.; Truszkiewicz, W.; Pałka, K.; Douglas, T.E.L. Whey Protein Isolate/Calcium Silicate Hydrogels for Bone Tissue Engineering Applications—Preliminary In Vitro Evaluation. Materials 2023, 16, 6484. [Google Scholar] [CrossRef] [PubMed]
- Klimek, K.; Kierys, A.; Matwijczuk, A.; Michalak, A.; Slusarczyk, L.; Benko, A.; Palka, K.; Truszkiewicz, W.; Tarczynska, M. Exploring mechanisms underlying the beneficial effect of whey protein isolate on the biocompatibility of the thermally obtained curdlan-based hydrogel. Carbohydr. Polym. 2025, 366, 123821. [Google Scholar] [CrossRef]
- Hu, Z.; Cao, W.; Shen, L.; Sun, Z.; Yu, K.; Zhu, Q.; Ren, T.; Zhang, L.; Zheng, H.; Gao, C.; et al. Scalable milk-derived whey protein hydrogel as an implantable biomaterial. Biol. Med. Appl. Mater. Interfaces 2022, 14, 28501–28513. [Google Scholar] [CrossRef]
- Wilk, S.; Benko, A. Advances in Fabricating the Electrospun Biopolymer-Based Biomaterials. J. Funct. Biomater. 2021, 12, 26. [Google Scholar] [CrossRef] [PubMed]
- Dvora, M.; Warwick, P.; Henry, J.E. WPI hydrogels as a potential substrate for tissue scaffolds: Mechanical properties. Mech. Soft Mater. 2022, 4, 6. [Google Scholar] [CrossRef]
- Dziadek, M.; Charuza, K.; Kudlackova, R.; Aveyard, J.; D’Sa, R.; Serafim, A.; Stancu, I.C.; Iovu, H.; Kerns, J.G.; Allinson, S.; et al. Modification of heat-induced whey protein isolate hydrogel with highly bioactive glass particles results in promising biomaterial for bone tissue engineering. Mater. Des. 2021, 205, 109749. [Google Scholar] [CrossRef]
- Alvarado, C.; Alvarado-Quintana, H. Thermal Decomposition of Seashell Powder. In Proceedings of the 20th LACCEI International Multi-Conference for Engineering, Education and Technology, Boca Raton, FL, USA, 18–22 July 2022; pp. 1–7. [Google Scholar]
- Shah Mohammadi, M.; Rezabeigi, E.; Bertram, J.; Marelli, B.; Gendron, R.; Nazhat, S.N.; Bureau, M.N. Phosphate Glass Particles Produced via Solid-State Foaming Using CO2 for Bone Tissue. Polymers 2020, 12, 231. [Google Scholar] [CrossRef]
- Bhamidipati, M.; Scurto, A.M.; Detamore, M.S. The future of carbon dioxide for polymer processing in tissue engineering. Tissue Eng. Part B Rev. 2013, 19, 221–232. [Google Scholar] [CrossRef]
- Mukasheva, F.; Adilova, L.; Dyussenbinov, A.; Yernaimanova, B.; Abilev, M.; Akilbekova, D. Optimizing scaffold pore size for tissue engineering: Insights across various tissue types. Front. Bioeng. Biotechnol. 2024, 12, 1444986. [Google Scholar] [CrossRef]
- Toosi, S.; Javid-Naderi, M.J.; Tamayol, A.; Ebrahimzadeh, M.H.; Yaghoubian, S.; Mousavi Shaegh, S.A. Additively manufactured porous scaffolds by design for treatment of bone defects. Front. Bioeng. Biotechnol. 2023, 11, 1252636. [Google Scholar] [CrossRef]
- Gupta, D.; Kocot, M.; Tryba, A.M.; Serafim, A.; Stancu, I.C.; Jaegermann, Z.; Pamuła, E.; Reilly, G.C.; Douglas, T.E.L. Novel naturally derived whey protein isolate and aragonite biocomposite hydrogels have potential for bone regeneration. Mater. Des. 2020, 188, 108408. [Google Scholar] [CrossRef]
- Ni, M.; Ratner, B.D. Differentiating calcium carbonate polymorphs by surface analysis techniques—An XPS and TOF-SIMS study. Surf. Interface Anal. 2008, 40, 1356–1361. [Google Scholar] [CrossRef]
- Baines, D.K.; Pawlak-Likus, Z.; Tavernaraki, N.N.; Platania, V.; Parati, M.; Cheung, T.N.W.W.; Radecka, I.; Domalik-Pyzik, P.; Chatzinikolaidou, M.; Douglas, T.E.L. Effect of Poly-γ-Glutamic Acid Molecular Weight on the Properties of Whey Protein Isolate Hydrogels. Polymers 2025, 17, 1605. [Google Scholar] [CrossRef]
- Norris, K.; Kocot, M.; Tryba, A.M.; Chai, F.; Talari, A.; Ashton, L.; Parakhonskiy, B.V.; Samal, S.K.; Blanchemain, N.; Pamuła, E.; et al. Marine-inspired enzymatic mineralization of dairy-derived whey protein isolate (WPI) hydrogels for bone tissue regeneration. Mar. Drugs 2020, 18, 294. [Google Scholar] [CrossRef] [PubMed]
- Platania, V.; Douglas, T.E.L.; Zubko, M.K.; Ward, D.; Pietryga, K.; Chatzinikolaidou, M. Phloroglucinol-enhanced whey protein isolate hydrogels with antimicrobial activity for tissue engineering. Mater. Sci. Eng. C 2021, 129, 112412. [Google Scholar] [CrossRef] [PubMed]
- Baines, D.K.; Wright, K.; Douglas, T.E.L. Preliminary In Vitro Assessment of Whey Protein Isolate Hydrogel with Cannabidiol as a Potential Hydrophobic Oral Drug Delivery System for Colorectal Cancer Therapy. Polymers 2024, 16, 3273. [Google Scholar] [CrossRef] [PubMed]
- Li, H.; Zhang, R. The role of calcium ions and the transient receptor potential vanilloid (TRPV) channel in bone remodelling and orthodontic tooth movement. Mol. Biol. Rep. 2025, 52, 297. [Google Scholar] [CrossRef]
- Hao, Y.; Yang, N.; Sun, M.; Yang, S.; Chen, X. The role of calcium channels in osteoporosis and their therapeutic potential. Front. Endocrinol. 2024, 15, 1450328. [Google Scholar] [CrossRef]
- Mu, Y.; Du, Z.; Xiao, L.; Gao, W.; Crawford, R.; Xiao, Y. The Localized Ionic Microenvironment in Bone Modelling/Remodelling: A Potential Guide for the Design of Biomaterials for Bone Tissue Engineering. J. Funct. Biomater. 2023, 14, 56. [Google Scholar] [CrossRef]
- Szałaj, U.; Chodara, A.; Gierlotka, S.; Wojnarowicz, J.; Łojkowski, W. Enhanced Release of Calcium Ions from Hydroxyapatite Nanoparticles with an Increase in Their Specific Surface Area. Materials 2023, 16, 6397. [Google Scholar] [CrossRef]
- Jeong, J.; Kim, J.H.; Shim, J.H.; Hwang, N.S.; Heo, C.Y. Bioactive calcium phosphate materials and applications in bone regeneration. Biomater. Res. 2019, 23, 4. [Google Scholar] [CrossRef]
- Klimek, K.; Benko, A.; Vandrovcova, M.; Travnickova, M.; Douglas, T.E.L.; Tarczynska, M.; Broz, A.; Gaweda, K.; Ginalska, G.; Bacakova, L. Biomimetic biphasic curdlan-based scaffold for osteochondral tissue engineering applications—Characterization and preliminary evaluation of mesenchymal stem cell response in vitro. Biomater. Adv. 2022, 135, 212724. [Google Scholar] [CrossRef]
- Klimek, K.; Tarczynska, M.; Truszkiewicz, W.; Gaweda, K.; Douglas, T.; Ginalska, G. Freeze-Dried Curdlan/Whey Protein Isolate-Based Biomaterial as Promising Scaffold for Matrix-Associated Autologous Chondrocyte Transplantation—A Pilot In-Vitro Study. Cells 2022, 11, 282. [Google Scholar] [CrossRef]
- Klimek, K.; Palka, K.; Truszkiewicz, W.; Douglas, T.E.L.; Nurzynska, A.; Ginalska, G. Could Curdlan/Whey Protein Isolate/Hydroxyapatite Biomaterials Be Considered as Promising Bone Scaffolds?—Fabrication, Characterization, and Evaluation of Cytocompatibility towards Osteoblast Cells In Vitro. Cells 2022, 11, 3251. [Google Scholar] [CrossRef] [PubMed]
- Leelatian, L.; Chunhabundit, P.; Charoonrut, P.; Asvanund, P. Induction of Osseointegration by Nacre in Pigs. Molecules 2022, 27, 2653. [Google Scholar] [CrossRef] [PubMed]
- Manicourt, D.H.; Fujimoto, N.; Obata, K.; Thonar, E.J. Serum levels of collagensase, stromelysin-1, and TIMP-1. Age- and sex-related differences in normal subjects and relationship to te extent of joint involvement and serum levels of antigenic keratan sulfate in patients with osteoarthritis. Arthritis Rheumatol. 1994, 37, 1774–1783. [Google Scholar] [CrossRef] [PubMed]
- ISO 10993-12:2012; Biological Evaluation of Medical Devices—Part 12: Sample Preparation and Reference Materials. International Organization for Standarization: Genewa, Switzerland, 2012.
- ISO 10993-5:2009; Biological Evaluation of Medical Devices—Part 5: Tests for In Vitro Cytotoxicity. International Organization for Standarization: Genewa, Switzerland, 2009.
- Klimek, K.; Terpilowska, S.; Michalak, A.; Bernacki, R.; Nurzynska, A.; Cucchiarini, M.; Tarczynska, M.; Gaweda, K.; Głuszek, S.; Ginalska, G. Modern Approach to Testing the Biocompatibility of Osteochondral Scaffolds in Accordance with the 3Rs Principle─Preclinical In Vitro, Ex Vivo, and In Vivo Studies Using the Biphasic Curdlan-Based Biomaterial. ACS Biomater. Sci. Eng. 2025, 11, 845–865. [Google Scholar] [CrossRef] [PubMed]
- OECD. OECD GUIDELINES FOR THE TESTING OF CHEMICALS nr 236: Fish Embryo Acute Toxicity (FET) Test. In OECD Guidelines for the Testing of Chemicals, Section 2; OECD: Paris, France, 2013; pp. 1–22. [Google Scholar]
- Kurach, Ł.; Chłopaś-Konowałek, A.; Budzyńska, B.; Zawadzki, M.; Szpot, P.; Boguszewska-Czubara, A. Etazene induces developmental toxicity in vivo Danio rerio and in silico studies of new synthetic opioid derivative. Sci. Rep. 2021, 11, 24269. [Google Scholar] [CrossRef] [PubMed]

















| Control | WPI/P0 | WPI/P2.5 | WPI/P5 | WPI/P7.5 | WPI/P10.0 | |
|---|---|---|---|---|---|---|
| Survival | 95.83 | 95.83 | 100 | 100 | 95.83 | 100 |
| Hatching | 100 | 100 | 95.83 | 100 | 95.65 | 95.83 |
| % WPI | % Pearl Powder | |
|---|---|---|
| WPI/P0 | 40 | 0 |
| WPI/P2.5 | 40 | 2.5 |
| WPI/P5 | 40 | 5 |
| WPI/P7.5 | 40 | 7.5 |
| WPI/P10 | 40 | 10 |
Disclaimer/Publisher’s Note: The statements, opinions and data contained in all publications are solely those of the individual author(s) and contributor(s) and not of MDPI and/or the editor(s). MDPI and/or the editor(s) disclaim responsibility for any injury to people or property resulting from any ideas, methods, instructions or products referred to in the content. |
© 2025 by the authors. Licensee MDPI, Basel, Switzerland. This article is an open access article distributed under the terms and conditions of the Creative Commons Attribution (CC BY) license (https://creativecommons.org/licenses/by/4.0/).
Share and Cite
Baines, D.K.; Rachuna, J.; Hnydka, A.; Michalak, A.; Douglas, T.E.L.; Klimek, K. Preliminary Preclinical Evaluation of Innovative Bone Scaffolds Composed of Natural Sources–Whey Protein Isolate and Pearl Powder. Int. J. Mol. Sci. 2025, 26, 7939. https://doi.org/10.3390/ijms26167939
Baines DK, Rachuna J, Hnydka A, Michalak A, Douglas TEL, Klimek K. Preliminary Preclinical Evaluation of Innovative Bone Scaffolds Composed of Natural Sources–Whey Protein Isolate and Pearl Powder. International Journal of Molecular Sciences. 2025; 26(16):7939. https://doi.org/10.3390/ijms26167939
Chicago/Turabian StyleBaines, Daniel K., Jaroslaw Rachuna, Aleksandra Hnydka, Agnieszka Michalak, Timothy E. L. Douglas, and Katarzyna Klimek. 2025. "Preliminary Preclinical Evaluation of Innovative Bone Scaffolds Composed of Natural Sources–Whey Protein Isolate and Pearl Powder" International Journal of Molecular Sciences 26, no. 16: 7939. https://doi.org/10.3390/ijms26167939
APA StyleBaines, D. K., Rachuna, J., Hnydka, A., Michalak, A., Douglas, T. E. L., & Klimek, K. (2025). Preliminary Preclinical Evaluation of Innovative Bone Scaffolds Composed of Natural Sources–Whey Protein Isolate and Pearl Powder. International Journal of Molecular Sciences, 26(16), 7939. https://doi.org/10.3390/ijms26167939

